
BRIEFING PAPERS
FOR ELECTED MEMBERS’
BRIEFING SESSION
the Wanneroo Administration Centre, Dundebar Road, Wanneroo
on Wednesday 10 July, 2002, commencing at 8.30 am.
PROCEDURE FOR FULL COUNCIL BRIEFING
PRINCIPLES
The full council briefing which occurs a week prior to the Council meeting provides an opportunity for elected members to ask questions and clarify issues relevant to the specific agenda items before council. The briefing is not a decision-making forum and the Council has no power to make decisions. The briefing session will not be used, except in an emergency, as a venue or forum through which to invoke the requirements of the Local Government Act 1995 and call a special meeting of council.
In order to ensure full transparency the meetings will be open to the public to observe the process. Where matters are of a confidential nature, they will be deferred to the conclusion of the briefing and at that point the briefing session closed to the public. The reports provided are the officers’ professional opinions. While it is acknowledged that members may raise issues that have not been considered in the formulation of the report and recommendation, it is a basic principle that as part of the briefing sessions elected members cannot direct officers to change their reports or recommendations.
PROCESS
The briefing session will commence at 7.00 pm every third Tuesday. It will be chaired by the Mayor or in his/her absence the deputy mayor. In the absence of both, councillors will elect a chairperson from amongst those present. In general, Standing Orders will apply, EXCEPT THAT members may speak more than once on any item, there is no moving or seconding items, officers will address the members and the order of business will be as follows:-
Members of the public present may observe the process and there is an opportunity at the conclusion of the briefing for a public question time where members may ask questions (no statements) relating only to the business on the agenda.
Ø Attendance and Apologies
Ø Declarations of Interest
Ø Reports for discussion
Ø Tabled Items
Ø Public Question Time
Ø Closure
Where an interest is involved in relation to an item, the same procedure which applies to Full Council meetings will apply. It is a breach of the City’s Code of Conduct for an interest to not be declared. The briefing will consider items on the agenda only and proceed to deal with each item as they appear. The process will be for the mayor to call each item number in sequence and ask for questions. Where there are no questions regarding the item, the briefing will proceed to the next item.
AGENDA CONTENTS
While every endeavour is made to ensure that all items to be presented to Council at the formal council meeting are included in the briefing papers, it should be noted that there will be occasions when, due to necessity, items will not be ready in time for the briefing session and will go straight to the Full Council agenda as a matter for decision. Further, there will be occasions when items are TABLED at the briefing rather than the full report being provided in advance. In these instances, staff will endeavour to include the item on the agenda as a late item, noting that a report will be tabled at the agenda briefing session.
AGENDA DISTRIBUTION
The briefing agenda will be distributed to elected members on the FRIDAY prior to the briefing session. Copies will be made available to the libraries and the Internet for interested members of the public. Spare briefing papers will be available at the briefing session for interested members of the public.
DEPUTATIONS
Deputations will generally not be heard prior to the agenda briefing session. These will be reserved for either the Policy forum sessions held the week following the Full Council meeting or as is currently the case, prior to the Full Council meeting.
RECORD OF BRIEFING
The formal record of the briefing session will be limited to notes regarding any agreed action to be taken by staff or elected members. No recommendations will be included and the notes will be retained for reference and not generally distributed to elected members or the public except on request.
LOCATION
The briefing session will take place in the Council Chamber in the new Civic Centre.
Recording of Council Meetings Policy
Objective
· To ensure that there is a process in place to outline access to the recorded proceedings of Council.
· To emphasise that the reason for tape recording of Council Meetings is to ensure the accuracy of Council Meetings.
Statement
Recording of Proceedings
(1) Proceedings for meetings of the Council, of electors and of the Audit Committee shall be recorded, by the City, on sound recording equipment except, in the case of meetings of the Council or the Audit Committee, where the Council or the Committee, as the case may be, closes the meeting to the public.
(2) Notwithstanding sub clause (1), proceedings of a meeting of the Council or of the Audit Committee which is closed to the public shall be recorded where the Council or the Audit Committee, as the case requires, resolves to do so.
(3) No member of the public is to use any electronic, visual or vocal recording device or instrument to record the proceedings of the Council or a committee without the written permission of the Council.
Access to Recorded Tapes
(4) Members of the public may purchase a copy of the taped proceedings or alternatively listen to recorded proceedings with the supervision of a City Officer.
(5) Elected Members may listen to a recording of the Council proceedings upon request, free of charge. However, no transcript will be produced without the approval of the Chief Executive Officer.
(6) Costs of providing taped proceedings to members of the public will be the cost of the tape plus staff time to make the copy of the proceedings. The cost of supervised listening to recordings will be the cost of the staff time. The cost of staff time will be set in the City’s schedule of fees and charges each year.
Retention of Tapes
(7) Recordings pertaining to the proceedings of Council Meetings shall be retained in accordance with the Library Board of Western Australia Act (1951-83), General Disposal Authority for Local Government Records. The current requirement for the retention of recorded proceedings is thirty (30) years.
Disclosure of Policy
(8) This policy shall be printed within the agenda of all Council, Special Council, Electors and Special Electors and the Audit Committee meetings to advise the public that the proceedings of the meeting are recorded.

Briefing Papers for 10 July, 2002
CONTENTS
Item 2 Apologies and Leave of Absence
Town Planning Schemes and Structure Plans
1. Proposed Amendment To The Butler Agreed Local Structure Plan No 27
2. Proposed Amendment To The Clarkson South-East Agreed Local Structure Plan No.29
3. Adoption Of Amendment To The Carramar South/Tapping North Agreed Structure Plan No.21B
4. Adoption Of An Amendment To The Landsdale Neighbourhood Centre Agreed Structure Plan No 16
6. Subdivision Applications Dealt With Under Delegated Authority For The Month Of June 2002
7. Development Applications Determined By Delegated Authority For June 2002
8. Recission Of Decision To Award Tender 02246
12. Financial Report For The Month Ended 31 May 2002
13. Proposed Emergency Services Levy
14. Request Permission To Keep Three Dogs - Various Locations
15. Application To Keep Three Dogs - Various Locations
16. Adoption Of Bush Fire Brigades Constitution - City Of Wanneroo Bush Fire Brigade Local Law
Item 5 RULES GOVERNING THE OPERATION OF BUSH FIRE BRIGADES
19. Functions Of Brigade Officers
5.1.2 OFFICERS OF A VOLUNTEER BUSH FIRE BRIGADE
21. Meetings Of The Bush Fire Brigade
5.1.5 Training Committee Meetings
23. Part 7 - Brigade Elections
5.1.8 NOMINATION OF CANDIDATES FOR BRIGADE ELECTIONS
5.1.10 SUPPLEMENTARY ELECTIONS
24. General Administration Matters
5.1.11 ACCOUNTS AT FINANCIAL INSTITUTIONS
Item 6 To be tabled at the briefing
A G E N D A
Town Planning Schemes and Structure Plans
File Ref: SP/0023V01
File Name: BABUTAGR.doc This line will not be printed Please do NOT delete
Level 3 Approval by sb Date 08 July 2002
Level 2 Approval by CH Date 03 July 2002
Level 1 Approval by TPD Date 28 June 2002
Responsible Officer: Director, Planning and Development
Disclosure of Interest: Nil
Attachments: 4
StartStrip This line will not be printed Please do NOT delete
Issue
Consideration of an Amendment to the Butler Agreed Local Structure Plan No. 27.
|
Chappell and Lambert Pty Ltd |
|
|
Owner |
Butler Joint Venture |
|
Location |
Lots 8, 11, 31 to 33 and 9013 Butler/Ridgewood |
|
Site Area |
Approximately 584 hectares |
|
DPS 2 Zoning |
|
|
MRS Zoning |
Urban |
Background
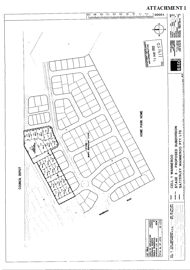
Council, at its meeting of 18 December 2001, adopted a local structure plan which covered a broad area of Butler and the undeveloped portion of Ridgewood (item PD08-12/01). This structure plan was subsequently adopted by the Western Australian Planning Commission (WAPC) in June 2002.
The portion of the structure plan area within Lot 7, located between Marmion Avenue and Connolly Drive was detailed to indicate the proposed road network, disposition of lots and public open space areas etc and the majority of this portion of the structure plan area has now been subdivided. The remaining portion of the structure plan area was denoted on the structure as ‘subject to future structure planning’.
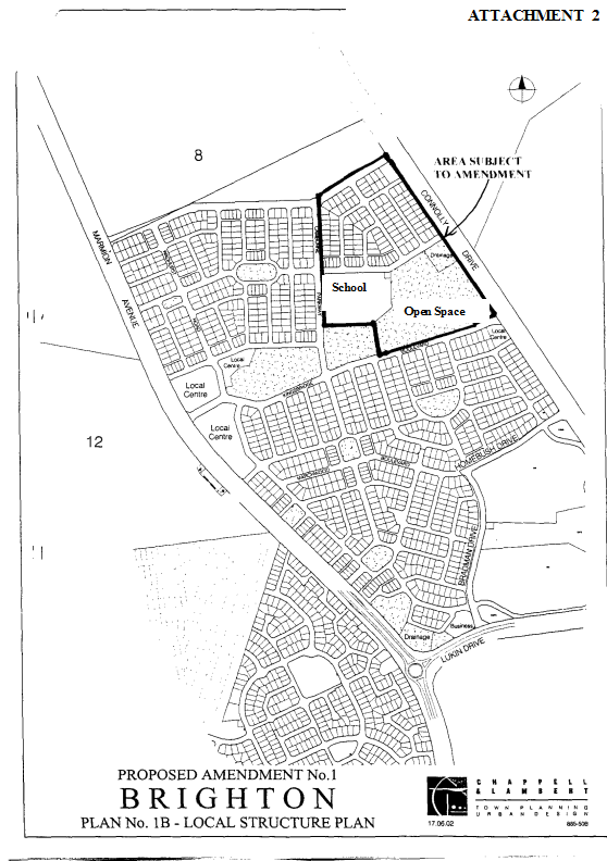
A copy of the Agreed Local Structure Plan maps are shown on Attachment 1.
Detail
The area subject to the amendment is located at the north-eastern corner of Lot 9013 (refer Attachment 2). The amendment includes provision for a primary school site, an extension to the existing public open space and an area of residential land. The residential component includes both ‘Cottage’ lots which are smaller lots served by a rear laneway and traditional lots. The applicant proposes that these lots be subject to the same R-Code variations as already exists in the structure plan. These variations relate to reduced open space requirements on the basis of satisfying certain performance criteria and reduced street setbacks. Attachment 3 indicates the location of the Cottage and traditional lots.
The applicant has provided the following justification for the proposed amendment.
1) It represents straight forward rounding off of the subdivision of Lot 9013 (formerly Lot 7);
2) It is a very small area but critical to the Butler Joint Venture land release program;
3) It originally formed part of the first Brighton subdivision application and structure plan report and was only deleted from the subdivision application by the proponent because of the uncertainty at that time regarding the possible realignment of the railway outside of the freeway reserve. The railway alignment issue is now more certain and is currently proposed well east of the amendment area on the eastern side of Connolly Drive.
4) The amendment by rezoning to Residential will not pre-empt or prejudice any decisions with regard to either the proposed primary school site or the proposed district open space;
5) The proposal is consistent with the Butler Charrette outcomes.
Consultation
Clause 9.7 of District Planning Scheme No. 2 provides that public notification of an amendment to an Agreed Structure Plan may be waived where the amendment is considered to be of a minor nature which does not materially alter the intent of the structure plan. In this case it is considered that the amendment is not of a minor nature and should be subject to consultation. The recommended period of consultation being 28 days.
Comment
Council at its meeting on 26 September 2000 considered a subdivision application for the existing detailed agreed structure area (item W283-09/00). The land the subject of the amendment was included in the subdivision application, although was deleted from the approval due to the uncertainty over proposals to realign the northern suburbs railway out of the freeway reserve.
The future alignment of the railway was considered at the Butler Charette, held at the City of Wanneroo during August 2001. The Western Australian Planning Commission is due to release the Outcomes report from the Butler Charette and have advised the City that the realigned railway line is located to the east of Connolly Drive, well removed from the amendment area. The applicant has recently submitted a District Structure Plan (DSP) for the land, which reflects the outcomes of the Butler Charette. This DSP is currently being assessed and is likely to be submitted to Council for consideration in August/September 2002. On this basis, it is not considered that the railway line issue should affect this amendment proposal.
The amendment proposes an extension of an existing large area of open space which the applicant is promoting as providing a district recreation function. An area of district open space in association with a government and private high school has however already been created in the south eastern portion of Butler, adjacent to the intersection of Connolly and Lukin Drives. The layout of these sites is shown on Attachment 1. These sites were created in the mid 1990’s and at that time the former City of Wanneroo was intending to develop a district recreation centre on the recreation reserve and enter into an agreement for the joint development and use of sports ovals with the two adjoining schools. The City however is no longer proposing to construct the recreation centre at this location, an agreement between the City and the two schools regarding this matter was never finalised and the private school is currently under construction and does not provide for the originally proposed shared ovals.
The owners of the private school, the Education Department and the developer of the Butler estate have all supported the principle of relocating the district open space and the reconfiguration of the school sites to accommodate this relocation. The details of this relocation will still need to be determined in terms of issues such as road closures, the reconfiguration of the school sites, replacement land uses, access points etc. The Department of Planning and Infrastructure has prepared a draft concept plan for this land that indicates how these issues may be addressed. This draft concept forms Attachment 4 and whilst some minor variations may be necessary to this daft concept plan regarding access to Connolly Drive it is considered acceptable for consultation purposes. It is appropriate that the planning for this area be determined at this stage before the City commits to the new district open space area. In this regard it is recommended that the amendment area be expanded to include the existing district open space and schools land and that the concept plan be advertised and refined prior to Council considering the final adoption of this amendment.
Statutory Compliance
This amendment to the ASP will follow the procedures outlined in District Planning Scheme No. 2.
Strategic Implications
Consideration of this structure plan amendment is consistent with Goal 2 of the City’s Strategic Plan, which seeks to foster an identity that promotes lifestyle choice and the provision of quality services and infrastructure. One of the Strategies of the draft Planning and Development Directorate Plan that arises from this Goal, is to provide for a cohesive system of integrated land use planning and to update and review structure plans, policies and local laws.
Policy Implications
Nil
Financial Implications
Nil
Voting Requirements
Simple Majority.
EndStrip This line will not be printed Please do NOT delete
Recommendation
That Council:-
1. Pursuant to Clause 9.6.1 of the City of Wanneroo District Planning Scheme No. 2 RESOLVES that the Amendment to the Butler Agreed Local Structure Plan, as indicated on Attachments 2 and 3 to this report, is satisfactory subject to it incorporating the existing district open space and school site land adjacent to the intersection of Connolly and Lukin Drives, generally in accordance with the design as shown on Attachment 4.
2. ADVERTISES the proposed Amendments to the Butler Agreed Local Structure Plan under the provisions of clause 9.5 of the City of Wanneroo District Planning Scheme No. 2 for a period of 28 days.
3. ADVISES Chappell and Lambert Pty Ltd acting on behalf of the Butler Joint Venture that prior to adoption of the amendment to the Butler Agreed Local Structure Plan it will require resolution of the design issues associated with the existing district open space and school sites adjacent to the intersection of Connolly and Lukin Drives.
EndOfRecommendation - This line will not be printed Please do NOT delete
StartOfAttachment - Do not delete this line will not be printed




EndOfAttachment - Do not delete this line will not be printed
StartOfAttachment - Do not delete this line will not be printed
EndOfAttachment - Do not delete this line will not be printed
StartOfAttachment - Do not delete this line will not be printed
StartOfAttachment - Do not delete this line will not be printed
File Ref: SP/0025V01
File Name: BAClaSou.doc This line will not be printed Please do NOT delete
Level 3 Approval by sb Date 08 July 2002
Level 2 Approval by sb Date 04 July 2002
Level 1 Approval by sb Date 04 July 2002
Responsible Officer: Director, Planning and Development
Disclosure of Interest: Nil
Attachments: 3
StartStrip This line will not be printed Please do NOT delete
Issue
Consideration of an Amendment to the Clarkson South-East Agreed Local Structure Plan No.29 (ASP).
|
Applicant |
|
|
Owner |
Landstart and Urban Pacific |
|
Location |
Lots 2 and 3 Polglase Fairway, Clarkson |
|
Site Area |
51.0023 hectares |
|
DPS 2 Zoning |
Urban Development and Residential |
|
MRS Zoning |
Urban |
Background
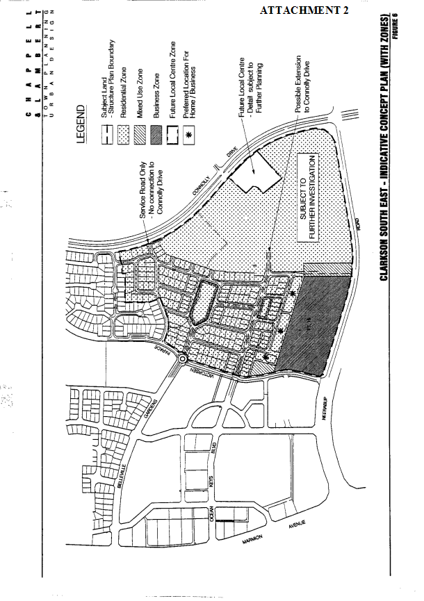
Council, at its meeting of 12 June 2001, adopted the Clarkson South-East Local Structure Plan No.29 in respect of Lots 2 and 3 Polglase Fairway, Clarkson (item W198-06/01). The structure plan was subsequently adopted by the Western Australian Planning Commission (WAPC) on 22 March 2002.
The structure plan area is bounded by Neerabup Road in the south, Lower Keys Drive in the west, the existing residential area in the north and Connolly Drive in the east. Attachment 1 indicates the location and the existing structure plan map.
The existing structure plan map basically depicted the zonings, density codings and the continuation of Ocean Keys Boulevard westward toward Connolly Drive. Ocean Keys Boulevard is planned to link from Marmion Avenue in the west to the future Clarkson Railway station in the east.
Although not a statutory document, the ASP included a concept plan depicting a possible road and open space layout over portion of the structure plan area to provide a guide to future subdivisions within the structure plan area. This plan is shown on Attachment 2.
Detail
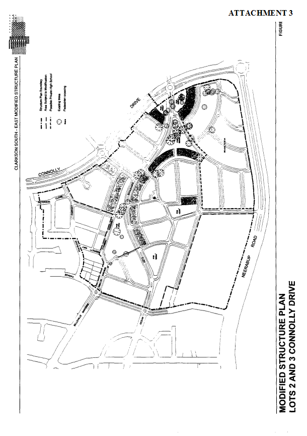
The amended structure plan map is shown on Attachment 3. The salient features of the amendment proposals are as follows:
1. A greater recognition of the terrain of the subject land, via a proposed curvilinear design of Ocean Keys Boulevard.
2. The provision of 4.4954 hectares of open space, which exceeds 10% (4.1747 ha) required under the WAPC policy.
3. An internal road network which generally achieves permeability and provides easy access to all the proposed facilities within and surrounding the structure plan area.
4. Residential density codings of R20 and R40. The R40 lots are generally laneway lots or proposed as groups of ‘4-pack’ battleaxe lots.
5. Provision for a proposed pedestrian underpass north of the proposed intersection of Ocean Keys Boulevard and Connolly Drive.
6. Provision of a possible private school site at the corner of Neerabup Road and Connolly Drive. However the applicant has noted that the timing of establishing this school is not known.
7. Design guidelines on R-Code variations in respect of setbacks for medium density residential sites.
Consultation
Clause 9.7 of District Planning Scheme No. 2 provides that public notification of an amendment to an Agreed Structure Plan may be waived where the amendment is considered to be of a minor nature which does not materially alter the intent of the structure plan. In this case, it is considered that the amendment is not of a minor nature and should be subject to consultation. The recommended period of consultation is 28 days and will include a sign on site, an advertisement in the local newspapers and writing to the adjoining landowners.
Comment
The proposed amendment has been subject to a detailed assessment by the City’s Administration and whilst the amendment is generally considered acceptable, the following matters will require further attention during the structure plan amendment process.
Road Network
§ The proposed road network includes a number of blind curves and ‘Y’ junctions. These designs are undesirable from a traffic safety perspective and the structure plan should therefore be amended to delete these prior to advertising.
§ The road network also depicts a large central island that is undesirable from a maintenance perspective and should therefore be deleted prior to the structure plan being advertised.
§ Portions of some of the proposed local roads encroach upon the Connolly Drive road reserve. Whilst there is no objection to this in principle, sufficient details should be provided to justify the encroachment. This justification can be adequately provided prior to Council finally adopting the structure plan.
§ The proposed dual-use path/footpath network does not integrate with the adjoining development and therefore it is recommended that the structure plan be modified to address this matter prior to advertising being undertaken.
§ Ocean Keys Boulevard and Neerabup Road are estimated to ultimately carry traffic of approximately 3500 and 10800 vehicles per day respectively. If Ocean Keys Boulevard and the Clarkson Railway station were constructed prior to the construction of Neerabup Road, then Ocean Keys Boulevard would potentially carry traffic volumes beyond its capacity. Considering this, it is recommended that the applicant be requested to provide a staging/management strategy for Ocean Keys Boulevard and the release of the lots adjoining this road, demonstrating that in the event of the construction of Ocean Keys Boulevard and the Railway station prior to the construction of Neerabup Road, the traffic volumes on Ocean Keys Boulevard would be within an acceptable capacity. This could be adequately undertaken prior to Council considering the final adoption of the structure plan.
POS areas
§ Largely as a result of aligning Ocean Keys Boulevard as a curvilinear road, irregular shaped areas of open space are proposed. This results in lower recreation value and increased maintenance costs. The open space layout should be amended to provide more regular and usable open space areas and this should be undertaken prior to the advertising of the structure plan amendment.
Design Guidelines
§ The applicant has not provided justification to the proposed R-Code variations and has not provided design guidelines for the ‘4-pack’ battleaxe lots. In addition, the variations will require discussion with the applicant to ensure they are workable and will provide an acceptable level of residential amenity. This can adequately be addressed during the advertising period with the final design guidelines considered by Council when considering final adoption of the structure plan.
School Site
§ The structure indicates a possible 10.43 hectare school site adjacent to the intersection of Connolly Drive and Neerabup Road. Further justification is required on the appropriateness of this use and the adequacy of the local road system to cope with the traffic generated by such a land use. This justification should be submitted and considered by Council when considering final adoption of the structure plan.
Economic and Employment Initiative
§ Council will recall at its meeting on 2 July 2002, it considered the adoption of the Structure Plan for the adjacent Lot 16 Connolly Drive, Clarkson (item PD01-07/02). This structure plan area is owned by the same developers of Lot 16 (to the east) and the Economic and Employment Strategy for Lot 16 included reference to this structure plan land. The suggested economic strategies included the provision of broadband telecommunications infrastructure, on-line business support services, a two envelope tender process and a community development fund. The strategies indicated the landowner’s commitment to the issue of employment and were accepted, subject to some additional details on the management of the community development fund. A clause was included in the Lot 16 local structure plan to require the finalisation and implementation of the strategy and a similar clause should therefore be incorporated in the text for this structure plan.
Statutory Compliance
This structure plan amendment will follow the process outlined in District Planning Scheme No. 2.
Strategic Implications
Consideration of this structure plan amendment is consistent with Goal 2 of the City’s Strategic Plan, which seeks to foster an identity that promotes lifestyle choice and the provision of quality services and infrastructure. One of the Strategies of the draft Planning and Development Directorate Plan that arises from this Goal, is to provide for a cohesive system of integrated land use planning and to update and review structure plans, policies and local laws.
Policy Implications
Nil.
Financial Implications
Nil
Voting Requirements
Simple Majority.
EndStrip This line will not be printed Please do NOT delete
Recommendation
That Council:
1. Pursuant to Clause 9.6.1 of the City of Wanneroo District Planning Scheme No. 2 RESOLVES that the Amendment to the Clarkson South-East Agreed Structure Plan, as indicated on Attachment 3 to this report, is satisfactory subject to the applicant carrying out the following modifications to the plan:
a) Deletion of the blind curves, ‘Y’ junctions and central island from the road layout.
b) Integration of the proposed path network with the adjoining land.
c) Rationalisation of the open space layout to provide more regular and usable areas.
2. Upon receipt of a revised plan incorporating the modifications outlined in 1 above, ADVERTISES the proposed amendment to the Clarkson South-East Agreed Structure Plan for a period of 28 days.
3. ADVISES the applicant, Taylor Burrell Town Planning and Design, that prior to Council considering the final adoption of the amendment to the Clarkson South-East Structure Plan, it will require the following:
a) Sufficient details to justify the encroachment of the proposed local roads into the Connolly Drive Road Reserve.
b) A staging/management strategy for Ocean Keys Boulevard and the release of the lots adjoining this road demonstrating that in the event of the construction of Ocean Keys Boulevard and the Clarkson Railway Station prior to the construction of Neerabup Road, the traffic volumes on Ocean Keys Boulevard would be within an acceptable capacity.
c) The provision of justification to the proposed R-Code variations, design guidelines for the ‘4-pack’ battleaxe lots and further discussion and amendments to the proposed variations to ensure that they are workable and will provide an acceptable level of residential amenity.
d) Further justification on the appropriateness of the possible school site and the adequacy of the local road system to cope with the traffic generated by such a land use.
e) The inclusion of a requirement in the structure plan text requiring the finalisation of the economic and employment initiatives report prior to the submission of a subdivision application for the land as well as the implementation of the strategies arising from the final report.
EndOfRecommendation - This line will not be printed Please do NOT delete
StartOfAttachment - Do not delete this line will not be printed

EndOfAttachment - Do not delete this line will not be printed
StartOfAttachment - Do not delete this line will not be printed

EndOfAttachment - Do not delete this line will not be printed
StartOfAttachment - Do not delete this line will not be printed

EndOfAttachment - Do not delete this line will not be printed
File Ref: SP/0019/01
File Name: BAProAme.doc This line will not be printed Please do NOT delete
Level 3 Approval by sb Date 08 July 2002
Level 2 Approval by ch Date 03 July 2002
Level 1 Approval by ch Date 03 July 2002
Responsible Officer: Director, Planning and Development
Disclosure of Interest: Nil
Attachments: 3
StartStrip This line will not be printed Please do NOT delete
Issue
To consider adopting an Amendment to the Carramar South/Tapping North Agreed Structure Plan No.21B.
|
Applicant |
John Chapman Town Planning Consultant |
|
Owner |
Peet & Co ATF Yatala Nominees Trust |
|
Location |
Lot 9002 Clarkson Avenue, Carramar/Tapping |
|
Site Area |
Approximately 13.25 hectares |
|
DPS 2 Zoning |
Urban Development |
|
MRS Zoning |
Urban |
Background
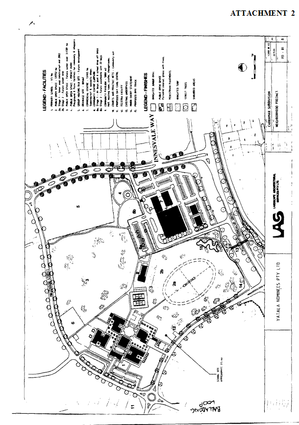
Council, at its meeting on 3 July 2001, considered a proposal by the landowner for the pre-funding of community infrastructure within Carramar (refer W264-07/01). This proposal included development of Carramar community and sporting facilities on land bounded by Joondalup Drive in the south, Houghton Drive in the west, a proposed subdivisional road to the north and Cheriton Drive to the East (the amendment land).
The amendment land forms part of the Carramar South/Tapping North Agreed Structure Plan (ASP) and was proposed to contain, a Primary School (4.0 ha), a Neighbourhood Centre (2.5 ha), a Community Purpose Site (0.5 ha) and a 6.05 hectares of Public Open Space (POS). A copy of the overall ASP, highlighting the amendment land is shown on Attachment 1.
As part of its pre-funding proposal, the landowner submitted a concept plan for the amendment land indicating an alternative disposition of the above uses. This plan also depicted a site in the north-east corner for a proposed residential development. As the location of these uses and the proposed residential development were contrary to the ASP proposals, Council, at its July 2002 meeting resolved to, inter alia, request the applicant to submit a proposal to amend the ASP.
An amended structure plan was subsequently lodged by the applicant and Council, at its meeting on 18 December 2001, resolved to advertise the amendments to the structure plan and defer a decision on the prefunding arrangement until the structure plan amendments had been agreed by the Western Australian Planning Commission (item PD10-12/01). The advertised portion of the structure plan is shown on Attachment 2.
Detail
The amendment to the ASP can be summarised as follows:
· The relocation of the Primary School site from the north east to the north west corner of the amendment land and a reduction in the area of the school site from 4.0 ha to 3.5 ha on the basis of the joint use of the oval between the school and the City.
· A reduction in the extent of POS from 6.05 ha to 5.43 ha. The POS can still accommodate the City’s active recreation requirements for this portion of Carramar and the shortfall in POS has been relocated elsewhere in the overall structure plan area.
· A reduction in the extent of the Local Centre site from 2.5 ha to 1.6165 ha. The applicant advised that the reduction in the site area would however not result in the reduction in the 4,500 square metre maximum retail nett lettable area stipulated under the ASP.
· A centrally located Community Purposes site which provides an opportunity to integrate the community building with the shopping centre.
· The introduction of an R40 medium density housing site in the north east portion of the amendment land.
Consultation
Following the closing date for submissions a total of 7 individual letters (including one from the applicant) and a 40-signature petition from Carramar residents were received. One of the submissions was from the President of Carramar Residents Association supporting the proposal and urging Council to approve the proposal and hasten negotiations over the development. The submission from the applicant reinforced the intent of the proposal. The remaining submissions objected to the amendment. The issues raised by the objections are summarised as follows:
1. Purchased their lot as it was proposed to front open space under the ASP.
2. The Primary School will result in a decline in land values.
3. The Primary School site will create more traffic.
4. The extent of the open space has been reduced from what was proposed in the ASP.
5. Creation of the housing site will reduce the open space.
6. The open space has been spilt into two areas.
Comment
Comments on Issues Raised in Submissions
Comments on the issues raised by the public submissions are as follows:
1. Purchased the lots to front POS.
Only three of the submittors raised this concern and none of these reside opposite the proposed school site. It is noted that the land to the immediate north and west of the proposed school site has not been subdivided by the landowner to specifically avoid concerns such as this arising.
2. The Primary School will result in decline in land values.
Only two submittors raised this concern and no evidence has been provided to substantiate the claim. The landowner has advised that in its experience, the existence of a school site does not reduce the value of land, although it may cause sales to slow. As indicated above, in this instance no lots opposite the proposed school site have been created to date.
3. The Primary School site will create more traffic.
A detailed traffic analysis of this area indicates that the additional traffic arising as a result of relocating the Primary School site would be minimal.
4. The extent of the open space has been reduced from what was proposed in the ASP.
The open space in this portion of the structure plan area has been reduced by approximately 6000 square metres from 6.05 ha to 5.43 ha. This reduced area however still allows for the development of active recreation ovals, as was intended for this site and the shortfall in open space has been provided elsewhere in the structure plan area. This amendment merely represents a redistribution of open space throughout the structure plan area. The minimum 10% open space required under WAPC policy is therefore still provided within this estate.
5. Creation of the housing site will reduce the POS extent.
See comments under point 4 above.
6. The POS has been spilt into two areas
The new location of the Primary School site will not result in splitting the open space, rather a reconfiguration of the open space which still maintains its contiguity. The applicant has advised that this will result in an effective spread of open space over a wider area and would ensure maximisation of land use compatibility both functionally and visually.
Additional Changes to Structure Plan
Since initiating this amendment to the Agreed Structure Plan the design of the amendment land has been further discussed with the applicant with respect to:
1. Vehicular access to the Local Centre and its impact on the future traffic on Joondalup Drive, and
2. The location of the Community Purpose site.
Based on these discussions the applicant has submitted a modified design for the amendment land to address the issues raised by the City. The revised design is shown in Attachment 3 and the changes can be summarised as follows:
1. The Community Purposes site now fronts Cheriton Drive rather than being centrally located between the local centre and the primary school.
2. An internal public road reserve now runs between the community purpose site and the proposed medium density housing site to act as a buffer between these uses. In doing so, the extent of the open space in the amendment land has further reduced from 5.43 ha to 5.1584 ha. However the overall open space for the entire estate still achieves the minimum 10% requirement.
The applicant has also requested additional changes to the overall ASP to reflect:
1. Minor changes to the layout of the local road system generally to conform to subdivision approvals granted by the WAPC.
2. An overall 10% allocation of open space.
3. The deletion of the previously proposed community purposes site to the south of Joondalup Drive, given its proximity to the Cheriton Drive community purpose site and a further community purpose site proposed at the nearby future District Centre.
In addition, in order to ensure appropriate development in the amendment land, the applicant has also proposed a series of key design principles that address the following issues:
a) All development to be subject to the corresponding standards prescribed in the City’s District Planning Scheme No 2.
b) All buildings shall be designed to address the abutting streets, open space and other public areas.
c) The design of any fences is to have regard to the adjoining land use and development.
d) The detailed design and layout of the public open space and all car parking areas, including any car parking which may be primarily intended for the use of school users or visitors, shall be undertaken to ensure that all open spaces are integrated with adjoining development utilising Best Practice Design Principles aimed at minimising opportunities for crime and anti social behaviour.
e) All car parking areas and associated vehicle manoeuvring areas are to be integrated with adequate access between the various lots and reserves, in terms of design and easements in gross.
f) All car parking areas are to be clearly visible from the street.
g) All services and rubbish storage areas shall be adequately screened from the view of all roads and publicly visible spaces.
h) All dwellings on the common boundary of the medium density housing site and the open space shall be orientated towards the open space to provide surveillance.
These criteria are considered appropriate and are therefore proposed to be incorporated in the structure plan text.
Given that the above changes are minor and not considered to materially alter the intent of the structure plan, it is not considered that additional advertising is required in this case.
Statutory Compliance
This amendment to the ASP has followed the procedures outlined in District Planning Scheme No. 2.
Strategic Implications
Consideration of this structure plan amendment is consistent with Goal 2 of the City’s Strategic Plan, which seeks to foster an identity that promotes lifestyle choice and the provision of quality services and infrastructure. One of the Strategies of the draft Planning and Development Directorate Plan that arises from this Goal, is to provide for a cohesive system of integrated land use planning and to update and review structure plans, policies and local laws.
Policy Implications
Nil
Financial Implications
The pre-funding proposal will be reported separately to Council once the amendment to the ASP has been determined.
Voting Requirements
Simple Majority.
EndStrip This line will not be printed Please do NOT delete
Recommendation
That Council:-
1. Pursuant to Clause 9.6.1 of the City of Wanneroo District Planning Scheme No.2 RESOLVES that the Amendment to the Carramar South/Tapping North Agreed Structure Plan, as outlined in Attachment 3 to this report, is satisfactory subject to the inclusion of clauses in the text addressing the following issues:
a) All development to be subject to the corresponding standards prescribed in the City’s District Planning Scheme No 2.
b) All buildings shall be designed to address the abutting streets, open space and other public areas.
c) The design of any fences is to have regard to the adjoining land use and development.
d) The detailed design and layout of the public open space and all car parking areas, including any car parking which may be primarily intended for the use of school users or visitors, shall be undertaken to ensure that all open spaces are integrated with adjoining development utilising Best Practice Design Principles aimed at minimising opportunities for crime and anti social behaviour.
e) All car parking areas and associated vehicle manoeuvring areas are to be integrated with adequate access between the various lots and reserves, in terms of design and easements in gross.
f) All car parking areas are to be clearly visible from the street.
g) All services and rubbish storage areas shall be adequately screened from the view of all roads and publicly visible spaces.
h) All dwellings on the common boundary of the medium density housing site and the open space shall be orientated towards the open space to provide surveillance.
2. SUBMITS three copies of the modified Carramar South/Tapping North Agreed Structure Plan to the Western Australian Planning Commission for its adoption and certification.
3. Pursuant to Clause 9.6.5 of the City of Wanneroo District Planning Scheme No.2 ADOPTS, SIGNS and SEALS the amended structure plan documents following certification by the Western Australian Planning Commission.
EndOfRecommendation - This line will not be printed Please do NOT delete
StartOfAttachment - Do not delete this line will not be printed


EndOfAttachment - Do not delete this line will not be printed
StartOfAttachment - Do not delete this line will not be printed

EndOfAttachment - Do not delete this line will not be printed
StartOfAttachment - Do not delete this line will not be printed


EndOfAttachment - Do not delete this line will not be printed
File Ref: SP/0014/03VO1 (71358)
File Name: BALANNEI.doc This line will not be printed Please do NOT delete
Level 3 Approval by sb Date 08 July 2002
Level 2 Approval by ch Date 03 July 2002
Level 1 Approval by TPD Date 28 June 2002
Responsible Officer: Director, Planning and Development
Disclosure of Interest: Nil
Attachments: 4
StartStrip This line will not be printed Please do NOT delete
Issue
To consider the results of advertising an Amendment to the Landsdale Gardens Neighbourhood Centre Agreed Structure Plan No.16 (ASP).
|
Applicant |
BSD Consultants Pty Ltd |
|
Owner |
Rosebury Holdings P/L and Marmion Pharmaceuticals P/L |
|
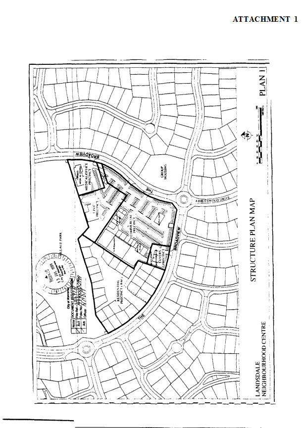
Location |
Lots 307 and 978 Broadview Landsdale |
|
Site Area |
2.2872 hectares |
|
DPS 2 Zoning |
Centre |
|
MRS Zoning |
Urban |
Background
Council at its meeting on 30 April 2002 resolved to advertise an amendment to the ASP which, in general, aimed to accommodate a revised shopping centre design. At this meeting Council also resolved to request a commitment from the applicant for the funding of quality landscaping in the portion of the structure plan area to be set aside as public open space (see PD15-04/02).
A copy of the original structure plan map is shown on Attachment 1. The proposed structure plan map is shown on Attachment 2.
Detail
The applicant’s concept plan which was submitted with the application is shown on Attachment 3. A number of design issues were however raised with this plan, relating to matters such as the orientation of buildings, integration with adjoining sites and surveillance and security issues. It was therefore not considered appropriate to afford this concept plan any status other than to outline the applicant’s broad development intentions for the land.
The structure plan amendment proposes to zone the entire structure plan area Commercial, except the existing developed residential component, and to introduce a range of requirements to address key design principles for the centre. This approach will provide flexibility for the future design of the site within the confines of the key principles and will enable the details to be worked out at the development application stage, when the appropriate level of detail is normally available. A copy of the structure plan text, which incorporates the key design principles is included as Attachment 4.
The applicant has provided a written undertaking to landscape the public open space area to a modest but high quality standard and has set a budget figure of $10,000 to $15,000. The details of this can be worked out at the development application stage.
Consultation
The amendment was advertised for a period of 30 days by way of an onsite sign, an advert in the Community News and letters to adjacent landowners. The submission period closed on 14 June 2002 and four submissions were received from local residents, three supporting the proposal (two offering comments) and one letter of objection. The issues raised in the submissions can be summarised as follows:
· Being advised by a real estate agent that the subject land will be zoned Residential, objects to more shops in addition to the currently existing deli and suggests that more shops and a liquor outlet will exacerbate vandalism and cause nuisance to the existing residential area.
· Question over the need for a mobile library stop in Landsdale and noted that if required, then it would be best located next to the open space area.
· Acknowledging that in the commercial zone the use class ‘Shop’ is a permissible use and therefore not subject to public consultation, requests that in this instance any proposal for a shopping centre should be subject to a further public consultation process to allow residents to assess the impacts of the centre on the amenity of this locality.
Comment
Comments on the issues raised by the submissions are as follows:
No additional shops
In the current ASP, the subject land is already zoned Commercial and Tavern. The size of the shopping centre is not proposed to increase rather the amendment proposes to reconfigure the design. The design concept also indicates that the Tavern is to be replaced with a bottleshop. This change will most likely result in less overall activity at the centre.
Need for a mobile library
The City’s Library Services have identified a need to for a temporary library stop in the Landsdale area, until a permanent facility is established in the broader district. The closest libraries at present are at Girrawheen and Wanneroo and a mobile library facility at this location would provide a valuable facility for Landsdale residents. The specific location of the mobile library stop will be determined at the time of assessing a development application for the centre.
Public consultation process
The need for a further advertising period is most appropriately considered at the development application stage. Further advertising would not normally be undertaken if the development application conformed with the key design principles of the structure plan.
Statutory Compliance
This structure plan amendment has followed the procedures outlined in the City’s District Planning Scheme No. 2.
Strategic Implications
Consideration of this structure plan is consistent with Goal 2 of the City’s Strategic Plan, which seeks to foster an identity that promotes lifestyle choice and the provision of quality services and infrastructure. One of the Strategies of the draft Planning and Development Directorate Plan that arises from this Goal, is to provide for a cohesive system of integrated land use planning and to update and review structure plans, policies and local laws.
Policy Implications
Nil.
Financial Implications
Nil
Voting Requirements
Simple Majority.
EndStrip This line will not be printed Please do NOT delete
Recommendation
That Council:-
1. Pursuant to Clause 9.6.1 of the City of Wanneroo District Planning Scheme No. 2 RESOLVES that the Amendment to the Landsdale Gardens Estate Neighbourhood Centre Agreed Structure Plan No.16, as set out in Attachments 2 and 4 to this report, is satisfactory and SUBMITS three copies to the Western Australian Planning Commission for adoption and certification.
2. Pursuant to Clause 9.6.5 of the City of Wanneroo District Planning Scheme No.2 ADOPTS, SIGNS and SEALS the amended structure plan documents once certified by the Western Australian Planning Commission.
EndOfRecommendation - This line will not be printed Please do NOT delete
StartOfAttachment - Do not delete this line will not be printed

EndOfAttachment - Do not delete this line will not be printed
StartOfAttachment - Do not delete this line will not be printed

EndOfAttachment - Do not delete this line will not be printed
StartOfAttachment - Do not delete this line will not be printed

EndOfAttachment - Do not delete this line will not be printed
StartOfAttachment - Do not delete this line will not be printed


EndOfAttachment - Do not delete this line will not be printed
File Ref: R05/0003 V01
File Name: HAReqClo.doc This line will not be printed dont delete
Level 3 Approval by sb Date 08 July 2002
Level 2 Approval by CH Date 03 July 2002
Level 1 Approval by CH Date 03 July 2002
Responsible Officer: Director, Planning and Development
Disclosure of Interest: Nil
Attachments: 2
StartStrip - This line will not be printed so do not delete
Issue
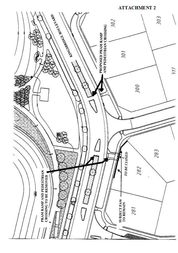
Consideration of a request for the closure of a 0.1 metre wide pedestrian access way (PAW), to provide modified vehicular access to a proposed new dwelling.
Background
Kingsbridge Boulevard has been constructed with a central, disconnected median island which provides both a traffic calming and aesthetic function. Many of the lots fronting this road have an access control mechanism in the form of a 0.1 metre wide PAW, which precludes vehicle crossovers from establishing in areas which conflict with the median island and other street infrastructure. A PAW extends across all but the western 8 metres of the frontage of Lot 282.
The location of Lot 282 is shown on Attachment 1 and a plan indicating the current design of Kingsbridge Boulevard is shown on Attachment 2.
Detail
The developers of this estate, (Butler Joint Venture) still retain ownership of Lot 282 and propose to construct a charity fund raising house on the lot. The concept design for the house relies on the crossover to Lot 282 being on the eastern side of the lot, over an area which is currently affected by the PAW. In order to accommodate this house and crossover design, the closure of the PAW and the relocation of an existing pram ramp and a pedestrian crossing facility in the central median island will be required. The revised location of the pram ramp and pedestrian crossing is shown on Attachment 2.
Consultation
Consultation was undertaken between the developer of the estate and the owner of the adjacent Lot 300, which will be affected by the relocated pram ramp and pedestrian crossing. No objection was raised to the changes.
An advertisement was placed in the Wanneroo Times Community News, providing the public with a 35 day period in which to lodge submissions on the PAW closure. No submissions had been received at the conclusion of the advertising period.
Consultation has also been undertaken with the relevant government service agencies and all have advised that no service plant will be affected by the closure. The Department for Planning and Infrastructure has also advised that it has no objection to the closure of the PAW.
Comment
The relocation of the pram ramp and pedestrian crossing will not adversely impact on pedestrian or vehicle movement in the locality and will retain an adequate and safe pedestrian link between the north and south side of Kingsbridge Boulevard. The developer of the estate has undertaken to fund the relocation works.
The City’s Technical Services has agreed to the modifications, subject to the Council resolving to support the closure of the PAW. Upon the closure being finalised, it is intended that the PAW land will be incorporated into Lot 282 at the cost of the owner of that lot
Closure of only part of the PAW is required due to the concept design for the proposed dwelling. It is therefore not intended to close any more than is necessary for this purpose and accordingly sections of PAW on both sides of the new crossover will remain in place. The approximate extent of the closure is shown on Attachment 2.
Statutory Compliance
The PAW closure guidelines laid down by the Department for Planning and Infrastructure and the Department of Land Administration have been complied with.
Strategic Implications
Nil
Policy Implications
Nil
Financial Implications
Nil
Voting Requirements
Simple Majority.
EndStrip - This will not be printed so do not delete
Recommendation
That Council SUPPORTS the closure of part of the 0.1 metre wide pedestrian access way abutting Lot 282 Kingsbridge Boulevard, Butler, as shown on Attachment 2 to this report, subject to the closed part being amalgamated into that lot and the landowner meeting all costs associated with the closure, including land acquisition and the relocation of the pram ramp and pedestrian crossing.
EndOfRecommendation - This line will not be printed Please do NOT delete


File Ref: R01/0008 V01
File Name: DAreqClo.doc This line will not be printed Please do NOT delete
Level 3 Approval by sb Date 08 July 2002
Level 2 Approval by CH Date 03 July 2002
Level 1 Approval by CH Date 03 July 2002
Responsible Officer: Director, Planning and Development
Disclosure of Interest: Nil
Attachments: 2
StartStrip This line will not be printed Please do NOT delete
Issue
Consideration of a request for the closure of portion of a 0.1 metre wide pedestrian access way (PAW).
Background
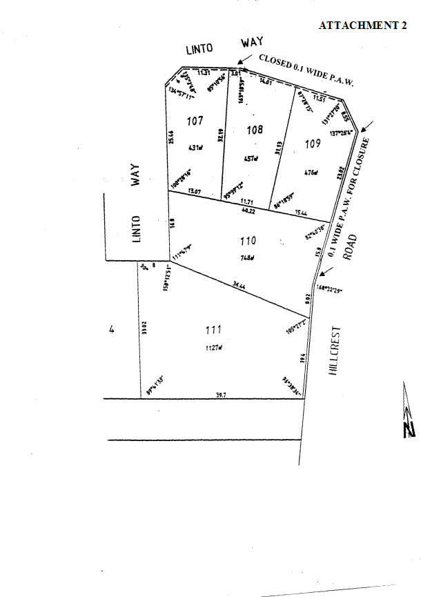
A 0.1 metre wide PAW was created along the northern and eastern boundaries of Lot 5, corner Hillcrest Road and Linto Way, Alexander Heights, as part of the subdivision of the land in 1994 (refer Attachment 1).
The landowner of Lot 5, Landstart, was initially intending to sell the land to a church organisation as a church site and the PAW was put in place to ensure that vehicular access would be obtained from the western frontage of the lot. However, the landowner now intends to sell the land for residential purposes and in 2001, approval was given by the Western Australian Planning Commission for the subdivision of Lot 5 into five lots (refer Attachment 2).
At its meeting on 19 March 2002, Council supported the closure of the northern portion of the PAW, where it abutted the proposed new Lots 107, 108 and 109 Linto Way (item PD08-03/02).
The landowner has now applied for the closure of the eastern portion of the PAW, along Hillcrest Road, to allow for greater flexibility of vehicular access to the proposed new Lots 110 and 111.
Detail
The existence of the PAW prevents vehicular access to the proposed new Lots 110 and 111 from any point along Hillcrest Road. An alternative means of vehicular access is available to the western portion of the proposed lots via Linto Way.
Consultation
Notification of the requested closure was published in the Wanneroo Times, inviting submissions within a 35 day period. The closing date for submissions was 9 July 2002. At the time of writing this report no submissions had been received. Council will be advised of any submissions received prior to the closing date.
Government service agencies have also been consulted and all have advised they have no requirements in respect to this closure.
Comment
The applicant has indicated a preparedness to replace the PAW with a restrictive covenant to control access from Hillcrest Road at specific points once these have been determined. There are no traffic related reasons why access to Hillcrest Road should be restricted in this case and specific access points can be adequately determined at the development application stage. Therefore no need exists for a restrictive covenant to control access in this case.
Lot 5 however adjoins the City’s Community Purpose site. When this overall precinct was subdivided in 1994, it was the intention that a church be developed on Lot 5 and that this church orientate toward a Town Square that is ultimately intended to be developed on the eastern end of the Community Purpose site. Both the City’s existing community buildings and the adjacent shopping centre design reflect this intention and provide orientation toward the future Town Square. This design intention was developed prior to the City’s formal structure planning mechanisms and therefore no formal arrangement is in place to ensure that this building orientation issue is proceeded with. However, the existence of an access control strip along Hillcrest Road would encourage a building design on Lot 5 that would naturally achieve building orientation toward the proposed Town Square. If the PAW to Hillcrest Road is removed, an alternative mechanism to ensure the initial design principle for this site should be put in place. This could adequately be undertaken by a restrictive covenant in gross in favour of the City, which requires any development on Lot 5 (proposed Lots 110 and 111) to properly orientate toward the proposed Town Square.
Statutory Compliance
The PAW closure guidelines laid down by the Department for Planning and Infrastructure and the Department for Land Administration have been complied with.
Strategic Implications
Nil
Policy Implications
Nil
Financial Implications
Nil
Voting Requirements
Simple Majority.
EndStrip This line will not be printed Please do NOT delete
Recommendation
That Council SUPPORTS the closure of the 0.1 metre wide pedestrian access way that abuts the eastern boundary of Lot 5 on the corner of Hillcrest Road and Linto Way, Alexander Heights, subject to:
1. A restrictive covenant in gross in favour of the City being registered on the titles of proposed Lots 110 and 111 to ensure that development on these lots orientates towards the planned town square on the adjoining community purposes site, being Reserve 43532.
2. The landowner meeting all costs associated with the closure, including the preparation and registration of the restrictive covenant in gross.
3. The subject pedestrian access way land being amalgamated into the adjacent proposed new residential lots.
EndOfRecommendation - This line will not be printed Please do NOT delete
StartOfAttachment - Do not delete this line will not be printed

EndOfAttachment - Do not delete this line will not be printed
StartOfAttachment - Do not delete this line will not be printed

EndOfAttachment - Do not delete this line will not be printed
Development Applications
File Ref: 07012
File Name: EAProTem.doc This line will not be printed Please do NOT delete
Level 3 Approval by sb Date 08 July 2002
Level 2 Approval by HW Date 02 July 2002
Level 1 Approval by HW Date 02 July 2002
Responsible Officer: Director, Planning and Development
Disclosure of Interest: Nil
Attachments: 2
StartStrip This line will not be printed Please do NOT delete
Issue
To consider an application for the construction of shops and houses in order to facilitate the establishment of a temporary primary school use for kindergarten to Year 7.
|
Applicant |
Bollig Design Group |
|
Owner |
Ocean Springs Pty Ltd C/- Satterley Property Group |
|
Location |
Butler |
|
Site Area |
1.5778ha |
|
DPS 2 Zoning |
Centre |
Background
The subject land is part of the overall Butler Agreed Structure Plan. The Western Australian Planning Commission has endorsed the first stage of the Butler Agreed Structure Plan (BASP). Part of this approved stage includes the Centre Zone land of which there is a current submission for a detailed Structure Plan. The detail plan is proposed to be considered by the Council at its meeting on 18 August 2002.
Subclause 9.11.1 of DPS2 states that no development shall occur on land in the Centre Zones until a Structure Plan in respect of this land has been prepared and adopted. As stated above, a detailed structure plan for the Centre Zone has been prepared and submitted and is currently being assessed by Administration.
Subclause 9.11.2 of DPS2 allows the Council to consider an application in respect of a development before a Structure Plan has been adopted subject to having due regard to the following considerations:
(a) as an overriding consideration, the intent referred to subclause 9.11.1;
(b) the desirability from a planning point of view of having an Agreed Structure Plan in place before development or subdivision occurs; and
(c) the interests of orderly and proper planning, and concern for the amenity of the relevant locality in the short, intermediate and long term.
Detail
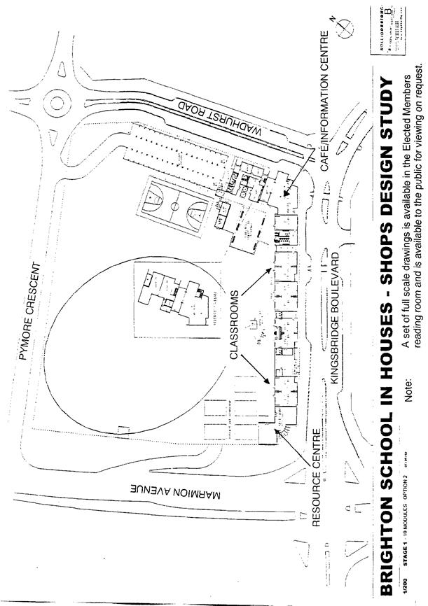
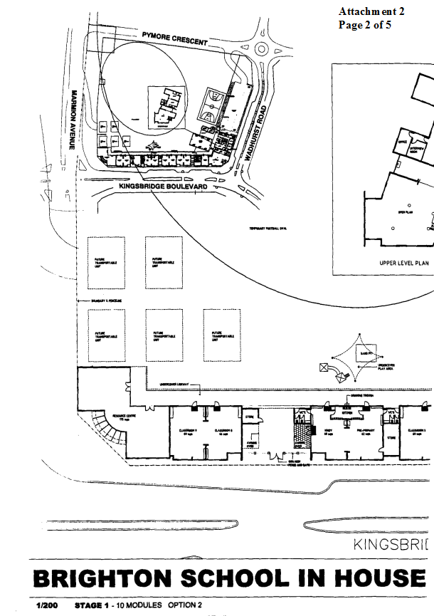
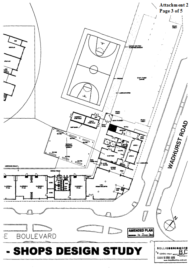
Approval is sought for the construction of nine shops, two townhouses, and two landmark buildings on the subject site (refer Attachment 1). The proposed buildings have been designed with Main Street Principles and are set back generally between nil and one metre from the street boundary. The shops are single storey in height with the exception of two double storey landmark buildings at both ends of Kingsbridge Boulevard. The building design is of contemporary style with appropriate awnings over the footpath.
The proposal includes the temporary use of the subject buildings as a K-7 Primary School (Kindergarten – Year 7) and is summarised as follows:
· six classrooms ranging in size between 66 square metres and 69 square metres with associated kitchen, storerooms, toilets;
· one kindy (60 square metres);
· one pre-Primary (62 square metres);
· a resource centre on the corner of Marmion Avenue and Kingsbridge Boulevard (landmark building);
· a café/information centre on the corner of Kingsbridge Boulevard and Wadhurst Road (landmark building);
· administration offices, staff room, reception being incorporated into two double storey buildings;
· a temporary undercover assembly area is located at the rear of the shops and house;
· a 36 bay car park with access from Pymore Crescent;
· a temporary basketball court and a temporary football oval located to the north of the property.
The proposal is premised on a “school in shops and houses” approach whereby shops and townhouse buildings are temporarily used as school facilities, which are then converted to retail tenancies and residential dwellings upon cessation of the school use.
Consultation
Nil
Comment
The applicant has indicated that the number of children at the school will vary from 150 in its first year of operation in 2003 to an absolute maximum of 400 in 2006 prior to moving to the permanent primary school site located to the east. Any additional number of students who may need to be accommodated will be housed in future transportable classrooms on a temporary basis in the final year of the school’s life. The future transportable classrooms are not part of this application and would require separate planning approval. The number of teachers will depend on the number of enrolments in the first year. The average staff levels would be a maximum of 20 total staff in the final year.
Drop Off/Pick Up
The main location for children’s drop off and pick up for the primary school will be off Pymore Crescent to the north of the site. The main kindy and pre-primary set down and pick up area will be in the embayment provided on Kingsbridge Boulevard.
Car Parking
Under DPS2, the car-parking requirement for a primary school is based on a ratio of two bays per classroom with no less than 10 bays for the overall school. Based on this ratio and the number of classrooms being a total of eight (8), the car parking required under DPS2 is 16 car bays. However, it is considered that this number of bays required is rather low given the proposed number of students will range from 150 to 400 students over the four (4) year occupation of the site. Alternatively, the Taskforce on Road Safety at Schools Report previously adopted by the Ministry of Education and the Department for Planning and Infrastructure recommends a car parking requirement based on a ratio of 14 bays for every 100 children and 14 pick up/set down bays for every 100 children.
The applicant has indicated that the number of school children in the first year of operation is anticipated to be 150. The breakdown of kindergarten and primary school children is not known at this stage. Based on a 150 children in the first year, it is estimated that a total of 21 bays plus 21 pick up/set down bays is required. However, based on the peak rate of 400 children in 2006, a total of 112 bays are required. The applicant has provided 36 bays on site and 29 bays as embayments on either side of Kingsbridge Boulevard and Wadhurst Road. A total short fall of 47 bays therefore exists.
The applicant has indicated that the embayments on Wadhurst Road and Kingsbridge Boulevard would allow for set down and pick up of 29 vehicles, which are in addition to the 36 bays provided on site. Council has previously approved roadside embayments as part of the school car parking provisions. With this in mind, the total number of parking bays available for use within the immediate vicinity of the school is approximately 65 bays. The applicant contends that this should be sufficient to cater for the needs of the temporary school.
Additionally, there is a temporary car park for Display Homes on the corner of Kingsbridge Boulevard and Marchwood Boulevard. The use of this car park for the Display Home operation is unlikely to be in conflict with the peak hours of the school operation and may provide an opportunity for its reciprocal use. Likewise, there is also an additional car park for the park land off Wadhurst Road on the corner of Pymore Crescent. The operation of this car park is also unlikely to conflict with the peak hours of the school. Therefore, there is potentially an additional thirty car bays in the immediate area which could facilitate the peak demands for car parking for this temporary school.
The car parking provision in this immediate area can be summarised as follows: -
65 bays comprising: 36 bays on site;
29 bays in embayments on Kingsbridge Boulevard and Wadhurst Road.
30+ bays comprising: Temporary Display Home car park on cnr. Kingsbridge Boulevard and Marchwood Boulevard;
Park land car park on cnr. Wadhurst Road and Pymore Crescent.
The current scheme standard for primary school car parking is considered inadequate and the parking standard outlined in the Taskforce on Road Safety at Schools Report (adopted by the Ministry of Education and the Department for Planning and Infrastructure) may be used as a guideline in this circumstance for the Council’s consideration. The embayments on both sides of the streets may be considered appropriate given that the traffic generation from a school of this nature is confined to twice a weekday.
It is considered in this circumstance, that the provision of 36 car parking bays on site and 29 bays within the road embayments on the school side of Kingsbridge Boulevard and Wadhurst Road are adequate subject to negotiations being reached for reciprocal use of the surrounding car parking facilities in the immediate surrounding area for the school.
Traffic Circulation
The proposal to utilize shops and houses for school purposes is a temporary measure to meet a potential need of the local residents in the area. Once the school is established, its landuse is “locked in” for approximately 1-5 years. The intent of a Commercial zone on the northern and southern sides of Kingsbridge Boulevard is to create a local neighbourhood center with Main Street. A safety audit was previously undertaken in respect to the commercial development of this land, however, the traffic circulation demand in relation to a school site is considerably different from a commercial development. The intensity of landuse in relation to morning and afternoon peak hours bring pressures on the local road network not immediately apparent and may require road network modification as the surrounding area is developed and desire routes established.
The City’s Infrastructure Services have examined the proposal in detail and consider the introduction of a roundabout at the intersection of Wadhurst Road and Kingsbridge Boulevard to support the school may be needed. This is to eliminate ad-hoc and indiscriminate manoeuvres that may result by motorists wishing to return in a westerly direction as the land west of Marmion Avenue is developed. It is considered that a condition of approval can be imposed requiring an updated traffic impact study to the maximum accommodation of the school to the year 2006, to determine the need for an additional roundabout at the intersection of Wadhurst Road and Kingsbridge Boulevard. Recommendations from this study will require consideration by the City and implementation at the full expense of the owner. Further, the proposed crossover to Pymore Crescent will need to be relocated further west to improve traffic flow and avoid rear end crashes.
Building Setback
The proposed buildings are set back generally between nil and one metre from the street boundary. This setback range is consistent with the Draft Local Structure Plan prepared for the Brighton Village Centre in particular the Main Street concept that is proposed to be replicated in the area. The applicant has indicated that the building façade has been articulated to avoid a bland building appearance. Indentations have been created at intervals to break up the streetscape and not create a continuous single line face over the entire street block length. While there is no objection to indentations in order to create a horizontal fenestration of building façade, concern is raised that these indentations may become a “dead space” and “hiding spot” for inappropriate behaviour. It is considered that a condition be imposed deleting any indentations to the building façade.
Awning over Footpath
The Draft Local Structure Plan encourages development adjacent the Kingsbridge Boulevard Main Street to be a continuous façade incorporating continuous awnings and/or colonnades. The application proposes an awning over footpath that requires the approval of the Department of Land Administration. The applicant has indicated that this requirement will be satisfied prior to the issue of a building licence. Further, the height of awning and its design will minimise any conflicts with verge trees and lighting in the road reserve. Generally, a requirement of an awning width of 2.0 metres and minimum of 2.7 metres in height clearance is standard.
Other Issues
In addition to the issues raised above, other issues such as dimensions of car bays, provision of shade trees, disabled parking, disabled access and bin storage area will need to be complied with. The applicant will therefore be required to comply with the statutory requirements including the Building Code of Australia.
Statutory Compliance
The proposal is consistent with the Draft Local Structure Plan prepared for the area.
Strategic Implications
Nil
Policy Implications
Nil
Financial Implications
Nil
Voting Requirements
Simple Majority.
EndStrip This line will not be printed Please do NOT delete
Recommendation
That Council:-
1. APPROVES the proposed development submitted by Bollig Design Group Pty Ltd including the use as a temporary Primary School (containing Kindergarten to Year 7) in shops and houses at Pt.Lot 7 (2350) Marmion Avenue, Butler, as detailed in the amended plans dated 10 June 2002, subject to :-
i) a maximum of 150 school children in 2003 up to 400 school children in 2006;
ii) a separate planning application is required for any internal alterations to the buildings including conversion of the building to a residential standard upon the closure of the temporary primary school;
iii) the use of the subject land for a temporary primary school ceasing by 31 December 2006 unless a further application for approval to commence development is lodged and approved by the City prior to that date;
iv) a traffic impact study based upon the total projected students being undertaken at the developer’s full expense and submitted for consideration prior to the issue of a building licence;
v) with reference to Condition (iv) above, the applicant shall implement the approved recommendations of the traffic impact study prior to the commencement of use, to the satisfaction of the Director Planning and Development Services;
vi) a minimum of 36 bays being provided on the school site and the applicant demonstrating that a further 76 bays can be accommodated adjacent to this site for use by the school prior to the commencement of the school use in order to meet the future parking demand of the school, to the satisfaction of the Director Planning and Development;
vii) all access roads, carparks and the pedestrian path connecting the main parking areas and the temporary school being constructed, drained and marked to the City’s specifications and satisfaction prior to the commencement of the school use;
viii) details of the finishes for the proposed buildings being submitted for approval at the relevant building licence application stage;
ix) a detailed landscaping plan including landscaping to children play area being submitted for approval at the relevant building licence application stage and thereafter implemented in accordance with the approved plan at the applicant’s expense to the satisfaction of the Director Planning and Development;
x) the development complying will current relevant Australian Standards and Building Code of Australia regarding access and mobility;
xi) all external building plant, including air conditioner units, compressors, being screened from public view. Details of the location and design of such plant being submitted and approved at the relevant building licence application;
xii) details of the dimensions, location, and screening of all rubbish storage areas being submitted and approved at the relevant building licence application stage;
xiii) the approval of the Department of Land Administration being obtained for awnings over footpath and submitted at the relevant building licence application stage;
xiv) approval for appropriate directional signage for the primary school and car park being required for those major roads that provide vehicle access to the site;
xv) the carpark crossover on Pymore Crescent being relocated westwards and constructed in accordance with the appropriate Australian Standards and to the satisfaction of the City;
xvi) a sign being placed on site immediately, stating that approval has been granted for a temporary school facility on site, such sign to remain on site until development is completed;
xvii) the entire school site being appropriately fenced to ensure the safety of school children is maintained at all times;
xviii) provision of bicycle racks being submitted and approved at the relevant building licence application stage;
xix) the future transportable units as indicated on the approved plans are not part of this approval and should be submitted as a separate planning application for approval;
xx) building indentations shown on the street frontage to the building façade are to be removed to the satisfaction of the Director Planning and Development;
xxi) provide a continuous cantilever awning affixed to the building over the footpath areas to protrude to a width of 2.0 metres and a minimum clearance height of 2.7 metres;
xxii) the finish floor level at entrance points to each “unit” to be at grade level to the footpath;
xxiii) extend the paved area of the footpath up to the building line at a two per cent (2%) grade in matching material and style of the pavement.
EndOfRecommendation - This line will not be printed Please do NOT delete
Attachment 1 Page 1 of 1

Attachment 2 Page 1 of 5




Delegated Authority Reports
File Ref: S09/0014V01
File Name: FCSUBAPP.doc This line will not be printed Please do NOT delete
Level 3 Approval by sb Date 08 July 2002
Level 2 Approval by ch Date 03 July 2002
Level 1 Approval by ch Date 03 July 2002
Responsible Officer: Director, Planning and Development
Disclosure of Interest: Nil
Attachments: 5
StartStrip This line will not be printed Please do NOT delete
Issue
Determination of subdivision applications processed in the period between 1 June and 30 June 2002 under delegated authority.
Detail
The West Australian Planning Commission (WAPC) is responsible for determining all subdivision applications within the State. Applications for approval are lodged with the WAPC and are referred to local governments and affected public bodies for comment. Comments are made within 42 days of receiving the application after which the Commission determines the applications. There is a right of appeal by the applicant if aggrieved with the Commission’s decision.
Council has delegated to the Chief Executive Officer its functions relating to the provision of comments to the Commission on subdivision applications. The Chief Executive Officer has in turn delegated to the Planning and Development Division this responsibility. A Land Development Unit has been established to assist with the assessment of all applications.
Those applications considered to be either controversial in nature or contrary to Council policy, are referred to Council for consideration. All other applications are dealt with in respect to the following categories.
SCU 1 Subdivision applications received which are generally consistent with an approved or Agreed Structure Plan (including Outline Development Plan and Development Guide Plan).
SCU 2 Subdivision applications previously supported, or not supported by Council and subsequently determined by the Western Australian Planning Commission (WAPC) consistent with the Council’s recommendation.
SCU 3 Applications for extension of subdivisional approval issued by the WAPC which were previously supported by Council.
SCU 4 Applications for subdivision or amalgamation which result from conditions of development approval given by or on behalf of Council.
SCU 5 Applications for subdivision or amalgamation of lots which would allow the development of the land for uses permitted in the zone within which that land is situated including applications involving the excision of land for road widening, sump sites, school sites, etc.
SCU 6 Applications for subdivision or amalgamation of lots contrary to Council or WAPC Policy or are not generally consistent with an approved or Agreed Structure Plan.
The following table provides the details of the subdivision applications dealt with under delegated authority between 1 June and 30 June 2002.
EndStrip This line will not be printed Please do NOT delete
Recommendation
That Council NOTES the actions taken in relation to providing comments to the Western Australian Planning Commission on subdivision applications processed under delegated authority between 1 June and 30 June 2002 as listed:
|
No |
WAPC No/Recd. |
Zoning / LDU Category |
Advice |
WAPC Advised
|
|
|
1. |
119150
22/05/2002 |
Lot 11 (1186) Wanneroo Road, Ashby
Wanneroo North Pty Ltd |
Urban Development
SCU1 |
Supported |
05/06/2002 |
|
2. |
119171
24/05/2002 |
Lot 136 (8) Sabina Park Drive, Madeley
Justin Sonia Pty Ltd |
Residential
SCU1 |
Supported |
14/06/2002 |
|
3. |
119239
05/06/2002 |
Lot 2 (9) Hazel Avenue, Quinns Rocks
EE & P Taylor
|
Residential
SCU6 |
Not Supported |
13/06/2002 |
|
4. |
119284
13/06/2002 |
Lot 24 (6) Kings Lynn Rise, Mindarie
KR & BJ Bell |
Marina
SCU1 |
Supported |
26/06/2002 |
|
5. |
400-02
23/05/2002 |
Lot 9 (9/7) Dellamarta Rd, Wangara
Genkali Pty Ltd |
Service Industrial
SCU5 |
Supported |
17/06/2002 |
EndOfRecommendation - This line will not be printed Please do NOT delete
StartOfAttachment - Do not delete this line will not be printed

EndOfAttachment - Do not delete this line will not be printed
StartOfAttachment - Do not delete this line will not be printed

EndOfAttachment - Do not delete this line will not be printed
StartOfAttachment - Do not delete this line will not be printed

EndOfAttachment - Do not delete this line will not be printed
StartOfAttachment - Do not delete this line will not be printed

EndOfAttachment - Do not delete this line will not be printed
StartOfAttachment - Do not delete this line will not be printed

EndOfAttachment - Do not delete this line will not be printed
File Ref: 63346
File Name: FADevApp.doc This line will not be printed Please do NOT delete
Level 3 Approval by sb Date 08 July 2002
Level 2 Approval by HW Date 04 July 2002
Level 1 Approval by HW Date 04 July 2002
Responsible Officer: Director, Planning and Development
Disclosure of Interest: Nil
Attachments: 1
StartStrip This line will not be printed Please do NOT delete
Issue
Development Applications determined by Planning & Development between 1 June 2002 and 30 June 2002, acting under Delegated Authority from Council.
Background
Nil
Detail
The City of Wanneroo District Planning Scheme 2 (DPS2) provides Council with development approval powers which are designed to avoid conflict between different land uses on adjoining lots. It is also necessary to ensure the completed developments meet the required standards such as building setbacks, carparking and landscaping. Planning approvals are not generally required for single residential houses unless they seek to vary the requirements of the Residential Planning Codes (R Codes.)
The City of Wanneroo continues to experience very rapid growth pressures with between 80 to 130 development applications being received per month in addition to an average of 400 to 500 building license applications.
Council has delegated some of its responsibilities for decision making on development applications to Council Administration which enables the processing of applications within the required 60 day statutory period and within normal customer expectations.
Council Administration, in assessing development proposals, attempts to extract from the relevant planning documents the key policies and requirements of Council in order to make comments and recommendations on the issues raised in the assessment of each individual development application.
Development applications determined by Planning & Development between 1 June 2002 and 30 June 2002, acting under Delegated Authority from Council are included in the attached Schedule 1.
Consultation
Nil
Comment
It should be noted that DA01/1195, DA01/1309 and DA02/0602 were determined by consultation with the Mayor.
Statutory Compliance
A Delegated Authority Register was adopted by Council at its meeting on 14 August 2001 (item W340-08/01 refers). The decisions referred to in schedule 1 of this report are in accordance with this register.
Strategic Implications
Nil
Policy Implications
Nil
Financial Implications
Planning applications incur administration fees which are generally based on the Town Planning (Local Government Planning Fees) Regulations and have been adopted by Council in its annual budget. The estimated cost of development for each application is listed in schedule 1. Applications where an estimated cost has not been provided, are either applications for the exercising of discretion or for a change of use.
Voting Requirements
Simple Majority.
EndStrip - This will not be printed so do not delete
Recommendation
That Council NOTES the determinations made by Planning & Development Services acting under delegated authority from Council on development applications processed between 1 June 2002 and 30 June 2002.
EndOfRecommendation - This line will not be printed Please do NOT delete
StartOfAttachment - Do not delete this line will not be printed
Development Applications determined for Period City of Wanneroo
WHERE (Issued_date BETWEEN 01/06/2002 00:00:00 AND 30/06/2002
Note: Est Cost not provided on applications for use only or where a flat fee is applicable
Ram Id Date Owners Days Est Cost Decision
DA01/0593 18/07/2001 ROGER W HARRISON 238 $5,000.00 Refused
Prop address 125 CAPORN STREET MARIGINIUP WA 6065
Land Part Lot 1 D 33001 Vol 592 Fol 021A
Description MARRON HATCHERY
Applicants ROGER W HARRISON
File Number 65876
DA01/0897 24/09/2001 CARL BASSO-BRUSA, MARK BASSO-BRUSA, PAUL 196 $0.00 Approved
Prop address 73 CHALLENGE BOULEVARD WANGARA WA 6065
Land Lot 59 P 17245 Vol 1960 Fol 520
Description STORAGE YARD
Applicants MARK BASSO-BRUSA, PAUL BASSO-BRUSA, CARL BASSO-BRUSA
File Number 70653
DA01/1195 28/11/2001 PETER D WITHAM 109 $200,000.00 Approved
Prop address 16 COX CRESCENT QUINNS ROCKS WA 6030
Land Lot 678 P 8342 Vol 1973 Fol 450
Description Two Storey Dwelling with Basement
Applicants LES CANNELL DRAFTING SERVICES
File Number 70834
DA01/1309 13/12/2001 THI N PHAM & THAI H DUONG 21 $0.00 Approved
Prop address 18 GRIFFON WAY ALEXANDER HEIGHTS WA 6064
Land Lot 233 P 16973 Vol 1846 Fol 824
Description VARIATION OF COMMERCIAL VEHICLE PARKING PROVISIONS (PARKING WITHIN THE
Applicants THI N PHAM, THAI H DUONG
File Number 36038
DA01/1346 21/12/2001 BARBICAN PTY LTD 130 $150,000.00 Approved
Prop address 135 LAKELANDS DRIVE GNANGARA WA 6065
Land Lot 152 P 16140 Vol 1786 Fol 473
Description SINGLE HOUSE
Applicants SOLAR DWELLINGS
File Number 12376
DA02/0111 25/01/2002 MILA PROPERTIES PTY LTD 51 $315,000.00 Refused
Prop address FAST FOOD-PROPOSED 18 ANCHORAGE DRIVE MINDARIE WA 6030
Land Lot 970 P 21320 Vol 2077 Fol 524
Description 5 Units
Applicants ESAM WILLIAMS COMMERCIAL DESIGNERS &
File Number 23456
DA02/0211 14/02/2002 MINTRAG PTY LTD 27 $0.00 Approved
Prop address SERVICE STATION 964 WANNEROO ROAD WANNEROO WA 6065
Land Lot 70 D 59056 Vol 1577 Fol 164
Description INSTALLATION OF 7.5 KL ABOVEGROUND LPG VESSEL
Applicants HAZKEM PTY LTD
File Number 35145
DA02/0378 19/03/2002 DANIEL J VAZ & FILOMENA C VAZ 58 $250,000.00 Refused
Prop address SERVICE STATION 361 YANCHEP BEACH ROAD YANCHEP WA 6035
Land Lot 200 D 96819
Description Proposed new Service Station & Shop
Applicants FERGUSON FFORDE
File Number
Development Applications determined for Period City of Wanneroo
WHERE (Issued_date BETWEEN 01/06/2002 00:00:00 AND 30/06/2002
Note: Est Cost not provided on applications for use only or where a flat fee is applicable
Ram Id Date Owners Days Est Cost Decision
DA02/0379 19/03/2002 RODERICK N MCKELLAR 58 $5,000.00 Approved
Prop address 1792 WANNEROO ROAD NEERABUP WA 6031
Land Lot 24 P 8326 Vol 8 Fol 212A
Description Change of Use
Applicants RODERICK N MCKELLAR
File Number
DA02/0381 19/03/2002 JUNE BAKER & RICHARD BAKER 58 $218,278.00 Approved
Prop address 1814 WANNEROO ROAD NEERABUP WA 6031
Land Part Lot 22 P 8326 Vol 373 Fol 153A
Description GROUPED DWELLING
Applicants WEST COURT PTY LTD
File Number
DA02/0392 22/03/2002 RAAFA ASSOCIATION INC & AUSTRALIAN FLYING 21 $4,000,000.00 Approved
Prop address RAAFA ESTATE 250 BALTIMORE PARADE MERRIWA WA 6030
Land Part Lot 905 P 16686
Description RETIREMENT VILLAGE - AGED (HIGH CARE) FACILITY
Applicants LOUGHTON PATTERSON
File Number 09153
DA02/0395 22/03/2002 KELSHORE PTY LTD, NEWEAGLE NOMINEES PTY 55 $2,000.00 Approved
Prop address COMMERCIAL CENTRE 981 WANNEROO ROAD WANNEROO WA 6065
Land Lot 998 DP 27347
Description Additional Signage
Applicants WAYNE MILLER SIGNS
File Number
DA02/0399 25/03/2002 PATANAL PTY LTD 48 $500.00 Approved
Prop address WILDFLOWER NURSERY 274 WANNEROO ROAD MADELEY WA 6065
Land Lot 3289 DP 253525 Vol 1776 Fol 554
Description Estate Sign
Applicants PATANAL PTY LTD
File Number
DA02/0417 26/03/2002 JOYCE E SHEFFIELD & SPENCER P SHEFFIELD 60 $11,500.00 Refused
Prop address 6 BOWEN LANE MINDARIE WA 6030
Land Lot 9 P 19750 Vol 1999 Fol 851
Description Reduced Garage Setback
Applicants BOZENA BAK, KAZIMIERZ BAK, JOYCE E SHEFFIELD & Others
File Number
DA02/0437 28/03/2002 CARMELO PRINCIOTTO & JULIANA PRINCIOTTO 54 $0.00 Approved
Prop address 318 BADGERUP ROAD GNANGARA WA 6065
Land Lot 505 P 21845 Vol 2095 Fol 408
Description Building Envelope Modification
Applicants CHARLES MALLOZZI
File Number
DA02/0444 02/04/2002 MCPBB PTY LTD 60 $25,000.00 Approved
Prop address 62 TRIUMPH AVENUE WANGARA WA 6065
Land Lot 309 DP 25979 Vol 2215 Fol 637
Description STORAGE YARD
Applicants SEACREST HOMES PTY LTD
File Number 73428
Development Applications determined for Period City of Wanneroo
WHERE (Issued_date BETWEEN 01/06/2002 00:00:00 AND 30/06/2002
Note: Est Cost not provided on applications for use only or where a flat fee is applicable
Ram Id Date Owners Days Est Cost Decision
DA02/0467 05/04/2002 CARNEGIE PARK (NO 3) PTY LTD 42 $1,765,000.00 Approved
Prop address 15 GIDGI WAY WANNEROO WA 6065
Land Lot 166 DP 29015
Description GROUPED & AGED OR DEPENDENT PERSONS DWELLING ( 4 GROUPED DWELLINGS,
Applicants OLDFIELD KNOTT ARCHITECTS PTY LTD
File Number 198686
DA02/0470 05/04/2002 GIOVANNI IULIANO 49 $0.00 Approved
Prop address 18 DUNSFOLD STREET BUTLER WA 6036
Land Lot 801 DP 30599
Description Single Dwelling
Applicants SCOTT PARK HOMES PTY LTD
File Number
DA02/0480 09/04/2002 RACHEL J DALY 48 $5,000.00 Approved
Prop address 5 AMERY ROAD HOCKING WA 6065
Land Lot 488 D 92335 Vol 2113 Fol 698
Description Home Business Application - Hairdressing
Applicants RACHEL J DALY
File Number 64100
DA02/0494 11/04/2002 ANDREA L ROSE 46 $0.00 Approved
Prop address 305 BADGERUP ROAD WANNEROO WA 6065
Land Lot 251 P 20358 Vol 2027 Fol 173
Description BUILDING ENVELOPE MODIFICATION AND STABLES - FOR STABLING OF TWO
Applicants ANDREA L ROSE
File Number
DA02/0516 04/04/2002 JENNIFER L CAMPBELL & TODD LOTTEY 52 $0.00 Approved
Prop address 25 WADHURST ROAD BUTLER WA 6036
Land Lot 857 DP 29959 Vol 2513 Fol 843
Description Single Dwelling
Applicants VENTURA HOMES PTY LTD
File Number
DA02/0539 22/04/2002 ELHAM M JANKOWSKI & LISA A JANKOWSKI 34 $0.00 Approved
Prop address 4 MARLBOROUGH WAY QUINNS ROCKS WA 6030
Land Lot 476 DP 29727
Description Single Dwelling
Applicants SCOTT PARK HOMES PTY LTD
File Number
DA02/0548 23/04/2002 EDWARD RICHARDSON & EILEEN RICHARDSON 48 $6,000.00 Approved
Prop address 11 MEGA STREET WANNEROO WA 6065
Land Lot 134 P 11073 Vol 1396 Fol 052
Description SINGLE HOUSE - DOUBLE GARAGE ADDITION
Applicants EDWARD RICHARDSON, EILEEN RICHARDSON
File Number 73542
DA02/0552 24/04/2002 SEABEAM ENTERPRISES PTY LTD 32 $167,627.00 Approved
Prop address 41 LILAC HILL VISTA MADELEY WA 6065
Land Lot 212 DP 28994
Description Two Grouped Dwellings
Applicants SCOTT PARK HOMES PTY LTD
File Number
Development Applications determined for Period City of Wanneroo
WHERE (Issued_date BETWEEN 01/06/2002 00:00:00 AND 30/06/2002
Note: Est Cost not provided on applications for use only or where a flat fee is applicable
Ram Id Date Owners Days Est Cost Decision
DA02/0559 26/04/2002 MARK N WELDON & ROBYN S WELDON 35 $221,494.00 Approved
Prop address 8 GATESHEAD LOOP MINDARIE WA 6030
Land Lot 985 P 23586 Vol 2172 Fol 110
Description TWO STOREY SINGLE HOUSE
Applicants BEAUMONDE HOMES
File Number 65290
DA02/0563 26/04/2002 THI N MAI & VAN H LE 39 $18,000.00 Approved
Prop address 170 FRANKLIN ROAD JANDABUP WA 6065
Land Part Lot 5 D 26189 Vol 2003 Fol 252
Description RURAL INDUSTRY
Applicants THI N MAI, VAN H LE
File Number 26685
DA02/0572 29/04/2002 CITY OF WANNEROO 11 $18,100.00 Approved
Prop address YANCHEP SPORTS CLUB 81 YANCHEP BEACH ROAD YANCHEP WA 6035
Land Lot 1 D 52126 Vol 1497 Fol 032
Description ERECTION OF LIGHTING ON BOWLING GREEN
Applicants YANCHEP SPORTS CLUB
File Number 07962
DA02/0573 29/04/2002 SETTLERS RIDGEWOOD VILLAGE LTD 26 $1,200,000.00 Approved
Prop address SETTLERS RETIREMENT VILLAGE 76 RIDGEWOOD BOULEVARD RIDGEWOOD WA
Land Lot 714 P 24003 Vol 2206 Fol 794
Description CLUBHOUSE TO RESIDENTIAL VILLAGE
Applicants MCDONALD JONES ARCHITECTS
File Number 62989
DA02/0575 29/04/2002 WALTER F DUNNE & ALISON P HANLON-DUNNE 33 $0.00 Approved
Prop address 84 PEMBURY WAY BUTLER WA 6036
Land Lot 698 DP 30598 Vol 2514 Fol 412
Description Single Dwelling
Applicants HOMEBUYERS CENTRE
File Number
DA02/0578 30/04/2002 CROWN LAND-CITY OF WANNEROO MANAGEMENT 35 $20,506.00 Approved
Prop address GUMBLOSSOM CRAFT/CHANGERMS 17 TAPPING WAY QUINNS ROCKS WA 6030
Land PT RES 28376
Description Lights to Quinns Rocks Bowling Club
Applicants QUINNS ROCKS SPORTS CLUB
File Number 05052
DA02/0591 30/04/2002 HOMESWEST VACANT 28 $85,440.00 Approved
Prop address 64 PEMBURY WAY BUTLER WA 6036
Land Lot 642 DP 31249 Vol 2516 Fol 462
Description Single Dwelling
Applicants HOMEBUYERS CENTRE
File Number
DA02/0593 30/04/2002 BRANDI A BURNHAM & GILBERT V BURNHAM 28 $0.00 Approved
Prop address 15 WILTSHIRE ENTRANCE BUTLER WA 6036
Land Lot 228 DP 31249 Vol 2516 Fol 456
Description Single Dwelling
Applicants COMMODORE HOMES PTY LTD
File Number
Development Applications determined for Period City of Wanneroo
WHERE (Issued_date BETWEEN 01/06/2002 00:00:00 AND 30/06/2002
Note: Est Cost not provided on applications for use only or where a flat fee is applicable
Ram Id Date Owners Days Est Cost Decision
DA02/0599 01/05/2002 NATIONAL LIFESTYLE VILLAGES 27 $500,000.00 Approved
Prop address 1132 WANNEROO ROAD ASHBY WA 6065
Land Lot 6 D 16981 Vol 1154 Fol 656
Description FINAL STAGE/LAKE JOONDALUP LIFESTYLE VILLAGE PARK HOME ESTATE
Applicants HAMMOND & GREEN ARCHITECTS PTY LTD
File Number
DA02/0602 01/05/2002 PAULA A BURNELL & STEVEN J BURNELL 17 $231,600.00 Approved
Prop address 72 KINSALE DRIVE MINDARIE WA 6030
Land Lot 303 P 16652 Vol 1934 Fol 379
Description Two Storey Dwelling
Applicants PAULA A BURNELL, STEVEN J BURNELL
File Number 02910
DA02/0607 02/05/2002 SEABEAM ENTERPRISES PTY LTD 20 $117,600.00 Approved
Prop address 2 LILAC HILL VISTA MADELEY WA 6065
Land Lot 149 DP 28764
Description TWO STOREY DWELLING
Applicants VICTORIAN COLONIAL HOMES WA PTY LTD
File Number 73280
DA02/0609 03/05/2002 HOMESWEST RENTALS 25 $3,000.00 Approved
Prop address 3 TENDRING WAY GIRRAWHEEN WA 6064
Land Lot 1192 P 10645 Vol 1370 Fol 617
Description GROUPED DWELLING - CARPORT ADDITIONS TO UNITS 3A & 3B
Applicants ANTHONY P NAUGHTIN
File Number 52000
DA02/0612 03/05/2002 UNITING CHURCH IN AUSTRALIA PROPERTY TRUST 23 $0.00 Approved
Prop address 62 BALTIMORE PARADE MERRIWA WA 6030
Land Lot 955 D 83093 Vol 1946 Fol 196
Description Minor Modifications to Community House
Applicants UNITING CHURCH IN AUSTRALIA PROPERTY TRUST (WA)
File Number 69824
DA02/0616 03/05/2002 STATE HOUSING COMMISSION 22 $95,000.00 Approved
Prop address 16 MOORPARK AVENUE YANCHEP WA 6035
Land Lot 185 P 11495 Vol 1484 Fol 406
Description SINGLE HOUSE INCLUDING CARER FACILITY
Applicants S & DUBCZUK
File Number
DA02/0618 06/05/2002 ENG C TEH & KEVIN A EASTHER 27 $0.00 Approved
Prop address 29 ITCHEN LOOP BUTLER WA 6036
Land Lot 540 DP 27675 Vol 2506 Fol 683
Description Single Dwelling
Applicants Don Russell
File Number
DA02/0620 06/05/2002 DARREL E ROGERS 21 $74,606.00 Approved
Prop address 62 MARCHWOOD BOULEVARD BUTLER WA 6036
Land Lot 732 DP 30598 Vol 2514 Fol 428
Description Single Dwelling
Applicants WEST COURT PTY LTD
File Number
Development Applications determined for Period City of Wanneroo
WHERE (Issued_date BETWEEN 01/06/2002 00:00:00 AND 30/06/2002
Note: Est Cost not provided on applications for use only or where a flat fee is applicable
Ram Id Date Owners Days Est Cost Decision
DA02/0631 07/05/2002 No owners recorded 28 $18,000.00 Approved
Prop address (SHOPS) 9 CONLAN AVENUE WANNEROO WA 6065
Land Lot 2 D 67680 S/P 12748
Description Extension of Non-Conforming Use (Pharmacy)
Applicants GEOFFREY M STEVENS
File Number
DA02/0633 07/05/2002 GLENDA M MALECKI, ROMAN MALECKI, MARIA 13 $30,000.00 Approved
Prop address 10/35 BUCKINGHAM DRIVE WANGARA WA 6065
Land Lot 10 Vol 1931 Fol 838 S/P 16891
Description Industrial - Commercial Development
Applicants Robert A DORIA
File Number
DA02/0639 07/05/2002 JULIAN BRACEWELL & CAROL BRACEWELL 10 $200,000.00 Approved
Prop address 83 KINGSWAY MADELEY WA 6065
Land Lot 173 DP 27810 Vol 2506 Fol 925
Description Reduced Garage Setback
Applicants M & P HOMES
File Number
DA02/0640 08/05/2002 LEONIE M CROFT & WALTER H CROFT 22 $3,500.00 Approved
Prop address 12 LANCASTER ROAD WANGARA WA 6065
Land Lot 122 P 21718 Vol 2093 Fol 632
Description Change of Use
Applicants LEONIE M CROFT, WALTER H CROFT, BENJAMIN CROFT
File Number
DA02/0642 01/05/2002 CROWN - VESTED CITY OF WANNEROO 39 $0.00 Approved
Prop address KINGSWAY NETBALL 100 KINGSWAY MADELEY WA 6065
Land PT RES 28058
Description DEMOUNTABLE TO BE SITUATED ADJACENT TO NETBALL COURTS TO ASSIST
Applicants WANNEROO DISTRICTS NETBALL ASSOCIATION
File Number 23411
DA02/0643 01/05/2002 HOMESWEST VACANT 31 $0.00 Approved
Prop address 80 PEMBURY WAY BUTLER WA 6036
Land Lot 696 DP 30598
Description Single Dwelling
Applicants HOMEBUYERS CENTRE
File Number
DA02/0646 08/05/2002 ANDREA D WILLIAMS 19 $0.00 Approved
Prop address 85 PEMBURY WAY BUTLER WA 6036
Land Lot 741 DP 30598 Vol 2514 Fol 437
Description Single Dwelling
Applicants COMMODORE HOMES PTY LTD
File Number
DA02/0651 09/05/2002 BRAD MELLOWS 25 $0.00 Approved
Prop address 17 EDGBASTON DRIVE MADELEY WA 6065
Land Lot 227 DP 28994 Vol 2511 Fol 954
Description Single Dwelling
Applicants SCOTT PARK HOMES PTY LTD
File Number
Development Applications determined for Period City of Wanneroo
WHERE (Issued_date BETWEEN 01/06/2002 00:00:00 AND 30/06/2002
Note: Est Cost not provided on applications for use only or where a flat fee is applicable
Ram Id Date Owners Days Est Cost Decision
DA02/0654 10/05/2002 HOMESWEST VACANT 34 $0.00 Approved
Prop address 23 CONISTON PARKWAY BUTLER WA 6036
Land Lot 664 DP 30598
Description Single Dwelling
Applicants HOMEBUYERS CENTRE
File Number
DA02/0659 10/05/2002 BALWYN WANNEROO PTY LTD 34 $143,778.00 Approved
Prop address 6 BALLARD FAIRWAY WANNEROO WA 6065
Land Lot 71 DP 31208
Description Single Dwelling
Applicants SCOTT PARK HOMES PTY LTD
File Number
DA02/0660 10/05/2002 DEBORAH TUFILLI & GIOVANNI TUFILLI 7 $1,916.00 Approved
Prop address 21 LILYSTONE RETREAT LANDSDALE WA 6065
Land Lot 2 Vol 2169 Fol 247 S/P 36363
Description PATIO
Applicants DEBORAH TUFILLI, GIOVANNI TUFILLI
File Number 24184
DA02/0661 10/05/2002 HOMESWEST VACANT 17 $0.00 Approved
Prop address 64 MARCHWOOD BOULEVARD BUTLER WA 6036
Land Lot 733 DP 30598
Description Single Dwelling
Applicants HOMEBUYERS CENTRE
File Number
DA02/0662 10/05/2002 WARREN J PRENTICE & CAROLYN A PRENTICE 17 $100,375.00 Approved
Prop address 90 PEMBURY WAY BUTLER WA 6036
Land Lot 701 DP 30598 Vol 2514 Fol 415
Description Single Dwelling
Applicants HOMEBUYERS CENTRE
File Number
DA02/0663 10/05/2002 HOMESWEST VACANT 20 $0.00 Approved
Prop address 5 STONEGATE STREET BUTLER WA 6036
Land Lot 649 DP 31249
Description Single Dwelling
Applicants COMMODORE HOMES PTY LTD
File Number
DA02/0667 10/05/2002 DIANE L MCGEE & MICHAEL F MCGEE 19 $1.00 Approved
Prop address 68 KINSALE DRIVE MINDARIE WA 6030
Land Lot 1 DP 25998
Description plot ratio
Applicants DIANE MCGEE, MICHAEL MCGEE
File Number 197219
DA02/0672 13/05/2002 CASSANDRA C WILLIAMS & JASON C WILLIAMS 8 $117,500.00 Approved
Prop address 37 PENNYGUM PLACE MARIGINIUP WA 6065
Land Lot 13 P 23143 Vol 2157 Fol 806
Description Shed
Applicants CASSANDRA C WILLIAMS, JASON C WILLIAMS
File Number 73316
Development Applications determined for Period City of Wanneroo
WHERE (Issued_date BETWEEN 01/06/2002 00:00:00 AND 30/06/2002
Note: Est Cost not provided on applications for use only or where a flat fee is applicable
Ram Id Date Owners Days Est Cost Decision
DA02/0674 13/05/2002 FIONA J COX & STUART M COX 16 $0.00 Approved
Prop address 24 BAYFIELD CRESCENT MINDARIE WA 6030
Land Lot 478 P 24282 Vol 2198 Fol 687
Description Single Dwelling
Applicants SCOTT PARK HOMES PTY LTD
File Number
DA02/0676 13/05/2002 AHL HOLDINGS LIMITED 28 $0.00 Approved
Prop address 25 BRANTWOOD APPROACH HOCKING WA 6065
Land Lot 569 DP 29125
Description Single Dwelling
Applicants ASHMY PTY LTD
File Number
DA02/0685 14/05/2002 Estate of Late HENRY G ATKINSON 18 $80,000.00 Approved
Prop address 144 NEAVES ROAD MARIGINIUP WA 6065
Land Lot 2 D 63062 Vol 1623 Fol 938
Description CHANGE OF USE - INTENSIVE AGRICULTURE
Applicants VINH THANG, HA T LE, LOC B LE
File Number 66909
DA02/0686 14/05/2002 ALOIS W BRANDTNER 17 $0.00 Approved
Prop address 1/39 DELLAMARTA ROAD WANGARA WA 6065
Land Lot 1 Vol 1876 Fol 418 S/P 19451
Description Change of Use to Fitness Studio
Applicants REBECCA ECCLES, LEE STERGIOU
File Number 07781
DA02/0688 15/05/2002 GEOFFREY M WALKER & VIVIEN M WALKER 8 $171,759.00 Approved
Prop address 14 STARLIGHT GROVE GNANGARA WA 6065
Land Lot 28 P 18318 Vol 1925 Fol 76
Description Single House
Applicants WESTCOURT
File Number 30841
DA02/0690 15/05/2002 TERRY R MCCLEARY & CATHERINE M MCCLEARY 7 $4,800.00 Approved
Prop address 14 WIRIA COURT WANNEROO WA 6065
Land Lot 259 P 11318 Vol 1415 Fol 908
Description INSTALLATION OF C/BOND CARPORTS
Applicants POULTER INSTALLATIONS
File Number 08785
DA02/0696 16/05/2002 VAN H DOAN, VAN T DOAN, VAN M DOAN 25 $16,000.00 Approved
Prop address 36 ROSS STREET GNANGARA WA 6065
Land Lot 3 D 26040 Vol 1273 Fol 423
Description STORAGE SHED
Applicants STATEWIDE SHEDS
File Number P12/0010
DA02/0702 16/05/2002 RAY PAOLUCCI NOMINEES PTY LTD 14 $30,000.00 Approved
Prop address 1/14 DELLAMARTA ROAD WANGARA WA 6065
Land Lot 1 Vol 1843 Fol 241 S/P 17506
Description Change of Use from Showroom to Lunchbar
Applicants JARODI PTY LTD, RAY PAOLUCCI, SYLVIA PAOLUCCI
File Number 160855
Development Applications determined for Period City of Wanneroo
WHERE (Issued_date BETWEEN 01/06/2002 00:00:00 AND 30/06/2002
Note: Est Cost not provided on applications for use only or where a flat fee is applicable
Ram Id Date Owners Days Est Cost Decision
DA02/0704 16/05/2002 SMANIA INVESTMENTS PTY LTD 7 $5,000.00 Approved
Prop address 945 WANNEROO ROAD WANNEROO WA 6065
Land Lot 86 DP 223193 Vol 1748 Fol 806
Description Industrial - Commercial Development
Applicants TRUE VALUE HARDWARE
File Number
DA02/0705 15/05/2002 HOMESWEST VACANT 23 $0.00 Approved
Prop address 87 PEMBURY WAY BUTLER WA 6036
Land Lot 740 DP 30598
Description Single Dwelling
Applicants J CORP PTY LTD
File Number
DA02/0709 09/05/2002 CORNELIU TEREBENT & CLAUDIA TEREBENT 14 $110,000.00 Approved
Prop address 69 ABBOTSWOOD DRIVE LANDSDALE WA 6065
Land Lot 1361 D 99532 Vol 2200 Fol 964
Description SINGLE HOUSE
Applicants S RAVI
File Number
DA02/0710 17/05/2002 WAYNE G KING & SUSAN M INNS 11 $4,165.00 Approved
Prop address 19A MALONE MEWS CLARKSON WA 6030
Land Lot 2 Vol 2100 Fol 134 S/P 32311
Description Patio to Unit 19A
Applicants HERITAGE OUTDOOR LEISURE CENTRE
File Number 11528
DA02/0711 09/05/2002 DONALD J FERGUSON & KAY D FERGUSON 35 $0.00 Approved
Prop address 7 TURNWOOD VISTA WANNEROO WA 6065
Land Lot 9 DP 31208
Description Single Dwelling
Applicants TANGENT NOMINEES PTY LTD
File Number
DA02/0714 17/05/2002 JEANETTE I GUNNING & TREVOR H GUNNING 15 $75,000.00 Refused
Prop address 92 TRANQUIL DRIVE CARRAMAR WA 6031
Land Lot 2 D 68577 Vol 1705 Fol 696
Description ANCILLARY ACCOMMODATION - GRANNY FLAT
Applicants ROBERT HOLL MASTER BUILDERS
File Number
DA02/0719 20/05/2002 MARK A STALTARI 11 $133,500.00 Approved
Prop address 1 WEXFORD MEANDER LANDSDALE WA 6065
Land Lot 1440 P 24022 Vol 2190 Fol 313
Description Single Dwelling
Applicants PIVOT WAY
File Number
DA02/0726 20/05/2002 EUGENE A RABBONE & STEPHANIE RABBONE 19 $180,000.00 Approved
Prop address 48 PARRI ROAD WANGARA WA 6065
Land Lot 1 D 98586
Description Stage 1 Self Storage Units
Applicants EUGENE A RABBONE, STEPHANIE RABBONE
File Number P33/0004V01
Development Applications determined for Period City of Wanneroo
WHERE (Issued_date BETWEEN 01/06/2002 00:00:00 AND 30/06/2002
Note: Est Cost not provided on applications for use only or where a flat fee is applicable
Ram Id Date Owners Days Est Cost Decision
DA02/0729 21/05/2002 KELVIN J WILSON & DIANNE L WILSON 10 $12,000.00 Approved
Prop address 65 LEICESTER SQUARE ALEXANDER HEIGHTS WA 6064
Land Lot 5405 P 12819 Vol 1530 Fol 0343
Description Garage Addition
Applicants KELVIN J WILSON, DIANNE L WILSON
File Number P01/0003V01
DA02/0731 21/05/2002 ASHLEY M BUTSON 19 $0.00 Approved
Prop address 9 SHROPSHIRE CRESCENT BUTLER WA 6036
Land Lot 416 DP 31441 Vol 2517 Fol 718
Description Single Dwelling
Applicants COMMODORE HOMES PTY LTD
File Number
DA02/0732 21/05/2002 HOMESWEST VACANT 10 $0.00 Approved
Prop address 40 SHROPSHIRE CRESCENT BUTLER WA 6036
Land Lot 552 DP 31441
Description Single Dwelling
Applicants SCOTT PARK HOMES PTY LTD
File Number
DA02/0733 20/05/2002 TROY BARRETT 23 $0.00 Approved
Prop address 21 UPHAM BRACE BUTLER WA 6036
Land Lot 412 DP 31441 Vol 2517 Fol 714
Description Single Dwelling
Applicants SCOTT PARK HOMES PTY LTD
File Number
DA02/0737 21/05/2002 ERICA S BERREY & GARY J BERREY 22 $0.00 Approved
Prop address 14 SHROPSHIRE CRESCENT BUTLER WA 6036
Land Lot 384 DP 31440 Vol 2517 Fol 440
Description Single Dwelling
Applicants SCOTT PARK HOMES PTY LTD
File Number
DA02/0739 21/05/2002 GARETH J SAUNDERS 13 $82,344.00 Approved
Prop address 30 CONISTON PARKWAY BUTLER WA 6036
Land Lot 646 DP 31249 Vol 2516 Fol 466
Description Single Dwelling
Applicants COMMODORE HOMES PTY LTD
File Number
DA02/0748 22/05/2002 MARK A CARTER 21 $0.00 Approved
Prop address 6 STONEGATE STREET BUTLER WA 6036
Land Lot 992 DP 31249 Vol 2516 Fol 489
Description Single Dwelling
Applicants SCOTT PARK HOMES PTY LTD
File Number
DA02/0749 23/05/2002 CHERIE A WOOLHEAD & EDWARD P WOOLHEAD 20 $83,315.00 Approved
Prop address 15 UPHAM BRACE BUTLER WA 6036
Land Lot 387 DP 31440 Vol 2517 Fol 443
Description Single Dwelling
Applicants J CORP
File Number
Development Applications determined for Period City of Wanneroo
WHERE (Issued_date BETWEEN 01/06/2002 00:00:00 AND 30/06/2002
Note: Est Cost not provided on applications for use only or where a flat fee is applicable
Ram Id Date Owners Days Est Cost Decision
DA02/0755 24/05/2002 DAYNA L GREGORY & TROY S HARVEY 8 $0.00 Approved
Prop address 31 SHROPSHIRE CRESCENT BUTLER WA 6036
Land Lot 1072 DP 31441 Vol 2517 Fol 738
Description Single Dwelling
Applicants CONTENT LIVING
File Number
DA02/0756 27/05/2002 SUELLYN P MULLER 7 $0.00 Approved
Prop address 37 SHROPSHIRE CRESCENT BUTLER WA 6036
Land Lot 1069 DP 31441 Vol 2517 Fol 735
Description Single Dwelling
Applicants COMMODORE HOMES PTY LTD
File Number
DA02/0760 27/05/2002 LUCY A ZUPANOV & TONCI ZUPANOV 19 $140,000.00 Approved
Prop address 79 KIRKSTALL DRIVE HOCKING WA 6065
Land Lot 399 DP 25176 Vol 2211 Fol 291
Description SINGLE HOUSE (Two storey)
Applicants ZUP'S CONSTRUCTION
File Number
DA02/0761 27/05/2002 LUCY A ZUPANOV & TONCI ZUPANOV 17 $140,000.00 Approved
Prop address 79 KIRKSTALL DRIVE HOCKING WA 6065
Land Lot 399 DP 25176 Vol 2211 Fol 291
Description Single Dwelling
Applicants ZUP'S CONSTRUCTION
File Number
DA02/0762 27/05/2002 JENELLE M COLLINS & BRAM J EVANS 9 $120,000.00 Approved
Prop address 77 MOONDYNE TRAIL GNANGARA WA 6065
Land Lot 33 P 18318 Vol 1925 Fol 81
Description Single house - Special Rural Development
Applicants JENELLE M COLLINS, BRAM J EVANS
File Number
DA02/0764 27/05/2002 HOMESWEST VACANT 18 $0.00 Approved
Prop address 26 CONISTON PARKWAY BUTLER WA 6036
Land Lot 644 DP 31249
Description Single Dwelling
Applicants SCOTT PARK HOMES PTY LTD
File Number
DA02/0765 27/05/2002 MICHELLE L TORRANCE 7 $0.00 Approved
Prop address 15 SHROPSHIRE CRESCENT BUTLER WA 6036
Land Lot 414 DP 31441 Vol 2517 Fol 716
Description Single Dwelling
Applicants COMMODORE HOMES PTY LTD
File Number
DA02/0766 24/05/2002 SUSAN B PAIN 8 $0.00 Approved
Prop address 17 SHROPSHIRE CRESCENT BUTLER WA 6036
Land Lot 413 DP 31441 Vol 2517 Fol 715
Description Single Dwelling
Applicants SCOTT PARK HOMES PTY LTD
File Number
Development Applications determined for Period City of Wanneroo
WHERE (Issued_date BETWEEN 01/06/2002 00:00:00 AND 30/06/2002
Note: Est Cost not provided on applications for use only or where a flat fee is applicable
Ram Id Date Owners Days Est Cost Decision
DA02/0767 27/05/2002 COLIN D WORDSWORTH & VANESSA O 9 $3,700.00 Approved
Prop address 83 RUSTIC GARDENS CARRAMAR WA 6031
Land Lot 148 P 15261 Vol 1718 Fol 809
Description Single House (Patio addition)
Applicants ESE PATIOS & HOME IMPROVEMENTS
File Number p07/0012v01
DA02/0768 27/05/2002 LESLIE O LATEGAN & MORAG L LATEGAN 23 $95,717.00 Approved
Prop address 7 PINKERTON AVENUE HOCKING WA 6065
Land Lot 68 P 24256
Description Single Dwelling
Applicants COMMODORE HOMES PTY LTD
File Number
DA02/0772 28/05/2002 MATTHEW TONES & MAUREEN E TONES 3 $73,045.00 Approved
Prop address 16A BANFIELD GROVE CLARKSON WA 6030
Land Lot 2 Vol 2139 Fol 849 S/P 34233
Description Grouped Dwelling
Applicants SUMMIT HOMES GROUP
File Number
DA02/0773 28/05/2002 IOSIF DAVID & MAGDALENA A DAVID 23 $150,000.00 Approved
Prop address 73 EVERGLADES PARADE LANDSDALE WA 6065
Land Lot 1541 P 24321 Vol 2204 Fol 627
Description Single Dwelling
Applicants Settler Homes
File Number
DA02/0774 28/05/2002 CHRISTIAN BLUM & MALGORZATA E ZABLOCKA 6 $0.00 Approved
Prop address 5 HAMPTON ROAD DARCH WA 6065
Land Lot 101 DP 29961 Vol 2515 Fol 373
Description Single Dwelling
Applicants HOMESTYLE PTY LTD
File Number
DA02/0775 28/05/2002 CAROLINE M FRANCESCHI & JOHN L FRANCESCHI 8 $6,600.00 Approved
Prop address 31 HERITAGE TERRACE GNANGARA WA 6065
Land Lot 276 P 18490 Vol 1941 Fol 191
Description SINGLE HOUSE - PATIO ADDITION
Applicants CAROLINE M FRANCESCHI, JOHN L FRANCESCHI
File Number P12/0008V01
DA02/0776 28/05/2002 GLEN EDWARDS 7 $163,940.00 Approved
Prop address 11 DAKAR WAY MINDARIE WA 6030
Land Lot 494 P 22551 Vol 2132 Fol 126
Description Single Dwelling
Applicants HOMESTYLE PTY LTD
File Number
DA02/0777 28/05/2002 MOON T CHAN & CHING C LIM 9 $98,006.00 Approved
Prop address 7 ARDMORE TERRACE DARCH WA 6065
Land Lot 160 DP 27702 Vol 2509 Fol 564
Description Single Dwelling
Applicants COMMODORE HOMES PTY LTD
File Number
Development Applications determined for Period City of Wanneroo
WHERE (Issued_date BETWEEN 01/06/2002 00:00:00 AND 30/06/2002
Note: Est Cost not provided on applications for use only or where a flat fee is applicable
Ram Id Date Owners Days Est Cost Decision
DA02/0779 29/05/2002 FEDERICO D'AMBROSIO, PALINA M D'AMBROSIO, 6 $0.00 Approved
Prop address 48 THE FAIRWAYS GNANGARA WA 6065
Land Lot 61 DP 25806
Description BUILDING ENVELOPE MODIFICATION
Applicants LYNN CAREY, PHILLIP CAREY
File Number P12/0009V01
DA02/0781 29/05/2002 JANINE R ROBERTS & JOHN C ROBERTS 7 $6,000.00 Approved
Prop address 29 BERNBOROUGH PLACE WANNEROO WA 6065
Land Lot 149 P 13145 Vol 1558 Fol 685
Description SINGLE HOUSE - ADDITIONS
Applicants JANINE R ROBERTS, JOHN C ROBERTS
File Number P34/0028/V01
DA02/0783 29/05/2002 BARRY E GRANT & MARGARET GRANT 16 $1,940.00 Approved
Prop address 27A WROTHAM PLACE MARANGAROO WA 6064
Land Lot 1 S/P 21467
Description PATIO ADDITION TO UNIT 1
Applicants Wanneroo Outdoor
File Number 1910027
DA02/0784 29/05/2002 SLAVKO LIPEC 4 $0.00 Approved
Prop address 41 LYNAS WAY QUINNS ROCKS WA 6030
Land Lot 106 P 16188 Vol 1796 Fol 835
Description HOME BUSINESS - CATEGORY 2/3 - MAKING CANDY BISCUITS
Applicants WILLEMIEN KRIEL, MIGNONNE ARNOLD
File Number P27/0026V01
DA02/0785 29/05/2002 DAMON J PARK 7 $32,000.00 Approved
Prop address 65 MILLENDON STREET CARRAMAR WA 6031
Land Lot 1456 DP 28778 Vol 2510 Fol 357
Description ENTRY STATEMENT WALLS X 4 - CARRAMAR GOLF COURSE ESTATE
Applicants LANDSCAPE ARCHITECTURAL SERVICES PTY LTD
File Number P07/0016V01
DA02/0786 29/05/2002 BRIAN A BUTTERWORTH & JANICE K 6 $0.00 Approved
Prop address 22 BRAMPTON AVENUE BUTLER WA 6036
Land Lot 780 DP 28814 Vol 2509 Fol 344
Description Single Dwelling
Applicants DALE ALCOCK HOMES PTY LTD
File Number
DA02/0787 29/05/2002 PETER J MELDRUM 7 $132,250.00 Approved
Prop address 4 STONEGATE STREET BUTLER WA 6036
Land Lot 991 DP 31249 Vol 2516 Fol 488
Description Single Dwelling
Applicants DALE ALCOCK HOMES PTY LTD
File Number
DA02/0788 29/05/2002 HOMESWEST VACANT 7 $75,000.00 Approved
Prop address 17 PEMBURY WAY BUTLER WA 6036
Land Lot 612 DP 29301
Description Single Dwelling
Applicants RENOWNED HOMES
File Number
Development Applications determined for Period City of Wanneroo
WHERE (Issued_date BETWEEN 01/06/2002 00:00:00 AND 30/06/2002
Note: Est Cost not provided on applications for use only or where a flat fee is applicable
Ram Id Date Owners Days Est Cost Decision
DA02/0789 29/05/2002 HOMESWEST VACANT 7 $0.00 Approved
Prop address 14 OARE LANE BUTLER WA 6036
Land Lot 616 DP 29301
Description Single Dwelling
Applicants RENOWNED GROUP
File Number
DA02/0791 29/05/2002 HOMESWEST VACANT 7 $0.00 Approved
Prop address 52 MARCHWOOD BOULEVARD BUTLER WA 6036
Land Lot 727 DP 27675
Description Single Dwelling
Applicants RENOWNED GROUP
File Number
DA02/0792 29/05/2002 JOHN F CRUICKSHANK & DUDLEY R STOW 7 $0.00 Approved
Prop address 67 MINTARO PARADE QUINNS ROCKS WA 6030
Land Lot 627 DP 30432
Description Single Dwelling
Applicants TANGENT NOMINEES PTY LTD
File Number
DA02/0795 30/05/2002 PATANAL PTY LTD 14 $5,000.00 Approved
Prop address 280 WANNEROO ROAD MADELEY WA 6065
Land Lot 43 D 21574 Vol 1263 Fol 712
Description ENTRY STATEMENT - RESIDENTIAL SUBDIVISON
Applicants MARTIN CUTHBERT LANDSCAPES
File Number
DA02/0799 30/05/2002 SUZZANNE R WALDECK 7 $0.00 Approved
Prop address 11 INGHAM WAY BUTLER WA 6036
Land Lot 652 DP 31249 Vol 2516 Fol 472
Description Single Dwelling
Applicants ASHMY PTY LTD
File Number
DA02/0801 30/05/2002 JONATHON DUNBAR & KYM M DUNBAR 7 $0.00 Approved
Prop address 15 CAMBORNE PARKWAY BUTLER WA 6036
Land Lot 789 DP 30599 Vol 2514 Fol 250
Description Single Dwelling
Applicants J CORP PTY LTD
File Number
DA02/0802 30/05/2002 HELEN M SPURRY & ALEXANDER W SPURRY 7 $119,000.00 Approved
Prop address 5 DUNSFOLD STREET BUTLER WA 6036
Land Lot 948 DP 30599 Vol 2514 Fol 289
Description Single Dwelling
Applicants VENTURA HOMES
File Number
DA02/0803 31/05/2002 RICHARD M ROTA & ASTRID A PAGET 7 $275,720.00 Approved
Prop address 7 CROFTON COVE MINDARIE WA 6030
Land Lot 386 DP 25561 Vol 2211 Fol 67
Description SINGLE HOUSE - 2 STOREY
Applicants DON RUSSELL HOMES PTY LTD
File Number
Development Applications determined for Period City of Wanneroo
WHERE (Issued_date BETWEEN 01/06/2002 00:00:00 AND 30/06/2002
Note: Est Cost not provided on applications for use only or where a flat fee is applicable
Ram Id Date Owners Days Est Cost Decision
DA02/0804 31/05/2002 JANETTE R DUFFY & LAWRENCE W DUFFY 14 $10,725.00 Approved
Prop address 489 WANNEROO ROAD WOODVALE WA 6026
Land Lot 33 D 30185 Vol 695 Fol 167
Description SINGLE HOUSE - CARPORT ADDITIONS
Applicants Magnus Maintenance
File Number
DA02/0805 31/05/2002 SATTERLEY WANNEROO PTY LTD 14 $30,000.00 Approved
Prop address 1172 WANNEROO ROAD ASHBY WA 6065
Land Lot 13 D 17960 Vol 1165 Fol 491
Description ENTRY STATEMENT
Applicants COMPAC MARKETING PTY LTD
File Number P03/0001
DA02/0805 31/05/2002 SATTERLEY WANNEROO PTY LTD 14 $30,000.00 Approved
Prop address 1170 WANNEROO ROAD ASHBY WA 6065
Land Lot 23 D 60611 Vol 2024 Fol 120
Description ENTRY STATEMENT
Applicants COMPAC MARKETING PTY LTD
File Number P03/0001
DA02/0806 04/06/2002 NICHOLAS R MITCHELL & TRUDY W MITCHELL 17 $85,697.00 Approved
Prop address 12 INGHAM WAY BUTLER WA 6036
Land Lot 986 DP 31249
Description Single Dwelling
Applicants TANGENT NOMINEES PTY LTD
File Number
DA02/0807 04/06/2002 ALICK R PROUDLOVE, ELIZABETH A HASTIE, 12 $135,000.00 Approved
Prop address 14 LEVEQUE RAMBLE RIDGEWOOD WA 6030
Land Lot 612 P 20221 Vol 2025 Fol 858
Description SINGLE HOUSE AND ANCILLARY ACCOMMODATION
Applicants DANMAR HOMES
File Number
DA02/0808 04/06/2002 HOMESWEST VACANT 7 $86,810.00 Approved
Prop address 9 WILTSHIRE ENTRANCE BUTLER WA 6036
Land Lot 230 DP 31249 Vol 2516 Fol 458
Description Single Dwelling
Applicants HOMEBUYERS CENTRE
File Number
DA02/0810 04/06/2002 HOMESWEST VACANT 7 $115,266.00 Approved
Prop address 31 CONISTON PARKWAY BUTLER WA 6036
Land Lot 660 DP 31251
Description Single Dwelling
Applicants HOMEBUYERS CENTRE
File Number
Development Applications determined for Period City of Wanneroo
WHERE (Issued_date BETWEEN 01/06/2002 00:00:00 AND 30/06/2002
Note: Est Cost not provided on applications for use only or where a flat fee is applicable
Ram Id Date Owners Days Est Cost Decision
DA02/0811 04/06/2002 KARL BECKETT & NICOLA J BECKETT 8 $129,490.00 Approved
Prop address 3 DUNSFOLD STREET BUTLER WA 6036
Land Lot 949 DP 30599 Vol 2514 Fol 290
Description Single Dwelling
Applicants HOMESTYLE PTY LTD
File Number
DA02/0812 04/06/2002 SANDRA J COX & HENRY R WOODS 12 $7,498.00 Approved
Prop address 38 BENDIX WAY GIRRAWHEEN WA 6064
Land Lot 906 P 10781 Vol 1822 Fol 334
Description SINGLE HOUSE - TRIPLE COLOURBOND GARAGE ADDITION
Applicants HIGHLINE BUILDING CONSTRUCTIONS
File Number
DA02/0813 04/06/2002 WANNEROO GOLF CLUB INC 5 $250,000.00 Approved
Prop address WANNEROO GOLF CLUB 44 FLYNN DRIVE NEERABUP WA 6031
Land Lot 1 D 41472 Vol 517 Fol 76A
Description PRIVATE RECREATION - MACHINERY & GREEN SHED AND SMALL BUGGY ROOM
Applicants ROBERT HOLL
File Number
DA02/0816 04/06/2002 JOHN GRAY & MARGARET L GRAY 1 $0.00 Approved
Prop address 26 PELHAM WAY GIRRAWHEEN WA 6064
Land Lot 9 DP 27333 Vol 2508 Fol 030
Description Single Dwelling
Applicants HOMEBUYERS CENTRE
File Number
DA02/0817 04/06/2002 JACQUELINE A GRANDEMANGE & MARIE G 12 $1,423.00 Approved
Prop address 26C GREVILLE WAY GIRRAWHEEN WA 6064
Land Lot 3 Vol 2500 Fol 773 S/P 39519
Description GROUPED DWELLING - PATIO ADDITION TO 26C
Applicants ERECT-A-PAT
File Number
DA02/0818 05/06/2002 MAL WASHER NOMINEES PTY LTD 11 $123,000.00 Approved
Prop address 85 CARABOODA ROAD CARABOODA WA 6033
Land Lot 37 D 69478 Vol 1724 Fol 210
Description SINGLE HOUSE - ADDITIONS TO EXISTING HOUSE
Applicants MAL WASHER NOMINEES PTY LTD
File Number 152500
DA02/0819 05/06/2002 JAMES P BYRNE & RITA M BYRNE 6 $111,858.00 Approved
Prop address 20 UPHAM BRACE BUTLER WA 6036
Land Lot 1078 DP 31441 Vol 2517 Fol 744
Description Single Dwelling
Applicants COMMODORE HOMES PTY LTD
File Number
DA02/0821 05/06/2002 GLENN M SHAW & JODI SHAW 6 $130,201.00 Approved
Prop address 2 WORCESTER LOOP BUTLER WA 6036
Land Lot 401 DP 31441 Vol 2517 Fol 703
Description Single Dwelling
Applicants COMMODORE HOMES PTY LTD
File Number
Development Applications determined for Period City of Wanneroo
WHERE (Issued_date BETWEEN 01/06/2002 00:00:00 AND 30/06/2002
Note: Est Cost not provided on applications for use only or where a flat fee is applicable
Ram Id Date Owners Days Est Cost Decision
DA02/0822 05/06/2002 PAUL G BROPHY 0 $121,250.00 Approved
Prop address 25 COVINGTON PROMENADE BUTLER WA 6036
Land Lot 755 DP 29301 Vol 2510 Fol 968
Description Single Dwelling
Applicants Glenway Homes
File Number
DA02/0824 05/06/2002 HOMESWEST VACANT 16 $0.00 Approved
Prop address 3 ASHCOTT GATE BUTLER WA 6036
Land Lot 233 DP 29301
Description Single Dwelling
Applicants COMMODORE HOMES PTY LTD
File Number
DA02/0825 04/06/2002 HOMESWEST VACANT 8 $0.00 Approved
Prop address 38 SHROPSHIRE CRESCENT BUTLER WA 6036
Land Lot 551 DP 31441
Description Single Dwelling
Applicants COMMODORE HOMES PTY LTD
File Number
DA02/0826 05/06/2002 STEPHEN S FEDELES 6 $0.00 Approved
Prop address 10 PALM CORNER QUINNS ROCKS WA 6030
Land Lot 789 DP 30924 Vol 2516 Fol 350
Description Single Dwelling
Applicants COMMODORE HOMES PTY LTD
File Number
DA02/0829 05/06/2002 KEVIN M STACEY 3 $0.00 Approved
Prop address 2 CINTRA WAY LANDSDALE WA 6065
Land Lot 1296 DP 29495 Vol 2219 Fol 944
Description Single Dwelling
Applicants CELEBRATION HOMES
File Number
DA02/0830 05/06/2002 JENNIFER A YORK 3 $0.00 Approved
Prop address 8 YORLOR WAY QUINNS ROCKS WA 6030
Land Lot 810 DP 30924 Vol 2516 Fol 371
Description Single Dwelling
Applicants CELEBRATION HOMES
File Number
DA02/0831 05/06/2002 HENRY A FULLGRABE, LAVINIA M FULLGRABE, 11 $112,000.00 Approved
Prop address 11 JOEL WAY WANNEROO WA 6065
Land Lot 210 P 19907 Vol 2006 Fol 775
Description GROUPED DWELLING - SECOND DWELLING
Applicants LYNDA M FULLGRABE, DARRYL E FULLGRABE
File Number
DA02/0832 06/06/2002 HOMESWEST VACANT 5 $90,493.00 Approved
Prop address 21 WILTSHIRE ENTRANCE BUTLER WA 6036
Land Lot 225 DP 31249
Description Single Dwelling
Applicants DALE ALCOCK HOMES PTY LTD
File Number
Development Applications determined for Period City of Wanneroo
WHERE (Issued_date BETWEEN 01/06/2002 00:00:00 AND 30/06/2002
Note: Est Cost not provided on applications for use only or where a flat fee is applicable
Ram Id Date Owners Days Est Cost Decision
DA02/0837 07/06/2002 DALE R FITZGERALD & PENELOPE J NEILSON 2 $0.00 Approved
Prop address 63 MONAGHAN CIRCLE DARCH WA 6065
Land Lot 205 DP 29513 Vol 2513 Fol 918
Description Single Dwelling
Applicants ASHMY PTY LTD
File Number
DA02/0839 07/06/2002 HEDI YURISHICH & LANA YURISHICH 2 $0.00 Approved
Prop address 60 MEAKERS WAY GIRRAWHEEN WA 6064
Land Lot 6 DP 28519
Description Single Dwelling
Applicants JAXON CONSTRUCTIONS
File Number
DA02/0840 07/06/2002 HOMESWEST VACANT 3 $0.00 Approved
Prop address 5 STAPLEHURST CRESCENT BUTLER WA 6036
Land Lot 585 DP 28947
Description Single Dwelling
Applicants RENOWNED HOMES
File Number
DA02/0841 10/06/2002 AKBAR RAZMAVAR 2 $0.00 Approved
Prop address 8 BANTRY BEND MINDARIE WA 6030
Land Lot 1136 P 24245
Description Single Dwelling
Applicants APG HOMES PTY LTD
File Number
DA02/0846 11/06/2002 JUDITH A LOURY 0 $0.00 Approved
Prop address 5 SAMUEL PLACE WANNEROO WA 6065
Land Lot 501 DP 24623 Vol 2502 Fol 572
Description Single Dwelling
Applicants J CORP PTY LTD
File Number
DA02/0847 11/06/2002 MARIE J FISHER & MICHAEL J FISHER 2 $0.00 Approved
Prop address 18 FIRMSTONE CIRCLE LANDSDALE WA 6065
Land Lot 1208 DP 29495 Vol 2219 Fol 902
Description Single Dwelling
Applicants HOMESTYLE PTY LTD
File Number
DA02/0848 11/06/2002 DEBORAH J LEES & DESMOND R LEES 0 $0.00 Approved
Prop address 5 KAROO WAY PEARSALL WA 6065
Land Lot 74 P 24311 Vol 2200 Fol 491
Description Single Dwelling
Applicants VENTURA HOMES
File Number
DA02/0849 12/06/2002 ADDOLORATA D'AMBROSIO, DOMENICO D'AMBROSIO, 10 $0.00 Approved
Prop address 42 THE FAIRWAYS GNANGARA WA 6065
Land Lot 62 DP 25806
Description BUILDING ENVELOPE MODIFICATION
Applicants DEANNA R MORE, HAMISH MORE
File Number
Development Applications determined for Period City of Wanneroo
WHERE (Issued_date BETWEEN 01/06/2002 00:00:00 AND 30/06/2002
Note: Est Cost not provided on applications for use only or where a flat fee is applicable
Ram Id Date Owners Days Est Cost Decision
DA02/0853 11/06/2002 KATHLEEN E OKELY & PATRICK J OKELY 8 $20,000.00 Approved
Prop address 40 BACKSHALL PLACE WANNEROO WA 6065
Land Part Lot 3 D 32910 Vol 1 Fol 3A
Description CLEARING, MULCHING, STRIPPING OF TOPSOIL STABILISATION
Applicants KATHLEEN E OKELY, PATRICK J OKELY
File Number P34/0064V01
DA02/0854 11/06/2002 RAYMOND A DUFFY, KATHLEEN E OKELY, C E 6 $50,000.00 Approved
Prop address 46 BACKSHALL PLACE WANNEROO WA 6065
Land Lot 110 DP 231298 Vol 1792 Fol 646
Description CLEARING, MULCHING, STRIPPING OF TOPSOIL STABILISATION
Applicants RAYMOND A DUFFY
File Number P34/0063V01
DA02/0860 11/06/2002 PAULINE J CATTACH 12 $12,000.00 Approved
Prop address 376 SYDNEY ROAD GNANGARA WA 6065
Land Lot 102 D 95000
Description INTENSIVE AGRICULTURE - 2 ADDITIONAL GREENHOUSES
Applicants LEISHMANS NURSERY
File Number
DA02/0861 10/06/2002 REBECCA L CESERY & KEVIN R MAHURU 7 $0.00 Approved
Prop address 16 UPHAM BRACE BUTLER WA 6036
Land Lot 1076 DP 31441 Vol 2517 Fol 742
Description Single Dwelling
Applicants IMPRESSIONS
File Number
DA02/0862 11/06/2002 KIRSTY L BURNS & MARK D BURNS 2 $0.00 Approved
Prop address 16 MARLBOROUGH WAY QUINNS ROCKS WA 6030
Land Lot 343 DP 29727 Vol 2518 Fol 277
Description Single Dwelling
Applicants TANGENT NOMINEES PTY LTD
File Number
DA02/0863 11/06/2002 GEORGE ANDREOU & WENDY M SMITH 8 $74,431.00 Approved
Prop address 16 INGHAM WAY BUTLER WA 6036
Land Lot 988 DP 31249 Vol 2516 Fol 485
Description Single Dwelling
Applicants IMPRESSIONS
File Number
DA02/0864 12/06/2002 MILA PROPERTIES PTY LTD 12 $25,000.00 Approved
Prop address FAST FOOD-PROPOSED 18 ANCHORAGE DRIVE MINDARIE WA 6030
Land Lot 970 P 21320 Vol 2077 Fol 524
Description Consulting Rooms
Applicants JOHN MILLER
File Number PA5/0008V01
Development Applications determined for Period City of Wanneroo
WHERE (Issued_date BETWEEN 01/06/2002 00:00:00 AND 30/06/2002
Note: Est Cost not provided on applications for use only or where a flat fee is applicable
Ram Id Date Owners Days Est Cost Decision
DA02/0866 12/06/2002 LINPARK HOLDINGS PTY LTD 6 $150,000.00 Approved
Prop address 9 EMERALD DRIVE CARABOODA WA 6033
Land Lot 102 DP 24938
Description Special Rural Development
Applicants S RAVI
File Number
DA02/0867 12/06/2002 LINPARK HOLDINGS PTY LTD 6 $150,000.00 Approved
Prop address 15 EMERALD DRIVE CARABOODA WA 6033
Land Lot 3 DP 24938
Description Special Rural Development
Applicants S RAVI
File Number
DA02/0868 12/06/2002 ALISON J DOCKRELL & RAY I DOCKRELL 11 $0.00 Approved
Prop address 90 ST STEPHENS CRESCENT TAPPING WA 6065
Land Lot 1327 DP 29587 Vol 2512 Fol 384
Description Single Dwelling
Applicants ALISON J DOCKRELL, RAY I DOCKRELL
File Number
DA02/0869 13/06/2002 HOMESWEST RENTALS 3 $78,244.00 Approved
Prop address 34B HAINSWORTH AVENUE GIRRAWHEEN WA 6064
Land Lot 8 DP 28519
Description SINGLE HOUSE
Applicants ASHMY PTY LTD
File Number P11/0018V01
DA02/0870 13/06/2002 DAVID J BOOTH & TRACY E BOOTH 5 $58,000.00 Approved
Prop address 8 TUSCAN WAY GNANGARA WA 6065
Land Lot 212 P 17238 Vol 1858 Fol 817
Description SINGLE HOUSE - PATIO ADDITION
Applicants PERTH HOME IMPROVEMENT CENTRE - BALCATTA
File Number P12/0015V01
DA02/0874 13/06/2002 HOMESWEST VACANT 1 $0.00 Approved
Prop address 4 WORCESTER LOOP BUTLER WA 6036
Land Lot 402 DP 31441
Description Single Dwelling
Applicants VENTURA HOMES
File Number
DA02/0876 13/06/2002 CAROLINE R PAIVA TAVARES & ABDENBI SIDHOUM 7 $95,310.00 Approved
Prop address 9 INGHAM WAY BUTLER WA 6036
Land Lot 653 DP 31249 Vol 2516 Fol 473
Description Single Dwelling
Applicants WESTCOURT
File Number
Development Applications determined for Period City of Wanneroo
WHERE (Issued_date BETWEEN 01/06/2002 00:00:00 AND 30/06/2002
Note: Est Cost not provided on applications for use only or where a flat fee is applicable
Ram Id Date Owners Days Est Cost Decision
DA02/0877 12/06/2002 BRADLEY M BELL & JOSEPHINE M BEAN 2 $0.00 Approved
Prop address 3 INGHAM WAY BUTLER WA 6036
Land Lot 656 DP 31249 Vol 2516 Fol 476
Description Single Dwelling
Applicants J CORP PTY LTD
File Number
DA02/0878 12/06/2002 HOMESWEST VACANT 2 $0.00 Approved
Prop address 92 PEMBURY WAY BUTLER WA 6036
Land Lot 702 DP 30598
Description Single Dwelling
Applicants TONY TRLIN & CO BUILDERS
File Number
DA02/0879 12/06/2002 HOMESWEST VACANT 2 $0.00 Approved
Prop address 9 ORWELL WAY BUTLER WA 6036
Land Lot 908 DP 29959
Description Single Dwelling
Applicants TONY TRLIN & CO BUILDERS
File Number
DA02/0880 12/06/2002 HOMESWEST VACANT 2 $0.00 Approved
Prop address 26 PEMBURY WAY BUTLER WA 6036
Land Lot 256 DP 29301
Description Single Dwelling
Applicants TONY TRLIN & CO BUILDERS
File Number
DA02/0881 12/06/2002 HOMESWEST VACANT 2 $0.00 Approved
Prop address 65 MARCHWOOD BOULEVARD BUTLER WA 6036
Land Lot 530 DP 30598
Description Single Dwelling
Applicants TONY TRLIN & CO BUILDERS
File Number
DA02/0884 14/06/2002 KELSHORE PTY LTD, NEWEAGLE NOMINEES PTY 9 $0.00 Approved
Prop address COMMERCIAL CENTRE 981 WANNEROO ROAD WANNEROO WA 6065
Land Lot 998 DP 27347
Description CHANGE OF USE - HAIRDRESSER
Applicants MARK R KELLY
File Number PA5/0021V01
DA02/0886 14/06/2002 MARY DONALD NOMINEES PTY LTD 2 $0.00 Approved
Prop address 9 WILLESPIE DRIVE PEARSALL WA 6065
Land Lot 214 P 23905
Description Single Dwelling
Applicants J CORP PTY LTD
File Number
DA02/0887 14/06/2002 GARY W GILDERSLEEVES & MARY P 2 $0.00 Approved
Prop address 5 ARRETON WAY HOCKING WA 6065
Land Lot 555 P 24240 Vol 2205 Fol 332
Description Single Dwelling
Applicants CONTENT LIVING
File Number
Development Applications determined for Period City of Wanneroo
WHERE (Issued_date BETWEEN 01/06/2002 00:00:00 AND 30/06/2002
Note: Est Cost not provided on applications for use only or where a flat fee is applicable
Ram Id Date Owners Days Est Cost Decision
DA02/0888 17/06/2002 HOMESWEST VACANT 6 $0.00 Approved
Prop address 19 CAMBORNE PARKWAY BUTLER WA 6036
Land Lot 791 DP 30599
Description Single Dwelling
Applicants CONTENT LIVING
File Number
DA02/0889 17/06/2002 CITY OF WANNEROO 6 $0.00 Approved
Prop address 240 FLYNN DRIVE NEERABUP WA 6031
Land Part Lot 4 P 10087 Vol 1963 Fol 202
Description TEMPORARY CARPARK
Applicants CITY OF WANNEROO
File Number
DA02/0890 17/06/2002 AHL HOLDINGS LIMITED 1 $0.00 Approved
Prop address 17 BRANTWOOD APPROACH HOCKING WA 6065
Land Lot 573 DP 29125
Description Single Dwelling
Applicants CONTENT LIVING
File Number
DA02/0891 17/06/2002 HOMESWEST VACANT 6 $0.00 Approved
Prop address 23 SHROPSHIRE CRESCENT BUTLER WA 6036
Land Lot 1075 DP 31441
Description Single Dwelling
Applicants VENTURA HOMES
File Number
DA02/0892 17/06/2002 JACQUELINE MCCRORY & JOHN T MCCRORY 6 $0.00 Approved
Prop address 7 FOXTON WAY BUTLER WA 6036
Land Lot 333 DP 27850 Vol 2503 Fol 392
Description Single Dwelling
Applicants CONTENT LIVING
File Number
DA02/0894 17/06/2002 MALCOLM R CLARK & STEPHANIE F STIRLING 9 $0.00 Approved
Prop address 8 TOMAS VIEW CLARKSON WA 6030
Land Lot 318 DP 29048 Vol 2509 Fol 870
Description Single Dwelling
Applicants SCOTT PARK HOMES PTY LTD
File Number
DA02/0895 17/06/2002 JUAN J LOVINE & TERESA M LOVINE 6 $99,625.00 Approved
Prop address 18 WORCESTER LOOP BUTLER WA 6036
Land Lot 409 DP 31441 Vol 2517 Fol 711
Description Single Dwelling
Applicants CONTENT LIVING
File Number
DA02/0902 18/06/2002 LYNNE J BAISTER 7 $1,550.00 Approved
Prop address 23B ENRICK ELBOW MARANGAROO WA 6064
Land Lot 2 Vol 2070 Fol 788 S/P 30604
Description GROUPED DWELLING - COLORBOND PATIO ADDITION TO UNIT 23B
Applicants POULTER INSTALLATIONS
File Number P19/0052V01
Development Applications determined for Period City of Wanneroo
WHERE (Issued_date BETWEEN 01/06/2002 00:00:00 AND 30/06/2002
Note: Est Cost not provided on applications for use only or where a flat fee is applicable
Ram Id Date Owners Days Est Cost Decision
DA02/0904 18/06/2002 CITYZONE HOLDINGS PTY LTD 3 $2,500.00 Approved
Prop address 273 KINGSWAY DARCH WA 6065
Land Lot 30 P 6439 Vol 1979 Fol 191
Description SIGN ADVERTISING - ESTATE SIGNAGE
Applicants W A LAND SALES
File Number P09/0026V01
DA02/0919 20/06/2002 GARY J COOMBS & SAMANTHA SHARP 0 $0.00 Approved
Prop address 28 ST IVES DRIVE YANCHEP WA 6035
Land Lot 239 P 11861 Vol 1456 Fol 644
Description Carport to Dwelling
Applicants GARY J COOMBS, SAMANTHA SHARP
File Number
DA02/0920 20/06/2002 TAYLOR WOODROW AUSTRALIA PTY LTD 2 $0.00 Approved
Prop address 25 ARDMORE TERRACE DARCH WA 6065
Land Lot 215 DP 29513
Description Single Dwelling
Applicants VENTURA HOMES
File Number
DA02/0922 21/06/2002 GHEORGE IGNAT & ILONA I IGNAT 4 $0.00 Approved
Prop address 33 WORLEY CIRCUIT LANDSDALE WA 6065
Land Lot 1147 P 23553 Vol 2171 Fol 197
Description HOME BUSINESS - CATEGORY 2 - CURTAIN MAKING
Applicants GHEORGE IGNAT, ILONA I IGNAT
File Number
DA02/0929 21/06/2002 STATE HOUSING COMMISSION & UPL (WA) PTY LTD 5 $0.00 Approved
Prop address 5 WALLIS AVENUE CLARKSON WA 6030
Land Lot 635 DP 27679
Description Single Dwelling
Applicants J CORP
File Number
DA02/0930 21/06/2002 STATE HOUSING COMMISSION & UPL (WA) PTY LTD 5 $0.00 Approved
Prop address 9 WALLIS AVENUE CLARKSON WA 6030
Land Lot 637 DP 27679
Description Single Dwelling
Applicants J CORP
File Number
DA02/0931 21/06/2002 STATE HOUSING COMMISSION & UPL (WA) PTY LTD 5 $0.00 Approved
Prop address 3 WALLIS AVENUE CLARKSON WA 6030
Land Lot 634 DP 27679
Description Single Dwelling
Applicants J CORP
File Number
DA02/0932 21/06/2002 STATE HOUSING COMMISSION & UPL (WA) PTY LTD 5 $0.00 Approved
Prop address 1 WALLIS AVENUE CLARKSON WA 6030
Land Lot 633 DP 27679
Description Single Dwelling
Applicants J CORP
File Number
Development Applications determined for Period City of Wanneroo
WHERE (Issued_date BETWEEN 01/06/2002 00:00:00 AND 30/06/2002
Note: Est Cost not provided on applications for use only or where a flat fee is applicable
Ram Id Date Owners Days Est Cost Decision
DA02/0943 24/06/2002 MIRA I DASH & SIMON R DASH 0 $0.00 Approved
Prop address 16 WESTPORT PARADE DARCH WA 6065
Land Lot 257 DP 29513 Vol 2513 Fol 961
Description Single Dwelling
Applicants WESTCOURT
File Number
DA02/0947 24/06/2002 JELA GRUBELICH & MARION GRUBELICH 4 $0.00 Refused
Prop address 289 GNANGARA ROAD WANGARA WA 6065
Land Lot 8 D 41516 Vol 503 Fol 108A
Description LANDSCAPE SUPPLIES
Applicants JELA GRUBELICH, MARION GRUBELICH
File Number PA5/0033V01
DA02/0951 25/06/2002 CAROLYN M RAMSAY & CHRISTOPHER B 0 $0.00 Approved
Prop address 56 MEAKERS WAY GIRRAWHEEN WA 6064
Land Lot 4 DP 28519 Vol 2508 Fol 950
Description Single Dwelling
Applicants ASHMY PTY LTD
File Number
DA02/0957 25/06/2002 TAYLOR WOODROW AUSTRALIA PTY LTD 0 $0.00 Approved
Prop address 35 ARDMORE TERRACE DARCH WA 6065
Land Lot 220 DP 29513 Vol 2513 Fol 931
Description Single Dwelling
Applicants DALE ALCOCK HOMES PTY LTD
File Number
DA02/0960 25/06/2002 HOMESWEST RENTALS 0 $0.00 Approved
Prop address 34C HAINSWORTH AVENUE GIRRAWHEEN WA 6064
Land Lot 9 DP 28519
Description Single Dwelling
Applicants ASHMY PTY LTD
File Number
DA02/0973 27/06/2002 DARREN J STUART & KIM D STUART 1 $0.00 Approved
Prop address 1 SAVONA GROVE MINDARIE WA 6030
Land Lot 57 D 93760 Vol 2131 Fol 589
Description Single Dwelling
Applicants CONTENT LIVING
File Number
DA02/0974 27/06/2002 JOHN F CRUICKSHANK & DUDLEY R STOW 1 $0.00 Approved
Prop address 28 CAMIRA WAY QUINNS ROCKS WA 6030
Land Lot 631 DP 30432 Vol 2518 Fol 243
Description Single Dwelling
Applicants J CORP
File Number
DA02/0980 28/06/2002 MYRA STRACHAN & RAMSAY L STRACHAN 0 $0.00 Approved
Prop address 3 CORNELIA VISTA PEARSALL WA 6065
Land Lot 9 P 24126
Description Single Dwelling
Applicants ASHMY PTY LTD
File Number
EndOfAttachment - Do not delete this line will not be printed
File Ref: S02246T
File Name: AARecofD.doc This line will not be printed dont delete
Level 5 Approval by jan Date 08 July 2002
Level 4 Approval by jan Date 08 July 2002
Level 3 Approval by jan Date 08 July 2002
Level 2 Approval by jan Date 08 July 2002
Level 1 Approval by jan Date 08 July 2002
Responsible Officer: Director, Technical Services
Disclosure of Interest: Nil
Attachments: Nil
StartStrip - This line will not be printed so do not delete
Issue
To rescind parts 2 and 3 of the decision of Council relating to the awarding of Tender 02246 – The Supply and Delivery of One 9 Tonne Tip Truck and Trade/Outright Purchase of One Existing Mitsubishi Tip Truck.
Background
Council at the Ordinary Council meeting held on 2 July 2002 adopted the following recommendations (item TS02-07/02 refers):
“1. ACCEPTS Tender No 02246 from Skipper Trucks for the supply and delivery of one Mitsubishi FM658HRFAC nine tonne tip truck for the sum of $96,700.
2. ACCEPTS Tender No 02246 from Smith Broughton & Sons for the outright purchase of the City’s existing truck, plant number 96691 from the sum of $55,277.
3. APPROVES the budget shortfall of $5,923 be funded from the Heavy Vehicle Replacement Reserve.”
Due to an administrative error the outright purchase price offered by Smith Broughton & Sons was recorded incorrectly.
Detail
The following table is a revised summary of the tenders submitted for Tender No 02246 including the correction for Smith Broughton & Sons.
|
Skipper Trucks |
Raytone Motors |
Smith Broughton & Sons |
W.A. Hino |
Total Waste |
Flank Holdings |
Major Motors |
W.A. Hino Offer (2) |
|
Purchase |
$96,700 |
N/A |
N/A |
$95,161 |
N/A |
N/A |
$121,300 |
$102,701 |
|
Trade |
$44,270 |
$44,351 |
$23,770 |
$40,000 |
$47,500 |
$46,990 |
$42,727 |
$40,000 |
The figure of $55,277 originally recorded for Smith Broughton and Sons was an offer for plant number 97546, which was the trade/outright purchase, truck detailed in tender number 02247 and mistakenly included with the tender submissions for tender 02246.
This has resulted in the most advantageous offer for the trade/outright purchase for plant number 96691 now being the tender received from Total Waste Disposal for the sum of $47,500, eventuating in an increase in the budget shortfall of $7,777 to $13,700.
Comment
It is requested that Council rescind the decision to award Tender No 02246 for the outright purchase of plant number 02246 to Smith Broughton & Sons. It is further recommended that Council accepts the tender from Total Waste Disposal for the outright purchase of plant number 96691 for the sum of $47,500 and approves the over budget expenditure of $13,700 be funded from the Heavy Vehicle Replacement Reserve.
Statutory Compliance
The Local Government (Administration) Regulations 1996, regulation 10 details the procedure that is to be followed by Council when rescinding a decision of Council. This procedure includes the requirement to have at least 1/3 of the number of offices (whether vacant or not) of members of the Council support any motion to rescind and that the decision to rescind a Council decision must be supported by an absolute majority of Council.
Strategic Implications
Nil
Policy Implications
Nil
Financial Implications
Acceptance of the tender from Total Waste Disposals will result in an over budget expenditure of $13,700. This over budget expenditure can be funded from the Heavy Vehicle Replacement Reserve.
Voting Requirements
Absolute Majority
EndStrip - This will not be printed so do not delete
Recommendation
That Council:-
1. INDICATE SUPPORT to consider a motion to RESCIND a decision of Council (the support of 5 Elected Members is required).
1. 2.
3. 4.
5.
2. REVOKE, by ABSOLUTE MAJORITY, the decision Council made at its Ordinary Council Meeting on 2 July 2002 and detailed below:
“That Council
2. ACCEPTS Tender No 02246 from Smith Broughton & Sons for the outright purchase of the City’s existing truck, plant number 96691 for the sum of $55,277.
3. APPROVES the budget shortfall of $5,923 be funded from the Heavy Vehicle Replacement Reserve.”
3. ACCEPTS Tender No 02246 from Total Waste Disposals for the outright purchase of the City’s existing truck, plant number 96691 for the sum of $47,500.
4. APPROVES the budget shortfall of $13,700 be funded from the Heavy Vehicle Replacement Reserve.
EndOfRecommendation - This line will not be printed Please do NOT delete
File Ref: S02250T
File Name: AATen022.doc This line will not be printed dont delete
Level 3 Approval by jan Date 08 July 2002
Level 2 Approval by jan Date 08 July 2002
Level 1 Approval by jan Date 08 July 2002
Responsible Officer: Director, Technical Services
Disclosure of Interest: Nil
Attachments: Nil
StartStrip - This line will not be printed so do not delete
Issue
Assessment and recommendation of Tender 02250 – The Supply and Delivery of One Full Forward Control Rear Loading Compactor Vehicle of Minimum 22,500kg G.V.M. and Trade of Existing Rear Load Compactor.
Background
The City’s rear loading compactor, plant number 97544 was purchased in May 1993 and is used by the Environmental Waste Services Business Unit to undertake the collection of bulk refuse from residential properties.
The City’s Heavy Vehicle Replacement Programme recognises that the optimum replacement time for rear loading compactors is five years. Provision was originally made in the 2000/2001 Heavy Vehicle Replacement Programme to replace plant number 97544. These funds were carried forward to the 2001/2002 financial year as the City had purchased two similar trucks in May 2000 and wished to evaluate their performance before purchasing a further truck. A number of warranty issues were encountered with these trucks, which have since been rectified. This further delayed the calling of tenders and the funds have been carried forward to the 2002/2003 financial year.
Detail
Tender 02250 was advertised on 18 May 2002 and closed on 4 June 2002.
The Tender Evaluation Team, comprising the Manager Building and Fleet Maintenance Services, Manager Environmental Waste Services and the Transport Officer, has evaluated the tenders in accordance with the following assessment criteria as detailed in the tender document
a) Whole of life costs inclusive of price for the vehicle offered and trade in prices
b) Operational assessment; and
c) Mechanical assessment.
There were four tenders received for the supply and delivery of one rear loading compactor vehicle with trade of the City’s existing truck and one tender for the supply of one compactor body only. The tender from MacDonald Johnston to supply a compactor body only, formed part of the four tenders to supply one rear loading compactor vehicle and is therefore not considered separately.
This vehicle is to be used for bulk refuse collection and to minimise the risk of accident and driver stress, manoeuvrability is important. The City’s specification stated “Kerb to kerb turning circle the smaller the better, preferably less than 18m but no greater than 18.3m.” Of the four tenders submitted only two trucks, the Isuzu FVZ1400 and the Iveco ACCO 2350G comply with this requirement. A further requirement of the specification was that the rear suspension should be of the air bag type. The City has a responsibility to ensure that its vehicles are not overloaded and has found the most cost effective way of achieving this is to specify rear air bag suspension with a load pressure gauge fitted. Of the two trucks conforming with the turning circle requirement only the Iveco ACCO 2350G conforms to the air bag requirement and is therefore the only truck that complies with the City’s specification.
The following table details the purchase and trade price offered by the only conforming tender.
|
Tenderer |
Vehicle Offered |
Purchase Price |
Trade Price |
Net Changeover |
|
Skipper Trucks |
Iveco Acco 2350G |
$256,370 |
$32,000 |
$224,370 |
As there was only one tender conforming to the City’s specification the Tender Evaluation Team considered the suitability of the vehicle offered operationally and mechanically.
1. Operational assessment.
The cab/chassis offered, an Iveco Acco 2350G is used by the City in a number of refuse collection applications and has performed satisfactorily. MacDonald Johnston Engineering manufactures the compactor body offered. The City of Stirling currently operates these bodies and report that they have not had any ongoing problems.
2. Mechanical assessment.
Both the Iveco Acco 2350G cab/chassis and MacDonald Johnston Engineering body are considered acceptable from a mechanical viewpoint.
Comment
Based on there being only one tender that conforms to the City’s specification and that the truck and body offered are acceptable both operationally and mechanically it is recommended that the tender from Skipper Trucks for the supply and delivery of one Iveco Acco 2350G cab/chassis fitted with a MacDonald Johnston Engineering compactor body be accepted. This recommendation is made on the basis of trading the City’s existing truck, plant number 97544 to Skipper Trucks for a net changeover price of $224,370.
Accepting the tender from Skipper Trucks will result in an over budget expenditure of $64,370. This has resulted from the delay in calling tenders and an upgrade in the type of steel used by the manufacturer in the body construction in order to make the body more durable. This increased durability should result in reduced maintenance and downtime costs for the City.
Statutory Compliance
Tenders have been invited and evaluated against the selection criteria in accordance with Section 3.57 of the Local Government Act and associated regulations.
Strategic Implications
Nil
Policy Implications
Nil
Financial Implications
Costs associated with accepting the recommended tender are compared to budget in the following table.
|
Tender |
Budget |
||||||||||||||||||
|
Supplier Vehicle |
Trade Plant # |
Council Price |
Trade |
Change Over |
Gross |
Trade |
Total |
Budget Variance |
Delivery |
||||||||||
|
Skipper Trucks Iveco Acco 2350G |
97544 |
$256,370 |
$32,000 |
$224,370 |
$200,00 |
$40,000 |
$160,000 |
-$64,370 |
14/16 weeks |
|||||||||
It is noted that, while the other submissions were non-conforming, the prices were consistent and reflected the model changes over the past two years and the increase to the structural strength of the compactor body.
The over budget expenditure can be sourced from the Heavy
Vehicle Replacement Reserve due to the non replacement and subsequent disposal
of two recycling collection vehicles that were included in the 2001/2002 Heavy
Vehicle Replacement Programme. Council at its meeting on
11 June 2002 approved the disposal of plant numbers 96587 and 96588 as they had
become surplus to requirements (Item TS01-06/02 refers). These two trucks have
accumulated approximately $75,000 in the Heavy Vehicle Replacement Reserve for
their replacement.
Voting Requirements
Simple Majority
EndStrip - This will not be printed so do not delete
Recommendation
That Council:-
1. ACCEPTS Tender No 02250 from Skipper Trucks for the supply and delivery of one Iveco Acco 2350G cab/chassis fitted with a MacDonald Johnston Engineering rear loading refuse compactor body and trade of the City’s existing truck, plant number 97544 for the net changeover price of $224,370.
2. APPROVES the budget shortfall of $64,370 be funded from the Heavy Vehicle Replacement Reserve.
EndOfRecommendation - This line will not be printed Please do NOT delete
File Ref: S02253T
File Name: AATen053.doc This line will not be printed dont delete
Level 3 Approval by jan Date 08 July 2002
Level 2 Approval by jan Date 08 July 2002
Level 1 Approval by jan Date 08 July 2002
Responsible Officer: Director, Technical Services
Disclosure of Interest: Nil
Attachments: Nil
StartStrip - This line will not be printed so do not delete
Issue
Assessment and recommendation of Tender 02253 – The Supply and Delivery of One 24-26 Seat Bus and One 22-24 Seat Bus With Wheelchair Access and Trade/Outright Purchase of Two Existing Buses.
Background
The City’s buses, plant numbers 95330 and 95333, were purchased in May 1997 and July 1998 respectively. The City was provided with part funding from the Home and Community Care (HACC) Program for the purchase of 95330. The Aged and Disability Sub Unit use this bus for the transport of aged clients within the City’s Adult Day Care Program. The Aged and Disability Sub Unit use plant number 95333 for community and senior transport including shopping outings.
The City’s Light Vehicle Replacement Program recognises that the optimum replacement time for buses is 5 years. On this basis, provision was made in the City’s 2001/2002 Light Vehicle Replacement Program to replace 95330. Tender 02236 was advertised on 19 January 2002 to replace this bus and tenders closed on 5 February 2002. Council considered the tender submissions at its meeting held on 30 April 2002 and resolved not to accept any tender whilst the broader transport needs of the City’s seniors and community groups were considered.
At the Ordinary Council meeting of 11 June 2002, the following motion by Cr Treby (report MN02-06/02 refers) was endorsed:
“Moved Cr Treby, Seconded Cr Stewart
That Council:-
1. INDICATE SUPPORT to consider a motion to REVOKE a decision of Council (the support of 5 Elected Members is required).
1. Mayor Kelly 2. Cr Treby 3. Cr Salpietro 4. Cr Monks 5. Cr Hughes
2. REVOKE by an ABSOLUTE MAJORITY the decision of Council made at its Ordinary Council Meeting on the 30th April 2002 and detailed below:
“That Council:-
2) LIST for consideration in the draft 2002-2003 Budget funding for the
replacement of the City’s existing bus, Plant No.95330, with a minimum of a
24-26 seat bus and with wheelchair access and lockable storage space.”
3. AUTHORISE the re-calling of tenders for the supply and delivery of one bus
modified to provide wheelchair access and lockable storage space with a seating
capacity of 19 seats.
4. LIST for consideration in the draft 2002-2003 Budget funding for 24-26 seat
passenger bus without wheelchair access.
CARRIED UNANIMOUSLY
& BY ABSOLUTE MAJORITY”
Additional funds were provided in the 2002/2003 Budget to upgrade both buses to larger seating capacities, $20,000 for plant number 95330 and $100,000 for plant number 95333. HACC funding of $20,000 was also provided to assist with the upgrade of plant number 95330.
Detail
Tender No 02253 was advertised on 15 June 2002 and closed on 2 July 2002.
There was one tender received for the supply and delivery of one 24-26 seat bus with lockable storage and one 22-24 seat bus with wheelchair access and lockable storage, inclusive of the trade of the City’s existing two buses.
The City’s tender document detailed the following assessment criteria.
a) Whole of life costs inclusive of price for the vehicle offered and trade in prices
b) Operational assessment; and
c) Mechanical assessment.
1. Whole of life costs inclusive of price for the vehicle offered and trade in prices.
The following table details the purchase and trade prices offered by the one tender received.
|
Tender |
Vehicle |
Purchase Price |
Trade Price |
Net Changeover |
|
Skipper Trucks – 22-24 seat bus with wheelchair access and lockable storage |
Mitsubishi Rosa |
$121,660.00 |
$13,636.36 |
$108,023.64 |
|
Skipper Trucks – 24-26 seat bus and lockable storage |
Mitsubishi Rosa |
$93,913.00 |
$21,818.18 |
$72,094.82 |
As there was only one tender received no whole of life cost comparison could be done. Based on previous tenders the purchase and trade prices offered by Skipper Trucks are considered competitive.
2. Operational assessment.
22-24 Seat Bus With Wheelchair Access
An operational assessment was carried out on the Mitsubishi Rosa bus offered when assessment of Tender 02236 was made. The bus offered in this tender is the same bus as offered in Tender 02236 and is acceptable. The tendered bus configuration is in accordance with the Council resolution of 10 June 2002 in that the seating capacity is for 19 persons and provision is made for wheelchair access and lockable storage
24-26 Seat Bus
The City’s specification required a 24-26 seat bus with an enclosed lockable storage area at least one metre wide and one metre deep. The Mitsubishi Rosa bus offered by Skipper Trucks has a seating capacity of 25 including the driver, however the provision of the lockable storage area requires the removal of two seats, resulting in a total seating capacity of 23. The storage area was specified to provide a secure area for shopping bags and to transport equipment such as walking frames and fold up tables and chairs. The Manager Community Services advises that the reduced capacity of 23 seats would be acceptable operationally in order to retain the storage area.
3. Mechanical assessment.
A mechanical assessment was also carried out during the assessment of tender 02236 and the Mitsubishi Rosa was considered acceptable mechanically.
Comment
As there was only one tender received and the buses offered are acceptable based on the assessment criteria established in the tender document it is recommended that the tender from Skipper Trucks for the supply and delivery of one 19 seat capacity bus with wheelchair access and one 23 seat capacity bus with lockable storage be accepted. This recommendation is made on the basis of trading the City’s two existing buses to Skipper Trucks for a net changeover price of $180,118.46.
Skipper Trucks also provided pricing on an option to upgrade to a Deluxe model bus for $6,454. The Deluxe model has high back, cloth covered seating with three point seat belts in lieu of low back seats with lap belts. The high back seats however require the floor to be stepped from the centre aisle and this is not considered suitable for senior passengers.
The Fleet Management Steering Committee has reviewed this report and supports the recommendations.
Statutory Compliance
Tenders have been invited and evaluated against the selection criteria in accordance with Section 3.57 of the Local Government Act and associated regulations.
Strategic Implications
Nil
Policy Implications
Nil
Financial Implications
Costs associated with accepting the tender from Skipper Trucks are compared to budget in the following table.
|
Tender |
Budget |
|||||||||
|
Supplier Vehicle |
Trade Plant # |
Council Price |
Trade Price |
Change Over |
Gross |
Trade |
Additional Funds |
Total |
Budget Variance |
Delivery |
|
Skipper Trucks Mitsubishi Rosa |
95330 |
$121,660 |
$13,636.36 |
$108,023.64 |
$95,000 |
$29,000 |
$40,000 |
$106,000 |
-$2,023.64 |
6-8 weeks |
|
95333 |
$93,913 |
$21,818.18 |
$72,094.82 |
$43,000 |
$12,000 |
$100,000 |
$131,000 |
$58,905.18 |
6-8 weeks |
|
|
Total |
|
$215,573 |
$35,454.54 |
$180,118.46 |
$138,000 |
$41,000 |
$140,000 |
$237,000 |
$56,881.54 |
|
Voting Requirements
Simple Majority
EndStrip - This will not be printed so do not delete
Recommendation
That Council ACCEPTS Tender No 02253 from Skipper Trucks for the supply and delivery of one Mitsubishi Rosa bus with 19 seats, wheelchair access and lockable storage area and one Mitsubishi Rosa bus with 23 seats and lockable storage area and the trade of two existing buses, plant numbers 95330 and 95333 for the net changeover price of $180,118.46.
EndOfRecommendation - This line will not be printed Please do NOT delete
File Ref: PR/0001VO1
File Name: FAxxxxxx.doc This line will not be printed dont delete
Level 3 Approval by jan Date 08 July 2002
Level 2 Approval by jan Date 08 July 2002
Level 1 Approval by jan Date 08 July 2002
Responsible Officer: Director, Technical Services
Disclosure of Interest: Nil
Attachments Nil
StartStrip - This line will not be printed so do not delete
Issue
Impact on the 2002/2003 Operating Budget arising from handover of landscape projects within newly developed subdivisions and completion of the City’s own Capital Works.
Background
Subsequent to the installation of landscape projects within newly developed subdivisions, the land developer is typically responsible for undertaking a maintenance program for a standard establishment period covering two (2) summers, usually equivalent to 24 months. Once this period concludes, the maintenance of the landscape works within the developed subdivision is expected to be undertaken by the City of Wanneroo. The City is then responsible for the upkeep of all existing soft and hard landscape components. For these maintenance works to be carried out in addition to the current maintenance program, an increase in the operating budget is required.
Similarly for the City’s Capital Works projects, maintenance becomes the City’s responsibility on completion of the turf establishment contracts, usually 12 months after issue of project completion. Examples of these types of projects include the construction of sports grounds at Mintaro and Bellhaven Parks, Quinns in the 2001/2002 financial year
Detail
Table 1 below identifies all developed subdivisions and Capital Works projects that will be handed over to the City of Wanneroo for maintenance of the landscape and irrigation works during the 2002/2003 financial year.
TABLE 1: LANDSCAPE PROJECT HANDOVER FOR 2002/2003
|
SUBURB |
MAINTENANCE AREAS |
HANDOVER DATE |
|
Carramar |
Carramar Estate Glenfine and Staunton Vale Parks (excluding irrigation) |
July 2002 |
|
Clarkson |
Clarkson District Centre Ocean Keys Park, Ocean Keys Blvd, Marmion Avenue verge Neerabup to Ocean Keys Blvd |
July 2002 |
|
Hocking |
MacQuarrie Heights Bembridge Park |
July 2002 |
|
Landsdale |
Landsdale Gardens Abbotsford Drive streetscape and Snake Swamp |
July 2002 |
|
Mindarie |
Mindarie Estate Marmion Ave (embankment only), Seaham Way, Grand Bank Pkwy, Long Beach Prom, Castellon Way PAW, all existing street trees and roundabouts and Talara and Halmstad Parks |
July 2002 |
|
Pearsall |
MacQuarrie Heights Willespie Park and streetscape, East Road CAPS, and Kemp Street, Wanneroo Road verge |
January 2003 |
|
Quinns |
Quinns Beach Estate Nottingham Park and Queenscliffe Pde streetscape Norfolk Estate Santa Barbara Pde (Stage 4), Pitcairn Entrance and Marmion Avenue verge Osprey Estate Street tree planting to Stage 8. |
July 2002
July 2003
July 2002 |
|
Quinns |
City of Wanneroo Mintaro Oval and Belhaven Oval |
July 2002 |
|
Wangara |
Enterprise Park POS and street tree planting |
July 2002 |
|
Wanneroo |
Sommerville Waters Estate Renner Park and Wanneroo Road verge |
March 2003 |
|
TOTAL |
||
It is noted that the 2002/2003 Operating Budget for Landscape Maintenance has been increased by $500,000 to facilitate the implementation of an annual maintenance program to these areas.
Comment
In accordance with the City's Policy for Landscape Upgrades to Distributor Roads and Parks (Policy 7.3.2) irrigation to Marmion Avenue and Wanneroo Road verges, where relevant to the various locations noted in the above table, will be discontinued. The irrigation to other minor streetscapes within the road reserve will also be disconnected, as subsequent to the two (2) summers establishment period, the street trees and complementary drought tolerant vegetation should be able to survive without supplementary watering. The same treatment will apply to the landscape in the East Road Control Access Places in Pearsall, however initial monitoring will be required, as development proponents did not utilise drought tolerant species suitable for this type of location.
Further comment with regard to the various locations addressed in Table 1 above is as follows:
· The Mindarie Keys Property Management (MKPM) will continue to maintain and be responsible for the entry statements of Marmion Avenue and selected streetscape until such time as all the lots have been fully developed and sold. The ‘duck pond’ on Anchorage Drive was developed by the previous land owners as a park (Bayport Park). MKPM intend to develop this lot to its R60 zoning potential in the future as there is no requirement for POS in this location and the ‘duck pond’ is not considered appropriate as a recreational resource for Mindarie. The Marmion Avenue median adjacent to Mindarie and Clarkson is to be jointly developed during the 2002/2003 year by MKPM and the City.
· Ocean Keys Park in Clarkson has suffered severe vandalism during its establishment phase. Subsequent to repair by the developers, the Park will need close monitoring, as it may require future consideration for refurbishment or ongoing maintenance to ensure that the infrastructure does not present a risk to users.
· Remediation works along Pitcairn Entrance and St Barbara Parade (Quinns Norfolk Estate) are to be undertaken prior to handover, as a portion of the planting is absent, in poor condition or unsuitable for irrigation removal.
· Streetscapes in the Quinns Beach and Osprey Estates consist of street trees located on verges under the adjacent landowner's care.
· Glenfine and Staunton Vale Parks in the Carramar Estate will only have landscape maintenance undertaken by the City. Handover of both parks is subject to the submission of a maintenance proposal for the irrigation system by the land developer, as the bores within these parks are currently being utilised to irrigate additional streetscape works within the Estate. The City will accept no responsibility for any irrigation until such time that the landscape treatments are in accordance with its Policy in this regard.
The City’s Parks Operations day labour workforce size has been maintained at a personnel level of 50 since establishment of the new City of Wanneroo. A review of Parks Operations is currently in progress to determine the most cost effective areas of operations to assign these day labour resources to in the long term. It has been determined that the maintenance demands created by subdivisional growth will need to be met through utilisation of a combination of day labour and contract resources. Contract operations will be targeted to specialist tasks conventionally suited to contracting out. This review process will also incorporate the establishment of three defined and costed levels of Parks Maintenance Services. This proposal will ultimately be reported to Council in early 2003 to provide Council with choice in the selection of a universal park and streetscape maintenance standards aligned to Council priorities.
In the interim period, it is necessary to contract out maintenance work associated with some of the new parks and streetscapes that are to be handed over following subdivisional release in order to meet workload demands on the City’s Parks Operations activities until the review is finalised. Therefore, it is proposed that the associated maintenance resource demands created during the 2002/2003 year be met through resource allocations defined in Tables 2 and 3 below. It is noted that the full description of each maintenance area is as described in Table 1.
TABLE 2 – CONTRACTOR RESOURCED WORKS
|
SUBURB |
MAINTENANCE AREAS |
|
Clarkson |
Clarkson District Centre |
|
Landsdale |
Landsdale Gardens |
|
Mindarie |
Mindarie Estate |
|
Pearsall |
MacQuarrie Heights |
|
Quinns |
Quinns Beach Estate, Norfolk Estate, Osprey Estate |
TABLE 3 – CITY OF WANNEROO DAY LABOUR RESOURCED WORKS
|
Carramar |
Carramar Estate |
|
Hocking |
MacQuarrie Heights |
|
Quinns |
City of Wanneroo - sportsground |
|
Wangara |
Enterprise Park |
|
Wanneroo |
Sommerville Waters Estate |
Statutory Compliance
All works as a result of the implementation of this recommendation shall comply with the requirements of the Local Government Act 1995 and the relevant building standards under the Building Code of Australia and Australian Standards.
Strategic Implications
This recommendation meets the City's objectives for:
· Environmental sustainability in conserving and enhancing our environmental assets;
· Healthy Communities in providing and managing infrastructure to meet the needs of the community.
Policy Implications
The recommendations presented in this report are consistent with the City's Policy for Landscape Upgrades to Distributor Roads and Parks (Policy 7.3.2).
Financial Implications
The increase of $500,000 to facilitate the implementation of the annual maintenance program arising from handover to the City of landscape projects during the 2002/2003 year has been allowed for in the City’s 2002/2003 Operating Budget.
Voting Requirements
Simple Majority
EndStrip - This will not be printed so do not delete
Recommendation
That Council:
1. ACCEPTS this report advising of additional costs to the City’s Annual Maintenance Program associated with handover of landscape developments for 2002/2003.
2. RECEIVES a further report prior to resolving the City’s 2003/2004 Operating Budget for Landscape Maintenance, advising on the review of the service delivery options for the City’s landscape maintenance services and the additional costs arising from handover to the City of landscape projects proposed for the 2003/2004 year.
EndOfRecommendation - This line will not be printed Please do NOT delete
File Ref: S13/0001V01
File Name: BBFinRep.doc This line will not be printed dont delete
Level 3 Approval by Audrey Binnie Date 08 July 2002
Level 2 Approval by Mike Cole Date 24 June 2002
Level 1 Approval by Mike Cole Date 24 June 2002
Responsible Officer: Director, Corporate Services
Disclosure of Interest: Nil
Attachments: 1
StartStrip - This line will not be printed so do not delete
Issue
To note the monthly financial report for the month ended 31 May 2002.
Background
Regulation 34(1)(a) of the Local Government (Financial Management) Regulations 1996 requires a financial report to be presented to Council on a monthly basis.
Detail
The financial report for the period ended 31 May 2002 has been completed and is attached. (Attachment 1 refers).
The report comprises an Operating Statement by Program and Nature and a Cash Flow Statement for the period ended 31 May 2002, plus a Statement of Financial Position as at 31 May 2002.
Consultation
Nil.
Comment
The Council, at its last meeting, resolved not to require the preparation of a Financial Report for the month of June 2002. The 30 June 2002 financial results will be contained within the 2001/2002 Annual Financial Statements.
Statutory Compliance
The monthly financial report for the month ended 31 May 2002 complies with Section 6.4 of the Local Government Act 1995 and Regulation 34(1)(a) of the Local Government (Financial Management) regulations 1996.
Strategic Implications
Nil.
Policy Implications
Nil.
Financial Implications
Nil.
Voting Requirements
Simple Majority
EndStrip - This will not be printed so do not delete
Recommendation
That Council NOTES the monthly financial report for the month ended 31 May 2002.
EndOfRecommendation - This line will not be printed Please do NOT delete
StartOfAttachment - Do not delete this line will not be printed
ATTACHMENT 1

FINANCIAL REPORT
For the month ended 31 May 2002
EndOfAttachment - Do not delete this line will not be printed
File Ref: 26174
File Name: BBPROEME.doc This line will not be printed dont delete
Level 3 Approval by Audrey Binnie Date 08 July 2002
Level 2 Approval by mike cole Date 21 June 2002
Level 1 Approval by mike cole Date 21 June 2002
Responsible Officer: Director, Corporate Services
Disclosure of Interest: Nil
Attachments: Nil
StartStrip - This line will not be printed so do not delete
Issue
To inform Council of the current status of the State Government’s proposed Emergency Services Levy.
Background
The State Government proposes to introduce an Emergency Services Levy (ESL) to replace the existing funding arrangements for the Fire and Emergency Services Authority (FESA). At present, the FESA is funded as follows:-
· Career Fire Service is funded 75% from insured policyholders, 12.5% from the State Government and 12.5% from local government;
· Volunteer Fire Brigades are funded 100% by the State Government;
· Bush Fire Brigades are funded by local government;
· State Emergency Services are funded primarily by the State Government, with support from the Commonwealth Government and local government.
The ESL will be applied to the Gross Rental Value of all property and will be collected on behalf of the State Government by local government as part of rates. The ESL will be required to be shown on the Rates Notice as ‘Emergency Services Levy’.
Detail
The Minister for Emergency Services has announced that the State Government will be proceeding with the introduction of the proposed ESL, to be applied against the Gross Rental Value of all property and to be collected on behalf of the State Government by local government.
The proposed ESL is scheduled to be introduced from 1 July 2003.
One of the principal drivers behind the proposed ESL is the inequity of the current system. It is suggested that not all people who receive the benefit or protection from the services provided by FESA contribute to the funding of the service through various insurance arrangements. The current system means that people who responsibly insure their property are subsidising people who avoid contributing, either by not insuring their property or insuring their property offshore.
Under the proposed new funding arrangements, the State Government envisages savings for those property owners who currently insure as all property owners will now be required to contribute. The Minister suggests that for those property owners who currently insure their homes, savings of up to 23% in home and contents insurance premiums are to be expected.
Additional savings are also expected to be passed on to property owners in the form of savings in local government rates. The reason for this is that local government will no longer be required to fund 12.5% of FESA. For example, the City of Wanneroo currently contributes $300,000 per annum as part of its commitment to fund FESA. This amount is budgeted to increase to $310,000 in 2002/03. Under the new arrangements, this level of funding will not be required and as a consequence will not need to be met from General Rates.
The proposed ESL will be based on the Gross Rental Value (GRV) of all properties, and the owners of land will be required to pay the ESL. There will be no exemptions from the ESL although a rebate system will apply to pensioners and seniors. For all intents and purposes, the ESL is proposed to be recovered from ratepayers as part of the normal debt recovery process of local government, with the same installment options made available under the Local Government Act 1995.
In the case of Council owned land, the ESL will only apply to improved property. Improved property will include curtilage as determined and valued by the Valuer General. Curtilage is defined as the land necessary to accommodate the buildings and ancillary improvements such as car parking, landscaping etc. The Valuer General’s Office has already received details of all land owned by local government throughout the State as part of that Office’s preparations for the ESL.
Each property will be classified according to the level of service provided by FESA. The latest information provided by FESA included the following five (5) Service Levels:-
SL1 Communities supported by:-
· A network of Career Fire Brigades; and
· The statewide SES network
SL2 Communities supported by:-
· A Career Fire Brigade; and
· The statewide SES network
SL3 Communities supported by:-
· A Volunteer Fire Brigade or Bush Fire Brigade, with the availability of a network of Career Fire Brigades; and
· The statewide SES network
And/or
· A Volunteer Fire Brigade with additional on site support from a resident Career Firefighter(s); and
· The statewide SES network
SL4 Communities supported by:-
· A Volunteer Fire Brigade; and
· The statewide SES network
SL5 The rest of the State.
For SL1 to SL4, the annual ESL will be based on the GRV of each property, multiplied by the specific ESL Rate in the dollar as declared by the Minister. In regards to SL5, a flat charge will apply to all properties regardless of size, use or value. Relativities will be predetermined between ESL Rates. It is proposed that the following percentages will apply:-
· SL1 100%
· SL2 80%
· SL3 60%
· SL4 30%
· SL5 Flat fee equal to Minimum Levy, to be determined by the Minister.
The ESL will be budget driven. Once FESA’s annual budget has been determined and ratified by the Minister, the levy will be determined, based on the aggregate GRVs within each of the above SLs multiplied and the percentages listed above for each SL. The process to be followed is not unlike Rate Modelling conducted each year by local government.
In return for collecting the levy, the State Government has indicated it will reimburse local governments any additional costs associated with the implementation of the levy. In addition, a fee or commission for collecting the levy will be paid to local governments.
Consultation
Nil.
Comment
The proposed ESL seeks to address the funding inequities of the current system whereby landowners can avoid contributing to the funding of services that protect their property by either not insuring or insuring offshore.
The State Government is of the view that local governments are best placed to administer and collect the levy given their more up to date property records. However, there are a number of State Government agencies, such as the Valuer General’s Office, Water Authority, State Revenue Department etc that could easily administer the scheme, with data input from local government if required.
For this reason, the proposal could be seen as another example of the State Government devolving their responsibilities to local government without providing adequate resources and compensation or indeed consultation. While local government has been involved in initial discussions late last year and earlier this year, no further information on the proposal has been provided until the Minister’s announcement.
The Western Australian Local Government Association has voiced concerns about the way in which the ESL has been announced by the Minister, particularly the lack of consultation. WALGA view the ESL as a new State Government tax that has been forced onto local government to administer. As a result, WALGA has put on hold their involvement in the State-Local Government Partnership group.
Statutory Compliance
Not applicable. However, it is understood amendments to the Local Government Act may be required to allow for the collection of the ESL by local government.
Strategic Implications
Nil.
Policy Implications
Nil.
Financial Implications
The State Government has announced that all local governments will be compensated for any additional costs associated with the implementation of the levy. In addition, local governments will no longer be required to contribute 12.5% to the funding of FESA, although each local government will be required to pay a levy for each improved property it owns. At present, the City’s contribution to FESA is $300,000 and is budgeted to increase to $310,000 in 2002/03.
The City will be required to follow up outstanding ESL as part of normal rate debt recovery procedures. In addition, the City will be burdened by another administrative task on behalf of the State Government in order to remit the ESL collected in each month by the 10th day of the following month. Late remittance interest is proposed to be charged when a local government fails to remit the ESL in accordance with the agreed payment timetable, adding further to the administrative burden of the ESL. Due to the increasing size of the City’s ratebook and given the additional workload expected to arise as a result of the ESL, the City may require an additional FTE in Rating Services.
Another likely impact of the ESL is that additional commissions and merchant fees are also expected to be paid by the City as a result of increasing total amounts to be paid by ratepayers who utilise credit card facilities.
Finally, the ESL is expected to result in additional losses in terms of investment income. The City relies upon a substantial proportion of rates being paid in full by the due date to generate additional income through investments. There is the possibility that the higher total rate notice, due to the inclusion of the ESL, may deter some ratepayers from paying their rates in full, thereby opting for one of the installment options. Hence, the City may suffer a loss in investment income.
With regard to City’s emergencies services, the impact of the ESL appears to be positive, regardless of which agency is responsible for its collection. All ESL collected will be remitted to FESA and paid into a central Fund. On a regular monthly basis, payments will be made from the Fund to each local government concerned to meet the cost of their Bush Fire Brigades and State Emergency Service Units. This will include both capital and operating expenses in accordance with approved budget and funds allocation processes, potentially around $700,000pa based on City of Wanneroo current expenditure in these two operational areas.
It may be the case in some circumstances that local governments would be allocated more from the Fund than they actually collect and remit to FESA. FESA indicate that there will be no direct linkage between the ESL actually raised and the amount spent in individual communities to ensure that small rural and remote services are properly supported. (Extract from FESA Executive Overview of Proposed New Funding System – ESL)
Voting Requirements
Simple Majority
EndStrip - This will not be printed so do not delete
Recommendation
That Council:-
1. NOTES the proposed introduction of the Emergency Services Levy, effective 1 July 2003.
2. SUPPORTS the stance taken by the Western Australian Local Government Association with regard to the expression of concerns at the way in which the proposed ESL has been announced by the State Government.
3. NOTES the impact of the proposed Emergency Services Levy on the City of Wanneroo.
EndOfRecommendation - This line will not be printed Please do NOT delete
File Ref: P08/0018V01 12939 57021 73306
File Name: AAReqPer.doc This line will not be printed dont delete
Level 3 Approval by Fiona Bentley - Director Community Development Date 08 July 2002
Level 2 Approval by Mike Barry Date 08 July 2002
Level 1 Approval by Kelly Edmonds Date 08 July 2002
Responsible Officer: Director, Community Development
Disclosure of Interest: Nil
Attachments: Nil
StartStrip - This line will not be printed so do not delete
Issue
Consideration of applications for an exemption to Council’s Local Laws made under Section 26(3) of the Dog Act 1976 to keep more than two dogs.
Background
Clause 14 of the City of Wanneroo Animal Local Laws 1999 stipulates:
A person shall not keep or permit to be kept on any premises more than:
a) 2 dogs over the age of 3 months and the young of those dogs under that age; or
b) 6 dogs over the age of 3 months and the young of those dogs under that age if the premises are situated within a rural area or comprise a lot in a special rural area having an area of 4 hectares or more;
unless the premise is licensed as an approved kennel establishment or has been granted an exemption pursuant to section 26(3) of the Dog Act and have planning approval under the town planning scheme.
Detail
The following applications have been made under the Dog Act and are submitted for consideration:
|
Address of Applicant |
Description of Dogs |
|
5 Farren Heights, Clarkson |
female gold Cocker Spaniel female tan and white Jack Russell Terrier cross female tan and white Jack Russell Terrier cross |
|
90 Templeton Crescent, Girrawheen |
female black Mastiff female grey Terrier female white Poodle |
|
80 Manbari Crescent, Wanneroo |
female white Maltese Terrier/Pekingese cross male tan Australian Terrier cross male white West Highland Terrier |
|
11 Redruth Court, Yanchep |
female tan Kelpie cross female tan and white Collie male black and white Border Collie |
Council Rangers have inspected the properties to ensure that means exist on the premises at which the dogs will ordinarily be kept for effectively confining the dogs within those premises.
All of the properties are zoned residential.
Consultation
Residents adjacent to the applicants’ properties have been consulted by letter to ascertain if they have any objections.
|
Address of Applicant |
Number of Residents Consulted |
Number of Objections Received |
|
5 Farren Heights, Clarkson |
five residents consulted |
no objections received |
|
90 Templeton Crescent, Girrawheen |
three residents consulted |
no objections received *three residents signed letter of support |
|
80 Manbari Crescent, Wanneroo |
five residents consulted |
no objections received |
|
11 Redruth Court, Yanchep |
five residents consulted |
no objections received |
Comment
In considering these applications for exemption the following two options are available:
a) Council may grant exemptions pursuant to Section 26(3) of the Dog Act 1976 subject to conditions;
b) Council may refuse permission to keep more than two dogs.
Given that no objections have been received and there are means that exist on the properties to confine the dogs within the premises, it is recommended that exemptions be granted subject to the following conditions:
a) If any of the dogs die or are no longer kept on the properties, no replacement dogs are to be obtained;
b) Any barking by the subject dogs are to be kept to a minimum;
c) This permission may be varied or revoked if any complaints are received which are considered to be reasonable.
If Council decides to refuse permission, the applicants may appeal to the Hon Minister for Housing and Works; Local Government and Regional Development; the Kimberley, Pilbara & Gascoyne. The Minister may approve the request on appeal and the City would not be able to impose conditions as recommended.
Statutory Compliance
These applications for exemption to Council’s Local Laws made under Section 26(3) of the Dog Act 1976, has been detailed in this report.
Strategic Implications
Nil
Policy Implications
Nil
Financial Implications
Nil
Voting Requirements
Simple Majority
EndStrip – This will not be printed so do not delete
Recommendation
That Council:-
1. GRANTS an exemption to the City of Wanneroo Animal Local Laws 1999 made under Section 26(3) of the Dog Act 1976 for the applicants at the following listed properties, to keep three dogs at :
i) 5 Farren Heights, Clarkson;
ii) 90 Templeton Crescent, Girrawheen;
iii) 80 Manbari Crescent, Wanneroo;
iv) 11 Redruth Court, Yanchep.
2. SUBJECT to the conditions listed below:
a) If any one of the dogs die or is no longer kept on the property, no replacement dog is to be obtained;
b) Any barking by the subject dogs is to be kept to a minimum;
c) This exemption may be varied or revoked if any complaints are received which are considered reasonable.
3. RESERVES THE RIGHT to vary or revoke, at any future date, the exemption given to the applicant should any relevant conditions be contravened.
4. ADVISES the adjoining neighbours of this decision.
EndOfRecommendation - This line will not be printed Please do NOT delete
File Ref: 47009 P27/0027V01
File Name: CAAppToK.doc This line will not be printed dont delete
Level 3 Approval by Fiona Bentley - Director Community Development Date 08 July 2002
Level 2 Approval by Mike Barry Date 08 July 2002
Level 1 Approval by Kelly Edmonds Date 08 July 2002
Responsible Officer: Director, Community Development
Disclosure of Interest: Nil
Attachments: Nil
StartStrip - This line will not be printed so do not delete
Issue
Consideration of applications for an exemption to Council’s Local Laws made under Section 26(3) of the Dog Act 1976 to keep more than two dogs.
Background
Clause 14 of the City of Wanneroo Animal Local Laws 1999 stipulates:
A person shall not keep or permit to be kept on any premises more than:
a) 2 dogs over the age of 3 months and the young of those dogs under that age; or
b) 6 dogs over the age of 3 months and the young of those dogs under that age if the premises are situated within a rural area or comprise a lot in a special rural area having an area of 4 hectares or more;
unless the premise is licensed as an approved kennel establishment or has been granted an exemption pursuant to section 26(3) of the Dog Act and have planning approval under the town planning scheme.
Detail
The following applications have been made under the Dog Act and are submitted for consideration:
|
Address of Applicant |
Description of Dogs |
|
12 Starrs Road, Quinns Rocks |
female black and white Border Collie cross male black and white Border Collie cross female black and white Border Collie cross |
|
49 Canna Place, Wanneroo |
female red and white Bull Terrier/Heeler cross male red Kelpie cross male black and white Border Collie cross |
Council Rangers have inspected the properties to ensure that means exist on the premises at which the dogs will ordinarily be kept for effectively confining the dogs within those premises. The dogs from 49 Canna Place, Wanneroo wear boundary restriction collars.
|
Address of Applicant |
Property Zoning |
Size of Property |
|
12 Starrs Road, Quinns Rocks |
Residential |
0.0770 hectares |
|
49 Canna Place, Wanneroo |
Special Rural |
1.9771 hectares |
Consultation
Residents adjacent to the applicants’ properties have been consulted by letter to ascertain if they have any objections.
|
Address of Applicant |
Number of Residents Consulted |
Number & Content of Objections Received |
|
12 Starrs Road, Quinns Rocks |
Three residents consulted |
One objection received “I feel 3 dogs is too many in suburbia and the breed of dogs require a lot more exercise than they get. 3 dogs mean a lot of dogs shut in one area and would create a fly problem”. |
|
49 Canna Place, Wanneroo |
Six residents consulted |
One objection received “There are 4 dogs on that property and 3 of the dogs have attacked a person previously”. |
Comment
In considering this application for exemption the following two options are available:
a) Council may grant an exemption pursuant to Section 26(3) of the Dog Act 1976 subject to conditions;
b) Council may refuse permission to keep more than two dogs.
Given that objections have been received, it is recommended that an exemption not be granted.
In accordance with Section 26(5) of the Dog Act 1976 Council must advise the applicants that they may appeal Council’s decision by writing to the Hon Minister for Housing and Works; Local Government and Regional Development; the Kimberley, Pilbara & Gascoyne within 28 days of receiving notice of Council’s decision.
Statutory Compliance
The application for exemption to Council’s Local Laws made under Section 26(3) of the Dog Act 1976, has been detailed in this report.
Strategic Implications
Nil
Policy Implications
Nil
Financial Implications
Nil
Voting Requirements
Simple Majority
EndStrip - This will not be printed so do not delete
Recommendation
That Council:-
1. REFUSES an exemption to the City of Wanneroo Animal Local Law 1999 made under Section 26(3) of the Dog Act 1976 for the applicants at 12 Starrs Road, Quinns Rocks and 49 Canna Place, Wanneroo.
2. ADVISES the applicants that they may appeal Council’s decision by writing to the Hon Minister for Housing and Works, Local Government and Regional Development; the Kimberley, Pilbara & Gascoyne within 28 days of receiving notice of Council’s decision.
EndOfRecommendation - This line will not be printed Please do NOT delete
File Ref: 29061
File Name: CAAdoofB.doc This line will not be printed dont delete
Level 3 Approval by Fiona Bentley - Director Community Development Date 08 July 2002
Level 2 Approval by Mike Barry Date 08 July 2002
Level 1 Approval by MT Date 05 July 2002
Responsible Officer: Director, Community Development
Disclosure of Interest: Nil
Attachments: 1
StartStrip - This line will not be printed so do not delete
Issue
To adopt a new Constitution for the City of Wanneroo Bush Fire Brigades in accordance with the City of Wanneroo Bush Fire Brigade Local Law.
Background
The City of Wanneroo new Bush Fire Brigade Local Law was gazetted on the 20th February 2001. After gazettal Council received correspondence from the Joint Standing Committee on Delegated Legislation requiring Council to prepare a reference document relating to the rules to be followed by Brigades (Attachment One).
Detail
Clause 2.5 of the Bush Fire Brigade Local Law states as follows:
1. The local government may vary the rules in their application to all bush fire brigades or in respect of a particular bush fire brigade.
2. The rules, as varied, have effect on and from the date of a decision under subclause (1).
3. The local government is to notify a bush fire brigade of any variation to the rules as soon as practicable after making a decision under subclause (1).
After discussions with the Joint Standing Committee, the Committee agreed in this instance to grant Council sufficient time to prepare a Constitution for the Brigades.
The new Constitution as detailed in the Officer’s Recommendation has been circulated to all Brigade Members and has been formally endorsed by all Brigades as well as Council’s Bush Fire Advisory Committee who are all supportive of the new constitution.
The Fire and Emergency Services Authority are also supportive of the new Constitution.
Consultation
All Brigade Members, Brigades and the Bush Fire Advisory Committee have been involved in the preparation of the Constitution and are supportive of its introduction.
Comment
The new Constitution provides the rules for governing the operations of the Bush Fire Brigades within the City of Wanneroo. The Bush Fire Brigade Local Law allows Council to amend the Constitution from time to time subject to notification of all Bush Fire Brigades of any changes.
This Constitution does not impact on the operational functions of the brigades but is designed to formalise various statutory and accountability requirements.
Statutory Compliance
Clause 2.5 of the Bush Fire Brigade Local Law states as follows:
1. The local government may vary the rules in their application to all bush fire brigades or in respect of a particular bush fire brigade.
2. The rules, as varied, have effect on and from the date of a decision under subclause (1).
3. The local government is to notify a bush fire brigade of any variation to the rules as soon as practicable after making a decision under subclause (1).
Strategic Implications
The services of Council’s Bush Fire Brigades support both the strategic Goals of Environmental Sustainability and Healthy Communities by fostering a culture of environmental awareness, ownership and action within the community and the organisation as well as supporting safe and secure communities.
The activities of the brigades also support the strategic action of developing and implementing a fire prevention community education program.
Policy Implications
Nil
Financial Implications
Nil
Voting Requirements
Simple Majority
EndStrip - This will not be printed so do not delete
Recommendation
That Council ADOPT the new City of Wanneroo Bush Fire Brigade Constitution in accordance with Schedule One of the City of Wanneroo Bush Fire Brigade Local Law 2001 as detailed below:
![]()
|
Bush Fire Brigades
RULES GOVERNING THE OPERATION OF BUSH FIRE BRIGADES
Part 1 PRELIMINARY
1.1 INTERPRETATION
Part 2 OBJECTIVES
2.1 OBJECTIVES
Part 3 FUNCTIONS OF BRIGADE OFFICERS
3.1 OFFICERS OF A VOLUNTEER BUSH FIRE BRIGADE
3.1.1 Secretary
3.1.2 Treasurer
3.1.3 Fire Control Officer
3.1.4 Captain
3.1.5 Brigade Lieutenants
3.1.6 Local Government Training Co Ordinator
3.1.7 Brigade Communications Officer 7
3.1.8 Brigade Equipment Officer
Part 4 MEMBERSHIP
4.1 MEMBERSHIP
4.1.1 Applications For Membership
4.1.2 Conditions Of Membership
4.1.3 Decision On Application For Membership
4.1.4 Local Government And FESA To Be Notified Of Registrations
4.1.5 Leave of Absence
4.1.6 Termination of membership
4.1.7 Suspension of membership
4.1.8 Member has a right of defence 12
4.1.9 Objection rights
4.1.10 Grievance Process
Part 5 MEETINGS OF THE BUSH FIRE BRIGADE
5.1 MEETINGS
5.1.1 Ordinary Meetings:
5.1.2 Annual General Meeting
5.1.3 Special Meeting
5.1.4 Notice of a Meeting
5.1.5 Quorum
5.1.6 Voting
5.2 TRAINING COMMITTEE MEETINGS
5.3 PROCEDURE AT MEETINGS
Part 6 MANAGEMENT COMMITTEE
6.1 MANAGEMENT COMMITTEE
Part 7 PART 7 - BRIGADE ELECTIONS
7.1 NOMINATION OF CANDIDATES FOR BRIGADE ELECTIONS
7.2 CONDUCT OF ELECTIONS
7.2.1 Voting will occur for positions in the following order:
7.2.2 Secret Ballot:
7.2.3 Absentee Votes:
7.3 SUPPLEMENTARY ELECTIONS
Part 8 GENERAL ADMINISTRATION MATTERS
8.1 ACCOUNTS AT FINANCIAL INSTITUTIONS
8.2 FINANCIAL REPORTS
8.3 RULES
8.4 AMENDMENT RULES

The Quinns Rocks Volunteer Bush Fire Brigade at a General meeting held at the Quinns Rocks Fire Shed on the 10th June 2002 adopted the City of Wanneroo Bush Fire Brigade Constitution.
The Wanneroo Volunteer Bush Fire Brigade at a General meeting held at building 1 on the 17th June 2002 adopted the City of Wanneroo Bush Fire Brigade Constitution.
The Wanneroo Bush Fire Advisory Committee at a meeting held at the New Civic Centre on the 26th June 2002 adopted the City of Wanneroo Bush Fire Brigade Constitution.
The City of Wanneroo Bush Fire Brigade Constitution was adopted by the Council of the City of Wanneroo at its Council Meeting held on ___________________________________________
NOTE: In this document, any words denoting gender shall be taken to include both male & female as appropriate.
RULES GOVERNING THE OPERATION OF BUSH FIRE BRIGADES
In these Rules, unless the context otherwise requires, where a term is used in these Rules and is defined in the local law, the Act or the Regulations, then the term is to be taken to have the meaning assigned to it in the local law, the Act or the Regulations, as the case may be.
In these Rules, unless the context otherwise requires –
“Absolute majority” means a majority of more than 50% of the number of:
Brigade members of the bush fire brigade, whether in attendance at the meeting or not, if the majority is required at a meeting of the bush fire brigade; or
Brigade officers of the bush fire brigade, whether in attendance at the meeting or not, if the majority is required at a meeting of the Committee;
“Committee” means the Management Committee of the bush fire brigade;
“Local law” means the City of Wanneroo Bush Fire Brigade’s Local Law;
“Normal brigade activities” is defined by section 35A of the Act;
“the ACT” means the Bush Fires Act, 1954:
“Council” means the City of Wanneroo:
“Financial year” means the period commencing on 1st April each year and ending on 31st March in the following year:
“Management Committee” means the elected officers of the brigade
“Ordinary meeting” means any meeting of the brigade other than an annual general meeting or a special meeting:
“the regulations” means the Council Local-Laws (Section 41 Bush Fires Act 1954).
Brigade Membership shall consist of the following:
“fire fighter” means active member available for combat with full voting rights.
“auxiliary” means non-combat member with full voting rights.
“cadet” between the ages of 11 and 16 years, non-combat and no voting rights.
Subject to these Rules, where a decision is to be made by the bush fire brigade, then the decision may be made by a resolution passed by an absolute majority of the brigade members who are present in person or by proxy at the meeting.
Subject to these Rules, where a decision is to be made by the Management Committee, then the decision may be made by a resolution passed by a simple majority of the brigade officers who are present in person or by proxy at the meeting.
The brigade has the following objectives:
to undertake Bush Fire Brigade operations –
to prevent, control and suppress fires in the local government area/region; and
to protect life and property in other emergencies occurring in the local government area/region; and
To provide a means by which persons may participate in the activities of the Bush Fire Brigade at a local level;
To ensure that brigade members are properly trained for Bush Fire Brigade operations;
To report to the Council on matters referred to the brigade by the Council through the City of Wanneroo Bush Fire Advisory Committee and Chief Bush Fire Control Officer.
To perform any other function assigned to the brigade by the Chief Bush Fire Control Officer under the Act, the Regulations, or the Local Law
To assist and co-operate with ALL other Fire Brigades, including FESA, Fire & Rescue, other volunteer fire brigades outside the City of Wanneroo and CALM.
To encourage & foster public awareness of the dangers of bush fires, and actively promote bush fire prevention measures to the public and landowners of the district.
OFFICERS OF A VOLUNTEER BUSH FIRE BRIGADE
The Secretary has the following specific functions:
to organise any meeting of the brigade;
to give notice of meetings of the brigade in accordance with the guidelines of the brigade;
to prepare an agenda for any meeting of the brigade;
to keep brigade records and to send and receive brigade correspondence;
to disseminate information to brigade members;
To undertake any other functions assigned by the Brigade Captain/FCO, or determined by the Council.
to manage the financial affairs of the brigade;
to keep financial records;
to prepare required financial reports, and to report to the brigade the financial affairs including income and expenditure.
To undertake any other functions assigned by the Brigade Captain/FCO, brigade or determined by the Council.
A Fire Control Officer has the following specific functions:
To issue permits to burn as authorised under the Bush Fires Act 1954 within their area of the district.
Inspection of and reporting on fire hazards within the district of Wanneroo.
Represents an area of the district on the City of Wanneroo Bush Fire Advisory Committee and is entitled to one vote on that Committee.
Carry out any duties prescribed under the Bush Fires Act and so authorised by the Local Government body.
Takes overall charge of ALL Fire Suppression Activities, and / or ensures the principals of the Incident Management System are being adhered too.
A Captain has the following roles:
a) Presides over all Brigade Meetings and will: -
Ensure meeting procedures are followed at all times.
Promote the aims/objectives of the Brigade when, and wherever, the possibility occurs.
Act as spokesperson for the Brigade on Public Relation and other matters, in conjunction with Council’s marketing section.
Advise the Brigade on Administrative matters.
b) Directs the brigade activities during wildfire suppression or during hazard reduction burning programs.
c) In the absence of a Fire Control Officer takes overall charge of fire suppression activities, and / or ensures the principals of the Incident Management System are being adhered too.
d) Assists the Fire Control Officer to prepare reports.
e) Ensures brigade members are adequately trained to carry out their functions, in accordance with FESA’s Standard Operating Procedures.
f) Undertakes responsibility for the proper management and maintenance of brigade property and equipment.
g) The above roles may be combined should a brigade wish to have one person carry out the role of Fire Control Officer/Captain.
In the absence of the Brigade Captain/FCO the most Senior Lieutenant assumes all powers, responsibilities and duties of that officer.
Whilst the duties have been identified, the terminology in the "Meeting Procedure" provides for a team approach to be adopted. Each of the functions are essential activities of a brigade.
A Senior Officer must take ultimate responsibility for the successful performance of these tasks
The Brigade may increase or decrease the number of Lieutenants to meet their specific operational requirements. (up to 4 Lieutenants)
The Brigade must rank all Lieutenants in seniority. This will be determined by resolution at the first Brigade Officers meeting, following the Annual General Meeting. The CBFCO may exercise a casting vote, if required.
Local Government Training Co Ordinator
The Local Government Training Co Ordinator is responsible to the control and direction of the Brigade Captain and has the following specific functions:
To organise regular training sessions within the Brigades;
To encourage Brigade members to undertake training;
To ensure that members of the Brigades receive training that is consistent with the Act and the policies of the City of Wanneroo and the Bush Fire Service of WA; (FESA)
To keep proper records relating to training undertaken by members of the Brigades;
To encourage members of the Brigades to become volunteer instructors;
To represent the Brigades on any training committee requested;
To liaise with other training officers;
To undertake any other function assigned by the Brigade Captains or determined by the City of Wanneroo Chief Bush Fire Control Officer.
In the absence of the training Co-Ordinator a deputy member is to be elected to carry out these duties.
Brigade Communications Officer
A Communications Officer is responsible/subject to the control and direction of the Brigade Captain for the following specific functions:
To ensure that ALL brigade’s communications and call out system operates effectively and fits into the City of Wanneroo and FESA Fire Services Communications networks;
To control the use of communications equipment by members of the brigade.
To undertake responsibility for the maintenance of communications equipment and where necessary, for its repair or replacement in conjunction with the Chief Bush Fire Control Officer.
To test the brigade’s communications equipment on a regular basis;
To assist in training members of the brigade in the use of communications equipment;
To liaise with Communications Officers in other brigades;
To undertake any other function assigned by the Brigade Captain or determined by the Council or Chief Bush Fire Control Officer
An Equipment Officer is responsible to the control and direction of its Brigade Captain for the proper management and maintenance of all brigade property and equipment (other than communications equipment).
An Equipment Officer has the following specific functions:
Arrange and carry out monthly checks and maintenance on ALL Councils Fire Fighting Equipment.
Report any faults on any of Council’s equipment ASAP to the Chief Bush Fire Control Officer.
Maintain and keep the equipment storeroom neat & tidy.
Any request for replacement equipment is to be submitted to the Chief Bush Fire Control Officer.
To make sure that Council’s Vehicle plant & equipment maintenance sheets are filled out and handed to the Chief Bush Fire Control Officer.
A brigade Lieutenant, elected by the brigade officers will hold this position.
Where the brigade receives an application for membership, the Captain must refer the application to the next brigade officers meeting.
A person wanting to join the bush fire brigade must attend a minimum of 3 meetings with the brigade. After attending 3 meetings of the bush fire brigade the applicant must obtain a medical certificate from one of Council’s nominated doctors at Council’s cost.
The brigade Officers, at their meeting may vary this requirement at there discretion.
In relation to any type of membership, as described in Part 4 of the local law, the bush fire brigade may establish policies pertaining to: -
The qualifications required;
The requirement to serve a 12 month probationary period;
Additional procedures may be employed by the Brigade prior to approval of an application for membership,
And the Brigade is to act within the parameters of any such policy in determining applications for membership.
Decision On Application For Membership
The officers of the brigade may, at that meeting
accept the application;
defer consideration of the application;
Reject the application (having just cause).
When a decision is made on an application for membership, the Brigade Captain must forthwith inform the applicant of the outcome of the application. Where an application for membership has been rejected, reasons for the refusal must be provided in writing and advice be given to the applicant. The applicant has the right of appeal through the local government CBFCO.
Induction
The prospective members are to be given a tour of the brigade and its facilities and have the brigade’s duties, purpose and responsibilities explained to them. They are also to be introduced to ALL brigade Officer’s.
Basic Training
The member is required to undertake, and successfully complete the FESA Basic Bush Fire Fighters Course. Basic training encompasses those skills and competencies considered essential for the volunteer.
Local Government And FESA To Be Notified Of Registrations
A Registration Form must be completed for every change of member information, termination of member or new member, with the duplicate provided to FESA within 14 days of a decision.
A brigade member may apply in writing to the brigade Captain for a leave of absence for a maximum period of 12 months. The brigade officers will at there next meeting decide if they will approve the leave of absence or not. If leave of absence is not approved the member will have to resign from the brigade.
Membership of a Bush Fire Brigade terminates if the member: -
Dies;
Gives written notice of resignation to the Secretary;
Is, in the opinion of the Brigade, permanently incapacitated by mental or physical ill health;
Is dismissed by the Brigade;
Where a member has not taken part in any brigade activities or attended a general meeting of the brigade for 3 months, the brigade Captain is to make contact with the member to determine the commitment to the brigade.
ALL brigade property is to be returned to the brigade within 2 weeks of termination or an invoice will be sent to the terminated member to recover cost for all equipment issued.
Membership of the bush fire brigade may be suspended at any time if, in the opinion of the Brigade, circumstances warrant suspending the member.
The period of suspension shall be at the discretion of the brigade.
Upon expiry of the period of suspension the Brigade may:
Extend the period of suspension;
Terminate the membership; or
Reinstate the member.
A brigade member is not to be dismissed without being given the opportunity to meet with the Brigade and answer any charges, which might give grounds for dismissal.
A person whose application for membership is refused, membership is terminated or membership is suspended has the right of objection to the Council, which may dispose of the objection by: -
Dismissing the objection;
Varying the decision objected to; or
Revoking the decision objected to, with or without: -
Substituting for it another decision; or
Referring the matter, with or without directions, for another decision by the Brigade.
Brigades should refer to the Grievance Procedure Guidelines for Bush Fire Brigades to ensure fairness and equity in any grievance, dispute, or discrimination resolution process.
Meetings Of The Bush Fire Brigade
Subject to this clause, the brigade may hold meetings on such days, and at such times and places, as the brigade thinks fit.
The brigade should hold at least six meetings per year on a regular basis.
The brigade shall hold an annual general meeting during May of each year. Where brigade elections must be held in a particular year, the Annual General Meeting will, unless otherwise approved by the Council, be held in conjunction with those elections.
At the annual general meeting the bush fire brigade is to -
Elect the brigade officers from amongst the brigade members;
Consider the Captain's report on the year's activities;
Adopt the annual financial statements of the brigade;
Deal with any general business.
The Secretary or the Brigade Captain/FCO may convene a special meeting of the brigade.
The Secretary must convene a special meeting if requested to do so by at least seven active members of the brigade.
Notice of any special meeting of the brigade must be given to all members of the brigade (other than cadet fire fighters) at least 48 hours before the commencement of the meeting.
Notice of the Annual General Meeting and of any Ordinary Meeting of the brigade must be given to all members of the brigade (other than cadet fire fighters) at least 7 days before the commencement of the meeting
Notice of a meeting under sub-clause [A] and (B)
must be given by the Secretary;
may be given by written notice to each member;
Personally, by post or electronic email;
Or
By a notice published in a newspaper circulating in the area of the brigade;
must set out the date, time, and place of the meeting;
must be signed by the Secretary or, in the case of a special meeting, by the person convening the meeting; and
Must set out an agenda for the meeting.
The quorum for a meeting of the bush fire brigade is at least 30% of the number of brigade members.
No business is to be transacted at a meeting of the bush fire brigade unless a quorum of brigade members is present in person or by proxy.
Each brigade member is to have one vote; however in the event of an equality of votes, the Captain (or person presiding) may exercise a casting vote.
The brigade training committee shall meet as and when required by the Local Government Training Co-Ordinator or the brigade Captains. The Local Government Training Co-Ordinator is to chair the training committee. At these meetings, general discussion of training matters shall take place to reveal any training shortages or training requirements within the brigade, and to determine nominations for selected members to attend advanced training. These nominations are to be endorsed by the brigade officers meeting before being forwarded onto FESA.
The Brigade Captain will, if present at a meeting of the brigade, preside at that meeting. In his/her absence the most senior Lieutenant present at the meeting will preside and, in the absence of a Lieutenant, a member of the brigade chosen by the members present will preside.
The Secretary must cause an accurate record to be kept of the proceedings of a meeting of the brigade.
Subject to this clause, the Act and the Regulations, and any direction of the Council, a meeting of the brigade will be conducted in such manner as the brigade may determine. However, at all times the meeting must be conducted in an orderly manner with only one member speaking at any one time.
The brigades may have a management committee, which will meet one week after the Brigade meeting or as required.
Any of the functions of the Brigade may be delegated to the Management Committee provided a written motion authorising the delegation is carried at an ordinary or annual general meeting of the brigade.
The management committee will consist of the following officers from ALL brigades;
the Brigade Captains / FCO's
the Secretary
ALL Lieutenants from each brigade.
Chief Bush Fire Control Officer & Deputies
Or any other officer that the committee requests.
The management committee will be responsible for –
The general management and administrative affairs of the brigade.
The Chief Bush Fire Control Officer will preside at a meeting of the management committee, in the absence of the Chief Bush Fire Control Officer the DCBFCO or in the absence of the DCBFCO the Captain/FCO, or a member of the management committee chosen by the members present will preside.
Five members constitute a quorum of the management committee.
A decision carried by the votes of an absolute majority present at a meeting of the management committee is a decision of the management committee.
Each member present at a meeting of the management committee is entitled to one vote on a matter arising for decision by the management committee (and the person presiding at the meeting will have, in the event of an equality of votes a second or casting vote).
The management committee must keep minutes of its proceedings. These minutes are available for viewing by any member of the brigade. A request to the chief bush fire control officer is to be made for any copies of these minutes.
Unless a member of the management committee resigns from membership of the committee of the brigade, or ceases to hold a position that entitles him or her to membership of the committee, the member holds office for a period of 12 months.
The management committee can appoint a member of the brigade to the committee to fill a casual vacancy in the membership of the committee (and he or she holds office for the balance of his or her predecessor).
Subject to this clause, and any direction of the brigade or the Council, a meeting of the management committee will be conducted in such a manner as the committee may determine.
The management committee is a closed meeting to brigade members and the public. The reasons for this are to ensure that an effective and efficient meeting is conducted in regard to the management of the brigades.
NOMINATION OF CANDIDATES FOR BRIGADE ELECTIONS
The Secretary must, at the April general meeting of the brigade advise the Captain of the brigade that nominations must be called at this meeting for the election of Brigade Officers for the May AGM.
Two members of the brigade shall nominate a member of the brigade who is eligible to be nominated for election to a particular position in the brigade for that position. Each member is only entitled to nominate one person per position.
A nomination may be made –
by written nomination lodged with the Chief Bush Fire Control Officer before nomination day; or
By oral nomination made at the April meeting. If a withdrawal of nomination is received prior to the election, an oral nomination may be made immediately before the commencement of the relevant election.
Nominees must sign or indicate acceptance of nomination.
Nominees for the Brigade Officer positions must meet the minimum requirements for training as adopted by the brigades.
Voting will occur for positions in the following order:
Brigade Captain; Term 1 year
Lieutenants; Term 1 year (up to 4 Lieutenants)
Communications Officer; Term 1 year (optional)
Secretary; Term 1 year
Treasurer; Term 1 year
Any other positions that, according to a determination of the brigade or the Council should be filled by election. Term 1 year.
Equipment Officer; Term 1 Year
Elections will be conducted by secret ballot. The returning officer will be the Chief Bush Fire Control Officer or his proxy.
Must be sealed in an envelope, printed and signed by the member who is casting the vote.
Where a supplementary election must be held due to a vacancy in the position as a result of an early resignation or other reason–
the Secretary must appoint a meeting of the brigade at which the election will be held;
the Secretary must, at least 7 days before that meeting, give or post to each member of the brigade a written notice informing him or her of the election and inviting nominations of candidates for election;
A member of the brigade who is eligible to be nominated for election to the particular position may be nominated for that position by two or more members of the brigade and must notify that nomination; and
A nomination may be made
i. By written nomination lodged with the Chief Bush Fire Control Officer before Election Day; or
By oral nomination made immediately before the commencement of the relevant election.
General Administration Matters
ACCOUNTS AT FINANCIAL INSTITUTIONS
The brigade must, at each Annual General Meeting, determine where it will maintain its bank account(s) for the ensuing financial year.
The brigade must appoint at least four office holders, as signatories (management committee members) on its accounts and at least two signatories must sign any cheque or withdrawal form.
All accounts raised, works undertaken or goods purchased by the Brigade must be authorised in advance by the Captain or such actions need to be ratified by the brigade at the next general meeting. In the event that the Captain is not available then authorisation may be given from the Captain to the next senior officer.
The funds of the bush fire brigade are to be used solely for the purpose of promoting the objects of the bush fire brigade.
All cheques issued must be accompanied by appropriate source documents (invoice or monthly account).
All monies received must be recorded in a Brigade receipt book.
The brigade must, at each Annual General Meeting, present a financial report for the previous 12-month period or since the last AGM. This must include a Statement of Receipts & Payments, a Bank Reconciliation Statement and notes detailing any outstanding receipts or payments. This may include a Balance Sheet and List of Assets held by the Brigade.
The brigade may, at each Annual General Meeting, appoint an auditor or auditors for the ensuing financial year. The minimum qualification for an appointed auditor would be membership of a professional Accounting or auditing body.
If an auditor resigns during the financial year, the brigade must appoint a replacement at its next ordinary meeting.
The Treasurer must present the auditor’s report to the next ordinary meeting following receipt.
The financial year for the volunteer bush fire brigade will be 1st May to 30th April.
The brigade may make rules not inconsistent with –
the Act;
the regulations;
Councils Local-Laws and Policy;
Councils Fire Break Order; or
These Rules, to assist the brigade to manage its affairs effectively and efficiently.
Or any other Act or Regulation
Where the brigade wishes to make a rule under this clause (or vary or revoke such a rule), the Secretary must, within 14 days of acceptance by the Brigade at an Ordinary Meeting, or Special Meeting, send a copy of the rule to the City of Wanneroo Bush Fire Advisory Committee, who shall recommend adoption or rejection to Council.
The Council may, if it thinks fit, direct that a rule (or a variation or revocation of a rule) cannot have effect (and the brigade must comply with that direction).
The brigade may, by resolution, recommend to the City of Wanneroo Bush Fire Advisory Committee to amend these Rules if –
at least two months written notice, setting out the terms of the proposed resolution, is given to each member of the brigade personally or by post; and
The resolution is supported at a duly convened meeting of the brigade by at least two-thirds of the total number of members of the brigade present at that meeting.
Any proposed amendment to the Rules is subject to the approval of the City of Wanneroo Bush Fire Advisory Committee and Council in accordance with its Local-Laws.
The City of Wanneroo Bush Fire Advisory Committee or Council may, if it thinks fit, direct that a section of the Rules (or a variation or revocation to a section of the Rules) cannot have effect (and the brigade must comply with that direction).
GRIEVANCE PROCEDURE GUIDELINES FOR BUSH FIRE BRIGADES
A guide to the Process of Grievance Resolution
INTRODUCTION
These procedures have been prepared to provide advice and direction for bush fire brigades in dispute, discrimination and grievance resolution.
Like any group of people, bush fire brigades will from time to time become involved in conflicts of personality. The following set of procedures is designed to assist in resolving grievances with the least amount of conflict and within the earliest possible time frame.
Principles of Natural Justice
The principles, which apply to the disciplinary process, are set out in Sections 8 and 9 of the Public Sector Management Act.
In particular, the following principal applies:
“8(1)(c) all employees are to be treated fairly and consistently and are not to be subjected to arbitrary or capricious administrative acts”
Sound industrial relations practice requires parties to be honest, fair and reasonable in their dealings with each other. Management can meet this requirement by demonstrating that it has recognised and applied the requirements of natural justice throughout the disciplinary process. The process set out in Part 5 of the Public Sector Management Act incorporates these requirements, which are as follows:
An employee should be fully informed of the nature and particulars of any allegations made against him/her, where, as a result of those allegations being made, a decision may be reached which would be adverse to the rights and entitlement of that employee;
The employee must be provided with an opportunity to be heard and to put his/her own case, either at an oral hearing or otherwise;
All parties should be heard and all relevant submissions considered by the decision maker; and,
The decision-maker must act fairly and without bias, and should be seen to do so by all parties.
In practice, application of the requirements of natural justice sometimes known as principles of procedural fairness means that:
the procedure which applies to a disciplinary action should be known or be made available to both employer and employee;
When an employee’s conduct is considered unacceptable, that employee is entitled to have this brought to his/her attention, along with reasons for the behavior being considered unacceptable;
Where an employee is suspected of having committed a breach of discipline they must be given the chance to explain their actions, and that explanation must be taken into account by management before a decision is made to take disciplinary action;
Disciplinary processes should be concerned only with the specifics of a case(s). There must be no demonstration of bias on the part of the employer or consideration given to irrelevant concerns with the personalities and private lives of individuals unless related to the offence.
WHY HAVE A GRIEVANCE PROCESS?
The grievance procedure involves a series of informal and formal steps that attempt to deal with a range of problems or conflicts within the bush fire brigade organisation.
There are a number of reasons why grievance procedures will prove beneficial to the brigade membership.
They provide a way of dealing with conflict in the brigade organisation
Effective, previously adopted procedures enable brigade members and the brigade hierarchy to deal fairly and impartially and ensure a consistent decision making process.
The fact that a process is documented at brigade level will promote early identification of conflict and provide a process through which mediation and resolution can operate.
Grievance Procedures provide the ability for the brigade to meet any legal responsibility under anti discrimination laws
(i) Voluntary Bodies Membership and provision of benefits to members (not on the grounds of impairment when the voluntary body is an incorporated association).
(ii) Age Restrictions In certain areas.
These two points are general exemptions to the Equal Opportunities Act 1994 provisions.
The exemption for voluntary bodies may include conditions that set prerequisites for membership, such as requirements for physical capabilities that would be relevant to fire fighting operations, or a relevant medical examination. Should individual brigades consider these requirements necessary they should be clearly set out in the Brigade constitution?
In all other areas, brigade members must comply with provisions of the Equal Opportunities Act.
The establishment of grievance procedures, and use of them, will be very useful in case your brigade has to respond to allegations of discrimination and assist in protecting the organisation against liability claims.
Grievances that are not addressed or dealt with effectively can be damaging to membership.
Brigades are voluntary bodies, and as such, must be seen to be fair and have a good social environment to maintain membership numbers. Having documented informal and formal procedures will provide confidence for members to bring forward problems and concerns, rather than hold back and allow emotions and discord to build.
PERSON WITH GRIEVANCE OR COMPLAINT FLOWCHART
|
PERSON WITH GRIEVANCE |
|
CONTACT OFFICER (Provides Information about options) |
|
INFORMAL PROCEDURE (person involved handles it themselves) Go to the rank structure of Brigade for ruling |
![]()
![]()
|
INFORMAL RESOLUTION |
|
COMPLAINT WITHDRAWAL |
|
FORMAL COMPLAINT TO GRIEVANCE INVESTIGATOR |
|
INVESTIGATES |
![]()
![]()
|
CONCILIATION |
|
RESOLUTION |
|
COMPLAINT UNRESOLVED |
|
DECISION IS MADE BY GRIEVANCE OFFICER |
![]()
![]()
|
COMPLAINT SUBSTANTIATED |
|
COMPLAINT NOT SUBSTANTIATED |
DEFINITION OF ROLES AND PROCESS
Person with Grievance
This is any member of the brigade who feels they have been unfairly treated in any context.
Contact Officer
A person nominated by the brigade organisation who will understand the grievance procedure process, who has the communication skills to provide advice of the options available to the person with the grievance. The contact officer should become the mentor throughout the process for the person with the grievance.
Grievance Officer
A grievance officer should be appointed by the organisation at Local Government level. The person needs to have an understanding of Equal Opportunity Principles, with investigation and communication skills relevant to the role. The person may be within or outside the brigade organisation.
Fairness
Procedural fairness is a difficult issue to document and must be paramount in all actions and deliberations.
To assist in structuring fairness into the process, the following points should be considered:
Ensure everyone in the Brigade organisation knows about the existence of EEO rights and processes and understands them.
Ensure the adopted procedures are followed.
Ensure both parties have access to support representation during the course of the procedures. Remember that until a grievance has been investigated and a decision is reached, it is an “allegation”. People should be able to choose their representation from within the organisation or from the wider community or family.
Notify the person who has had an allegation made against them of the content and nature of it, ensure they are aware they are entitled to support prior to any investigating interview.
Ensure all parties, including the support people, are aware of the process and individual rights.
Spend an equal amount of time with both parties in trying to resolve the issue. Ensure both parties have adequate time to tell their stories.
Confidentiality
Confidentiality is a big issue when discussing grievance procedure. The most commonly asked questions include:
If someone tells you of a problem but asks you not to do anything about it, what do you do?
Generally respect their request subject to the exception being breaking the law of the land.
Organise training for all brigades on the particular issue.
Provide a print of published SOPs and policy on the particular subject for all brigade members.
Be aware of events to see if your actions improve matters.
Understand that you may have to break confidentiality if a person’s safety is at risk or if equipment is being sabotaged or arson is suspected.
Documentation
Ensure all documentation on the matter is restricted to the correct personnel.
Only maintain the minimum amount of documentation required. In your documented grievance procedure, provide for breaches of confidentiality and nominate penalties for the breach.
Time Frame
Include a time frame for resolution; the following guidelines may be useful:
The contact officer must speak to the person with a grievance on the day that they say they want to make a complaint.
A person who has an allegation made against them must be notified and interviewed within 48 hours of a complaint being made.
Initial investigation should occur within one week. Your aim is for the shortest possible time from notification and resolution – 4 weeks at the maximum.
What if no solution is found within the process?
The City of Wanneroo will take documented complaints and consider the issue.
Remember this is a last resort.
As a final measure the Equal Opportunities Commission will take complaints.
Education and Training
New members should be made aware at the time of joining of your EEO Policy.
Prominence should be given to copies of your policy at the brigade station.
Train contact officer, CBFCO, grievance investigator and other relevant lead personnel.
Train existing brigade personnel in the content of your policy and ensure all brigade members are aware of contact persons.
StartOfAttachment - Do not delete this line will not be printed


EndOfAttachment - Do not delete this line will not be printed