ORDINARY COUNCIL MEETING
7.00pm, 27 April, 2004
Civic Centre,
Dundebar Road, Wanneroo
Public Question & Statement Time
Council allows a minimum of 15 minutes for public questions and statements at each Council meeting. If there are not sufficient questions to fill the allocated time, the person presiding will move on to the next item. If there are more questions than can be dealt with in the 15 minutes allotted, the person presiding will determine whether to extend question time.
Protocols
During the meeting, no member of the public may interrupt the meeting’s proceedings or enter into conversation. Each person seeking to ask questions during public question time may address the council for a maximum of 3 minutes each.
Members of the public wishing to submit written questions are requested to lodge them with the Chief Executive Officer at least 30 hours prior to the start of the meeting.
The person presiding will control public question time and ensure that each person wishing to ask a question is given a fair and equal opportunity to do so. A person wishing to ask a question should state his or her name and address before asking the question. If the question relates to an item on the agenda, the item number should also be stated.
The following general rules apply to question and statement time:
· Questions should only relate to the business of the council and should not be a statement or personal opinion.
· Only questions relating to matters affecting Council will be considered at an ordinary meeting, and at a special meeting only questions that relate to the purpose of the meeting will be considered. Questions may be taken on notice and responded to after the meeting.
· Questions may not be directed at specific members of council or employees.
· Questions & statements are not to be framed in such a way as to reflect adversely on a particular Elected Member or Officer.
· The second priority will be given to public statements. Only statements regarding items on the agenda under consideration will be heard.
Deputations
The Mayor and Councillors will conduct an informal session on the same day as the meeting of the Council at the Civic Centre, Wanneroo, commencing at 6.15pm where members of the public may, by appointment, present deputations. If you wish to present a deputation please submit your request for a deputation in writing addressed to the Chief Executive Officer or fax through to Executive Services on 9405 5097.
· A time period of 15 minutes is set aside for each deputation.
· Deputations shall not exceed five (5) persons in number and only three (3) of those persons shall be at liberty to address the Council and to respond to questions the Mayor and Councillors may have.
Please ensure that mobile phones are switched off before entering the Council Chamber. Any queries on this agenda, please contact Executive Services on 9405 5027 or 9405 5018.
Recording of Council Meetings Policy
Objective
· To ensure that there is a process in place to outline access to the recorded proceedings of Council.
· To emphasise that the reason for tape recording of Council Meetings is to ensure the accuracy of Council Meetings.
Statement
Recording of Proceedings
(1) Proceedings for meetings of the Council, of electors and of the Audit Committee shall be recorded, by the City, on sound recording equipment except, in the case of meetings of the Council or the Audit Committee, where the Council or the Committee, as the case may be, closes the meeting to the public.
(2) Notwithstanding sub clause (1), proceedings of a meeting of the Council or of the Audit Committee which is closed to the public shall be recorded where the Council or the Audit Committee, as the case requires, resolves to do so.
(3) No member of the public is to use any electronic, visual or vocal recording device or instrument to record the proceedings of the Council or a committee without the written permission of the Council.
Access to Recorded Tapes
(4) Members of the public may purchase a copy of the taped proceedings or alternatively listen to recorded proceedings with the supervision of a City Officer.
(5) Elected Members may listen to a recording of the Council proceedings upon request, free of charge. However, no transcript will be produced without the approval of the Chief Executive Officer.
(6) Costs of providing taped proceedings to members of the public will be the cost of the tape plus staff time to make the copy of the proceedings. The cost of supervised listening to recordings will be the cost of the staff time. The cost of staff time will be set in the City’s schedule of fees and charges each year.
Retention of Tapes
(7) Recordings pertaining to the proceedings of Council Meetings shall be retained in accordance with the Library Board of Western Australia Act (1951-83), General Disposal Authority for Local Government Records. The current requirement for the retention of recorded proceedings is thirty (30) years.
Disclosure of Policy
(8) This policy shall be printed within the agenda of all Council, Special Council, Electors and Special Electors and the Audit Committee meetings to advise the public that the proceedings of the meeting are recorded.

Notice is given that the next Ordinary Council Meeting will be held at the Civic Centre,
Dundebar Road, Wanneroo on Tuesday 27 April, 2004 commencing at 7.00pm.
C JOHNSON
Chief Executive Officer
21 April 2004
CONTENTS
Item 2 Apologies and Leave of Absence
Item 4 Confirmation of Minutes
OC02-04/04 Minutes of Ordinary Council Meeting Held on 06 April 2004
Item 5 Announcements by the Mayor without Discussion
Item 6 Questions from Elected Members
PT1-04/04 Removal of Drainage Site, Savona Grove, Mindarie
PT2-04/04 Construction of a Screen Wall Barrier – Limetree Circuit & Marmion Avenue.
PT4-04/04 Fishing Platforms, Mindarie Harbour
PT5-04/04 Avila Park Improvement
Town Planning Schemes and Structure Plans
PD08-04/04 Development Applications Determined by Delegated Authority for March 2004
PD09-04/04 Subdivision Applications Determined by Delegated Authority during March 2004
TS12-04/04 PT05-02/04 Traffic Issues - Seagrove Boulevard, Merriwa
TS13-04/04 Bulk Refuse Collection And Equipment Review
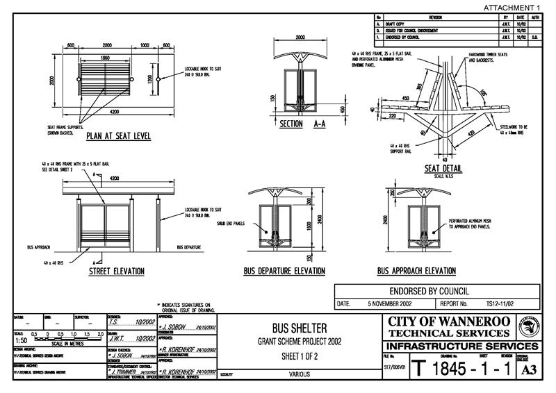
TS15-04/04 Bus Shelter Grant Scheme
TS16-04/04 Federal Government Roads to Recovery Program - Revised Works Schedule
TS17-04/04 Public Access Ways Upgrade Program
TS18-04/04 Review of Parks Operations Maintenance Requirements for 2004/2005
CS05-04/04 Warrant of Payments - For the Period to 31 March 2004
CD07-04/04 Petition for the Installation of an Ambulance Depot in Merriwa
CD08-04/04 City of Wanneroo Music Bowl/Amphitheatre Feasibility Study
Strategic & Executive Services
CE11-04/04 Requests for Donations, Sponsorships and Waivers of Fees and Charges April 2004
CE12-04/04 Strategic Plan: Quarterly Performance Report - March 2004 Quarter
MN01-04/04 Cr Blencowe - Fixing of Bushfire Ready Stickers to City of Wanneroo Rubbish Bins
AGENDA
Cr Stewart – Leave of Absence
That the minutes of the Ordinary Council Meeting held on 06 April 2004 be confirmed.
Cr Goodenough presented a petition signed by 39 signatories and 4 letters requesting that the drainage site in the middle of Savona Grove be filled in and closed over.
UPDATE
An investigation will be undertaken. It is anticipated that a report will be presented to the June meeting of Council.
Cr Roberts presented a petition signed by 64 signatories requesting that an allowance be made in the next fiscal budget for the construction of a screen wall barrier on the embankment running parallel with Limetree Circuit/Cristobal Crescent and Marmion Avenue.
UPDATE
An investigation will be undertaken. It is anticipated that a report will be presented to the June meeting of Council.
Cr Steffens presented a petition signed by 161 signatories requesting the City to persuade Mirvac Fini, the Mindarie Harbour Operator, to provide facilities for Senior and Disabled anglers to fish in the harbour.
UPDATE
It is anticipated that a report will be presented to the 08 June 2004 meeting of Council.
Cr Treby presented a petition signed by 103 signatories requesting that the City honour its commitment to improve Avila Park.
UPDATE
The design concept for the redevelopment of Avila Park has been listed for consideration in the 2004/2005 Draft Budget.
Cr Cvitan to declare a financial interest in Item PD04-04/04, Page 3 as he owns property within Cell 6.
Cr Newton to declare a proximity interest in Item TS17-04/04, Page 105, due to owning a property adjacent to a public access way in Huntsville Court.
Town Planning Schemes and Structure Plans
File Ref: SP/0002, SP/0007
File Name: BAReview of Cell cost Estimates for East Wanneroo Cells 1 Ashby Tapping 3 Wanneroo0 and 6 Madeley Darch
Level 4 Approval by shb Date 15 April 2004
Level 3 Approval by SHB Date 08 April 2004
Level 2 Approval by shb Date 07 April 2004
Responsible Officer: Director, Planning and Development
Disclosure of Interest: Nil
Author: T Neale
Meeting Date: 27 April 2004
Attachments: Nil
StartStrip This line will not be printed Please do NOT delete
Issue
To consider the objections lodged against the cell cost
estimates for East Wanneroo
Cells 1 and 6.
Background
At its meeting held on 16 December 2003, Council adopted revised net cell cost estimates applicable to East Wanneroo Cells 1 (Ashby-Tapping), 3 (Wanneroo), 4 (Hocking-Pearsall), 5 (Landsdale), 6 (Madeley-Darch), and 8 (Wangara East), and authorised public notification of the revised estimates for a period of 42 days in accordance with the requirements of Part 10 of District Planning Scheme No. 2 (DPS2) (PD04-12/03 and PD06-12/03).
Detail
Consultation
DPS2 requires the review of cell cost estimates to be publicly advertised, allowing a 42 day period for the lodging of objections. The 42 day advertising period has now been undertaken and four objections were received in respect to Cells 1 and 6. Copies of the submissions have been placed in the Elected Members’ Reading Room.
Cell 1
Three objections were lodged in respect to Cell 1. Two objections are identical and made on the grounds that there was an absence of supporting or explanatory material available that would enable the industry to understand, interpret and apply the estimates to subdivisions, and that there were anomalies in the calculations.
The claim that detailed supporting evidence was not made available is rejected. The public notice advised that details were available on request. One objector made a request for the information on 19 January 2004 and details were provided. The objector made further enquiries after receiving the material and was provided with a full explanation of the issues raised.
The anomalies in the calculation referred to by the objectors did have a basis in fact in respect to the areas of public open space (POS) to be acquired. The nature of the anomaly did not however affect the value assigned to the land. The appropriate correction has been made. The other anomalies referred to in the submission are based on a misunderstanding of the calculations by the objectors (due to not having viewed the supporting documentation) and do not require correction.
The remaining objection was in the form of a comment on the escalation of the cell cost estimates and the resulting increase to the infrastructure cost per lot (ICPL). It was in general terms only and did not query any specific cost element or provide any supporting data on which an assessment could be made.
Cell 6
One objection was received in respect to the Cell 6 cost estimates. The objection relates to changes in the land valuations used in the revised estimates and the increase in the ICPL that results. The objection claims that the valuations used appear to be based on new and unsubstantiated information, and the absence of detailed supporting material in relation to other cell costs does not allow the objector to fully interpret the calculations and apply them to the estimates.
The objection does not contain any supporting evidence that demonstrates that the valuations used are too high. In fact the objector had, prior to the cost estimates being published, submitted a claim for compensation for land ceded at a rate that is considerably higher than the rate used by the City in the estimates. The City’s valuation estimates were based on a sample taken from a number of compensation claim valuations it had received, and this sample demonstrates clearly that the valuation estimates are not excessive.
The claim that detailed supporting evidence was not made available is rejected. The public notice advised that details were available on request. The objector made a request for information on 29 January 2004, and this was provided. The objector did not make further enquiries after receiving the material.
The objection concludes with a statement that the City should not allow for higher acquisition costs, but rather not compensate owners at such costs, referring to proposals contained in Amendment 35 to DPS2. The basis of valuing land for public open space and road reserves is currently the subject of disagreement between the City and certain landowners.
Given that the valuation approach is still subject to dispute and may not be determined for several months, it was considered necessary to incorporate the values that reflect current claims by landowners, for the purpose of calculating the infrastructure costs. Should lower land values be determined, then it is intended that the necessary adjustments will be made in due course.
Comment
The submissions made in respect to the Cell 1 estimates did reveal a need to amend the land areas shown as being required for POS acquisition, but as there is to be no change to the aggregate value of the POS, modification of the cost estimates is not necessary.
The submissions made in respect to Cell 6 do not necessitate any further modification to the cost estimates.
Statutory Compliance
DPS2 requires Council to assess objections received. If Council does not agree with an objection then it shall refer the matter to arbitration. In respect to the two objections that relate to a specific cost estimate in Cell 1, that is, the area of POS to be acquired, it is recommended that the required area calculation adjustment be made.
All other submissions were general in nature and did not contain any supporting data or calculations. They are therefore not considered valid objections within the terms of DPS2. Council is therefore not required to refer these submissions to arbitration.
Strategic Implications
The consideration of submissions received and revision of the cell cost estimates where appropriate will ensure that sufficient funds are available to meet cell works in each cell. This is consistent with the Healthy Communities Goal of the City’s Strategic Plan, which seeks to provide and maintain infrastructure to meet the needs of our community.
Policy Implications
Nil
Financial Implications
The revision of the cell cost estimates will set the new infrastructure cost per lot that will be needed to fund the estimated cost of achieving the cell works. Funding for the East Wanneroo cell works does not impact on the City’s operational budget.
Voting Requirements
Simple Majority.
EndStrip This line will not be printed Please do NOT delete
Recommendation
That Council DETERMINES that the submissions made in respect to East Wanneroo Cells 1 and 6 do not require an adjustment to the Nett Cell Cost Estimates adopted on 16 December 2003.
EndOfRecommendation - This line will not be printed Please do NOT delete
File Ref: TPS/0026
File Name: BAClose of Advertising Amendment No 26 to District Planning Scheme No 2 Review of Structure Planning Provisions .doc
Level 4 Approval by shb Date 15 April 2004
Level 3 Approval by SHB Date 08 April 2004
Level 2 Approval by shb Date 07 April 2004
Level 1 Approval by shb Date 07 April 2004This line will not be printed Please do NOT delete
Responsible Officer: Director, Planning and Development
Disclosure of Interest: Nil
Author: Paul Sanders
Meeting Date: 27 April 2004
Attachments: 1
StartStrip This line will not be printed Please do NOT delete
Issue
To consider the public submissions and adoption of Amendment No.26 to District Planning Scheme No.2 (DPS2).
Council, at its meeting on 4 November 2003 (refer Item PD04-11/03), resolved to prepare Amendment No.26 to DPS2 and advertise the amendment for a period of 42 days.
The purpose of Amendment No.26 was to include various modifications to the Structure Planning provisions in Part 9 and Schedules 7 and 8 of the Scheme to address some procedural concerns and to improve the clarity of the provisions for Scheme users. The Amendment also proposed to modify Clauses 3.10.3(a), 3.13.3, 3.14.3, 3.15.3, 3.23.2, 6.1.3 and 9.11.1 to ensure that Council has the ability to consider development applications in certain circumstances in the development zones where no Agreed Structure Plan is in existence.
A copy of the Scheme Amendment Report is appended as Attachment 1. This provides detailed particulars of the specific proposals included in the amendment.
Detail
The Environmental Protection Authority advised the City on 24 November 2003 that the scheme amendment did not warrant an environmental assessment. The Western Australian Planning Commission (WAPC) advised on 9 January 2004 that its approval to grant consent for the amendment to be advertised is not required.
Consultation
A 42 day public advertising period was carried out between 27 January 2004 and 8 March 2004. This advertising was carried out by way of an advertisement in the local newspaper, the City’s website and letters to the various town planning consultants that have recently lodged or prepared structure plans within the City.
The Urban Development Institute of Australia (UDIA) was also invited to comment on the amendment during the advertising period. The UDIA represents various developers who subdivide or develop land within the City.
The submission period closed on 8 March 2004 and one submission was received. The submission, from a town planning consultant, provided comment on several of the proposals included in the amendment.
Comment
The issues raised by the submission and a comment on each issue is outlined below:
Clause 9.4.1 - Consultation Prior to Lodgement of a Structure Plan
The submittor has raised several concerns about the requirement to undertake advertising of a structure plan to the general community, prior to lodgement of a structure plan for Council’s consideration. The submittor's concerns include confusion over the area to be subject of the consultation, duplication of Council’s advertising of the structure plan, perceived bias in the reporting of the comments received and concern over additional time delays. The submittor has suggested that community consultation should not be a mandatory requirement for the proponent, prior to the submission of a structure plan to the Council.
Comment
The existing Clause 9.4.1 requires that a structure plan shall be prepared by the proponent and ‘to the extent that it is practicable, should prepare a structure plan after discussion and consultation with the Council, the Commission, other relevant government agencies and the community.’ As such, the Council already has the ability to require the proponent to undertake advertising of a structure plan to the general community prior to the lodgement of a structure plan, where it is practicable and considered necessary.
The amendment proposes to modify Clause 9.4.1 to ‘ensure that adequate consultation with the City, relevant Government agencies and where appropriate, the community, affected and adjoining landowners has occurred, prior to the lodgement of a Structure Plan for consideration by Council under Clause 9.4’. The amendment does not propose to require proponents to undertake consultation with the general community on a mandatory basis in the preparation of all structure plans. Rather the modified Clause 9.4.1 intends to encourage proponents to undertake consultation and provide a mechanism for Council to require this to occur where circumstances warrant. It is however envisaged that proponents will only be required to undertake consultation with the general community prior to lodgement, where the preparation of the structure plan would benefit from the early consultation. An example of such circumstances would be in relation to a structure plan for a shopping centre site located within an established residential community.
It should be noted that any pre-lodgement consultation pursuant to Clause 9.4, is in addition to the community consultation process undertaken by Council as part of the structure plan assessment process.
Recommendation
That the issue be dismissed.
Clauses 9.4 & 9.6 – Submission & Adoption of a Structure Plan
The amendment proposes to increase the time period for Council to consider whether to advertise a structure plan from 60 to 90 days. The submission does not object to this increased timeframe, however requests that any structure plan that exceeds this 90 day time period should be deemed approved and referred to the WAPC for its endorsement, rather than the proponent being provided with the right to deem that the Council has refused the structure plan, thereby allowing a right of appeal.
Comment
Clause 9.4.2 specifies that the Council should make a determination on whether a structure plan should be advertised within 60 days of lodgement, if no such decision has been made then the proponent may deem that the Council has determined that the structure plan should not be agreed to and can lodge an appeal. The 60 day time period is very limited and is not considered an adequate time period for the Council to consider complex structure plans. By comparison, the WAPC is provided with 90 days within which it should make a decision on subdivision applications. Structure plans are generally more complex and more time is required to assess structure plans than subdivision applications. As such, the amendment proposed to modify Clause 9.4.2 to increase the time period for Council to consider a structure plan from 60 days to 90 days.
A deemed approval after the 90 day period is not considered appropriate, as it provides no incentive for the proponent to comply with Council’s standards and policies or negotiate any issues with the City. Furthermore, the WAPC's Planning Bulletin No.37 : Draft Model Text Provisions for Structure Plans (February 2000) does not give the proponent a right for a deemed approval.
Recommendation
That the issue be dismissed.
Schedule 7 – Matters to be Included in a Structure Plan
Clause 9.3 requires that a structure plan shall have regard to or include those matters listed in Schedule 7 that are appropriate. The amendment proposes various modifications to Schedule 7 (Matters to be included in a Structure Plan) to improve the wording of provisions, reduce duplication, include matters that are normally required in structure plans and include some of the items included in the WAPC's Planning Bulletin No.37 : Draft Model Text Provisions for Structure Plans (February 2000).
The submission is concerned with the level of detail that may be required by revised Clause (f) in Schedule 7, as the submittor does not consider it necessary or appropriate that concept plans are prepared for proposed public open space (POS) areas at the structure planning stage. The submittor suggests that such detailed issues are best left to a later stage in the planning process where more certainty will exist.
The submittor further advises that in most cases it is not the applicant’s role to plan out and develop POS areas, but simply to provide 10% of the gross subdivisible area in a configuration that allows for Council to develop a suitable facility.
The submittor argues that the adequacy of a POS area to cater for such facilities can normally be established without the need for the preparation of concept plans.
Comment
The Amendment proposes to modify Clause (f) in Schedule 7 to require the proponent of a structure plan to submit to Council details including a description and concepts of the POS areas proposed in the structure plan. This requirement was included to ensure that adequate information is submitted to the Council to ensure that it can determine that the POS areas can be developed for the purpose proposed in the structure plan. There have been several instances recently, where POS areas proposed in a structure plan for a particular recreational use could not be built or used for that purpose at the subdivision stage, due to the impact of topography, drainage requirements, etc. Concept plans will not be required for all POS areas within a structure planning area, rather concept plans will only be required where the City is concerned that the POS area may not be able to be developed for the purpose it is proposed for or the POS area may be substantially impacted by drainage requirements.
Recommendation
That the issue be dismissed.
Additional Proposal
Given the time that has elapsed since Council initiated this Amendment, the Administration has identified an additional proposal that could possibly be added to Amendment No.26 at this time.
Under Clauses 9.4.1(b), 9.6.1(b) and 9.6.3(c) of DPS2, the proponent of a structure plan is required to undertake the modifications required by the Council and the WAPC as part of its adoption of a structure plan. Given that such modifications are often minor in nature, it is proposed to modify Clauses 9.4.1(b), 9.6.1(b) and 9.6.3(c) to enable the option of Council undertaking the modifications itself. This will assist in streamlining the administrative part of the structure planning process for the City, the proponent and the WAPC and reduce unnecessary delays, when modifications are required to structure plans by the Council and the WAPC.
The proposal is considered to be of a minor nature that should not attract any requirement by the WAPC to readvertise. It is recommended that Council agree to modify the Amendment to include the additional proposal, strictly on the basis that if the Commission and/or Minister for Planning and Infrastructure require readvertising in respect of the proposal, that it is be deleted from the amendment.
Statutory Compliance
The amendment process has complied with the requirements of the Town Planning Regulations.
Strategic Implications
Consideration of this scheme amendment is consistent with the goal of providing Healthy Communities under the City’s Strategic Plan and in particular, Strategy 2.2 of the Planning and Development Directorate Strategic Plan, which seeks to provide a cohesive system of integrated land use planning.
Policy Implications
Nil.
Financial Implications
Nil.
Voting Requirements
Simple Majority.
EndStrip This line will not be printed Please do NOT delete
Recommendation
That Council:-
1. MODIFIES Amendment No. 26 to District Planning Scheme No. 2 by:
a) replacing subclause 9.4.1(b) with the following: ‘determine that the Structure Plan is satisfactory and shall be advertised subject to specified modifications being made by the proponent or the Council and/or other specified matters being attended to by the proponent; or’;
b) modifying Clause 9.6.1(b) by inserting the words ‘make or’ between the words ‘may’ and ‘require’; and
c) modifying Clause 9.6.3(c) by inserting the words ‘or the Council may make the modifications required by the Commission’ between the words ‘the Council’ and ‘and resubmit’;
2. Pursuant to Town Planning Regulation 17(2) ADOPTS, the modified form of Amendment No. 26 to District Planning Scheme No. 2 to:
a) Insert a new Clause 9.1.3 as follows:
‘9.1.3 The Council may require a District Structure Plan and Local Structure Plans to be prepared in relation to the same area.’;
b) Modify Clause 9.4 as follows:
(i) replace the first sentence in Clause 9.4.1 with the following: ‘A Structure Plan shall be prepared by the proponent.
The proponent should ensure that adequate consultation with the City, relevant Government agencies and where appropriate, the community, affected and adjoining landowners has occurred, prior to the lodgement of a Structure Plan for consideration by Council under Clause 9.4. The proponent should submit evidence to the City to demonstrate that this consultation has occurred and how the issues have been incorporated and/or addressed in the Structure Plan;’;
(ii) replace the second sentence in subclause 9.4.1(a) with the following: ‘The Council may waive public notification of a Structure Plan under Clause 9.5, when it considers that adequate publicity of the proposal has already been undertaken. Pursuant to Clause 9.7, public notification of amendments to Structure Plans may be waived at the discretion of Council;’;
(iii) replace subclause 9.4.1(b) with the following: ‘determine that the Structure Plan is satisfactory and shall be advertised subject to specified modifications being made by the proponent or the Council and/or other specified matters being attended to by the proponent; or’; and
(iv) modify Clause 9.4.2 by replacing ‘sixty (60)’ with ‘ninety (90)’;
c) Modify Clause 9.6.1(b) as follows:
(i) modify Clause 9.6.1(b) by inserting the words ‘make or’ between the words ‘may’ and ‘require’; and
(ii) modify Clause 9.6.1(b)(i) by inserting the following ‘, as appropriate’ after the words ‘the submissions’;
d) Modify 9.6.3 as follows:
(i) Replace the last sentence in Clause 9.6.3(b) with the following sentence: ‘If the Council has not already certified the three copies, then the Council shall certify the three copies and return one copy to the Commission.’;
(ii) modify Clause 9.6.3(c) by inserting the words ‘or the Council may make the modifications required by the Commission’ between the words ‘the Council’ and ‘and resubmit the Structure Plan’;
e) Modify Clause 9.6.5 as follows:
(i) replace the word ‘shall’ with ‘should’;
(ii) after the words ‘in Schedule 8’ insert the following ‘and return one copy to the Commission. The Council at its discretion may adopt, sign and seal the Structure Plan in the form illustrated in Schedule 8, prior to forwarding the Structure Plan to the Commission for its consideration under subclause 9.6.3.’;
f) Insert a new Clause 9.6.8 as follows:
‘9.6.8 Where more than one Agreed Structure Plan relates to the same land, the Agreed Structure Plans shall be appropriately flagged, marked or annotated on the Council’s copy to draw attention to the existence of all of the Agreed Structure Plans that affect the land, where appropriate.’;
g) Modify Clause 9.7 as follows:
(i) include the first sentence of Clause 9.7 as a new subclause 9.7.1 and insert the following after the first sentence: ‘An amendment to a draft Structure Plan may be advertised by the Council at its discretion, however the Council should not sign and seal the amendment, prior to the substantive Structure Plan being signed, sealed and certified by the Council and the Commission under Clauses 9.6.3 and 9.6.5.’;
(ii) include the second sentence of Clause 9.7 as a new subclause 9.7.2;
(iii) include the third sentence of Clause 9.7 as a new subclause 9.7.3; and
(iv) insert a new subclause Clause 9.7.4 as follows:
‘9.7.4 When an Agreed Structure Plan is revoked, the flagging, marking or annotation of the Agreed Structure Plan on the Council’s copy of the Scheme Map under Clause 9.6.7 and an Agreed Structure Plan under Clause 9.6.8 shall be deleted.’;
h) Modify Clause 9.8.1 as follows:
(i) before the word ‘date’ insert the word ‘later’;
(ii) after the word ‘date’ insert the word ‘when’;
(iii) replace the word ‘adopted’ with the words ‘either certified’; and
(iv) after the words ‘subclause 9.6.3’ insert ‘or adopted, signed and sealed by the Council under subclause 9.6.5.’;
i) Modify 9.8.3(b) as follows:
(i) after the word ‘however’ insert ‘notwithstanding the provisions of paragraph (f),’; and
(ii) after the word ‘may’ insert ‘by a clear statement of intent to do so,’;
j) Modify Clause 9.8.3(f) by replacing the following: ‘in the event of there being any inconsistency or conflict between any provision, requirement or standard of the Scheme and any provision requirement or standard of an’ with ‘subject to the provision of subclause 9.8.3(b) allowing for a specific variation to a Scheme standard or requirement by a Structure Plan, if there is any other inconsistency or conflict not addressed as an intended variation by the’;
k) Modify Clause 9.11.1 as follows:
(i) replace ‘and 3.15.3’ with ‘, 3.15.3 and 3.23.2’;
(ii) delete the word ‘should’;
(iii) replace the word ‘shall’ with the word ‘should’;
(iv) insert the words ‘Rural Community,’ after ‘Marina,’; and
(v) replace the word ‘this’ with the word ‘that’;
l) Modify Clause 9.12.3 by deleting the words ‘the Minister or’;
m) Modify Schedule 7 (Structure Plans : Matters to be Considered) as follows:
(i) insert after the first sentence the following: ‘The proponent should submit a schedule to the City including a summary detailing how the following matters in Parts A and B below have been addressed.’;
(ii) replace (b) in Part A with the following: ‘a site analysis assessment and key opportunities and constraints of the structure planning area including landform, topography, hydrology, landscape, vegetation, soils, conservation and heritage values, main physical/natural features, ownership, land use, roads and public transport, and services;’;
(iii) modify (c) in Part A by deleting the words ‘land reserved by’, inserting the words ‘consistency with’ before the words ‘the Metropolitan’, and insert the words ‘ and the City’s Scheme’ after the words ‘Region Scheme’;
(iv) replace (e) in Part A with the following: ‘the planning context for the structure plan area including regional and neighbourhood structure, relevant strategies, Scheme provisions and policies and how the proposed Structure Plan is to be integrated into the surrounding area;’
(v) modify (f) in Part A by inserting ‘(including description & concepts)’ after the words ‘public open space’, insert ‘, mixed use, business, industrial’ before the words ‘and commercial’ and delete ‘(including the location and hierarchy of centres and the net lettable area of shops)’;
(vi) insert the words ‘likely employment requirements of the population residing within the structure plan area, measures proposed to establish a framework to encourage and retain local employment,’ at the start of (h) in Part A;
(vii) modify (i) in Part A by inserting ‘locations,’ after the words ‘together with’, and after the words ‘retail floor space’ insert ‘and the maximum retail net lettable area to be developed’;
(viii) insert ‘(preparation of a drainage strategy)’ after the words ‘main drainage’ in (j) in Part A;
(ix) insert the words ‘the proposed’ at the start of (k) in Part A;
(x) modify (m) in Part A by inserting the words ‘the proposed’ at the start, replace the words ‘down to the level of local distributor roads’ with the words ‘and hierarchy,’, and replace the words ‘and proposed bus routes’ with ‘, traffic modelling/strategies’;
(xi) replace (n) in Part A with the following: ‘existing and proposed public transport routes, stops, corridors and transit stations;’;
(xii) replace (p) in Part A with the following: ‘strategies, structure plans and policies of the Council;’;
(xiii) insert the word ‘strategies,’ before the words ‘structure plans’ in (q) in Part A;
(xiv) insert the word ‘structure’ between the words ‘by the’ and ‘plan’ in (r) in Part A;
(xv) insert the words ‘estimates for the staging of subdivision and development including’ before the words ‘the timeframe’ in (v) in Part A;
(xvi) insert the words ‘and detailed area plans’ after the word ‘provisions’ in (w) in Part A;
(xvii) replace (x) in Part A with the following: ‘advice as to the appropriate Scheme zoning and provisions that should be contemplated for the land, when the Agreed Structure Plan is revoked by the Council under Clause 9.7 of the Scheme and upon the replacement of the Agreed Structure Plan by an amendment to the Scheme;’;
(xviii)insert the words ‘and other Government agencies’ after the word ‘authorities’ in (a) in Part B; and
(xix) insert ‘and/or details and results of any other public consultation process’ after the word ‘submissions’ in (c) in Part B;
n) Modify Schedule 8 as follows:
(i) delete the following:
‘………………………………………..
Chairperson, Western Australian Planning Commission’;
(ii) insert the following under ‘Commission on ……………..’:
‘Signed for and on behalf of the Western Australian Planning Commission
……………………………………………..
an officer of the Commission duly authorised by the Commission pursuant to section 57 of the Western Australian Planning Commission Act 1985 for that purpose, in the presence of :
…………………………………………… Witness
………………………. Date’; and
(iii) insert ‘………………. Date’ under ‘Chief Executive Officer, City of Wanneroo’;
o) Modify Clauses 3.10.3(a), 3.13.3, 3.14.3, 3.15.3 and 3.23.2 as follows:
(i) deleting the words ‘should be’ in the first sentence in Clauses 3.10.3(a), 3.13.3, 3.14.3, 3.15.3 and 3.23.2;
(ii) replace the word ‘shall’ with ‘should’ in the first sentence in Clauses 3.10.3(a), 3.13.3, 3.14.3, 3.15.3 and 3.23.2;
(iii) insert the following at the end of the last sentence in Clauses 3.10.3(a), 3.13.3, 3.14.3 and 3.15.3: ‘which is in existence at the time the application for approval of the subdivision or other development is received by the responsible authority.’; and
(iv) modify the last sentence of Clause 3.23.2 after the words ‘conformity with’ to read as follows: ‘the Special Provisions contained in Schedule 15 of the Scheme and an Agreed Structure Plan, which is in existence at the time the application for approval of the subdivision or other development is received by the responsible authority.’;
p) Delete the word ‘The’ at the start of Clause 6.1.3 and insert ‘Except in the case of the Marina Zone, the Centre Zone, the Urban Development Zone, the Industrial Development Zone and the Rural Community Zone in respect of land for which no Agreed Structure Plan is in place, the’.
3. Pursuant to Town Planning Regulations 22 and 25 (a) (g) AUTHORISES the affixing of the common seal to, and endorses the signing of, the amendment documentation.
4. FORWARDS the amendment documentation to the Western Australian Planning Commission for its consideration REQUESTING the Hon Minister for Planning and Infrastructure grant final approval to the amendment. Council further advises that in respect of the additional proposals outlined in point 1(a), (b) & (c), these have been incorporated strictly on the basis that if the Commission and/or Minister for Planning and Infrastructure require readvertising in respect of any or all of those that they are to be deleted.
5. ENDORSES the comments made in this report regarding the submission received on this scheme amendment for inclusion in the schedule of submissions to be forwarded to the Western Australian Planning Commission and ADVISES the submittor of its decision.
EndOfRecommendation - This line will not be printed Please do NOT delete
StartOfAttachment - Do not delete this line will not be printed
|
TOWN PLANNING AND DEVELOPMENT ACT, 1928 (AS AMENDED)
CITY OF WANNEROO
DISTRICT PLANNING SCHEME NO. 2 - AMENDMENT NO. 26
SCHEME AMENDMENT REPORT
Background
The various development zones (meaning the Urban Development, Centre, Industrial Development, Marina and Rural Community zones) require the preparation and adoption of Structure Plans as a pre-requisite for development and subdivision of land within these zones.
The development zones and structure planning provisions were initially introduced into former Town Planning Scheme No.1 (TPS1) through Amendment No.731 (gazetted in April 1997). With minor modifications, the relevant provisions were carried over into the City’s new DPS2, gazetted in July 2001.
The City has undertaken a review of the Scheme provisions relevant to Structure Plans as a result of some procedural concerns and with a view to improving the clarity of the provisions for Scheme users.
Summary
The review of the Structure Planning Provisions has identified that the following matters should be addressed and included in an amendment:
i) inserting a new Clause 9.1.3 to clarify the ability of Council to require a District Structure Plan and Local Structure Plans to be prepared in relation to the same area;
ii) modify Clause 9.4.1 by clarifying the requirement for proponents to undertake adequate consultation with the City, relevant Government agencies and where appropriate, the community, affected and adjoining landowners, prior to lodging a Structure Plan for the Council’s consideration;
iii) modify Clause 9.4.1 to clarify the process for Council’s consideration of a Structure Plan;
iv) modify Clause 9.4.2 to increase the time period for Council to consider a Structure Plan from 60 days to 90 days;
v) modify Clauses 9.6.3(b) and 9.6.5, as requested by the Western Australian Planning Commission (WAPC), to include the ability for the City to sign and seal a Structure Plan, prior to the submission of the Structure Plan to the WAPC for its consideration;
ATTACHMENT 1 Page 2 of 7
vi) insert a new Clause 9.6.8 to provide that Agreed Structure Plans for the same land can be automatically flagged, marked or annotated to ensure that they are cross-referenced;
vii) modify Clause 9.7 to clarify the Amendment process for Agreed Structure Plans and to provide for the deletion of the flagging, marking or annotation on Agreed Structure Plans and the Scheme Map, when the Council revokes an Agreed Structure Plan;
viii) modify Clause 9.8.1 to clarify the date an Agreed Structure Plan comes into operation;
ix) modify 9.8.3(b) & (f) to clarify the circumstances whereby provisions contained in an Agreed Structure Plan may vary or over-ride equivalent provisions in the Scheme;
x) modify Clauses 3.10.3(a), 3.13.3, 3.14.3, 3.15.3, 3.23.2, 6.1.3 and 9.11.1 to ensure that Council has the ability to consider development applications in certain circumstances in the development zones where no Agreed Structure Plan is in existence;
xi) delete reference to the Minister in Clause 9.12.3, as requested by the WAPC, as no appeal right now exists to the Minister for Planning and Infrastructure, only the Town Planning Appeal Tribunal;
xii) various modifications to Schedule 7 (Matters to be included in a Structure Plan) to improve the wording of provisions, reduce duplication, include matters that are normally required in Structure Plans and include some of the items included in the WAPC's Planning Bulletin No.37 : Draft Model Text Provisions for Structure Plans (February 2000);
xiii) modify the WAPC title and signature block in Schedule 8 (Certification of Agreed Structure Plans), as requested by the WAPC; and
xiv) several other minor modifications to Part 9 and Schedules 7 and 8 of DPS No.2 to correct typographical errors and to improve the clarity of provisions.
Detail
The proposed Amendment will address a number of procedural concerns and issues and provide greater clarity for Scheme users in relation to the Structure Planning requirements of DPS No.2.
New Clause 9.1.3 – Multiple Structure Plans for the Same Area
A new Clause 9.1.3 is proposed to be inserted to clarify the ability of Council to require a District Structure Plan and Local Structure Plans in relation to the same area and to ensure that there is no confusion that several Agreed Structure Plans can be operative on the same land.
Clause 9.4.1 – Consultation Prior to the Lodgement of a Structure Plan
Clause 9.4.1 requires that a Structure Plan shall be prepared by the proponent and to the extent that it is practicable, should be prepared after discussion and consultation with the Council, the Commission, other relevant government agencies and the community. Clause 9.4.1 should be modified to clarify the consultation required and ensure that adequate consultation with the City, relevant Government agencies and where appropriate, the community, affected and adjoining
ATTACHMENT 1 Page 3 of 7
landowners has occurred, prior to the lodgement of a Structure Plan for consideration by Council under Clause 9.4. The proponent should be required to submit evidence to the City to demonstrate that this consultation has occurred and how the issues have been incorporated and/or addressed in the Structure Plan. This will ensure that all of the matters that the Council usually requires in Structure Planning areas are addressed, that the City and relevant Government agencies are consulted during the proponent’s process of preparing the Structure Plan and to assist with the streamlining of the processing and consideration of structure plans.
Clause 9.4 – Submission of a Structure Plan to Council
Clause 9.4 sets out the process for the submission of a Structure Plan and the Council’s consideration of the Structure Plan. Clauses 9.4.1(a) & (b) are proposed to be modified to clarify the decisions the Council can make on its consent for advertising of a Structure Plan and amendments to an Agreed Structure Plan. Clause 9.4.1(a) should also be modified to formalise the Council’s ability to waive public notification for a Structure Plan under Clause 9.5, when the Council considers that publicity of the proposal has already been undertaken.
Clause 9.4.2 specifies that the Council should make a determination on its consent for a Structure Plan to be advertised within 60 days of lodgement, if no such decision has been made then the proponent may deem that the Council has determined that the Structure Plan should not be agreed to and can lodge an appeal. The 60 day time period is very limited and is not considered an adequate time period for which the Council to consider complex Structure Plans, particularly District Structure Plans. The Western Australian Planning Commission is provided with 90 days within which it should make a decision on subdivision applications. Structure Plans are generally more complex and more time is required to assess structure plans than subdivision applications. As such, it is considered reasonable for Clause 9.4.2 to be modified to provide Council with a 90 day period to consider Structure Plans.
New Clause 9.6.8 – Notation of Agreed Structure Plans
Clause 9.6.7 specifies that the Scheme Map shall be appropriately flagged, marked or annotated on the Council’s copy to draw attention to the existence of Agreed Structure Plans. There are several instances within the City, where there is more than one Agreed Structure Plan on the same land. The Agreed Structure Plans are cross-referenced, however this is usually undertaken through an amendment to the Agreed Structure Plan.
A new Clause 9.6.8 is proposed to allow for Agreed Structure Plans for the same land to be automatically flagged, marked or annotated to ensure that they are cross-referenced and that the City does not have to undertake an Amendment to an existing Agreed Structure Plan to make such a change. The new proposed Clause 9.6.8 is proposed to read as follows:
ATTACHMENT 1 Page 4 of 7
‘9.6.8 Where more than one Agreed Structure Plan relates to the same land, the Agreed Structure Plans shall be appropriately flagged, marked or annotated on the Council’s copy to draw attention to the existence of all of the Agreed Structure Plans that affect the land, where appropriate.’
Clause 9.7 – Amendment or Revocation of Agreed Structure Plans
Clause 9.7 sets out the process for the amendment and revocation of Agreed Structure Plans. Several modifications are proposed to Clause 9.7 to clarify the Structure Plan amendment process and to make it clear that the Council has the ability to advertise an amendment to a draft Structure Plan, however the Council should not sign and seal the amendment, prior to the substantive Structure Plan being signed, sealed and certified by the Council and the Commission under Clauses 9.6.3 and 9.6.5.
Clause 9.7 is also proposed to be amended to include the ability for the flagging, marking or annotation of the Agreed Structure Plan on the Council’s copy of the Scheme Map under subclause 9.6.7 and an Agreed Structure Plan under subclause 9.6.8 to be removed automatically, when an Agreed Structure Plan is revoked. This will ensure that the Council and proponents do not have to undertake unnecessary scheme amendments and amendments to Agreed Structure Plans.
Clause 9.8.1- Operation Date of An Agreed Structure Plan
Clause 9.8.1 states that an Agreed Structure Plan shall come into operation on the date it is adopted by the Commission pursuant to subclause 9.6.3. Under Clause 9.6.3, the Commission may adopt the Structure Plan with or without any modifications or it may refuse to adopt the Structure Plan. There may be some confusion as to the operational date of an Agreed Structure Plan, if the Commission requires modifications to the Structure Plan as part of its adoption of the Structure Plan. A more appropriate date for a Structure Plan to become an Agreed Structure Plan is the latter date when it is certified by the Commission pursuant to Clause 9.6.3 or adopted, signed and sealed by the Council under Clause 9.6.5. This provides a more appropriate operational date for an Agreed Structure Plan and will assist the Council and the Commission in ensuring that all of the steps in the Structure Planning process under Part 9 are completed, prior to the Structure Plan becoming operational.
Clauses 9.8.3(b) & (f) - The circumstances whereby provisions contained in an Agreed Structure Plan may vary or over-ride equivalent provisions in the Scheme.
Various clauses in the Scheme provide for a provision of an Agreed Structure Plan to vary or over-ride an equivalent provision of the Scheme. The City’s review of these Scheme provisions has identified that some ambiguity exists as to when the Scheme takes precedence over the Structure Plan and vice versa. This ambiguity mainly has its source in Clause 9.8.3(b) & (f), in
ATTACHMENT 1 Page 5 of 7
which subclause (b) appears to enable a standard or requirement in an Agreed Structure Plan to prevail over a different standard or requirement in the Scheme, while subclause (f) appears to require that in the event of such differences, the Scheme is to prevail.
Clauses 9.8.3(b) and (f) are proposed to be modified to resolve this concern. The proposed changes to Clause 9.8.3(b) will, once gazetted, require that in all cases where an Agreed Structure Plan varies a standard or requirement of the Scheme, a specific statement of intent to do so will be required in the Structure Plan.
Clause 9.11.1 – Development Prior to Adoption of Structure Plan.
The Council is often requested to consider development applications prior to the adoption of a Structure Plan within the Urban Development, Industrial Development, Centre and Marina Zones. Under the City’s former TPS1, it was clear that it was possible for development to commence prior to an Agreed Structure Plan being in place. Clause 10.12 of TPS1 provided the Council with some guidance regarding considerations to have regard to in considering such an application for development approval. The relevant clauses of TPS1 were worded: ‘No subdivision or other development should be commenced or carried out in [the relevant zone] until a Structure Plan has been prepared and adopted under the provisions of part 10 of the Scheme. …’
However, due to a minor change of wording from the City’s former TPS1 to corresponding Clauses 3.10.3(a), 3.13.3, 3.14.3, 3.15.3 and 3.23.2 of DPS2, some uncertainty exists whether there is still such an ability to commence development, prior to the adoption of a Structure Plan within the Urban Development, Industrial Development, Centre, Rural Community and Marina Zones. In DPS2, the above Clauses are worded: ‘Subject to Clause 9.11, no subdivision (including strata or survey strata subdivision) should be or other development shall be commenced or carried out in [the relevant zone] until an Agreed Structure Plan has been prepared and adopted under the provisions of Part 9 of the Scheme. …’
Whilst a general presumption against development without an Agreed Structure Plan should be retained, it is considered appropriate that the ability exists for development to commence in certain circumstances in the development zones where no Agreed Structure Plan is in existence. An example would be a significant development that would be beneficial to proceed and which is consistent with a Structure Plan being processed and nearing finalisation. This amendment proposes to modify Clauses 3.10.3(a), 3.13.3, 3.14.3, 3.15.3, 3.23.2, 6.1.3 and 9.11.1 to address this issue.
Schedule 7 – Matters to be Included in a Structure Plan
Clause 9.3 requires that a Structure Plan shall have regard to or include those matters listed in Schedule 7 that are appropriate. Schedule 7 includes over 30 items that need to be considered by
ATTACHMENT 1 Page 6 of 7
proponents when preparing Structure Plans for submission to the Council for its consideration for consent to advertise. More than 40 Structure Plans have been prepared and considered by the Council since April 1997, when the Structure Plan provisions were introduced into the City’s Scheme.
The City has undertaken a review of Schedule 7 and identified various changes required to improve the wording of provisions, reduce duplication of requirements and several additional matters that would normally be required by Council in the preparation of Structure Plans. The proposed modifications to Schedule 7 include some of the items included in the WAPC’s Planning Bulletin No.37 : Draft Model Text Provisions for Structure Plans (February 2000). The more significant proposed modifications are as follows:
i) insert a requirement that the proponent of a Structure Plan submit a schedule to the City including a summary detailing how the matters in Schedule 7 have been addressed;
ii) replace (b) in Part A with a new clause worded similar to the draft Model Scheme Text Provisions for Structure Plans to ensure a site analysis and that the key opportunities and constraints for the land are properly identified;
iii) modify (c) in Part A to include reference to the City’s Scheme and a requirement for consistency with the Metropolitan Region Scheme and City’s Scheme;
iv) delete (e) as it is now replaced by a more appropriately worded (b) and insert a new clause worded similar to the draft Model Scheme Text Provisions for Structure Plans to require a planning context and an explanation of how the proposal is to be integrated with adjoining land;
v) modify (f) to include more land uses that are usually proposed in Structure Plans and descriptions and concepts for POS areas;
vi) consolidate the retail items currently included in (f) and (x) into a revised (i) that deals with retail matters;
vii) modify (h) to emphasis the need to consider employment related matters in the preparation of Structure Plans. This is consistent with City’s Employment Policy;
viii) move (p) ‘staging of development’ to (v), which deals with the timeframe of development and staging, and insert a new (p) to require proponents to have regard to strategies, structure plans and policies of the Council when preparing Structure Plans;
ix) modify (q) to also include reference to strategies of the WAPC;
x) include a new (x) to require the proponent to provide advice as to the appropriate Scheme zoning and provisions that should be contemplated for the land, when the Agreed Structure Plan is revoked by the Council under Clause 9.7 of the Scheme and upon the replacement of the Agreed Structure Plan by an amendment to the Scheme;
xi) modify Part B (a) and (c) to require the proponent to submit any letters received from Government agencies and information relating to any other public consultation process, when submitting a Structure Plan; and
ATTACHMENT 1 Page 7 of 7
xii) several other minor modifications to Schedule 7 to improve the wording of the provisions, place in a logical order, reduce duplication and to include matters that are normally required in Structure Plans.
Modifications Requested By The WAPC
In September 2002, the Council sought the Western Australian Planning Commission’s (WAPC) consent to advertise Amendment No.17. Amendment No.17 is an Omnibus Amendment initiated by the City including over 40 minor proposals to the Scheme Text and minor rezoning proposals. The WAPC granted Amendment No.17 consent to advertise in April 2003, subject to various modifications being undertaken. The City has included the majority of the modifications in Amendment No.17. The WAPC agreed to the inclusion of four of its modifications related to the Structure Planning provisions to be included the new Amendment No.26. These modifications include:
i) modifying Clauses 9.6.3(b) and 9.6.5 to include the ability for the City to sign and seal a Structure Plan or an Amendment to an Agreed Structure Plan, prior to the submission of the Structure Plan to the WAPC for its consideration;
ii) deleting reference to the Minister in Clause 9.12.3, as there is no longer any appeal right to the Minister for Planning and Infrastructure. All appeals under the Town Planning and Development Act are now lodged with the Town Planning Appeal Tribunal;
iii) modifying Schedule 8 (Certification of Agreed Structure Plans) to include a new signature block for the Western Australian Planning Commission; and
iv) modifying Clause 9.7 to provide for the deletion of the flagging, marking or annotation on Agreed Structure Plans and the Scheme Map, when the Council revokes an Agreed Structure Plan.
The abovementioned proposals requested by the Commission are supported, as the modifications will assist in streamlining the administrative part of the Structure Planning process for the City and the Commission, reduce unnecessary delays and reduce the need for the City and proponents to undertake Amendments to its Scheme, when Structure Plans are revoked by the Council.
Other Minor Modifications
Several other minor modifications are proposed to various clauses within Part 9 to correct typographical errors and to improve the clarity of clauses associated with the procedures for preparing and adopting Structure Plans.
EndOfAttachment - Do not delete this line will not be printed
File Ref: TPS/0040V01
File Name: BAAmendment No 40 to Structure Plan No 2 Lot 9014 Marmion Avenue Quinns Rocks .doc This line will not be printed
Level 4 Approval by shb Date 15 April 2004
Level 3 Approval by SHB Date 08 April 2004
Level 2 Approval by terrig Date 05 April 2004
Level 1 Approval by terrig Date 05 April 2004Please do NOT delete
Responsible Officer: Director, Planning and Development
Disclosure of Interest: Nil
Author: Melanie Pool
Meeting Date: 27 April 2004
Attachments: 2
StartStrip This line will not be printed Please do NOT delete
Issue
To consider a request to amend District Planning Scheme No.2 (DPS2) by recoding Lot 941 (27) Belhaven Terrace, Quinns Rocks from R20 to R40.
|
Applicant |
Chappell & Lambert Planning Consultants |
|
Owner |
Department of Housing and Works |
|
Location |
Lot 941 (27) Belhaven Terrace Quinns Rocks |
|
Site Area |
2075m2 |
|
Existing DPS 2 Zoning |
Residential R20 |
|
Proposed DPS 2 Zoning |
Residential R40 |
Background
Lot 941 (27) Belhaven Terrace, Quinns Rocks, is bound by Belhaven Terrace to the south, Sirius Ramble to the west and Meringa Crescent to the north. It is located approximately 200 metres north of the Quinns Beach Primary School, diagonally opposite Belhaven Park and approximately 200 metres east of a proposed local shopping centre on Santa Barbara Parade (refer Attachment 1).
The Department of Housing and Works created Lot 941 in January 2004 for grouped housing purposes. The site is currently vacant and is approximately 2075m2 in area. Under the existing R20 density coding, up to 4 grouped dwellings can be built on the land.
The majority of the land surrounding the site is coded R20 and has been subdivided into single residential lots, except for two R40 sites north and east of the subject site (refer Attachment 2). The original structure planning for the locality included these two R40 grouped housing sites, however the land has now been subdivided into single residential lots and single dwellings have been constructed or approved on the majority of the lots. DPS2 has not been amended to reflect the current development and subdivision that has occurred on these sites.
Detail
The applicant’s proposal only relates to Lot 941 and proposes to recode this lot to R40. The applicant’s justification for the proposal can be summarized as follows:
· There is an increased demand for small unit sites in the estate area.
· The site is located adjacent to a large portion of public open space and community facilities, such as the Quinns Beach Primary School and is close to public transport services.
· The site is located directly south of a similar sized portion of land, which is currently coded R40.
· The recoding proposal would allow for a variety and mix of housing stock within the Quinns Rocks Estate.
The R40 density coding would allow for the development of a maximum of 9 grouped dwellings. A planning approval would be required prior to the commencement of development. Design and amenity considerations relating to matters such as setbacks, car parking, building height etc would be considered at that stage in accordance with the requirements of the Residential Design Codes.
Consultation
All scheme amendments require public consultation. The consultation period is normally 42 days and is undertaken by way of an on site advertising sign, advertisements in the local newspaper and on the City’s website, as well as letters to relevant service agencies, affected and adjacent landowners.
The Town Planning Regulations provide that where an amendment is consistent with the Metropolitan Region Scheme (MRS) and State Policies and strategies, then the consent of the Western Australian Planning Commission (WAPC) will not be required to advertise the amendment. The WAPC will however be required if an advertising period less than 42 days is sought. Given that the proposed amendment is consistent with the MRS zoning and associated State policies and the recommended advertising period is 42 days, the consent of the WAPC is not required in this instance.
Comment
The Quinns Rocks locality is predominately coded R20, with several R40 medium density grouped housing sites. Lot 941 is located in close proximity to public transport, the Quinns Beach Primary School, Belhaven Park and proposed local shops on Santa Barbara Parade.
The proposal to apply an R40 density code over Lot 941 is generally in keeping with the City’s practice of providing for a diversity of housing choice and medium density housing in the vicinity of activity centres, public open space and public transport routes.
The proposed R40 coding is also considered to be consistent with Western Australian Planning Commission’s (WAPC) policy. Part 2 of the residential section of its “Development Control Policy Manual” specifies the following as an objective “…to facilitate the supply of residential lots of a wide range of sizes and shapes…”.
Further to this, the WAPC’s “Guidelines for the Preparation of Local Structure Plans” manual (1992), Part 3.4.1 – “The Location and Density of Housing Areas” promotes a mix in housing densities and specifically suggests that structure plans should ‘…include medium and higher density housing sites, particularly near significant employment locations, public transport routes, commercial centres, educational facilities and recreation areas’.
More recently the WAPC has released the ‘Liveable Neighbourhoods’ document. This document reiterates the more traditional policy provisions and specifically states that “Smaller lots and lots capable of supporting higher density should be located close to town and neighbourhood centres, public transport and adjacent to high amenity areas such as parks”.
Although not forming part of the application, it is considered appropriate that the two adjacent R40 sites be rationalized during this amendment process. The eastern R40 site (including Lots 949 to 951 Meringa Crescent, Lots 954 & 955 Agnes Way and Lots 933 to 936 Belhaven Terrace) should be recoded to R20 to reflect the current single residential use on the land. The northern R40 site includes 4 lots fronting Sirius Ramble and a small portion of Lot 971 Hampshire Drive and Lot 965 Meringa Crescent. Three of the four lots fronting onto Sirius Ramble are undeveloped and could be developed at the R40 density, enabling a maximum of two dwellings on each lot. However, only a small portion of Lot 971 Hampshire Drive and Lot 965 Meringa Crescent are coded R40, with the balance of the lots coded R20. Accordingly, the portions of Lot 971 Hampshire Drive and Lot 965 Meringa Crescent coded R40 should be recoded to R20.
Statutory Compliance
The scheme amendment will follow the statutory process outlined in the Town Planning Regulations.
Strategic Implications
Consideration of this amendment is consistent with the goal of providing Healthy Communities under the City’s Strategic Plan, and in particular, Strategy 2.2 of the Planning and Development Directorate Plan, which seeks to provide a cohesive system of integrated land use planning.
Policy Implications
Nil
Financial Implications
Nil
Voting Requirements
Simple Majority.
EndStrip This line will not be printed Please do NOT delete
Recommendation
1. Pursuant to Section 7 of the Town Planning and Development Act 1928 (as amended) PREPARES Amendment No. 40 to District Planning Scheme No. 2 to:
a) Recode Lot 941 Belhaven Terrace, Quinns Rocks, from Residential R20 to Residential R40;
b) Recode Lots 933, 934, 935 & 936 Belhaven Terrace, Lots 954 & 955 Agnes Way, Lots 949, 950, 951 & 965 Meringa Crescent and Lot 971 Hampshire Drive, Quinns Rocks, from R20 and R40 to R20.
2. REFERS Amendment No. 40 to District Planning Scheme No 2 to the Environmental Protection Authority (EPA) pursuant to Section 7A1 of the Town Planning and Development Act. Should the EPA advise that the amendment does not require assessment, ADVERTISE the amendment for a period of 42 days.
3. FORWARDS a copy of the amendment to the Western Australian Planning Commission.
EndOfRecommendation - This line will not be printed Please do NOT delete
StartOfAttachment - Do not delete this line will not be printed

EndOfAttachment - Do not delete this line will not be printed
StartOfAttachment - Do not delete this line will not be printed

EndOfAttachment - Do not delete this line will not be printed
File Ref: TPS/0041
File Name: BAProposed Amendment No 41 to District Planning Scheme No 2 Various Rezonings Resuting from the Clarkson Butler
Level 4 Approval by shb Date 15 April 2004
Level 3 Approval by SHB Date 08 April 2004
Level 2 Approval by TERRIG Date 06 April 2004
Level 1 Approval by TERRIG Date 06 April 2004Metr.doc This line will not be printed Please do NOT delete
Responsible Officer: Director, Planning and Development
Disclosure of Interest: Nil
Author: Ian Bignell
Meeting Date: 27 April 2004
Attachments: 2
StartStrip This line will not be printed Please do NOT delete
Issue
To consider proposed Amendment No 41 to District Planning Scheme No 2 (DPS2) relating to the finalisation of the Clarkson-Butler Metropolitan Region Scheme (MRS) Amendment No 992/33.
Background
The Clarkson-Butler MRS Amendment No 992/33 was initiated by the Western Australian Planning Commission (WAPC) in 1997 to introduce a number of changes to the MRS for land in the Clarkson-Butler and surrounding districts to generally reflect and update proposals in the North West Corridor Structure Plan 1992. The Amendment affected land within the Cities of Wanneroo and Joondalup and comprised the following proposals:
· Rezoning and reserving portions of Pt Lot 2 Burns to Urban and Parks and Recreation. Pt Lot 2 Burns is located within the City of Joondalup district.
· Rezoning and reserving portions of Lot 118 Mindarie/Clarkson/Tamala Park and adjoining land to be excised from Neerabup National Park to Urban Deferred, Parks and Recreation and Public Purposes. Lot 118 is owned by the City of Wanneroo together with the Cities of Joondalup, Perth and Stirling and the Towns of Cambridge, Victoria Park and Vincent.
· Reservation of several parcels to Parks and Recreation. The largest such land parcel is Lot 14 Wanneroo Road, Neerabup which is currently owned in freehold by the City of Wanneroo. Council will recall that it agreed to sell this land to the WAPC on 16 March 2004 (CR02-03/04).
· Reservation of the proposed Mitchell Freeway, Neerabup Road and Hester Avenue alignments and the northern suburbs rail line facilities.
· Other minor reservation and zoning proposals, including those resulting from realignment/rationalisation of the Wanneroo Road and Freeway reserves.
A number of the Amendment proposals were subject of a formal environmental assessment requirement by the Environmental Protection Authority (EPA), and it is understood that the environmental assessment process (including determination of appeals and setting of environmental conditions) has been largely responsible for the delay in finalising the Amendment. The Lot 118 owner Councils were required to prepare one of the Environmental Review reports to the satisfaction of the WAPC and EPA in respect of the proposal for the Urban Deferred zoning of Lot 118 and adjoining land.
The Amendment was advertised for public comment for three months closing on 31 December 1999. Council considered the Amendment at its meeting of 7 December 1999 (W436-12/99) and provided a submission as both the responsible planning authority and an affected landowner.
The Amendment was promulgated by Parliament (and took effect) on 13 December 2003 and notice was published in the Government Gazette on 23 January 2004. A copy of the final Amendment Plan is included as Attachment 1. The Minister for the Environment Statement No 629 includes environmental conditions relating to the Urban Deferred zoning of Lot 118 and adjoining land which flows on to the DPS2 amendment (refer Details section).
Details
Section 35A (2) of the Metropolitan Region Town Planning Scheme Act (1959) provides that where the MRS is amended the relevant local government shall, within three months of the MRS Amendment taking effect, resolve to prepare an amendment to its town planning scheme, which is in accordance with and consistent with the amended MRS. The City is therefore required to initiate the necessary amendments to its DPS2 to reflect the amendments of the MRS.
Amendments to DPS2 to reflect new MRS regional reserves are not necessary as DPS2 was automatically amended to reflect the new reserves pursuant to Clause 35A (1) of the Act. This applies to the majority of the amendment proposals.
It should be noted that areas that were transferred/rezoned from MRS regional reserves to MRS zones in the MRS Amendment are currently designated on DPS2 maps as “unzoned” and will be required to be zoned under this proposed DPS2 Amendment.
The following proposals will require amendment to the DPS2 Maps:
Rezone portions of Lots 118 and 807 and of ‘A’ Class Reserve 27575 from unzoned and General Rural to Urban Development.
Proposal 2:
Rezone portions of land abutting the Mitchell Freeway reservation at Clarkson, Ridgewood, Butler and Alkimos from unzoned and General Rural to Urban Development.
Proposal 3:
Rezone portions of land abutting the Wanneroo Road reservation at Nowergup, Neerabup and Carramar from unzoned to Rural Resource, General Rural, Special Residential and Special Rural.
Plans showing the location and proposed zonings for the above proposals are provided as Attachment 2.
In each case, the proposed zonings reflect that of the land abutting and surrounding the subject sites. In the case of land abutting the Mitchell Freeway at Ridgewood, the adjoining land to the west is currently zoned Residential, however Council has initiated Amendment No 39 to rezone that area to Urban Development zone.
In addition, as noted in the Background section above, the Minister for the Environment Statement No 629 dated 8 July 2003 for the MRS Amendment includes environmental conditions relating to the rezoning of Lot 118 and adjoining land (Proposal 1 above) which are required to be included in the DPS2 amendment. The required Environmental Conditions would be included in Schedule 12: Environmental Conditions of the Scheme with the following wording:
“3. LOCATION OF LAND
Portions of Lots 118 and 807 and of ‘A’ Class Reserve 27575, Clarkson
Environmental Conditions:
3.1 Buffer from Tamala Park Landfill
Residential land uses shall not be permitted within 500 metres of the active face of any existing or proposed putrescible waste filling area. Encroachments within this buffer may be acceptable if it is demonstrated to the Environmental Protection Authority, through appropriate studies and investigations, that odour, noise, landfill gas and dust will not adversely impact on future residents.
3.2 Environmental Management Plans
The following Management Plans are to be prepared in accordance with the specifications set out in Attachment 2 to the Minister for the Environment’s “Statement that a Scheme may be Implemented” No 629 published on 8 July 2003 and shall subsequently be implemented in accordance with the provisions of those Management Plans:
§ Environmental Management Plan.
§ Stygofauna and Troglobitic Fauna Management Plan.”
Consultation
The Town Planning Regulations require that all Scheme Amendments undergo a process of advertising for public submissions. This normally involves advertisements in the local paper, signs placed on site, if appropriate, and notification to adjoining and affected landowners as well as relevant State government agencies. An advertising period of 42 days is usual for such an Amendment.
In this instance, the only location where an on-site sign may be considered warranted is for the rezoning of portion of Lots 118, 807 and Reserve 27575, Clarkson. All of the other proposals involve rezoning of relatively small land areas to be included in the same zone as the abutting land. Several of the areas abutting the Freeway reserve also are in isolated bushland locations.
The Town Planning Amendment Regulations 1999 indicate that the WAPC’s consent to advertise an amendment is not required so long as it complies with the MRS and other planning policies and strategies. In this instance, WAPC consent is not required as the amendments are to reflect those required by the finalisation of the MRS Amendment.
Comment
The amendment proposals outlined above are required as a result of the finalisation of the MRS Amendment. In each case, the proposed zonings reflect that of the land abutting and surrounding the subject sites. It is therefore recommended that Council prepares Amendment 41 to DPS2 and proceeds to advertise the amendment.
Statutory Compliance
The scheme amendment will follow the statutory process outlined in the Town Planning Regulations.
Strategic Implications
Consideration of this amendment is consistent with the goal of providing Healthy Communities under the City’s Strategic Plan and in particular, Strategy 2.2 of the Planning and Development Directorate Plan, which seeks to provide a cohesive system of integrated land use planning.
Policy Implications
Nil
Financial Implications
Nil
Voting Requirements
Simple Majority.
EndStrip This line will not be printed Please do NOT delete
Recommendation
That Council:-
1. Pursuant to Section 7 of the Town Planning and Development Act 1928 (as amended) PREPARES Amendment No. 41 to District Planning Scheme No. 2 to:
a) Rezone portions of Lots 118 and 807 and ‘A’ Class Reserve 27575 Clarkson from unzoned and General Rural to Urban Development.
b) Rezone portions of land abutting the Mitchell Freeway reservation at Clarkson, Ridgewood, Butler and Alkimos from unzoned and General Rural to Urban Development.
c) Rezone portions of land abutting the Wanneroo Road reservation at Nowergup, Neerabup and Carramar from unzoned to Rural Resource, General Rural, Special Residential and Special Rural.
d) Amend the Scheme Map accordingly.
e) Insert the following in Schedule 12: Environmental Conditions:
“3. Location of Land
Portions of Lots 118 and 807 and ‘A’ Class Reserve 27575, Clarkson
Environmental Conditions:
3.1 Buffer from Tamala Park Landfill
Residential land uses shall not be permitted within 500 metres of the active face of any existing or proposed putrescible waste filling area. Encroachments within this buffer may be acceptable if it is demonstrated to the Environmental Protection Authority, through appropriate studies and investigations, that odour, noise, landfill gas and dust will not adversely impact on future residents.
3.2 Environmental Management Plans
The following Management Plans are to be prepared in accordance with the specifications set out in Attachment 2 to the Minister for the Environment’s “Statement that a Scheme may be Implemented” No 629 published on 8 July 2003 and shall subsequently be implemented in accordance with the provisions of those Management Plans:
- Environmental Management Plan.
- Stygofauna and Troglobitic Fauna Management Plan.”
2. REFERS Amendment No. 41 to District Planning Scheme No. 2 to the Environmental Protection Authority (EPA) pursuant to Section 7A1 of the Town Planning and Development Act 1928. Should the EPA advise that the amendment does not require assessment, ADVERTISE the amendment for a period of 42 days.
3. FORWARDS a copy of the amendment to the Western Australian Planning Commission.
EndOfRecommendation - This line will not be printed Please do NOT delete
StartOfAttachment - Do not delete this line will not be printed

EndOfAttachment - Do not delete this line will not be printed
StartOfAttachment - Do not delete this line will not be printed







EndOfAttachment - Do not delete this line will not be printed
File Ref: S09/0009V01
File Name: FADevelopment Applications determined by Delegated Authority for March 2004.doc This line will not be printed Please do
Level 4 Approval by shb Date 15 April 2004
Level 3 Approval by SHB Date 08 April 2004
Level 2 Approval by HW Date 07 April 2004
Level 1 Approval by hw Date 05 April 2004NOT delete
Responsible Officer: Director, Planning and Development
Disclosure of Interest: Nil
Attachments: 1
StartStrip This line will not be printed Please do NOT delete
Issue
Development Applications determined by Planning & Development between 1 March 2004 and 31 March 2004, acting under Delegated Authority from Council.
Background
Nil
Detail
The City of Wanneroo District Planning Scheme 2 (DPS2) provides Council with development approval powers which are designed to avoid conflict between different land uses on adjoining lots. It is also necessary to ensure the completed developments meet the required standards such as building setbacks, carparking and landscaping. Planning approvals are not generally required for single residential houses unless they seek to vary the requirements of the Residential Design Codes (R Codes.)
The City of Wanneroo continues to experience very rapid growth pressures. Since the commencement of 2004, the City has received on average 70 development applications per month in addition to an average of over 580 building licence applications per month.
Council has delegated some of its responsibilities for decision making on development applications to Council Administration which enables the processing of applications within the required 60 day statutory period and within normal customer expectations.
Council Administration, in assessing development proposals, attempts to extract from the relevant planning documents the key policies and requirements of Council in order to make comments and recommendations on the issues raised in the assessment of each individual development application.
Development applications determined by Planning & Development between 1 March 2004 and 31 March 2004, acting under Delegated Authority from Council are included in the attached Schedule 1.
Consultation
Nil
Comment
Nil
Statutory Compliance
A Delegated Authority Register was adopted by Council at its meeting on 03 September 2002 (item CE03-09/02 refers). The decisions referred to in schedule 1 of this report are in accordance with this register.
Strategic Implications
This report is consistent with the corporate management and development goal of the City’s Strategic Plan, which seeks to establish an organisation that is open, accountable and committed to customer service.
Policy Implications
Nil
Financial Implications
Planning applications incur administration fees which are generally based on the Town Planning (Local Government Planning Fees) Regulations and have been adopted by Council in its annual budget. The estimated cost of development for each application is listed in schedule 1. Applications where an estimated cost has not been provided, are either applications for the exercising of discretion or for a change of use.
Voting Requirements
Simple Majority.
EndStrip - This will not be printed so do not delete
Recommendation
That Council NOTES the determinations made by Planning & Development Services acting under delegated authority from Council on development applications processed between 1 March 2004 and 31 March 2004.
EndOfRecommendation - This line will not be printed Please do NOT delete
StartOfAttachment - Do not delete this line will not be printed
Development Applications determined for Period City of Wanneroo
WHERE (Decision_date BETWEEN 01/03/2004 00:00:00 AND 31/03/2004
Note: Estimated cost not provided on applications for use only or where a flat fee is applicable
Ram Id Date Owners Days Est Cost Decision
DA04/0122 02/03/2004 SHANE MCGOWAN 21 $0.00 Approved
Prop address 89 DAMIAN ROAD JANDABUP WA 6065
Land Lot 10 D 92869
Description BED & BREAKFAST (LESS THAN 5 GUESTS)
Applicants AJ ANDERSON, MA LONERGAN
File Number P14/0057V01
DA03/0981 20/10/2003 MULTARI NOMINEES & BULONG PTY LTD 87 $500,000.00 Approved
Prop address 9 PARRI ROAD WANGARA WA 6065
Land Lot 337 P 12228 Vol 1497 Fol 996
Description WAREHOUSE - WORKSHOP EXTENSION TO CONCRETE PANEL BUILDING
Applicants ANTHONY TOMASSO ARCHITECTS PTY LTD
File Number P33/0163V01
DA04/0175 22/03/2004 GLENYS E JOHNSON 6 $12,000.00 Approved
Prop address 54 CASUARINA WAY WANNEROO WA 6065
Land Lot 155 P 15402 Vol 1718 Fol 878
Description PATIO ADDITION
Applicants GE JOHNSON
File Number p34/1745v01
DA04/0113 24/02/2004 EDWARD E BOSNAR & LEEANNE M BOSNAR 18 $5,000.00 Approved
Prop address 11 BERNBOROUGH PLACE WANNEROO WA 6065
Land Lot 143 P 13145 Vol 1558 Fol 679
Description RETAINING WALL ADDITION
Applicants ACE LIMESTONE & RETAINING
File Number P34/1282V01
DA04/0195 25/03/2004 LEANNE F HOLMES & MALCOLM W HOLMES 4 $18,000.00 Approved
Prop address 1 EVELYN COURT WANNEROO WA 6065
Land Lot 107 P 15552
Description STUDIO EXTENSION
Applicants MW HOLMES
File Number P34/1751V01
DA04/0095 11/02/2004 ATHENA CALAUTTI & PAUL A CALAUTTI 9 $5,500.00 Approved
Prop address 245 FRANKLIN ROAD WANNEROO WA 6065
Land Lot 168 P 15402 Vol 1718 Fol 890
Description PATIO ADDITION
Applicants WA PATIOS & PERGOLAS
File Number P34/1648V01
DA04/0167 18/03/2004 SYLVIA L JOHNS & WILLIAM J JOHNS 4 $6,100.00 Approved
Prop address 3 EVERGREEN GARDENS CARRAMAR WA 6031
Land Lot 138 D 73640 Vol 1803 Fol 012
Description PATIO ADDITION
Applicants SL JOHNS, WJ JOHNS
File Number P07/0932V01
DA04/0134 10/03/2004 JENNIFER MC DICKSON & STUART J DICKSON 4 $13,380.00 Approved
Prop address 74 GREENHAVEN GLADE CARRAMAR WA 6031
Land Lot 131 D 71775 Vol 1772 Fol 654
Description SWIMMING POOL ADDITION
Applicants AQUA TECHNICS (WA) PTY LTD - WELSHPOOL
File Number P07/0492V01
Development Applications determined for Period City of Wanneroo
WHERE (Decision_date BETWEEN 01/03/2004 00:00:00 AND 31/03/2004
Note: Estimated cost not provided on applications for use only or where a flat fee is applicable
Ram Id Date Owners Days Est Cost Decision
DA04/0114 25/02/2004 COLTER HOLDINGS PTY LTD 11 $450,000.00 Approved
Prop address 7 FACEY ROAD GNANGARA WA 6065
Land Lot 12 P 8480 Vol 1328 Fol 765
Description SINGLE HOUSE - INCLUDING SWIMMING POOL
Applicants ACME DESIGN
File Number P12/0166V01
DA04/0107 19/02/2004 DAVID B SHEPHARD & GEORGINA SHEPHARD 15 $0.00 Approved
Prop address 18 LOUISE PLACE GNANGARA WA 6065
Land Lot 137 P 16140 Vol 1786 Fol 463
Description HOME BUSINESS - CATEGORY 3 - HAIRDRESSING
Applicants SJ SHEPHARD
File Number P12/0165V01
DA04/0066 03/02/2004 THI B LE, CONG H PHAN, KIM H PHAN, NGAN H PHAN 41 $0.00 Approved
Prop address 52 NORTHUMBERLAND AVENUE ALEXANDER HEIGHTS WA 6064
Land Lot 5393 D 56938 Vol 1535 Fol 232
Description COMMERCIAL VEHICLE PARKING
Applicants NH PHAN
File Number P01/0054V01
DA04/0104 17/02/2004 CROWN LAND-CITY OF WANNEROO MANAGEMENT 19 $100,000.00 Approved
Prop address GUMBLOSSOM PARK-RES 28376 17 TAPPING WAY QUINNS ROCKS WA 6030
Land Lot 8163 DP 28734 Vol 3046 Fol 22
Description CARPARK ADDITION INCLUDING SUMP MODIFICATION
Applicants CROWN LAND-CITY OF WANNEROO MANAGEMENT ORDER
File Number P27/1568V01
DA04/0080 05/02/2004 CROWN LAND-CITY OF WANNEROO MANAGEMENT 33 $0.00 Approved
Prop address GUMBLOSSOM PARK-RES 28376 17 TAPPING WAY QUINNS ROCKS WA 6030
Land Lot 8163 DP 28734 Vol 3046 Fol 22
Description CLUB (NON-RESIDENTIAL) - UNRESTRICTED USE OF BOWLING GREEN LIGHTS
Applicants QUINNS ROCKS SPORTS CLUB
File Number PR27/0001V01
DA04/0088 09/02/2004 SATTERLEY WANNEROO PTY LTD 16 $50,000.00 Approved
Prop address 55 CAROSA ROAD ASHBY WA 6065
Land Lot 20 D 35092 Vol 106 Fol 93A
Description BULK EARTHWORKS
Applicants BSD CONSULTANTS PTY LTD
File Number P03/0262V01
DA03/0966.01 23/02/2004 THANH N DANG & TUYEN T NGUYEN 6 $16,500.00 Approved
Prop address 256 ELLIOT ROAD WANNEROO WA 6065
Land Lot 37 P 6292 Vol 1158 Fol 744
Description SINGLE HOUSE (AMENDED PLAN)
Applicants ATRIUM HOMES
File Number
DA04/0017 12/01/2004 BASIL M STALTARI, JOSIPHINI STALTARI, NEIL 55 $95,000.00 Approved
Prop address (service road access) SERVICE STATION 2056 WANNEROO ROAD NEERABUP WA 6031
Land Lot 4 D 40276 Vol 409 Fol 082A
Description TELECOMMUNICATION INFRASTRUCTURE - 34m MONOPOLE AND EQUIPMENT SHELTER
Applicants PLANNING SOLUTIONS PTY LTD
File Number P23/0029V01
Development Applications determined for Period City of Wanneroo
WHERE (Decision_date BETWEEN 01/03/2004 00:00:00 AND 31/03/2004
Note: Estimated cost not provided on applications for use only or where a flat fee is applicable
Ram Id Date Owners Days Est Cost Decision
DA03/1083 28/11/2003 PATANAL PTY LTD 5 $171,395.00 Approved
Prop address 47 RUSSELL ROAD MADELEY WA 6065
Land Lot 63 P 6843 Vol 47 Fol 309A
Description TWO GROUP DWELLING
Applicants JWH GROUP (METRO STYLE)
File Number P18/0158V01
DA04/0127 04/03/2004 ROSA TERRANOVA & VINCENZO TERRANOVA 18 $11,700.00 Approved
Prop address 16 DELICH ROAD CARABOODA WA 6033
Land Lot 6 D 9294 Vol 1417 Fol 998
Description PATIO ADDITION
Applicants PETROVS PATIOS
File Number P06/0093V01
DA03/1091 02/12/2003 QUITO PTY LTD 85 $10,000.00 Approved
Prop address 160 KAROBORUP ROAD CARABOODA WA 6033
Land Lot 1 D 35984 Vol 483 Fol 007A
Description TRANSPORTABLE TOILET BLOCK
Applicants JBT CORP
File Number P06/0094V01
DA04/0077 05/02/2004 LAKES CHRISTIAN LIFE CENTRE INCORPORATED 25 $50,000.00 Approved
Prop address 15 FINLAY PLACE WANGARA WA 6065
Land Lot 120 P 12308 Vol 1495 Fol 024
Description LUNCH BAR
Applicants LAKES CHRISTIAN LIFE CENTRE INCORPORATED
File Number P33/0112V01
DA04/0156 12/03/2004 ARNOLD VS DAMMERS & JULIE A DAMMERS 5 $7,141.80 Approved
Prop address 48 WELLS STREET MARIGINIUP WA 6065
Land Part Lot 2 D 15941 Vol 2016 Fol 948
Description SHADE SAILS
Applicants DIY SHADES & TOOLS
File Number P20/0013V01
DA04/0108 20/02/2004 MARYKE M FRANCESCHI & RAYMOND B 15 $25,000.00 Approved
Prop address 7 STONEY ROAD GNANGARA WA 6065
Land Lot 8 D 33000 Vol 1336 Fol 925
Description SINGLE HOUSE - ADDITIONS
Applicants MM FRANCESCHI, RB FRANCESCHI
File Number P12/0097V01
DA03/0797 18/08/2003 ANTE MUSULIN & BRANKA MUSULIN 74 $900,000.00 Approved
Prop address 6 WELWYN AVENUE YANCHEP WA 6035
Land Lot 13460 D 75866 Vol 2188 Fol 977
Description OFFICE, SHOWROOM, WAREHOUSE & LANDSCAPE SUPPLIES
Applicants HOME DESIGN PTY LTD
File Number P36/0021V01
DA04/0169 18/03/2004 HOMESWEST RENTALS 4 $3,570.00 Approved
Prop address 5A LECKY COURT GIRRAWHEEN WA 6064
Land Part Lot 1053
Description GROUP DWELLINGS - CARPORTS ADDITIONS
Applicants AP NAUGHTIN
File Number P11/0964V01
Development Applications determined for Period City of Wanneroo
WHERE (Decision_date BETWEEN 01/03/2004 00:00:00 AND 31/03/2004
Note: Estimated cost not provided on applications for use only or where a flat fee is applicable
Ram Id Date Owners Days Est Cost Decision
DA04/0129 04/03/2004 HOMESWEST RENTALS 11 $1,785.00 Approved
Prop address 24A BRECKNOCK WAY GIRRAWHEEN WA 6064
Land Part Lot 1132
Description GROUPED DWELLING - CARPORT TO UNIT A
Applicants A NAUGHTON
File Number P11/0947V01
DA04/0128 04/03/2004 HOMESWEST RENTALS 6 $6,185.00 Approved
Prop address 56A PANNELL WAY GIRRAWHEEN WA 6064
Land Part Lot 1332
Description GROUPED DWELLING - CARPORTS TO UNITS A & B
Applicants A NAUGHTON
File Number P11/0948V01
DA04/0161 16/03/2004 HEATHER D WASS & JOHN G WASS 4 $2,035.00 Approved
Prop address TALLOW ROW 11C SHALFORD WAY GIRRAWHEEN WA 6064
Land Lot 11 Vol 2522 Fol 311 S/P 42046
Description GROUPED DWELLING - PATIO ADDITION
Applicants Country Leisure Centre
File Number P11/0123V01
DA04/0118 26/02/2004 NICOLE MCCASKILL & NICHOLAS DG FLYNN 4 $3,267.00 Approved
Prop address 3/41 GOLDERS WAY GIRRAWHEEN WA 6064
Land Lot 6 Vol 2543 Fol 706 S/P 43723
Description GROUP DWELLING - PATIO TO UNIT 3
Applicants N MCCASKILL
File Number P11/0311V01
DA04/0190 25/03/2004 HOMESWEST RENTALS 4 $75,000.00 Approved
Prop address 25B FERRARA WAY GIRRAWHEEN WA 6064
Land Lot 34 Vol 1965 Fol 896 S/P 24554
Description GROUP DWELLINGS - CARPORTS TO UNITS B, C AND D
Applicants AP NAUGHTIN
File Number P11/0882V01
DA04/0168 18/03/2004 HOMESWEST RENTALS 5 $4,900.00 Approved
Prop address 58A BRINCKLEY CRESCENT KOONDOOLA WA 6064
Land Part Lot 14
Description GROUP DWELLINGS - CARPORT ADDITIONS
Applicants AP NAUGHTIN
File Number P16/0486V01
DA04/0159 15/03/2004 REBECCA C GVOZDICH 7 $1,200.00 Approved
Prop address MULBERRY MEWS 10/19 RUDKIN PLACE KOONDOOLA WA 6064
Land Lot 10 Vol 2185 Fol 210 S/P 37488
Description MULTIPLE DWELLING PATIO (UNIT 10)
Applicants RC GVOZDICH
File Number P16/0046V01
DA04/0133 05/03/2004 DANIEL W KLEMM 2 $2,995.00 Approved
Prop address 33 CHURCH STREET WANNEROO WA 6065
Land Lot 2 Vol 438 Fol 090A S/P 516
Description GROUPED DWELLING - PATIO ADDITION
Applicants POULTER INSTALLATIONS
File Number P34/1697V01
Development Applications determined for Period City of Wanneroo
WHERE (Decision_date BETWEEN 01/03/2004 00:00:00 AND 31/03/2004
Note: Estimated cost not provided on applications for use only or where a flat fee is applicable
Ram Id Date Owners Days Est Cost Decision
DA04/0197 29/03/2004 PHILLIP J HAYES & SYLVIA J HAYES 2 $2,865.00 Approved
Prop address WESTGATE GARDENS 61 WESTGATE WAY MARANGAROO WA 6064
Land Lot 2 Vol 1869 Fol 969 S/P 18905
Description PATIO TO UNIT 2 GROUP DWELLING
Applicants THORN ROOFING CONTRACTORS
File Number P19/1086V01
DA04/0123 02/03/2004 KELLIE R PALMER 10 $2,000.00 Approved
Prop address 5B OLIVIA CLOSE ALEXANDER HEIGHTS WA 6064
Land Lot 2 Vol 2056 Fol 188 S/P 30116
Description GROUPED DWELLING - PATIO
Applicants KR PALMER
File Number P01/0845V01
DA04/0054 27/01/2004 GNANGARA DEVELOPMENTS PTY LTD 4 $6,000.00 Approved
Prop address 4 ATTWELL STREET LANDSDALE WA 6065
Land Lot 15 P 11055 Vol 1705 Fol 193
Description EXTENSION OF CAR YARD
Applicants FORPARTS
File Number P17/0733V01
DA04/0158 12/03/2004 PHILLIPA S LEE, RICHARD LEE, SHARON M LEE, 8 $11,000.00 Approved
Prop address 553 NEAVES ROAD MARIGINIUP WA 6065
Land Lot 37 P 16878 Vol 1847 Fol 449
Description SUNROOM ADDITION
Applicants K LEE, PS LEE, R LEE & Others
File Number P20/0158V01
DA04/0109 20/02/2004 MICHAEL FERRITTO & PAULA M FERRITTO 13 $26,420.00 Approved
Prop address 92 SHILLINGTON WAY WANNEROO WA 6065
Land Lot 195 P 17297 Vol 1859 Fol 985
Description MACHINERY SHED
Applicants NORTHWEST SHEDMASTERS PTY LTD
File Number P34/0897V01
DA04/0136 05/03/2004 CROWN LAND-CITY OF WANNEROO MANAGEMENT 1 $30,000.00 Approved
Prop address WORKS DEPOT-RES 27366 1204 WANNEROO ROAD ASHBY WA 6065
Land Lot 12302 DP 218998 Vol 3045 Fol 749
Description CIVIC BUILDING - WORKSHOP WELDING SHED
Applicants J PALMISANO
File Number P/0010V01
DA04/0194 26/03/2004 JOHN SAUNDERS, MAUREEN C SAUNDERS, JENNY 3 $4,700.00 Approved
Prop address 23 ROSETTA RISE GNANGARA WA 6065
Land Lot 244 P 18274 Vol 1925 Fol 015
Description SWIMMING POOL
Applicants JM MCNAMARA, K MCNAMARA, MC SAUNDERS & Others
File Number P21/0170V01
DA04/0144 05/03/2004 GRAEME K ABBOTT & JENNIFER L ABBOTT 6 $9,100.00 Approved
Prop address 88 COLONIAL CIRCLE GNANGARA WA 6065
Land Lot 230 P 18274
Description GARAGE ADDITION
Applicants PREMIER PREFABRICATED BUILDINGS
File Number P12/0080V01
Development Applications determined for Period City of Wanneroo
WHERE (Decision_date BETWEEN 01/03/2004 00:00:00 AND 31/03/2004
Note: Estimated cost not provided on applications for use only or where a flat fee is applicable
Ram Id Date Owners Days Est Cost Decision
DA04/0121 03/03/2004 ADRIAN J BROADBENT & CATHERINE A 12 $309,090.90 Approved
Prop address 77 MOONDYNE TRAIL GNANGARA WA 6065
Land Lot 33 P 18318 Vol 1925 Fol 81
Description SINGLE HOUSE & SHED
Applicants AJ BROADBENT, CA BROADBENT
File Number P12/0005V01
DA04/0102 16/02/2004 AUSTRALASIAN CONFERENCE ASSOCIATION LTD 25 $4,000.00 Approved
Prop address 7 AINSBURY PARADE CLARKSON WA 6030
Land Lot 66 D 96855
Description PLACE OF WORSHIP - SIGN APPLICATION
Applicants T DI FLORIO
File Number P08/0643V01
DA04/0148 10/03/2004 ROMAN CATHOLIC ARCHBISHOP OF PERTH 2 $6,645.00 Approved
Prop address ST ANDREWS CATHOLIC PRIMARY SCHOOL 60 VICTORSEN PARADE CLARKSON WA
Land Lot 333 P 21418 Vol 2086 Fol 202
Description EDUCATIONAL ESTABLISHMENT - STORAGE SHED
Applicants MODULAR METALS
File Number P08/0358V01
DA04/0029 14/01/2004 CROWN LAND-CITY OF WANNEROO MANAGEMENT 2 $140,000.00 Approved
Prop address WARRADALE PARK-RES 45966 31 WARRADALE TERRACE LANDSDALE WA 6065
Land Lot 12938 P 21787 Vol 3111 Fol 100
Description FOUR (4) 30m LIGHTING TOWERS
Applicants CROWN LAND-CITY OF WANNEROO MANAGEMENT ORDER
File Number PR17/0001V01
DA04/0039 21/01/2004 MARYANNE C HUMPHRIES & STEPHEN B 30 $500,000.00 Approved
Prop address 20 GOLFVIEW PLACE GNANGARA WA 6065
Land Lot 503 P 21845 Vol 2095 Fol 406
Description SINGLE HOUSE
Applicants K ACTON
File Number P12/00847V01
DA04/0126 03/03/2004 TOKYU CORPORATION 7 $30,000.00 Approved
Prop address 599 TWO ROCKS ROAD YANCHEP WA 6035
Land Lot 303 P 21926 Vol 2097 Fol 795
Description USE NOT LISTED - CLEARING OF LAND FOR GEOTECHNICAL INVESTIGATION
Applicants ROBERTS DAY GROUP
File Number P36/0256V01
DA04/0147 10/03/2004 RACHEL J DALY 6 $0.00 Approved
Prop address 5 AMERY ROAD HOCKING WA 6065
Land Lot 488 D 92335 Vol 2113 Fol 698
Description HOME BUSINESS - CATEGORY 2 - HAIR DRESSING - RENEWAL
Applicants RJ DALY
File Number P13/0037V01
DA04/0082 05/02/2004 FIROZ K PESTONJI 25 $30,000.00 Approved
Prop address 14 FINLAY PLACE WANGARA WA 6065
Land Lot 15 P 22267 Vol 2125 Fol 845
Description TRANSPORT DEPOT
Applicants MT CARRARA, FK PESTONJI
File Number P33/0235V01
Development Applications determined for Period City of Wanneroo
WHERE (Decision_date BETWEEN 01/03/2004 00:00:00 AND 31/03/2004
Note: Estimated cost not provided on applications for use only or where a flat fee is applicable
Ram Id Date Owners Days Est Cost Decision
DA04/0145 08/03/2004 PAUL C VLADICH & ROSEMARY M VLADICH 4 $1,870.00 Approved
Prop address 2/1 BRENDALE PLACE LANDSDALE WA 6065
Land Lot 2 Vol 2155 Fol 902 S/P 35711
Description GROUP DWELLING - PATIO TO UNIT 2
Applicants HIGHLINE BUILDING CONSTRUCTIONS
File Number P17/0080V01
DA04/0087 06/02/2004 DIMCE PETROVSKI 35 $222,203.00 Approved
Prop address 42 PINE CREST WAY GNANGARA WA 6065
Land Lot 12 P 22847
Description SINGLE HOUSE & RETAINING WALL
Applicants IMPRESSIONS HOME BUILDERS
File Number P12/0106V01
DA04/0173 17/03/2004 WEI GU 8 $150,000.00 Approved
Prop address 55 FURNISS ROAD DARCH WA 6065
Land Lot 29 D 97580 Vol 2169 Fol 114
Description WAREHOUSE
Applicants VESPOLI CONSTRUCTIONS
File Number P09/0073V01
DA04/0074 04/02/2004 SAM J FILIPPOU & STEVEN FILIPPOU 26 $0.00 Approved
Prop address NURSERY 215 LANDSDALE ROAD DARCH WA 6065
Land Part Lot 62 D 19511
Description ADDITION OF EDUCATIONAL ESTABLISHMENT TO PLACE OF WORSHIP
Applicants FRESH MANNA MINISTRIES
File Number P09/0052V01
DA04/0181 19/03/2004 RUPAL V PATEL & VISHRUT R PATEL 3 $0.00 Approved
Prop address 86 WARRADALE TERRACE LANDSDALE WA 6065
Land Lot 1133 P 23552 Vol 2171 Fol 159
Description HOME BUSINESS CATEGORY 2 - WHOLESALE DISTIBUTION (AUTO PARTS)
Applicants RV PATEL, VR PATEL
File Number P17/0710V01
DA03/1098 04/12/2003 BRIAN J BAILY & KAYLEEN N BAILY 44 $203,372.73 Approved
Prop address 44 EMERALD DRIVE CARABOODA WA 6033
Land Lot 30 DP 24939
Description SINGLE HOUSE
Applicants PHIL COUSINS DESIGNER BUILDER
File Number P06/0037V01
DA04/0105 18/02/2004 ERICK J LARKAN & LYNN I LARKAN 30 $0.00 Approved
Prop address 103 EMERALD DRIVE CARABOODA WA 6033
Land Lot 17 DP 24940 Vol 2205 Fol 820
Description BUILDING ENVELOPE MODIFICATION
Applicants ABLE LOT HOLDINGS PTY LTD
File Number P06/0063V01
DA03/1135 17/12/2003 SETTLERS RIDGEWOOD VILLAGE LTD 51 $3,900.00 Approved
Prop address RIDGEWOOD RISE 76 RIDGEWOOD BOULEVARD RIDGEWOOD WA 6030
Land Lot 714 P 24003 Vol 2206 Fol 794
Description RETIREMENT VILLAGE - PATIO ADDITION - UNIT 69
Applicants SETTLERS RIDGEWOOD VILLAGE LTD, ERECT-A-PAT
File Number PA14/0004V01
Development Applications determined for Period City of Wanneroo
WHERE (Decision_date BETWEEN 01/03/2004 00:00:00 AND 31/03/2004
Note: Estimated cost not provided on applications for use only or where a flat fee is applicable
Ram Id Date Owners Days Est Cost Decision
DA03/0480.02 25/03/2004 SETTLERS RIDGEWOOD VILLAGE LTD 3 $95,000.00 Approved
Prop address RIDGEWOOD RISE 76 RIDGEWOOD BOULEVARD RIDGEWOOD WA 6030
Land Lot 714 P 24003 Vol 2206 Fol 794
Description RETIREMENT UNITS - STAGE 2
Applicants MCDONALD JONES ARCHITECTS
File Number
DA04/0130 05/03/2004 SETTLERS RIDGEWOOD VILLAGE LTD 18 $0.00 Approved
Prop address RIDGEWOOD RISE 76 RIDGEWOOD BOULEVARD RIDGEWOOD WA 6030
Land Lot 714 P 24003 Vol 2206 Fol 794
Description RETIREMENT VILLAGE - AMENDED PLANS STAGE 2 (LOT 87)
Applicants MCDONALD JONES ARCHITECTS
File Number P14/0004V02
DA04/0150 11/03/2004 SARA A WALLING & CRAIG W WALLING 8 $186,360.00 Approved
Prop address 111 THE FAIRWAYS GNANGARA WA 6065
Land Lot 68 DP 25802
Description SINGLE HOUSE
Applicants CW WALLING, SA WALLING
File Number P12/0169V01
DA04/0183 19/03/2004 MARINA JP HIGHLAND & PHILIP E HIGHLAND 7 $10,000.00 Approved
Prop address 282 BADGERUP ROAD GNANGARA WA 6065
Land Lot 75 DP 25805
Description PATIO ADDITION
Applicants PAULS PATIOS
File Number P21/0039V01
DA04/0151 11/03/2004 LYNN CAREY & PHILLIP CAREY 14 $12,000.00 Approved
Prop address 48 THE FAIRWAYS GNANGARA WA 6065
Land Lot 61 DP 25806 Vol 2503 Fol 045
Description CARPORT/PATIO ADDITION
Applicants P CAREY, L CAREY
File Number P12/0009V01
DA03/1070 25/11/2003 AUTOMOTIVE HOLDINGS GROUP PTY LTD 46 $110,000.00 Approved
Prop address (service road access) 1902 MARMION AVENUE CLARKSON WA 6030
Land Lot 1 DP 25730 Vol 2218 Fol 406
Description SIGN APPLICATION (VEHICLE DEALERSHIP)
Applicants PROJECT NEON
File Number P08/0744V01
DA03/0902 19/09/2003 PLOTDALE PTY LTD & TOPSFIELD PTY LTD 100 $727,272.00 Approved
Prop address SUBDIVIDED 148 DUNDEBAR ROAD WANNEROO WA 6065
Land Lot 9001 DP 29015 Vol 2511 Fol 045
Description CHILD CARE CENTRE - 99 Children & 16 Staff
Applicants KOLTASZ SMITH AND PARTNERS
File Number P34/1351V01
DA04/0028 14/01/2004 CROWN LAND-CITY OF WANNEROO MANAGEMENT 2 $130,000.00 Approved
Prop address RIDGEWOOD PARK-RES 46627 15 RIDGEWOOD BOULEVARD RIDGEWOOD WA 6030
Land Lot 14433 DP 30189 Vol 3127 Fol 224
Description FOUR (4) 30m LIGHTING TOWERS
Applicants CROWN LAND-CITY OF WANNEROO MANAGEMENT ORDER
File Number PR28/0001V01
Development Applications determined for Period City of Wanneroo
WHERE (Decision_date BETWEEN 01/03/2004 00:00:00 AND 31/03/2004
Note: Estimated cost not provided on applications for use only or where a flat fee is applicable
Ram Id Date Owners Days Est Cost Decision
DA04/0090 10/02/2004 BARBARA M MANIA, RONALD K PARK, STANISLAW H 36 $198,880.00 Approved
Prop address 11 EXCELLENCE DRIVE WANGARA WA 6065
Land Lot 203 DP 31495 Vol 2517 Fol 852
Description FACTORY
Applicants CALIBRE CONSTRUCTIONS PTY LTD
File Number P33/01556V01
DA03/1078 26/11/2003 CARMELA VICENTINI & FRANCO VICENTINI 84 $94,652.00 Approved
Prop address 32 SOVRANO AVENUE MADELEY WA 6065
Land Lot 2 Vol 2526 Fol 200 S/P 42483
Description SINGLE HOUSE - SURVEY STRATA
Applicants IMPRESSIONS HOME BUILDERS
File Number P18/0368V01
DA03/1052 19/11/2003 MILKA PRESILSKI & BLAGOJCE PRESILSKI 69 $300,000.00 Approved
Prop address 14 SUCCESS WAY WANGARA WA 6065
Land Lot 222 DP 35212 Vol 2533 Fol 926
Description LUNCH BAR AND WAREHOUSE UNITS
Applicants VERUCA SALT PTY LTD
File Number P33/0171V01
DA03/1110 10/12/2003 JKA FALLON PTY LTD 44 $360,000.00 Approved
Prop address 9 SEFTON PLACE LANDSDALE WA 6065
Land Lot 22 DP 31615 Vol 2053 Fol 683
Description FOUR GROUP DWELLING
Applicants BARRY ELLIS SUMMIT PROJECTS
File Number P17/0568V01
DA04/0119 26/02/2004 LANDCORP 24 $1,200,000.00 Approved
Prop address 40 BELLEVILLE GARDENS CLARKSON WA 6030
Land Lot 9005 DP 35709
Description SHOP AND SHOWROOM
Applicants STONEWALL CONSTRUCTIONS
File Number P08/0975V01
DA04/0089 10/02/2004 CARYS HANSEN 17 $9,000.00 Approved
Prop address 31 ORCHARD REST TWO ROCKS WA 6037
Land Lot 38 DP 36110 Vol 2541 Fol 708
Description SHED OVER 60m2
Applicants C HANSEN
File Number P32/0287V01
DA04/0037 20/01/2004 DAMIAN M PENTON & KELLIE M PENTON 33 $200.00 Approved
Prop address 83 COUNTRYSIDE DRIVE TWO ROCKS WA 6037
Land Lot 52 DP 36110 Vol 2541 Fol 716
Description BUILDING ENVELOPE MODIFICATION
Applicants DM PENTON, KM PENTON
File Number P32/0391V01
DA03/0888.02 25/02/2004 FRED SCHOONENS & SFRC ENTERPRISES 16 $0.00 Approved
Prop address 18 CONQUEST WAY WANGARA WA 6065
Land Lot 272 DP 38472 Vol 2547 Fol 271
Description FACTORY
Applicants F SCHOONENS
File Number P33/0228V01
Development Applications determined for Period City of Wanneroo
WHERE (Decision_date BETWEEN 01/03/2004 00:00:00 AND 31/03/2004
Note: Estimated cost not provided on applications for use only or where a flat fee is applicable
Ram Id Date Owners Days Est Cost Decision
DA04/0106 18/02/2004 PETER AINGER & LISA R AINGER 4 $4,388.00 Approved
Prop address 94 BUSHWOOD FOLLOW TWO ROCKS WA 6037
Land Lot 84 DP 38231 Vol 2549 Fol 034
Description SHED ADDITION
Applicants POULTER INSTALLATIONS
File Number P32/0428V01
DA04/0084 05/02/2004 DUANE C JOHNSON 24 $140,000.00 Approved
Prop address 15 CLITHEROE WAY BUTLER WA 6036
Land Lot 261 DP 38456 Vol 2553 Fol 021
Description SINGLE HOUSE - FRONT SETBACK VARIATION
Applicants B CONNOR
File Number P05/1069V01
DA04/0016 12/01/2004 EQUALITY HOLDINGS 33 $280,000.00 Approved
Prop address 29 INNOVATION CIRCUIT WANGARA WA 6065
Land Lot 243 DP 38474 Vol 2554 Fol 801
Description FACTORY/WAREHOUSE
Applicants EQUALITY HOLDINGS
File Number P33/0303V01
DA04/0096 11/02/2004 SHAUN J CONLEY, HELEN CONLEY, JOHN R 24 $78,000.00 Approved
Prop address 2 VENTURE LOOP WANGARA WA 6065
Land Lot 257 DP 38474 Vol 2554 Fol 805
Description WAREHOUSE AND TRADE DISPLAY - POOL DISPLAY
Applicants JR CONLEY
File Number P33/0306V01
DA04/0061 30/01/2004 CARMELO COCI, MARIA COCI, PAUL COCI, JOHN COCI 39 $245,454.55 Approved
Prop address 1 INNOVATION CIRCUIT WANGARA WA 6065
Land Lot 235 DP 38475 Vol 2554 Fol 819
Description SHOWROOM & WAREHOUSE
Applicants C COCI, M COCI, P COCI & Others
File Number P33/0258V01
EndOfAttachment - Do not delete this line will not be printed
File Ref: S09/0008
File Name: FCSUBDIVISION APPLICATIONS DETERMINED BY DELEGATED AUTHORITY DURING MARCH 2004.doc
Level 4 Approval by shb Date 15 April 2004
Level 3 Approval by SHB Date 08 April 2004
Level 2 Approval by TERRIG Date 06 April 2004
Level 1 Approval by TERRIG Date 06 April 2004This line will not be printed Please do NOT delete
Responsible Officer: Director, Planning and Development
Disclosure of Interest: Nil
Attachments: 8
Author: Terri Goode
Meeting Date: 27 April, 2004
Attachments: 8
StartStrip This line will not be printed Please do NOT delete
Issue
Determination of subdivision applications processed in the
period between 1 March 2004 to
31 March 2004 under delegated authority.
Detail
The West Australian Planning Commission (WAPC) is responsible for determining all subdivision applications within the State. Applications for approval are lodged with the WAPC and are referred to local governments and affected public bodies for comment. Comments are made within 42 days of receiving the application after which the Commission determines the applications. There is a right of appeal by the applicant if aggrieved with the Commission’s decision.
Council has delegated to the Chief Executive Officer its functions relating to the provision of comments to the Commission on subdivision applications. The Chief Executive Officer has in turn delegated to the Planning and Development Division this responsibility. A Land Development Unit has been established to assist with the assessment of all applications.
Those applications considered to be either controversial in nature or contrary to Council policy, are referred to Council for consideration. All other applications are dealt with in respect to the following categories.
SCU 1 Subdivision applications received which are generally consistent with an approved or Agreed Structure Plan (including Outline Development Plan and Development Guide Plan).
SCU 2 Subdivision applications previously supported, or not supported by Council and subsequently determined by the Western Australian Planning Commission (WAPC) consistent with the Council’s recommendation.
SCU 3 Applications for extension of subdivisional approval issued by the WAPC which were previously supported by Council.
SCU 4 Applications for subdivision or amalgamation which result from conditions of development approval given by or on behalf of Council.
SCU 5 Applications for subdivision or amalgamation of lots which would allow the development of the land for uses permitted in the zone within which that land is situated including applications involving the excision of land for road widening, sump sites, school sites, etc.
SCU 6 Applications for subdivision or amalgamation of lots contrary to Council or WAPC Policy or are not generally consistent with an approved or Agreed Structure Plan.
The following table provides the details of the subdivision applications dealt with under delegated authority between 1 March, 2004 to 31 March, 2004.
EndStrip This line will not be printed Please do NOT delete
Recommendation
That Council NOTES the actions taken in relation to providing comments to the Western Australian Planning Commission on subdivision applications processed under delegated authority between 1 March, 2004 to 31 March, 2004 as listed below:
Subdivision Application Delegations
|
Att |
WAPC No/ Received Date |
Location / Owner |
DPS2 Zoning LDU Category |
Advice |
WAPC Advised |
|
1 |
124504 23/02/2004 |
Lot 84 (100) Gnangara Road, MADELEY Guiseppe & Mary Monte |
Urban Development / Reservation Other Regional SCU1 |
Supported |
23/03/2004 |
|
2 |
124649 09/03/2004 |
Lot 34 (34) Lancaster Road, WANGARA Ivan & Dorothy Franulovich |
Business / Service Industry SCU1 |
Supported |
29/03/2004 |
|
3 |
124434 17/02/2004 |
Lot 32 (295) Kingsway, DARCH Fairfield Enterprises |
Urban Development SCU1 |
Supported |
10/03/2004 |
|
4 |
124715 05/03/2004 |
Lot 9001 (124C) Lagoon Drive, YANCHEP Peet & Co AFT Yanchep Oceanfront Unit Trust |
Urban Development SCU1 |
Supported |
22/03/2004 |
|
5 |
123958 09/03/2004 |
Lot 9012 (960D) Joondalup Drive, TAPPING Peet & Co Ltd ATF Yatala Unit Trust |
Urban Development SCU1 |
Supported |
26/03/2004 |
|
6 |
124606 02/03/2004 |
Lot 9013 (2359B)Marmion Ave, JINDALEE Carine Nominees Pty Ltd |
Commercial / Urban Development / Regional / Reservation – Parks & Recreation / Special Zone – Additional Use SCU1 |
Supported |
31/03/2004 |
|
7 |
124651 16/03/2004 |
Lot 59 (34) Mulwarrie Circle, WANNEROO Plotdale Pty Ltd & Topsfield Pty Ltd |
Residential SCU1 |
Supported |
24/03/04 |
|
8 |
124642 18/03/2004 |
Lot 30 (86) East Road, PEARSALL Bozenko & Carol J Gavranich |
Urban Development SCU1 |
Supported |
25/03/2004 |
EndOfRecommendation - This line will not be printed Please do NOT delete
StartOfAttachment - Do not delete this line will not be printed

EndOfAttachment - Do not delete this line will not be printed
StartOfAttachment - Do not delete this line will not be printed

EndOfAttachment - Do not delete this line will not be printed
StartOfAttachment - Do not delete this line will not be printed

EndOfAttachment - Do not delete this line will not be printed
StartOfAttachment - Do not delete this line will not be printed

EndOfAttachment - Do not delete this line will not be printed
StartOfAttachment - Do not delete this line will not be printed

EndOfAttachment - Do not delete this line will not be printed
StartOfAttachment - Do not delete this line will not be printed

EndOfAttachment - Do not delete this line will not be printed
StartOfAttachment - Do not delete this line will not be printed

EndOfAttachment - Do not delete this line will not be printed
StartOfAttachment - Do not delete this line will not be printed

EndOfAttachment - Do not delete this line will not be printed
File Ref: P/0031V01
File Name: AATender 04355 The Provision of Consultancy Services for the Kingsway Sporting Complex Infrastructure Redevelopment
Level 3 Approval by jan Date 15 April 2004
Level 2 Approval by jan Date 15 April 2004
Level 1 Approval by jan Date 15 April 2004.doc This line will not be printed dont delete
Responsible Officer: Director, Technical Services
Disclosure of Interest: Nil
Attachments: Nil
Author: Rob Korenhof
Meeting Date: 27 April 2004
StartStrip - This line will not be printed so do not delete
Issue
To consider Tender No 04355 for the provision of design/construction consultancy services for the Kingsway Sporting Complex Infrastructure Redevelopment Project.
Background
The City adopted a Master Plan for the Kingsway Sporting Complex (the Complex) at its meeting held on 14 October 2003 (Report CD03-10/03 refers). The Master Plan establishes guidelines for the future infrastructure redevelopment and upgrading of the Complex on a staged basis over eight years, with a total estimated cost in the order of $12 million, excluding consulting fees and contingency.
To implement this staged program Administration has sought tenders for the engagement of specialist design and contract administration consultancy services. The following disciplines are required, under the preferred leadership of a civil engineering consultant:
· Civil Engineering
· Electrical Engineering
· Traffic Engineering
· Structural Engineering
· Land Survey
· Geotechnical
· Landscape Architects
· Irrigation
· Environmental
To progress the staged program, a comprehensive consultancy orientated Tender Document was prepared in close consultation with Administration representatives by NS Projects Pty Ltd (NS Projects), a project management consultancy, with the document as tendered incorporating:
· General Conditions of Tendering (including selection criteria and assessment process).
· Outline Project Brief
· Scope of Works
· Scope of Consultancy Services
It is noted that the design of the building components of the Master Plan was excluded from the document, some $3 million worth of capital infrastructure, with each building project arising from the Master Plan to be actioned through the City’s usual budget process on its own merits. The document as tendered reflects this approach with the allowance for the provision of building footprints only to ensure each site is fully serviced, that is, provision of appropriate access, water supply, sewer, power, etc. As a consequence of this approach the successful tenderer will be responsible for the design, documentation and contract administration of approximately $9 million of work associated with infrastructure redevelopment and upgrading at the Complex (for the balance of this report referred to as the Project).
Detail
The Consultancy Services outlined in the Tender Document include work in the following five specific phases:
· Phase 1 Project Initiation
· Phase 2 Preliminary Design
· Phase 3 Detailed Design, Documentation and Tender
· Phase 4 Construction Contract Administration
· Phase 5 Defects Liability Administration
Phases 1 and 2 are to be completed as Stage 1 of the Project to cover all stages of the project works. It is the cost associated with this stage of the Project that needs initial funding approval, although the financial impact of the Tender itself extends beyond this financial limit, that is, the cost of undertaking the work forming Phases 3 through 5.
Phases 3 through 5 are to be carried out separately for each of the eight particular stages of the works, comprising Stages 2 to 9 of the Project. Each stage of works is provisionally to be initiated at the start of each new financial year, commencing 2005/2006 and concluding in 2012/2013 subject to Council funding approval as part of the usual budget process.
The Tender Assessment Panel (the Panel) comprised the following personnel:
· Manager Infrastructure Services
· Manager Leisure and Libraries
· Manager Contracts and Property, and
· Representative from NS Projects
It is advised that NS Projects’ commission with the City was extended to incorporate preparation for and attendance at the Industry Briefing, and participation on the Panel as an independent external technical adviser. This extension to the original commission has enabled a balanced decision making process to be followed within the Panel, ensuring probity from both an internal and external perspective.
The following key milestones have applied in the Tender Process to date:
· Tender advertised in The West Australian on 21 February 2004.
· Compulsory Industry Briefing presented by the City and NS Projects personnel at the City’s offices on 4 March 2004.
· Tenders closed at the City’s offices at 3.00pm on 16 March 2003 with the receipt of submissions from the following consultancies:
- Connell Wagner Pty Ltd (Connell Wagner)
- Worley Pty Ltd (Worley)
- Sinclair Knight Merz (SKM)
- GHD Pty Ltd (GHD)
- Wood & Grieves Engineers (Wood & Grieves)
· Individual Panel member assessments of written proposals concluded, with a Panel conference held on 31 March 2004 to determine consensus on initial weighted criteria rating scores and interview shortlist.
· Short listed Tenderers advised and invited to interview on 1 April 2004.
· Interviews held with short listed Tenderers on 5 April 2004.
The format for tender assessment to be followed was clearly described in the Tender Document and applied at three levels:
· Level 1 - Contractual Terms and Conditions and Other Requirements of the Tender Documents
As a prerequisite to appointment the following matters had to be covered in the Tender as submitted:
a) Acceptance by each Tenderer of the Tender Document as advertised.
b) Provision of insurance certificates in accordance with the requirements of the tender Document.
c) Disclosure of any conflicts of interest.
d) Acknowledgement of any Tender Addenda issued (none were issued in this instance)
· Level 2 – Weighted Assessment Criteria
The Tenderer was requested to provide responses to the following weighted criteria:
a) Organisation and Communication (Weighting of 5%)
b) Company’s Experience and Resources (Weighting of 30%)
c) Personnel (Weighting of 30%)
d) Methodology (Weighting of 30%)
e) Management Systems (Weighting of 5%)
· Level 3 - Fees and Value for Money
This evaluation was not weighted, with Tenderers required to provide a two staged fee proposal. Firstly, a lump sum fee (includes a provisional sum for Phase 2 Geotechnical investigation) to cover Stage 1 works, and secondly, fee curves on a discipline by discipline basis for the provision of Consultancy Services associated with the work described in the Tender for Stages 2 through 9. It is noted that the Tender Prices as submitted were not to be disclosed until completion of the technical evaluation by the Panel and agreement reached on the preferred tenderer.
The Panel assessed the tenders submitted in accordance with the three independent levels of evaluation included in the Tender as advertised. The application of the process resulted in a shortlist of three tenderers being invited for interview, they being:
· Connell Wagner
· SKM
· GHD
Following interviews, the Weighted Criteria Assessment matrix that had been prepared by consensus at the short listing stage was reviewed and scores adjusted to reflect further evidence of capability as presented at the interviews.
The final outcome of the Weighted Criteria Assessment in descending rank order was as follows:
· GHD
· SKM
· Connell Wagner
Connell Wagner rated below GHD and SKM as a result of scoring lower than both in respect of organisation, experience, resources and personnel.
GHD demonstrated significant advantages relative to SKM, the second ranked Tenderer, in several areas. In summary:
Organisation and Communication
· Closer involvement of the Project Director in project leadership.
· Recognition of changing resource demands as the project moves from design to construction (specialist construction person nominated).
· Nominated Sports Turf Technology as a specialist team member (SKM offered to engage a turf specialist but did not nominate one).
· Inclusion of specialist project cost and programming personnel.
· Succession planning was presented in more detail.
Company Experience and Resources/Personnel
· Risk/security emphasis and specialist resourcing offered by GHD in addition to standard disciplines (not covered by SKM).
· Project Director role quite active in meetings and strategic client liaison, workshop facilitation, etc.
· Recent very relevant experience by the same GHD team at the Perth Foreshore Irrigation Project involving several of the same project elements.
· Willingness to challenge the Master Plan from the right perspective in areas such as design detail and staging, as required by the brief. SKM had more of a focus on the direct delivery of the Master Plan as currently documented.
Methodology
· GHD provided detailed analysis and commentary on staging options.
· An integrated contracting strategy was considered to minimize staging interface issues.
· Focus on planning, design and construction issues by GHD showed a higher likelihood of innovation and value adding overall than the SKM team appeared to offer.
Following the above assessment, it was considered that GHD and SKM should be subject to Fees and Value for Money review as per Level 3 of the format for tender assessment as described in the Tender Document (with Connell Wagner held in reserve). The Tender Prices as submitted were then presented to the Panel. The outcome of this stage of the assessment indicated that GHD had submitted the lowest overall Total Fee of the Tenders received and furthermore, was over $200,000 below the SKM Total Fee.
This provided confidence that the GHD total fee is market related and realistic in supporting the required level of service (ie: not too low). It is also noted that all the total fees as submitted fell within the expected range for a project of this nature.
In summary, based on the combined assessment of weighted criteria and value for money, GHD is considered by the Panel to be the preferred Tenderer.
Comment
The Panel recommends that GHD be selected as the preferred consultant for the for the provision of consultancy services for the Kingsway Sporting Complex Infrastructure Redevelopment Project and be engaged for Phase 1 of the services based on the following concluding comment:
· Superior Organisation, Experience/Resources, Personnel and Methodology.
· Competitive Management Systems, equal to other Tenderers.
· Lowest fee.
· Overall best value for money.
The Tender Document also provides appropriate “break” clauses that will allow for delay or cancellation of the Contract in the event that future stages (ie: beyond Stage 1) of the Project are either;
· delayed as a result of funding not being approved by Council in any one particular financial year; or
· due to a future decision of Council, work on the Project is no longer to proceed.
The Manager Contracts and Property, also a member of the Panel, has reviewed the tender compliance and assessment and endorses the recommendations of this report.
Statutory Compliance
Application for Development Approval for the Project as a whole is still to be actioned through the City’s Approval Services. It is intended that an all-encompassing approval be sought to give a degree of certainty for the Project over the term of its duration. In approaching the Development Approval in this way, works must be undertaken in a manner that assures reasonable progress is made towards reaching the final outcome, if not, then the approval will lapse.
It is noted that applications for Development Approval for building related works will still be required to be actioned on a project by project basis, hence only building footprints will be identified in the application for Development Approval as proposed.
Strategic Implications
The provision of consultancy services for the Kingsway Sporting Complex Infrastructure Redevelopment Project is congruent to the City’s Strategic Plan (2002-2005) and the following goals and strategy:
“Healthy Communities
2.6 Provide and manage infrastructure to meet the needs of our community.
2.7 Provide community focused services and lifestyle opportunity.”
Policy Implications
Nil
Financial Implications
A summary of Tender Fees as submitted follows:
Tenderer Stage 1 Fee Stage 2 to 9 Fee Total Fee
GHD $214,697 $558,070 $772,767
SKM $258,145 $728,480 $986,625
Connell Wagner $209,565 $563,560 $773,125
Worley $184,958 $716,400 $901,358
Wood & Grieve $154,847 $771,600 $926, 447
As previously outlined, Phases 1 and 2 are to be completed as Stage 1 of the Project and will determine the extent of work, identify timing constraints, develop preliminary design scenarios and associated cost estimates that will set a clear staged program for the development/upgrading works to be undertaken at the Complex. It is the cost associated with this stage of the Project that needs funding approval although the financial impact of the Tender itself extends beyond this cost.
Work beyond Stage 1 of the Project, that is, Stages 2 through 9, are to be initiated at the start of each new financial year, commencing 2005/2006 and concluding in 2012/2013 subject to Council funding approval as part of the usual budget process.
The actual cost of Consultancy Services arising from Stages 2 through 9 is based on fee curves. Each tenderer was requested to base their fee for Stages 2 through 9 on cost estimates arising out of the Master Plan (a spreadsheet in this regard formed part of the Tender Documents). The actual fee arising out of any one component of work is finalised on the basis of approved construction drawings and an associated construction cost estimate prior to advertising the proposed installation/construction work for tender, hence the total fee of $772,767 as submitted by GHD. However, it is advised that the total fee needs to be considered as indicative and will change with time subject to changes in unit rates utilised for the preparation of construction cost estimates (ie: the change in unit rates is market driven over time). Furthermore, funding of each stage of work is subject ultimately to Council’s approval of future Capital Works budgets on an annual basis.
The following table identifies all costs associated with the project.
|
Kingsway Sporting Complex Infrastructure Redevelopment Project- |
||
|
Description |
Cost to Complete the Works |
Funding |
|
Project Funding – Project No 4541 |
|
$400,000 |
|
Project Funding – Project No 4060 |
|
$50,000 |
|
Project Funding – Project No 1800 |
|
$71,170 |
|
NS Projects Pty Ltd - Tender Documentation Preparation |
$6,000 |
|
|
NS Projects Pty Ltd – Industry Briefing |
$2,300 |
|
|
$6,000 |
|
|
|
Capital Works Project Management |
$20,000 |
|
|
Tender Advertisement & Administration Costs |
$3,500 |
|
|
Conforming Tender (Stage 1 Only) – GHD Pty Ltd |
$214,697 |
|
|
Design Contingency |
$50,000 |
|
|
$302,497 |
$521,170 |
|
Given the outcome of the Tender being addressed in this report and as it is not programmed to implement any of the physical works until 2005/2006, unexpended funds totalling $218,673 are available for expenditure on the Project. In this instance it is noted that design and subsequent staged construction of the Badminton/Netball Carpark can now proceed (Recommendation 5 of Report CD03-10/03 refers).
Administration has prepared a concept design in this regard and is currently in consultation with both the Badminton Association of WA and Wanneroo & Districts Netball Association Inc. Subject to endorsement of the concept design from both parties it is recommended that formal design then be pursued on a high priority basis with GHD and in parallel with Stage 1 of the Project. The associated Consultancy Services fee for the work will be paid in accordance with the relevant fee curves submitted in their Tender.
It is also noted that three Kingsway Sporting Complex Capital Works Projects are separately listed in the 2003/2004 Capital Works Budget, they being Project Nos 1800, 4060 and 4541 as noted in the table above. In this instance it is recommended that they be amalgamated into one project with the suggestion that the budgets allocated to Project Nos 1800 and 4060 be transferred to Project No 4541, thereby resulting in a combined budget of $521,170.
Voting Requirements
Simple Majority
EndStrip - This will not be printed so do not delete
Recommendation
That Council:-
1. ACCEPTS Tender No 04355 from GHD Pty Ltd for the provision of consultancy services for the Kingsway Sporting Complex Infrastructure Redevelopment Project on the following basis:
a) Acknowledges an estimated long-term financial commitment by the City of $772,767 being the total fee for the provision of consultancy service over the term of the Contract if all stages are approved.
b) Approves expenditure of $214,697 being the fee for the provision of consultancy services associated with Stage 1 (ie: Phases 1 and 2) of the Project.
2. ACKNOWLEDGES an allowance of $50,000 in budget as a Contingency Sum to cover unforseen events that may result in design variations arising from site investigation work, with expenditure subject to the Director Technical Services’ approval.
3. APPROVES, subject to endorsement of the concept design prepared for the Badminton/Netball Carpark from both the Badminton Association of WA and Wanneroo & Districts Netball Association Inc., a variation to the tender as awarded to GHD Pty Ltd to proceed with the formal design of the carpark in parallel with Stage 1 works.
4. NOTES the following budget variation to amalgamate three separately approved project budgets allocated to the Kingsway Sporting Complex in the 2003/2004 Capital Works Budget:
|
Cost Code |
From |
To |
Description |
|
Project No 1800 |
$71,170 |
|
Kingsway Sporting Complex Master Plan Implementation |
|
Project No 4060 |
$50,000 |
|
Kingsway Sporting Complex – Stage 1 |
|
Project No 4541 |
|
$121,170 |
Kingsway Sporting Complex Upgrade (Stage 1) |
EndOfRecommendation - This line will not be printed Please do NOT delete
File Ref: C04346V01
File Name: AATender No 04346 the Supply and Delivery of One Full Forward Control Tip Truck of 15 000kg Gvm and Three Tandem
Level 4 Approval by jan Date 15 April 2004
Level 3 Approval by jan Date 08 April 2004
Level 2 Approval by jan Date 07 April 2004
Level 1 Approval by jan Date 07 April 2004Axl.doc This line will not be printed dont delete
Responsible Officer: Director, Technical Services
Disclosure of Interest: Nil
Author: David McKenna
Meeting Date: 27 April 2004
Attachments: Nil
StartStrip - This line will not be printed so do not delete
Issue
To consider the assessment and recommendation of Tender No 04346 – The Supply and Delivery of One Full Forward Control Truck of 15,000kg GVM and Three Tandem Axle Tip Trucks of 22,500kg GVM.
Background
Single axle truck plant number 96382 and tandem axle trucks 97692, 97693 & 97694 were all purchased in February 1996 and are utilised by the Operations Unit for construction and maintenance works.
The City’s Plant Replacement Program was developed by taking into consideration benchmarked replacement periods used in the transport industry for specified items of plant. Subsequently, the City’s Plant Replacement Program recognizes that the nominal replacement interval for these types of trucks is eight years. On this basis provision was made in the City’s 2003/2004 Program to replace these items of plant.
The Program is reviewed on an annual basis and the items of plant due for replacement are assessed to ascertain their current condition, operational performance and recent maintenance history. The outcome of this assessment may result in the requirement to replace the item of plant earlier or later in the program.
The trucks have recently been assessed and it was recommended that they should be replaced as it is considered that major repairs will be required in the near future. Plant No 96382 is a single axle tip truck and has travelled approximately 127,000kms. Plant Nos 97692, 97693 and 97694 are Tandem Axle Tip Trucks and have travelled 200,798kms, 192,280kms and 201,461kms respectively by 12 March 2004. The tipping bodies are starting to show signs of fatigue and corrosion and will require major repairs and repainting in the near future.
Detail
Tender No 04346 was advertised on 10 January 2004 and closed on 28 January 2004. Four tenders were received.
The Tender Evaluation Team comprising the Fleet Coordinator, Supervisor Parks, Supervisors Engineering Construction and the Fleet Officer, have evaluated the tenders in accordance with the following assessment criteria as detailed in the tender document.
Whole of life cost inclusive of price for the vehicle offered;
Operational assessment; and
Mechanical assessment.
The following table details the tenders received and the purchase prices offered :-
Item 1 - The Supply and Delivery of One Full Forward Control Truck of 15,000Kg GVM
1 x Single Axle Tip Truck(Parks)
|
Tenderer |
Truck Offered |
Purchase Price |
Trade Price |
Changeover Price |
|
Major Motors |
Isuzu FTR 900 |
$99,480 |
$50,909 |
$48,571 |
|
W.A. Hino |
Ranger Pro 9 |
$95,721 |
$52,727 |
$42,994 |
|
Skipper Trucks |
Fighter FM65 |
$96,350 |
$48,180 |
$48,170 |
|
Flank Holdings |
N/A |
N/A |
$45,555 |
N/A |
Flank Holdings Pty. Ltd submitted a tender for the outright purchase only of plant number 96382.
Whole of Life costs inclusive of price for the vehicle offered and trade in prices
Whole of Life costs for the vehicles offered have been assessed as follows:-
The tender from Skipper Trucks for one Mitsubishi FM65 was assessed as having the lowest whole of life cost. When taking into account the trade in price, the tender from Skipper Trucks was still considered to provide the best value overall to the City.
The following table details the whole of life costs of the submissions received.
|
|
Major Motors |
WA Hino |
Skipper Trucks |
|
|
Isuzu FTR900 |
Ranger Pro 9 |
Mitsubishi FM65 |
|
Purchase Price |
$99,480.00 |
$95,721.00 |
$96,350.00 |
|
Estimated Resale |
$63,307.00 |
$62,009.00 |
$69,688.00 |
|
Capital Cost |
$36,173.00 |
$33,712.00 |
$26,662.00 |
|
Service Cost Labour |
$4,132.27 |
$4,308.70 |
$5,339.45 |
|
Parts |
$3,414.54 |
$2,561.60 |
$3,021.38 |
|
Service Cost |
$7,546.81 |
$6,870.30 |
$8,360.83 |
|
Whole of Life Cost |
$43,719.81 |
$40,582.30 |
$35,022.83 |
|
Less Trade |
$50,909.00 |
$52,727.00 |
$48,180.00 |
|
Total Cost |
($7,189.19) |
($12,144.70) |
($13,157.17) |
|
Score |
62.4% |
64.6% |
65.0% |
Operational Assessment
The City already owns identical or similar single axle tip trucks as offered in the tender. For this reason there was no requirement to arrange a demonstration of any of the vehicles. The operational suitability of the trucks was discussed with the Supervisor concerned. As the trucks are very similar in specification and features they all scored the same.
|
Rank |
Tenderer |
|
1 |
Skipper Trucks – Mitsubishi FM65 |
|
1 |
WA Hino – Hino Ranger Pro 9 |
|
1 |
Major Motors – Isuzu FTR900 |
Mechanical Assessment
The trucks are all very similar in mechanical specification and as such received the same score for the mechanical assessment.
|
Rank |
Tenderer |
|
1 |
Skipper Trucks – Mitsubishi FM65 |
|
1 |
WA Hino – Hino Ranger Pro 9 |
|
1 |
Major Motors – Isuzu FTR900 |
The overall ranking of the tenders for the Supply and Delivery of One Full Forward Control Truck of 15,000Kg GVM based on the whole of life cost, mechanical and operational assessment using the weighted score is:
|
Rank |
Tenderer |
|
1 |
Skipper Trucks – Mitsubishi FM65 |
|
2 |
WA Hino – Hino Ranger Pro 9 |
|
3 |
Major Motors – Isuzu FTR900 |
Item 2 – The Supply and Delivery of Three Tandem Axle Tip Trucks of 22,500 Kg GVM.
3 x Tandem Axle Tip Trucks(Construction)
|
Tenderer |
Truck Offered |
Purchase Price (ea) |
Trade Price (ea) |
Changeover Price (ea) |
|
Major Motors |
Isuzu CXZ385 |
$153,901 |
$82,727 |
$71,174 |
|
W.A. Hino |
Ranger Pro 50 |
$150,790 |
$72,727 |
$78,063 |
|
Skipper Trucks |
Mitsubishi FV51 |
$151,720 |
$72,730 |
$78,990 |
|
Max Winkless |
Volvo FM9 |
$169,889 |
$54,500 |
$115,389 |
|
Wagga Trucks |
N/A |
N/A |
$61,545 |
N/A |
|
Total Waste |
N/A |
N/A |
$75,200 |
N/A |
|
Flank Holdings |
N/A |
N/A |
$72,919 |
N/A |
The prices stated above include the option of fitting a rear mounted camera and monitor.
Wagga Trucks and Flank Holdings Pty. Ltd submitted tenders for the outright purchase only of plant numbers 97692, 97693 & 97694. The trade price from Wagga Trucks shown in the table above is an average cost, as they offered different prices for each of the three trucks.
Total Waste Disposal Pty submitted a tender for the outright purchase only of plant number 97694.
Whole of Life costs inclusive of price for the vehicle offered and trade in prices
Whole of Life costs for the vehicles offered have been assessed as follows:-
After an initial study of Max Winkless’s tendered prices, it was revealed that the Volvos could not be considered the best value for money option, regardless of the outcome of the detailed assessment and as such no further consideration was required to be given to this submission. The tender from Skipper Trucks for three Mitsubishi FV51’s were assessed as having the lowest whole of life cost. However, when taking into account the trade in price, the tender from Major Motors for three Isuzu CXZ385’s was considered to provide the best value overall to the City.
The following table details the whole of life costs of the submissions received.
|
|
Major Motors |
WA Hino |
Skipper Trucks |
|
|
Isuzu CXZ385 |
Ranger Pro 50 |
Mitsubishi FV51 |
|
Purchase Price |
$153,901.00 |
$150,790.00 |
$151,720.00 |
|
Estimated Resale |
$99,792.00 |
$91,560.00 |
$108,834.00 |
|
Capital Cost |
$54,109.00 |
$59,230.00 |
$42,886.00 |
|
Service Cost Labour |
$3,447.43 |
$5,432.31 |
$6,402.00 |
|
Parts |
$4,594.00 |
$4,043.95 |
$4,868.00 |
|
Service Cost |
$8,041.43 |
$9,476.26 |
$11,270.00 |
|
Whole of Life Cost |
$62,150.43 |
$68,706.26 |
$54,156.00 |
|
Less Trade |
$82,727.00 |
*$72,919.00 |
*$72,919.00 |
|
Total Cost |
($20,576.57) |
($4,212.74) |
($18,763.00) |
|
Score |
65% |
57.9% |
64.2% |
* Outright purchase price based on the tender submission by Flank Holdings Pty Ltd of $72,919.00.
Operational Assessment
A demonstration of the three lowest price trucks was arranged. The trucks were assessed on their ability to meet operational requirements and were scored on issues relating to road speed, noise under operation, visibility, ergonomics and operator comfort. This criterion represents 25% of the weighting applied and the following table details the rank of each tender.
|
Rank |
Tenderer |
|
1 |
Skipper Trucks – Mitsubishi FV51 |
|
2 |
WA Hino – Hino Ranger Pro 50 |
|
2 |
Major Motors – Isuzu CXZ385 |
Operators noted the pedal operated transmission brake in the Isuzu as a concern, as drivers who are unfamiliar with these trucks may inadvertently operate it. Operators considered that there was a possibility that the clutch brake could be accidentally engaged whilst traversing rough terrain on construction sites.
Reference checks were undertaken with eight local authorities, which have similar Isuzu trucks with pedal operated transmission brakes in their construction fleet. These references indicate that pedal operated transmission brakes were acceptable to the operators and did not result in any transmission faults.
Major Motors has advised that it is prepared to install a gearshift lever countershaft brake and disengage the pedal clutch brake to allay concerns of operators. In addition, Major Motors has confirmed that a comprehensive driver induction program will be conducted with the operators to ensure a full understanding of the new trucks and operating procedures in line with the manufacturer’s design parameters.
Mechanical Assessment
The City’s Fleet Services conducted a mechanical evaluation of the tandem axle trucks. They were rated on a number of mechanical areas such as access to service points, construction, engine, transmission, and dealer support. This criterion represents 10% of the weighting applied and the following table details the rank of each tender.
|
Rank |
Tenderer |
|
1 |
WA Hino – Hino Ranger Pro 50 |
|
2 |
Major Motors – Isuzu CXZ385 |
|
3 |
Skipper Trucks – Mitsubishi FV51 |
Spare parts back up was checked by obtaining details of three parts from each of the tenderers above. The Skippers parts had to be supplied from the eastern states, whereas WA Hino and Major Motors had parts available in W.A.
The overall ranking of the tenders for the Supply and Delivery of Three Tandem Axle Tip Trucks of 22,500 Kg GVM based on the whole of life cost, mechanical and operational assessment using the weighted score is:
|
Rank |
Tenderer |
|
1 |
Major Motors – Isuzu CXZ385 |
|
2 |
Skipper Trucks – Mitsubishi FV51 |
|
3 |
WA Hino – Hino Ranger Pro 50 |
Consultation
The Fleet Management Steering Committee has reviewed this report and supports the recommendations.
Comment
The Tender for Item 1 for one single axle tipper from Skipper Trucks is recommended, as the submission from Skipper Trucks scored the best in the overall assessment.
The Tender for Item 2, for three tandem axle tip trucks from Major Motors is recommended as the submission from Major Motors scored the best in the overall assessment.
It is therefore recommended that tenders be accepted as follows:
Item 1 - The Supply and Delivery of One Full Forward Control Truck of 15,000Kg GVM
|
Tenderer |
Vehicle |
Quantity |
Purchase Price |
Trade |
Changeover |
|
Skipper Trucks |
Mitsubishi FM65 |
1 |
$96,350 |
$48,180 |
$48,170 |
Including trade of plant number 96382 for a net change over price of $48,170.
Item 2 – The Supply and Delivery of Three Tandem Axle Tip Trucks of 22,500 Kg GVM.
|
Tenderer |
Vehicle |
Quantity |
Purchase Price (ea) |
Trade (ea) |
Changeover (ea) |
|
Major Motors |
Isuzu CXZ385 |
3 |
$153,901 |
$82,727 |
$71,174 |
Including the trade of plant numbers 97692, 97693 and 97694 for a net changeover price of $71,174 each vehicle.
The Manager Contract and Property has reviewed the tender compliance assessment process and endorses the recommendations of the report.
Statutory Compliance
Tenders have been invited and evaluated against the selection criteria in accordance with Section 3.57 of the Local Government Act and associated regulations.
Strategic Implications
The provision suitable trucks for operational purposes is consistent with the City Of Wanneroo’s Strategic Plan (2002-2005) goals and strategies:
“Healthy Communities
2.6 Provide and manage infrastructure to meet the needs of the community”
Policy Implications
Nil
Financial Implications
Costs associated with the tender compared to the budget are in the following table.
|
Tender |
Budget |
|||||||
|
Supplier Vehicle |
Trade Plant # |
Council Price |
Trade Price |
Change Over |
Gross Price |
Trade Price |
Change Over |
Budget Variance (under) |
|
Skipper Trucks FM65 |
96382 |
$96,350 |
$48,180 |
$48,170 |
$110,000 |
$40,000 |
$70,000 |
($21,830) |
|
Major Motors |
97692 |
$153,901 |
$82,727 |
$71,174 |
$148,000 |
$52,000 |
$96,000 |
($24,826) |
|
Major Motors |
97693 |
$153,901 |
$82,727 |
$71,174 |
$148,000 |
$52,000 |
$96,000 |
($24,826) |
|
Major Motors |
97694 |
$153,901 |
$82,727 |
$71,174 |
$148,000 |
$52,000 |
$96,000 |
($24,826) |
Voting Requirements
Simple Majority
EndStrip - This will not be printed so do not delete
Recommendation
That Council:-
1. ACCEPTS the part Tender No 04346 from Skipper Trucks for the supply and delivery of one Mitsubishi FM65 Single Axle Tip Truck and trade of plant number 96382 for a net change over price of $48,170.
2. ACCEPTS the part Tender No 04346 from Major Motors for the supply and delivery of three Isuzu CXZ385 Tandem Axle Tip Trucks and trade of plant numbers 97692, 97693 and 97694 for a net changeover price of $213,522.
EndOfRecommendation - This line will not be printed Please do NOT delete
File Ref: R21/0009V01
File Name: BAPT05 02 04 Traffic Issues Seagrove Boulevard Merriwa.doc This line will not be printed dont delete
Level 3 Approval by jan Date 15 April 2004
Level 2 Approval by jan Date 08 April 2004
Level 1 Approval by jan Date 08 April 2004
Responsible Officer: Director, Technical Services
Disclosure of Interest: Nil
Author: Glenn Shaw
Meeting Date: 27 April 2004
Attachments: 2
StartStrip - This line will not be printed so do not delete
Issue
To consider a petition regarding traffic issues in Seagrove Boulevard, Merriwa.
Background
A petition from 22 households in Seagrove Boulevard and 9 households within the surrounding area was received by Council at its meeting on 24 February 2004 raising the following issues:
1. The speed of traffic along Seagrove Boulevard, Merriwa between Mayne Way and Orara Way.
2. The extension of the school speed zone on Seagrove Boulevard from its current location to near Mayne Way with the extension to include the sharp bend. Speed zone to be reduced to 20 km/hr.
3. Request to undertake a traffic study for the consideration of the diversion of traffic along Hughie Edwards Drive to allow for safe crossing of Seagrove Boulevard by residents.
The area in question is still being developed and currently motorists access their residences in the estate via Seagrove Boulevard, Baltimore Parade and Hughie Edwards Drive, refer Attachment 1 for location plan.
Detail
Administration placed “Traffic Classifiers” to determine speeds and traffic volumes on Seagrove Boulevard during March 2004 in order to verify the claims of high speeds.
A summary of the data of the traffic counts is tabled as follows:
|
LOCATION |
Traffic Volumes AWT 2004 |
85TH Percentile Speed 2004 |
Mean Speed 2004 |
|
Seagrove Bvd (East of Marmion Ave) |
1,097vpd |
47km/h |
41km/h |
|
Seagrove Bvd (West of Mayne Way) |
741vpd |
54km/h |
46km/h |
|
Seagrove Bvd - Middle of Bend (between Mayne Way and Orara Way) |
649vpd |
36km/h |
32km/h |
|
Seagrove Bvd (South of Orara Way) |
690vpd |
45km/h |
40km/h |
|
Seagrove Bvd (South of Dalvik Ave) |
756vpd |
37km/h |
32km/h |
|
Seagrove Bvd (North of Hardwood Turn) |
470vpd |
54km/h |
44km/h |
|
Seagrove Bvd (North of Tomago Way) |
418vpd |
52km/h |
41km/h |
Traffic volumes shown in the above table are representative of the Average Weekday Traffic (AWT) with the indicated values being vehicles per day (vpd).
With reference to the above table, the 85th Percentile speeds and the mean speeds recorded for Seagrove Boulevard are moderate and fall within an acceptable speed range. On this basis Administration notes that police attention would therefore not be warranted. Traffic volumes on Seagrove Boulevard south of Dalvik Avenue are consistent with the function of the road hierarchy in that connectivity is provided between Marmion Avenue, Yardi Street, Mayne Way, Kirke Cove, Wedge Way, Orara Way and Sandy Lane.
Comment
In addressing the issue of speed for the “Bend” on Seagrove Boulevard between Mayne Way and Orara Way it is advised that the above information indicates that 85% of the motoring public are travelling at a speed of 36 km/hr or less through the bend.
With reference to the request for the extension of the school zone on Seagrove Boulevard to near Mayne Way, Administration would not support a 40 km/hr school speed zone extension due to enforcement times being limited to 7.30 to 9.00am and 2.30 to 4.00pm on school days only. However, the provision of 20 to 30 km/hr advisory speed signage installed on both approaches to the bend between Mayne way and Orara Way would raise awareness to the speed that motorists can safely negotiate this portion of Seagrove Boulevard - refer Attachment 2 for a more detailed location plan of the bend.
The petitioners request for “…a road survey completed to consider the diversion of traffic along Hughie Edwards Drive” is difficult to justify given the traffic volumes indicated above and furthermore, that there are still outstanding land development works to be completed. The construction of Connolly Drive between Hinchinbrook Avenue and Lukin Drive in 2004/2005 as part of the Brighton land development project will provide an alternative access to the estate in addition to Marmion Avenue. The recent connection between the northern and southern sections of Baltimore Parade will also provide an alternative means to disperse traffic through the estate.
In summary, Administration supports the petitioners request for a 20 to 30 km/h advisory sign at the “Bend” on Seagrove Boulevard between Mayne Way and Orara Way on both approaches to the bend. However, Main Roads WA is the approving authority for such requests and Council can only recommend its support in this instance. A request has been submitted to Main Roads WA for an assessment of this bend for installation of advisory speed signage.
The balance of the petitioners’ concerns are noted but further action in this instance is not considered to be warranted by Administration at this time.
Statutory Compliance
Nil
Strategic Implications
A request to Main Roads WA regarding the provision of advisory speed signage on Seagrove Boulevard is consistent with the City of Wanneroo’s Strategic Plan 2002-2005 goals and strategies:
“Healthy Communities
2.3 Support and encourage the delivery of a safe and effective transport network
2.4 To support safe and secure communities
2.6 To provide appropriate infrastructure to approve safety and security within the Community.”
Policy Implications
Nil
Financial Implications
Nil
Voting Requirements
Simple Majority
EndStrip - This will not be printed so do not delete
Recommendation
That Council:-
1. NOTES the information regarding traffic volumes and speeds in Seagrove Boulevard, Merriwa.
2. DOES NOT undertake any additional traffic studies for the purpose of diverting traffic along Hughie Edwards Drive, Merriwa.
3. NOTES that Main Roads WA has been requested to undertake a speed assessment of the bend on Seagrove Boulevard between Mayne Way and Orara Way, Merriwa for the purpose of installing advisory speed signage.
4. ADVISES the petitioner organiser of the results of the traffic volume and speed survey undertaken on Seagrove Boulevard in March 2004, along with Council’s decision.
5. UNDERTAKES a further review of traffic volumes and speeds on Seagrove Boulevard, following construction of Connolly Drive and connecting streets.
EndOfRecommendation - This line will not be printed Please do NOT delete
StartOfAttachment - Do not delete this line will not be printed

EndOfAttachment - Do not delete this line will not be printed
StartOfAttachment - Do not delete this line will not be printed

EndOfAttachment - Do not delete this line will not be printed
File Ref: S34/0004V01
File Name: DABulk Refuse Collection and Equipment Review.doc This line will not be printed dont delete
Level 4 Approval by jan Date 15 April 2004
Level 3 Approval by jan Date 08 April 2004
Level 2 Approval by jan Date 07 April 2004
Level 1 Approval by jan Date 07 April 2004
Responsible Officer: Director, Technical Services
Disclosure of Interest: Nil
Attachments: 1
Author: Robert Elliott
Meeting Date: 27 April 2004
StartStrip - This line will not be printed so do not delete
Issue
To consider a revised frequency for the Bulk Refuse Collection Service and the purchase of additional equipment.
Background
Council at its meeting on 1 July 2003 (TS04-07/03) requested a report on the provision of in-house equipment versus hire equipment for the bulk refuse collection. It also agreed in principle to changing the frequency of the Bulk Rubbish Collection Service to six monthly commencing in 2005.
Detail
The public consultation undertaken in conjunction with the development of the Strategic Plan identified a number of issues. To the question “Do you have any suggestions as to how waste removal services could be improved” the most significant response was:
More frequent verge collections 14%
In conjunction with the consideration of skip bins, market research was undertaken in May 2003. The survey tested the cost sensitivity of variations to the current service including increasing the frequency of collection. The results show that price is a significant issue representing 70% of the influence on the decision in relation to the level of service. The next main factor was the number of rubbish collections per year, which represented 21.4% of the influence on decisions.
Attachment 1 shows the percentage of households that would prefer two collections per year rather than the current collection frequency, as the cost of the additional collection increases. At the time, the estimated increased cost of two six monthly collections compared to one 10 monthly collection was $5.15 per property. At this price, the option is supported by 60.5% of residents. The break even point where a second collection no longer had majority support was $11.30 per year.
Report TS04 07/03 also addressed the extension of the service contract with the City of Joondalup until June 2009 and the opportunity it provided to plan for the long term efficiency of the service. Growth in the collection workload has been addressed by hiring contract equipment and labour, as the remaining period of the contract did not justify the purchase of additional trucks.
The contract extension now provides the certainty of workload to consider the purchase of additional trucks. Initial analysis of operating costs indicated that in-house equipment was more efficient than hire equipment and a further study was proposed to fully document the situation and consider funding sources.
Collection and Frequency of Type
As originally considered, the proposal to change the collection frequency was based on a combined junk and greens collection, with the low proportion of greens (13% by weight) separately recovered during the current bulk collection. Observation of the last collection cycle by the supervisor has determined that about half of the material put out for collection is branches and prunings. However, most people mix these greens with other rubbish to the extent that it is not practical to pick them up for separate collection. This level of greens contamination would warrant consideration of a separate greens collection.
There are environmental benefits from reducing the amount of green waste that is buried at Tamala Park. Operationally it is easier to do a single type of collection rather than having two collections teams work down each street collecting part of the rubbish. The introduction of an additional collection would be an appropriate time to implement such a change in the service.
Collection Equipment
Records for the period 1/7/03 to 30/12/03 show that the City collected 9618 tonnes of bulk rubbish using rear loader compactors.
The City owns four compactor units and these collected 4436 tonnes at an average cost of $46.22/tonne. This includes both labour and truck operating and capital recovery costs. The remaining 5152 tonnes were collected using hire equipment at an average cost of $64.01/tonne. The difference of $17.79/tonne gives an increase in operating cost for the period of $91,654 or $183,308 per year.
The difference in collection cost reflects the higher hourly rate paid for the trucks and the lower collection rate that can be achieved by these units. A comparison of vehicle hire rates (without operator) shows the City’s trucks cost $42/hour compared with a hire rate of $59/hour for private trucks. The City’s trucks collected 1.42 tonnes/hour compared with 1.32 tones/hour by the contract units.
Currently the City hires up to seven compactor trucks to help with the bulk rubbish collection. Based on the above collection rates it would require an additional 4.6 City of Wanneroo trucks working full time to collect the rubbish collected by contract trucks.
There are some additional factors to consider. The amount of rubbish put out during the study period was less than in previous years and these projections are based on the lower rate. This gives a conservative outcome and additional rubbish would be collected using contractors (as required) while any new equipment level was evaluated. The ongoing growth of Wanneroo also indicates that current equipment estimates will be conservative.
The City is currently operating on a 10 monthly collection schedule whereas the service contract with Joondalup calls for a nine monthly schedule. Improving the collection schedule would require approximately one additional collection vehicle.
The City is also proposing to change the bulk collection schedule for City of Wanneroo residents to a six monthly collection rather than 10 monthly. This requires about an extra 1.3 collection vehicles.
This would suggest the purchase of an additional six compactor trucks. However, the workload is not uniform and a smaller number of trucks with hire units covering the peaks would provide for optimum utilisation of Council vehicles.
The compactor trucks usually operate in teams of two along with a skid steer loader.
Consultation
Public consultation in the preparation of the Strategic Plan identified an interest in changes to the existing bulk rubbish collection service. The cost of any changes was raised as a significant issue for residents. A survey questionnaire was developed to determine cost sensitivity and a statistically significant sample of 401 residents of Wanneroo were polled during the month of May 2003.
Comment
Collection Frequency and Type
The next bulk rubbish collection in Wanneroo is scheduled to commence on 14 June 2004 and run to 10 September 2004. The following service will be undertaken from 4 April 2005 to 1 July 2005. This gives 24 weeks of collection in Wanneroo compared to the normal 13 weeks. There will be a corresponding reduction in the number of weeks worked in Joondalup and the income for that work.
The 2004/05 financial year has almost double the normal costs for the bulk collection due to the fact that two collections are programmed for the year. The introduction of two collections per year can be arranged with minimal disruption to the budget as costs are not expected to exceed those relating to the current service and actual operating costs can be accurately established for future years.
The updating of information on the bulk collection in Wanneroo has created the option for a dedicated greens collection rather than two mixed rubbish collections. This would significantly increase the tonnes of green waste that can be recycled. To function the service would need to only collect material that could be handled through the Wangara Greens Recycling Facility. This would include tree loppings and prunings but not bagged or boxed materials. Materials that are small enough to be containerised can be disposed of in the normal weekly rubbish cart. The other collection would be for junk and would not include greens.
A separate greens collection would increase the amount of material that the City is able to recycle from the bulk rubbish collection. A number of other councils in Perth now run separate greens collections for the same reason.
It had been proposed to start the new semi-annual collection in February 2005. If it is decided to have a greens collection it would be better to start in March as February is not an ideal time to prune trees.
Collection Equipment
There are significant savings to be made by undertaking the majority of the bulk collection with in-house equipment. There have been times when hire trucks have not been available and the City needs a net increase in collection capacity to meet its operating targets and particularly to undertake the proposed second collection while maintaining the collection commitment in Joondalup.
The analysis supports the immediate purchase of 6 additional compactor trucks and associated equipment but the funding requirement is significant and 4 units is suggested in this budget with the matter being further reviewed in the following years budget. On the figures available the 4 units could collect 8800 tonnes per year of bulk rubbish at a saving of $17.79 per tonne or $156,552 per year. Like all mobile plant, the hourly charge out rate includes depreciation so that the capital cost is recovered over the life of the unit and is separate from these operational savings.
The bulk trucks usually work in a team of two trucks and a skid steer loader that alternatively loads the trucks as they work from pile to pile down the street. The team also requires a trailer to transport the skid steer loader. The latest compactor trucks have a tail hitch so that they can pull a trailer rather than needing a separate truck to transport the skid steer loaders to the work site.
The cost of the capital equipment for a work group is:
$270,000 Rear loader compactor truck for bulk rubbish
$270,000 Rear loader compactor truck for bulk rubbish
$48,000 Skid steer loader
$20,000 Trailer for skid steer loader
$608,000 Total
The lead time for this equipment is significant, being 8 to 10 months from the calling of tenders. The normal budget process would see tenders called in August 2004 and the trucks delivered April to June 2005. Alternatively if Council approved the purchase of the items now, tenders could be called in May and the equipment delivered in December 2004 to February 2005. This would save an estimated $60,000 in operating costs and more importantly, ensure that the City has reliable access to the equipment needed to implement its Bulk Rubbish Collection programme.
Operating
The operating costs outlined above include labour and overhead costs. Waste Services currently has a staffing level of 38 full time drivers and 15 fixed term contract drivers. To fully man six new items of equipment would require an increase of seven fixed term contract drivers to a total of 22 fixed term drivers.
Marketing and Education
It will be necessary to undertake an effective marketing and education program to inform residents of the change in the Bulk Refuse Service. In addition to the Community Newspaper, this is expected to utilise a leaflet drop to all residents and new Bulk Refuse signs highlighting the new service.
Waste Management Advisory Committee
The Waste Management Advisory Committee considered this report at its meeting on 31 March 2004 and supported the recommendations to introduce a bi-annual bulk refuse collection service and purchase additional trucks and equipment.
Statutory Compliance
Changes to the use of Reserve Funds needs to be approved by an Absolute Majority or as part of the annual budget.
Strategic Implications
The provision of additional bulk refuse collections and the purchase of in-house equipment is consistent with the City of Wanneroo Strategic Plan (2002-2005) goals and strategies:
“Healthy Communities
2.1 Achieve an understanding of our community’s needs – present and future
2.6 Provide and manage infrastructure to meet the needs of our community
Corporate Management
4.3 Establish an organisation that is open, accountable and committed to customer service”
Policy Implications
The Bulk Rubbish Collection Service would change from a 10 monthly combined collection to a semi-annual collection, one being ‘junk’ and the other being ‘tree loppings and prunings’. Section7.1.1 - Waste Management of the Policy Manual will need to be updated through the Policy and Local Law Committee.
Financial Implications
A change to a semi annual collection in the 2004/05 financial year will not increase the cost of the bulk collection that year due to the second collection that is already scheduled. The estimated impact in the following year is that the per property cost will increase from $20.52 for the 9 monthly mixed collection to $29.66 for the two semi-annual segregated collections giving an increase of $9.14 per property.
This report proposes the purchase of the equipment needed for two bulk rubbish collection work groups at a cost of $1,216,000. The tenders will be called during May 2004 and the expenses incurred during the 2004/2005 financial year. The equipment will improve the efficiency of the Bulk Rubbish Collection Service and reduce collection costs by approximately $156,500 per annum which equates to $4.50 per property. The operating costs of the equipment and the wages for the drivers will be funded by a corresponding decrease in the use of hire equipment.
The purchase can be funded from the following Reserve Funds:
$608,000 Domestic Refuse Reserve
$500,000 Commercial Refuse Reserve
$108,000 Domestic Refuse – Plant Replacement Reserve
The Domestic Refuse Reserve and Domestic Refuse – Plant Replacement Reserve has sufficient funds for the initiative. The Commercial Reserve will depend on a portion of the estimated income during 2004/2005 to meet this expenditure, this is expected to be easily achieved.
As the expenditure is expected to be incurred during December 2004, the change of use of the reserve funds will be addressed in the 2004/2005 budget documents.
Voting Requirements
Simple Majority
EndStrip - This will not be printed so do not delete
Recommendation
That Council:-
1. AGREES to change the Bulk Refuse Collection from a 10 monthly mixed rubbish collection to biannual with separate junk and green (tree loppings) collections commencing with a green collection in March 2005.
2. APPROVES the calling of tenders for the following equipment with an estimated purchase price of $1,216,000:
$1,080,000 4 x Rear loader compactor trucks for bulk rubbish
$96,000 2 x Skid steer loaders
$40,000 2 x Trailer for skid steer loader
$1,216,000 Total
3. APPROVES the inclusion in the 2004/05 budget of $1,216,000 to cover this purchase to be funded from the following reserves:
$608,000 Domestic Refuse Reserve
$500,000 Commercial Refuse Reserve
$108,000 Domestic Refuse – Plant Replacement Reserve
4. NOTES that there will be a need to increase the staffing level in Waste Services by seven drivers to operate the new items of plant and equipment.
EndOfRecommendation - This line will not be printed Please do NOT delete
StartOfAttachment - Do not delete this line will not be printed

EndOfAttachment - Do not delete this line will not be printed
File Ref: SP/0040V01 to SP/0047V01
File Name: EAArterial Roads Associated With East Wanneroo Structure Planning Finalisation of Preliminary Design and Land Requir.doc
Level 4 Approval by jan Date 15 April 2004
Level 3 Approval by jan Date 08 April 2004
Level 2 Approval by jan Date 07 April 2004
Level 1 Approval by jan Date 07 April 2004
Responsible Officer: Director, Technical Services
Disclosure of Interest: Nil
Attachments: Nil
Author: Benny Chang
Meeting Date: 27 April 2004
StartStrip - This line will not be printed so do not delete
Issue
To consider the Preliminary Road Design and Land Requirement Plans for regional roads associated with and directly impacted by the East Wanneroo Structure Plans.
Background
In July 2001 Council endorsed the review and finalisation of the preliminary road design plans for regional roads associated with the East Wanneroo Structure Plans (Council Report W294-07/01 refers). These plans were previously developed in March 1995 by BSD Consultants in conjunction with the East Wanneroo Structure Planning Process but were never finalised and endorsed by Council.
Since the initial design of these roads, several changes relating to their design and impact on land requirements have been made, with the new plans modified to reflect all the changes made since the original plans were published. The new plans have now been endorsed by Administration through the drawing sign off process, with the documentation as prepared also including:
· New land requirement plans (road widening and road reservation plans) to accommodate the regional roads.
· Revised cost estimates for the construction of these roads and associated facilities.
Detail
The roads listed below represents the roads in question. The preliminary design and land requirements plan for these roads have been reviewed and prepared. The T1811 engineering drawing number series (a total of 98 drawings) is presented for Council’s endorsement, with a set of these drawings made available in the Elected Members Reading Room.
Roads that are already designated in the Metropolitan Region Scheme (MRS) as Other Regional Road Reservations but require amendments to be made include:
· T1811–01 to 16: Ocean Reef Road - Hartman Drive to Gnangara Road
· T1811–20 to 22 & T1811–35 to 36: Skeit Road - Hepburn Avenue to Gnangara Road
· T1811–23 to 25 & T1811–36 to 37: Hartman Drive - Gnangara Road to Ocean Reef Road
· T1811–50 to 58: Mirrabooka Ave - Hepburn Avenue to Ocean Reef Road
· T1811–60 to 69: Pinjar Road - Wanneroo Road to Clarkson Avenue
· T1811–100 to 109: Gnangara Road - Wanneroo Road to Mirrabooka Avenue
· T1811–130 to 141: Hepburn Avenue - Giralt Road to Alexander Drive
Sections of roads associated with the East Wanneroo Structure Plans that require designation as Other Regional Roads under the MRS are listed below:
· T1811–25 to 30 & T1811–37 to 40: Lenore Road - Ocean Reef Road to High Road
· T1811–90 to 94: Caporn Street - Pinjar Road to Wells Street
· T1811–120 to 124: Elliot Road - Paltara Road to Lenore Road
Sections of roads not forming part of East Wanneroo Structure Plans but necessary for future road widening as a result of urbanisation are listed below:
· T1811–30 to 34 & T1811–40 to 42: Franklin Road - High Road to Caporn Street
· T1811–80 to 86: Dundebar Road - Steven Street to Franklin Road
· T1811–90 to 94: Caporn Street - Wells Street to Franklin Road
Significant changes to roads already designated in the MRS are proposed for Mirrabooka Avenue between Gnangara Road and Ocean Reef Road, Gnangara Road between Wanneroo Road and Mirrabooka Avenue and Pinjar Road between Wanneroo Road and Clarkson Avenue. These plans will need to be approved by the Department for Planning & Infrastructure (DPI) prior to amendment being made to the MRS.
Council’s endorsement of these plans is necessary prior to submitting them to the DPI for its consideration/action of amendments to the current MRS as Other Regional Road Reservations.
Comment
The subject road plans are used by the City and developers to determine the alignment and land requirements for major roads in the area. Accordingly, they form the basis for the City making estimates of developer infrastructure contributions for Cells 1 – 8 in East Wanneroo.
It is imperative that these road alignments and land requirements are incorporated into the East Wanneroo structure plans and the Metropolitan Regional Scheme to ensure they are adequately protected and that all parties involved in the district are working with consistent information.
Accordingly, Council is requested to endorse the revised road plans and request that the DPI give similar consideration to these plans and pursue the necessary amendments to the MRS to amend existing Other Regional Road land requirements and reserve those roads currently not included in the MRS
Voting Requirements
Simple Majority
Recommendation
That Council:-
1. ENDORSES the City of Wanneroo T1811 engineering drawing number series depicting the preliminary road design and land requirement plans for regional roads as outlined below:
Roads that are already designated in the Metropolitan Region Scheme (MRS) as Other Regional Road Reservations but require amendments to be made include:
· Ocean Reef Road - Hartman Drive to Gnangara Road
· Skeit Road - Hepburn Avenue to Gnangara Road
· Hartman Drive - Gnangara Road to Ocean Reef Road
· Mirrabooka Ave - Hepburn Avenue to Ocean Reef Road
· Pinjar Road - Wanneroo Road to Clarkson Avenue
· Gnangara Road - Wanneroo Road to Mirrabooka Avenue
· Hepburn Avenue - Giralt Road to Alexander Drive
Sections of roads associated with the East Wanneroo Structure Plans that require designation as Other Regional Roads under the MRS are listed below:
· Lenore Road - Ocean Reef Road to High Road
· Caporn Street - Pinjar Road to Wells Street
· Elliot Road - Paltara Road to Lenore Road
Sections of roads not forming part of East Wanneroo Structure Plans but necessary for future road widening as a result of urbanisation are listed below:
· Franklin Road - High Road to Caporn Street
· Dundebar Road - Steven Street to Franklin Road
· Caporn Street - Wells Street to Franklin Road
2. FORWARDS the final drawings for the East Wanneroo Regional Roads to the Department for Planning and Infrastructure seeking its endorsement of the revised road plans with the necessary amendments being made to the existing Other Regional Roads and inclusion of the new roads in the Metropolitan Region Scheme as Other Regional Road Reservations.
EndStrip - This will not be printed so do not delete
File Ref: S17/0006V01
File Name: EABus Shelter Grant Scheme.doc This line will not be printed dont delete
Level 4 Approval by jan Date 15 April 2004
Level 3 Approval by jan Date 08 April 2004
Level 2 Approval by jan Date 07 April 2004
Level 1 Approval by jan Date 07 April 2004
Responsible Officer: Director, Technical Services
Disclosure of Interest: Nil
Attachments: 2
Author: Karen Delves
Meeting Date: 27 April 2004
Attachments: 2
StartStrip - This line will not be printed so do not delete
Issue
To consider a submission for funding of five “City of Wanneroo Bus Shelters” as part of the 2004/2005 Bus Shelter Grants Scheme promoted by the Department for Planning and Infrastructure through the Public Transport Authority (PTA).
Background
The PTA has called for submissions from Local Government Authorities for the third round of submissions closing 30 April 2004.
To date a total of ten approved “City of Wanneroo Bus Shelters” have been installed at various locations within the City as part of this scheme, primarily in the immediate vicinity of local shopping centres, commercial centres, arterial roads, park and community facilities – refer Council Report Nos. TS12-11/02 and TS06-03/02.
The average costs associated with the provision of each shelter to date is summarised in the following table.
|
ITEM |
COST |
|
Material supply, fabrication and installation |
$9,300 |
|
Concrete footing and slab |
$2,800 |
|
Tactile paving |
$700 |
|
AVERAGE COST PER BUS SHELTER |
$12,800 |
The actual cost per shelter is dependant on the extent of site works to be undertaken and generally varies within approximately plus/minus10% of the average.
Detail
On review of potential sites for location of the new bus shelter the following five sites have been identified and prioritised on the basis of primarily commercial location, ie: in the immediate vicinity of local shopping centres, secondly, located on the major road network where Adshel Bus shelters have not been installed due to Adshel’s criteria relating to advertising sight lines being compromised and thirdly, site upgrade.
Proposed Site |
Locality |
Priority |
Priority Basis |
|
Hughie Edwards Drive (N) adjacent to the RAAFA Village second entrance. |
Merriwa |
1 |
Retirement Village |
|
Greenpark Road adjacent to the Alinjarra Shopping Centre |
Alexander Heights |
2 |
Shopping Centre |
|
Wanneroo Road (E) Hart Court (N) |
Sinagra |
3 |
Major Road Network |
|
Wanneroo (E) south of Kingfisher adjacent to 294 Wanneroo Road |
Madeley |
4 |
Major Road Network |
|
Mirrabooka Avenue (E) Golders Way (S) outside Mercy College School Carpark. |
Koondoola |
5 |
Adjacent to College |
It is noted that all the sites as tabled above will result in replacement of the existing concrete bus shelters currently serving bus patrons.
At a maximum grant of $5,000 per shelter the City’s submission will be seeking grant funding totalling $25,000.
Copies of the design drawings for the “City of Wanneroo Bus Shelters”, Drawing Nos. T1845-1-1, Attachment 1 and T1845-2-1, Attachment 2, are attached to this report.
Consultation
Public comment will be sought by posting a notice of intent, detailing a picture of the new shelter, with a request for public comment. It is intended that this signage will be in place for a two-week period.
Comment
Subject to confirmation of funding by the PTA and Council’s subsequent approval of project funding in the 2004/2005 Capital Works Budget, tenders will be called for the supply and installation of the five “City of Wanneroo Bus Shelters” at locations as identified in this report.
The five concrete bus shelters that will be displaced as a result of this project will be relocated to sites within the bus transport network in accordance with the City’s Bus Shelter Installation Program. This program is developed on a continuing basis, primarily as a result of requests by residents, with shelters installed subject to site investigation, traffic sightline assessment, patronage data, and shelter availability within the City’s current stock. On the basis that these criteria are met, Administration then undertakes localised community consultation and subject to assessment of public consultation feedback, acts in accordance with the outcome arising.
Statutory Compliance
Nil
Strategic Implications
The outcome of Council’s consideration with respect to endorsement to the “City of Wanneroo Bus Shelter” submission to the PTA’s Bus Shelter Grant Scheme 2004/2005 supports the City’s of Wanneroo’s Strategic Plan (2002-2005 goals and strategies):
“Healthy Communities
2.1 Achieve an understanding of our community’s needs – present and future.
2.6 Provide and manage infrastructure to meet the needs of our community.”
Policy Implications
Nil
Financial Implications
A project budget of $65,000 is proposed for the installation of the “City of Wanneroo Bus Shelters” in accordance with design criteria laid out as part of the Bus Shelter Grant Scheme. Of the $65,000 allocated to the project, $25,000 is subject to confirmation of funding arising out of the PTA’s Bus Shelter Grant Scheme 2004/2005, with the balance of $40,000 subject to Council’s consideration of the draft 2004/2005 Capital Works Budget.
Voting Requirements
Simple Majority
EndStrip - This will not be printed so do not delete
Recommendation
That Council:-
1. ENDORSES the submission seeking $25,000 in funding from the Public Transport Authority Bus Shelter Grant Scheme 2004/2005 as part funding for the supply and installation of five “City of Wanneroo Bus Shelters” proposed at the following locations:
|
Proposed Site |
Locality |
Priority |
Priority Basis |
|
Hughie Edwards Drive (N) adjacent to the RAAFA Village second entrance |
Merriwa |
1 |
Retirement Village |
|
Greenpark Road adjacent to the Alinjarra Shopping Centre |
Alexander Heights |
2 |
Shopping Centre |
|
Wanneroo Road (E) Hart Court (N) |
Sinagra |
3 |
Major Road Network |
|
Wanneroo (E) south of Kingfisher adjacent to 294 Wanneroo Road |
Madeley |
4 |
Major Road Network |
|
Mirrabooka Avenue (E) Golders Way (S) outside Mercy College School Carpark. |
Koondoola |
5 |
Adjacent to College |
2. LISTS for consideration in the draft 2004/2005 Capital Works Budget an amount of $65,000 for five “City of Wanneroo Bus Shelters”, comprising $40,000 in Municipal Funds and the Public Transport Authority Bus Shelter Grant of $25,000.
EndOfRecommendation - This line will not be printed Please do NOT delete
StartOfAttachment - Do not delete this line will not be printed


EndOfAttachment - Do not delete this line will not be printed
File Ref: R/0002v01
File Name: GAFederal Government Roads to Recovery Program Revised Works Program.doc This line will not be printed dont delete
Level 4 Approval by jan Date 15 April 2004
Level 3 Approval by jan Date 08 April 2004
Level 2 Approval by jan Date 07 April 2004
Level 1 Approval by jan Date 07 April 2004
Responsible Officer: Director, Technical Services
Disclosure of Interest: Nil
Attachments: Nil
Author: Harminder Singh
Meeting Date: 27 April 2004
StartStrip - This line will not be printed so do not delete
Issue
To consider a revised Federal Government Roads to Recovery Program works schedule.
Background
The Federal Government Roads to Recovery Program commenced in 2000/2001 and will continue in its current format until 2004/05. Funding allocations to the City of Wanneroo are as per the following details:-
2000/01 $318,057
2001/02 $636,114
2002/03 $424,000
2003/04 $636,114
2004/05 $530,172
TOTAL $2,544,457
Detail
Council has approved the following projects for the four financial years (2000/01 to 2003/04) under this program since the inception of this Program in 2000/01:
|
Project No |
Description |
Budget |
Comments |
|
1159 |
Caffagio Cr and Senario Dr, Wanneroo |
$296,000 |
Completed during 2001/02 |
|
2130 |
Franklin Road – Shoulder Upgrade |
$428,122 |
Completed during 2002/03. |
|
1213 |
Rangeview Road Upgrade |
$319,796 |
Completed during 2002/03. |
|
3106 |
Quinns Rocks Streets |
$154,751 |
Completed during 2002/03.
|
|
3103 |
Mirrabooka Avenue – Beach Rd to Marangaroo Dr |
$816,114 |
Undertaken during 2002/03 and 2003/04 in conjunction with Municipal funding – completed project |
The guidelines for this program require the City of Wanneroo to submit a quarterly report to the Commonwealth Department of Transport and Regional Services with updates of the ‘works schedule’. Change of projects and scope of works is allowed under these guidelines. Council has reviewed this Program during the last four years, with the last review undertaken in February 2003 (Item TS14-02/03 refers).
As indicated above, four projects were fully completed in 2001/02 and 2002/03 and only one Project (Number 3103) – Mirrabooka Avenue (Beach Road to Marangaroo Drive) has been undertaken during the current financial year. This project had total funding allocations as tabulated below:
|
Year |
Municipal Funding |
Roads To Recovery Grant |
Total Budget |
|
2002/03 |
$140,000 |
$180,000 |
$320,000 |
|
2003/04 |
$94,486 |
$636,114 |
$730,600 |
|
TOTAL |
$234,486 |
$816,114 |
$1,050,600 |
Council was advised in February 2004 (Item TS08-02/04 refers) that a preliminary review has highlighted that upon completion of the outstanding works for this project, substantial funds will remain unexpended and the total expenditure for this project will be less than the budgeted project cost because of the reduced scope of works as explained below:
· The construction of nine bus embayments as proposed in the concept plan was not progressed after the detailed design investigation highlighted that due to the property accesses onto this section of road and existing power poles, it was extremely difficult to design compliant bus embayments. In addition, construction of new pathways and modifications of existing pathways were not required resulting in substantial savings.
· Expenditure of provisional sums totalling $110,000 for the upgrade of street lighting, modifications to existing services such as water mains, gas mains and electricity infrastructure has been minimal due to no change being required in the standard of street lighting and successful negotiations with Water Corporation resulting in modifications to water mains at no cost to the City.
· In the absence of detailed design, a contingency sum at a rate of 15% of the basic cost was included in the preliminary cost estimate. This estimate was based on the concept plan which included the bus embayments and service costs.
It was considered important for the City to complete the civil works component in Mirrabooka Avenue (Beach Road to Marangaroo Drive) using Roads to Recovery Program funds and to recoup these grant funds as per program guidelines as soon as practicable.
Since the preliminary review of the project expenditure for Project Number 3103 - Mirrabooka Avenue (Beach Road to Marangaroo Drive) in February 2004, the following budget variations have been implemented by transferring the municipal funding component to other projects as tabulated below:
|
Project No |
From |
To |
Description
|
Comment |
|
3103 |
$234,410 |
|
Mirrabooka Avenue (Beach Road to Marangaroo Drive) |
|
|
4111 |
|
$35,100
|
MRRP Road Rehabilitation Program – Flynn Drive |
Council resolution – Item TS08-02/04 |
|
4113 |
|
$90,550
|
Flynn Drive Shoulder Construction |
|
|
4108 |
|
$75,000 |
Mirrabooka Avenue Landscaping (Beach Road to Marangaroo Drive) |
Transferred to a separate project number for cost management purposes |
|
4109 |
|
$33,760 |
Joondalup Drive Dual Carriageway Project |
Council resolution – TS08-03/04 |
After these budget variations, Project Number 3103 – Mirrabooka Avenue (Beach Road to Marangaroo Drive) has the following funding:
|
Project No |
Municipal Funding |
Roads To Recovery Grant |
Total Budget |
|
3103 |
$76 |
$816,114 |
$816,190 |
Council was advised (Item TS08-02/04 refers) that upon completion of outstanding works for Project Number 3103 – Mirrabooka Avenue (Beach Road to Marangaroo Drive) a further report will be presented to Council on the final expenditure and seeking a review of the Roads to Recovery Program funding allocation. All works for the Project Number 3103 – Mirrabooka Avenue (Beach Road to Marangaroo Drive) have been completed and an expenditure review has highlighted funding savings as explained below:
|
Project No |
Municipal Funding |
Roads To Recovery Grant |
Total Budget |
Expenditure |
Savings |
|
3103 |
$76 |
$816,114 |
$816,190
|
$620,155 |
$196,035 |
In order to ensure the full utilisation of the Roads to Recovery grant, it is important for the City to review and add a new project to the ‘works schedule’. The Roads to Recovery Program grants are based on the conditions set out in the Commonwealth Roads to Recovery Bill 2000 which require Councils to maintain their expenditure on local roads. It is therefore necessary for the City to add a new project to the ‘works schedule’ instead of allocating the savings from this Program to an already approved project on the Capital Works Budget for 2004/05.
To enable early execution of works which do not require detailed design, it is proposed to add the Road Resurfacing Program Stage 2 project to the ‘works schedule’. Council considered a report concerning the allocation of funds in the Road Preservation Capital Works Program for the resealing of roads (Item TS14-04/03 refers) on 29 April 2003. At this meeting it was resolved:
“That Council: -
1) CONSIDERS the allocation of funds annually in the order of $400,000 (over and above the commitment of funds associated with the Metropolitan Regional Road Funding Program) in the City’s annual Capital Works Road Preservation Budget for the resealing of roads.
2) UNDERTAKES an annual review of the Road Resealing Program, prioritises the road resealing projects listed and presents an annual report on the revised program.
3) ENDORSES the Road Resealing Program as shown on Attachment 1 Table 1, effective as at April 2003 for review as part of Council’s consideration of the Draft 2003/2004 Capital Works Budget.”
Following this resolution, Project Number 4115 – Road Resurfacing Program, with a funding allocation of $400,000, was approved in the Capital Works Program for 2003/04. Since the roads that require reseal/resurfacing have been identified in the Council endorsed Road Resealing Program, it is proposed that the savings from Roads to Recovery grant be allocated to a new project in the second stage of the Road Resurfacing Program to undertake the resealing/resurfacing of roads as per the Council endorsed program. These works will be undertaken by utilising external contract resources under the existing contract arrangements.
The Road Resurfacing Program endorsed by Council on 29 April 2003 will continue in future years as part of the draft four year Road Preservation Capital Works Program.
The review of the Roads to Recovery Program will result in the following revised ‘works schedule’:-
|
Description |
Original Budget |
Proposed Budget |
Comments |
|
|
1159 |
Caffagio Cr and Senario Dr, Wanneroo |
$296,000 |
$296,000 |
No Change - Completed Project |
|
Franklin Road – Shoulder Upgrade |
$428,122 |
$428,122 |
No Change - Completed Project |
|
|
1213 |
Rangeview Road Upgrade |
$319,796 |
$319,796 |
No Change - Completed Project |
|
$154,751 |
$154,751 |
No Change - Completed Project |
||
|
3103 |
Mirrabooka Avenue – Beach Rd to Marangaroo Dr |
$816,114 |
$620,114 |
Reduction of $196,000 |
|
New Project -4120 |
Roads Resurfacing Program (Stage 2) |
Nil |
$196,000 |
New project |
Consultation
Nil
Comment
The detailed analysis of project expenditure for Project Number 3103 – Mirrabooka Avenue (Beach Road to Marangaroo Drive) has been undertaken to ensure that all necessary works are complete as per the detailed design. It is considered appropriate to utilise the Roads to Recovery grant to carry out road preservation of City’s road network and to amend the ‘works schedule’ accordingly. This will ensure that Roads to Recovery grant is fully utilised as per Program guidelines.
Statutory Compliance
Nil
Strategic Implications
The construction of these projects under this program is consistent with the City of Wanneroo Strategic Plan (2002/2005) goals and strategies:
“Healthy Communities
2.3 Support and encourage the delivery of a safe and effective transport network and
2.5 Provide and manage infrastructure to meet the needs of our community.”
Policy Implications
Nil
Financial Implications
The review of the ‘works schedule’ under Roads to Recovery Program does not present any additional financial liability for the City. However, following budget variations are necessary to accurately reflect the approved projects under these programs.
|
Cost Code |
From |
To |
Description |
|
Project No 3103 |
$196,000 |
|
Mirrabooka Avenue – Beach Rd to Marangaroo Dr |
|
Project No 4120 |
|
$196,000 |
Roads Resurfacing Program (Stage 2) |
Voting Requirements
Absolute Majority
EndStrip - This will not be printed so do not delete
Recommendation
That Council:-
1. NOTES the revised funding allocations under the Federal Government Roads to Recovery Program as detailed below:
|
Project No |
Description |
Proposed Budget |
Comments |
|
1159 |
Caffagio Cr and Senario Dr, Wanneroo |
$296,000 |
No Change - Completed Project |
|
2130 |
$428,122 |
No Change - Completed Project |
|
|
$319,796 |
No Change - Completed Project |
||
|
3106 |
Quinns Rocks Streets |
$154,751 |
No Change - Completed Project |
|
3103 |
Mirrabooka Avenue – Beach Rd to Marangaroo Dr |
$620,114 |
Reduction of $196,000 – Completed project |
|
New - 4120 |
Roads Resurfacing Program (Stage 2) |
$196,000 |
New Project with funding of $196,000 |
2. Pursuant to Section 6.8(1)(b) of the Local Government Act 1995, APPROVES by an ABSOLUTE MAJORITY, the expenditure of $196,000 from the Federal Government Roads to Recovery Program on the Road Resurfacing Program Stage 2 project.
3. NOTES the following budget adjustment to reflect the revision to the ‘works schedule’ to include the Roads Resurfacing Program –Stage 2 Project in the 2003/04 Capital Works Program
|
Cost Code |
From |
To |
Description |
|
Project Number 3103 |
$196,000 |
|
Mirrabooka Avenue – Beach Rd to Marangaroo Drive |
|
Project Number 4120 |
|
$196,000 |
Roads Resurfacing Program (Stage 2) |
EndOfRecommendation - This line will not be printed Please do NOT delete
File Ref: R/0014V01
Responsible Officer: Director, Technical Services
Disclosure of Interest: Nil
Author: Harminder Singh
Meeting Date: 27 April 2004
Attachments: Nil
File Name: GAPublic Access Ways Upgrade Program.doc This line will not be printed dont delete
Level 4 Approval by jan Date 15 April 2004
Level 3 Approval by jan Date 08 April 2004
Level 2 Approval by jan Date 07 April 2004
Level 1 Approval by jan Date 07 April 2004
StartStrip - This line will not be printed so do not delete
Issue
To consider the upgrade of public access ways in Wanneroo.
Background
The approved capital works program for 2003/2004 included an item for upgrade of public access ways (PAWs) in accordance with urban design guidelines. These funds have remained unexpended and this report considers a proposal to upgrade slab and bitumen public access ways to the in-situ concrete standard.
Detail
Council has approved funds in the capital works programs for the last two years for the upgrade PAWs which have not been supported for closure by the Department for Planning and Infrastructure (DPI), after consideration by Council. The upgrade for such PAWs is in accordance with the urban design guidelines and generally includes provision of in-situ concrete pathway, additional lighting and/ or landscaping.
The Capital Works Program for 2003/2004 included an item for the upgrade of PAWs and funds totalling $30,000 have been provided for this purpose in Project No 4181. To date no proposal has been developed to upgrade any PAW this year.
The only PAW which was considered by Administration for upgrade is the one connecting Sapling Way and Woodlands Grove, Hocking. Council supported an application from the four adjoining property owners for the PAW closure and advised the Land Asset Management Services of the Department for Planning and Infrastructure (DPI) to formally approve this application. However, DPI decided that this PAW is required for access to community facilities and must therefore remain open. Following DPI’s decision not to close this PAW, Technical Services investigated the possibility of a lighting upgrade at this PAW and sent letters to residents in the vicinity. Eight out of nine respondents opposed the lighting upgrade and this proposal has not progressed. It is understood that the four adjoining owners propose to pursue the closure of this PAW.
A query was raised at the briefing session on 20 April 2004 regarding any proposals to upgrade the PAW connecting Bendix Way and Colne Way, Girrawheen. Council resolved at its meeting on 27 September 2000 to not support the closure of this PAW and seek alternative ways to make this PAW safer for users and local residents. A check of records indicated that this matter has not been actioned. A review of this PAW and the associated public consultation with users and local residents will take some time and it is not likely that a resolution on any upgrading works will be achieved until 2004/2005.
As part of the investigations undertaken for the development of the 2004/2005 Capital Works Program, a number of concrete slab and bitumen PAWs have been identified as requiring upgrading to in-situ concrete standard. An item for upgrade of such PAWs to in-situ concrete standard will be listed for Council’s consideration in the draft four year Capital Works Program.
In the meantime, the following six PAWs in the locality of Wanneroo have been identified as requiring upgrade at the earliest opportunity due to safety issues:
|
Location |
Type |
|
Monarch Court to Taywood Drive, Wanneroo |
Concrete slabs |
|
Dallas Crescent to Clarkson Court, Wanneroo |
Concrete slabs |
|
Walgen Court to Wanneroo Road, Wanneroo |
Bitumen seal |
|
Nannatee Way to Wanneroo Road, Wanneroo |
Concrete slab |
|
Karimba Street to Mudalla Place, Wanneroo |
Bitumen seal |
|
Aubrey Court to Huntsville Court, Wanneroo |
Concrete slab |
Inspections of these PAWs have highlighted that significant maintenance is required to maintain safe service levels for the users. The estimated cost to upgrade these PAWs to a 1.8m wide, in-situ concrete standard is $28,700.
There are no current proposals to close these six PAWs and it is recommended that they be upgraded utilising funds provided in Project No 4181.
Consultation
Nil
Comment
Since no proposal has been developed to upgrade any PAWs this financial year in accordance with the urban design guidelines, it is appropriate to utilise available funds to upgrade those PAWs which require significant maintenance. This proposal will result in savings in maintenance costs associated with the maintenance of slab/bitumen PAWs and provide a safer facility for pedestrians/cyclists.
With regards the upgrading of the Bendix Way/Colne Way PAW, it is recommended that this project be listed with a high priority for consideration on the draft 2004/2005 Public Accessway Capital Works Program.
Statutory Compliance
Nil
Strategic Implications
The upgrading of PAWs is consistent with the City of Wanneroo Strategic Plan (2002/2005) goals and strategies:
“Healthy Communities
2.3 Support and encourage the delivery of a safe and effective transport network and
2.5 Provide and manage infrastructure to meet the needs of our community.”
Policy Implications
Nil
Financial Implications
Funds have been approved in the 2003/2004 Capital Works Budget for the upgrade of PAWs. The estimated cost of the proposed works is within the budget provision.
Voting Requirements
Simple Majority
EndStrip - This will not be printed so do not delete
Recommendation
That Council:-
1. APPROVES the upgrade of the following public access ways in Wanneroo to the in situ concrete standard, at a cost of $28,700 utilising the funds approved in Project No 4181 – Public Access Ways Upgrade:
|
· Monarch Court to Taywood Drive, Wanneroo |
|
· Dallas Crescent to Clarkson Court, Wanneroo |
|
· Walgen Court to Wanneroo Road, Wanneroo |
|
· Nannatee Way to Wanneroo Road, Wanneroo |
|
· Karimba Street to Mudalla Place, Wanneroo |
|
· Aubrey Court to Huntsville Court, Wanneroo |
2. LISTS for consideration in the draft 2004/2005 Public Accessway Capital Works Program, the upgrading of the Bendix Way/Colne Way, public accessway Girrawheen as a high priority.
EndOfRecommendation - This line will not be printed Please do NOT delete
File Ref: PR/0001V01
Responsible Officer: Director, Technical Services
Disclosure of Interest: Nil
Attachments: Nil
Author: Brett Carter
Meeting Date: 27 April 2004
File Name: GAThree Year Projection of Parks Operations Maintenance Requirements.doc This line will not be printed dont delete
Level 4 Approval by jan Date 15 April 2004
Level 3 Approval by jan Date 14 April 2004
Level 2 Approval by jan Date 14 April 2004
Level 1 Approval by jan Date 14 April 2004
StartStrip - This line will not be printed so do not delete
Issue
To consider the resource needs in Parks Operations to accommodate the growth of the City and the handover of new parks and landscaping infrastructure over the next three years.
Background
In the medium term of five years, it is predicted that Parks Operations will need to expand annually to accommodate an average of $500,000 of new maintenance per annum based on previous years.
The primary Parks Expenditure Account 4615 increased by $470,000 to $1,667,380 in the 2003/2004 financial year to service new park handovers throughout the year with an additional annual ongoing liability of $167,600 generated thereafter to account for the full impact of the staggered park handover timetable. This produces a baseline 2004/2005 parks maintenance budget figure of $1,834,980.
At its meeting held on 8 April 2003 (Report No TS09-04/03), Council adopted a recommendation that “an annual review be undertaken on the service delivery options for the maintenance of parks, landscapes and natural areas arising from land development and the City’s new initiatives.”
In this report an additional Parks Supervisor and 5 mowing personnel were foreshadowed as a necessary 2004/05 new initiative proposal to meet the forecast $550,000 increase in park maintenance demands in the 2004/2005 financial year.
At its meeting held on 25 November 2003 (Report No TS09-11/03 refers) Council approved well-defined parks classifications with corresponding service levels and maintenance cost liabilities applicable to each park category. In accordance with these definitions new parks are assigned the appropriate category and service level at handover, which determines the annual maintenance demands for each new park upon which budget maintenance expenditure forecasts are derived.
The City of Wanneroo maintains new developments after a standard establishment period by land developers of two summers, usually equivalent to two years. Most of these landscapes installed and maintained by land developers, which include parks, street gardens, roundabouts and other traffic management devices, are installed to assist in the sale of residential or commercial land.
At the completion of handover, all soft and hard landscapes become the responsibility of the City. For these maintenance works to be carried out, in addition to the current maintenance programme, either an annual increase in operating budget is required or the level of service will need to be reduced.
In addition, the completion of many capital works items, particularly the upgrade of dry parks to irrigated parks and the implementation of new policies require recurrent operating funds.
The maintenance of soft and hard landscapes is predominantly an intensive operation requiring labour, machinery, materials and small plant. These works are undertaken by a combination of day labour and contract services. Advantages of the City day labour workforce include flexibility and responsiveness. The use of contractors is required in many cases due to economies of scale, the requirement for specialised skills or equipment and the need to meet peak workloads.
Detail
Developer Provided Parks and Streetscape
Table 1 identifies all developer provided parks and streetscapes for which additional maintenance funds will be required in 2004/2005.
Table 1 – Summary of Additional Parks and Streetscapes
|
Suburb |
Maintenance Areas |
Estimated 2004/05 Maintenance Cost |
|
Banksia Grove |
Banksia Grove Stage 1 |
$2,500 |
|
Butler |
Various Parks (7) |
$60,000 |
|
Butler |
Streetscapes and Roundabouts |
$5,000 |
|
Carramar |
Carramar Park Stage 5a |
$12,000 |
|
Carramar |
Carramar Park Stage 5a |
$8,000 |
|
Carramar |
Carramar Park Stage 4 B, C & D |
$18,000 |
|
Darch |
Ashdale Gardens Stage 1 |
$36,000 |
|
Darch |
Ashdale Gardens 2a & 2b |
$4,000 |
|
Darch |
Landsdale Heights Stage 1 |
$4,500 |
|
Darch |
Landsdale Heights / Appleby Park |
$18,000 |
|
Hocking |
Hinckley Park |
$14,000 |
|
Mindarie |
Cooper Park |
$36,000 |
|
Pearsall |
East Road / Kemp Street (New) |
$3,500 |
|
Pearsall |
Busch Park Regency Gardens |
$15,580 |
|
Quinns Rocks |
Ocean Drive Park / Foreshore |
$7,000 |
|
Quinns Rocks |
Osprey Stage 10 |
$12,000 |
|
Wanneroo |
Wanneroo North Stage 2 |
$2,000 |
|
Sub Total |
|
$258,000 |
The estimated maintenance costs are based on the agreed service levels and rates per hectare as endorsed by Council at its meeting on 25 November 2003.
New Capital Works Maintenance
In addition to the above $258,000 for developer provided parks and streetscapes, the maintenance of new capital works projects implemented in 2003/2004 by the City, requires ongoing funding. A summary of the estimated new capital works maintenance costs is shown in Table 2.
Table 2 – Total New Capital Works Maintenance for 2004/2005
|
Suburb |
Maintenance Areas |
2004/2005 Maintenance Cost |
|
Alexander Heights |
Alexander Heights Community Centre |
$5,000 |
|
Alexander Heights |
Greenpark Road |
$500 |
|
Clarkson |
Anthony Waring Carpark |
$700 |
|
Clarkson |
Hester Avenue |
$20,000 |
|
Girrawheen |
Denston Way Public Access Way |
$2,000 |
|
Girrawheen |
Mirrabooka Avenue |
$10,000 |
|
Girrawheen |
Montrose Avenue |
$500 |
|
Girrawheen |
Montrose Park Conservation Fencing |
$1,000 |
|
Girrawheen |
Templeton Public Access Way |
$1,000 |
|
Koondoola |
Burbridge Roundabout |
$2,000 |
|
Lansdale |
Warradale Sport Floodlighting |
$500 |
|
Mandaley |
Hepburn Avenue |
$2,000 |
|
Mandaley |
Kingsway Netball Carpark |
$500 |
|
Marrangaroo |
Giralt Road |
$500 |
|
Marrangaroo |
Hepburn Avenue Streetscape |
$15,000 |
|
Marrangaroo |
Highclere Boulevard |
$500 |
|
Marrangaroo |
Hillcrest Road |
$500 |
|
Marrangaroo |
Paloma Park Skate Facility |
$4,000 |
|
Merriwa |
Merriwa Way Public Access Way |
$500 |
|
Mindarie |
Kinsale Park Conservation Fencing |
$1,000 |
|
Mindarie |
Mindarie Park Conservation Fencing |
$1,000 |
|
Mindarie |
Marmion Avenue Anchorage-Hester |
$38,100 |
|
Quinns Rocks |
Quinns Road Streetscape |
$1,000 |
|
Quinns Rocks |
Tapping Way Streetscape |
$500 |
|
Sinagra |
Boyagin Park |
$6,000 |
|
Sinagra |
Entry Statement |
$2,000 |
|
Streetscapes |
Black Spot and Traffic Calming |
$12,000 |
|
Two Rocks |
Shamrock Park |
$20,000 |
|
Various |
Four new barbeques |
$10,000 |
|
Wanneroo |
Ariti Avenue |
$1,200 |
|
Wanneroo |
Banyandah Boulevard |
$14,000 |
|
Wanneroo |
Corimba |
$500 |
|
Wanneroo |
Nannatee Park |
$10,000 |
|
Wanneroo |
Scott Road and High Road |
$500 |
|
Wanneroo |
Special Needs Playground |
$3,000 |
|
Wanneroo |
Wanneroo Youth Centre |
$5,000 |
|
Sub Total |
|
$192,000 |
The estimated actual budget amount for 2004/2005 is $192,000. It is noted that no allowance has been made for maintenance costs associated with new capital works items to be implemented as part of the 2004/2005 Capital Works Program.
Conservation Area Maintenance
The City’s conservation areas have not received adequate funding previously, mainly due to the lack of staff to identify and manage maintenance works in natural areas. The City in conjunction with the Perth Biodiversity Project produced a comprehensive report titled “City of Wanneroo Bushland Assessment 2003: Bushland Identification, Biodiversity Assessment and Prioritisation of Land Managed by the City of Wanneroo”.
This report identified a number of issues requiring urgent maintenance. A basic maintenance programme focussing on mainly weed control has been produced from this report and is shown in Table Four below.
Table 4 – Total New Conservation Maintenance for 2004/2005
|
Suburb |
Maintenance Areas |
Estimated Ongoing Yearly Maintenance Cost |
|
Koondoola |
Koondoola Regional Bushland |
$20,000 |
|
Wanneroo |
Yellagonga Regional Park |
$16,300 |
|
Gnangara |
Gnangara Lake Reserve |
$12,200 |
|
Quinns Rocks |
Quinns Rocks Caravan Bushland |
$10,200 |
|
Marangaroo |
Paloma Park |
$10,300 |
|
Mariginiup |
Lake Adams |
$8,350 |
|
Carabooda |
Bernard Park |
$9,450 |
|
Landsdale |
Alexander Park |
$7,300 |
|
Mindarie |
Kinsale Park Conservation Area |
$10,000 |
|
Marangaroo |
Marangaroo Conservation Reserve |
$8,000 |
|
Pinjar |
Pinjar Park |
$6,500 |
|
Gnangara |
Franklin Park |
$3,500 |
|
Mindarie |
Long Beach Park |
$5,500 |
|
Mariginiup |
Caporn Park |
$3,850 |
|
Quinns Rocks |
Gumblossom Reserve |
$4,000 |
|
Wanneroo |
Belgrade Park |
$6,750 |
|
Two Rocks |
Cassilda Park |
$4,800 |
|
Girrawheen |
Montrose Park |
$6,300 |
|
Quinns Rocks |
Mindarie Park |
$2,400 |
|
Alexander Heights |
Highview Park |
$3,900 |
|
Carabooda |
Doogarch Park |
$2,700 |
|
Carabooda |
Emerald Park |
$5,100 |
|
Landsdale |
Landsdale Park |
$3,400 |
|
Mindarie |
South Mindarie Foreshore |
$2,500 |
|
Mindarie |
North Mindarie Foreshore |
$3,300 |
|
Quinns Rocks |
Quinns Beach Foreshore |
$14,300 |
|
Two Rocks |
Two Rocks Foreshore |
$8,500 |
|
Yanchep |
Yanchep Foreshore |
$11,800 |
|
Sub Total |
|
$211,200 |
The $211,200 required for this maintenance work has been included as a new Strategic Initiative for Council’s consideration as it is an increase in service level to that which is currently being undertaken.
There is also a new Strategic Initiative to increase the Bushcare Officer from part time to full time in order to help manage the City’s conservation areas.
Infrastructure Asset Management
The area of asset management is a key focal point for local governments. Recent litigation claims against several councils in Western Australia and the eastern states have highlighted the need for effective asset maintenance programmes.
The City has a blend of ageing and new assets which are listed on the asset register. Many of these assets are replaced as part of the Parks Capital Works budget as they reach the end of their serviceable life. However, during the life of an asset, regular maintenance and inspections are required to not only produce preventative maintenance programmes but to limit Council’s liability should an accident occur. To limit liability, regular safety audits and maintenance programmes are required to be undertaken on all assets.
Many Councils in Western Australia have undertaken a minimum number of inspections of assets mainly due to a lack of resourcing in this area. However, with recent changes in the Australian Standards and increased levels of public liability claims and public expectations, a more comprehensive asset inspection programme is required.
Parks Operations currently conducts annual audits on playgrounds, playground softfall and sports floodlighting with irregular inspections of structures, paths, trees, seats and other assets. A recent annual park inspection by Parks Operations has established that a more comprehensive parks infrastructure audit is required.
It is estimated that an additional $190,000 would be required in the Parks maintenance budget to meet the asset management requirements outlined in Table 5. In order to meet this demand in the short term, it is proposed to train existing and new staff (proposed as 2004/05 Strategic New Initiative items) to undertake basic infrastructure audits. These audits will suffice in the interim, however a detailed review is required to determine ongoing expenditure levels.
A basic maintenance programme can be produced and undertaken using existing funding, however, this too is only acceptable in the short term as it will not meet current requirements. The estimated costs for undertaking safety audits and maintenance in 2005/2006 are shown in Table 5.
Table 5 – Total Safety Audit and Maintenance for 2005/2006.
|
Safety Auditing |
Comments |
Estimated Yearly Maintenance Cost |
|
Contractor Audit of Structures |
Annual Audit on Towers, Gazebos, Bridges and other structures. |
$20,000 |
|
Preventative Maintenance Programme of structures |
To comply with legislation, extend the life, protect asset and reduce risk / liability. |
$30,000 |
|
Contract Audit of Sports Floodlights. |
Annual Audit on Sports Floodlights |
$35,000 |
|
Preventative Maintenance Programme of Sports Floodlights |
To improve customer service and use energy efficiently. To extend the life and protect asset and reduce risk / liability |
$20,000 |
|
Contract Audit of Play equipment |
To comply with legislation, extend the life, protect asset and reduce risk / liability. |
$20,000 |
|
Preventative Maintenance Programme of Play Grounds |
To comply with Australian Standards. |
$40,000 |
|
Auditing & Preventive maintenance to softfall |
To comply with legislation and Australian Standards. |
$25,000 |
|
Sub Total |
|
$190,000 |
Comment
Parks Maintenance Operations
Parks Operations uses in-house labour, contracts and casual labour to undertake parks maintenance. This combination provides flexibility and efficiencies to meet the short-term and long-term maintenance demands.
A list of all contracts utilised in the Parks Operations area to supplement the day labour workforce to provide a cost effective and efficient maintenance service is outlined below:
· The Maintenance of Yanchep / Two Rocks parks and verges
· Tree Pruning
· Streetscape Maintenance
· Weed control
· Fencing - supply and erect
· Concrete - supply and lay
· Irrigation supply
· Irrigation pump and motor
· Bore Drilling
· Fertilising
· Golf Course Maintenance
· Firebreak maintenance
With the rapid growth in Parks Operations, new staff are required to undertake the field maintenance works, capital works projects, provide supervision of these works and to provide administration support for involvement with the preparation and review of standards, specifications and procedures.
Parks Operations Current Structure
The current structure of Parks Operations consists of a Coordinator Parks, Parks Operations Officer (Maintenance), Parks Operations Officer (Conservation), Parks Operations Officer (Projects), Parks Supervisor x 2, Bushcare Officer and 54 outside staff.
A two Supervisor structure exists, with each Supervisor supervising 27 outside staff plus contractors. The number of staff under each Supervisor is recognised as being considerably higher than the industry standard and as such the employment of a new Supervisor and Senior Leading Hand has been listed as a high priority for budget consideration by Council. Results of a survey of a number of other metropolitan Council conducted in November 2002 determined that the average number of staff per Supervisor is 17. There is no hard and fast rule for the number of staff per Supervisor as it depends on the tasks that the Supervisor is responsible for. However, the general consensus by Parks Operational staff is that 14 to 20 staff per Supervisor is appropriate to properly execute their duties.
Additional Staff Requirements
A needs analysis of Parks Operations using future maintenance forecasts, current service levels and maintenance practices has been undertaken. To adequately address the predicted maintenance works in the Parks Operations area, the level of staffing and resources needs to be increased. The increases in staff numbers that are forecast for the next three years in Parks Operations are shown in Table 6.
Table 6- Predicted Staff Requirements for next Three Years
|
Type of Staff Required |
2004-2005 |
2005-2006 |
2006-2007 |
|
Field Staff |
5 |
4 |
5 |
|
Apprentices/Trainees |
2 |
2 |
2 |
|
Administration / Supervisory Staff |
3 |
1.5 |
1.5 |
|
TOTAL |
10 |
7.5 |
8.5 |
These projections take into account that contract service delivery will also need to increase during the same period to provide a balanced and flexible mix of service delivery resources.
Additional Staff Requirements For 2004 - 2005
The Operations Unit has submitted the full and part time staff as new Strategic Initiatives as detailed in Table 7 for consideration in the 2004/2005 budget deliberations.
Table 7 – Summary of Additional Staff Requirements For 2004 – 2005
|
Title |
Duties |
Benefit |
|
Parks Operations Officer – Maintenance |
Full time Officer required to assist the Parks team with audits, contract administration, financial control and general maintenance programmes. |
Resources new growth operational needs and supervisory staff support demands |
|
Bushcare Officer |
Provide on-ground support and to undertake a number of tasks in conjunction with the community including weed control, water testing, education, seed collection, litter removal, planting and liaising with the public. |
A field based resource to provide the required defined levels of improvement necessary to natural bushland maintenance and to conduct various conservation projects. |
|
Parks Supervisor
|
Full time Supervisor to provide assistance to Parks team in specific areas of parks maintenance and in particular supervision of outdoor staff. |
Resources new growth operational needs and staff support demands |
|
Yellagonga Catchment Coordinator
|
Increasing the part time position to full time position to continue the work to support the Yellagonga Catchment Group. This is a shared cost arrangement with the City of Joondalup on a 50/50 basis |
Coordinate catchment management to enhance wetlands in Yellagonga including Lake Joondalup Regional Park, by raising public awareness and developing implementation strategies. Integrated approach to catchment management. |
|
Landcare Apprentice
|
Full time Landcare apprentice to assist bushcare team in all aspects of conservation maintenance.
|
A field based resource to provide the required defined levels of improvement necessary to natural bushland maintenance and to conduct various conservation projects. |
|
Horticulture Trainee |
One-year traineeship in horticulture, which was begun in April 2004. |
Provide skilled workforce to meet future operational requirements |
|
Senior Leading Hand – Horticulture |
Full time Senior Leading Hand to support new Supervisor with supervision and parks maintenance works. |
Provide on ground support to meet future operational requirements
|
|
Parks General Hands x 4
|
Four full time field based positions to undertake on ground maintenance works to meet maintenance demands associated with the many parks and reserves which are scheduled to be accepted by the City in 2004/2005. |
Provide on ground support to meet future operational requirements |
Although most staff recruitments will be required in September 2004, the appointment of the Landcare Apprentice and one General Hand can happen in January 2005. The Horticulture Trainee has already begun with the City.
Table 8 shows the timing of direct labour required to service the additional maintenance for Parks Operations.
Table 8 – Direct Labour Requirements for 2004/2005
|
Month |
Year |
Direct Labour Required |
|
April |
2004 |
1 (trainee) |
|
September |
2004 |
7 |
|
December |
2004 |
2 |
The allocation of the field staff will mainly be in the area of mowing maintenance.
Funding Proposal
Table 9 summarises the funding requirements for the proposed new staff required for 2004/2005. The staff, machinery and equipment costs have been included as Strategic Initiatives for consideration by Council for funding.
Table 9 – Summary of Proposed Staff and Equipment Capital Costs for 2004/2005
|
Proposed Staff Costs plus on Costs |
Proposed Machinery and Equipment Required |
Cost |
Total Cost |
|
|
Year One |
|
|
|
|
|
$46,000 |
Computer and stationery |
$2,700 |
$48,700 |
|
|
Bushcare Officer |
$35,055 |
Currently part time |
$0 |
$35,055 |
|
Parks Supervisor |
$46,000 |
Utility and tools |
$31,000 |
$77,000 |
|
Yellagonga Catchment Coordinator |
$35,000 |
Materials |
$2,068 |
$ 37,068 |
|
Landcare Apprentice |
$7,687 |
|
$0 |
$7,687 |
|
Horticulture Trainee |
$16,100 |
|
$0 |
$16,100 |
|
Senior Leading Hand – Horticulture |
$35,000 |
Dual Cab Utility and tools |
$30,000 |
$65,000 |
|
Parks General Hands x 4
|
$134,400 |
Mowing unit (Side lift truck, 2 x ride on mowers, edger, 2 x mowers, trailer, Deutcher mower) and 5 tonne truck |
$246,200 |
$380,600 |
|
$355,242 |
|
$311,968 |
$667,210 |
A review of the service delivery options for the maintenance of parks, landscape and natural areas will need to be undertaken on an annual basis due to the introduction of collaborative planning models, extended commitment to maintenance by developers, water restrictions etc
The new Strategic Initiatives that have been prepared for Council consideration in the 2004/2005 budget approval process are considered essential requirement to address new park maintenance liabilities during the 2004/2005 financial year.
Statutory Compliance
Nil
Strategic Implications
The maintenance of Council’s Parks and Reserves is consistent with the following City of Wanneroo Strategic Plan (2002-2005) goals and strategies:
“Environmental Sustainability
1.1 Conserve and enhance environmental assets
1.3 Support efficient use of water, energy and other sources
1.4 Foster a culture of environmental awareness, ownership and action within the community and the organisation”
“Healthy Communities
2.6 Provide and manage infrastructure to meet the needs of our community”
Policy Implications
Nil.
Financial Implications
The financial implications of new park handover maintenance liability commitments, safety requirements, audits, capital works project generated maintenance liabilities, conservation reserve maintenance initiatives, annual tender increases and increased supervision requirements associated with increased parks maintenance activity as they relate to the 2004/2005 Budget are summarised below:
Recurrent Maintenance Costs
· Developer provided parks and streetscape works for handover in 2004/2005 $258,000
· Capital works projects implemented in 2003/2004 $192,000
Total $450,000
It is proposed that those works be undertaken by a combination of day labour (refer new initiatives and Tables 7 – 9) and contracts as provided for in the draft 2004/2005 Parks Operating budget.
Conservation Area Maintenance
An amount of $211,220 has been listed for consideration by Council as a New Initiative for weed control in conservation areas. This is the start of what will become an annual program for the control of weeds in conservation areas. It is likely that the amount will increase as management plans are developed for each of the conservation areas.
Infrastructure Asset Management – Safety Audits
It is proposed during 2004/2005 to use staff to undertake safety audits and prepare preventative maintenance programs. The proposed new staff initiatives comprising a Parks Operations Officer (Maintenance) and Parks Supervisor will assist with those matters. The need for specialised assistance in these matters and the preparation of future preventative maintenance budgets will be addressed during 2004/2005.
While this summary highlights the financial implications to the 2004/2005 Budget, it needs to be accepted that those costs will become integral components of future Parks Operations budgets. They are not ‘once off’ expenditures, but will become recurrent costs and will need to be considered on an annual basis with expenditures associated with the growth of the City.
Voting Requirements
Simple Majority
EndStrip - This will not be printed so do not delete
Recommendation
That Council:-
1. Notes this report advising of additional costs to the City’s Annual Maintenance Program associated with handover of parks and landscape developments and other new works for 2004/2005.
2. CONSIDERS the funding of staff, machinery and equipment as part of the 2004/2005 Budget deliberations.
3. NOTES that an annual review will be undertaken on the service delivery options for the maintenance of parks, landscapes and natural areas arising from land development and the City’s new initiatives.
EndOfRecommendation - This line will not be printed Please do NOT delete
File Ref: S13/0002V01
File Name: BAWarrant of Payments For the Period to 31 March 2004.doc This line will
Level 4 Approval by Bruce Perryman Date 15 April 2004
Level 3 Approval by Bruce Perryman Date 14 April 2004not be printed
Level 2 Approval by Mike Cole Date 13 April 2004
Level 1 Approval by Juanita Lee Date 13 April 2004Please do NOT delete
Responsible Officer: Director, Corporate Services
Disclosure of Interest: Nil
Author: Juanita Lee
Meeting Date: 27 April 2004
Attachments: Nil
StartStrip - This line will not be printed so do not delete
Issue
Presentation to the Council of a list of accounts paid for the month of March 2004, including a statement as to the total amounts outstanding at the end of the month.
Background
Local Governments are required each month to prepare a list of accounts paid for that month and submit the list to the next Ordinary Meeting of the Council.
In addition, it must record all other outstanding accounts and include that amount with the list to be presented. The list of accounts paid and the total of outstanding accounts must be recorded in the minutes of the Council meeting.
Detail
The following is the Summary of Accounts paid in March 2004:-
|
Funds |
Vouchers |
Amount |
|
City of Wanneroo - Director Corporate Services Advance Account Cheque Numbers EFT Document Numbers |
43380-44159 50001525-50001666 |
$4,646,406.98
|
|
City of Wanneroo – Municipal Account |
16 and 31 Mar 04 |
$7,425,989.56 |
|
City of Wanneroo – Town Planning Scheme CELL 1 CELL 2 CELL 3 CELL 4 CELL 5 CELL 6 CELL 7 CELL 8 CELL 5 |
000003 000005 000006 000007 000008 000013 000007 000003 000001 |
$477.96 $246.40 $98.84 $525.38 $349.44 $666.12 $170.52 $265.45 $172,500.00 |
At the close of March 2004 outstanding creditors amounted to $1,265,789.35.
Consultation
Nil.
Comment
The list of cheques and the end of month total of outstanding creditors for the month of March is presented to the Council for information and recording in the minutes of the meeting, as required by the Local Government (Financial Management) Regulations 1996.
Statutory Compliance
Regulation 13(1) of the Local Government (Financial Management) Regulations 1996 requires a local government to list the accounts paid each month and total all outstanding creditors at the month end and present such information to the Council at its next Ordinary Meeting after each preparation. A further requirement of this Section is that the prepared list must be recorded in the minutes of the Council meeting.
Strategic Implications
Nil.
Policy Implications
Nil.
Financial Implications
Nil.
Voting Requirements
Simple Majority
EndStrip - This will not be printed so do not delete
Recommendation
That Council RECEIVES the list of cheques drawn for the month of March 2004, as summarised below:-.
|
Funds |
Vouchers |
Amount |
|
City of Wanneroo - Director Corporate Services Advance Account Cheque Numbers EFT Document Numbers |
43380-44159 50001525-50001666 |
$4,646,406.98
|
|
City of Wanneroo – Municipal Account |
16 and 31 Mar 04 |
$7,425,989.56 |
|
City of Wanneroo – Town Planning Scheme CELL 1 CELL 2 CELL 3 CELL 4 CELL 5 CELL 6 CELL 7 CELL 8 CELL 5 |
000003 000005 000006 000007 000008 000013 000007 000003 000001 |
$477.96 $246.40 $98.84 $525.38 $349.44 $666.12 $170.52 $265.45 $172,500.00 |
|
Warrant of Payments for the Month of March 2004 |
||||
|
|
|
|
|
|
|
City of Wanneroo - Director Corporate Services Advance Account |
||||
|
CHEQUE |
DATE |
VENDOR |
AMOUNT |
DESCRIPTION |
|
43380 |
03-Mar-04 |
CANCELLED |
$0.00 |
|
|
43381 |
03-Mar-04 |
CONTI'S RESTAURANT |
$91.00 |
INNOVATION AWARD 2003 - COMMENDATION AWARD (DINNER FOR TWO) |
|
43382 |
03-Mar-04 |
WHITFORD MARQUEE & PARTY HIRE |
$4,102.56 |
MARQUEE & PARTY HIRE EQUIPMENT - BROADWAY UNDER THE STARS AND LIVE 2004 - COMMUNITY DEVELOPMENT |
|
43383 |
03-Mar-04 |
UDIA |
$240.00 |
ATTENDANCE OF R ZAGWOCKI, R PEAKE & C WILLIAMS AT UDIA LUNCHEON AND AGM – 02/04/04 |
|
43384 |
03-Mar-04 |
MUE HECKLER |
$132.60 |
VOLUNTEER PAYMENT |
|
43385 |
03-Mar-04 |
OUTDOOR WORLD |
$100.00 |
REIMBURSEMENT OF DEVELOPMENT APPLICATION - PAID TWICE |
|
43386 |
03-Mar-04 |
NORTHERN SUBURBS BAILIFF |
$88.05 |
ISSUE SUMMONS - RATING SERVICES LEGAL FEES |
|
43387 |
03-Mar-04 |
QUINNS DEVELOPMENTS PTY LTD |
$38,337.27 |
RATES REFUND P/N204313 - DUE TO SUBDIVISION |
|
43388 |
03-Mar-04 |
6030 COMMUNITY CONNECT |
$2,200.00 |
COMMUNITY FUNDING ALLOCATION - OCTOBER 2003 ROUND |
|
43389 |
03-Mar-04 |
PEET & CO LTD |
$34,702.14 |
RATES REFUND P/N203285 - DUE TO SUBDIVISION |
|
43390 |
03-Mar-04 |
ABORIGINAL PLAYGROUP CASH FLOAT |
$70.65 |
PETTY CASH |
|
43391 |
03-Mar-04 |
SHIRLEY CAMPBELL |
$45.00 |
VOLUNTEER PAYMENT |
|
43392 |
03-Mar-04 |
COMMUNITY DEVELOPMENT SUPPORT PETTY CASH |
$189.95 |
PETTY CASH |
|
43393 |
03-Mar-04 |
MARANGAROO FAMILY CENTRE |
$1,100.00 |
COMMUNITY FUNDING ALLOCATION - OCTOBER 2003 ROUND |
|
43394 |
03-Mar-04 |
WANNEROO YOUTH CENTRE PETTY CASH |
$196.30 |
PETTY CASH |
|
43395 |
03-Mar-04 |
HOMESWEST |
$1,516.06 |
RATES REFUND P/ N204127 8 - DUE TO SUBDIVISION |
|
43396 |
03-Mar-04 |
MR & SR JOHNSON |
$241.60 |
RATES REFUND P/N202298 - OVERPAYMENT |
|
43397 |
03-Mar-04 |
N O'HEARN |
$30.00 |
VOLUNTEER PAYMENT |
|
43398 |
03-Mar-04 |
LORRAINE STEVENS |
$85.00 |
VOLUNTEER PAYMENT |
|
43399 |
03-Mar-04 |
S & L WESTON |
$100.00 |
REIMBURSEMENT OF DEVELOPMENT APPLICATION - WITHDRAWN |
|
43400 |
03-Mar-04 |
D & A LOSIK |
$100.00 |
REIMBURSEMENT OF DEVELOPMENT APPLICATION -WITHDRAWN |
|
43401 |
03-Mar-04 |
ELDERS REAL ESTATE |
$200.00 |
REIMBURSEMENT OF DEVELOPMENT APPLICATION - NOT REQUIRED |
|
43402 |
03-Mar-04 |
C MOGG |
$310.50 |
REIMBURSEMENT OF DEVELOPMENT APPLICATION - WITHDRAWN+E1041 |
|
43403 |
03-Mar-04 |
TJ & AM HODDER |
$300.00 |
VEHICLE CROSSING SUBSIDY |
|
43404 |
03-Mar-04 |
KM DICKINSON |
$300.00 |
VEHICLE CROSSING SUBSIDY |
|
43405 |
03-Mar-04 |
JS STODDART & KL NEVILLE |
$300.00 |
VEHICLE CROSSING SUBSIDY |
|
43406 |
03-Mar-04 |
RA LANG |
$300.00 |
VEHICLE CROSSING SUBSIDY |
|
43407 |
03-Mar-04 |
GA WHITE |
$300.00 |
VEHICLE CROSSING SUBSIDY |
|
43408 |
03-Mar-04 |
KR MAHURU & RL CESERY |
$300.00 |
VEHICLE CROSSING SUBSIDY |
|
43409 |
03-Mar-04 |
BM MURPHY |
$237.50 |
VEHICLE CROSSING SUBSIDY |
|
43410 |
03-Mar-04 |
TA TINSLEY |
$300.00 |
VEHICLE CROSSING SUBSIDY |
|
43411 |
03-Mar-04 |
SI WEERATUNGE |
$300.00 |
VEHICLE CROSSING SUBSIDY |
|
43412 |
03-Mar-04 |
SANIMAH MOHAMED-ZAINI |
$300.00 |
BOND REFUND |
|
43413 |
03-Mar-04 |
JL & AK SPERRING |
$300.00 |
VEHICLE CROSSING SUBSIDY |
|
43414 |
03-Mar-04 |
SALLY KLEINMAN |
$300.00 |
VEHICLE CROSSING SUBSIDY |
|
43415 |
03-Mar-04 |
DE CLAYDEN |
$300.00 |
VEHICLE CROSSING SUBSIDY |
|
43416 |
03-Mar-04 |
A CLEEMAN |
$320.00 |
PERFORMANCE FOR SUPPORT AT POT-POURRI EVENT 20 & 21/02/04 |
|
43417 |
03-Mar-04 |
L ROWNTREE |
$300.00 |
PERFORMANCE FOR SUPPORT AT POT-POURRI EVENT 20 & 21/02/04 |
|
43418 |
03-Mar-04 |
LGCSA EXECUTIVE |
$275.00 |
ASSOCIATION CORPORATE MEMBERSHIP - G PRUS, COMMUNITY SERVICES |
|
43419 |
03-Mar-04 |
J MORRIS |
$40.00 |
DOG REGISTRATION REFUND - STERILISED |
|
43420 |
03-Mar-04 |
D STEPHENS |
$6.00 |
DOG REGISTRATION REFUND - DECEASED |
|
43421 |
03-Mar-04 |
Y CARTER |
$20.00 |
DOG REGISTRATION REFUND - STERILISED |
|
43422 |
03-Mar-04 |
F BONHAM |
$12.00 |
DOG REGISTRATION REFUND - DECEASED |
|
43423 |
03-Mar-04 |
WANNEROO LOCAL HARVEST |
$500.00 |
BOND REFUND |
|
43424 |
03-Mar-04 |
AUST AIRCONDITIONING SERVICES PTY LTD |
$960.96 |
AIRCONDITIONING SERVICE - DEPOT FIRE SERVICES & AQUAMOTION |
|
43425 |
03-Mar-04 |
AAA PRODUCTION SERVICES |
$8,318.31 |
PRODUCTION EQUIPMENT FOR BROADWAY UNDER THE STARS |
|
43426 |
03-Mar-04 |
BOUNCE AWAY |
$130.00 |
SUPERVISED BOUNCER FOR A DAY IN THE SHED - SAFER CITIZENS PROGRAM EVENT |
|
43427 |
03-Mar-04 |
GLAZEWELL P/L |
$2,689.43 |
REPAIR/REPLACE GLASS AT VARIOUS CITY FACILITIES |
|
43428 |
03-Mar-04 |
HUGALL & HOILE |
$4,837.24 |
RETICULATION SUPPLIES - PARKS DEPARTMENT |
|
43429 |
03-Mar-04 |
ICON OFFICE TECHNOLOGY |
$253.46 |
PHOTOCOPIER METER READING FOR VARIOUS DEPARTMENTS |
|
43430 |
03-Mar-04 |
JOBS WEST |
$16,500.00 |
MANAGEMENT/PROJECT FEE FOR ECO DETOUR, 01/09/03-30/08/04 - ECONOMIC DEVELOPMENT |
|
43431 |
03-Mar-04 |
LAWRENCE & HANS0N |
$201.52 |
SAFETY EQUIPMENT - DEPOT STORE STOCK |
|
43432 |
03-Mar-04 |
THE PRINTING FACTORY |
$482.58 |
BUSINESS CARDS FOR VARIOUS STAFF DUE DATE SLIPS FOR LIBRARY SERVICES |
|
43433 |
03-Mar-04 |
PROTECTOR ALSAFE |
$82.78 |
SAFETY BOOTS - DEPOT STORE STOCK |
|
43434 |
03-Mar-04 |
THE PURSUITS GROUP |
$547.53 |
PROVISION OF SERVICES FOR HACC CLIENTS |
|
43435 |
03-Mar-04 |
WA LIMESTONE CO |
$1,394.78 |
LIMESTONE DELIVERIES - OPERATIONAL SERVICES |
|
43436 |
03-Mar-04 |
ZIPFORM |
$4,976.52 |
PRINTING & PROCESS OF 2003/04 INTERIM RATE NOTICES |
|
43437 |
03-Mar-04 |
AQUAMOTION OFFICE PETTY CASH |
$120.00 |
PETTY CASH (INCREASE IN FLOAT) |
|
43438 |
03-Mar-04 |
ASHMY PTY LTD |
$21.27 |
REIMBURSEMENT OF CODES VARIATION APPLICATION |
|
43439 |
03-Mar-04 |
ALEXANDER HTS ADULT DAY CARE P/CASH |
$79.75 |
PETTY CASH |
|
43440 |
03-Mar-04 |
ALEXANDER HEIGHTS THE HEIGHTS |
$53.20 |
PETTY CASH |
|
43441 |
03-Mar-04 |
ABORIGINAL SENIORS GROUP PETTY CASH |
$50.00 |
PETTY CASH |
|
43442 |
03-Mar-04 |
AMP FLEXIBLE LIFETIME SUPER FUND |
$807.69 |
PAYROLL: A3606010501 FORTNIGHT ENDING 27/02/04 |
|
43443 |
03-Mar-04 |
COURIER AUSTRALIA |
$249.33 |
COURIER SERVICES FOR VARIOUS DEPARTMENTS |
|
43444 |
03-Mar-04 |
CORPORATE SERVICES PETTY CASH |
$230.00 |
PETTY CASH |
|
43445 |
03-Mar-04 |
FARLEY CAMPBELL |
$52.30 |
VOLUNTEER PAYMENT |
|
43446 |
03-Mar-04 |
CITY OF WANNEROO |
$307.15 |
PAYMENT MADE BY EFT ON 21/1/04 (RECEIPTED TO DEBTOR A/C 1917 SHOULD BE RATES) |
|
43447 |
03-Mar-04 |
CITY OF WANNEROO |
$1,780.00 |
PAYROLL DEDUCTIONS FORTNIGHT ENDING 27/02/04 |
|
43448 |
03-Mar-04 |
CITY OF WANNEROO |
$172,500.00 |
DEVELOPER CONTRIBUTION - CREDITED TO INCORRECT ACCOUNT (61) SHOULD BE TPS (51) |
|
43449 |
03-Mar-04 |
GRAFFITI SYSTEMS AUSTRALIA |
$10,003.40 |
GRAFFITI REMOVAL AT VARIOUS LOCATIONS |
|
43450 |
03-Mar-04 |
GIRRAWHEEN LIBRARY PETTY CASH |
$190.35 |
PETTY CASH |
|
43451 |
03-Mar-04 |
ALAN GREEN |
$35.00 |
VOLUNTEER PAYMENT |
|
43452 |
03-Mar-04 |
JAXON CONSTRUCTION PTY LTD |
$180.91 |
REIMBURSEMENT OF CODES VARIATION APPLICATION |
|
43453 |
03-Mar-04 |
LO-GO APPOINTMENTS |
$1,832.60 |
CASUAL LABOUR - RECORDS OFFICER |
|
43454 |
03-Mar-04 |
MERCURY FIRE SAFETY |
$717.20 |
SERVICE OF FIRE EQUIPMENT AT VARIOUS LOCATIONS |
|
43455 |
03-Mar-04 |
QUINNS ROCKS ADULT DAY CARE P/CASH |
$58.90 |
PETTY CASH |
|
43456 |
03-Mar-04 |
ROADS 2000 PTY LTD |
$550.00 |
ASPHALT DELIVERY FOR OPERATIONAL SERVICES |
|
43457 |
03-Mar-04 |
TELSTRA CORPORATION |
$18,162.12 |
TELEPHONE CHARGES |
|
43458 |
03-Mar-04 |
CANCELLED |
$0.00 |
|
|
43459 |
03-Mar-04 |
WANNEROO ELECTRIC |
$20,110.89 |
ELECTRICAL REPAIRS AT VARIOUS FACILITIES |
|
43460 |
03-Mar-04 |
WATER CORPORATION |
$492.30 |
1 X RATEPAYER FINANCIAL ASSISTANCE WATER SUPPLIES TO CLARKSON YOUTH CENTRE |
|
43461 |
03-Mar-04 |
WESTERN POWER |
$2,504.10 |
3 X RATEPAYER FINANCIAL ASSISTANCE POWER SUPPLIES TO CITY FACILITIES |
|
43462 |
03-Mar-04 |
WANN LIBRARIES CENTRAL SVCS P/C |
$108.15 |
PETTY CASH |
|
43463 |
03-Mar-04 |
ZURICH CLIENT SERVICE |
$235.38 |
PAYROLL: 02073765 V HUMPHRIES FORTNIGHT ENDING 27/02/04 |
|
43464 |
03-Mar-04 |
CITY OF WANNEROO |
$200.00 |
PAYROLL: FORTNIGHT ENDING 27/02/04 - COUNCIL VEHICLE EXTRA USE |
|
43465 |
04-Mar-04 |
JOONDALUP COURT |
$4,247.10 |
LEGAL FEES - SUMMONS COSTS FOR RATING SERVICES |
|
43466 |
08-Mar-04 |
JOONDALUP COURT |
$3,248.00 |
LEGAL FEES - ISSUE OF SUMMONS FOR RATING SERVICES |
|
43467 |
09-Mar-04 |
JOONDALUP COURT |
$5,271.95 |
LEGAL FEES - ISSUE SUMMONS FOR RATING SERVICES |
|
43468 |
10-Mar-04 |
JOONDALUP COURT |
$5,944.85 |
LEGAL FEES - ISSUE OF SUMMONS FOR RATING SERVICES |
|
43469 |
10-Mar-04 |
ALLINJARRA PRIMARY SCHOOL |
$300.00 |
BOND REFUND |
|
43470 |
10-Mar-04 |
HOMESWEST RENTALS |
$1,614.12 |
RATES REFUND P/N 203925 - ROCKS SUBDIVISION RATES REFUND P/N 111209 SUBDIVISION RATES REFUND P/N 162469 SUBDIVISION |
|
43471 |
10-Mar-04 |
FOOTY TIPPING SOFTWARE PTY LTD |
$121.00 |
REGISTRATION & SOFTWARE - FOOTY TIPPING COMPETITION 2004 |
|
43472 |
10-Mar-04 |
CANCELLED |
$0.00 |
2 PUPPET SHOWS FOR CHILDRENS’ BOOK WEEK 20 & 22 AUGUST - LIBRARY SERVICES |
|
43473 |
10-Mar-04 |
STREET TALK ENTERTAINMENT |
$550.00 |
ENTERTAINMENT AT KOONDOOLA COMMUNITY FUN DAY - SAFER CITIZENS PROGRAM EVENT |
|
43474 |
10-Mar-04 |
MANSELL PTY LTD |
$110.00 |
COPIES OF WA LOCAL GOVERNMENT RATES COMPARISON 2003/04 - FINANCIAL SERVICES |
|
43475 |
10-Mar-04 |
MINDARIE KEYS JOINT VENTURE |
$860.16 |
RATES REFUND P/N170921 - SUBDIVISION |
|
43476 |
10-Mar-04 |
MUSEUMS AUSTRALIA (WA) |
$120.00 |
ATTENDANCE OF P ROGERS & K COSTELLO - MUSEUMS AUST SEMINAR 19-21 MARCH 2004 |
|
43477 |
10-Mar-04 |
A V STEIN |
$800.00 |
RATES REFUND P/N196973 - OVERPAYMENT |
|
43478 |
10-Mar-04 |
WATSON PROPERTY GROUP |
$63.15 |
RATES REFUND PN 138148 - SUBDIVISION |
|
43479 |
10-Mar-04 |
PATANAL PTY LTD |
$2,269.04 |
RATES REFUND P/N 152341 – SUBDIVISION RATES REFUND P/N 152342 - SUBDIVISION |
|
43480 |
10-Mar-04 |
PATANAL PTY LTD |
$487.22 |
RATES REFUND P/N 202761 - SUBDIVISION |
|
43481 |
10-Mar-04 |
SATTERLY WANNEROO PTY LTD |
$6,324.46 |
RATES REFUND PN 204913- SUBDIVISION |
|
43482 |
10-Mar-04 |
WANNEROO YOUTH CENTRE PETTY CASH |
$103.00 |
PETTY CASH |
|
43483 |
10-Mar-04 |
LANDSDALE CRICKET CLUB |
$300.00 |
BOND REFUND |
|
43484 |
10-Mar-04 |
QUINNS ROCKS LITTLE ATHLETICS CLUB |
$300.00 |
BOND REFUND |
|
43485 |
10-Mar-04 |
G LAMONT |
$639.39 |
RATES REFUND P/N 201422 - OVERPAYMENT |
|
43486 |
10-Mar-04 |
R TRELOGGEN |
$300.00 |
VEHICLE CROSSING SUBSIDY |
|
43487 |
10-Mar-04 |
BAHAIS OF WANNEROO |
$300.00 |
BOND REFUND |
|
43488 |
10-Mar-04 |
LANSDEN HOLDINGS PTY LTD |
$316.50 |
RATES REFUND P/N160917 - REDUCED VALUATION |
|
43489 |
10-Mar-04 |
MACQUARIE HEIGHTS & NEIGHBOURS |
$157.50 |
DONATION - REFUND FOR FEES PAID FOR USE OF BEMBRIDGE PARK |
|
43490 |
10-Mar-04 |
PLOTDALE PTY LTD & TOPSFIELD PTY LTD |
$2,204.71 |
RATES REFUND P/N 198691 – SUBDIVISION RATES REFUND PN 203120 – SUBDIVISION RATES REFUND P/ N 198693 – SUBDIVISION RATES REFUND P/N 198692 – SUBDIVISION RATES REFUND P/N 198701 - SUBDIVISION |
|
43491 |
10-Mar-04 |
LDG & GA CONTEMPRATO |
$225.00 |
VEHICLE CROSSING SUBSIDY |
|
43492 |
10-Mar-04 |
VM & VJ STEVENS |
$219.00 |
VEHICLE CROSSING SUBSIDY |
|
43493 |
10-Mar-04 |
K & A RAFATEE |
$300.00 |
VEHICLE CROSSING SUBSIDY |
|
43494 |
10-Mar-04 |
LL & HC LOWE |
$300.00 |
VEHICLE CROSSING SUBSIDY |
|
43495 |
10-Mar-04 |
AJ & J HUTCHESON |
$300.00 |
VEHICLE CROSSING SUBSIDY |
|
43496 |
10-Mar-04 |
PD & EJ LANGSTAFF |
$300.00 |
VEHICLE CROSSING SUBSIDY |
|
43497 |
10-Mar-04 |
MR HOGARTH |
$225.00 |
VEHICLE CROSSING SUBSIDY |
|
43498 |
10-Mar-04 |
AM DAVIES |
$300.00 |
VEHICLE CROSSING SUBSIDY |
|
43499 |
10-Mar-04 |
JM & PA TRIMBOLI |
$300.00 |
VEHICLE CROSSING SUBSIDY |
|
43500 |
10-Mar-04 |
CANCELLED |
$0.00 |
|
|
43501 |
10-Mar-04 |
LONNEGAL PROPERTY PTY LTD |
$59.35 |
RATES REFUND P/N 143126 - SUBDIVISION |
|
43502 |
10-Mar-04 |
MAMMOTH INVESTMENTS PTY LTD |
$875.00 |
OVERPAYMENT OF CLEARANCE/SUPERVISION FEES (WAPC REF: 120491) |
|
43503 |
10-Mar-04 |
BAYONET HOLDINGS PTY LTD |
$1,000.81 |
RATES REFUND P/N 194567 - STRATA TITLE |
|
43504 |
10-Mar-04 |
B WATTS |
$199.99 |
REIMBURSEMENT OF ADDITIONAL REPAIR COSTS - INSURANCE SERVICES |
|
43505 |
10-Mar-04 |
LANDSDALE LITTLE ATHLETICS CLUB |
$300.00 |
BOND REFUND |
|
43506 |
10-Mar-04 |
VICKI DRAGON |
$300.00 |
BOND REFUND |
|
43507 |
10-Mar-04 |
CONSCIOUS LIVING |
$24.00 |
SUBSCRIPTION TO CONSCIOUS LIVING MAGAZINE - GIRRAWHEEN LIBRARY |
|
43508 |
10-Mar-04 |
MJ & F ROCHFORD |
$247.65 |
RATES REFUND P/N180487 - OVERPAYMENT |
|
43509 |
10-Mar-04 |
B TURNER |
$27.39 |
RATES REFUND P/N 125971 - SUBDIVISION |
|
43510 |
10-Mar-04 |
JN TIERNEY |
$41.95 |
RATES REFUND P/N 178406 - SETTLEMENT |
|
43511 |
10-Mar-04 |
BE & D KOSTER |
$300.00 |
VEHICLE CROSSING SUBSIDY |
|
43512 |
10-Mar-04 |
K KEMP |
$19.00 |
DOG REGISTRATION REFUND - STERILISED |
|
43513 |
10-Mar-04 |
AUST AIRCONDITIONING SERVICES PTY LTD |
$586.30 |
AIRCONDITIONING SERVICES AT COW FACILITIES FOR BUILDING MAINTENANCE |
|
43514 |
10-Mar-04 |
ARMSTRONG ENERGY |
$216.07 |
BUSHING KIT TO SUIT MD NIPPER ARMS - FLEET MAINTENANCE |
|
43515 |
10-Mar-04 |
BEAUREPAIRES FOR TYRES |
$613.92 |
INSURANCE CLAIM 411244 – TYRES X 2 FOR MUSTANG SKID STEERER |
|
43516 |
10-Mar-04 |
BADGE CONSTRUCTION PTY LTD |
$230,665.60 |
CLAIMS 1 AND 2 -CONSTRUCTION OF CLARKSON LIBRARY |
|
43517 |
10-Mar-04 |
ERS AUSTRALIA PTY LTD |
$462.00 |
OIL FILTERS & WASHER PARTS - FLEET MAINTENANCE |
|
43518 |
10-Mar-04 |
ICON OFFICE TECHNOLOGY |
$112.53 |
PHOTOCOPIER METER READING - AQUAMOTION |
|
43519 |
10-Mar-04 |
ICTC |
$695.00 |
ATTENDANCE OF R PEAKE AT 5TH INTERNATIONAL CITIES TOWN CENTRES & COMMUNITIES CONFERENCE 2004 |
|
43520 |
10-Mar-04 |
JOONDALUP DRIVE MEDICAL CENTRE |
$120.00 |
VACCINATION FOR STAFF: G FORSTER, V BRIDGE & N ARNOLD |
|
43521 |
10-Mar-04 |
JOONDALUP CARPET COURT |
$8,263.00 |
SUPPLY & INSTALL NEW FLOORING AT WANNEROO FOOTBALL & CRICKET CLUB - WANNEROO SHOWGROUNDS |
|
43522 |
10-Mar-04 |
K MART AUSTRALIA LTD |
$99.23 |
COOKING UTENSILS FOR YOUTH PROGRAM & HAINSWORTH COMMUNITY CENTRE |
|
43523 |
10-Mar-04 |
KW INNS & K F PENNO |
$5,858.79 |
REIMBURSEMENT OF VARIOUS FEES FOR QUINNS CARAVAN PARK |
|
43524 |
10-Mar-04 |
LAWRENCE & HANS0N |
$60.50 |
ELECTRICAL CONDUIT - OPERATIONAL SERVICES |
|
43525 |
10-Mar-04 |
MULLINGS FASTENERS |
$126.60 |
NUTS & BOLTS FOR FLEET MAINTENANCE |
|
43526 |
10-Mar-04 |
PHOTOLAND |
$876.00 |
80 DISPOSABLE CAMERAS FOR SNAPSHOTS COMPETITION - YOUTH SERVICES |
|
43527 |
10-Mar-04 |
RANGE FORD |
$30,040.94 |
NEW FORD BA FUTURA SEDAN - WN32152 |
|
43528 |
10-Mar-04 |
CADBURY SCHWEPPES PTY LTD |
$921.25 |
CREDIT TAKEN UP &CHEQUE CASHED FOR REBATE ON DRINKS - AQUAMOTION |
|
43529 |
10-Mar-04 |
TRAILER PARTS PTY LTD |
$153.46 |
VEHICLE SPARE PARTS FOR FLEET MAINTENANCE |
|
43530 |
10-Mar-04 |
TOTAL MATERIALS HANDLING PTY LTD |
$10,913.32 |
VARIOUS GARBAGE BIN CASTORS - WASTE SERVICES |
|
43531 |
10-Mar-04 |
VALUER GENERAL'S OFFICE |
$3,658.00 |
GRV & UV VALUATIONS 31/01/04-13/02/04 FOR RATES SERVICES |
|
43532 |
10-Mar-04 |
WA LIMESTONE CO |
$23,148.86 |
BITUMEN MIX FOR OPERATION SERVICES |
|
43533 |
10-Mar-04 |
WANNEROO LOCAL HARVEST FARMERS |
$50.00 |
BOND REFUND |
|
43534 |
10-Mar-04 |
AUSTRALIA POST |
$3,004.87 |
MERCHANT FEES FOR RATING SERVICES |
|
43535 |
10-Mar-04 |
ALINTA GAS |
$60.00 |
1 X RATEPAYER FINANCIAL ASSISTANCE |
|
43536 |
10-Mar-04 |
ALEXANDER HTS ADULT DAY CARE P/CASH |
$34.80 |
PETTY CASH |
|
43537 |
10-Mar-04 |
ALEXANDER HEIGHTS THE HEIGHTS |
$143.80 |
PETTY CASH |
|
43538 |
10-Mar-04 |
ABORIGINAL SENIORS GROUP PETTY CASH |
$49.80 |
PETTY CASH |
|
43539 |
10-Mar-04 |
BUILDING & CONSTRUCTION INDUSTRY |
$53,454.40 |
LEVY RECONCILIATION - FEBRUARY 2004 |
|
43540 |
10-Mar-04 |
BUILDERS REGISTRATION BOARD |
$12,397.00 |
COLLECTION AGENCY FEE - FEBRUARY 2004 |
|
43541 |
10-Mar-04 |
CHAMBER OF COMMERCE & INDUSTRY |
$840.84 |
WORKPLACE RELATIONS ACT 1996 AWARD BREACH - LEGAL EXPENSES FOR RANGER SERVICES STRATEGIC ADVICE ON PATROL OFFICERS FOR RANGER SERVICES UNFAIR TERMINATION - LEGAL EXPENSES FOR RANGER SERVICES |
|
43542 |
10-Mar-04 |
CORPORATE SERVICES PETTY CASH |
$806.25 |
PETTY CASH |
|
43543 |
10-Mar-04 |
CABCHARGE |
$114.26 |
CABCHARGE SERVICES FOR COW |
|
43544 |
10-Mar-04 |
CITY OF WANNEROO |
$192.43 |
CR STEFFENS RATES - TRAVEL ALLOWANCE FEB 2004 |
|
43545 |
10-Mar-04 |
DEPT OF LAND ADMINISTRATION |
$53.60 |
LAND VALUATIONS FOR RATING SERVICES & PLANNING SERVICES |
|
43546 |
10-Mar-04 |
DEPT OF LAND INFORMATION |
$968.00 |
SERVICE FEE FOR SUPPLY OF DIGITAL DATA - R PEAKE |
|
43547 |
10-Mar-04 |
STRATEGIC & EXECUTIVE SERVICES |
$132.55 |
PETTY CASH |
|
43548 |
10-Mar-04 |
GRAFFITI SYSTEMS AUSTRALIA |
$632.50 |
GRAFFITI REMOVAL FROM VARIOUS LOCATIONS - GRAFFITI PROGRAM |
|
43549 |
10-Mar-04 |
MERCURY FIRE SAFETY |
$7,751.77 |
ATTENDANCE FEE - HAINSWORTH CHILD HEALTH CENTRE FIRE EXTINGUISHER & LOCATION SIGN INSTALLATION OF HEAT DETECTORS AT THE HEIGHTS COMMUNITY HOUSE INSTALLATION OF SMOKE DETECTOR IN PABX ROOM INSPECTION & TESTING OF ESSENTIAL FIRE SERVICES FOR MAY, JUN, AUG, DEC 03 & JAN 04 |
|
43550 |
10-Mar-04 |
OPTUS |
$21.49 |
PAGING SERVICES FOR WASTE SERVICES |
|
43551 |
10-Mar-04 |
PALASSIS ARCHITECTS |
$2,530.00 |
GLOUCESTER LODGE CONSULTANCY - ADDITIONAL FEE FOR STAFF AREAS |
|
43552 |
10-Mar-04 |
QUINNS ROCKS ADULT DAY CARE P/CASH |
$14.10 |
PETTY CASH |
|
43553 |
10-Mar-04 |
SUGAR & SPICE PATISSERIE |
$80.00 |
CELEBRATION CAKE FOR QUALITY ASSURANCE FAMILY DAY CARE @ CHILDRENS’ WEEK 21/10/03 |
|
43554 |
10-Mar-04 |
WANNEROO ELECTRIC |
$1,575.12 |
ELECTRICAL COMPLIANCE TESTING AT VARIOUS LOCATIONS ELECTRICAL REPAIRS AT VARIOUS LOCATIONS ANNUAL RCD TESTING - BUILDING MAINTENANCE |
|
43555 |
10-Mar-04 |
WATER CORPORATION |
$369.60 |
RAISE MANHOLE LID BY WATER CORP AT STEBBING WAY, GIRRAWHEEN FOR OPERATIONAL SERVICES |
|
43556 |
10-Mar-04 |
WATER CORPORATION |
$216.00 |
REPAIR WORK AT 43 GREENPARK ROAD, ALEXANDER HEIGHTS |
|
43557 |
10-Mar-04 |
WA LOCAL GOVT SUPERANNUATION |
$248,571.73 |
SUPERANNUATION CONTRIBUTION - FEB 2004 - PAYROLL |
|
43558 |
10-Mar-04 |
WESTERN POWER |
$23,675.05 |
POWER SUPPLIES AT VARIOUS LOCATIONS INSTALL UPGRADED STREET LIGHTING ON SYDNEY RD, GNANGARA 3 X RATEPAYER FINANCIAL ASSISTANCE |
|
43559 |
10-Mar-04 |
WANNEROO DRY CLEANERS |
$73.00 |
DRY CLEANING OF FIRE-FIGHTER UNIFORMS - JANUARY 2004 |
|
43560 |
10-Mar-04 |
WHELANS |
$5,791.50 |
PROFESSIONAL SERVICES – AS CONSTRUCTED SURVEY OF HEPBURN AVENUE STAGE 1 |
|
43561 |
10-Mar-04 |
WANNEROO SOFTBALL CLUB |
$480.00 |
DONATION - CONTRIBUTION OF HIRE FEES CHARGED TO CLUB |
|
43562 |
10-Mar-04 |
W A LOCAL GOVERNMENT ASSOC. |
$10,385.50 |
BERKLEY ROAD LOCAL STRUCTURE PLAN ADVERTISING MARKETFORCE ADVERTISING FOR FEBRUARY 2004 |
|
43563 |
10-Mar-04 |
JOONDALUP COURT |
$4,104.10 |
LEGAL FEES - ISSUE SUMMONS FOR RATES SERVICES |
|
43564 |
12-Mar-04 |
DEPT FOR PLANNING AND INFRASTRUCTURE |
$43.75 |
LICENCE & INSURANCE FEES ON TRAILER XUN435 |
|
43565 |
17-Mar-04 |
ROBERT TAYLOR |
$91.66 |
KEY HOLDER - WANNEROO RECREATION CENTRE TENNIS BOOKING OFFICER - WANNEROO SHOWGROUNDS COURTS |
|
43566 |
17-Mar-04 |
WHITFORD MARQUEE & PARTY HIRE |
$655.93 |
HIRE OF MARQUEE & ASSOCIATED ITEMS FOR DARYL BRAITHWAITE CONCERT |
|
43567 |
17-Mar-04 |
SPINELESS WONDERS WILDLIFE EDUCATION INCURSIONS |
$185.00 |
SPINELESS WONDERS PRESENTATION 15/4/04 - SAFER CITIZENS PROGRAM EVENT |
|
43568 |
17-Mar-04 |
JAN SIMPSON SETTLEMENTS |
$271.20 |
RATES REFUND P/N205165 - OVERPAYMENT |
|
43569 |
17-Mar-04 |
CLARKSON COMMUNITY HIGH SCHOOL |
$1,250.00 |
SCHOOL SCHOLARSHIPS PROGRAM 2004 - YOUTH SERVICES |
|
43570 |
17-Mar-04 |
AMAZING STAGING |
$1,650.00 |
PRODUCTION MANAGEMENT FOR SUMMER CONCERTS |
|
43571 |
17-Mar-04 |
WANNEROO SENIOR HIGH SCHOOL |
$1,250.00 |
SCHOOL SCHOLARSHIPS PROGRAM 2004 - YOUTH SERVICES |
|
43572 |
17-Mar-04 |
M HAYES |
$75.00 |
KEYHOLDER - COCKMAN HOUSE & WANNEROO ROAD MUSEUM |
|
43573 |
17-Mar-04 |
NORTHERN SUBURBS BAILIFF |
$473.01 |
LEGAL FEES - ISSUE OF SUMMONS FOR RATING SERVICES |
|
43574 |
17-Mar-04 |
EVAN MARTIN |
$69.43 |
KEY HOLDER - KOONDOOLA COMMUNITY HALLS, HAINSWORTH LEISURE CENTRE & JOHN MOLONEY CLUBROOMS |
|
43575 |
17-Mar-04 |
GIRRAWHEEN SENIOR HIGH SCHOOL |
$1,250.00 |
SCHOOL SCHOLARSHIPS PROGRAM 2004 - YOUTH SERVICES |
|
43576 |
17-Mar-04 |
APPLE AUSTRALIA PTY LTD |
$330.73 |
APPLE MAC COMPUTER RENTAL FOR GRAPHICS SECTION |
|
43577 |
17-Mar-04 |
YANCHEP DISTRICT HIGH SCHOOL |
$1,250.00 |
SCHOOL SCHOLARSHIPS PROGRAM 2004 - YOUTH SERVICES |
|
43578 |
17-Mar-04 |
ROYAL LIFE SAVING SOCIETY AUSTRALIA |
$300.00 |
HEART BEAT ENROLMENT FOR T CHAPMAN & K TOUGHT - YANCHEP COMMUNITY CENTRE |
|
43579 |
17-Mar-04 |
LEE TAN |
$41.66 |
KEY HOLDER - BANKSIA GROVE ZONE & PERIDOT PARK |
|
43580 |
17-Mar-04 |
LUZIA JOHNSTONE |
$41.66 |
KEY HOLDER - ANTHONY WARING CLUBROOMS, PARK & CLARKSON YOUTH CENTRE |
|
43581 |
17-Mar-04 |
JENNY GILBERT |
$100.00 |
TENNIS BOOKING OFFICER - KOONDOOLA PARK & MONTROSE PARK TENNIS COURTS |
|
43582 |
17-Mar-04 |
INSTITUTE OF PUBLIC ADMINISTRATION AUSTRALIA |
$65.00 |
ATTENDANCE OF CHARLES JOHNSON TO CONSULTING CITIZENS: ENGAGING WITH ABORIGINAL WESTERN AUSTRALIANS |
|
43583 |
17-Mar-04 |
CANCELLED |
$0.00 |
|
|
43584 |
17-Mar-04 |
DEANNE HETHERINGTON |
$91.66 |
KEY HOLDER - GIRRAWHEEN SCOUT/GUIDE HALL & HUDSON PARK CLUBROOMS TENNIS BOOKING OFFICER - HUDSON PARK COURTS |
|
43585 |
17-Mar-04 |
JOE ARRIGO |
$174.98 |
KEY HOLDER - ELLIOTT ROAD PLAYGROUP & WANNEROO YOUTH/SENIORS CENTRES TENNIS BOOKING OFFICER – ELLIOTT ROAD COURTS |
|
43586 |
17-Mar-04 |
STEVE BARBARICH |
$41.66 |
KEY HOLDER - WARRADALE COMMUNITY HALL |
|
43587 |
17-Mar-04 |
ABORIGINAL PLAYGROUP CASH FLOAT |
$82.60 |
PETTY CASH |
|
43588 |
17-Mar-04 |
CUSTOMER SERVICE COUNCIL |
$195.00 |
ATTENDANCE OF A BOSTOCK, M MCGRATH, D SIMMS, S NEALE & J TOOMEY AT CUSTOMER SERVICE COUNCIL WORKSHOP BREAKFAST 24/03/04 |
|
43589 |
17-Mar-04 |
CORAL RAYNER |
$41.66 |
KEY HOLDER - PHIL RENKIN RECREATION CENTRE & OLDHAM PARK KIOSK |
|
43590 |
17-Mar-04 |
J SIMS |
$91.66 |
KEY HOLDER - GUMBLOSSOM COMMUNITY CENTRE TENNIS BOOKING OFFICER GUMBLOSSOM COURTS |
|
43591 |
17-Mar-04 |
NUBIAN |
$250.00 |
PERFORMANCE OF NUBIAN AT LIVE 2004 |
|
43592 |
17-Mar-04 |
MA VAN SPLIJK |
$300.00 |
VEHICLE CROSSING SUBSIDY |
|
43593 |
17-Mar-04 |
J & MN MCFEGGAN |
$300.00 |
VEHICLE CROSSING SUBSIDY |
|
43594 |
17-Mar-04 |
FIFTY FIVE PTY LTD |
$63.15 |
RATES REFUND P/N 152152 - SUBDIVISION |
|
43595 |
17-Mar-04 |
TJ CURRIE & PM GALDIES |
$193.45 |
VEHICLE CROSSING SUBSIDY |
|
43596 |
17-Mar-04 |
MINDARIE SENIOR COLLEGE |
$1,250.00 |
SCHOOL SCHOLARSHIPS PROGRAM 2004 - YOUTH SERVICES |
|
43597 |
17-Mar-04 |
MT AND KL HARDEY |
$300.00 |
VEHICLE CROSSING SUBSIDY |
|
43598 |
17-Mar-04 |
RH AND R KELLY |
$300.00 |
VEHICLE CROSSING SUBSIDY |
|
43599 |
17-Mar-04 |
CANCELLED |
$0.00 |
VEHICLE CROSSING SUBSIDY |
|
43600 |
17-Mar-04 |
KINGSWAY RESIDENTS ASSOCIATION |
$500.00 |
FEE PAID FOR ASSOCIATION TO CONTROL PUBLIC PARKING AT KINGSWAY SPORTING COMPLEX |
|
43601 |
17-Mar-04 |
B M DERKSEN |
$260.45 |
RATES REFUND P/N 137575 - PENSION REBATE |
|
43602 |
17-Mar-04 |
LAUREN CARTLEDGE |
$170.55 |
RATES REFUND P/N 140684 - OVERPAYMENT |
|
43603 |
17-Mar-04 |
AD AND CJ FORSTER |
$300.00 |
VEHICLE CROSSING SUBSIDY |
|
43604 |
17-Mar-04 |
PJ AND PP WHEELER |
$300.00 |
VEHICLE CROSSING SUBSIDY |
|
43605 |
17-Mar-04 |
AG AND JM BOYD |
$300.00 |
VEHICLE CROSSING SUBSIDY |
|
43606 |
17-Mar-04 |
DA AND GB COPEMAN |
$300.00 |
VEHICLE CROSSING SUBSIDY |
|
43607 |
17-Mar-04 |
S AND M MILANOVIC |
$250.00 |
VEHICLE CROSSING SUBSIDY |
|
43608 |
17-Mar-04 |
AAA PRODUCTION SERVICES |
$4,235.00 |
PROVIDE AUDIO & LIGHTING FOR DARYL BRAITHWAITE CONCERT 06/03/04 |
|
43609 |
17-Mar-04 |
BSD CONSULTANTS |
$2,750.00 |
CONSULTANCY - HEPBURN AVENUE EXTENSION NOTICE OF INTENT |
|
43610 |
17-Mar-04 |
BOUNCE AWAY |
$130.00 |
SUPERVISED BOUNCER FOR RIPPER NIPPER PICNIC - SAFER CITIZENS PROGRAM EVENT |
|
43611 |
17-Mar-04 |
COATES HIRE OPERATIONS PTY LTD |
$2,595.21 |
EXTENSION LEADS PURCHASED FOR JAMES REYNE CONCERT TOILET FACILITIES FOR JAMES REYNE CONCERT 16-19/01/04 |
|
43612 |
17-Mar-04 |
COMMUNITY NEWSPAPERS |
$28,635.57 |
COMMUNITY NEWSPAPER ADVERTISEMENTS FOR THE MONTH OF FEBRUARY 2004 |
|
43613 |
17-Mar-04 |
CARRINGTONS TRAFFIC SERVICES |
$2,959.83 |
TRAFFIC CONTROL SERVICES - QUINNS ROCKS BEACH FOR OPERATIONAL SERVICES |
|
43614 |
17-Mar-04 |
ERS AUSTRALIA PTY LTD |
$159.50 |
ENVIRONMENTAL LEVY & OIL FILTERS FOR FLEET MAINTENANCE |
|
43615 |
17-Mar-04 |
ECLIPSE RESOURCES PTY LTD |
$11.00 |
DISPOSAL OF GENERAL CONSTRUCTION MATERIALS - OPERATIONAL SERVICES |
|
43616 |
17-Mar-04 |
GLAZEWELL PTY LTD |
$818.36 |
REPLACE GLASS AT VARIOUS FACILITIES FOR BUILDING MAINTENANCE |
|
43617 |
17-Mar-04 |
ICON OFFICE TECHNOLOGY |
$521.03 |
METER READING FOR COPIER AT HUMAN RESOURCES 28/08/03, 29/10/03, 27/01/04 & 28/08/03 |
|
43618 |
17-Mar-04 |
KLEENHEAT GAS PTY LTD |
$50.00 |
1 X RATEPAYER FINANCIAL ASSISTANCE |
|
43619 |
17-Mar-04 |
MEDICAL HAND |
$1,416.25 |
IMMUNISATIONS FOR SCHOOLS & CLINICS |
|
43620 |
17-Mar-04 |
MAHOMETS VILLAGE |
$220.00 |
TWO NIGHTS ACCOMMODATION FOR P ROGER, K DE BRUIN & K COSTELLO - MUSEUMS AUSTRALIA SEMINAR 19-21/03/04 |
|
43621 |
17-Mar-04 |
ORANGE |
$1,486.76 |
PAGING SERVICES FOR FIRE SERVICES |
|
43622 |
17-Mar-04 |
OSA GROUP PTY LTD |
$495.00 |
BULLYING BRIEFING - TRAINING SERVICES 21/01/2004 – WASTE SERVICES |
|
43623 |
17-Mar-04 |
CADBURY SCHWEPPES PTY LTD |
$416.22 |
DRINKS PURCHASED FOR SALE AT AQUAMOTION |
|
43624 |
17-Mar-04 |
SA GROUP ENTERPRISES INCORPORATED |
$60.00 |
SUBSCRIPTION TO LINK MAGAZINE - COMMUNITY SERVICES |
|
43625 |
17-Mar-04 |
ALINTA GAS |
$4,817.95 |
GAS SUPPLIES FOR VARIOUS FACILITIES |
|
43626 |
17-Mar-04 |
ALEXANDER HTS ADULT DAY CARE PETTY CASH |
$83.25 |
PETTY CASH |
|
43627 |
17-Mar-04 |
ALEXANDER HEIGHTS THE HEIGHTS |
$47.10 |
PETTY CASH |
|
43628 |
17-Mar-04 |
ABORIGINAL SENIORS GROUP PETTY CASH |
$50.00 |
PETTY CASH |
|
43629 |
17-Mar-04 |
THE CANCER COUNCIL WA |
$165.00 |
SPONSORSHIP - GET ACTIVE WANNEROO |
|
43630 |
17-Mar-04 |
CORPORATE SERVICES PETTY CASH |
$434.85 |
PETTY CASH |
|
43631 |
17-Mar-04 |
CABCHARGE |
$6.10 |
CABCHARGE SERVICE FEE - FINANCIAL SERVICES |
|
43632 |
17-Mar-04 |
DUNCAN CROSBIE GOLF WA PTY LTD |
$21,019.95 |
COMMISSION ON FEES COLLECTED AT CARRAMAR GOLF COURSE |
|
43633 |
17-Mar-04 |
EASIFLEET MANAGEMENT |
$25,359.27 |
LEASE VEHICLES FOR FEBRUARY 2003 |
|
43634 |
17-Mar-04 |
MOBILE LIBRARY PETTY CASH |
$99.85 |
PETTY CASH |
|
43635 |
17-Mar-04 |
NORMAN DENNIS |
$41.66 |
KEY HOLDER - JENOLAN WAY COMMUNITY CENTRE & ADDISON PARK CLUBROOMS |
|
43636 |
17-Mar-04 |
WANNEROO LIBRARY PETTY CASH |
$109.90 |
PETTY CASH |
|
43637 |
17-Mar-04 |
WATER CORPORATION |
$7,118.70 |
WATER SUPPLIES FOR VARIOUS FACILITIES |
|
43638 |
17-Mar-04 |
WESTERN POWER |
$43,121.85 |
POWER SUPPLIES FOR VARIOUS FACILITIES STREET LIGHTING UPGRADE FOR TAPPING WAY, QUINNS ROCKS 3 X RATEPAYER FINANCIAL SERVICES |
|
43639 |
17-Mar-04 |
YANCHEP COMMUNITY HOUSE PCASH |
$76.05 |
PETTY CASH |
|
43640 |
18-Mar-04 |
TRACEY ROBERTS |
$500.00 |
MONTHLY ALLOWANCE |
|
43641 |
18-Mar-04 |
DOROTHY NEWTON |
$500.00 |
MONTHLY ALLOWANCE |
|
43642 |
18-Mar-04 |
FRANK CVITAN |
$500.00 |
MONTHLY ALLOWANCE |
|
43643 |
18-Mar-04 |
ALAN BLENCOWE |
$500.00 |
MONTHLY ALLOWANCE |
|
43644 |
18-Mar-04 |
SAM SALPIETRO |
$1,125.00 |
MONTHLY ALLOWANCE |
|
43645 |
18-Mar-04 |
CITY OF WANNEROO |
$100.00 |
RATES FOR MAYOR KELLY |
|
43646 |
25-Mar-04 |
A AND J SALAMONE |
$676.50 |
SUPPLY OF FILLING SAND - OPERATIONAL SERVICES |
|
43647 |
25-Mar-04 |
A BALANCED VIEW LEISURE CONSULTANCY |
$3,762.00 |
AQUAMOTION ORGANISATION REVIEW - G WHYTE |
|
43648 |
25-Mar-04 |
AARONS FLORIST |
$129.00 |
FLOWERS FOR JOY MULLINS (90TH BIRTHDAY) - ELECTED MEMBERS FLOWERS FOR MR & MRS TEDESCO (50TH WEDDING ANNIVERSARY) – ELECTED MEMBERS |
|
|
|
|
|
FLOWERS FOR MR & MRS MIDDLETON (50TH WEDDING ANNIVERSARY) - ELECTED MEMBERS |
|
43649 |
25-Mar-04 |
ABC SHOP |
$691.86 |
VIDEOS CASSETTES & BOOKS - LIBRARY SERVICES |
|
43650 |
25-Mar-04 |
ACOOLAH HATS |
$251.90 |
MENS HATS - DEPOT STORE STOCK |
|
43651 |
25-Mar-04 |
ACTIMED AUSTRALIA |
$627.75 |
FIRST AID SUPPLIES - COMMUNITY SERVICES |
|
43652 |
25-Mar-04 |
ACTION LOCK SERVICE |
$114.30 |
LOCKS (ENTRANCE SET) - YANCHEP COMMUNITY CENTRE |
|
43653 |
25-Mar-04 |
ADASOUND |
$282.70 |
REPAIR OF BACKPACK FOR AUDIO TRANSMITTER & NEW NOISE CANCEL HEADSET AT AQUAMOTION |
|
43654 |
25-Mar-04 |
ADFORM |
$198.00 |
SIGNAGE TO FIRE TRUCK & PRINTING OF 22 REFLECTIVE HELMET NAME STICKERS |
|
43655 |
25-Mar-04 |
ADVANCED WINDOW TINTING |
$258.50 |
FIT SOLAR FILM TO COUNCIL VEHICLE HJ75UTE |
|
43656 |
25-Mar-04 |
AGENT SALES AND SERVICES PTY LTD |
$996.82 |
CHEMICALS PURCHASED & CONTAINERS PICKED UP FORAQUAMOTION |
|
43657 |
25-Mar-04 |
AISAT INSTRUMENTS PTY LTD |
$107.04 |
SPARE PARTS FOR FLEET MAINTENANCE |
|
43658 |
25-Mar-04 |
ALGAR BURNS PTY LTD |
$62.70 |
WINDOWS SERVER 2000 ENGLISH DISK KIT - I.T. SERVICES |
|
43659 |
25-Mar-04 |
ALINE BRICK PAVING |
$18,498.15 |
BRICKPAVING TO VERGE AREAS & TRAFFIC ISLANDS AT STEBBING WAY & MIRRABOOKA AVENUE |
|
43660 |
25-Mar-04 |
ALLEN MOBILE PHONE SERVICES |
$396.00 |
RECOVER & INSTALL NOKIA HANDS FREE KITS FOR FLEET MAINTENANCE |
|
43661 |
25-Mar-04 |
ALLMARK AND ASSOCIATION |
$102.85 |
INK STAMPS FOR VARIOUS DEPARTMENTS |
|
43662 |
25-Mar-04 |
ALLSTAMPS |
$77.80 |
INK STAMPS FOR VARIOUS DEPARTMENTS |
|
43663 |
25-Mar-04 |
ALLTECH INDUSTRIES AUSTRALIA |
$100.00 |
PAGERS PROGRAMMED FOR RANGER & SAFETY SERVICES |
|
43664 |
25-Mar-04 |
AMCAP DISTRIBUTION CENTRE |
$7,805.76 |
SPARE PARTS FOR FLEET MAINTENANCE |
|
43665 |
25-Mar-04 |
AMCOM PTY LTD |
$808.00 |
INTERNET PROVIDER COSTS FOR MARCH 2004 FOR CITY |
|
43666 |
25-Mar-04 |
ANGUS AND ROBERTSON PTY LTD |
$436.37 |
ASSORTED BOOK PURCHASES - WANNEROO LIBRARY |
|
43667 |
25-Mar-04 |
ANITECH |
$150.37 |
METER READING CHARGES & TONER FOR COPIER - PLANNING & DEVELOPMENT |
|
43668 |
25-Mar-04 |
ANTI WAVE |
$280.50 |
EQUIPMENT, SUPER TENSIONER - AQUAMOTION POOL |
|
43669 |
25-Mar-04 |
ARMSTRONG ENERGY |
$364.14 |
SPARE PARTS FOR FLEET MAINTENANCE |
|
43670 |
25-Mar-04 |
ARN CONTRACTING |
$154.00 |
DISPOSAL OF ASBESTOS SHEETING FROM CARPENTERS WORKSHOP |
|
43671 |
25-Mar-04 |
ARTEIL WA PTY LTD |
$1,140.70 |
PURCHASE OF 3 OFFICE CHAIRS & CHAIR REPAIRS FOR BUILDINGS & MAINTENANCE |
|
43672 |
25-Mar-04 |
ASPHALTECH PTY LTD |
$45.38 |
ASPHALT DELIVERY FOR OPERATIONAL SERVICES |
|
43673 |
25-Mar-04 |
ASSET RESEARCH |
$7,693.95 |
CITY OF WANNEROO CUSTOMER SATISFACTION SURVEY 2003 (50% PAYMENT) |
|
43674 |
25-Mar-04 |
ATI MIRAGE |
$380.00 |
WORD ADVANCED COURSE FOR S HANSON - MARKETING SERVICES |
|
43675 |
25-Mar-04 |
ATLAS GROUP |
$1,500.76 |
BRICK PAVERS DELIVERED TO STEBBING WAY - ENGINEERING & CONSTRUCTION |
|
43676 |
25-Mar-04 |
AUST INSTITUTE OF MANAGEMENT |
$1,822.00 |
ATTENDANCE OF J HALLIDAY AT CONFLICT RESOLUTION COURSE 15--16/04/04 ATTENDANCE OF C BARTLETT, B POSNER & R COL AT LEADERSHIP IN ACTION COURSE 10-11/03/04 ATTENDANCE OF A BELL, J FEW & S FOTI AT DEVELOPING HIGH PERFORMANCE TEAMS COURSE 02-03/03/04 |
|
43677 |
25-Mar-04 |
AUSTRALIAN AIRCONDITIONING SERVICES |
$3,882.24 |
REPAIRS & ROUTINE MAINTENANCE ON AIRCONDITIONING AT VARIOUS LOCATIONS FOR JANUARY 2004 |
|
43678 |
25-Mar-04 |
AUSTRALIAN COMMUNICATIONS AUTHORITY |
$511.80 |
TWO-WAY RADIO LICENCE ANNUAL RENEWAL FEE |
|
43679 |
25-Mar-04 |
AUSTRALIAN PROPERTY CONSULTANTS |
$3,850.00 |
CONSULTANCY FEE ON COMMERCIAL VIABILITY OF A CINEMA COMPLEX, WANNEROO |
|
43680 |
25-Mar-04 |
AUSTRALIAN TURF INDUSTRIES |
$39,647.20 |
CONTRACT FOR MAINTENANCE WORKS AT CARRAMAR & MARANGAROO GOLF COURSES FOR FEBRUARY 2004 |
|
43681 |
25-Mar-04 |
AUTO CONTROL DOORS |
$618.20 |
REPAIR TO AUTOMATIC DOORS AT AQUAMOTION & CIVIC CENTRE |
|
43682 |
25-Mar-04 |
AUTOSMART INTERNATIONAL |
$237.60 |
HAND WASH FOR FLEET MAINTENANCE |
|
43683 |
25-Mar-04 |
AUZZI BIZZI KITES |
$440.00 |
KITE MAKING AND FLYING OF ARCH AT EDGAR GRIFFITHS PARK - SAFER CITIZENS PROGRAM EVENT |
|
43684 |
25-Mar-04 |
BATTERY WORLD |
$208.00 |
BATTERY PURCHASES FOR RANGER SERVICES |
|
43685 |
25-Mar-04 |
BEAUMARIS FAMILY PRACTICE |
$330.00 |
VOLUNTEER FIRE FIGHTERS MEDICALS - A FISK, M SHORT & M MCVICKERS |
|
43686 |
25-Mar-04 |
BEAUREPAIRES FOR TYRES |
$37,506.00 |
TYRE FITTING SERVICES FOR FLEET MAINTENANCE |
|
43687 |
25-Mar-04 |
BEE JAYS DOOR SERVICE |
$193.60 |
RETENSION ROLLER DOOR FITTED AT WORKS DEPOT |
|
43688 |
25-Mar-04 |
BERENDSEN FLUID POWER |
$4,643.65 |
REPAIRS TO CHERRY PICKERS & RUBBISH COLLECTION TRUCKS |
|
43689 |
25-Mar-04 |
BERYL WESTON |
$60.00 |
CLEANING OF ABORIGINAL DAY CARE HALL, GIRRAWHEEN |
|
43690 |
25-Mar-04 |
BEV MANNING |
$240.00 |
8 EXERCISE CLASSES AT YANCHEP COMMUNITY CENTRE |
|
43691 |
25-Mar-04 |
BOBS BOOKS |
$63.77 |
VARIOUS BOOK PURCHASES FOR LIBRARIES |
|
43692 |
25-Mar-04 |
BOC GASES |
$96.39 |
DRY ICE PELLETS FOR HEALTH SERVICES OXYGEN CYLINDERS FOR AQUAMOTION MEDICAL EQUIPMENT |
|
43693 |
25-Mar-04 |
BOLINDA PUBLISHING PTY LTD |
$75.05 |
BOOK & AUDIO CASSETTE PURCHASES FOR LIBRARIES |
|
43694 |
25-Mar-04 |
BOLLIG DESIGN GROUP LTD |
$3,025.00 |
STAGE 4 - CONTRACT ADMINISTRATION FOR THE CLARKSON LIBRARY PROJECT |
|
43695 |
25-Mar-04 |
BOOK CITY OCEAN KEYS |
$335.38 |
VARIOUS BOOK PURCHASES FOR LIBRARIES |
|
43696 |
25-Mar-04 |
BOOK TALK |
$55.00 |
ONE HOUR TALK ‘HOW TO GET THE MOST OUT OF YOUR READING’ - MOBILE LIBRARY |
|
43697 |
25-Mar-04 |
BOYA EQUIPMENT |
$846.96 |
SPARE PARTS FOR FLEET MAINTENANCE |
|
43698 |
25-Mar-04 |
BOYNES SPRING |
$286.00 |
SPARE PARTS FOR FLEET MAINTENANCE |
|
43699 |
25-Mar-04 |
BRASIL ESPECTACULAR CLUB |
$550.00 |
2 X CAPOEIRA WORKSHOPS AT BANKSIA GROVE COMMUNITY CENTRE - YOUTH SERVICES |
|
43700 |
25-Mar-04 |
BRICKWOOD HOLDINGS PTY LTD |
$44,774.40 |
CITY OF WANNEROO 240L BINS - WASTE SERVICES |
|
43701 |
25-Mar-04 |
BRUECHLE GILCHRIST |
$302.50 |
FEASIBILITY STUDY ON EXPANSION OF COMPACTUS ON LEVEL 1 OF CIVIC CENTRE |
|
43702 |
25-Mar-04 |
BT EQUIPMENT PTY LTD |
$2,836.51 |
SPARE PARTS FOR FLEET MAINTENANCE |
|
43703 |
25-Mar-04 |
BUCKLEYS WASTE DISPOSAL |
$2,302.30 |
PERMIT LEVY & PUMP OUT OF SEPTIC TANK AT SOUTH BEACH, QUINNS ROCKS & GUMBLOSSOM SPORTS HALL |
|
43704 |
25-Mar-04 |
BUDGET PORTABLES |
$1,178.58 |
HIRE OF SECURITY CONTAINERS & CHEMICAL TOILETS - OPERATIONAL SERVICES |
|
43705 |
25-Mar-04 |
BUDGET RENT A CAR |
$885.61 |
HIRE OF 3 TONNE TIP TRUCK - PARKS MAINTENANCE & HIRE OF 12 SEATER MINI BUS FOR POT POURRI'S SUMMER CONCERT - CULTURAL SERVICES |
|
43706 |
25-Mar-04 |
BUNNINGS PTY LTD |
$1,092.38 |
HARDWARE PURCHASES FOR VARIOUS DEPARTMENTS |
|
43707 |
25-Mar-04 |
BURGTEC AUSTRALASIA PTY LTD |
$1,249.60 |
FURNITURE FOR HAINSWORTH LEISURE CENTRE OFFICE CHAIR - BUILDING SERVICES |
|
43708 |
25-Mar-04 |
BYWEST PTY LTD |
$2,436.20 |
SPARE PARTS FOR FLEET MAINTENANCE & DEPOT STOCK |
|
43709 |
25-Mar-04 |
C AND EM HARMER |
$404.70 |
NEWSPAPER DELIVERIES |
|
43710 |
25-Mar-04 |
CADBURY SCHWEPPES PTY LTD |
$643.55 |
BEVERAGES FOR ELECTED MEMBERS & STOCK FOR AQUAMOTION KIOSK |
|
43711 |
25-Mar-04 |
CANPRINT COMMUNICATIONS |
$130.00 |
12 MONTHS SUBSCRIPTION FOR GUIDE TO THE BCA UPDATES FOR 12 MONTHS (INCLUDING WEB ACCESS) - APPROVAL SERVICES |
|
43712 |
25-Mar-04 |
CAPE BYRON IMPORTS |
$783.00 |
GOGGLES & KICK BOARDS FOR AQUAMOTION |
|
43713 |
25-Mar-04 |
CAPE DEMOLITION |
$30.00 |
ROOF TILES FOR HUDSON PARK TOILETS - OPERATIONAL SERVICES |
|
43714 |
25-Mar-04 |
CARERS ASSOCIATION OF |
$46.00 |
SHORT BREAK MANUAL & VIDEO - COMMUNITY SERVICES |
|
43715 |
25-Mar-04 |
CARRAMAR RESOURCES INDUSTRIES |
$1,501.78 |
SAND DELIVERIES TO CITY |
|
43716 |
25-Mar-04 |
CARRINGTONS TRAFFIC SERVICES |
$758.33 |
TRAFFIC MANAGEMENT ON KINGSWAY ROAD 05/02/04 - OPERATIONAL SERVICES |
|
43717 |
25-Mar-04 |
CASTLE TOOLS TYROLIT PTY LTD |
$607.20 |
CONCRETE/ASPHALT LASER DISK - OPERATIONAL SERVICES |
|
43718 |
25-Mar-04 |
CASTROL AUSTRALIA PTY LTD |
$315.74 |
GREASE GUN CARTRIDGES - DEPOT STORE |
|
43719 |
25-Mar-04 |
CBC BEARINGS WA PTY LTD |
$50.95 |
SPARE PARTS FOR FLEET MAINTENANCE |
|
43720 |
25-Mar-04 |
CBC BEARINGS WA PTY LTD |
$275.55 |
SPARE PARTS FOR FLEET MAINTENANCE |
|
43721 |
25-Mar-04 |
CE NICHOLLS AND SON PTY LTD |
$792.00 |
SWIMMING POOL INSPECTIONS FEBRUARY 2004 - APPROVAL SERVICES |
|
43722 |
25-Mar-04 |
CHALLENGE BATTERIES WA |
$387.20 |
VEHICLE BATTERIES - FLEET MAINTENANCE & STORE STOCK |
|
43723 |
25-Mar-04 |
CHAMBER OF COMMERCE AND INDUSTRY |
$1,164.63 |
CONSULTANCY - PATROL OFFICER - UNFAIR DISMISSAL CONSULTANCY - AMACSU/CoW WORKPLACE RELATIONS ACT - AWARD BREACH |
|
43724 |
25-Mar-04 |
CHARTER PLUMBING AND GAS |
$922.90 |
CLEARED BLOCKED PIPE, SERVICE OF BILLI UNIT & FITTING NEW PUMP TO GROUND FLOOR KITCHEN, CIVIC CENTRE |
|
43725 |
25-Mar-04 |
CHEF EXCEL PTY LTD |
$18,727.50 |
CATERING SERVICES FOR VARIOUS COUNCIL FUNCTIONS |
|
43726 |
25-Mar-04 |
CHICKEN TREAT |
$94.80 |
CATERING FOR CHITTERING FIRE & RECRUIT TRAINING COURSE - RANGER SERVICES |
|
43727 |
25-Mar-04 |
CHRIS WILLIAMSON |
$851.40 |
HIRE OF FEATHER BANNERS FOR A DAY IN THE SHED & UNDER THE BIG TOP EVENTS |
|
43728 |
25-Mar-04 |
CITY OF JOONDALUP |
$6,057.39 |
VARIOUS LOST BOOK CHARGES - LIBRARIES |
|
43729 |
25-Mar-04 |
COASTAL SERVICES |
$423.50 |
REPAIR TO DISHWASHER IN SPINIFEX ROOM, CIVIC CENTRE |
|
43730 |
25-Mar-04 |
COATES HIRE OPERATIONS PTY LTD |
$7,033.64 |
HIRE OF GENERATORS & SWITCHBOARDS FOR JAMES REYNE CONCERT HIRE OF GENERATOR, EXTENSION LEAD, BOX TRAILER & FLOODLIGHTS FOR LIVE CONCERT AT KINGSWAY RUGBY OVAL HIRE OF PORTABLE TOILETS - A DAY IN THE SHED - SAFER CITIZENS EVENT |
|
43731 |
25-Mar-04 |
COCA COLA AMATIL PTY LTD |
$247.11 |
BEVERAGES FOR ELECTED MEMBERS |
|
43732 |
25-Mar-04 |
COLES SUPERMARKETS AUST PTY LTD |
$152.16 |
TEA,COFFEE, SUGAR & CLEANING PRODUCTS FOR ABORIGINAL SENIORS GROUP |
|
43733 |
25-Mar-04 |
COLES SUPERMARKETS AUST PTY LTD |
$77.60 |
FOOD & COOKING SUPPLIES FOR YOUTH PROGRAMME AT HAINSWORTH LEISURE CENTRE |
|
43734 |
25-Mar-04 |
COLLINS CRAFT AND SCHOOL SUPPLIES |
$180.11 |
CRAFT SUPPLIES FOR WANNEROO LIBRARY & ALEXANDER HEIGHTS AGED DAY CARE |
|
43735 |
25-Mar-04 |
COMMUNIQUE COMMUNICATION SYSTEMS |
$1,830.00 |
MOBILE PHONES & CAR KITS FOR VARIOUS VEHICLES |
|
43736 |
25-Mar-04 |
COMPLETE TURF SUPPLIES |
$1,694.00 |
SUPPLY & LAY TURF AT FRONT OF SHOPPING CENTRE MIRRABOOKA AVENUE, ALEXANDER HEIGHTS |
|
43737 |
25-Mar-04 |
CONCEPT MEDIA |
$315.48 |
ADVERTISING IN HAVE-A-GO FEBRUARY 2004 - HERITAGE DEPARTMENT |
|
43738 |
25-Mar-04 |
CONSOLIDATED BROADCASTING |
$7,128.00 |
92.9FM RADIO ADVERTISING FOR LIVE YOUTH CONCERT |
|
43739 |
25-Mar-04 |
CONTIS WINES |
$236.36 |
BEVERAGES FOR ELECTED MEMBERS |
|
43740 |
25-Mar-04 |
COOL RUNNINGS |
$414.33 |
MOBILE COOL ROOM HIRE - LIVE 2004 CONCERT |
|
43741 |
25-Mar-04 |
COR ENGINEERED COOLING PTY LTD |
$2,513.50 |
CHARGE AIR COOLER - FLEET MAINTENANCE |
|
43742 |
25-Mar-04 |
COURIER AUSTRALIA |
$527.67 |
COURIER SERVICES FOR CITY |
|
43743 |
25-Mar-04 |
CR KENNEDY AND CO PTY LTD |
$1,859.00 |
SERVICE OF EQUIPMENT 01/01/04 TO 31/12/04 - SURVEY SERVICES |
|
43744 |
25-Mar-04 |
CSBP LIMITED |
$550.55 |
POOL CHEMICALS FOR AQUAMOTION |
|
43745 |
25-Mar-04 |
CULLY'S RACE EQUIPMENT |
$900.00 |
RED RACER HARNESSES - YOUTH RALLY TEAM |
|
43746 |
25-Mar-04 |
CUMMINS ENGINE COMPANY PTY LTD |
$1,342.03 |
SPARE PARTS FOR FLEET MAINTENANCE |
|
43747 |
25-Mar-04 |
CUSTOM ENGINEERING |
$209.00 |
SERVICE CAB TILT RAM - FLEET MAINTENANCE |
|
43748 |
25-Mar-04 |
CUTTING EDGES PTY LTD |
$316.45 |
PARTS FOR FLEET MAINTENANCE & REPAIRS |
|
43749 |
25-Mar-04 |
D AND M LAUNDRY SERVICE |
$523.55 |
LAUNDRY SERVICES - ELECTED MEMBERS |
|
43750 |
25-Mar-04 |
DANIELS SHARPSMART AUSTRALIA PTY LTD |
$71.45 |
SUPPLY OF EQUIPMENT - HEALTH SERVICES |
|
43751 |
25-Mar-04 |
DELTALINE SECURITY |
$11,605.00 |
SECURITY SERVICES FOR LIVE CONCERT |
|
43752 |
25-Mar-04 |
DEREK NEWTON |
$300.00 |
SKETCHING & PYROGRAPHY FOR A DAY IN THE SHED EVENT - SAFER CITIZENS EVENT |
|
43753 |
25-Mar-04 |
DIRECT COMMUNICATIONS |
$961.91 |
COMMUNICATION EQUIPMENT - RANGER SERVICES |
|
43754 |
25-Mar-04 |
DIRECT NATIONAL BUSINESS MACHINES |
$2,575.50 |
PAPER GUILLOTINE ($1,800) & SERVICE CALL-OUT ON PAPER PUNCH ($775) - STRATEGIC & EXECUTIVE |
|
43755 |
25-Mar-04 |
DME CONTRACTORS |
$1,056.00 |
TRANSPLANTING OF GRASS TREES - OPERATIONAL SERVICES |
|
43756 |
25-Mar-04 |
DRIVE IN ELECTRICS |
$3,222.70 |
VARIOUS REPAIRS FOR FLEET MAINTENANCE |
|
43757 |
25-Mar-04 |
DRIVESHAFT BALANCING SERVICES |
$418.00 |
REPLACE SLIP & STUB BALANCE - FLEET MAINTENANCE |
|
43758 |
25-Mar-04 |
DWIGHT HOLDINGS PTY LTD |
$269.50 |
LOCATE TELSTRA SERVICE TARONGA PLACE, CARABOODA - OPERATIONAL SERVICES RAISE TELSTRA PIT AT STEBBING WAY GIRRAWHEEN 6/02/04 - OPERATIONAL SERVICES |
|
43759 |
25-Mar-04 |
DYMOCKS |
$348.79 |
BOOK PURCHASES - GIRRAWHEEN LIBRARY |
|
43760 |
25-Mar-04 |
ECOLOGICALLY SUSTAINABLE DESIGN |
$5,452.98 |
ESD PROFESSIONAL SERVICES & RELATED EXPENSES FOR NORTHWEST CORRIDOR STRUCTURE PLAN STAKEHOLDERS WORKSHOP 28-30/01/04 |
|
43761 |
25-Mar-04 |
EDGEWATER COMMUNICATIONS |
$275.00 |
INSTALL NEW SAMSUNG HX308 KEYSTATION – I.T. SERVICES |
|
43762 |
25-Mar-04 |
EDGEWATER VETERINARY HOSPITAL |
$253.50 |
EUTHANASIA OF 24 DOGS - RANGER SERVICES |
|
43763 |
25-Mar-04 |
ELECTROLUX CONSTRUCTION |
$28.60 |
SPARE PARTS FOR FLEET MAINTENANCE |
|
43764 |
25-Mar-04 |
ELSEVIER AUSTRALIA |
$65.29 |
ORGANISATION BEHAVIOUR - LEISURE SERVICES |
|
43765 |
25-Mar-04 |
ENGEL DISTRIBUTION PTY LTD |
$1,091.20 |
40 LTR FRIDGE/FREEZER & BAG - HEALTH SERVICES |
|
43766 |
25-Mar-04 |
ENZED SERVICE CENTRE PERTH |
$66.00 |
REPAIRS TO JCB - FLEET MAINTENANCE |
|
43767 |
25-Mar-04 |
ERS AUSTRALIA PTY LTD |
$150.70 |
PARTS WASHER SERVICE - FLEET MAINTENANCE |
|
43768 |
25-Mar-04 |
EXPRESS CHEMICALS |
$242.00 |
SHOCKRITE CHEMICALS - AQUAMOTION |
|
43769 |
25-Mar-04 |
EYES ON |
$151.00 |
SAFETY GLASSES FOR T STEVEN - PARKS MAINTENANCE |
|
43770 |
25-Mar-04 |
FASTWAY COURIERS PERTH |
$110.00 |
COURIER SERVICES FOR CITY |
|
43771 |
25-Mar-04 |
FIDDES FENCING |
$163.76 |
PAYMENT FOR COLOURBOND INFILLS (MISTAKENLY PICKED UP ON BULK REFUSE WEEK) |
|
43772 |
25-Mar-04 |
FORCORP PTY LTD |
$2,799.50 |
SUPPLY/REPAIR STROBE LIGHTS - FLEET MAINTENANCE |
|
43773 |
25-Mar-04 |
FREEWAY SCREENS AND WINDOWS |
$132.00 |
SUPPLY 8 SLIDING WINDOWS & HATCHES - BUILDING MAINTENANCE |
|
43774 |
25-Mar-04 |
FRICTION CONTROL |
$319.31 |
SPARE PARTS FOR FLEET MAINTENANCE |
|
43775 |
25-Mar-04 |
FRIENDS OF YELLAGONGA |
$220.00 |
ATTENDANCE AT THE SAFER CITIZENS EVENT A DAY IN THE SHED |
|
43776 |
25-Mar-04 |
GALVINS PLUMBING PLUS |
$320.00 |
SPARE PARTS FOR FLEET MAINTENANCE |
|
43777 |
25-Mar-04 |
GELDENS PTY LTD |
$84.08 |
FESA 300 FIRE SERVICES SHIRTS & FS129 FIRE SERVICES BADGES |
|
43778 |
25-Mar-04 |
GIRRADOOLA LIONS CLUB |
$80.00 |
TRAIN RIDES FOR UNDER THE BIG TOP EVENT - SAFER CITIZENS EVENT |
|
43779 |
25-Mar-04 |
GLENFORDS TOOL CENTRE |
$300.00 |
12V DRILL, BATTERY & CARRY CASE - FLEET MAINTENANCE |
|
43780 |
25-Mar-04 |
GLOBE AUSTRALIA PTY LTD |
$6,887.10 |
CHEMICALS: RED OUT DYE ($304.70) WIPEOUT 360 X 20LT ($2,163.70) MAXWET TURF WETTING & FUSILADE ($4,418.70) |
|
43781 |
25-Mar-04 |
GM AND J LOMBARDI PTY LTD |
$148.50 |
SPARE PARTS FOR FLEET MAINTENANCE |
|
43782 |
25-Mar-04 |
GNANGARA VETERINARY HOSPITAL |
$381.30 |
EUTHANASIA OF INJURED HORSE - RANGER SERVICES |
|
43783 |
25-Mar-04 |
GPR TRUCK SALES & SERVICE |
$632.50 |
WHEEL ALIGNMENT & AXLE CORRECTION ON WN31761 |
|
43784 |
25-Mar-04 |
GRAFFITI SYSTEMS AUSTRALIA |
$6,270.00 |
GRAFFITI REMOVAL |
|
43785 |
25-Mar-04 |
GREEN AND GOLD HIAB SERVICES |
$481.25 |
REMOVE/INSTALL PUMP AT MINTARO PARK - PARKS 26/02/04 |
|
43786 |
25-Mar-04 |
GREENS HIAB SERVICE |
$133.65 |
TRANSPORT OF 2 PALLETS OF SLABS TO KOONDOOLA PARK - PARKS MAINTENANCE |
|
43787 |
25-Mar-04 |
HARBOTTLE ON PREMISE |
$209.33 |
BEVERAGES FOR ELECTED MEMBERS |
|
43788 |
25-Mar-04 |
HARVEY NORMAN |
$60.00 |
64MB SD CARD – OPERATIONAL SERVICES |
|
43789 |
25-Mar-04 |
HERRING STORER ACOUSTICS |
$1,628.00 |
ACOUSTIC ASSESSMENT/NOISE TESTING IN WORKSHOP |
|
43790 |
25-Mar-04 |
HITACHI CONSTRUCTION MACHINERY |
$2,927.89 |
VARIOUS VEHICLE FILTERS - DEPOT STORE STOCK |
|
43791 |
25-Mar-04 |
HOME CHEF |
$4,727.92 |
PROVISION OF SERVICES FOR HACC/CACP CLIENTS |
|
43792 |
25-Mar-04 |
HUGALL AND HOILE |
$305.80 |
SPARE PARTS FOR DEPOT STORE STOCK |
|
43793 |
25-Mar-04 |
HUGALL AND HOILE |
$15,508.03 |
VARIOUS RETICULATION SUPPLIES - PARKS MAINTENANCE |
|
43794 |
25-Mar-04 |
ICON OFFICE TECHNOLOGY |
$761.58 |
PHOTOCOPIER METER READING AND REPAIRS - VARIOUS |
|
43795 |
25-Mar-04 |
IMPRINT PLASTICS |
$33.00 |
ID CARDS FOR LUKE GARDNER, PLANNING OFFICER & P AVERY, RANGER |
|
43796 |
25-Mar-04 |
INCREDIBLE CREATURES |
$946.00 |
MOBILE FARM FOR SAFER CITIZENS EVENTS |
|
43797 |
25-Mar-04 |
INDUSTRIAL FITTINGS SALES |
$74.55 |
INDUSTRIAL FITTINGS FOR OPERATIONAL SERVICES |
|
43798 |
25-Mar-04 |
INSTITUTE OF PUBLIC WORKS ENGINEERING AUSTRALIA |
$440.00 |
ATTENDANCE OF N JURICEV AT 2004 PUBLIC WORKS ENGINEERING STATE CONFERENCE |
|
43799 |
25-Mar-04 |
INTERCITY OFFICE PARTITIONING |
$7,400.80 |
CLEANING OF GUTTERS AT GUMBLOSSOM HALL, CRAFT ROOM & COMMUNITY CENTRE CLEANING OF GUTTERS AT DEPOT PARKS & HISTORIC SHEDS REMOVE BRICK WALL & PATCH CONCRETE AT GIRRAWHEEN SCOUTS HALL REPAINT WALLS, REPLACE SINK, RENEW HOT WATER SYSTEM & LABOUR FOR TILING AT GIRRAWHEEN SENIOR CITIZENS REMOVAL OF SCREEN WALLS & EXTEND CONCRETE PATHS AT CHARNWOOD & CABRINA RESERVES |
|
43800 |
25-Mar-04 |
INTERQUARTZ PTY LTD |
$653.40 |
3 GEMINI 10 MEMORY PHONES – I.T. SERVICES |
|
43801 |
25-Mar-04 |
J AND K HOPKINS |
$134.00 |
BARBIE ERGONOMIC CHAIR - FLEET MAINTENANCE |
|
43802 |
25-Mar-04 |
JAPANESE TRUCK AND BUS SPARES |
$272.80 |
BRAKE REPAIR KITS - FLEET MAINTENANCE |
|
43803 |
25-Mar-04 |
JB HIFI PERTH |
$1,521.64 |
MUSIC CD & DVD PURCHASES - GIRRAWHEEN LIBRARY |
|
43804 |
25-Mar-04 |
JB PRECISE ENGINEERING |
$3,586.00 |
REPAIR WORK FOR FLEET MAINTENANCE |
|
43805 |
25-Mar-04 |
JCA WESTSIDE |
$869.00 |
INSTALL RADIO TO WN30919 AND NEW MONITOR TO TRUCK - FLEET MAINTENANCE |
|
43806 |
25-Mar-04 |
JENNY STERPINI |
$150.00 |
3HRS OF REMEDIAL MASSAGE FOR THE DAY IN THE SHED - SAFER CITIZENS EVENT |
|
43807 |
25-Mar-04 |
JMAC INDUSTRIES |
$165.00 |
CLEANING RAGS - DEPOT STORE STOCK |
|
43808 |
25-Mar-04 |
JOANNE JAMES |
$1,060.00 |
TEMPORARY TATTOOS & FACE PAINTING AT VARIOUS SAFER CITIZENS EVENTS |
|
43809 |
25-Mar-04 |
JOONDALUP DRIVE MEDICAL CENTRE |
$1,015.45 |
HEPATITIS B VACCINATION AND CONSULTATION FOR R ARNOLD, G FORSTER, N ARNOLD & V BRIDGE PRE-EMPLOYMENT MEDICAL & W/O AUDIO FOR CJ WEBB, CW HARRISON, DE VINCENT, PK AVERY, MD ARMSTRONG, B THOMPTON, CA LEONARD, V DICKERSON, R KUBITZA & JV DRIVER |
|
43810 |
25-Mar-04 |
JURGEN LUNSMANN PHOTOGRAPH |
$1,930.01 |
PHOTOGRAPHS FOR VARIOUS CITY EVENTS & FUNCTIONS |
|
43811 |
25-Mar-04 |
K & F CONCRETE |
$5,743.10 |
VARIOUS CONCRETE WORKS - OPERATIONAL SERVICES |
|
43812 |
25-Mar-04 |
K MART AUSTRALIA LTD |
$298.89 |
SPORTING EQUIPMENT FOR HAINSWORTH LEISURE CENTRE |
|
43813 |
25-Mar-04 |
KANBAY PTY LTD |
$2,247.30 |
50 USER LICENCE MAINTENANCE AC/9401-50SM |
|
43814 |
25-Mar-04 |
KBR WATER SERVICES PTY LTD |
$23,215.50 |
NEW PUMP & PUMP REPAIRS AT VARIOUS PARKS - OPERATIONAL SERVICES |
|
43815 |
25-Mar-04 |
KEITH HARDING |
$100.00 |
DEMONSTRATION AT A DAY IN THE SHED EVENT - SAFER CITIZENS EVENT |
|
43816 |
25-Mar-04 |
KERBING WEST |
$20,557.52 |
KERBING WORKS AT VARIOUS SITES - OPERATIONAL SERVICES |
|
43817 |
25-Mar-04 |
KLEENHEAT GAS PTY LTD |
$19.80 |
GAS CYLINDERS FOR QUINNS CARAVAN PARK |
|
43818 |
25-Mar-04 |
KLYNE CONSULTANTS |
$2,090.00 |
ROAD SAFETY AUDIT (DETAILED DESIGN) INTERSECTION OF McPHARLIN AVENUE TO QUINNS ROAD, QUINNS ROCKS |
|
43819 |
25-Mar-04 |
KNIGHT AND SONS |
$306.70 |
FOOD FOR ANIMAL CARE CENTRE - RANGER SERVICES |
|
43820 |
25-Mar-04 |
KOORONG |
$530.85 |
BOOK PURCHASES - GIRRAWHEEN LIBRARY |
|
43821 |
25-Mar-04 |
L & T VENABLES |
$24.53 |
BOLT FOR FLEET MAINTENANCE |
|
43822 |
25-Mar-04 |
LADYBIRDS PLANT HIRE |
$85.80 |
RENTAL OF INDOOR PLANTS FOR FEBRUARY 2004 |
|
43823 |
25-Mar-04 |
LAMSON CONCEPT LTD |
$154.00 |
CLEAN PRESSURE SEALER - LIBRARY SERVICES |
|
43824 |
25-Mar-04 |
LANDSCAPE DEVELOPMENT |
$19,474.15 |
LANDSCAPE WORKS TO VARIOUS ROUNDABOUTS LANDSCAPE WORKS EAST ROAD HOCKING MAINTENANCE TO VERGES & MEDIANS FEBRUARY 2004 |
|
43825 |
25-Mar-04 |
LASER PLUS 1996 PTY LTD |
$24,149.97 |
16 KYOCERA PRINTERS – I.T. TECHNOLOGY |
|
43826 |
25-Mar-04 |
LAWRENCE AND HANS0N |
$730.33 |
SUPPLY 50MM ELECTRICAL CONDUITS FOR ANTHONY WARING CAR PARK SAFETY EQUIPMENT - DEPOT STORE STOCK |
|
43827 |
25-Mar-04 |
LIFTRITE TOYOTA |
$403.04 |
SPARE PARTS FOR FLEET MAINTENANCE |
|
43828 |
25-Mar-04 |
LINFOX ARMAGUARD |
$716.36 |
CASH COLLECTION FROM CUSTOMER SERVICE KEY SAFE COLLECTION - AQUAMOTION |
|
43829 |
25-Mar-04 |
LYONS AND PEIRCE |
$9,009.00 |
HIRE OF CAMEL TRUCK & OPERATOR JET STORM WATER LINES & VACUUM SUMPS |
|
43830 |
25-Mar-04 |
M LAVAN |
$1,500.00 |
AQUAMOTION CRECHE OPERATION |
|
43831 |
25-Mar-04 |
MAIN ROADS |
$495.00 |
2 DAY TRAINING PROGRAM ENTITLED "BARRIER DESIGN COURSE" FOR LAND DEVELOPMENT ENGINEER, ELIAS AYAD |
|
43832 |
25-Mar-04 |
MATRIX PRODUCTIONS |
$1,050.00 |
HIRE OF CROWD CONTROL BARRIER LIVE 2004 |
|
43833 |
25-Mar-04 |
MCLEODS BARRISTERS AND SOLICITORS |
$2,027.50 |
PROFESSIONAL SERVICES - WANNEROO MARKETS PROFESSIONAL SERVICES - APPEAL TREMAINE V CITY PROFESSIONAL SERVICES - ILLEGAL WALL VERGE GRATWICK WAY, KOONDOOLA PROFESSIONAL SERVICES - DILAPIDATED BUILDING EAST ROAD, PEARSALL PROFESSIONAL SERVICES - WATER DISCHARGE BUCKINGHAM DRIVE |
|
43834 |
25-Mar-04 |
MEERILINGA YOUNG CHILDRENS FOUNDATION INC |
$176.00 |
CUSTOMISED TRAINING SESSION HELD 03/11/03 ON EXCLUSION GUIDELINES FOR FAMILY DAY CARE SERVICES |
|
43835 |
25-Mar-04 |
MERCURY FIRE SAFETY |
$1,373.52 |
INSPECTION & TESTING OF ESSENTIAL FIRE SERVICES FOR FEBRUARY 2004 |
|
43836 |
25-Mar-04 |
MEY EQUIPMENT |
$212.57 |
MOWER SPARE PARTS FOR FLEET MAINTENANCE EDGER CUTTING HEAD BEARING HOUSING & D19 HANDGRIP DEUTSCHER |
|
43837 |
25-Mar-04 |
MIDWAY FORD |
$84,300.48 |
3 X NEW VEHICLES WN384, WN402 & WN32153 - FLEET SERVICES |
|
43838 |
25-Mar-04 |
MIKE GEARY SIGNS |
$363.00 |
SIGN FOR LOT 1383 (50) BALTIMORE PARADE, MERRIWA (DA03/1025) - PLANNING APPROVALS |
|
43839 |
25-Mar-04 |
MINDARIE REGIONAL COUNCIL |
$82,785.32 |
MRF REFUSE, SMALL ANIMAL, RESERVE, GENERAL, COMMERCIAL & DOMESTIC WASTE DISPOSAL |
|
43840 |
25-Mar-04 |
MINI EXCAVATORS PTY LTD |
$198.00 |
EXCAVATOR HIRE FOR KOONDOOLA PARK - OPERATIONAL SERVICES |
|
43841 |
25-Mar-04 |
MIRACLE RECREATION EQUIPMENT PTY LTD |
$429.00 |
S HOOKS FOR PLAYGROUND EQUIPMENT - PARKS DEPARTMENT |
|
43842 |
25-Mar-04 |
MIRCO BROS PTY LTD |
$236.50 |
5 LT OF PULSE PENETRANT FOR OPERATIONS - CONSERVATIONS |
|
43843 |
25-Mar-04 |
MISA 2000 PTY LTD |
$1,595.00 |
REPAIR COMPACTOR UNDERSIDE APE#796 - FLEET MAINTENANCE |
|
43844 |
25-Mar-04 |
MOBILE PHONE INSTALLATION |
$165.00 |
REMOVE HANDSFREE KIT FROM WN31682 & INSTALL IN WN213 - INFRASTRUCTURE SERVICES |
|
43845 |
25-Mar-04 |
MOTORLIFE |
$311.52 |
AUTO AEROSOL INOX - DEPOT STORE STOCK |
|
43846 |
25-Mar-04 |
MOTOROLA |
$683.08 |
HIRE OF TWO-WAY RADIOS FOR LIVE 2004 |
|
43847 |
25-Mar-04 |
MULTICULTURAL AGED CARE SERVICE |
$33.00 |
ATTENDANCE OF S MACE AT PLANNING MULTICULTURAL ACTIVITIES WORKSHOP |
|
43848 |
25-Mar-04 |
NGALA FAMILY RESOURCE CENTRE |
$180.00 |
VIDEO & BOOKS ON PLAY & SECRET OF GOOD EATERS - FAMILY DAY CARE SERVICES |
|
43849 |
25-Mar-04 |
NON ORGANIC DISPOSALS |
$8,878.10 |
DISPOSAL OF GLASS - WASTE SERVICES DISPOSAL OF VARIOUS MATERIALS - OPERATIONAL SERVICES |
|
43850 |
25-Mar-04 |
NORTHSIDE MUFFLERS |
$150.00 |
REPLACE REAR EXHAUST - FLEET MAINTENANCE |
|
43851 |
25-Mar-04 |
NOVUS WINDSCREEN REPAIRS |
$771.76 |
SUPPLY & FIT WINDSCREEN TO WN31510 SUPPLY & FIT FLAT LAMINATED GLASS TO WN30430 SUPPLY & FIT DOOR GLASS TO WN31755 |
|
43852 |
25-Mar-04 |
NOWERGUP SANDS |
$385.35 |
FILL SAND FOR OPERATIONAL SERVICES |
|
43853 |
25-Mar-04 |
NUFORD WANNEROO |
$29,936.70 |
VARIOUS SERVICES & WORKS - - FLEET MAINTENANCE NEW VEHICLE FORD FUTURA WN31820 ($28,667.65) – FLEET SERVICES |
|
43854 |
25-Mar-04 |
NURSERYMENS SUPPLIES |
$349.54 |
TREE TIE TUBES - PARKS DEPARTMENT |
|
43855 |
25-Mar-04 |
OH AND JM EDWARDS |
$467.50 |
REMOVE RADIO & GPS TO WN31366 - FLEET SERVICES |
|
43856 |
25-Mar-04 |
OPTIMA PRESS |
$308.00 |
LIBRARY SERVICES BOOK CLUB KIT |
|
43857 |
25-Mar-04 |
OSBORNE PARK WELDING SUPPLIES |
$130.90 |
LABOUR & PARTS FOR MIG WELDER - FLEET MAINTENANCE |
|
43858 |
25-Mar-04 |
OTIS ELEVATOR COMPANY PTY LTD |
$2,002.00 |
LIFT MAINTENANCE APR-JUNE 2004 - CIVIC CENTRE |
|
43859 |
25-Mar-04 |
OZZI BUGS |
$532.99 |
HIRE OF OZZI BUS (DEDUCTION OF $75 DUE TO ONE BUGGY INACTIVE) |
|
43860 |
25-Mar-04 |
PACIFIC BRANDS APPAREL |
$803.15 |
UNIFORM ISSUE FOR OUTSIDE WORKERS |
|
43861 |
25-Mar-04 |
PACIFIC FLY MOTION |
$1,705.00 |
HIRE OF THE 4 IN 1 BUNGY TRAMPOLINE FOR LIVE 2004 07/02/04 |
|
43862 |
25-Mar-04 |
PERTH CONCERT SOUND AND VIDEO |
$3,025.00 |
3 DAYS RECORDING PRIZE LIVE BATTLE OF THE BANDS & LIVEWURKS WORKSHOPS |
|
43863 |
25-Mar-04 |
PERTH HOME CARE |
$185.50 |
PROVISION OF SERVICES TO HACC/CACP CLIENTS |
|
43864 |
25-Mar-04 |
PERTH STRIPES AND SIGNS |
$7,397.50 |
CHANGE/ADD STRIPING & LOGOS TO 19 X RANGER VEHICLES |
|
43865 |
25-Mar-04 |
PERTH THEATRE TRUST |
$1,540.00 |
PRINTING OF TICKETS FOR LIVE 2004 |
|
43866 |
25-Mar-04 |
PETER WOOD PTY LTD |
$5,173.30 |
INSTALL/REPAIR FENCING AT VARIOUS SITES - BUILDING MAINTENANCE |
|
43867 |
25-Mar-04 |
PHARMACY PLUS JOONDALUP |
$39.90 |
PHOTO DEVELOPMENT - FIRE SERVICES |
|
43868 |
25-Mar-04 |
PHIL SNAPES ACCIDENT |
$1,202.00 |
INSURANCE REPAIRS TO WN31652 & WN32015 |
|
43869 |
25-Mar-04 |
PHOTOLAND |
$23.90 |
DEVELOPMENT OF PANORAMIC PHOTOS - ENGINEERING WORKS |
|
43870 |
25-Mar-04 |
PICTON PRESS |
$760.10 |
GOLD BROCHURE FILM PRINTING - COMMUNITY SERVICES |
|
43871 |
25-Mar-04 |
PIONEER ROAD SERVICES PTY LTD |
$138,341.60 |
DELIVERY & SPRAYING OF BITUMEN AT VARIOUS LOCATIONS - OPERATIONAL SERVICES |
|
43872 |
25-Mar-04 |
PITSTOP BOOKSHOP |
$978.40 |
BOOK PURCHASES - WANNEROO LIBRARY |
|
43873 |
25-Mar-04 |
PLANWEST |
$6,551.05 |
PROFESSIONAL SERVICES - LOCAL COMMERCIAL CENTRES STRATEGY |
|
43874 |
25-Mar-04 |
PLASTIC FABRICATORS WA |
$357.50 |
1 ONLY 4.5MM PVC BUNDING TRAY FOR AQUAMOTION POOL - BUILDING MAINTENANCE |
|
43875 |
25-Mar-04 |
PLE COMPUTERS |
$352.40 |
COMPUTER ACCESSORIES – I.T. SERVICES |
|
43876 |
25-Mar-04 |
POLY POOLS |
$1,300.00 |
REPAIRS TO POOL AT AQUAMOTION |
|
43877 |
25-Mar-04 |
PONIES FOR ANY OCCASION |
$460.00 |
PONY RIDE FOR ANIMALIA - SAFER CITIZENS EVENT |
|
43878 |
25-Mar-04 |
POSEIDON IRRIGATION |
$3,129.50 |
IRRIGATION DESIGN FOR HEPBURN AVENUE |
|
43879 |
25-Mar-04 |
PR AGENCIES |
$126.35 |
CAMERA PHOTOGRAPHIC POLAROID 600FF INSTAMATIC - DEPOT STORE STOCK |
|
43880 |
25-Mar-04 |
PRODUCTIVE PLASTICS |
$24.20 |
1 X 10MM EGG CRATE FOR GUMBLOSSOM COMMUNITY CENTRE - BUILDING MAINTENANCE |
|
43881 |
25-Mar-04 |
PROFESSIONAL TRAVEL |
$3,241.12 |
AIRFARES FOR C WILLIAMS TO ATTEND UDIA 2004 NATIONAL CONGRESS 12/03/04 CAR HIRE FOR JAMES REYNE GROUP AIRFARES FOR CR LOFTUS TO ATTEND NATIONAL COASTAL CONFERENCE 17/04/04 ACCOMMODATION FOR MEMBERS OF REGURGITATOR FOR LIVE 2004 |
|
43882 |
25-Mar-04 |
PROTECTOR ALSAFE |
$2,760.55 |
VARIOUS SAFETY ITEMS - DEPOT STORE STOCK |
|
43883 |
25-Mar-04 |
PWE VALUATIONS PTY LTD |
$1,146.00 |
PROPERTY VALUED - LOTS 15-17, 20, 21 PT. 209 ELLIOT ROAD, HOCKING |
|
43884 |
25-Mar-04 |
QUALCON LABORATORIES |
$330.00 |
TESTING OF ESL- TARONGA PLACE, CARABOODA - OPERATIONAL SERVICES TESTING OF LIMESTONE AT AVILA WAY, ALEXANDER HEIGHTS 27/2/04 - OPERATIONAL SERVICES |
|
43885 |
25-Mar-04 |
RANGE FORD |
$30,025.19 |
NEW FORD SEDAN WN32134 - FLEET SERVICES |
|
43886 |
25-Mar-04 |
RB MARRIS |
$40.00 |
WASH FIRE CHIEFS VEHICLE - FIRE SERVICES |
|
43887 |
25-Mar-04 |
RCG PTY LTD |
$5,411.22 |
FILL SAND, LANDFILL CLEANFILL & RUBBLE MIXED - OPERATIONAL SERVICES |
|
43888 |
25-Mar-04 |
READYMIX HOLDINGS PTY LTD |
$18,070.04 |
SUPPLY OF CONCRETE PRODUCTS FOR VARIOUS SITES - OPERATIONAL SERVICES |
|
43889 |
25-Mar-04 |
REEKIE PROPERTY SERVICES |
$36,455.40 |
CLEANING OF ALL CITY FACILITIES FOR FEBRUARY 2004 |
|
43890 |
25-Mar-04 |
REPCO AUTO PARTS |
$495.00 |
SPARE PARTS FOR FLEET MAINTENANCE |
|
43891 |
25-Mar-04 |
ROADS 2000 PTY LTD |
$39,376.00 |
SUPPLY GRANITE, SUPPLY & LAY ASHPALT AT VARIOUS SITES - OPERATIONAL SERVICES |
|
43892 |
25-Mar-04 |
ROCLA QUARRY PRODUCTS |
$42.07 |
FILLING SAND DELIVERED FOR OPERATIONAL SERVICES |
|
43893 |
25-Mar-04 |
ROPE ACCESS WA |
$462.00 |
HIRE OF CLIMBING WALL FOR UNDER THE BIG TOP EVENT, 14/02/04 |
|
43894 |
25-Mar-04 |
ROYAL LIFE SAVING SOCIETY AUSTRALIA |
$1,517.40 |
PROVISION OF FIRST AID SERVICES FOR UNDER THE BIG TOP EVENT - SAFER CITIZENS EVENT FIRST AID FOR BROADWAY CONCERT - SUMMER CONCERT SERIES PROVISION OF FIRST AID SERVICES FOR LIVE YOUTH CONCERT |
|
43895 |
25-Mar-04 |
RUSSELL LANDSCAPING WA PTY LTD |
$7,326.00 |
LANDSCAPING CHARNWOOD RESERVE TWO ROCKS SKATE PARK PLANTING GREENPARK ROAD & ALEXANDER HEIGHTS |
|
43896 |
25-Mar-04 |
SALMAT |
$418.13 |
LETTERBOX DISTRIBUTIONS FOR UNDER THE BIG TOP & A DAY IN THE SHED - SAFER CITIZENS EVENT |
|
43897 |
25-Mar-04 |
SANDBLASTING SERVICES |
$1,210.00 |
SANDBLAST & SPRAY PAINT BOX TRAILERS & TOOLBOXES - FLEET MAINTENANCE |
|
43898 |
25-Mar-04 |
SANDERSON ENGINEERING COMPANY |
$429.00 |
STIHL BG85 BLOWER/VAC - PURCHASED BY INSURANCE SERVICES |
|
43899 |
25-Mar-04 |
SCANIA AUSTRALIA PTY LTD |
$154.45 |
SPARE PARTS & FREIGHT FOR FLEET MAINTENANCE |
|
43900 |
25-Mar-04 |
SCATENA AND ASSOCIATES |
$880.00 |
SURVEY, MEASURE & PREPARE MEASURED DRAWING - WANNEROO LIBRARY RELOCATION |
|
43901 |
25-Mar-04 |
SCHIAVELLO WA PTY LTD |
$806.30 |
PAPER TRAYS, MOBILE PEDESTALS & SHELF WITH BRACKET - PARKS DEPARTMENT |
|
43902 |
25-Mar-04 |
SCITECH DISCOVERY CENTRE |
$300.00 |
SCITECH - SCIENCE ROADSHOW DURING UNDER THE BIG TOP EVENT 14/02/04 |
|
43903 |
25-Mar-04 |
SCOTTS TRIMMING SERVICE |
$561.00 |
REPAIRS FOR FLEET MAINTENANCE SUPPLY AND FIT TONNEAU COVER BAR & FITTINGS - WORKSHOP |
|
43904 |
25-Mar-04 |
SENSIS PTY LTD |
$202.40 |
YELLOW & WHITE PAGES ONLINE ADVERTISING - AQUAMOTION |
|
43905 |
25-Mar-04 |
SHENTON ENTERPRISES PTY LTD |
$662.97 |
CHLORINE & PH INJECTORS FOR AQUAMOTION POOL |
|
43906 |
25-Mar-04 |
SINCLAIR KNIGHT MERZ |
$9,955.00 |
CLAIM NO 1 CLARKSON BUTLER PEDESTRIAN CROSSING REVIEWS |
|
43907 |
25-Mar-04 |
SJW PODIATRY PTY LTD |
$4,400.00 |
PODIATRY SERVICES FOR JANUARY & FEBRUARY 2004 |
|
43908 |
25-Mar-04 |
SOLVER PAINTS |
$736.10 |
PAINT SUPPLIES FOR GRAFFITI CONTROL PROGRAM |
|
43909 |
25-Mar-04 |
SOUTHERN CROSS BUSH BAND |
$600.00 |
A DAY IN THE SHED - SAFER CITIZENS EVENT |
|
43910 |
25-Mar-04 |
SOUTHERN SCENE |
$897.55 |
BOOKS, VIDEOS & CASSETTES - WANNEROO LIBRARY |
|
43911 |
25-Mar-04 |
SPECIALISED FORCE PTY LTD |
$370.70 |
REPAIRS TO CHAIN SAW - FLEET MAINTENANCE |
|
43912 |
25-Mar-04 |
SPEEDO AUSTRALIA PTY LTD |
$3,920.40 |
ASSORTED GOOGLES FOR AQUAMOTION |
|
43913 |
25-Mar-04 |
SPIERS AND SONS |
$242.00 |
HAUL VEHICLE FROM CJD EQUIPMENT TO DEPOT - FLEET MAINTENANCE |
|
43914 |
25-Mar-04 |
SPINELESS WONDERS WILDLIFE EDUCATION INCURSIONS |
$370.00 |
SPINELESS WONDERS PRESENTATION 13 & 15/04/04 |
|
43915 |
25-Mar-04 |
SPORTS SURFACES |
$33.00 |
STORES FOR PARKS MAINTENANCE |
|
43916 |
25-Mar-04 |
SPOTLIGHT STORES PTY LTD |
$1,152.13 |
HESSIAN MATERIAL FOR HERITAGE & MUSEUM PROGRAM ACTIVITIES VARIOUS CRAFT SUPPLIES FOR COMMUNITY SERVICES CENTRES & PROGRAMS |
|
43917 |
25-Mar-04 |
ST JOHN AMBULANCE OF AUSTRALIA |
$125.00 |
ANIMALIA FIRST AID COVER - SAFER CITIZENS PROGRAM EVENT |
|
43918 |
25-Mar-04 |
STAMPALIA CONTRACTORS |
$32,685.40 |
HIRE OF 70Z LOADER, TIPPER, WATER TRUCK, BOBCAT, EXCAVATOR & COMPACTOR TRUCK - OPERATIONAL SERVICES |
|
43919 |
25-Mar-04 |
STANHOPE HOME NURSING SERVICES |
$219.46 |
HOME NURSING SERVICES FOR HACC/CACP CLIENTS |
|
43920 |
25-Mar-04 |
STATE LAW PUBLISHER |
$210.62 |
GOVERNMENT GAZETTE ADVERTISING |
|
43921 |
25-Mar-04 |
CANCELLED |
$0.00 |
|
|
43922 |
25-Mar-04 |
STATE LIBRARY OF WESTERN AUSTRALIA |
$7,562.00 |
LOST & DAMAGED STOCK - LIBRARY SERVICES |
|
43923 |
25-Mar-04 |
STATEWIDE CLEANING SUPPLIES PTY LTD |
$6,485.54 |
CLEANING ITEMS - DEPOT STORE STOCK |
|
43924 |
25-Mar-04 |
STEPHEN HART ARCHITECT |
$9,033.75 |
PROFESSIONAL SERVICES - MARGARET COCKMAN PAVILION REFURBISHMENT |
|
43925 |
25-Mar-04 |
STEVE TEPPER |
$3,300.00 |
PROGRESS PAYMENT - DESIGN SUBMISSION FOR CLARKSON LIBRARY PUBLIC ART PROJECT |
|
43926 |
25-Mar-04 |
STICK UP POSTER DISTRIBUTION |
$770.00 |
DISTRIBUTION OF 250 POSTERS FOR LIVE 2004 SAFER CITIZENS POSTER DISTRIBUTION FOR 2004 |
|
43927 |
25-Mar-04 |
STOPMASTER BRAKES |
$1,830.98 |
RELINE BRAKES & SHOES - FLEET MAINTENANCE |
|
43928 |
25-Mar-04 |
STRIKE PRODUCTS |
$440.00 |
SERVICES OF VERONICA SEEBER FOR VARIOUS EVENTS |
|
43929 |
25-Mar-04 |
SUITCASE CIRCUS |
$880.00 |
SUITCASE CIRCUS ENTERTAINMENT AT UNDER THE BIG TOP EVENT - SAFER CITIZENS EVENT |
|
43930 |
25-Mar-04 |
SUNCITY NEWSAGENCY |
$61.72 |
NEWSPAPER DELIVERIES - TWO ROCKS/YANCHEP LIBRARY |
|
43931 |
25-Mar-04 |
SUNNY BRUSHWARE SUPPLIES |
$1,175.95 |
VARIOUS ITEMS FOR DEPOT STORE STOCK & FLEET MAINTENANCE |
|
43932 |
25-Mar-04 |
SUPERCRANE 2000 |
$616.00 |
SERVICE, PREVENTATIVE MAINTENANCE & LOG BOOK ENTRIES FOR CRANES 96/018/1, 96/018/2 & B17R8 - OPERATIONAL SERVICES |
|
43933 |
25-Mar-04 |
SURF LIFE SAVING WA INC |
$10,560.00 |
LIFEGUARD CONTRACT FEBRUARY 2004 - COASTAL MANAGEMENT |
|
43934 |
25-Mar-04 |
SUZIE TAYLOR |
$240.00 |
CRAFT STALL AT UNDER THE BIG TOP AND A DAY IN THE SHED -SAFER CITIZENS EVENTS |
|
43935 |
25-Mar-04 |
SWAN TAXIS COMPANY OPERATIVE LTD |
$379.17 |
TAXI FARES FOR COMMUNITY SERVICES |
|
43936 |
25-Mar-04 |
TALDARA |
$204.60 |
FOAM CUPS FOR CITY |
|
43937 |
25-Mar-04 |
THE ARTISTS FOUNDATION |
$132.00 |
2004 CoW ARTS AWARDS ADVERTISEMENT IN AFWA AUTUMN 2004 NEWSLETTER - CULTURAL DEVELOPMENT |
|
43938 |
25-Mar-04 |
THE BECOMING MORE FOUNDATION PL |
$68.00 |
SUBSCRIPTION FOR REIKI MAGAZINE - GIRRAWHEEN LIBRARY |
|
43939 |
25-Mar-04 |
THE PRINTING FACTORY |
$475.46 |
BUSINESS CARDS FOR VARIOUS STAFF APPOINTMENT CARDS FOR WANNEROO & GIRRAWHEEN PODIATRY CLINICS BUS EXCURSION ADVICES - COMMUNITY SERVICES |
|
43940 |
25-Mar-04 |
THE PURSUITS GROUP |
$3,298.68 |
ABORIGINAL PROGRAM BUS DRIVER - COMMUNITY SERVICES TEMP STAFF FOR ALEXANDER HEIGHTS ADULT DAY CARE PROVISION OF SERVICES FOR HACC/CACP CLIENTS |
|
43941 |
25-Mar-04 |
TILE LIBRARY |
$318.00 |
12 SHEET TILES - BUILDING MAINTENANCE |
|
43942 |
25-Mar-04 |
TOMS SHEETMETAL |
$77.00 |
GALVANISED SHEET METAL CUT TO SIZE & PRESSED - FLEET MAINTENANCE |
|
43943 |
25-Mar-04 |
TOMS TOWBARS |
$33.00 |
FIT NEW TRAILER PLUG & REWIRE - FLEET MAINTENANCE |
|
43944 |
25-Mar-04 |
TOPLINE TROPHIES |
$110.00 |
NAME BADGES FOR STAFF |
|
43945 |
25-Mar-04 |
TOTAL EDEN WATERING SYSTEMS |
$858.16 |
PARTS FOR PLANT NO. 98168 - FLEET MAINTENANCE RETICULATION SUPPLIES - PARKS MAINTENANCE |
|
43946 |
25-Mar-04 |
TOTAL TORO |
$4,232.60 |
SPARE PARTS FOR DEPOT STORE STOCK & FLEET MAINTENANCE |
|
43947 |
25-Mar-04 |
TOTALLY WORKWEAR |
$166.51 |
WORK BOOTS - PARKS DEPARTMENT |
|
43948 |
25-Mar-04 |
TRANSCORE PTY LTD |
$2,200.00 |
INTERSECTION ANALYSIS & RECOMMENDED DESIGN - MARMION AVENUE/PENSACOLA TERRACE |
|
43949 |
25-Mar-04 |
TREE PLANTING AND WATERING |
$7,524.00 |
HIRE OF WATER TRUCK - OPERATIONAL SERVICES |
|
43950 |
25-Mar-04 |
TRUCKLINE |
$95.92 |
VALVE CAP ASSY - FLEET MAINTENANCE |
|
43951 |
25-Mar-04 |
TURBOMASTER PUMPS |
$234.01 |
TOOLS PURCHASED - PARKS DEPARTMENT |
|
43952 |
25-Mar-04 |
TWIST ENGINEERING PTY LTD |
$1,551.00 |
RIDGEWOOD PARK DEVELOPMENT IRRIGATION CONSULTANCY - INFRASTRUCTURE SERVICES |
|
43953 |
25-Mar-04 |
TWO ROCKS YANCHEP ENVIRONMENTAL |
$100.00 |
PARTICIPATION IN ANIMALIA - SAFER CITIZENS EVENT |
|
43954 |
25-Mar-04 |
UES INTL PTY LTD |
$54.52 |
SPARE PARTS - FLEET MAINTENANCE |
|
43955 |
25-Mar-04 |
UNIFORM FASHIONS |
$1,765.00 |
JACKET & TROUSERS WITH LOGOS FOR CR G MONKS UNIFORMS PURCHASED FOR CUSTOMER SERVICES STAFF |
|
43956 |
25-Mar-04 |
VISIMAX |
$440.00 |
NOTEBOOK & INFRINGEMENT BOOK COVERS – RANGER SERVICES |
|
43957 |
25-Mar-04 |
WA CONSERVATION OF RAPTORS |
$100.00 |
A DAY IN THE SHED - SAFER CITIZENS EVENT |
|
43958 |
25-Mar-04 |
WA HINO SALES AND SERVICE |
$69.70 |
SPARE PARTS FOR DEPOT STORE |
|
43959 |
25-Mar-04 |
WA LIMESTONE COMPANY |
$22,462.68 |
SPALLS, BITUMEN MIX & LIMESTONE DELIVERIES - OPERATIONAL SERVICES |
|
43960 |
25-Mar-04 |
WA LOCAL GOVERNMENT ASSOC. |
$2,480.32 |
TOWN PLANNING ADVERTISING S2/A28 COPY OF 2003 REMUNERATION SURVEY - HUMAN RESOURCES ROMAN SOFTWARE MAINTENANCE FEE 2003/2004 - INFRASTRUCTURE SERVICES |
|
43961 |
25-Mar-04 |
WA POLY TANKS PTY LTD |
$187.00 |
SPARE PARTS FOR FLEET MAINTENANCE |
|
43962 |
25-Mar-04 |
WANNEROO AEROMODELLERS INC |
$100.00 |
A DAY IN THE SHED - SAFER CITIZENS EVENT |
|
43963 |
25-Mar-04 |
WANNEROO AGRICULTURAL MACHINERY |
$2,251.94 |
SPARE PARTS & REPAIRS - FLEET MAINTENANCE CX100 STARTER FAULT REPAIRS FIREBREAKS TO VARIOUS CITY PROPERTIES - RANGER SERVICES |
|
43964 |
25-Mar-04 |
WANNEROO CARAVAN CENTRE |
$1,346.40 |
STEEL FABRICATING WORKS AT VARIOUS SITES - BUILDING MAINTENANCE REPLACE BROKEN MAIN HANDLE ON CONCRETE CUTTER - FLEET MAINTENANCE |
|
43965 |
25-Mar-04 |
WANNEROO DRY CLEANERS |
$57.00 |
DRY CLEANING OF FIRE-FIGHTERS UNIFORMS FOR FEBRUARY 2004 |
|
43966 |
25-Mar-04 |
WANNEROO MITSUBISHI |
$152,315.23 |
6 X NEW VEHICLES WN32002, WN171, WN32154, WN397, WN32130 & WN32131 - FLEET SERVICES ($149,369.43) SPARE PARTS AND REPAIRS - FLEET MAINTENANCE |
|
43967 |
25-Mar-04 |
WANNEROO MOTORCYCLES |
$70.10 |
SPARE PARTS FOR FLEET MAINTENANCE |
|
43968 |
25-Mar-04 |
WANNEROO SES UNIT |
$500.00 |
SECURITY PARKING SERVICES AT BUSHFIRE GAMES |
|
43969 |
25-Mar-04 |
WANNEROO SMASH REPAIRS PTY LTD |
$423.17 |
INSURANCE REPAIRS TO VEHICLE WN31977 |
|
43970 |
25-Mar-04 |
WANNEROO TAVERN |
$638.84 |
PLATTERS FOR BROADWAY UNDER THE STARS CONCERT CATERING PUBLIC RELATIONS LEISURE SERVICES MEALS & BEVERAGES FOR MEMBERS OF POT POURRI |
|
43971 |
25-Mar-04 |
WANNEROO TOWING SERVICE |
$1,023.00 |
TOWING OF ABANDONED VEHICLES - RANGER SERVICES |
|
43972 |
25-Mar-04 |
WANNEROO VOLUNTEER FIRE BRIGADE SOCIAL CLUB |
$194.77 |
CATERING & TRAINING MODULES 1-8, FIRE-FIGHTERS COURSE ON 14-15/02/04 - RANGERS SERVICES |
|
43973 |
25-Mar-04 |
WASTE MASTER |
$835.03 |
SPARE PARTS FOR FLEET MAINTENANCE |
|
43974 |
25-Mar-04 |
WATTS AND WOODHOUSE |
$1,123.10 |
PROFESSIONAL SERVICES -WA GOVT RAILWAYS COMMISSION - QUINNS ROAD RAILWAY CROSSING PRE-FUNDING AGREEMENT STREETSIDE ADVERTISING |
|
43975 |
25-Mar-04 |
WEL QUIP |
$564.41 |
BRAKE TREDDLE VALVE - FLEET MAINTENANCE |
|
43976 |
25-Mar-04 |
WEST AUSTRALIAN NEWSPAPERS LTD |
$159.70 |
STREETSMART 2004 - DEPOT STORE STOCK |
|
43977 |
25-Mar-04 |
WEST COAST RADIATORS |
$1,800.00 |
RECORE RADIATOR - FLEET MAINTENANCE |
|
43978 |
25-Mar-04 |
WEST COAST STREET ROD CLUB |
$125.00 |
SAFER CITIZENS EVENT A DAY IN THE SHED EVENT |
|
43979 |
25-Mar-04 |
WEST ELECT INDUSTRIES PTY LTD |
$1,568.38 |
SUPPLY COMPLETE WATER PUMP PARTS - FLEET MAINTENANCE |
|
43980 |
25-Mar-04 |
WEST PORT JUICES |
$195.80 |
BEVERAGES FOR ELECTED MEMBERS |
|
43981 |
25-Mar-04 |
WESTCARE INDUSTRIES |
$2,367.58 |
STAFF UNIFORMS - VARIOUS DEPARTMENTS & DEPOT STORE STOCK |
|
43982 |
25-Mar-04 |
WESTON REMARKING SERVICES |
$1,705.00 |
TRAFFIC CONTROL & SPOTTING OF LINEMARKING AT VARIOUS OPERATIONAL PROJECT SITES |
|
43983 |
25-Mar-04 |
WESTRAC EQUIPMENT PTY LTD |
$297.46 |
EQUIPMENT RENTAL CNR GREENPARK AND LEICESTER ROAD & ALEXANDER ROAD - OPERATIONAL SERVICES |
|
43984 |
25-Mar-04 |
WESTSIDE CONCRETE CONTRACTORS |
$88,151.64 |
CONCRETE WORKS AT VARIOUS OPERATIONAL PROJECT SITES |
|
43985 |
25-Mar-04 |
WHITE OAK HOME CARE SERVICES PTY LTD |
$985.61 |
PROVISION OF SERVICES FOR HACC/CACP CLIENTS |
|
43986 |
25-Mar-04 |
WINTERGREENE DRILLING |
$11,352.00 |
DRILL NEW BORE AT CARRAMAR GOLF COURSE |
|
43987 |
25-Mar-04 |
WOODHEAD INTERNATIONAL |
$21,021.00 |
PREPARATION OF MASTER PLAN FOR REDEVELOPMENT OF WANNEROO TOWN CENTRE |
|
43988 |
25-Mar-04 |
WORK CLOBBER |
$57.50 |
2 PAIRS STAFF SHORTS - PARKS DEPARTMENT |
|
43989 |
25-Mar-04 |
WORLDS BEST PRODUCTS PL |
$1,386.00 |
SPRAYCAN PAINT REMOVER - GRAFFITI CONTROL |
|
43990 |
25-Mar-04 |
WORLDWIDE ONLINE PRINTING |
$488.00 |
PRINTING OF MAYORAL LETTERHEADS |
|
43991 |
25-Mar-04 |
WORMALD FIRE SYSTEMS |
$1,170.40 |
VARIOUS ITEMS FOR FIRE SERVICES |
|
43992 |
25-Mar-04 |
WT PARTNERSHIP AUST PTY LTD |
$1,320.00 |
QUANTITY SURVEYING SERVICES - CLARKSON LIBRARY |
|
43993 |
25-Mar-04 |
YELLAGONGA CATCHMENT GROUP |
$100.00 |
DISPLAY & DEMOS AT ANIMALIA EVENT ON 31/01/04 - SAFER CITIZENS EVENT |
|
43994 |
25-Mar-04 |
ZIPFORM |
$1,359.64 |
INTERIM & INSTALMENT RATES NOTICES - RATING SERVICES |
|
43995 |
24-Mar-04 |
PATIENCE AND PATIENCE |
$150.00 |
1 X RATEPAYER FINANCIAL ASSISTANCE |
|
43996 |
24-Mar-04 |
KEYSTART LOANS LIMITED |
$1,336.98 |
RATES REFUND P/N 125222 - OVERPAYMENT |
|
43997 |
24-Mar-04 |
QUINNS ROCKS FISHING CLUB |
$300.00 |
BOND REFUND |
|
43998 |
24-Mar-04 |
PAM GRAY REAL ESTATE |
$100.00 |
1 X RATEPAYER FINANCIAL ASSISTANCE |
|
43999 |
24-Mar-04 |
BUSH FIRE BRIGADE |
$403.00 |
APOLLO OFFICE & BIRKDALE MANAGER CHAIRS - RANGER SERVICES |
|
44000 |
24-Mar-04 |
BUSH FIRE BRIGADE |
$68.00 |
SUPPLY POWER CORD FOR GPS SYSTEM IN QUINNS ROCKS LIGHT TANKER |
|
44001 |
24-Mar-04 |
V SINAGRA |
$300.00 |
BOND REFUND |
|
44002 |
24-Mar-04 |
YANCHEP DISTRICT HIGH SCHOOL |
$550.00 |
COMMUNITY FUNDING ALLOCATION – 2004 ROCK EISTEDDFOD |
|
44003 |
24-Mar-04 |
JAGUARS SOFTBALL CLUB INCORPORATED |
$300.00 |
BOND REFUND |
|
44004 |
24-Mar-04 |
ALEXANDER HEIGHTS SENIOR CITIZENS CLUB (INC) |
$300.00 |
BOND REFUND |
|
44005 |
24-Mar-04 |
D D'VAUZ |
$300.00 |
BOND REFUND |
|
44006 |
24-Mar-04 |
MACQUARIE HEIGHTS AND NEIGHBOURS |
$500.00 |
BOND REFUND |
|
44007 |
24-Mar-04 |
ROZITA YAZARLOU |
$300.00 |
VEHICLE CROSSING SUBSIDY |
|
44008 |
24-Mar-04 |
CRAIGIE GUARDIAN CHEMIST |
$84.00 |
1 X RATEPAYER FINANCIAL ASSISTANCE |
|
44009 |
24-Mar-04 |
DT & CM QUINN-SCHOFIELD |
$125.00 |
VEHICLE CROSSING SUBSIDY |
|
44010 |
24-Mar-04 |
J & TJ MITCHELL |
$300.00 |
VEHICLE CROSSING SUBSIDY |
|
44011 |
24-Mar-04 |
AD & NV ROSSER |
$300.00 |
VEHICLE CROSSING SUBSIDY |
|
44012 |
24-Mar-04 |
PJ & JAM BALLANTYNE |
$300.00 |
VEHICLE CROSSING SUBSIDY |
|
44013 |
24-Mar-04 |
LOAN BICH THI LE AND VIET HOANG TRAN |
$287.00 |
VEHICLE CROSSING SUBSIDY |
|
44014 |
24-Mar-04 |
STUART MALCOLM AND LISA MARIE |
$300.00 |
VEHICLE CROSSING SUBSIDY |
|
44015 |
24-Mar-04 |
LIONEL WILLIAM AND PAMELA |
$300.00 |
VEHICLE CROSSING SUBSIDY |
|
44016 |
24-Mar-04 |
DARREN MATHEW AND SANDRA |
$300.00 |
VEHICLE CROSSING SUBSIDY |
|
44017 |
24-Mar-04 |
JOE KYAW SWA AND SHARON |
$250.00 |
VEHICLE CROSSING SUBSIDY |
|
44018 |
24-Mar-04 |
ALAN DOUGLAS AND LESLEY FERN |
$300.00 |
VEHICLE CROSSING SUBSIDY |
|
44019 |
24-Mar-04 |
HAZEL OLIVE FOWLES |
$300.00 |
VEHICLE CROSSING SUBSIDY |
|
44020 |
24-Mar-04 |
RONALD GEOFFREY FORD AND |
$281.00 |
VEHICLE CROSSING SUBSIDY |
|
44021 |
24-Mar-04 |
BIANCA LUCIEN AND MICHAEL JOHN |
$300.00 |
VEHICLE CROSSING SUBSIDY |
|
44022 |
24-Mar-04 |
KALIYAMAL PARAMESWARY SEGARAM |
$300.00 |
VEHICLE CROSSING SUBSIDY |
|
44023 |
24-Mar-04 |
HUGO RANDOLPH PERRY |
$280.00 |
VEHICLE CROSSING SUBSIDY |
|
44024 |
24-Mar-04 |
DEBBIE COLES |
$300.00 |
BOND REFUND |
|
44025 |
24-Mar-04 |
P GROOT |
$300.00 |
BOND REFUND |
|
44026 |
24-Mar-04 |
P BERRYMAN |
$300.00 |
BOND REFUND |
|
44027 |
24-Mar-04 |
H STARKEY |
$20.00 |
DOG REGISTRATION REFUND - STERILISED |
|
44028 |
24-Mar-04 |
S OLIVER |
$20.00 |
DOG REGISTRATION REFUND - STERILISED |
|
44029 |
24-Mar-04 |
KERRY-ANNE STEVENS |
$10.00 |
DOG REGISTRATION REFUND - STERILISED |
|
44030 |
24-Mar-04 |
C COLE |
$20.00 |
DOG REGISTRATION REFUND - STERILISED |
|
44031 |
24-Mar-04 |
J TAYLOR |
$50.00 |
DOG REGISTRATION REFUND - DECEASED |
|
44032 |
24-Mar-04 |
C HERMANN |
$366.00 |
INSURANCE REIMBURSEMENT - CAR WINDOW REPAIR COSTS |
|
44033 |
24-Mar-04 |
S RICHARDSON |
$100.00 |
DONATION TO SUPPORT SON KARLS PARTICIPATION IN THE FIRST NATIONAL JUNIOR DEAF YOUTH CAMP |
|
44034 |
24-Mar-04 |
LEUKAEMIA FOUNDATION |
$100.00 |
DONATION TOWARDS GREATEST SHAVE FOR A CURE - PLEDGED TO STEVE OKEEFE |
|
44035 |
24-Mar-04 |
A AND H HUDSON |
$50.00 |
REIMBURSEMENT OF BUILDING APPLICATION FEE - AMENDED PLANS NOT REQUIRED |
|
44036 |
24-Mar-04 |
JAMES KEIJZER |
$100.00 |
REIMBURSEMENT OF BUILDING APPLICATION - CODES VARIATION TAKEN IN ERROR |
|
44037 |
24-Mar-04 |
M AND P KORB |
$100.00 |
REIMBURSEMENT OF BUILDING APPLICATION - CODES VARIATION NOT REQUIRED |
|
44038 |
24-Mar-04 |
NORTHWEST SHEDMASTERS PTY LTD |
$100.00 |
REIMBURSEMENT OF DEVELOPMENT APPLICATION - APPLICATION WITHDRAWN |
|
44039 |
24-Mar-04 |
ANDREW F SPRAGG |
$100.00 |
REIMBURSEMENT OF DEVELOPMENT APPLICATION - ALREADY PAID |
|
44040 |
24-Mar-04 |
OUTDOOR CENTRE HOLDING PTY LTD |
$100.00 |
REIMBURSEMENT OF DEVELOPMENT APPLICATION - NOT REQUIRED |
|
44041 |
24-Mar-04 |
LUKE ANTICA |
$50.00 |
REIMBURSEMENT OF DEVELOPMENT APPLICATION - INCORRECTLY CHARGED |
|
44042 |
24-Mar-04 |
ALLEN MOBILE PHONE SERVICES |
$396.00 |
RECOVER & INSTALL HANDS FREE KITS IN VARIOUS VEHICLES - FLEET SERVICES |
|
44043 |
24-Mar-04 |
BOUNCE AWAY |
$275.00 |
SUPERVISED BOUNCER - KOONDOOLA PLAZA |
|
44044 |
24-Mar-04 |
CITY OF JOONDALUP |
$5,916.59 |
LIBRARIES & MUSEUMS COURIER SERVICE FOR JANUARY 2004 SERVICE LEVEL AGREEMENT FOR LIBRARIES FOR JANUARY 2004 |
|
44045 |
24-Mar-04 |
DWYER AND FELTON |
$2,070.00 |
2 X LAWN EDGERS - ASSET SERVICES |
|
44046 |
24-Mar-04 |
DAWNS DESIGN |
$50.00 |
CERAMIC WORKSHOP AT THE BANKSIA GROVE COMMUNITY CENTRE RUN OVER 2 WEEKS - 26/2/04 & 4/3/04 |
|
44047 |
24-Mar-04 |
ECLIPSE RESOURCES PTY LTD |
$660.00 |
DISPOSAL OF RUBBLE 03-09/03/04 - OPERATIONAL SERVICES |
|
44048 |
24-Mar-04 |
FREMANTLE BAILIFF |
$27.90 |
RATES REFUND P/N 137217 - LEGAL FEES FOR RATING SERVICES |
|
44049 |
24-Mar-04 |
GLAZEWELL PTY LTD |
$1,095.78 |
GLAZING SERVICES AT VARIOUS LOCATIONS - BUILDING MAINTENANCE |
|
44050 |
24-Mar-04 |
HEART FOUNDATION |
$4,290.00 |
200 PEDOMETERS - LEISURE SERVICES |
|
44051 |
24-Mar-04 |
ICON OFFICE TECHNOLOGY |
$200.43 |
METER READING FOR COPIER AT RECORDS 20/11/03 |
|
44052 |
24-Mar-04 |
ICTC |
$695.00 |
ATTENDANCE OF R PEAKE –AT INTERNATIONAL CITIES, TOWN CENTRES & COMMUNITIES CONFERENCE 2004 |
|
44053 |
24-Mar-04 |
PRIME CORPORATE PSYCHOLOGY |
$330.00 |
PATROL OFFICER TRAINING: MANAGING THE STRESS OF CHANGE & UNCERTAINTY, 03/12/03 - RANGER SERVICES |
|
44054 |
24-Mar-04 |
STATE LAW PUBLISHER |
$57.09 |
ADVERT IN GOVERNMENT GAZETTE 17/02/04 - PLANNING SERVICES |
|
44055 |
24-Mar-04 |
TRAILER PARTS PTY LTD |
$2,142.97 |
SPARE PARTS FOR FLEET MAINTENANCE |
|
44056 |
24-Mar-04 |
VALUER GENERALS OFFICE |
$2,170.00 |
LAND VALUATIONS FOR RATING SERVICES |
|
44057 |
24-Mar-04 |
AUSTRALIA POST |
$1,009.13 |
MESSENGER POST -RECORDS & ECONOMIC DEVELOPMENT |
|
44058 |
24-Mar-04 |
AUSTRALIA POST |
$551.00 |
ANNUAL RENEWAL FEE FOR LOCKED BAG 314 - 01/04/04-31/03/05 ANNUAL RENEWAL FEE FOR LOCKED BAG 1 - 01/04/04-31/03/05 |
|
44059 |
24-Mar-04 |
ALINTA GAS |
$328.85 |
GAS SUPPLIES FOR VARIOUS SITES 2 X RATEPAYER FINANCIAL ASSISTANCE |
|
44060 |
24-Mar-04 |
ALEXANDER HEIGHTS ADULT DAY CARE |
$61.20 |
PETTY CASH |
|
44061 |
24-Mar-04 |
ALEXANDER HEIGHTS THE HEIGHTS |
$67.30 |
PETTY CASH |
|
44062 |
24-Mar-04 |
ABORIGINAL SENIORS GROUP PETTY CASH |
$50.00 |
PETTY CASH |
|
44063 |
24-Mar-04 |
AMP FLEXIBLE LIFETIME SUPER FUND |
$807.69 |
PAYROLL: A3606010501 FORTNIGHT ENDING 12/03/04 |
|
44064 |
24-Mar-04 |
BUCKINGHAM HOUSE PETTY CASH |
$62.85 |
PETTY CASH |
|
44065 |
24-Mar-04 |
CORPORATE SERVICES PETTY CASH |
$283.65 |
PETTY CASH |
|
44066 |
24-Mar-04 |
CITY OF WANNEROO |
$1,780.00 |
PAYROLL: RATE DEDUCTIONS FORTNIGHT ENDING 12/03/04 |
|
44067 |
24-Mar-04 |
CITY OF WANNEROO |
$300.00 |
PAYROLL: COUNCIL VEHICLES FORTNIGHT ENDING 12/03/04 |
|
44068 |
24-Mar-04 |
CARRAMAR RESOURCES INDUSTRIES |
$23.23 |
SAND SUPPLIES - PARKS MAINTENANCE |
|
44069 |
24-Mar-04 |
DEPT OF LAND INFORMATION |
$380.60 |
3 MONTH SUPPLY OF DIGITAL DATA - PLANNING DEPARTMENT LAND VALUATIONS FOR RATING SERVICES |
|
44070 |
24-Mar-04 |
STRATEGIC AND EXECUTIVE SERVICES |
$171.45 |
PETTY CASH |
|
44071 |
24-Mar-04 |
EASIFLEET MANAGEMENT |
$785.04 |
VEHICLE REPAIRS - FLEET SERVICES |
|
44072 |
24-Mar-04 |
FRAMECOR |
$419.00 |
OIL PAINTINGS FRAMED - COMMUNITY SERVICES |
|
44073 |
24-Mar-04 |
GIRRAWHEEN LIBRARY PETTY CASH |
$181.70 |
PETTY CASH |
|
44074 |
24-Mar-04 |
PERTH HOME CARE |
$300.00 |
BOND REFUND |
|
44075 |
24-Mar-04 |
QUINNS ROCKS ADULT DAY CARE PETTY CASH |
$86.90 |
PETTY CASH |
|
44076 |
24-Mar-04 |
STAMPALIA CONTRACTORS |
$22,473.00 |
BULK REFUSE HIRE OF EQUIPMENT: BOBCAT, COMPACTOR TRUCKS 09-10/02/04 |
|
44077 |
24-Mar-04 |
TELSTRA CORPORATION |
$19,064.91 |
PHONE ACCOUNTS |
|
44078 |
24-Mar-04 |
WANNEROO ELECTRIC |
$9,270.58 |
ELECTRICAL REPAIRS FOR BUILDING MAINTENANCE |
|
44079 |
24-Mar-04 |
WESTERN POWER |
$136,841.39 |
POWER SUPPLIES FOR VARIOUS SITES (INCLUDING STREET LIGHTING) 4 X RATEPAYER FINANCIAL ASSISTANCE |
|
44080 |
24-Mar-04 |
YANCHEP COMMUNITY HOUSE PCASH |
$150.90 |
PETTY CASH |
|
44081 |
24-Mar-04 |
ZURICH |
$235.38 |
PAYROLL: 02073765 VINCENT HUMPHRIES FORTNIGHT ENDING 12/03/04 |
|
44082 |
26-Mar-04 |
LP AND RD CROSS |
$186.44 |
RATES REFUND P/N 154381 - OVERPAYMENT OF RATES |
|
44083 |
31-Mar-04 |
WANNEROO JOONDALUP RSL SUB BRANCH |
$1,020.00 |
HALLMARK EVENT SPONSORSHIP TO CONDUCT ANZAC DAY PARADE SERVICE & MORNING TEA |
|
44084 |
31-Mar-04 |
YANCHEP TWO ROCKS RSL |
$250.00 |
DONATION TO SUPPORT ANNUAL GOLF DAY 2/04/04 |
|
44085 |
31-Mar-04 |
YOUTH RALLY TEAM PETTY CASH |
$220.12 |
PETTY CASH |
|
44086 |
31-Mar-04 |
JOE ARRIGO |
$41.66 |
KEY HOLDER - ELLIOTT ROAD PLAYGROUP, WANNEROO YOUTH CENTRE & WANNEROO SENIOR CITIZENS CLUB |
|
44087 |
31-Mar-04 |
CUSTOMER SERVICE COUNCIL |
$78.00 |
CUSTOMER SERVICE TRAINING & BREAKFAST FOR M ALUJEVIC & S PATTEN – APPROVAL SERVICES |
|
44088 |
31-Mar-04 |
MARK WHITE |
$116.00 |
STAFF REIMBURSEMENT FOR DAMAGED PRESCRIPTION GLASSES |
|
44089 |
31-Mar-04 |
WANNEROO YOUTH CENTRE PETTY CASH |
$161.35 |
PETTY CASH |
|
44090 |
31-Mar-04 |
LGCSA EXECUTIVE |
$80.00 |
COMMUNITY DEVELOPMENT TRAINING SESSIONS - C MEYERS |
|
44091 |
31-Mar-04 |
PAUL WALTER MARSHALL |
$300.00 |
VEHICLE CROSSING SUBSIDY |
|
44092 |
31-Mar-04 |
STUART GRANT AND CLARE PENNY |
$300.00 |
VEHICLE CROSSING SUBSIDY |
|
44093 |
31-Mar-04 |
MANRAJ SINGH KHOSA AND SHARIN |
$300.00 |
VEHICLE CROSSING SUBSIDY |
|
44094 |
31-Mar-04 |
GARY WAYNE AND MARION ELAINE |
$300.00 |
VEHICLE CROSSING SUBSIDY |
|
44095 |
31-Mar-04 |
LEE STEVEN AND NICOLE LEE |
$300.00 |
VEHICLE CROSSING SUBSIDY |
|
44096 |
31-Mar-04 |
CHRISTINE NARELLE AND DAVID |
$300.00 |
VEHICLE CROSSING SUBSIDY |
|
44097 |
31-Mar-04 |
AMY ROWLAND AND ANDREW |
$300.00 |
VEHICLE CROSSING SUBSIDY |
|
44098 |
31-Mar-04 |
HELEN ELIZABETH AND RAYMOND |
$300.00 |
VEHICLE CROSSING SUBSIDY |
|
44099 |
31-Mar-04 |
EMMA BILLSON |
$200.00 |
SPONSORSHIP FOR LILLI BILLSON IN WOMEN'S UNDER 14'S SOCCER FRIENDSHIP GAMES HELD IN NSW APRIL 2004 |
|
44100 |
31-Mar-04 |
SHARON WHITFIELD |
$200.00 |
SPONSORSHIP FOR ASHLEY WHITFIELD-SAMUELS FOR CALLISTHENICS STATE TEAM IN CHAMPIONSHIPS HELD IN CANBERRA JULY 2004 |
|
44101 |
31-Mar-04 |
ROSLYN MARSHALL |
$200.00 |
SPONSORSHIP FOR SIMONE MARSHALL FOR 34TH AUSTRALIAN JUNIOR NATIONAL CHAMPIONSHIPS FOR TEN PIN BOWLING TO BE HELD IN NSW JULY 2004 |
|
44102 |
31-Mar-04 |
MINDARIE LITTLE ATHLETICS CLUB |
$1,000.00 |
COMMUNITY FUNDING - OCTOBER 2002 ROUND |
|
44103 |
31-Mar-04 |
AC AND LE SLOCUM |
$217.35 |
RATES REFUND P/N 188496 - OVERPAYMENT |
|
44104 |
31-Mar-04 |
CAROL WRIGHT |
$20.00 |
DOG REGISTRATION REFUND - STERILISED |
|
44105 |
31-Mar-04 |
EXPOFOCUS |
$3,690.00 |
ATTENDANCE OF C JOHNSON & D SIMMS AT THE LGMA SYMPOSIUM 2004 MELBOURNE |
|
44106 |
31-Mar-04 |
REMICK BRUCE ASHBOLT |
$300.00 |
VEHICLE CROSSING SUBSIDY |
|
44107 |
31-Mar-04 |
MICHAEL DENNIS CATTARUZZA |
$300.00 |
VEHICLE CROSSING SUBSIDY |
|
44108 |
31-Mar-04 |
DA LULLFITZ |
$50.00 |
STORYTELLING ACTIVITY 23/04/04 AT GUMBLOSSOM COMMUNITY CENTRE |
|
44109 |
31-Mar-04 |
PD INSIDER TRAINING |
$600.00 |
8 X STAFF ATTENDING LUNCHEON FOR THE BOOK LAUNCH: THE EXECUTIVE ASSISTANT OF THE FUTURE 08/04/04 |
|
44110 |
31-Mar-04 |
JOHN SIMON CROFTS |
$299.00 |
VEHICLE CROSSING SUBSIDY |
|
44111 |
31-Mar-04 |
TRAN THI MIEN TRAN NHI |
$300.00 |
VEHICLE CROSSING SUBSIDY |
|
44112 |
31-Mar-04 |
TIEN DUNG LUU |
$300.00 |
VEHICLE CROSSING SUBSIDY |
|
44113 |
31-Mar-04 |
JASON BRIAN MARTELL |
$300.00 |
VEHICLE CROSSING SUBSIDY |
|
44114 |
31-Mar-04 |
FOUR SQUARE VEG |
$2,200.00 |
COMMUNITY CONSULTATION STRATEGY REPORT FOR FERRARA PARK RESERVE GIRRAWHEEN |
|
44115 |
31-Mar-04 |
ALZHEIMERS AUSTRALIA WA |
$40.00 |
MUSIC THERAPY WORKSHOP AT QUINNS DAY CENTRE 05/12/03 |
|
44116 |
31-Mar-04 |
AUSTRALIAN AIRCONDITIONING SERVICES |
$2,846.42 |
AIRCONDITIONING SERVICES AT VARIOUS SITES |
|
44117 |
31-Mar-04 |
BOUNCE AWAY |
$130.00 |
HIRE OF BOUNCER FOR CHANCE TO DANCE EVENT |
|
44118 |
31-Mar-04 |
CAMCO ENGINEERING |
$357.50 |
REPAIRS & CLEANING TO QUINNS ROCKS TOILET BLOCK - BUILDING MAINTENANCE |
|
44119 |
31-Mar-04 |
EASTERN PRESS PTY LTD |
$97.00 |
PRINTING OF CHILDREN'S SERVICES REFERRAL CARDS - FAMILY DAY CARE |
|
44120 |
31-Mar-04 |
ENVIRONMENTAL RESOURCES MANAGEMENT |
$24,823.34 |
PROFESSIONAL SERVICES - FACILITATION IN STAKEHOLDERS WORKSHOP ON NORTH WEST CORRIDOR REVIEW |
|
44121 |
31-Mar-04 |
GLAZEWELL PTY LTD |
$1,483.36 |
GLASS & FLYSCREENS REPAIRS AT VARIOUS SITES |
|
44122 |
31-Mar-04 |
C AND EM HARMER |
$127.00 |
NEWSPAPER DELIVERIES TO VARIOUS DEPARTMENTS |
|
44123 |
31-Mar-04 |
HYDRO PLAN |
$495.00 |
CONSULTANCY FEES - IRRIGATION DESIGN DURING FEBRUARY 2004 AT ALEXANDER HEIGHTS CENTRE |
|
44124 |
31-Mar-04 |
ICON OFFICE TECHNOLOGY |
$66.73 |
PHOTOCOPIER METER READING - WORKS DEPOT |
|
44125 |
31-Mar-04 |
WANNEROO RETRAVISION |
$545.00 |
FRIDGE FOR ECODETOUR PROJECT - ECONOMIC DEVELOPMENT |
|
44126 |
31-Mar-04 |
LAWRENCE AND HANS0N |
$439.01 |
SAFETY GLASSES & EAR PLUGS - DEPOT STORES STOCK |
|
44127 |
31-Mar-04 |
MAXWELL ROBINSON AND PHELPS |
$224.49 |
PEST TREATMENTS AT VARIOUS SITES - OPERATIONAL SERVICES |
|
44128 |
31-Mar-04 |
MCLEODS BARRISTERS AND SOLICITORS |
$2,215.40 |
PROFESSIONAL SERVICES - JOONDALUP DRIVE EXTENSION |
|
44129 |
31-Mar-04 |
PHOTOLAND |
$12.95 |
PHOTO DEVELOPMENT -WANNEROO YOUTH CENTRE |
|
44130 |
31-Mar-04 |
RUSSELL LANDSCAPING WA PTY LTD |
$13,154.16 |
LANDSCAPE MAINTENANCE IN YANCHEP FOR NOVEMBER 2003 |
|
44131 |
31-Mar-04 |
RANGE FORD |
$30,028.84 |
VEHICLE PURCHASE - FORD FUTURA SEDAN WN32133 |
|
44132 |
31-Mar-04 |
SPIERS AND SONS |
$198.00 |
TRANSPORTATION OF CHERRY PICKER TO 77 KURNELL ROAD KEWDALE |
|
44133 |
31-Mar-04 |
TRAILER PARTS PTY LTD |
$24.70 |
SPARE PARTS FOR FLEET MAINTENANCE |
|
44134 |
31-Mar-04 |
AUSTRALIAN TURF INDUSTRIES |
$311.30 |
PLANTING ANNUALS AROUND SHOP AT CARRAMAR GOLF COURSE IN DECEMBER 2003 |
|
44135 |
31-Mar-04 |
ALINTA GAS |
$533.05 |
2 X RATEPAYER FINANCIAL ASSISTANCE |
|
44136 |
31-Mar-04 |
ALEXANDER HEIGHTS ADULT DAY CARE |
$126.60 |
PETTY CASH & INCREASED FLOAT OF $50 |
|
44137 |
31-Mar-04 |
ALEXANDER HEIGHTS THE HEIGHTS |
$65.55 |
PETTY CASH |
|
44138 |
31-Mar-04 |
ABORIGINAL SENIORS GROUP PETTY CASH |
$50.00 |
PETTY CASH |
|
44139 |
31-Mar-04 |
CORPORATE SERVICES PETTY CASH |
$409.70 |
PETTY CASH |
|
44140 |
31-Mar-04 |
COCKMAN HOUSE PETTY CASH |
$54.25 |
PETTY CASH |
|
44141 |
31-Mar-04 |
FRANK CVITAN |
$862.17 |
TRAVEL & PARKING EXPENSES OCTOBER 2003 TO MARCH 2004 |
|
44142 |
31-Mar-04 |
DME CONTRACTORS |
$65,916.40 |
CONTRACT WORK COMPLETED AT RIDGEWOOD OVAL (AS PER CLAIM 2 SCHEDULE) |
|
44143 |
31-Mar-04 |
DEWSONS |
$101.55 |
FOOD PURCHASES FOR LIVEWURKZ MUSIC WORKSHOP |
|
44144 |
31-Mar-04 |
STRATEGIC AND EXECUTIVE SERVICES |
$190.65 |
PETTY CASH |
|
44145 |
31-Mar-04 |
EASIFLEET MANAGEMENT |
$1,024.76 |
EXCESS KMS ON LEASED VEHICLE WN31673 |
|
44146 |
31-Mar-04 |
GRAFFITI SYSTEMS AUSTRALIA |
$1,828.62 |
GRAFFITI REMOVAL |
|
44147 |
31-Mar-04 |
GLOUCESTER LODGE MUSEUM |
$53.90 |
PETTY CASH |
|
44148 |
31-Mar-04 |
HOME CHEF |
$1,370.06 |
REVERSAL OF CREDIT TAKEN TWICE - INPUTTING ERROR |
|
44149 |
31-Mar-04 |
MOBILE LIBRARY PETTY CASH |
$51.35 |
PETTY CASH |
|
44150 |
31-Mar-04 |
OPTUS |
$21.49 |
SERVICE CHARGES FOR MOBILE AT ENVIRONMENTAL WASTE SERVICES |
|
44151 |
31-Mar-04 |
QUINNS ROCKS ADULT DAY CARE PETTY CASH |
$144.75 |
PETTY CASH & INCREASED FLOAT OF $50 |
|
44152 |
31-Mar-04 |
STAMPALIA CONTRACTORS |
$26,867.50 |
HIRE OF BOBCAT & COMPACTOR TRUCK AT BADGERUP TIP |
|
44153 |
31-Mar-04 |
SHAWMAC PTY LTD |
$13,200.00 |
HEPBURN AVE - MIRRABOOKA AVE TO ALEXANDER DR - DESIGN & AMENDMENT WORKS ASSOCIATED WITH 90% REVIEW FOR INFRASTRUCTURE |
|
44154 |
31-Mar-04 |
TELSTRA CORPORATION |
$4,357.92 |
MOBILE NET CHARGES FEBRUARY 2004 |
|
44155 |
31-Mar-04 |
TARGET |
$145.83 |
EYELINERS FOR MAKE UP WORKSHOP FOR CHICZ BIZ AT TWO ROCKS |
|
44156 |
31-Mar-04 |
TWIST ENGINEERING PTY LTD |
$2,970.00 |
CONSULTANCY COSTS - REVIEW OF CENTRAL IRRIGATION MANAGEMENT SYSTEM |
|
44157 |
31-Mar-04 |
WANNEROO LIBRARY PETTY CASH |
$148.65 |
PETTY CASH |
|
44158 |
31-Mar-04 |
WATER CORPORATION |
$261.35 |
2 X RATEPAYER FINANCIAL ASSISTANCE |
|
44159 |
31-Mar-04 |
WESTERN POWER |
$770.65 |
5 X RATEPAYER FINANCIAL ASSISTANCE |
|
50001525 |
03-Mar-04 |
AMBIT INDUSTRIES PTY LTD |
$1,006.50 |
SUPPLY & INSTALL HEAVY GALVANISED CHAIN WIRE FENCING TO SHIRE DEPOT BIN STORE |
|
50001526 |
03-Mar-04 |
BBC ENTERTAINMENT |
$462.00 |
PERFORMANCE AT BIG TOP EVENT 14/02/04 - SAFER CITIZENS EVENTS |
|
50001527 |
03-Mar-04 |
EUGENE TAYLOR |
$1,020.62 |
PAYROLL FOR E TAYLOR - ANNUAL LEAVE LUMP SUM |
|
50001528 |
03-Mar-04 |
CANCELLED |
$0.00 |
|
|
50001529 |
03-Mar-04 |
G MILLER |
$621.64 |
PAYROLL FOR G MILLER - RESIGNATION 03/03/04 |
|
50001530 |
03-Mar-04 |
J GAUGHAN |
$266.55 |
PAYROLL FOR J GAUGHAN, TIMESHEET RECEIVED LATE |
|
50001531 |
03-Mar-04 |
KATHY CHRISTOFFELSZ |
$150.00 |
MASSAGE SERVICES FOR A DAY IN THE SHED - SAFER CITIZENS EVENT |
|
50001532 |
03-Mar-04 |
LINCOLNE SCOTT |
$2,200.00 |
PREPARATION OF MAINTENANCE SPECIFICATIONS FOR A SELECTION OF THE CITY’S PUMPING STATIONS |
|
50001533 |
03-Mar-04 |
MELISSA DRAY |
$272.74 |
TUPPERWARE CONTAINERS FOR COUNCIL DINNER LEFTOVERS |
|
50001534 |
03-Mar-04 |
PERLEX HOLDINGS |
$787.50 |
HIRE OF BUCKING MADCOW FOR LIVE 2004 |
|
50001535 |
03-Mar-04 |
THE CARERS |
$4,277.77 |
HOMECARE SERVICES - COMMUNITY SERVICES |
|
50001536 |
03-Mar-04 |
WANNEROO DAIRY SUPPLIES |
$262.45 |
MILK SUPPLIES FOR CITY |
|
50001537 |
03-Mar-04 |
WANNEROO PLUMBING |
$338.80 |
PLUMBING REPAIRS & LABOUR AT VARIOUS SITES - BUILDING MAINTENANCE |
|
50001538 |
04-Mar-04 |
AIR LIQUIDE WA PTY LTD |
$659.06 |
GAS CYLINDERS - DEPOT STORE STOCK |
|
50001539 |
04-Mar-04 |
ALPHAWEST 6 PTY LTD |
$6,600.00 |
INFORMATION SOLUTIONS SERVICE SUPPORT AGREEMENT |
|
50001540 |
04-Mar-04 |
CORPORATE EXPRESS |
$11,825.46 |
JANUARY 2004 STATIONERY ACCOUNT |
|
50001541 |
04-Mar-04 |
FIONA BENTLEY |
$198.00 |
REIMBURSEMENT FOR PURCHASE OF MOVIE TICKETS FOR STAFF INCENTIVES & THANK YOU GIFTS |
|
50001542 |
04-Mar-04 |
HOSEMASTERS |
$213.18 |
REMOVE & REPLACE ADAPTOR ON LIFT CYLINDER - FLEET MAINTENANCE |
|
50001543 |
04-Mar-04 |
TERRY LOFTUS |
$545.65 |
TRAVEL ALLOWANCE - FEBRUARY 2004 |
|
50001544 |
08-Mar-04 |
AIR LIQUIDE WA PTY LTD |
$267.16 |
GAS CYLINDERS FOR DEPOT STORES |
|
50001545 |
08-Mar-04 |
AUST TAXATION OFFICE - PAYG PAYMENTS |
$191,316.92 |
REF: 642959811651070 PAYROLL DEDN F/ENDING 27/02/2004 |
|
50001546 |
08-Mar-04 |
HOSEMASTERS |
$2,943.04 |
SUPPLY HOSES & FITTINGS - FLEET MAINTENANCE |
|
50001547 |
08-Mar-04 |
PREMIER ARTISTS |
$6,600.00 |
BALANCE OF PERFORMANCE FEE FOR DARYL BRAITHWAITE & BAND 06/03/04 |
|
50001548 |
08-Mar-04 |
REID CORPORATION PTY LTD |
$1,650.00 |
PERFORMANCE FEE FOR DAREN REID & THE SOUL CITY GROOVE (SUPPORT FOR DARYL BRAITHWAITE) |
|
50001549 |
12-Mar-04 |
ALTUS TRAFFIC |
$4,370.94 |
TRAFFIC CONTROLLERS AT VARIOUS LOCATIONS - OPERATIONAL SERVICES |
|
50001550 |
12-Mar-04 |
DE NEEFE SIGNS PTY LTD |
$310.20 |
DIRECTIONAL SIGNS - INFRASTRUCTURE SERVICES |
|
50001551 |
12-Mar-04 |
E SPAN SOLUTIONS PTY LTD |
$220.00 |
CHECKED NEERABUP ALL OPERATIONAL & CHECKED CLARKSON: ANTENNA HAD BEEN MOVED 2 HOURS OF LABOUR – I.T. SERVICES |
|
50001552 |
12-Mar-04 |
INTEGRATED GROUP LTD |
$937.20 |
CASUAL LABOUR FOR LOADER DRIVER - DEPOT STORE |
|
50001553 |
12-Mar-04 |
RED HOT PARCEL TAXI |
$59.95 |
PARCEL DELIVERIES - FLEET MAINTENANCE |
|
50001554 |
12-Mar-04 |
THE FACTORY |
$1,485.00 |
EXTRA ELECTRICAL & INSTALLATION OF 4 ANGEL FRAMES TO WANNEROO ROAD & ELECTRICAL REQUIREMENTS FOR PHIL RANKIN CENTRE |
|
50001555 |
12-Mar-04 |
WANNEROO CENTRAL NEWSAGENCY |
$495.66 |
PERIODICALS FOR LIBRARY SERVICES |
|
50001556 |
12-Mar-04 |
WANNEROO DAIRY SUPPLIES |
$247.95 |
MILK SUPPLIES FOR CITY |
|
50001557 |
17-Mar-04 |
AUSSIE TRAVELLER PTY LTD |
$92.21 |
TRAILER PARTS FOR DEPOT STORE |
|
50001558 |
17-Mar-04 |
BBC ENTERTAINMENT |
$275.00 |
DRIPPY DRAGON SHOW FOR RIPPER NIPPER PICNIC - SAFER CITIZENS EVENT |
|
50001559 |
17-Mar-04 |
CUSTOM SERVICE LEASING LTD |
$2,835.55 |
FLEET LEASING FEES - FLEET SERVICES |
|
50001560 |
17-Mar-04 |
DBS FENCING |
$3,238.40 |
FENCING & GATES FOR WANNEROO PLAYGROUP |
|
50001561 |
17-Mar-04 |
INTEGRATED GROUP LTD |
$937.20 |
CASUAL LABOUR - DEPOT STORES |
|
50001562 |
17-Mar-04 |
LINCOLNE SCOTT |
$550.00 |
SEWER PUMP MAINTENANCE - BUILDING MAINTENANCE |
|
50001563 |
17-Mar-04 |
MARQUEE MAGIC |
$1,209.38 |
MARQUEE & EQUIPMENT HIRE FOR A DAY IN THE SHED - SAFER CITIZENS EVENT |
|
50001564 |
17-Mar-04 |
PLANNING INSTITUTE AUSTRALIA |
$75.00 |
PLANNING BREAKFAST FORUM 17/03/04 FOR S FOTI, R BAIRSTOW, C LUXFORD & B PAWLENKO |
|
50001565 |
17-Mar-04 |
S GOOD |
$1,775.69 |
STEVE GOOD PAYROLL - RESIGNATION 17/03/04 |
|
50001566 |
17-Mar-04 |
STREET TALK ENTERTAINMENT |
$1,628.00 |
ENTERTAINMENT FOR RIPPER NIPPER PICNIC - SAFER CITIZENS EVENT |
|
50001567 |
17-Mar-04 |
SUN CITY PUBLISHING |
$564.30 |
SUN CITY NEWS ADVERTISING FOR MARCH 2004 |
|
50001568 |
17-Mar-04 |
WANNEROO DAIRY SUPPLIES |
$259.55 |
MILK SUPPLIES FOR CITY |
|
50001569 |
18-Mar-04 |
BRETT TREBY |
$500.00 |
MONTHLY ALLOWANCE |
|
50001570 |
18-Mar-04 |
GLYNIS MONKS |
$500.00 |
MONTHLY ALLOWANCE |
|
50001571 |
18-Mar-04 |
IAN GOODENOUGH |
$500.00 |
MONTHLY ALLOWANCE |
|
50001572 |
18-Mar-04 |
JOHN STEWART |
$500.00 |
MONTHLY ALLOWANCE |
|
50001573 |
18-Mar-04 |
JON KELLY |
$5,900.00 |
MONTHLY ALLOWANCE |
|
50001574 |
18-Mar-04 |
JUDITH HUGHES |
$500.00 |
MONTHLY ALLOWANCE |
|
50001575 |
18-Mar-04 |
LOUISE MCNAMARA |
$500.00 |
MONTHLY ALLOWANCE |
|
50001576 |
18-Mar-04 |
MARK PEARSON |
$500.00 |
MONTHLY ALLOWANCE |
|
50001577 |
18-Mar-04 |
RUDI STEFFENS |
$500.00 |
MONTHLY ALLOWANCE |
|
50001578 |
18-Mar-04 |
TERRY LOFTUS |
$500.00 |
MONTHLY ALLOWANCE |
|
50001579 |
19-Mar-04 |
BRIANA HEINZ |
$1,011.17 |
PAYROLL: TIMESHEET NOT KEYED BY FUJITSU |
|
50001580 |
22-Mar-04 |
AUSTRALIAN TAXATION OFFICE PAYG PAYMENTS |
$189,376.80 |
REF: 642959811651070 PAYROLL DEDN: 12/03/2004 |
|
50001581 |
22-Mar-04 |
WANNEROO DAIRY SUPPLIES |
$275.50 |
MILK SUPPLIES FOR CITY |
|
50001582 |
22-Mar-04 |
ACROD WA DIVISION |
$49.50 |
2 ACROD PARKING PERMITS FOR QUINNS DAY CENTRE & 1 FOR WN31636 - COMMUNITY SERVICES |
|
50001583 |
22-Mar-04 |
ADVANCED TRAFFIC MANAGEMENT |
$192.50 |
TRAFFIC MANAGEMENT DESIGN FOR WANNEROO ROAD |
|
50001584 |
22-Mar-04 |
AIR LIQUIDE WA PTY LTD |
$283.04 |
OXY, MIG, ACET & ARGON CYLINDERS - DEPOT STORE STOCK |
|
50001585 |
22-Mar-04 |
ALLIGHT PTY LTD |
$273.35 |
HIRE OF DIESEL GENSET - SAFER CITIZENS EVENTS |
|
50001586 |
22-Mar-04 |
ALPHAWEST 6 PTY LTD |
$18,899.10 |
INFORMATION SOLUTIONS SERVICE SUPPORT AGREEMENT ($2,750.00) MAINTENANCE OF CISCO NETWORK EQUIPMENT (AGREEMENT NO HMA#12528) ($16,149.10) |
|
50001587 |
22-Mar-04 |
ALTUS TRAFFIC |
$24,073.49 |
HIRE OF TRAFFIC CONTROLLERS & EQUIPMENT - OPERATIONAL SERVICES |
|
50001588 |
22-Mar-04 |
ANGUS AND ROBERTSON PTY LTD |
$173.96 |
BOOKS FOR YANCHEP LIBRARY |
|
50001589 |
22-Mar-04 |
ARBOR VITAE LANDSCAPE |
$1,694.00 |
CONSULTANCY SERVICES - STREET TREE MASTERPLAN CLAIM FOR ADDITIONAL WORKS |
|
50001590 |
22-Mar-04 |
ARRB TRANSPORT RESEARCH LTD |
$990.00 |
FRICTION SURFACE TESTING AT KINGSWAY NETBALL & MONTROSE TENNIS COURTS |
|
50001591 |
22-Mar-04 |
ASG PTY LTD |
$792.00 |
CONSULTANT DOCTOR PHILIP WHITEHEAD FOR I.T. ISERVICES |
|
50001592 |
22-Mar-04 |
AUSTRALIAN BUSINESS TELEPHONE |
$172.70 |
TELEPHONE EQUIPMENT FOR I.T. SERVICES |
|
50001593 |
22-Mar-04 |
B AND G CHAMBERS |
$346.50 |
BOTTLED WATER FOR FESA STAFF |
|
50001594 |
22-Mar-04 |
BANNON LAFERLA JONES AUSTRALIA |
$110.00 |
PROFESSIONAL SERVICES - REVIEW OF ELECTRICITY COSTS - AUDIT FEE |
|
50001595 |
22-Mar-04 |
BARLOWORLD COATINGS PTY LTD |
$97.42 |
STAIN STOP SEALER FOR GRAFFITI CONTROL |
|
50001596 |
22-Mar-04 |
BORAL CONSTRUCTION MATERIALS |
$5,303.10 |
CEMENT DELIVERY - ENGINEERING MAINTENANCE WORKS |
|
50001597 |
22-Mar-04 |
BP AUSTRALIA LTD |
$111,283.45 |
FUEL FOR CITY FLEET – FEBRUARY 2004 |
|
50001598 |
22-Mar-04 |
BRING COURIERS |
$49.08 |
COURIER SERVICES FOR HEALTH SERVICES |
|
50001599 |
22-Mar-04 |
CLEAN SWEEP |
$16,487.51 |
HIRE OF SWEEPER & SWEEPING OF VARIOUS LOCATIONS - OPERATIONAL SERVICES |
|
50001600 |
22-Mar-04 |
CONCERT AND CORPORATE PRODUCTIONS |
$4,178.63 |
HIRE OF PRODUCTION EQUIPMENT FOR LIVE 2004 |
|
50001601 |
22-Mar-04 |
COVENTRYS |
$3,648.13 |
VEHICLE SPARE PARTS & TOOL PURCHASES FOR VARIOUS DEPARTMENTS |
|
50001602 |
22-Mar-04 |
DBS FENCING |
$496.10 |
REPAIRS TO CHAINMESH FENCING AT LANDFILL SITE ON MOTIVATION DRIVE |
|
50001603 |
22-Mar-04 |
DE NEEFE SIGNS PTY LTD |
$6,285.40 |
SIGNS & ACCESSORIES FOR VARIOUS DEPARTMENTS |
|
50001604 |
22-Mar-04 |
DELTA PROTECTIVE SERVICES |
$2,015.20 |
SECURITY FOR JACARANDA AMPHITHEATRE FOR BROADWAY CONCERT |
|
50001605 |
22-Mar-04 |
DENMOSS HOLDINGS |
$3,674.00 |
ERECT 380 METRES OF FENCING AT KINGSWAY OVAL |
|
50001606 |
22-Mar-04 |
DIAMOND LOCK AND KEY |
$3,826.80 |
LOCKS & OTHER EQUIPMENT - DEPOT STORE & BUILDING MAINTENANCE SERVICE CALL TO OPEN SAFE - CONTRACTS & PROPERTY |
|
50001607 |
22-Mar-04 |
DORO AUSTRALIA |
$75.00 |
REPAIR PUBLIC PHONE AT AQUAMOTION |
|
50001608 |
22-Mar-04 |
E SPAN SOLUTIONS PTY LTD |
$885.50 |
INTERNET CONNECTION FEES MARCH 2004 CHECK POWER SUPPLY & 1 HOUR URGENT LABOUR - WANNEROO LIBRARY |
|
50001609 |
22-Mar-04 |
ELECTROLUX CONSTRUCTION |
$170.28 |
SPARE PARTS FOR FLEET MAINTENANCE |
|
50001610 |
22-Mar-04 |
ELLIOTTS IRRIGATION PTY LTD |
$891.48 |
VARIOUS RETICULATION ITEMS - PARKS MAINTENANCE |
|
50001611 |
22-Mar-04 |
FESA |
$17,638.52 |
EMERGENCY SERVICES LEVY FEBRUARY 2004 |
|
50001612 |
22-Mar-04 |
FOODLINK FOOD SERVICE |
$588.06 |
SUGAR COFFEE & TEA BAGS SUPPLIES FOR CITY |
|
50001613 |
22-Mar-04 |
FUJI XEROX AUSTRALIA PTY LTD |
$2,907.11 |
RENTAL OF COPIER DC490ST FOR PERIOD 20/03-20/04/2004 - STRATEGIC & EXECUTIVE PLUS COPY CHARGES, TONER & CARTRIDGE |
|
50001614 |
22-Mar-04 |
FUJITSU AUSTRALIA LTD |
$6,415.52 |
COMPUTER SOFTWARE PURCHASE FOR I.T. SERVICES PAYROLL/PERSONNEL PROCESSING CHARGES P/E 30/01/04 |
|
50001615 |
22-Mar-04 |
GHD MANAGEMENT ENGINEERING |
$3,415.74 |
WANNEROO TOWN CENTRE MASTERPLAN TRAFFIC STUDY CLAIM 3 |
|
50001616 |
22-Mar-04 |
HEAVY AUTOMATICS |
$285.53 |
SPARE PARTS FOR FLEET MAINTENANCE & FIELD SERVICE REPAIRS |
|
50001617 |
22-Mar-04 |
HOSEMASTERS |
$5,189.98 |
LABOUR & SUPPLY OF HOSES - FLEET MAINTENANCE |
|
50001618 |
22-Mar-04 |
ICE TECHNOLOGIES AUSTRALIA PTY LTD |
$525.36 |
REPAIRS TO ICE MACHINE AT DEPOT |
|
50001619 |
22-Mar-04 |
ID CONSULTING PTY LTD |
$825.00 |
FORECAST ID QUARTERLY HOSTING FEE - SMARTGROWTH |
|
50001620 |
22-Mar-04 |
INTEGRATED GROUP LTD |
$24,250.67 |
CASUAL LABOUR HIRE FOR VARIOUS DEPARTMENTS |
|
50001621 |
22-Mar-04 |
LAWN DOCTOR |
$600.00 |
MOWING OF KINGSWAY CRICKET PITCH |
|
50001622 |
22-Mar-04 |
LINCOLNE SCOTT |
$7,301.15 |
DEPOT WATER CONSUMPTION OVERVIEW |
|
50001623 |
22-Mar-04 |
LULLFITZ |
$75.63 |
ASSORTED PLANTS FOR CITIZENSHIP CEREMONIES |
|
50001624 |
22-Mar-04 |
MACDONALD JOHNSTON ENGINEERING |
$8,437.91 |
SPARE PARTS FOR FLEET MAINTENANCE |
|
50001625 |
22-Mar-04 |
MAYDAY EARTHMOVING |
$34,598.31 |
DRY ROLLER, TRUCK, BOBCAT, MINI EXCAVATOR & 6 WHEEL TIPPER HIRE FOR VARIOUS DEPARTMENTS |
|
50001626 |
22-Mar-04 |
MEMO COMMUNICATIONS |
$2,295.83 |
REMOVE & INSTALL 2 WAY RADIOS FOR FLEET SERVICES, REPLACE DESK MIC AT WASTE SERVICES SUPPLY OF BATTERIES FOR VARIOUS DEPARTMENTS |
|
50001627 |
22-Mar-04 |
METROCOUNT |
$452.00 |
SUPPLIES FOR UNSEALED ROADS FOR DEPARTMENT OF INFRASTRUCTURE |
|
50001628 |
22-Mar-04 |
MGE UPS SYSTEMS |
$2,739.00 |
ULTIMATE SERVICE PLAN FOR COMET S33 FOR ONE YEAR – I.T. SERVICES |
|
50001629 |
22-Mar-04 |
MOBILE SHRED ONSITE |
$66.00 |
ON-SITE LOCKED SHREDDING BINS FOR COUNCILLORS |
|
50001630 |
22-Mar-04 |
MORLEY MOWER CENTRE |
$2,312.40 |
MOWER SPARE PARTS FOR WORKSHOP |
|
50001631 |
22-Mar-04 |
NEALS MECHANICAL SERVICES |
$9,350.00 |
EQUIPMENT FOR ECO-DETOUR YOUTH DEVELOPMENT PROGRAM |
|
50001632 |
22-Mar-04 |
NEBA INTERNATIONAL COURIERS |
$119.90 |
COURIER SERVICE FOR FLEET MAINTENANCE |
|
50001633 |
22-Mar-04 |
NEC BUSINESS SOLUTIONS PTY LTD |
$2,035.29 |
RENEWAL OF NECARE SERVICE AGREEMENT – I.T. SERVICES |
|
50001634 |
22-Mar-04 |
NICK DEL BORRELLO |
$5,538.86 |
VARIOUS VEHICLE REPAIRS FOR FLEET MAINTENANCE |
|
50001635 |
22-Mar-04 |
NORTHERN DISTRICTS PEST CONTROL |
$1,903.00 |
GENERAL PEST TREATMENT - BUILDING MAINTENANCE |
|
50001636 |
22-Mar-04 |
ONESTEEL DISTRIBUTION |
$382.80 |
STEEL SUPPLIES - FLEET MAINTENANCE & DEPOT STORE |
|
50001637 |
22-Mar-04 |
P AND M AUTOMOTIVE EQUIPMENT |
$360.00 |
SPARE PARTS FOR FLEET MAINTENANCE |
|
50001638 |
22-Mar-04 |
PARKS AND LEISURE AUSTRALIA |
$55.00 |
AUSTRALASIAN PARKS & LEISURE JOURNAL SUBSCRIPTION - INFRASTRUCTURE SERVICES |
|
50001639 |
22-Mar-04 |
PHASE 1 AUDIO |
$1,320.00 |
AUDIO & CREW FOR TRAINS, PLANES & AUTOMOBILES EVENT |
|
50001640 |
22-Mar-04 |
PRESTIGE ALARMS |
$1,699.75 |
24HR MONITORING OF SECURITY ALARMS AT 22 SITES - BUILDING MAINTENANCE ALARM PROGRAMME CHANGES & CALLOUTS TO VARIOUS COW SITES |
|
50001641 |
22-Mar-04 |
QUANTUM MULTIMEDIA COMMUNICATIONS |
$260.66 |
FIRE SERVICES SMS ACCOUNT |
|
50001642 |
22-Mar-04 |
RECYCLING CO OF WA PTY LTD |
$83,173.51 |
BADGERUP PROCESSING FEES - WASTE SERVICES |
|
50001643 |
22-Mar-04 |
RED HOT PARCEL TAXI |
$66.60 |
COURIER SERVICE FOR FLEET MAINTENANCE |
|
50001644 |
22-Mar-04 |
ROSIE O |
$264.00 |
BALLOON TWISTING CLOWN AT UNDER THE BIG TOP EVENT 14/02/04 |
|
50001645 |
22-Mar-04 |
SAI GLOBAL LTD |
$93.39 |
VARIOUS PUBLICATIONS - BUILDING & FLEET MAINTENANCE |
|
50001646 |
22-Mar-04 |
SANAX ST ANDREWS PHARMACY |
$1,517.07 |
FIRST AID ITEMS FOR VARIOUS DEPARTMENTS |
|
50001647 |
22-Mar-04 |
SEALANES |
$2,012.30 |
VARIOUS AMENITIES FOR ELECTED MEMBERS AND CITY STAFF |
|
50001648 |
22-Mar-04 |
SETON AUSTRALIA |
$260.05 |
SIGNS FOR PLANNING & DEVELOPMENT & FLEET MAINTENANCE |
|
50001649 |
22-Mar-04 |
SIRENCO |
$1,228.70 |
REPLACE SIREN SPEAKER, REPAIR HEADLIGHT FLASHER UNIT & EMERGENCY WARNING LIGHTS FOR FESA |
|
50001650 |
22-Mar-04 |
SLING RIG SALES |
$1,050.50 |
INSPECT & REPAIR TWO LEG CHAIN SLING - ENGINEERING CONSTRUCTION |
|
50001651 |
22-Mar-04 |
SMEC HOLDINGS LIMITED |
$7,084.00 |
KINGSWAY SPORTING COMPLEX MASTER PLAN TRAFFIC STUDY |
|
50001652 |
22-Mar-04 |
SOUTHDOWN CONSTRUCTION |
$200,044.89 |
DEVELOPMENT OF LOT 211 QUINNS ROAD MINDARIE CLAIM NO.2 |
|
50001653 |
22-Mar-04 |
STIRLING IRRIGATION |
$2,377.10 |
SUPPLY OF ELECTRICAL CONTROL SWITCHBOARD & EQUIPMENT RE: BORE AT CIVIC CENTRE |
|
50001654 |
22-Mar-04 |
SUSSEX INDUSTRIES |
$248.16 |
ROAD MARKING PAINT - DEPOT STOCK |
|
50001655 |
22-Mar-04 |
THE CARERS |
$26,780.99 |
PROVISION OF HACC SERVICES 27/01-20/02/04 |
|
50001656 |
22-Mar-04 |
TOLL TRANSPORT PTY LTD |
$913.90 |
COURIER SERVICES FOR VARIOUS DEPARTMENTS |
|
50001657 |
22-Mar-04 |
TREVOR ROLLER SHUTTERS |
$1,078.00 |
REMOVE ROLLERDOOR RESHAFT & REINSTALL AT WORKS DEPOT |
|
50001658 |
22-Mar-04 |
WA LIBRARY SUPPLIES |
$227.81 |
SPINE LABELS AND COVERS - LIBRARY SERVICES |
|
50001659 |
22-Mar-04 |
WANNEROO HARDWARE |
$5,953.07 |
TOOL & HARDWARE PURCHASES FOR VARIOUS DEPARTMENTS |
|
50001660 |
22-Mar-04 |
WANNEROO PLUMBING |
$16,012.77 |
PLUMBING MAINTENANCE AT VARIOUS SITES - BUILDING MAINTENANCE |
|
50001661 |
22-Mar-04 |
WESTERN PLANT HIRE |
$85,657.49 |
CONSTRUCTION OF ONE GROYNE & SAND RENOURISHMENT FOR COASTAL PROTECTION WORKS AT QUINNS BEACH (INCLUDING RELEASE OF RETENTION) |
|
50001662 |
22-Mar-04 |
WJ MONCRIEFF PTY LTD |
$181,639.70 |
COMPUTER EQUIPMENT FOR I.T. SERVICES |
|
50001663 |
22-Mar-04 |
WORLDWIDE ONLINE PRINTING |
$3,140.00 |
COUNCILLOR OVERSTICKERS SAUSAGE POSTERS - KOONDOOLA COMMUNITY FAIR - MARKETING SERVICES PRINTING OF TICKETS FOR BROADWAY UNDER THE STARS & JUST JAMMIN FLYERS LIBRARY SERVICES BASE STOCK SMART GROWTH DL PRINTING OF FLYERS & POLICY DRAFT YOUTH TEMPLATES & ART AWARD BROCHURES |
|
50001664 |
22-Mar-04 |
ZETTA FLORENCE PTY LTD |
$330.44 |
MAINTENANCE & RESTORATION SUPPLIES FOR HERITAGE & MUSEUMS |
|
50001665 |
29-Mar-04 |
RECYCLING CO OF WA PTY LTD |
$40,169.26 |
BADGERUP SORTING & PROCESSING COSTS DURING FEBRUARY 2004 |
|
50001666 |
31-Mar-04 |
MARY GREY |
$230.23 |
TIMESHEET NOT RECEIVED BY PAYROLL |
|
|
|
SUBTOTAL |
$4,646,406.98 |
|
|
|
|
|
|
|
|
CANCELLED CHEQUES |
||||
|
41567 |
17-Dec-03 |
G LAMONT |
-$639.39 |
|
|
43364 |
25-Feb-04 |
COURIER AUSTRALIA |
-$5.50 |
|
|
|
|
SUBTOTAL |
-$644.89 |
|
|
|
|
|
|
|
|
TOWN PLANNING SCHEME |
||||
|
000003 |
31-Mar-04 |
CELL 1 |
-$477.96 |
STAMFORDS - INTERNAL AUDIT- INVOICE 18036 |
|
000005 |
31-Mar-04 |
CELL 2 |
-$246.40 |
STAMFORDS - INTERNAL AUDIT- INVOICE 18036 |
|
000006 |
31-Mar-04 |
CELL 3 |
-$98.84 |
STAMFORDS - INTERNAL AUDIT- INVOICE 18036 |
|
000007 |
31-Mar-04 |
CELL 4 |
-$525.38 |
STAMFORDS - INTERNAL AUDIT- INVOICE 18036 |
|
000008 |
31-Mar-04 |
CELL 5 |
-$349.44 |
STAMFORDS - INTERNAL AUDIT- INVOICE 18036 |
|
000013 |
31-Mar-04 |
CELL 6 |
-$666.12 |
STAMFORDS - INTERNAL AUDIT- INVOICE 18036 |
|
000007 |
31-Mar-04 |
CELL 7 |
-$170.52 |
STAMFORDS - INTERNAL AUDIT- INVOICE 18036 |
|
000003 |
31-Mar-04 |
CELL 8 |
-$265.45 |
STAMFORDS - INTERNAL AUDIT- INVOICE 18036 |
|
000001 |
27-Feb-04 |
CELL 5 |
-$172,500.00 |
|
|
|
|
SUBTOTAL |
-$175,300.11 |
|
|
|
|
|
|
|
|
|
|
TOTAL MUNI RECOUP |
$4,470,461.98 |
|
|
|
|
|
|
|
|
City of Wanneroo Municipal Account |
||||
|
Cheque |
Date |
Paid To |
Amount |
Details |
|
000026 |
16-Mar-04 |
DIRECTOR CORP SERVICES ADV ACCT |
$1,781,099.35 |
RECOUP CHEQUE NO:43380-44081 EFT NO: 50001525-50001581 |
|
000027 |
31-Mar-04 |
DIRECTOR CORP SERVICES ADV ACCT |
$2,689,362.63 |
RECOUP CHEQUE NO:43380-44159 EFT NO: 50001525-50001666 MONTH RECOUPED IN TWO PERIODS FOR HOLIDAYS |
|
|
|
SUBTOTAL |
$4,470,461.98 |
|
|
|
|
|
|
|
|
OTHERS |
16-Mar-04 |
COMMONWEALTH BANK |
|
|
|
|
|
CREDIT CARD PAYMENT |
$30.00 |
DPD – BUSINESS LUNCH WITH TONY ARAS, SATTERLEY GROUP RE ASHBY/BUTLER |
|
|
|
GST |
$3.00 |
|
|
|
|
CREDIT CARD PAYMENT |
$133.46 |
CEO – ANNUAL MEMBERSHIP RENEWAL TO URBAN LAND INSTITUTE |
|
|
|
GST |
$13.35 |
|
|
|
|
CREDIT CARD PAYMENT |
$763.42 |
CEO – AIRFARE TO QUEENSLAND FOR SEACHANGE CONFERENCE |
|
|
|
GST |
$76.34 |
|
|
|
|
CREDIT CARD PAYMENT |
$400.05 |
CEO – 2 DAYS ACCOMMODATION IN QUEENSLAND TO ATTEND SEACHANGE CONFERENCE |
|
|
|
GST |
$40.00 |
|
|
|
|
CREDIT CARD PAYMENT |
$240.91 |
CEO – LGMA PROFESSIONAL DEVELOPMENT CONFERENCE |
|
|
|
GST |
$24.09 |
|
|
|
|
CREDIT CARD PAYMENT |
$263.64 |
DTS - LGMA PROFESSIONAL DEVELOPMENT CONFERENCE |
|
|
|
GST |
$26.36 |
|
|
|
|
CREDIT CARD PAYMENT |
$362.73 |
DCS – TRAINING COURSE FOR N DONATELLI, CORPORATE RESOURCES |
|
|
|
GST |
$36.27 |
|
|
|
|
CREDIT CARD PAYMENT |
$81.82 |
DCS – 1 NIGHTS ACCOMM. FOR M ROBERTS, I.T. SERVICES - MELBOURNE |
|
|
|
GST |
$8.18 |
|
|
|
|
CBA MERCHANT FEE |
$65.41 |
|
|
|
|
GST |
$6.54 |
|
|
|
|
CBA MERCHANT FEE |
$74.94 |
|
|
|
|
GST |
$7.49 |
|
|
|
|
CBA MERCHANT FEE |
$34.76 |
|
|
|
|
GST |
$3.48 |
|
|
|
|
CBA MERCHANT FEE |
$106.43 |
|
|
|
|
GST |
$10.64 |
|
|
|
|
CBA MERCHANT FEE |
$155.97 |
|
|
|
|
GST |
$15.60 |
|
|
|
|
WCC WAGES |
$588,748.25 |
|
|
|
|
WCC WAGE DEDUCTIONS |
$6,595.07 |
|
|
|
|
CBA POS FEE |
$15.00 |
|
|
|
|
GST |
$1.50 |
|
|
|
|
CBA POS FEE |
$15.00 |
|
|
|
|
GST |
$1.50 |
|
|
|
|
CBA POS FEE |
$15.00 |
|
|
|
|
GST |
$1.50 |
|
|
|
|
CBA POS FEE |
$15.00 |
|
|
|
|
GST |
$1.50 |
|
|
|
|
CBA POS FEE |
$15.00 |
|
|
|
|
GST |
$1.50 |
|
|
|
|
GLF FEE |
$636.36 |
|
|
|
|
GST |
$63.64 |
|
|
|
|
TRANSFER TO INVESTMENT |
$600,000.00 |
|
|
|
|
RATES DISHONOUR |
$300.00 |
|
|
|
|
AUTOPAY FEE |
$144.10 |
|
|
|
|
GST |
$14.41 |
|
|
|
|
BPAY FEE |
$1,044.76 |
|
|
|
|
GST |
$104.48 |
|
|
|
|
DMD BFM FEE |
$78.70 |
|
|
|
|
GST |
$7.87 |
|
|
|
|
DMD CASH MAINT |
$75.00 |
|
|
|
|
GST |
$7.50 |
|
|
|
|
TNA LIMIT FEE |
$53.03 |
|
|
|
|
GST |
$5.30 |
|
|
|
|
ACC SERV FEE |
$857.63 |
|
|
|
|
GST |
$85.76 |
|
|
|
|
DMD CASH TRAN |
$50.05 |
|
|
|
|
GST |
$5.00 |
|
|
|
|
WCC WAGES |
$585,040.39 |
|
|
|
|
WCC WAGE DEDUCTIONS |
$7,001.85 |
|
|
|
|
SUB TOTAL |
$1,793,986.53 |
|
|
|
|
|
|
|
|
|
31-Mar-04 |
TRANSFER TO INVESTMENT |
$350,000.00 |
|
|
|
|
TRANSFER TO INVESTMENT |
$100,000.00 |
|
|
|
|
TRANSFER TO INVESTMENT |
$1,500,000.00 |
|
|
|
|
WCC WAGES |
$586,045.37 |
|
|
|
|
WCC WAGE DEDUCTIONS |
$7,076.95 |
|
|
|
|
DISHONOUR - RANGERS |
$30.00 |
|
|
|
|
RETURNED ITEM FEE |
$2.50 |
|
|
|
|
TRANSFER TO INVESTMENT |
$1,300,000.00 |
|
|
|
|
ADVANCE RECOUP |
$1,781,099.35 |
|
|
|
|
SUBTOTAL |
$5,624,254.17 |
|
|
|
|
|
|
|
|
|
31-Mar-04 |
CREDIT CARD PAYMENT |
$136.36 |
DCS – CORPORATE HOSPITALITY WITH CIVICA PTY LTD |
|
|
|
GST |
$13.64 |
|
|
|
|
CREDIT CARD PAYMENT |
$41.24 |
DCD – TRAVEL EXPENSES ATTENDING WORLD LEISURE CONGRESS, OCTOBER 2004 |
|
|
|
GST |
$4.12 |
|
|
|
|
CREDIT CARD PAYMENT |
$809.27 |
CEO – ACCOMMODATION - PIA CONFERENCE |
|
|
|
GST |
$80.93 |
|
|
|
|
CREDIT CARD PAYMENT |
$1,046.64 |
CEO – CR MONKS, ACCOMMODATION – PIA CONFERENCE |
|
|
|
GST |
$104.66 |
|
|
|
|
CREDIT CARD PAYMENT |
$631.82 |
CEO – ICTC CONFERENCE |
|
|
|
GST |
$63.18 |
|
|
|
|
CREDIT CARD PAYMENT |
$153.27 |
CEO – COUNCIL FORUM |
|
|
|
GST |
$15.33 |
|
|
|
|
CREDIT CARD PAYMENT |
$300.00 |
CEO – MAGAZINE RENEWAL ‘COUNCILLOR’ |
|
|
|
GST |
$30.00 |
|
|
|
|
CREDIT CARD PAYMENT |
$60.18 |
CEO – DINNER AT MAROOCHY SHIRE COUNCIL |
|
|
|
GST |
$6.02 |
|
|
|
|
CREDIT CARD PAYMENT |
$53.91 |
CEO – LUNCH WITH A/CEO CITY OF JOONDALUP |
|
|
|
GST |
$5.39 |
|
|
|
|
CREDIT CARD PAYMENT |
$1,522.73 |
DPD – URBAN DEVELOPMENT INSTITUTE (UDI) CONFERENCE |
|
|
|
GST |
$152.27 |
|
|
|
|
CREDIT CARD PAYMENT |
$17.27 |
DPD – UDI LUNCH |
|
|
|
GST |
$1.73 |
|
|
|
|
CREDIT CARD PAYMENT |
$36.59 |
DPD – UDI BRUNCH WITH C WILLIAMS |
|
|
|
GST |
$3.66 |
|
|
|
|
CREDIT CARD PAYMENT |
$49.27 |
DPD – DINNER WITH FRANK ARANGIO, DEVELOPMENT PLANNING STRATEGIES |
|
|
|
GST |
$4.93 |
|
|
|
|
CREDIT CARD PAYMENT |
$48.32 |
DPD – BREAKFAST WITH C WILLIAMS & FRANK ARANGIO, DEVELOPMENT PLANNING STRATEGIES |
|
|
|
GST |
$4.83 |
|
|
|
|
CREDIT CARD PAYMENT |
$31.46 |
DPD – FUEL FOR HIRE VEHICLE ON SITE VISITS – UDI CONFERENCE |
|
|
|
GST |
$3.15 |
|
|
|
|
CREDIT CARD PAYMENT |
$1,027.72 |
DPD – 50% ACCOMMODATION EXPENSES FOR UDI CONFERENCE |
|
|
|
GST |
$102.77 |
|
|
|
|
CREDIT CARD PAYMENT |
$1,027.73 |
DPD – 50% ACCOMMODATION EXPENSES FOR C WILLIAMS AT UDI CONFERENCE |
|
|
|
GST |
$102.77 |
|
|
|
|
CREDIT CARD PAYMENT |
$50.64 |
DPD – ACCOMMODATION EXPENSES FOR C WILLIAMS AT UDI CONFERENCE |
|
|
|
GST |
$5.06 |
|
|
|
|
SUBTOTAL |
$7,748.86 |
|
|
|
|
|
|
|
|
|
|
TOTAL |
$7,425,989.56 |
|
EndOfRecommendation - This line will not be printed Please do NOT delete
File Ref: C04349V01
File Name: BBTender for the Provsion of Statutory Audit Services for a period of three financial years.doc This line will not be printed dont
Level 4 Approval by Bruce Perryman Date 21 April 2004
Level 3 Approval by Bruce Perryman Date 14 April 2004
Level 2 Approval by Mike Cole Date 13 April 2004
Level 1 Approval by Mike Cole Date 13 April 2004delete
Responsible Officer: Director, Corporate Services
Disclosure of Interest: Nil
Author: Manager Finance
Meeting Date: 27/4/2004
Attachments: Nil
StartStrip - This line will not be printed so do not delete
Issue
To receive the Audit Committee’s recommendation for the provision of Statutory Audit Services for a period of three financial years, commencing 2003/04.
Background
Section 7.3 of the Local Government Act 1995, requires a Local Government to appoint an Auditor who is a registered company auditor or an approved auditor.
The term of appointment of the City’s current Auditors ended following the completion of the audit for the 2002/03 financial year.
Tenders for Statutory Audit Services were called on Saturday 31 January 2004 and closed at 3.00pm on Tuesday 17 February 2004.
The Audit Committee at its meeting of 20 April 2004 recommend:-
“That Council ACCEPTS BY ABSOLUTE MAJORITY the Tender No 04349 from Haines Norton for the provision of Statutory Audit Services for a period of three financial years commencing 2003/04 and ending 2005/06 for a lump sum of $73,500.
CARRIED UNANIMOUSLY &
BY ABSOLUTE MAJORITY”
Detail
At the close of tenders, the following seven Audit firms had submitted tenders:
· Haines Norton
· Horwath Perth
· KPMG (non-conforming tender)
· Grant Thornton
· PKF Chartered Accountants
· Deloitte Touche Tohmatsu (the City’s Current Auditors)
· Barrett and Partners DFK
As noted above, the tender from KPMG was considered a non-conforming tender as the submission did not address the various schedules included in the tender documentation.
The remaining six tenders were assessed against the following criteria:
1. Price for services offered
2. Tenderer’s Resources
3. Tenderer’s Previous Experience
Tenderers were requested to submit a price for services offered based on a fixed lump sum price for the provision of Statutory Audit Services and the provision of Grant Acquittals, on a cost per grant acquittal basis. For the purposes of this tender, tenderers were advised that the City required 21 funding grant acquittals in 2002/03. Each tenderer was then assessed on the cost of providing 20 funding grant acquittals for each year during the term of the contract.
The ranking of tenders on the basis of price offered from lowest to highest was as follows:
|
Tenderer |
Audit Services |
Grant Acquittals |
Total |
|
|
|
|
|
|
Haines Norton |
$61,500.00 |
$12,000.00 |
$73,500.00 |
|
PKF Chartered Accountants |
$75,000.00 |
$0.00 |
$75,000.00 |
|
Barrett and Partners |
$57,000.00 |
$28,000.00 |
$85,000.00 |
|
Horwath Perth |
$79,500.00 |
$16,500.00 |
$96,000.00 |
|
Grant Thornton |
$75,000.00 |
$30,000.00 |
$105,000.00 |
|
Deloitte Touche Tohmatsu |
$77,200.00 |
$63,000.00 |
$140,200.00 |
A review of the documentation submitted confirmed that each tenderer had the necessary resources to undertake the contract. In addition, with the exception of PKF Chartered Accountants, all tenderers demonstrated they had considerable experience in undertaking similar audits for local governments in Western Australia. PKF Chartered Accountants have only one small local government client.
The recommended tenderer, Haines Norton offered a base audit fee of $61,500 over the three years of the contract and a daily rate of $800 in respect of Grant Acquittals. In post tender negotiations, Haines Norton agreed to a fixed lump sum price of $4,000 per annum for the grant acquittal work, based on their assessment of the work to be undertaken.
Consultation
Nil
Comment
The tender submitted by Haines Norton is the lowest tender submitted while the City’s current auditor’s Deloitte Touche Tohmatsu was the most expensive.
The second lowest tender was submitted by PKF Chartered Accountants but as mentioned above, this firm has limited experience in conducting similar audits with only one small local government client in this State.
In addition to being the lowest tenderer, Haines Norton demonstrated extensive experience with undertaking similar audits for local government clients in Western Australia, including a number of local governments of significant size for which they are the incumbent auditor.
Finally, as well as being able to provide a range of ancillary audit and tax advisory services, Haines Norton has also developed the model financial reports and model budget utilised by the City to meet our statutory reporting requirements. These model financial reports and model budget are used extensively by local governments in this State and form the basis of an annual workshop which addresses changes to disclosure requirements.
Statutory Compliance
Section 7.3 of the Local Government Act 1995 provides for the appointment of auditors as follows:-
“(1) A local government is to, from time to time whenever such an appointment is necessary or expedient, appoint* a person to be its auditor.
(2) The local government may appoint one or more persons as its auditor.
(3) The local government's auditor is to be a person who is –
(a) a registered company auditor; or
(b) an approved auditor.
* Absolute majority required.”
Strategic Implications
Corporate Management and Development – Committed to the proper management of our natural, financial and human resources.
Policy Implications
Nil
Financial Implications
The cost to the City for Statutory Audit Services is within the amount provided in the draft Budget for 2004/05.
Voting Requirements
Absolute Majority
EndStrip - This will not be printed so do not delete
Recommendation
That Council ACCEPTS BY ABSOLUTE MAJORITY the Tender No 04349 from Haines Norton for the provision of Statutory Audit Services for a period of three financial years commencing 2003/04 and ending 2005/06 for a lump sum price of $73,500.
EndOfRecommendation - This line will not be printed Please do NOT delete
File Ref: P33/0024V01
File Name: BBWest Coast Ministries International Inc Request for Partial Exemption on 7 Lumsden Road Wangara.doc This line will not
Level 4 Approval by Bruce Perryman Date 15 April 2004
Level 3 Approval by Bruce Perryman Date 08 April 2004
Level 2 Approval by Mike Cole Date 06 April 2004
Level 1 Approval by Mike Cole Date 06 April 2004be printed dont delete
Responsible Officer: Director, Corporate Services
Disclosure of Interest: Nil
Author: Manager Finance
Meeting Date: 27 April 2004
Attachments: 1
StartStrip - This line will not be printed so do not delete
Issue
To consider a request from West Coast Ministries International Inc (WCMI) to provide a rate exemption in relation to a portion of premises at 7 Lumsden Road, Wangara, used for religious purposes.
Background
In March 2002, WCMI wrote to the City seeking an exemption from rates for the property at 7 Lumsden Road, Wangara, on the basis that the land was being used for religious and charitable purposes.
WCMI has leased the property since 1 March 2002 from Modular Metals Pty Ltd and sought a partial exemption from rates similar to that which the former City of Wanneroo had agreed to for sites in Kingsley and Greenwood. It was purported by the WCMI that the former City had agreed to a partial rating exemption only in respect of the portions of the properties used for religious purposes, as opposed to the area(s) being used as a Skate Park.
Administration advised WCMI in April 2002 that their request would not be considered in view of the fact that it was operating a Skate Park (on a commercial basis) on portion of the leased land. Section 6.26(2)(d) of the Local Government Act 1995 (the Act) provides “not rateable” status to land used or held exclusively by a religious body as a place of public worship. In the Administration’s view the operation of a Skate Park on portion of the premises was not consistent with exclusive use.
The City received advice from WCMI that the Skate Park was closed as from 6 May 2002 due to declining patronage and substantial increases in public liability insurance premiums. It was proposed to convert the facility into a Youth Centre. Administration staff visited the premises on 28 May 2002 to inspect the premises and verify its claimed use as being exclusively for religious purposes. This inspection confirmed the establishment of a church within the premises and noted a number of vacant spaces. Whilst it now seemed to meet the requirements of section 6.26(2)(d) of the Act, it was noted that WCMI had not been issued with a Certificate of Occupation due to a number of planning conditions that remained outstanding. WCMI were therefore advised that further consideration would be deferred pending their compliance with those conditions.
Detail
West Coast Ministries wrote to the City in September 2003 advising they had received the necessary Certificate of Occupation. During a subsequent site inspection, construction of a family entertainment centre in one half of the main building was noticed. This play area and café is being marketed as ‘Wild Kidz Family Entertainment Centre’ and was officially opened on Saturday, 3 April 2004.
The building now comprises an auditorium and associated activities rooms used by the church, offices used by a CPA and the Wild Kidz Play Centre (Attachment 1 refers). West Coast Ministries have advised the approximate floor space of the CPA Offices is 70 square metres and the Play Centre 1446 square metres. The remainder of the building, being 1638 square metres, is being used by the church for religious purposes.
Legal advice was then sought to determine whether a partial exemption from rates could be granted for that part of the land that was being used exclusively for religious purposes. While the former City had granted a partial exemption in the past for other sites in Greenwood and Kingsley, the Administration believed the legal basis for granting such a request for the present site needed to be determined.
Advice received has confirmed the Administration’s view that a partial exemption for the land at 7 Lumsden Road, Wangara, is unable to be supported. While it is possible to distinguish between parts of the one piece of land for rating purposes where the land is divided by a natural feature such as a river or a man-made division such as a fence or a wall, the separate parts of the land must be clearly identifiable from the other.
In the case of the property in question, the most recent inspection revealed the existence of shared facilities, with one part not being clearly identifiable from the other part of the land. Accordingly, the Administration considers that West Coast Ministries has not demonstrated it meets the requirements for a partial exemption and has advised them that their request has been denied.
WCMI now seeks to lodge an objection as provided for under Section 6.76(1)(a) of the Act.
Consultation
The Manager Finance has been in constant contact with the Pastor of WCMI in order to establish whether or not the property is being used for the purposes outlined in Section 6.26(2)(d) of the Act.
Comment
Section 6.76 of the Act outlines the right of a person to object to a rate record of a local government. Subsection (3) however, provides that an objection may be made by the person named in the rate record as the owner of the land or by the agent or attorney of that person. There is no provision that allows a lessee to lodge an objection.
It is understood that Modular Metals Pty Ltd (the owners of 7 Lumsden Road, Wangara) have no interest in seeking a rate exemption on behalf of their tenants and are therefore unlikely to lodge an objection to the City’s rate record. The Administration has therefore worked in consultation with WCMI to resolve the issue.
For the reasons outlined in this report and consistent with legal advice obtained, it is considered that the request by WCMI cannot be supported. As WCMI do not have the right to lodge an objection to the rate record, the matter is being placed before the Council with a recommendation that the Administration’s determination be confirmed.
Statutory Compliance
Section 6.26 of the Local Government Act 1995 provides that:
“(1) Except as provided in this section all land within a district is rateable land.
(2) The following land is not rateable land:
(d) land used or held exclusively by a religious body as a place of public worship or in relation to that worship, a place of residence of a minister of religion, a convent, nunnery or monastery, or occupied exclusively by a religious brotherhood or sisterhood.”
Section 6.76 of the Local Government Act 1995 provides that:
“(1) A person may, in accordance with this section, object to the rate record of a local government on the ground
(a) that there is an error in the rate record –
(ii) on the basis that the land or part of the land is not rateable land;
(3) An objection under subsection (1) may be made by the person named in the rate record as the owner of the land or by the agent or attorney of that person.”
Strategic Implications
“Goal 4 – Corporate Management and Development – proper management of our natural, financial and human resources”. Maintenance of an equitable rating system is one of the objectives listed by the Corporate Services Directorate to achieve Goal 4.
Policy Implications
Nil.
Financial Implications
Nil.
Voting Requirements
Simple Majority
EndStrip - This will not be printed so do not delete
Recommendation
That Council:-
1. DENIES the request from West Coast Ministries International Inc for partial rate exemption in respect of its leased premises at 7 Lumsden Road, Wangara; and
2. ADVISES the West Coast Ministries International Pty Ltd that to have the matter in 1. above determined pursuant to the Objections and Appeal provisions of the Local Government Act 1995 (Part 6, Division 6, Subdivision 7) an objection must be lodged by the owner of the land.
EndOfRecommendation - This line will not be printed Please do NOT delete
StartOfAttachment - Do not delete this line will not be printed
ATTACHMENT 1

EndOfAttachment - Do not delete this line will not be printed
File Ref: S/008V01
File Name: BBValuation Fees.doc This line will not be printed dont delete
Level 4 Approval by Bruce Perryman Date 15 April 2004
Level 3 Approval by Bruce Perryman Date 08 April 2004
Level 2 Approval by Mike Cole Date 07 April 2004
Level 1 Approval by Mike Cole Date 07 April 2004
Responsible Officer: Director, Corporate Services
Disclosure of Interest: Nil
Author: Manager Finance
Meeting Date: 27 April 2004
Attachments: Nil
StartStrip - This line will not be printed so do not delete
Issue
To consider the impact of a change in the method of valuing certain properties by the Water Corporation.
Background
Existing legislation requires Local Governments to use valuations provided by the Office of the Valuer General for the purpose of property rating. Until 1 July 2003, the cost of valuations provided by the Office of the Valuer General were shared equally by Local Governments and the Water Corporation with a 50% State Government subsidy applying to the Local Government share. Effectively, Local Government met 25% of the cost of Government provided valuations.
The subsidy was withdrawn, with effect 1 July 2003 and a report detailing the impact of the removal on the City was considered by Council at it’s meeting of 12 August 2003. Hence, the current cost of providing Gross Rental Values (GRVs) is shared between Local Governments and the Water Corporation.
In summary, the additional cost to the City in 2003/04 was estimated at $40,000. The subsequent costs will amount to $40,000 per annum in respect of non revaluation years and $135,000 in each year of the triennial GRV General Revaluation.
The Office of the Valuer General has now advised that due to change in their method of assessment of certain properties, the Water Corporation will no longer require GRVs for properties not requiring an assessment based on GRV. Effective from 1 July 2004, the only Water Corporation charges still GRV based are residential sewerage and commercial/industrial main drainage.
Detail
Following the change in method of assessing properties by the Water Corporation, resulting in the Water Corporation not requiring GRVs for certain properties, the City will be required to meet the full cost of GRVs of effected properties.
In this regard, the Office of the Valuer General has provided the City with indicative figures based on the last triennial GRV General Revaluation in 2002. The additional cost to the City of Wanneroo for that period is estimated at $25,000 with the full impact to be felt in 2004/05 when the next triennial GRV Revaluation is due.
The impact of the change for interim values received each year is not expected to be significant as the majority of these valuations are due to new subdivisions and building activity in areas subject to residential sewerage. Accordingly, the cost of providing these GRVs will continue to be shared by Local Government with the Water Corporation.
Consultation
Nil.
Comment
The change in method of assessment by the Water Corporation will impose an additional burden on Local Government for a service provided by the Valuer General. Since the removal of the 50% subsidy to Local Government by the State Government, the additional cost to the City in 2003/04 to the end of March 2004 was $34,034. This cost will be more significant in 2004/05 because of the triennial GRV Revaluation.
As indicated above, while the change in method of assessment by the Water Corporation will not have a significant impact in the cost of interim valuations sought by Local Government, the additional cost in each year of the triennial GRV Revaluation is expected to be in excess of $25,000.
The introduction of the Emergency Services Levy from 1 July is based on existing GRVs in the Valuation Roll, which have been paid for by Local Government. The Valuer General has indicated that consideration is being given to charging Fire and Emergency Services a proportion of the cost of those values they jointly use and a decision on this is expected in the next two months.
Statutory Compliance
The Valuation of Land Act 1976 effectively provides a “monopoly” for the Valuer General, to control the valuation process for all rating authorities with the only exception being Section 25 of the Act which allows a Local Government to seek approval from the Valuer General to use some one else to conduct the values. As a consequence the Valuer General could increase the charges substantially without any recourse by Local Government to obtain a competitive alternate price for the service.
Council raised a question at the preceding Briefing Session in relation to the restriction currently contained within the Local Government Act requiring that valuations can only be provided by the State's Valuer General being restrictive and as a result uncompetitive and requested Administration seek further information.
The Competition Policy Reform (Western Australia) Act 1996 was introduced to assist in the enforcement of the National Competition Policy in Western Australia and support the Trade Practices Act. It is noted that the National Competition Policy was introduced to local governments under a policy statement and it is unclear the extent to which local and state government agencies are liable for possible anti-competitive actions under the National Competition Policy and the Competition Policy Reform (Western Australia).
As a result legal advice is currently being sought and a verbal report on this advice will be provided at the Ordinary Council Meeting.
Strategic Implications
Nil.
Policy Implications
Nil.
Financial Implications
The withdrawal of the 50% subsidy from 1 July 2003 has been estimated to cost the City and additional $40,000 in 2003/04. The impact will be more significant in 2004/05 when the City will be required to meet the full cost of the next triennial GRV General Revaluation, estimated to be $186,500. This will be in addition to an estimated cost of $80,000 for the full cost of interim valuations during 2004/05.
The impact on the cost of GRVs provided to Local Governments as a result of a change in the method of assessment of certain properties by the Water Corporation is estimated to be $25,000 in each triennial GRV General Revaluation.
Voting Requirements
Simple Majority
EndStrip - This will not be printed so do not delete
Recommendation
That Council:-
1. NOTES the impact on the cost of Gross Rental Values provided to Local Governments as a result of a change in the method of assessment of certain properties by the Water Corporation; and
2. EXPRESSES its concerns to the Minister for Local Government and Regional Development, the Minister for Land Information and the Minister for Police and Emergency Services through the Western Australian Local Government Association (WALGA) North Metropolitan Zone.
EndOfRecommendation - This line will not be printed Please do NOT delete
File Ref: PT02-04/03
File Name: AAPetition for the Installation of an Ambulance Depot in Merriwa.doc This line will not be printed dont delete
Level 4 Approval by Brigitte Creighton Date 15 April 2004
Level 3 Approval by Brigitte Creighton Date 08 April 2004
Level 2 Approval by Brigitte Creighton Date 08 April 2004
Level 1 Approval by Brigitte Creighton Date 08 April 2004
Responsible Officer: Director, Community Development
Disclosure of Interest: Nil
Author: Garry Prus
Meeting Date: 27/04/04
Attachments: Nil
StartStrip - This line will not be printed so do not delete
Issue
To consider progress in relation to petition PT02-04/03 - requesting that Council pursue the installation of an ambulance depot in Merriwa as a matter of priority.
Background
At its meeting on 29 April 2003, Council considered a 120 signature petition from residents of the Cambrai Retirement Village, requesting that Council pursue the installation of an ambulance depot in the Merriwa area as a matter of priority.
The justification for the request was cited as being the rapid growth of the region and concerns over the existing response times associated with servicing the area from the existing St John Ambulance base in Joondalup.
Detail
In response to this petition, Administration has entered into an ongoing dialogue with the St John Ambulance Australia (SJAA) management (as the key provider of ambulance services in WA) to determine its future planning objectives for the region.
Discussions have considered various options including a possible co-location of services with the Quinns Volunteer Bushfire service in new premises, and a search for likely land sites for future development.
SJAA has located a preferred site to meet its immediate requirements for a long term depot to service the region. This site is the disused service station situated at the corner of Baltimore Parade and Jenolan Way in Merriwa.
To date, SJAA has applied to the City for Planning Approval for a change of use for the Merriwa site. The site has been advertised for a period of 21 days with no objections having been received. Approval for the change of use has been granted under officer delegation on this basis. SJAA is now free to proceed to apply for building license consideration.
Consultation
Nil
Comment
Discussions with SJAA indicate its commitment to the provision of services in the region. The purchase of the above-mentioned property by SJAA, has the capacity to house a service for many years to come.
SJAA has staff ready to operate from the proposed new centre (currently allocated to Joondalup) as soon as building works for the depot are approved and completed. SJAA intends to have services on line as soon as possible. This may be as soon as the end of June, dependent on approval and building time factors.
The provision of localised ambulance services is seen by Administration as a high priority requirement for the health and wellbeing of the rapidly growing northern portion of the City.
The City will continue a regular dialogue with SJAA to ensure that long term planning for the ongoing provision of ambulance services is considered.
Statutory Compliance
Nil
Strategic Implications
The provision of localised ambulance services to the community is consistent with the following City’s Strategic objectives;
Healthy Communities:
“To foster an identity that promotes lifestyle choices and provision of quality services and infrastructure.
2.1 Achieve an understanding of our community’s needs – present and future
2.4 Support safe and secure communities
2.7 Provide community focussed services and lifestyle opportunities.”
Policy Implications
Nil
Financial Implications
Nil
Voting Requirements
Simple Majority
EndStrip - This will not be printed so do not delete
Recommendation
That Council ADVISES the petition organiser of the progress and commitment of St John Ambulance Australia to the provision of a local ambulance service for the region.
EndOfRecommendation - This line will not be printed Please do NOT delete
File Ref: S07/0089V01
File Name: BACity of Wanneroo Amphitheatre Feasibility Study.doc This line will not be printed dont delete
Level 4 Approval by Brigitte Creighton Date 15 April 2004
Level 3 Approval by Brigitte Creighton Date 08 April 2004
Level 2 Approval by Geof Whyte Date 08 April 2004
Level 1 Approval by Coordinator Leisure Services Date 07 April 2004
Responsible Officer: Director, Community Development
Disclosure of Interest: Nil
Author: Coordinator Leisure Services
Meeting Date: 27 April 2004
Attachments: Nil
StartStrip - This line will not be printed so do not delete
Issue
To consider a feasibility study into the provision of a regional Music Bowl/Amphitheatre within the City of Wanneroo.
Background
On the 13 April 2003 the Rotary Club of Wanneroo wrote to the Mayor outlining a proposal for the provision of a Music Bowl at the Wanneroo Showgrounds. The Rotary Club indicated that it had undertaken some preliminary work on the project and was seeking an opinion from Administration as to the feasibility of the project.
As a result, Administration met with representatives from the Wanneroo Rotary Club on the 25 July 2003 to discuss the project in greater detail.
Detail
At the meeting of the 25 July 2003 the proposal was discussed in detail, with Officers indicating that they could see the benefit of developing a facility of this type within the City of Wanneroo. Officers also advised that for the City to properly consider the development of a facility of this type, a detailed Feasibility Study would need to be undertaken to confirm the need for the facility, its size, design, location and to determine the overall cost implications and funding strategy. As a result of this meeting the representatives from the Wanneroo Rotary Club were asked to provide additional information on the following items:
· More specific information regarding the proposed structure itself. Dimensions, proposed construction, and any other specific details you can provide in relation to the music bowl itself.
· Any anticipated associated infrastructure that may be required in association with the primary building. (e.g. utility supplies, landscaping)
· Anticipated usage of the facility (i.e. estimate number of times facility will be utilised in a 12 month period).
· An estimate of variety of uses for the facility. This will be from the smallest production to the largest, and the different types of events that could be held there (e.g. concerts, ceremonies).
· Management options
In response to this request, the Rotary Club advised that at this stage it was seeking preliminary comment from Administration on the proposal. It did however advise that it envisaged the facility being of a solid construction and being large enough and with the appropriate acoustic design to accommodate the WA Symphony Orchestra. In addition, the Rotary Club saw the need for supporting infrastructure such as dressing rooms, backstage areas, storage, toilets, landscaping, parking etc. Apart from performers such as the WA Symphony Orchestra the Rotary Club also envisaged that the facility could be used for City of Wanneroo Summer Concerts, Community Events, Schools, Charitable Organisations and other similar events.
Comment
Officers have since advised the Rotary Club of Wanneroo that the concept of developing a Regional Music Bowl/Amphitheatre has merit and is worthy of further investigation. This is on the basis that such a facility would provide a focal point within the City for cultural and performing art events and promote the City of Wanneroo on a regional basis. However in order to progress such a project it is considered imperative that a study be undertaken to ascertain the feasibility of such a facility and to provide guidance in relation to the type of facility, its location, and to determine the overall cost implications and funding strategy. Officers also advised that Council endorsement of the study would also be required.
It is envisaged that this project would be undertaken internally, with the Technical Reference Group comprising of relevant Officers and representatives of the Wanneroo Rotary Club.
As part of the Wanneroo Showgrounds Master Plan study, which is about to commence, consideration of this venue for a music bowl/amphitheatre will be investigated.
Statutory Compliance
Nil.
Strategic Implications
The undertaking of a Feasibility Study into the development of a Regional Music Bowl/Amphitheatre supports Council’s strategic objective of Healthy Communities, in particular goal 2.6 “Provide and manage infrastructure to meet the needs of the community.”
Policy Implications
Nil.
Financial Implications
Although there is no financial commitment by the City required at this time, the project will impact on other projects requiring staff time and may lead to a re-evaluation of priorities.
Voting Requirements
Simple Majority
EndStrip - This will not be printed so do not delete
Recommendation
That Council ENDORSES the undertaking of an “In House” Feasibility Study into the provision of a Regional Music Bowl/Amphitheatre within the City of Wanneroo in order to identify site options, costs, funding opportunities and management issues.
EndOfRecommendation - This line will not be printed Please do NOT delete
File Ref: S17/0002V01
File Name: BACity of Wanneroo Community Sport and Recreation Facility Fund Applications 2003 Funding Round .doc This line will not
Level 4 Approval by Brigitte Creighton Date 15 April 2004
Level 3 Approval by Brigitte Creighton Date 08 April 2004
Level 2 Approval by Geof Whyte Date 07 April 2004
Level 1 Approval by Coordinator Leisure Services Date 05 April 2004
Responsible Officer: Director, Community Development
Disclosure of Interest: Nil
Author: Coordinator Leisure Services
Meeting Date: 27 April 2004
Attachments: Nil
StartStrip - This line will not be printed so do not delete
Issue
To consider the outcome and implications of applications submitted to the Department of Sport and Recreation’s Community Sport and Recreation Facility Fund (CSRFF) for the 2003 funding round.
Background
At the Ordinary Council Meeting of 14 October 2003 Council considered report CD07-10/03, which provided details for total of six applications for funding through the 2003 CSRFF round. Of these five were City of Wanneroo projects, including:
· Wanneroo Showgrounds Active Reserves Floodlighting,
· Kingsway Sporting Complex,
· Ridgewood Reserve Clubrooms,
· Gumblossom Reserve, and
· Anthony Waring Floodlighting.
As a result of this report being put to Council, it was resolved that Council:
“1. FORWARDS the following Community Sport and Recreation Facilities Fund applications to the Department of Sport and Recreation for the 2003 funding round with the following assessment, project rating and prioritisation:
|
Project |
Assessment |
Project Rating |
Priori-tisation |
|
Wanneroo Showgrounds Active Reserve Floodlighting |
Satisfactory |
Well planned & needed by the municipality |
1 |
|
Kingsway Sporting Complex |
Satisfactory |
Well planned & needed by the municipality |
2 |
|
Ridgewood Reserve Clubrooms |
Satisfactory |
Well planned & needed by the municipality |
3 |
|
Gumblossom Reserve |
Satisfactory |
Well planned & needed by the municipality |
4 |
|
Anthony Waring Floodlighting |
Satisfactory |
Well planned & needed by the municipality |
5 |
|
Barbagallo Raceway |
|
|
6 |
2. LISTS for consideration the following amounts in the draft City of Wanneroo Four Year Sports Facility Program:
|
Project |
Total Cost |
2004/05 |
2005/06 |
2006/07 |
|
Kingsway Sporting Complex |
$789,085 |
$324,917 |
$232,084 |
$232,084 |
|
Gumblossom Reserve |
$250,380 |
$250,380 |
|
|
|
Ridgewood Reserve Clubrooms |
$881,999 |
$551,860 |
$330,139 |
|
|
Wanneroo Showgrounds Active Reserve Floodlighting |
$145,000 |
$145,000 |
|
|
|
Anthony Waring Active Reserve Floodlighting |
$66,000 |
$66,000 |
|
|
|
Total |
$2,132,464 |
$1,338,157 |
$562,223 |
$232,084 |
3. NOTES a further report will be provided to Council in April 2004 advising Council of the outcome of the CSRFF applications for the 2003 funding round and the related funding implications in relation to City of Wanneroo Capital Budget.
4. SUPPORTS an application by Barbagallo Raceway under the State Sporting Facility Plan funding for the resurfacing of the race track.”
Detail
On the 15 March 2004, Administration received notification from the Minister for Sport and Recreation of the outcome of the five City of Wanneroo applications submitted for consideration in the 2003 CSRFF round. By way of summary the outcome of these applications were:
· Wanneroo Showgrounds Active Reserve Floodlighting
The application was successful in attracting $40,000 from CSRFF, $8,333 less than the requested amount of $48,333.
· Kingsway Sporting Complex
The City was successful in attracting the $30,944 requested for the development of soccer pitch 3 however was unsuccessful in attracting any funding for the Recreational Path Network.
· Ridgewood Reserve Clubrooms
The City was successful in attracting the sum of $175,000 for Stage 1 of the clubroom development, which consists of changerooms, a meeting room, kitchen and storage areas. The application was not successful in attracting funding for Stage 2 of the project, which included a social area, furniture store and associated fittings.
· Gumblossom Reserve
The City was successful in attracting the requested amount of $ 83,459 to undertake various works related to the upgrade of the existing active reserve.
· Anthony Waring Floodlighting
The City was not successful in attracting the requested funding for the upgrade of existing flooldighting on the Active Reserve for large ball sports.
The table below outlines the specific detail of each application including the intended year of claim, the total cost of the project, municipal funding and requested grant funding, as per each CSRFF application. The table also indicates the actual funding granted by CSRFF and the resulting impact on the municipal contribution for each project.
|
Application |
Year of Claim |
Total Cost |
Municipal |
Funding Requested |
Funding Received |
Amended Municipal |
|
Wanneroo Showgrounds Floodlighting |
2004/2005 |
$145,000 |
$96,667 |
$48,333 |
$40,000 |
$105,000 |
|
Kingsway Sporting Complex |
|
|
|
|
|
|
|
Soccer Pitch |
2004/2005 |
$101,000 |
$70,056 |
$30,944 |
$30,944 |
$70,056 |
|
Recreational Path Network |
2004/05 to 2006/07 |
$696,252 |
$464,168 |
$232,084 |
$0 |
$696,252 |
|
Ridgewood Reserve Clubrooms |
|
|
|
|
|
|
|
Stage 1 |
20045/05 |
$551,860 |
$404,961 |
$146,899 |
$175,000 |
$404,961 |
|
Stage 2 |
2005/06 |
$330,139 |
$128,600 |
$110,045 |
$0 |
$330,139 |
|
Gumblossom Reserve |
2004/05 |
$250,380 |
$166,921 |
$83,459 |
$83,459 |
$166,921 |
|
Anthony Waring Floodlighting |
2004/05 |
$66,000 |
$44,000 |
$22,000 |
$0 |
$66,000 |
It must be noted that the total cost of the Soccer pitch 3 Project at the Kingsway Sporting Complex has been increased from $92,333 to $101,000 to accommodate additional contingencies. As a result, the municipal contribution has risen from $61,888 to $70,056.
Comment
As a result of successfully attracting either all or a majority of the requested CSRFF grant for the 2003 round, it is reasonable to suggest that the Wanneroo Showgrounds Active Reserve Floodlighting, Kingsway Sporting Complex Soccer Pitch and Gumblossom Reserve Upgrade projects could proceed.
Kingsway Sporting Complex Recreational Path Network
With respect to the Kingsway Sporting Complex Recreational Path Network, Administration submitted this application on the advice of the Department of Sport and Recreation, who are currently considering the extension of the CSRFF program to fund the development of projects of this kind, where they occur within the context of an existing reserve. The Department has advised that the City’s application was not successful due to the Department needing to develop appropriate criteria to asses projects of this type and to delineate between Recreational Path Developments within this context and normal dual use path development. On this basis Administration has been encouraged to re-submit this project in future CSRFF rounds. As a result of the application failing to secure CSRFF grant, the Recreational Path Network project will not be considered in the draft 2004/2005 Capital Works Budget but listed for consideration within future budgets, within the context of the overall Kingsway Sporting Complex Master Plan.
Ridgewood Reserve Clubrooms
In relation to the Ridgewood Reserve Clubrooms development, the City was successful in securing grant funding of $175,000 for Stage 1 of the project, to be claimed in 2004/2005. The amount received from CSRFF is in excess of the requested Stage 1 grant of $146,889.
As a result it is intended that Stage 1 of the project will be listed in the draft 2004/2005 Capital Works Budget with one third of the Stage 1 costs being claimed from the CSRFF grant received. Given that the amount claimed for Stage 1 of the project will be less that the grant received, the balance of the CSRFF grant will be returned to the Department of Sport and Recreation.
Anthony Waring Floodlighting
The Anthony Waring Floodlighting application was not successful in securing any CSRFF grant. As a result this project will be considered in future Capital Works Budgets as a part of the City’s Floodlighting Replacement Programme and will be submitted for CSRFF consideration in due course.
Barbagallo Raceway
The application from the WA Sporting Car Club for the resurfacing of the Barbagallo Raceway track was funded through a combination of funding from the State Sporting Facilities Plan and CSRFF. There are no financial implications for the City in regards to this application.
Statutory Compliance
Nil.
Strategic Implications
Council support of these projects through the CSRFF programme is aligned to Council’s strategic objective of Healthy Communities, in particular goal 2.6 “Provide and manage infrastructure to meet the needs of the community.”
Policy Implications
Nil.
Financial Implications
The table below identifies the financial implications to the City of Wanneroo’s draft Capital Works Budget for the 2004/2005 Financial Year. The total cost of each project is listed, as the CSRFF programme is funded on a recoup basis, where a majority of the project is required to be completed before CSRFF funds can be accessed. As a result, it is necessary to budget for the full project costs within the Capital budget.
|
Application |
Total Cost |
Existing Municipal |
Amended Municipal |
|
Wanneroo Showgrounds Floodlighting |
$145,000 |
$96,667 |
$105,000 |
|
Kingsway Sporting Complex |
|
|
|
|
Soccer Pitch |
$101,000 |
$70,056 |
$70,056 |
|
Recreational Path Network |
$696,252 |
$464,168 |
$0 |
|
Ridgewood Reserve Clubrooms |
|
|
|
|
Stage 1 |
$551,860 |
$404,961 |
$404,961 |
|
Stage 2 |
$330,139 |
$128,600 |
$0 |
|
Gumblossom Reserve |
$250,380 |
$166,921 |
$166,921 |
|
Anthony Waring Floodlighting |
$66,000 |
$44,000 |
$0 |
Voting Requirements
Simple Majority
EndStrip - This will not be printed so do not delete
Recommendation
That Council:-
1. NOTES the outcome of the City of Wanneroo’s applications to the Department of Sport and Recreation for funding through the Community Sport and Recreation Facility Fund.
2. LISTS for consideration the following amounts in the draft 2004/2005 Capital Works Budget.
|
Project |
Total Cost |
CSRFF Funding |
Municipal Funding |
2004/05Capital Works Budget |
|
Kingsway Sporting Complex |
$101,000 |
$30,944 |
$70,056 |
$101,000 |
|
Gumblossom Reserve |
$250,380 |
$83,459 |
$166,921 |
$250,380 |
|
Ridgewood Reserve Clubrooms |
|
|
|
|
|
Stage 1 |
$551,860 |
$175,000 |
$404,961 |
$551,860 |
|
Wanneroo Showgrounds Active Reserve Floodlighting (including general lighting) |
$145,000 |
$40,000 |
$105,000 |
$145,000 |
|
Total |
$1,048,240 |
$329,403 |
$746,403 |
$1,048,240 |
EndOfRecommendation - This line will not be printed Please do NOT delete
Strategic & Executive Services
File Ref: S07/0057V01
File Name: BADonations Sponsorships and Waivers of Fees and Charges Approved Under Delegated Authority April 2004.doc This line
Level 3 Approval by Y. Heath Date 15 April 2004
Level 2 Approval by Y. Heath Date 15 April 2004
Level 1 Approval by Rhonda Phillips Date 13 April 2004will not be printed dont delete
Responsible Officer: Chief Executive Officer
Disclosure of Interest: Nil
Author: Rhonda Phillips
Meeting Date: 27/4/2004
Attachments: Nil
StartStrip - This line will not be printed so do not delete
Issue
To note donations, sponsorships and waiver of fees and charges applications considered and determined by the Chief Executive Officer during April 2004, in accordance with the provisions of the Donations, Sponsorships and Waivers of Fees and Charges Policy.
Background
Council endorsed the reviewed Donations, Sponsorships and Waiver of Fees and Charges Policy at their ordinary meeting held on 16 March 2004.
This policy delegates the consideration and determination of requests for donations, sponsorships and the waiver of fees and charges under the value of $500.00 to the Chief Executive Officer.
Detail
During April the City received the following requests to be considered under the delegated authority of the CEO:
· Two (2) applications for donations,
· Three (3) applications for sponsorship, and
· One (1) application for the waiver of fees and charges.
Comment
After assessment in accordance with the provisions and criteria nominated in the Donations, Sponsorships and Waiver of Fees and Charges Policy, determinations were made as listed in the recommendation to this report.
A complete list of original applications and assessments of each against the policy is available in the Councillors Reading Room for further information.
Statutory Compliance
Nil
Strategic Implications
Nil
Policy Implications
This report complies with the provisions and delegations of the Donations, Sponsorships and Waiver of Fees and Charges Policy.
Financial Implications
The financial implications of this round of requests has resulted in expenditure in the Donations – Elected Members Account (51 05 05 052 4402 001) of:
· $516.71 from the 2003/2004 budget.
A remaining balance of $22,475.47 is available for the 2003/2004 financial year.
Voting Requirements
Simple Majority
EndStrip - This will not be printed so do not delete
Recommendation
That Council NOTES the delegated determination of requests received by the City in April 2004 for donations, sponsorships and waivers of fees and charges, which are as follows:
|
Individual/Organisation |
Event/Activity |
Action |
Reason |
|
1. Charlene Goder |
Request for sponsorship to support Charlene’s participation in a school trip to India to share in the work of Mother Teresa whilst experiencing a different culture. |
NOT APPROVE a sponsorship request to support Charlene Goder’s school trip to India in December 2004. |
This request is to support participation in an event not included in the policy (Item 2) therefore cannot be recommended for approval. |
|
2. Nicole Palmer |
Request to support Nicole’s participation in the Little Athletics Australian Track and Field Championships to be held in Sydney in April 2004. |
APPROVE sponsorship of $200.00 to Nicole Palmer to support her participation in the Little Athletics Australian Track and Field Championships to be held in Sydney in April 2004 |
This request fully satisfies the criteria of the policy. |
|
|
3. Tiffany Duffield |
Request to support Tiffany’s participation in the National Indoor Netball Championships to be held in Adelaide in May 2004. |
APPROVE sponsorship of $200.00 to Tiffany Duffield to support her participation in the National Indoor Netball Championships to be held in Adelaide in May 2004. |
This request fully satisfies the criteria of the policy. |
|
|
4. Ocean Reef Primary School |
Request a family pass to Aquamotion to assist the school in the promotion of a healthy life style for families at the school. |
NOT APPROVE a request from the Ocean Reef Primary School for a family pass to Aquamotion. |
Although this request is small and supports Councils strategic direction, benefit to residents of the City of Wanneroo is minimal due to the location of the school, therefore this request cannot be recommended for approval. |
|
|
4. Carers WA |
Request for a waiver of fees for the hire of the Jenolan Way Community Centre for Tuesday 30th March 2004 to run an information session for carers within the area. |
APPROVE a donation to Carers WA for $16.71 for the waiver of fees for the hire of the Jenolan Way Community Centre for an information session held on 30 March 2004. |
This request fully satisfies the criteria of the policy. |
|
|
5. Senior’s Golf |
Request to support the Senior’s Golf Competition to be held on Wednesday 27th October 2004 (Seniors Week) at the Marangaroo Golf Course. |
APPROVE a donation of $100.00 for the Senior’s Golf Competition to be held at the Marangaroo Golf Course on 27th October 2004. |
This request fully satisfies the criteria of the policy. |
|
EndOfRecommendation - This line will not be printed Please do NOT delete
File Ref: S/0078V03
File Name: BARequests for Donations Sponsorships and Waivers of Fees Charges April 2004.doc This line will not be printed dont delete
Level 4 Approval by Rhonda Phillips Date 21 April 2004
Level 3 Approval by Y. Heath Date 15 April 2004
Level 2 Approval by Rhonda Phillips Date 15 April 2004
Level 1 Approval by Rhonda Phillips Date 14 April 2004
Responsible Officer: Chief Executive Officer
Disclosure of Interest: Nil
Author: Rhonda Phillips
Meeting Date: 27 April 2004
Attachments: 1
StartStrip - This line will not be printed so do not delete
Issue
To consider requests for donations, sponsorship and waivers of fees and charges for April 2004, in accordance with the City’s Donations, Sponsorships and Waiver of Fees and Charges Policy.
Background
Council endorsed the reviewed Donations, Sponsorships and Waiver of Fees and Charges Policy at its ordinary meeting held on 16 March 2004.
This policy requires applications for over $500.00 from individuals and organisations to be determined by Council. The policy also requires any requests which do not meet the policy but that Administration has assessed as warranting further consideration, be determined by Council. Consequently, a report is prepared for Council meetings, coinciding with a period where applications of this nature have been received.
Detail
During this period the City has received four (4) requests for donations, sponsorships and waiver of fees and charges to be considered by Council. Of these, one request does not fully meet the criteria of the policy but is deemed by Administration as warranting further consideration. Three requests are for more than $500.00. These requests are summarised on the following pages. The applications and supporting information are included as an attachment to this report.
Comment
|
Applicant 1 – Australian Red Cross – Metro North Regions |
|
|
Request Amount: |
$427.50 |
|
Description of Request: |
Request a waiver of fees for the hire of the Wanneroo Community Hall for a fundraising event to be held on Sunday 27th June 2004 |
|
Criteria |
Evaluation |
|
Potential for income generation |
This is a fundraising event |
|
Status of the applicant organisation |
Not for profit |
|
Exclusivity of the event or project |
This event will be open to the community to attend for up to 600 people |
|
Alignment with Council’s existing philosophies, values and strategic direction |
This request supports the Healthy Communities initiative of the City’s Strategic Plan |
|
Potential benefits to the Wanneroo community |
· This event involves a Vaudeville style show and then an old time dance and will be a celebration of the history of the community hall. The Red Cross will be encouraging people to come along to the event if they have had their wedding, debutante ball, 21st or other significant event at the hall to have one last big event there before it is demolished. · The funds raised from this event will be used within the Wanneroo community for the many services that the Red Cross provides. |
|
Alternative funding sources available or accessed by the organisation |
Entry to the event is $10.00 for each part (afternoon and evening) and no other support has been accessed at this time.
|
|
Contribution to the event or activity made by the applicant organisation |
· The tickets have been printed at the Red Cross headquarters in Perth, · Organising and running the event |
|
Previous funding assistance provided to the organisation by the City |
$1,000.00 Community Funding March 2003 |
|
Commitment to acknowledgement of the City of Wanneroo |
The Mayor will be asked to attend and open the event and verbal acknowledgement of the City’s support will be made. |
|
Comment |
Although this request does not meet all of the criteria of the policy due to charging an entry fee to the event, it is recognised that the Red Cross provide a valuable service to the community and has done so since 1981. It is also recognised that the organisation is not aiming to make a profit from the event but rather, to raise money to be able to provide services to the community. Therefore, this request is recommended for approval. |
|
Recommendation |
APPROVE a donation of $427.50 to the Australian Red Cross Metro North Regions for a waiver of fees for the hire of the Wanneroo Community Hall on Sunday 27th June 2004 for a fundraising event. |
|
Reason |
Although this request does not fully meet the criteria of the policy due to charging an entry fee to the event, it is recommended that this request be supported, as this is a fundraising event so that the Red Cross can continue to provide a valuable service to the community. |
|
Applicant 2 – Women’s Golf WA |
|||
|
Request Amount: |
$1,100.00 |
||
|
Description of Request: |
Request for a donation towards the Women’s Golf WA State Foursomes Event to be held at the Wanneroo Golf Club on the 10th May 2004. |
||
|
Criteria |
Evaluation |
||
|
Potential for income generation |
Nil |
||
|
Status of the applicant organisation |
Not for profit |
||
|
Exclusivity of the event or project |
This event is open to members of Women’s Golf WA |
||
|
Alignment with Council’s existing philosophies, values and strategic direction |
This request support the Healthy Communities initiative in the City’s Strategic Plan (Item 2.7) |
||
|
Potential benefits to the Wanneroo community |
This request will have minimal benefit to the residents of the Wanneroo community |
||
|
Alternative funding sources available or accessed by the organisation |
Other organisations will be approached for sponsorship support for this event
|
||
|
Contribution to the event or activity made by the applicant organisation |
· $1,500 will be monetarily contributed by the organisation, · $1,500 will be contributed in kind. |
||
|
Previous funding assistance provided to the organisation by the City |
Nil |
||
|
Commitment to acknowledgement of the City of Wanneroo |
· Acknowledgment will be made in the Women’s Golf WA newsletter, · Support of Women’s Golf WA clinics and other events to be held at the Marangaroo and Carramar Gold Clubs will occur, · Logo and acknowledgement on the Women’s Golf WA website, · A representative of the City will be asked to present prizes, and · A link to the City’s website could be placed on the Women’s Golf WA website. |
||
|
Comment |
This request does not meet the criteria of the policy, as it is an exclusive event with no benefit to the residents of the City of Wanneroo. Therefore, it cannot be recommended for approval. |
|
||
|
Recommendation |
NOT APPROVE a donation to Women’s Golf WA towards the State Foursomes Event to be held at the Wanneroo Golf Club on 10 May 2004. |
|
||
|
Reason |
This request is for support of an exclusive event, which provides minimal benefit to the residents of the City of Wanneroo. |
|
||
|
Applicant 3 – Jaguars Softball for Disabilities |
|
|
Request Amount: |
Not specified |
|
Description of Request: |
Request to support the participation of seven local softball players in the Special Olympics Victorian Invitational State Games held in April 2004. |
|
Criteria |
Evaluation |
|
Potential for income generation |
Nil |
|
Status of the applicant organisation |
Not for profit sporting association |
|
Exclusivity of the event or project |
This event |
|
Alignment with Council’s existing philosophies, values and strategic direction |
This request supports the Healthy Communities initiative in the City’s Strategic Plan (Item 2.5) |
|
Potential benefits to the Wanneroo community |
This request will assist seven (7) local disabled residents to represent Western Australia, encouraging them and others to participate in recreational opportunities available to them. |
|
Alternative funding sources available or accessed by the organisation |
All athletes have been fundraising towards the costs of the trip ($1,000 per person)
|
|
Contribution to the event or activity made by the applicant organisation |
The families of the athletes will be required to pay the remainder of the costs involved |
|
Previous funding assistance provided to the organisation by the City |
$6,100.00 Community Funding November 2001
|
|
Commitment to acknowledgement of the City of Wanneroo |
Not specified |
|
Comment |
The policy states that allocations for groups applying on behalf of individuals will be assessed against the same criteria as individual applicants. Individual applicants need to be 18 or under and the team members that this application is to support are all over the age of 18. This request cannot be recommended for approval. |
|
Recommendation |
NOT APPROVE a donation to the Jaguars Softball for Disabilities for support of their participation in the Special Olympics Victorian Invitational State Games held in April 2004. |
|
Reason |
The policy states that allocations for groups applying on behalf of individuals will be assessed against the same criteria as individual applicants. Individual applicants need to be 18 or under and the team members that this application is to support are all over the age of 18 |
|
Applicant 4 – Ballajura Community College (on behalf of six individuals) |
|
|
Resides in City of Wanneroo: 18 years of age or under: |
Yes – Alexander Heights Yes – 17 and 16 |
|
Description of Request: |
Request for sponsorship to support Christine Smyth, Josh Green, Yann Troubat, Amanda and Crystal Nullmeyers and Bernadine Grigson participation in the Cultural Heritage Tour in June 2004 travelling Sydney and Canberra. |
|
Letter from State Association confirming team selection |
Letter from Ballajura Community College Cultural Heritage Tour Fundraising Committee requesting support and confirming participation in tour. |
|
Commitment to providing a written report regarding the event |
Not specified |
|
Commitment to acknowledgement of the City of Wanneroo |
Not specified |
|
Eligibility level |
$200.00 each – representing the state in an exhibition event |
|
Comment |
The policy states that allocations for groups applying on behalf of individuals will be assessed against the same criteria as individual applications. The policy provides the opportunity for Council to provide sponsorship to young people who have been selected to represent the state in a festival, competition or exhibition. This event does not fit within this category, as it is a school based excursion and therefore cannot be recommended for approval. |
|
Recommendation |
NOT APPROVE a donation to the Ballajura Community College to assist in the costs of participation for Christine Smyth, Josh Green, Yann Troubat, Amanda and Crystal Nullmeyers and Bernadine Grigson in the Cultural Heritage Tour in June 2004.
|
|
Reason |
The policy provides the opportunity for Council to provide sponsorship to young people who have been selected to represent the state in a festival, competition or exhibition. This event does not fit within this category, as it is a school based excursion only. |
Statutory Compliance
Nil
Strategic Implications
The provision of donations, sponsorships and waivers are aligned with the City’s strategic goals of developing and supporting Healthy Communities, as follows:
“2 Healthy Communities
Foster an identity that promotes lifestyle choices and the provision of quality services and infrastructure.
Goal 2.5: Foster a community that finds strength in its diversity
Goal 2.6: Provide community focused services and lifestyle opportunities.”
Policy Implications
This report complies with the provisions and delegations of the Donations, Sponsorships and Waiver of Fees and Charges Policy.
Financial Implications
|
Budget 2003/2004 Elected Members Donations |
|
$39,870.00 |
|
Amount expended to date: Under delegated authority: By Council determination: |
$11,959.28 $5,435.25 |
$17,394.53 |
|
Available funds as at 14 April 2004 |
|
$15,835.47 |
|
Impact of approval of recommended applications
Sponsorship: Donations: Waivers of Fees and Charges: |
|
$0.00 $0.00 $427.50 |
|
TOTAL |
|
$427.50 |
|
Remaining Funds for 2003/2004 Financial Year |
|
$22,047.97 |
Voting Requirements
Simple Majority
EndStrip - This will not be printed so do not delete
Recommendation
That Council:-
1. APPROVE a donation of $427.50 to the Australian Red Cross Metro North Regions for a waiver of fees for the hire of the Wanneroo Community Hall on Sunday 27th June 2004 for a fundraising event.
2. NOT APPROVE a donation to Women’s Golf WA towards the State Foursomes Event to be held at the Wanneroo Golf Club on 10 May 2004.
3. NOT APPROVE a donation to the Jaguars Softball for Disabilities for support of their participation in the Special Olympics Victorian Invitational State Games held in April 2004.
4. NOT APPROVE a donation to the Ballajura Community College to assist in the costs of participation for Christine Smyth, Josh Green, Yann Troubat, Amanda and Crystal Nullmeyers and Bernadine Grigson in the Cultural Heritage Tour in June 2004.
EndOfRecommendation - This line will not be printed Please do NOT delete
ATTACHMENT 1 Page 1 of 11
StartOfAttachment - Do not delete this line will not be printed
ATTACHMENT 1 Page 2 of 11 ATTACHMENT 1 Page 3 of 11 ATTACHMENT 1 Page 4 of 11 ATTACHMENT 1 Page 5 of 11 ATTACHMENT 1 Page 6 of 11 ATTACHMENT 1 Page 7 of 11 ATTACHMENT 1 Page 8 of 11 ATTACHMENT 1 Page 9 of 11 ATTACHMENT 1 Page 10 of 11


ATTACHMENT 1 Page 11 of 11
EndOfAttachment - Do not delete this line will not be printed
File Ref: S09/0144V01
Responsible Officer: Chief Executive Officer
Disclosure of Interest: Nil
Author: Nyssa Astle
Meeting Date: 27 April 2004
File Name: AAQuarterly Performance Report March 2004.doc This line will not be printed dont delete
Level 4 Approval by Y. Heath Date 15 April 2004
Level 3 Approval by Y. Heath Date 08 April 2004
Level 2 Approval by Y. Heath Date 08 April 2004
Level 1 Approval by Y. Heath Date 08 April 2004
Attachments: 1
StartStrip - This line will not be printed so do not delete
Issue
To consider the March 2004 Quarterly Report on the implementation of the City of Wanneroo Strategic Plan 2002-2005.
Background
At the Council meeting held on 21 May 2002, the Strategic Plan for the City of Wanneroo 2002-2005 “Our People, Our Future 2002-2005” was adopted. The Plan was the result of a very extensive community consultation and engagement process. With the information gathered from this process Elected Members and staff worked together to develop the draft Strategic Plan. The draft Plan was available for public comment from 18 December 2001 to 19 March 2002.
Detail
In order to ensure that the Strategic Plan sets the direction for Council, Elected Members and Administration developed a series of Directorate Business Plans and Annual Business Unit Plans, for the five directorates of Council being:
· Office of the CEO
· Corporate Services
· Community Development
· Planning and Development
· Technical Services
These Business Plans and Annual Plans detail how Council will achieve the goals and strategies in the Strategic Plan and how as an organisation we will measure our performance against the Strategic Plan.
Attachment 1 is the seventh quarterly report on the implementation of the Strategic Plan. It allows both the Council and the community to track the implementation progress of all strategic projects over the next 12 months.
The quarterly report is arranged around the four main goals of the Strategic Plan being:
1. Environmental Sustainability
2. Healthy Communities
3. Economic Development
4. Corporate Management and Development
Additional information is provided on the strategic achievements of the Plan to date, major policy statements, corporate scorecard and capital works program.
Comment
The City of Wanneroo is well positioned to meet the needs of one of the fastest growing communities in Australia. Council and community have worked together in the development of the plan and will continue to work together in review and evaluation of the plan.
The City of Wanneroo is one of the leaders in local government in developing systems to ensure that the actions required in the strategic plan are delivered. These include performance agreements with management linked to strategic project completion, Certified Workplace Agreements for the City’s staff that are linked to key performance measures in the Strategic Plan and Business Unit Plans cascading the action objectives of the strategic plan into the Annual Unit Plans for the City’s business units.
Statutory Compliance
Whilst the Local Government Act 1995 does not require Councils to complete a Strategic Plan, it does require Councils to plan for large financial expenditures through the development of a Principal Activity Plan.
The current review of the Local Government Act proposes to delete the requirements to prepare a Principal Activity Plan and replace it with the development of a Strategic Plan. The city is well placed to meet these requirements.
Strategic Implications
The Strategic Plan is the compass for the organisation containing strategic implications of future Council decisions.
Policy Implications
The Strategic Plan and Quarterly Reports will become the reference point for all policy formulation and review. Several actions within the Strategic Plan relate to the formation of several key policies and statements.
Financial Implications
The Strategic Plan is the guiding document for future expenditure for the City.
Voting Requirements
Simple Majority
EndStrip - This will not be printed so do not delete
Recommendation
That Council ADOPT the March Quarter 2004 Report on the implementation of the City of Wanneroo Strategic Plan 2002-2005 - “Our People, Our Future” as detailed in Attachment 1.
EndOfRecommendation - This line will not be printed Please do NOT delete
ATTACHMENT 1
MARCH QUARTERLY REPORT
To access the attachment, please select the link (click here)
File Ref: S14/0001V01
File Name: AAFixing of Bushfire Ready Stickers to City of Wanneroo Rubbish Bins.doc This line will not be printed dont delete
Responsible Officer: Cr Blencowe
Disclosure of Interest: Nil
Author: Cr Blencowe
Meeting Date: 20 April 2004
Attachments: 1
StartStrip - This line will not be printed so do not delete
Issue
That members of the Wanneroo Bush Fire Brigades be authorised to affix FESA “Bushfire Ready” stickers to City of Wanneroo rubbish bins at strategic locations yet to be decided.
Background
Deputy Chief Bush Fire Control Officer, Jeff Smith has approached the Bushfire Advisory Committee for permission to fix the stickers on bins at strategic locations within the City of Wanneroo which are considered to be “Bush Fire Prone”. I have offered to approach Council directly.
Detail
The stickers (see Attachment 1) are to be provided for free by FESA and members of the brigade will approach residents at suitable locations for permission to fix the stickers. The purpose is to promote fire safety awareness within the City’s bushland suburbs. The only house lost in the Carramar fire was lost due to an air conditioner catching fire but there are many home owners who do very little to protect themselves. I have seen leaf litter piled 600mm deep alongside sheds and LPG cylinders lying in long grass. Gutters are not cleaned and branches overhang firebreaks.
The stickers are 300mm square and easily readable when passing at a moderate speed.
Comment
The stickers will be provided for free. The Brigade members will provide their services for free. There is no cost to Council or the ratepayers.
Statutory Compliance
Nil
Strategic Implications
Nil
Policy Implications
Nil
Financial Implications
Nil
Voting Requirements
Simple Majority
EndStrip - This will not be printed so do not delete
Recommendation
That Council AUTHORISE members of the Wanneroo Bush Fire Brigade to affix FESA “Bushfire Ready” stickers to City of Wanneroo rubbish bins at strategic locations yet to be decided.
Comment by Administration
The stickers are of a professional standard and appropriately sized to be placed on the side of a 240l rubbish cart. The only issue with the placement of the stickers on the carts is the long term potential for the stickers to become faded/damaged and to look untidy. As the stickers will be placed with the cooperation of the residents any problem stickers should be attended to by the resident.
ATTACHMENT 1

EndOfRecommendation - This line will not be printed Please do NOT delete
Nil
Nil
