7.00pm, 31 October, 2006
Civic Centre,
Dundebar Road, Wanneroo
Public Question & Statement Time
Council allows a minimum of 15 minutes for public questions and statements at each Council meeting. If there are not sufficient questions to fill the allocated time, the person presiding will move on to the next item. If there are more questions than can be dealt with in the 15 minutes allotted, the person presiding will determine whether to extend question time.
Protocols
During the meeting, no member of the public may interrupt the meeting’s proceedings or enter into conversation. Each person seeking to ask questions during public question time may address the council for a maximum of 3 minutes each.
Members of the public wishing to submit written questions are requested to lodge them with the Chief Executive Officer at least 30 hours prior to the start of the meeting.
The person presiding will control public question time and ensure that each person wishing to ask a question is given a fair and equal opportunity to do so. A person wishing to ask a question should state his or her name and address before asking the question. If the question relates to an item on the agenda, the item number should also be stated.
The following general rules apply to question and statement time:
· Questions should only relate to the business of the council and should not be a statement or personal opinion.
· Only questions relating to matters affecting Council will be considered at an ordinary meeting, and at a special meeting only questions that relate to the purpose of the meeting will be considered. Questions may be taken on notice and responded to after the meeting.
· Questions may not be directed at specific members of council or employees.
· Questions & statements are not to be framed in such a way as to reflect adversely on a particular Elected Member or Officer.
· The second priority will be given to public statements. Only statements regarding items on the agenda under consideration will be heard.
Deputations
The Mayor and Councillors will conduct an informal session on the same day as the meeting of the Council at the Civic Centre, Wanneroo, commencing at 6.00pm where members of the public may, by appointment, present deputations. If you wish to present a deputation please submit your request for a deputation in writing addressed to the Chief Executive Officer or fax through to Executive Services on 9405 5097.
· A time period of 10 minutes is set aside for each deputation.
· Deputations shall not exceed five (5) persons in number and only three (3) of those persons shall be at liberty to address the Council and to respond to questions the Mayor and Councillors may have.
Please ensure that mobile phones are switched off before entering the Council Chamber. Any queries on this agenda, please contact Executive Services on 9405 5027 or 9405 5018.
Recording of Council Meetings Policy
Objective
· To ensure that there is a process in place to outline access to the recorded proceedings of Council.
· To emphasise that the reason for tape recording of Council Meetings is to ensure the accuracy of Council Meetings.
Statement
Recording of Proceedings
(1) Proceedings for meetings of the Council, of electors and of the Audit Committee shall be recorded, by the City, on sound recording equipment except, in the case of meetings of the Council or the Audit Committee, where the Council or the Committee, as the case may be, closes the meeting to the public.
(2) Notwithstanding sub clause (1), proceedings of a meeting of the Council or of the Audit Committee which is closed to the public shall be recorded where the Council or the Audit Committee, as the case requires, resolves to do so.
(3) No member of the public is to use any electronic, visual or vocal recording device or instrument to record the proceedings of the Council or a committee without the written permission of the Council.
Access to Recorded Tapes
(4) Members of the public may purchase a copy of the taped proceedings or alternatively listen to recorded proceedings with the supervision of a City Officer.
(5) Elected Members may listen to a recording of the Council proceedings upon request, free of charge. However, no transcript will be produced without the approval of the Chief Executive Officer.
(6) Costs of providing taped proceedings to members of the public will be the cost of the tape plus staff time to make the copy of the proceedings. The cost of supervised listening to recordings will be the cost of the staff time. The cost of staff time will be set in the City’s schedule of fees and charges each year.
Retention of Tapes
(7) Recordings pertaining to the proceedings of Council Meetings shall be retained in accordance with the Library Board of Western Australia Act (1951-83), General Disposal Authority for Local Government Records. The current requirement for the retention of recorded proceedings is thirty (30) years.
Disclosure of Policy
(8) This policy shall be printed within the agenda of all Council, Special Council, Electors and Special Electors and the Audit Committee meetings to advise the public that the proceedings of the meeting are recorded.

Notice is given that the next Ordinary Council Meeting will be held at the Civic Centre,
Dundebar Road, Wanneroo on Tuesday 31 October, 2006 commencing at 7.00pm.
C JOHNSON
Chief Executive Officer
26 October 2006
CONTENTS
Item 2 Apologies and Leave of Absence
Item 4 Confirmation of Minutes
OC02-10/06 Minutes of Ordinary Council Meeting held on 10 October 2006
Item 5 Announcements by the Mayor without Discussion
Item 6 Questions from Elected Members
Town Planning Schemes and Structure Plans
PD09-10/06 Close of Advertising - Amendment No 63 to District Planning Scheme No 2
PD10-10/06 Development Applications Determined by Delegated Authority for September 2006
PD11-10/06 Subdivison Applications determined under Delegated Authority during September 2006
PD12-10/06 Community Representative Nomination to Wanneroo Tourism Committee
PD13-10/06 Requested Closure of Portion of Road Reserve 1878, Wangara
IN09-10/06 Tender No 06063 - The Provision of Weed Control Services for a Period of One Year.
IN11-10/06 City of Wanneroo Roadwise Advisory Committee
IN12-10/06 Amendment to Supplementary Auslink Roads to Recovery Program
IN13-10/06 Friends of Yellagonga Proposed ‘Green Frogs’ Stencilling Project
CS06-10/06 Financial Activity Statements for the Periods ended 31 July 2006 and 31 August 2006
CS07-10/06 Proposed Sale of Lot 155 Wanneroo Road, Wanneroo
CD07-10/06 Signing of Funding Agreement for City of Wanneroo Family Day Care Scheme
CD08-10/06 Usage of Public Open Space for a Drainage Swale in Ferrara Reserve.
CD09-10/06 Butler Community Centre
CD10-10/06 Shared Use Facilities with the Department of Education and Training Policy
CD11-10/06 Future Management Options for the Kingsway International Sports Stadium
CD12-10/06 Grant Income for Three Emergency Management Projects
GS03-10/06 Approval of Council Meeting dates for 2007
GS04-10/06 Wanneroo Town Centre Revitalisation Project Update
CE02-10/06 Christmas Closure - City of Wanneroo
CE03-10/06 Appointment of Acting Director Corporate Services
CE04-10/06 Donation Requests considered under the Delegated Authority of the Chief Executive Officer
MN02-10/06 Mayor Kelly – Telstra Call Charges
MN03-10/06 Cr Brett Treby – Young Leaders Conference
MN04-10/06 Cr Laura Gray - Yanchep Two Rocks Recreation Association Community Funding Application
CR01-10/06 Claim for Compensation for Land taken for Extension of Mirrabooka Avenue, Darch-Landsdale
AGENDA
That the minutes of the Ordinary Council Meeting held on 10 October 2006 be confirmed.
Cr Cvitan presented a petition with 19 signatories from Jandabup-Mariginiup Land Action Group who wish their land to be rezoned “deferred urban” rather than “rural” as proposed by the Draft East Wanneroo Land Use and Water Management Strategy.
UPDATE
At the 10 October Council meeting Councillor Cvitan presented a letter from Mr. Frichot, which included a petition with 19 signatories. The letter set out the reasons why some of the Mariginiup and Jandabup residents consider the Draft East Wanneroo Land Use and Water Management Plan (EWLUWMS) should re-zone the land around the Mariginiup Jandabup area from ‘rural living’ to ‘urban deferred’. The City considered this issue in a report setting out its response to the Draft EWLUWMS at 21 February 2006 Council meeting. A letter has been sent to Mr. Frichot incorporating the relevant sections from the 21 February Committee report and minutes. A copy of Mr. Frichot’s letter and petition has also been sent to the Western Australian Planning Commission.
Cr Hughes to declare an indirect interest in Item CD08-10/06 due to conducting contract work with the New North Project.
Cr Loftus to declare a financial interest in Item MN04-10/06 due to Sun City News sponsoring the Blessing of the Fleet, for which he is the Director of Sun City News.
Town Planning Schemes and Structure Plans
File Ref: TPS/0063
File Name: BA Close of Advertising Amendemnt No 63 to District Planning Scheme No 2.doc This line will not be printed Please do NOT delete
Responsible Officer: Director, Planning and Development
Disclosure of Interest: Nil
Author: Mark Dickson
Meeting Date: 31 October 2006
Attachment(s): 1
StartStrip - This line will not be printed Please do NOT delete
Issue
To consider the public submissions received on advertising of Amendment No 63 to District Planning Scheme No 2 (DPS2).
|
Applicant |
City of Wanneroo |
|
Owner |
Crown - vested City of Wanneroo |
|
Location |
Portion Reserve 45553 Hidden Valley Retreat, Clarkson |
|
Site Area |
2.502 Hectares |
|
Existing DPS 2 Zoning |
|
|
Proposed DPS 2 Zoning |
Local Scheme Reserve – Public Use |
Background
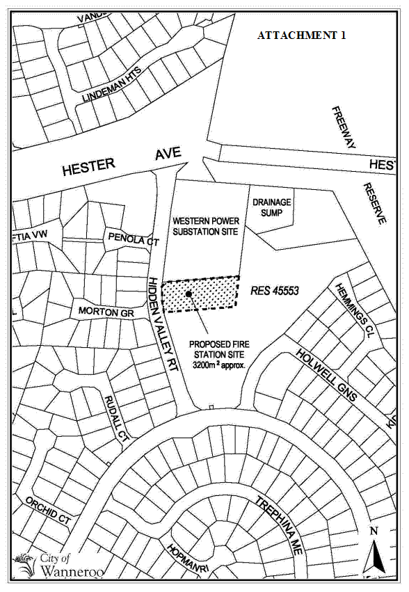
Council, at its meeting on 27 June 2006 (refer Item PD07-06/06), resolved to prepare Amendment No 63 to DPS2 to rezone portion of Reserve 45553 Hidden Valley Retreat, Clarkson from “Local Scheme Reserve – Parks and Recreation” to “Local Scheme Reserve – Public Use” and advertise the amendment for a period of 42 days. The Rezoning would facilitate the development of the proposed Quinns Rocks Volunteer Fire Brigade Depot on the site.
Detail
A plan indicating the location of the subject land is included as Attachment 1.
The Environmental Protection Authority advised the City on 31 July 2006 that the scheme amendment did not warrant an environmental assessment. The WAPC’s consent to advertise was not required in this case.
Consultation
A 42 day public advertising period was carried out between 22 August 2006 and 3 October 2006. This advertising was carried out by way of an on site sign, an advertisement in the local newspaper and letters to affected and nearby landowners.
The submission period closed on 3 October 2006 and 19 submissions were received, 18 either in support of or expressing no objection to the proposal and 1 letter of objection.
Comment
Response to the Submissions
The issues raised by the submissions, together with a comment on each are outlined below:
Issue 1
The fire station does not need to be moved from its present site.
Comment
The current fire station is located in the Gumblossum recreation area and comprises a small colour bond shed that is only able to house small quantities of equipment and barely has sufficient room to conduct brigade meetings. This facility has served the brigade for the past twenty years, however, it is now unsuitable for the accommodation of major appliances and training requirements. Two of the three light tankers are housed on various front yards during the fire season, which has caused problems with vehicles being broken into and important pieces of equipment being stolen off the trucks. In addition, during the fire season, the large tanker has to travel to the City Council Works Depot to crew it and then head out to the various incidents. This can mean up to a 45 minute delay before the vehicle is mobilised, which can mean the difference between saving a property or not.
Recommendation
That the issue be dismissed.
Issue 2
It will result in the loss of part of the Hidden Valley Retreat Reserve.
Comment
An extensive search of alternative sites has been undertaken. The location of the station needs to be close to where most of the volunteers reside and close to regional roads. Sites within the Neerabup National Park were initially considered, however, these were rejected by CALM. The other sites considered are either not available for three to five years or have no utilities to service the needs of the fire station and its fire fighters. The site on Hidden Valley Reserve appears to be the only option available that meets the location criteria.
Analysis of public open space in the locality indicates that there is in excess of the standard 10% allocation and the loss of 2,880 square metres will not reduce the localities below 10%. The City is also making a considerable upgrade to the nearby Ridgewood Park and this will compensate the community for the small loss of land.
Recommendation
That the issue be dismissed.
Issue 3
Information provided by the Water Corporation and Western Power.
Comment
The Water Corporation and Western Power have provided guidance on the infrastructure requirements for the brigade. Copies of the comments from these organisations will be forwarded to the Volunteer Bush Fire Brigade.
Recommendation
That the issue be noted.
Statutory Compliance
The amendment process has complied with the requirements of the Town Planning Regulations.
Strategic Implications
Consideration of this scheme amendment is consistent with the City’s Strategic Plan and in particular, Strategy 2.4 which seeks to improve community safety. It will also assist in delivering Strategy 2.2 of the Planning and Development Directorate Strategic Plan, which seeks to provide a cohesive system of integrated land use planning.
Policy Implications
Nil
Financial Implications
Nil
Voting Requirements
Simple Majority
EndStrip This line will not be printed Please do NOT delete
Recommendation
That Council:-
1. Pursuant to Town Planning Regulation 17(2) ADOPTS, without modification, Amendment No. 63 to District Planning Scheme No.2 to rezone portion of Reserve 45553 Hidden Valley Retreat Clarkson from Local Scheme Reserve – Parks and Recreation to Local Scheme Reserve – Public Use.
2. Pursuant to Town Planning Regulations 22 and 25 (a) (g) AUTHORISES the affixing of the common seal to, and endorses the signing of, the amendment documentation.
3. FORWARDS the amendment documentation to the Western Australian Planning Commission for its consideration REQUESTING the Hon Minister for Planning and Infrastructure grant final approval to the amendment.
4. ENDORSES the comments made in this report regarding the submissions received on this scheme amendment for inclusion in the schedule of submissions to be forwarded to the Western Australian Planning Commission and ADVISES the submittors of its decision.
EndOfRecommendation - This line will not be printed Please do NOT delete
StartOfAttachment - Do not delete this line will not be printed

EndOfAttachment - Do not delete this line will not be printed
Development Applications Determined By Delegated Authority For September 2006
File Ref: S09/0009V01
File Name: FA Development Applications Determined by Delegated Authority for September 2006.doc This line will not be printed Please do NOT delete
Responsible Officer: Director, Planning and Development
Disclosure of Interest: Nil
Attachment(s): 1
StartStrip - This line will not be printed Please do NOT delete
Issue
Development Applications determined by the administration between 1 September 2006 and 30 September 2006, acting under Delegated Authority from Council.
Background
Nil
Detail
The City of Wanneroo District Planning Scheme 2 (DPS2) provides Council with planning approval powers which are designed to avoid conflict between different land uses on adjoining lots. It is also necessary to ensure the completed developments meet the required standards such as building setbacks, carparking and landscaping. Planning approvals are not generally required for single residential houses unless they seek to vary the requirements of the Residential Design Codes (RD Codes.)
Council has delegated some of its responsibilities for decision making on planning applications to certain officers in Administration which enables the processing of applications within the required 60 day statutory period and within normal customer expectations.
The Administration, in assessing planning proposals, attempts to extract from the relevant planning documents the key policies and requirements of Council in order to make comments and recommendations on the issues raised in the assessment of each individual planning application.
Planning applications determined by the Administration between 1 September 2006 and 30 September 2006, acting under Delegated Authority from Council are included in Attachment 1.
Consultation
Nil
Comment
Nil
Statutory Compliance
A Delegated Authority Register was adopted by Council at its meeting on 29 August 2006 (item GS08-08/06 refers). The decisions referred to in attachment 1 of this report are in accordance with this register.
Strategic Implications
This report is consistent with the corporate management and development goal of the City’s Strategic Plan, which seeks to establish an organisation that is open, accountable and committed to customer service.
Policy Implications
Nil
Financial Implications
Planning applications incur administration fees which are generally based on the Town Planning (Local Government Planning Fees) Regulations and have been adopted by Council in its annual budget. The estimated cost of development for each application is listed in attachment 1. Applications where an estimated cost has not been provided, are either applications for the exercising of discretion or for a change of use.
Voting Requirements
Simple Majority.
EndStrip - This line will not be printed Please do NOT delete
Recommendation
That Council NOTES the determinations made by Planning and Development Services acting under delegated authority from Council on planning applications processed between 1 September 2006 and 30 September 2006.
EndOfRecommendation - This line will not be printed Please do NOT delete
StartOfAttachment - Do not delete this line will not be printed
Development Applications determined for Period City of Wanneroo
WHERE (Issued_date BETWEEN 01/09/2006 00:00:00 AND 30/09/2006 23:59:59)
Note: Estimated cost not provided on applications for use only or where a flat fee is applicable
Ram Id Date Owners Days Est Cost Decision
DA06/0682 18/09/2006 HELEN E FARNHILL & STEPHEN S FARNHILL 2 $12,000.00 Approved
Prop address 214 CARABOODA ROAD CARABOODA WA 6033
Land Lot 25 P 8913 Vol 1989 Fol 636
Descriptio SINGLE HOUSE - CARPORT ADDITION
Applicant SWAN PATIOS
File Number P06/0012V01
DA06/0711 27/09/2006 BRUCE T DRUMMOND & KATHRYN J DRUMMOND 3 $19,317.00 Approved
Prop address 51 COOGEE ROAD MARIGINIUP WA 6065
Land Lot 21 P 12887 Vol 1538 Fol 379
Descriptio SINGLE HOUSE - SWIMMING POOL ADDITION
Applicant BUCCANEER POOLS
File Number P20/0241V01
DA06/0654 08/09/2006 ANTHONY M MCCORMICK & SHARON K MCCORMICK 2 $11,500.00 Approved
Prop address 49 LEE-STEERE DRIVE MARIGINIUP WA 6065
Land Lot 10 P 12887 Vol 1538 Fol 368
Descriptio SINGLE HOUSE - PATIO ADDITION
Applicant SUNSET OUTDOOR
File Number P20/0044V01
DA06/0678 15/09/2006 BEVERLEY DEAN & JAMES M REUBEN 1 $11,900.00 Approved
Prop address 29 EVERGREEN GARDENS CARRAMAR WA 6031
Land Lot 141 D 70622 Vol 1750 Fol 614
Descriptio SINGLE HOUSE - PATIO ADDITION
Applicant ONE STOP PATIO SHOP
File Number P07/1394V01
DA06/0494 06/07/2006 NEIL PHILLIPS 61 $180,525.00 Approved
Prop address 10 VAUGHEY ROAD QUINNS ROCKS WA 6030
Land Lot 718 P 8342 Vol 109 Fol 099A
Descriptio SINGLE HOUSE
Applicant MILFORD HOMES PTY LTD
File Number P27/2498V01
DA06/0446 19/06/2006 STATE HOUSING COMMISSION 74 $460,000.00 Approved
Prop address 24 WILLESPIE DRIVE PEARSALL WA 6065
Land Lot 102 D 75467 Vol 1862 Fol 921
Descriptio FOUR GROUPED DWELLINGS
Applicant JOHN KANNIS & ASSSOCIATES ARCHITECTS
File Number P25/0551V01
DA06/0652 07/09/2006 Estate of Late DOMINIC CARBONE & MARIA A 6 $9,420.00 Approved
Prop address 251 LENORE ROAD WANNEROO WA 6065
Land Lot 175 P 15552 Vol 1736 Fol 114
Descriptio RURAL SHED ADDITION
Applicant MA CARBONE
File Number P34/1389V01
DA06/0619 28/08/2006 JANINE R ROBERTS & JOHN C ROBERTS 4 $20,000.00 Approved
Prop address 29 BERNBOROUGH PLACE WANNEROO WA 6065
Land Lot 149 P 13145 Vol 1558 Fol 685
Descriptio SINGLE HOUSE - SHED, SPA AND EQUIPMENT ROOM ADDITION
Applicant JC ROBERTS
File Number P34/0028V01
Development Applications determined for Period City of Wanneroo
WHERE (Issued_date BETWEEN 01/09/2006 00:00:00 AND 30/09/2006 23:59:59)
Note: Estimated cost not provided on applications for use only or where a flat fee is applicable
Ram Id Date Owners Days Est Cost Decision
DA06/0699 01/09/2006 LANDCORP 20 $600,000.00 Approved
Prop address SUBDIVIDED 38 CALLAWAY STREET WANGARA WA 6065
Land Lot 4 D 15871 Vol 1302 Fol 548
Descriptio PROPOSED WAREHOUSE WITH INCIDENTAL OFFICE
Applicant WEST COAST DISPLAYS PTY LTD
File Number P33/0277V01
DA06/0691 20/09/2006 RODNEY R CLIFTON, ALICE M CLIFTON, RODNEY 6 $39,340.00 Approved
Prop address 32 SPRINGPARK TRAIL CARRAMAR WA 6031
Land Lot 162 D 71330 Vol 1765 Fol 103
Descriptio SINGLE DWELLING - SHED ADDITION
Applicant AM CLIFTON, RR CLIFTON, RT CLIFTON
File Number P07/0965V01
DA06/0535 26/07/2006 CITY OF WANNEROO 46 $4,000.00 Approved
Prop address MARANGAROO FAMILY CENTRE 46 HIGHCLERE BOULEVARD MARANGAROO WA
Land Lot 825 P 15037 Vol 1694 Fol 466
Descriptio SIGNAGE
Applicant MARANGAROO FAMILY CENTRE INC
File Number P19/0595V01
DA06/0618 24/08/2006 OCEAN SPRINGS PTY LTD 11 $400,000.00 Approved
Prop address 2559 MARMION AVENUE JINDALEE WA 6036
Land Lot 9 P 12464 Vol 1508 Fol 906
Descriptio EARTHWORKS CLEARANCE
Applicant COSSILL & WEBLEY PTY LTD
File Number P15/0302V01
DA06/0640 05/09/2006 CROWN - VESTED CITY OF WANNEROO 7 $5,000.00 Approved
Prop address ELLIOT PARK-RES 35211 67 WANJINA CRESCENT WANNEROO WA 6065
Land Lot 149 DP 190803 Vol 3093 Fol 781
Descriptio TENNIS CLUB TIERED TERRACE SEATING ADDITION
Applicant D HAMPTON
File Number PR34/0014V01
DA06/0674 14/09/2006 QUITO PTY LTD 6 $317,662.00 Approved
Prop address 32 SAFARI PLACE CARABOODA WA 6033
Land Lot 3 D 41471 Vol 488 Fol 005A
Descriptio WHOLESALE NURSERY - CARPARK AND SALES AND TRAY DISPLAY ADDITIONS
Applicant STEVE MAWSON & ASSOCIATES
File Number P06/0076V01
DA06/0547 28/07/2006 WATSON PROPERTY GROUP NORTHERN ASPECTS 40 $20,000.00 Approved
Prop address 23 CAPRI LEONE WAY SINAGRA WA 6065
Land Lot 21 P 8404 Vol 1305 Fol 581
Descriptio ENTRY STATEMENT
Applicant WATSON PROPERTY GROUP NORTHERN ASPECTS LTD
File Number SD127865V01
DA06/0172.01 14/08/2006 FRANK GHALILI 27 $2,181,818.00 Approved
Prop address 176 NICHOLAS ROAD HOCKING WA 6065
Land Lot 20 D 57196 Vol 1546 Fol 284
Descriptio SHOPPING CENTRE & GROUPED DWELLING - 20 UNITS
Applicant E DIDONATO
File Number
Development Applications determined for Period City of Wanneroo
WHERE (Issued_date BETWEEN 01/09/2006 00:00:00 AND 30/09/2006 23:59:59)
Note: Estimated cost not provided on applications for use only or where a flat fee is applicable
Ram Id Date Owners Days Est Cost Decision
DA06/0357 17/05/2006 JOSEPH P HEALY, MARY J HEALY, MICHAEL J 98 $25,000.00 Approved
Prop address SERVICE STATION 2624 WANNEROO ROAD NOWERGUP WA 6032
Land Lot 1 D 45509 Vol 1501 Fol 999
Descriptio CARPORT
Applicant PA HEALY
File Number P24/0011V01
DA06/0583 15/08/2006 LAKES CHRISTIAN LIFE CENTRE INCORPORATED 2 $200,000.00 Approved
Prop address 15 FINLAY PLACE WANGARA WA 6065
Land Lot 120 P 12308 Vol 1495 Fol 024
Descriptio MODIFICATIONS TO EXISTING BUILDING
Applicant P MILTON
File Number P33/0112V01
DA06/0672 13/09/2006 LYNNE K CLARK 11 $19,010.00 Approved
Prop address 40 EVERGREEN GARDENS CARRAMAR WA 6031
Land Lot 145 D 70624 Vol 1744 Fol 511
Descriptio SINGLE HOUSE - SWIMMING POOL ADDITION
Applicant SAPPHIRE POOLS
File Number P07/0043V01
DA06/0658 12/09/2006 LEANNE G WALKER & MICHAEL WALKER 2 $25,000.00 Approved
Prop address 49 ADAMS ROAD MARIGINIUP WA 6065
Land Lot 51 D 67081 Vol 1679 Fol 120
Descriptio SHED ADDITION
Applicant M WALKER
File Number P20/0085V01
DA06/0692 19/09/2006 SUSAN E GOSS & VINCENT A GOSS 7 $75,000.00 Approved
Prop address 329 LANDSDALE ROAD LANDSDALE WA 6065
Land Lot 159 D 28708 Vol 1590 Fol 968
Descriptio SWIMMING POOL AND ENCLOSURE ADDITION TO SINGLE HOUSE
Applicant VA GOSS
File Number P17/0178V01
DA06/0422 07/06/2006 HONG TT TRAN, NHI VU HUYNH, GINA KE YEW, 51 $0.00 Refused
Prop address 276 SYDNEY ROAD GNANGARA WA 6065
Land Lot 9 D 28574 Vol 1273 Fol 644
Descriptio CHANGE OF USE - POULTRY FARM TO MARKET GARDEN
Applicant GKE YEW
File Number P12/0095V01
DA06/0141 20/02/2006 GAETANINA HENDERSON & PETER G HENDERSON 132 $280,000.00 Approved
Prop address 250 CARABOODA ROAD CARABOODA WA 6033
Land Lot 23 P 8913 Vol 549 Fol 130A
Descriptio GROUPED DWELLING
Applicant AMBASSADOR CONSTRUCTION & MAINTENANCE
File Number P06/0156V01
DA06/0636 05/09/2006 PIONEER INTERNATIONAL LTD 7 $170,000.00 Approved
Prop address 65 PRINDIVILLE DRIVE WANGARA WA 6065
Land Part Lot 218 D 55704 Vol 1629 Fol 257
Descriptio FACTORY EXTENSION
Applicant MARIO CASELLA AND SONS BUILDERS
File Number P33/0510V01
Development Applications determined for Period City of Wanneroo
WHERE (Issued_date BETWEEN 01/09/2006 00:00:00 AND 30/09/2006 23:59:59)
Note: Estimated cost not provided on applications for use only or where a flat fee is applicable
Ram Id Date Owners Days Est Cost Decision
DA06/0643 06/09/2006 PHILIP S MCCORMACK 4 $4,000.00 Approved
Prop address 7 WINGHAM STREET MARANGAROO WA 6064
Land Lot 2 Vol 1585 Fol 490 S/P 8990
Descriptio PATIO ADDITION
Applicant A1 PATIOS
File Number P19/0643V01
DA06/0544 31/07/2006 SANDRA M KEYS & BASIL R KEYS 38 $0.00 Approved
Prop address 2/17 DELLAMARTA ROAD WANGARA WA 6065
Land Lot 11 Vol 2104 Fol 880 S/P 15138
Descriptio CHANGE OF USE TO MOBILITY SCOOTERS BUSINESS
Applicant SCOOTERS AUSTRALIA
File Number P33/0003V01
DA06/0683 18/09/2006 QUENTON SEED 2 $5,063.63 Approved
Prop address 44 FREDERICK STREET WANNEROO WA 6065
Land Lot 4 Vol 2200 Fol 258 S/P 4036
Descriptio PATIO ADDITION (UNIT 2)
Applicant THORN ROOFING CONTRACTORS
File Number P34/2849V01
DA06/0470 13/06/2006 JOSE H ALONSO 29 $1,000,000.00 Approved
Prop address WANNEROO TIMES 26 PRINDIVILLE DRIVE WANGARA WA 6065
Land Lot 500 D 92694 Vol 2102 Fol 845
Descriptio ADDITIONS TO EXISTING OFFICES
Applicant ANTHONY J CASELLA DESIGNERS
File Number P33/0028V01
DA06/0617 28/08/2006 EMA RESANOVIC 4 $3,500.00 Approved
Prop address 9/104 WADDINGTON CRESCENT KOONDOOLA WA 6064
Land Lot 9 Vol 2192 Fol 97 S/P 32103
Descriptio PATIO ADDITION (UNIT 9)
Applicant E RESANOVIC
File Number P16/0045V01
DA06/0684 18/09/2006 NICHOLAS G FILEVSKI & TANYA L FILEVSKI 6 $3,150.00 Approved
Prop address 17A LAGONDA PLACE MARANGAROO WA 6064
Land Lot 1 Vol 1869 Fol 956 S/P 19116
Descriptio PATIO ADDITION
Applicant WESTRAL OUTDOOR CENTRE
File Number P19/0568V01
DA06/0231 28/03/2006 QUITO PTY LTD 119 $90,000.00 Approved
Prop address 99 KILN ROAD CARABOODA WA 6033
Land Lot 5425 DP 206216 Vol 1837 Fol 409
Descriptio TURF FARM/ NEW SHED/ OFFICE TOILET BLOCK/ LUNCH ROOM/ & CARPARK
Applicant STEVE MAWSON & ASSOCIATES
File Number P06/0100V01
DA06/0451 20/06/2006 CAROL A MARTELL 74 $130,000.00 Approved
Prop address 5A GREYGUM CRESCENT QUINNS ROCKS WA 6030
Land Lot 2 Vol 2092 Fol 374 S/P 31435
Descriptio TWO GROUPED DWELLING - (5A)
Applicant CA MARTELL
File Number P27/0700V01
Development Applications determined for Period City of Wanneroo
WHERE (Issued_date BETWEEN 01/09/2006 00:00:00 AND 30/09/2006 23:59:59)
Note: Estimated cost not provided on applications for use only or where a flat fee is applicable
Ram Id Date Owners Days Est Cost Decision
DA06/0625 31/08/2006 RAAFA ASSOCIATION INC & AUSTRALIAN FLYING 3 $3,330.00 Approved
Prop address RAAFA UNIT9 9/19 HUGHIE EDWARDS DRIVE MERRIWA WA 6030
Land Part Lot 9010 DP 36790
Descriptio GROUPED DWELLING - PATIO ADDIITON (UNIT 9)
Applicant PERTH HOME IMPROVEMENT CENTRE
File Number P21/0339V02
DA06/0603 22/08/2006 LEONID M ONOFREI & OTILIA F ONOFREI 13 $20,000.00 Approved
Prop address 108 THE BROADVIEW LANDSDALE WA 6065
Land Lot 101 D 88905 Vol 2046 Fol 505
Descriptio RETAINING WALL
Applicant LM ONOFREI
File Number P17/1012V01
DA06/0571 09/08/2006 TERRI L CONDO & SHANE A CONDO 8 $3,575.00 Approved
Prop address 2 OLLERA MEANDER CARRAMAR WA 6031
Land Lot 214 P 20833 Vol 2053 Fol 303
Descriptio SINGLE HOUSE - RETAINING WALL ADDITION
Applicant CONWOOD RETAINING WALL
File Number P07/1606V01
DA06/0651 07/09/2006 MCDONALDS PROPERTIES (AUST) PTY LTD 6 $20,000.00 Approved
Prop address FAST FOOD 9 BERGEN WAY MINDARIE WA 6030
Land Lot 6 P 21205 Vol 2069 Fol 059
Descriptio MCDONALDS DRIVE-THRU SPEAKER BOX AND MENU BOARD ADDITION
Applicant H A MCINTYRE CONSULTING
File Number P22/1277V01
DA06/0512 13/07/2006 GEORGE H PATMORE & BERNYSE O PATMORE 54 $8,000.00 Approved
Prop address 20 SEMINARA PLACE MARIGINIUP WA 6065
Land Lot 3 D 86459 Vol 2095 Fol 444
Descriptio SHED ADDITION TO SINGLE DWELLING
Applicant GH PATMORE
File Number P20/0149V01
DA06/0667 12/09/2006 DARREN J WATERS & TRACY D WATERS 4 $7,820.00 Approved
Prop address 35B SAVONA GROVE MINDARIE WA 6030
Land Lot 2 Vol 2089 Fol 889 S/P 32107
Descriptio PATIO ADDITION
Applicant PATIO LIVING
File Number P22/1161V01
DA06/0542 28/07/2006 BRIAN T ROBINSON & EUPHEMIA G ROBINSON 29 $0.00 Approved
Prop address 7/11 DELLAMARTA ROAD WANGARA WA 6065
Land Lot 7 Vol 2097 Fol 057 S/P 32321
Descriptio RETROSPECTIVE CHANGE OF USE - SHOWROOM TO CAR WASH/CAR DETAILING
Applicant TOPLINE DETAILING SERVICES
File Number P33/0248V01
DA06/0409 02/06/2006 KRISTY R DRAGE & KERRILEE J DRAGE 76 $110,000.00 Approved
Prop address 17 ILBERY STREET QUINNS ROCKS WA 6030
Land Part Lot 2 D 92929 Vol 2197 Fol 302
Descriptio ANCILLARY ACCOMMADATION
Applicant KR DRAGE
File Number P27/1448V01
Development Applications determined for Period City of Wanneroo
WHERE (Issued_date BETWEEN 01/09/2006 00:00:00 AND 30/09/2006 23:59:59)
Note: Estimated cost not provided on applications for use only or where a flat fee is applicable
Ram Id Date Owners Days Est Cost Decision
DA06/0601 22/08/2006 FELJILL PTY LTD 15 $9,400.00 Approved
Prop address 4 UPPILL PLACE WANGARA WA 6065
Land Lot 10 P 22267 Vol 2125 Fol 840
Descriptio FRONT FENCE
Applicant FELJILL PTY LTD
File Number P33/0348V01
DA06/0515 14/07/2006 SHALWAY NOMINEES PTY LTD 56 $6,000.00 Approved
Prop address 160 PAINI WAY JANDABUP WA 6065
Land Lot 105 P 21843 Vol 2205 Fol 107
Descriptio SHED
Applicant SHALWAY NOMINEES PTY LTD
File Number P14/0080V01
DA06/0557 04/08/2006 STEPHEN J DUGGAN & SHANNON J MASTERS 41 $111,429.00 Approved
Prop address 166 PAINI WAY JANDABUP WA 6065
Land Lot 104 P 21843 Vol 2205 Fol 106
Descriptio SINGLE DWELLING AND SHED ADDITION
Applicant DORWOOD DEVELOPMENTS
File Number P14/0077V01
DA06/0612 24/08/2006 RICCARDO F FOGLIANI & DEANNA FOGLIANI 2 $10,000.00 Approved
Prop address 106 PINE CREST WAY GNANGARA WA 6065
Land Lot 16 P 22847 Vol 2139 Fol 081
Descriptio SINGLE HOUSE - RETAINING WALL ADDITION
Applicant VESPOLI CONSTRUCTIONS
File Number P12/0128V01
DA06/0709 27/09/2006 FRANCO VICENTINI & CARMELA VICENTINI 3 $300,000.00 Approved
Prop address 71 FURNISS ROAD DARCH WA 6065
Land Lot 33 D 97580 Vol 2169 Fol 118
Descriptio WAREHOUSE WITH INCIDENTAL OFFICE
Applicant VESPOLI CONSTRUCTIONS
File Number P09/0644V01
DA06/0519 17/07/2006 WATSON PROPERTY GROUP WOODVALE RISE LTD 55 $400,000.00 Approved
Prop address 57 GNANGARA ROAD WANGARA WA 6065
Land Lot 4 D 98587 Vol 2193 Fol 446
Descriptio SUBDIVISIONAL EARTHWORKS
Applicant WATSON PROPERTY GROUP WOODVALE RISE LTD
File Number P33/0413V01
DA06/0637 05/09/2006 THI MH LE, PHUOC T LE, THI ML LE 7 $8,000.00 Approved
Prop address SHOPPING CENTRE SITE 2 VIRIDIAN DRIVE BANKSIA GROVE WA 6031
Land Lot 530 P 23714 Vol 2172 Fol 406
Descriptio RETAINING WALL
Applicant R K M BUILDERS
File Number P04/0298V01
DA06/0320 01/05/2006 TAH LAND PTY LTD 99 $300,000.00 Approved
Prop address MC DONALDS 178 WANNEROO ROAD MADELEY WA 6065
Land Lot 161 D 98863
Descriptio DRIVE THRU AND TAKEAWAY FOOD OUTLET EXTENSIONS
Applicant HINDLEY & ASSOCIATES PTY LTD
File Number P17/1407V01
Development Applications determined for Period City of Wanneroo
WHERE (Issued_date BETWEEN 01/09/2006 00:00:00 AND 30/09/2006 23:59:59)
Note: Estimated cost not provided on applications for use only or where a flat fee is applicable
Ram Id Date Owners Days Est Cost Decision
DA06/0555 03/08/2006 STINSON NOMINEES PTY LTD 35 $1,000.00 Approved
Prop address 34 KEY LARGO DRIVE CLARKSON WA 6030
Land Lot 404 P 23839 Vol 2191 Fol 567
Descriptio EXTENSION TO EXISTING TAVERN ALFRESCO
Applicant STINSON NOMINEES PTY LTD
File Number P08/1087V01
DA06/0635 31/08/2006 STINSON NOMINEES PTY LTD 8 $10,000.00 Approved
Prop address 34 KEY LARGO DRIVE CLARKSON WA 6030
Land Lot 404 P 23839 Vol 2191 Fol 567
Descriptio SIGNAGE
Applicant STINSON NOMINEES PTY LTD
File Number P08/1087V01
DA06/0714 28/09/2006 ST STEPHENS SCHOOL 1 $3,620,000.00 Approved
Prop address AMALGAMATED 50 ST STEPHENS CRESCENT TAPPING WA 6065
Land Lot 1260 P 24029
Descriptio SPORTS CENTRE ADDITION
Applicant EDGAR IDLE WADE ARCHITECTS
File Number P31/0033V01
DA06/0717 22/09/2006 ROMAN CATHOLIC ARCHBISHOP OF PERTH 5 $11,500.00 Approved
Prop address ST ANTHONYS CHURCH & PRESBYTERY 15 DUNDEBAR ROAD WANNEROO WA
Land Lot 512 D 99780
Descriptio CHURCH - STORAGE SHED ADDITION
Applicant LENZO INVESTMENTS PTY LTD
File Number P34/2662V01
DA06/0653 07/09/2006 RICHARD CLARK & ROWENA CLARK 2 $442,745.00 Approved
Prop address 9 LENA PASS MINDARIE WA 6030
Land Lot 439 P 24280 Vol 2201 Fol 142
Descriptio SINGLE HOUSE
Applicant APG HOMES
File Number P22/0278V01
DA06/0552 02/08/2006 LEON TSOURIS & KIRSTINE C TONEY 16 $0.00 Approved
Prop address 15 EMERALD DRIVE CARABOODA WA 6033
Land Lot 3 DP 24938 Vol 2205 Fol 792
Descriptio MODIFICATION TO BUILDING ENVELOPE AND SHED
Applicant KC TONEY
File Number P06/0009V01
DA06/0454 21/06/2006 MATHEW J WESLEY & SHELLEY A WESLEY 72 $300,000.00 Approved
Prop address 89 EMERALD DRIVE CARABOODA WA 6033
Land Lot 22 DP 24939
Descriptio MOD TO BUILDING ENVELOPE, SINGLE HOUSE AND SHED
Applicant MJ WESLEY
File Number P06/0062V01
DA06/0633 04/09/2006 PHILLIP A DAVIES 1 $6,900.00 Approved
Prop address 44 MOWBRAY SQUARE CLARKSON WA 6030
Land Lot 2 Vol 2548 Fol 588 S/P 44025
Descriptio GROUPED DWELLING - PATIO ADDITION
Applicant KALMAR PTY LTD
File Number P08/0809V01
Development Applications determined for Period City of Wanneroo
WHERE (Issued_date BETWEEN 01/09/2006 00:00:00 AND 30/09/2006 23:59:59)
Note: Estimated cost not provided on applications for use only or where a flat fee is applicable
Ram Id Date Owners Days Est Cost Decision
DA06/0661 12/09/2006 CYRIL P HONDRIS & SHIRLEY M HONDRIS 10 $0.00 Approved
Prop address 25 HASLINGFIELD WAY BUTLER WA 6036
Land Lot 1275 DP 34237 Vol 2530 Fol 556
Descriptio HOME BUSINESS - CATEGORY 2 - WHOLESALE/PACKAGING OF FOOD
Applicant C HONDRIS
File Number P05/0558V01
DA06/0715 28/09/2006 HOMER HOLDINGS PTY LTD & MALAGA 2 $3,000,000.00 Approved
Prop address 75 EXCELLENCE DRIVE WANGARA WA 6065
Land Lot 263 DP 34905 Vol 2529 Fol 391
Descriptio WAREHOUSES WITH INCIDENTAL SHOWROOMS
Applicant CALIBRE CONSTRUCTIONS PTY LTD
File Number P33/0288V01
DA06/0554 03/08/2006 GIOVANNI ROMANELLI & CHRISTEANN ROMANELLI 20 $20,000.00 Approved
Prop address 67 FARMHOUSE LINK TWO ROCKS WA 6037
Land Lot 26 DP 36217 Vol 2541 Fol 727
Descriptio RURAL SHED (GARAGE)
Applicant G ROMANELLI
File Number P32/0296V01
DA06/0443 15/06/2006 UNIVERSAL SANDS PTY LTD 27 $2,486,250.00 Approved
Prop address 2 COWLE STREET LANDSDALE WA 6065
Land Lot 200 DP 40263 Vol 2227 Fol 589
Descriptio WAREHOUSES
Applicant DOEPEL MARSH ARCHITECTS
File Number P17/0916V01
DA06/0621 29/08/2006 JENNIFER L HINDLE 3 $8,549.09 Approved
Prop address FISH FARM 36 GIBBS ROAD NOWERGUP WA 6032
Land Lot 56 DP 39897
Descriptio SHED
Applicant JL HINDLE
File Number P24/0004V01
DA06/0687 19/09/2006 STEVEN G HOBBS & PAMELA J HOLLAND 6 $6,200.00 Approved
Prop address 12 DENTATA STREET BANKSIA GROVE WA 6031
Land Lot 365 DP 41200 Vol 2572 Fol 666
Descriptio SINGLE HOUSE - PATIO ADDITION
Applicant OASIS PATIOS
File Number P04/0406V01
DA06/0662 12/09/2006 WESLEY FORTUIN & KRISTINA IVANOVSKI 6 $0.00 Approved
Prop address 5 BARCELONA TERRACE HOCKING WA 6065
Land Lot 502 DP 42362 Vol 2575 Fol 416
Descriptio HOME BUSINESS - CATEGORY 2 - BEAUTY SALON
Applicant W FORTUIN
File Number P13/0865V01
DA06/0670 13/09/2006 BRIGHTWATER CARE GROUP 3 $3,164.00 Approved
Prop address KINGSWAY COURT 43 BARON LOOP MADELEY WA 6065
Land Part Lot 103 Sec 153 DP 36095
Descriptio AGED OR DEPENDENT PERSONS DWELLINGS - PATIO ADDITION TO UNIT 153
Applicant THORN ROOFING CONTRACTORS
File Number P18/1411V01
Development Applications determined for Period City of Wanneroo
WHERE (Issued_date BETWEEN 01/09/2006 00:00:00 AND 30/09/2006 23:59:59)
Note: Estimated cost not provided on applications for use only or where a flat fee is applicable
Ram Id Date Owners Days Est Cost Decision
DA06/0553 02/08/2006 CROWN LAND-CITY OF WANNEROO MANAGEMENT 35 $100,000.00 Approved
Prop address FORESHORE RESERVE-PT RES 20561 340L TWO ROCKS ROAD TWO ROCKS WA 6037
Land Lot 15452 DP 40341 Vol 3126 Fol 656
Descriptio RECREATIONAL AREA
Applicant CROWN LAND-CITY OF WANNEROO MANAGEMENT ORDER
File Number PR32/0013V01
DA06/0642 05/09/2006 GERARD F GIMBLETT & MAXINE Y GIMBLETT 3 $4,000.00 Approved
Prop address HARBOURSIDE VILLAGE 21 THE TERRACE MINDARIE WA 6030
Land Lot 1300 Sec 57 D 100611 Vol 2230 Fol 281
Descriptio SINGLE HOUSE - PATIO ADDITION
Applicant NEW IMAGE HOME IMPROVEMENTS
File Number P22/2004V01
DA06/0595 15/08/2006 BUTLER LAND COMPANY PTY LTD & QUINNS 25 $100.00 Approved
Prop address SUBDIVIDED 1100 CONNOLLY DRIVE BUTLER WA 6036
Land Lot 9112 DP 43609
Descriptio POS - SIGNAGE
Applicant CREATING COMMUNITIES
File Number P05/0656V01
DA06/0593 18/08/2006 DANIEL WY LEUNG, HELLE M LEUNG, HONG P 12 $239,000.00 Approved
Prop address 12 GAUDI WAY CLARKSON WA 6030
Land Lot 1083 DP 45432 Vol 2593 Fol 852
Descriptio TWO STOREY HOUSE & GARAGE ADDITION
Applicant J GRIFFITHS
File Number P08/1848V01
DA06/0624 31/08/2006 GERARD A WRIGHT & ROBYN A WRIGHT 2 $6,725.00 Approved
Prop address 17 TISSINGTON DRIVE DARCH WA 6065
Land Lot 1 Vol 2625 Fol 947 S/P 50439
Descriptio PATIO ADDITION & OUTBUILDING
Applicant OUTDOOR WORLD
File Number P09/0905V01
DA06/0581 11/08/2006 VISHRUT R PATEL & RUPAL V PATEL 8 $430,000.00 Approved
Prop address 27 AUTOMOTIVE DRIVE WANGARA WA 6065
Land Lot 2 DP 44874 Vol 2599 Fol 434
Descriptio WAREHOUSES
Applicant STONEWALL CONSTRUCTIONS
File Number P33/0503V01
DA06/0620 28/08/2006 MARK R CLEMENTS & LAN N CLEMENTS 5 $400,000.00 Approved
Prop address 24 BERRIMAN DRIVE WANGARA WA 6065
Land Lot 10 DP 44874 Vol 2599 Fol 442
Descriptio SHOWROOM AND LUNCHBAR
Applicant MEYER SHIRCORE & ASSOCIATES
File Number P33/0504V01
DA06/0664 12/09/2006 KAREN PEACOCK 7 $180,000.00 Approved
Prop address 51 HENNESSY DRIVE ASHBY WA 6065
Land Lot 145 DP 45436
Descriptio TWO GROUPED DWELLINGS
Applicant STYLISH EXTENSIONS
File Number P03/0695V01
Development Applications determined for Period City of Wanneroo
WHERE (Issued_date BETWEEN 01/09/2006 00:00:00 AND 30/09/2006 23:59:59)
Note: Estimated cost not provided on applications for use only or where a flat fee is applicable
Ram Id Date Owners Days Est Cost Decision
DA06/0545 31/07/2006 MICHAEL SAUNDERS 18 $240,000.00 Approved
Prop address 54 MARTINDALE AVENUE MADELEY WA 6065
Land Lot 612 DP 46620 Vol 2604 Fol 002
Descriptio TWO GROUPED DWELLINGS
Applicant AUSASIA DESIGN CONSULTANTS
File Number P18/1198V01
DA06/0550 28/07/2006 DANTI FAMILY HOLDINGS PTY LTD 17 $235,000.00 Approved
Prop address 28 LANCASTER ROAD WANGARA WA 6065
Land Lot 233 DP 45386 Vol 2604 Fol 153
Descriptio WAREHOUSE
Applicant S DANTI
File Number P33/0470V01
DA06/0648 05/09/2006 XTREME HOLDINGS PTY LTD 3 $3,187.00 Approved
Prop address 60B COOPER STREET MADELEY WA 6065
Land Part Lot 615 DP 46620
Descriptio GROUPED DWELLING - PATIO ADDITION (UNIT 2)
Applicant POULTER INSTALLATIONS
File Number P18/1127V01
DA06/0668 12/09/2006 DAVID J GRIFFITHS 5 $3,624.00 Approved
Prop address 2D CONNELL WAY GIRRAWHEEN WA 6064
Land Lot 40 Vol 2610 Fol 604 S/P 24554
Descriptio PATIO ADDITION
Applicant KALMAR PTY LTD
File Number P11/0657V01
DA06/0457 23/06/2006 HOMESWEST 68 $1,000.00 Approved
Prop address 6 KINGSBRIDGE BOULEVARD BUTLER WA 6036
Land Lot 278 DP 46283 Vol 2613 Fol 296
Descriptio SIGNAGE - REAL ESTATE (SHOP 19)
Applicant P DUGUID
File Number P05/1101V01
DA06/0533 25/07/2006 GARY J SIMPSON 20 $140,815.00 Approved
Prop address 41/146 ST ANDREWS DRIVE YANCHEP WA 6035
Land Lot 41 Vol 2614 Fol 141 S/P 48121
Descriptio GROUPED DWELLING
Applicant BGC RESIDENTIAL PTY LTD
File Number P36/1042V01
DA06/0646 05/09/2006 XTREME HOLDINGS PTY LTD 3 $3,187.00 Approved
Prop address 58A COOPER STREET MADELEY WA 6065
Land Part Lot 614 DP 46620
Descriptio GROUPED DWELLING - PATIO ADDITION (UNIT 1)
Applicant POULTER INSTALLATIONS
File Number P18/1143V01
DA06/0645 05/09/2006 XTREME HOLDINGS PTY LTD 3 $3,187.00 Approved
Prop address 58B COOPER STREET MADELEY WA 6065
Land Part Lot 614 DP 46620
Descriptio GROUPED DWELLING - PATIO ADDITION (UNIT 2)
Applicant POULTER INSTALLATIONS
File Number P18/1143V01
Development Applications determined for Period City of Wanneroo
WHERE (Issued_date BETWEEN 01/09/2006 00:00:00 AND 30/09/2006 23:59:59)
Note: Estimated cost not provided on applications for use only or where a flat fee is applicable
Ram Id Date Owners Days Est Cost Decision
DA06/0669 11/09/2006 STEVEN T TURNER 9 $13,773.00 Approved
Prop address 1/79 ACHIEVEMENT WAY WANGARA WA 6065
Land Lot 1 Vol 2615 Fol 296 S/P 48697
Descriptio PATIO ADDITION
Applicant HALF PRICE PATIOS & PERGOLAS
File Number P33/0183V01
DA06/0588 16/08/2006 SATTERLEY WANNEROO PTY LTD 15 $308,000.00 Approved
Prop address SUBDIVIDED 2 CAROSA ROAD TAPPING WA 6065
Land Lot 9026 DP 49281
Descriptio PUBLIC OPEN SPACE
Applicant MCNALLY NEWTON LANDSCAPE ARCHITECTS
File Number P31/1877V01
DA06/0411 01/06/2006 ASHMY PTY LTD 87 $181,818.19 Approved
Prop address 26 JINDALEE BOULEVARD JINDALEE WA 6036
Land Lot 1386 DP 49284 Vol 2620 Fol 221
Descriptio DISPLAY HOME
Applicant ASHMY PTY LTD
File Number P15/0280V01
DA06/0587 16/08/2006 PEET ASHTON HEIGHTS LIMITED 15 $105,500.00 Approved
Prop address 289 PINJAR ROAD TAPPING WA 6065
Land Lot 9005 DP 49188
Descriptio PUBLIC OPEN SPACE
Applicant MCNALLY NEWTON LANDSCAPE ARCHITECTS
File Number P31/0330V01
DA06/0573 10/08/2006 GCS PTY LTD 31 $269,681.00 Approved
Prop address 19 LIBERTY DRIVE CLARKSON WA 6030
Land Lot 2046 DP 50289 Vol 2625 Fol 115
Descriptio TWO GROUPED DWELLINGS
Applicant JWH GROUP PTY LTD
File Number P08/2481V01
DA06/0577 14/08/2006 KEVIN A BRINCAT & SIMMONE A BRINCAT 7 $350,000.00 Approved
Prop address 43 CELEBRATION BOULEVARD CLARKSON WA 6030
Land Lot 1773 DP 50947 Vol 2627 Fol 018
Descriptio TWO GROUPED DWELLINGS
Applicant KA BRINCAT
File Number P08/2592V01
DA06/0602 22/08/2006 MARK C CAPSTICK 18 $272,727.27 Approved
Prop address 20 ALEXANDRIA VIEW MINDARIE WA 6030
Land Lot 472 DP 49283
Descriptio TWO STOREY DWELLING
Applicant R KIRKOVSKI
File Number P22/2033V01
DA06/0614 23/08/2006 GUISEPPE PELLEGRINI 14 $380,000.00 Approved
Prop address 20 CVITAN BEND MADELEY WA 6065
Land Lot 642 DP 50990
Descriptio GROUPED DWELLING - 2 UNITS
Applicant G PELLEGRINI
File Number P18/1402V01
Development Applications determined for Period City of Wanneroo
WHERE (Issued_date BETWEEN 01/09/2006 00:00:00 AND 30/09/2006 23:59:59)
Note: Estimated cost not provided on applications for use only or where a flat fee is applicable
Ram Id Date Owners Days Est Cost Decision
DA06/0615 23/08/2006 GUISEPPE PELLEGRINI 5 $380,000.00 Approved
Prop address 5 CVITAN BEND MADELEY WA 6065
Land Lot 668 DP 50990
Descriptio GROUPED DWELLING - 2 UNITS
Applicant G PELLEGRINI
File Number P18/1403V01
DA06/0616 23/08/2006 GUISEPPE PELLEGRINI 13 $380,000.00 Approved
Prop address 1 CVITAN BEND MADELEY WA 6065
Land Lot 670 DP 50990
Descriptio GROUPED DWELLING - 2 UNITS
Applicant G PELLEGRINI
File Number P18/1404V01
EndOfAttachment - Do not delete this line will not be printed
Subdivision Applications Determined Under Delegated Authority During September 2006
File Ref: S09/0008
File Name: FC Subdivision Applications Determined Under Delegated Authority During September 2006.doc This line will not be printed Please do NOT delete
Responsible Officer: Director, Planning and Development
Disclosure of Interest: Nil
Author: Amy Stockwell
Meeting Date: 31 October 2006
Attachment(s): 24
StartStrip - This line will not be printed Please do NOT delete
Issue
Determination of subdivision applications processed in the period for the month of September under delegated authority.
Detail
The West Australian Planning Commission (WAPC) is responsible for determining all subdivision applications within the State. Applications for approval are lodged with the WAPC and are referred to local governments and affected public bodies for comment. Comments are made within 42 days of receiving the application after which the Commission determines the applications. There is a right of appeal by the applicant if aggrieved with the Commission’s decision.
Council has delegated to the Chief Executive Officer its functions relating to the provision of comments to the Commission on subdivision applications. The Chief Executive Officer has in turn delegated to the Planning and Development Directorate this responsibility. A Land Development Unit has been established to assist with the assessment of all applications.
Those applications considered to be either controversial in nature or contrary to Council policy, are referred to Council for consideration. All other applications are dealt with in respect to the following categories.
SCU 1 Subdivision applications received which are generally consistent with an approved or Agreed Structure Plan (including Outline Development Plan and Development Guide Plan).
SCU 2 Subdivision applications previously supported, or not supported by Council and subsequently determined by the Western Australian Planning Commission (WAPC) consistent with the Council’s recommendation.
SCU 3 Applications for extension of subdivisional approval issued by the WAPC which were previously supported by Council.
SCU 4 Applications for subdivision or amalgamation which result from conditions of development approval given by or on behalf of Council.
SCU 5 Applications for subdivision or amalgamation of lots which would allow the development of the land for uses permitted in the zone within which that land is situated including applications involving the excision of land for road widening, sump sites, school sites, etc.
SCU 6 Applications for subdivision or amalgamation of lots contrary to Council or WAPC Policy or are not generally consistent with an approved or Agreed Structure Plan.
The following table provides the details of the subdivision applications dealt with under delegated authority in the period for the month of September.
EndStrip - This line will not be printed Please do NOT delete
Recommendation
That Council NOTE the actions taken in relation to providing comments to the Western Australian Planning Commission on subdivision applications processed under delegated authority in the period for the month of September as listed below:
Subdivision Application Delegations
|
Att |
WAPC No/ Received Date |
Location / Owner |
DPS2 Zoning LDU Category |
Advice |
WAPC Advised |
|
1 |
SU1097-06 01/08/2006 |
LOT 243 (19) TAPLOW PARADE ASHBY WA 6065
JOHN J LUKEY & EXECUTIVE AUTO 2000 PTY LTD |
Urban Development
SCU1 |
Supported |
04/09/2006 |
|
2 |
SU1187-06 11/08/2006 |
LOT 135 (2) PAXTON WAY ASHBY WA 6065
DAVID M BROCHERIE |
Urban Development
SCU1 |
Supported |
15/09/2006 |
|
3 |
SU1284-06 31/08/2006 |
LOT 394 (10) FRASER ROAD QUINNS ROCKS WA 6030
SCOTT G PERRY & PETER PETROVSKY |
Residential
SCU6 |
NotSupprtd |
12/09/2006 |
|
4 |
SU1309-06 31/08/2006 |
LOT 1298 (14) STOKE COURT GIRRAWHEEN WA 6064
RICCARDO MATTEO |
Residential
SCU5 |
Supported |
05/09/2006 |
|
5 |
SU131103 11/09/2006 |
LOT 1 (620) GNANGARA ROAD LANDSDALE WA 6065
TELSTRA CORPORATION LTD |
Regional Reservation-Public Purposes SCU1 |
Supported |
29/09/2006 |
|
6 |
SU131996 03/08/2006 |
LOT 189 (119) CAROSA ROAD ASHBY WA 6065
DAVLY DEVELOPMENTS PTY LTD |
Urban Development
SCU1 |
Supported |
21/09/2006 |
|
7 |
SU132032 07/08/2006 |
LOT 104 (20) ARCHER STREET PEARSALL WA 6065
JAMES DUFF & LINDA DUFF |
Urban Development
SCU5 |
Supported |
06/09/2006 |
|
8 |
SU132040 07/08/2006 |
LOT 29 (19) LANDSDALE ROAD DARCH WA 6065
EDWARD P SMITH |
Urban Development
SCU1 |
Supported |
11/09/2006 |
|
9 |
SU132088 11/08/2006 |
LOT 920 (55) BENDIX WAY GIRRAWHEEN WA 6064
NICOLA S CROOK |
Residential
SCU5 |
Supported |
06/09/2006 |
|
10 |
SU132111 11/08/2006 |
LOT 36 (20) KEMP STREET PEARSALL WA 6065
GEORGE PHILLIPOS |
Urban Development
SCU5 |
Supported |
05/09/2006 |
|
11 |
SU132116 11/08/2006 |
LOT 815 (20) VERMONT APPROACH HOCKING WA 6065
ERA NOMINEES PTY LTD |
Urban Development
SCU1 |
Supported |
04/09/2006 |
|
12 |
SU132129 18/08/2006 |
LOT 1773 (43) CELEBRATION BOULEVARD CLARKSON WA 6030
KEVIN A BRINCAT & SIMMONE A BRINCAT |
Urban Development
SCU5 |
Supported |
06/09/2006 |
|
13 |
SU132134 17/08/2006 |
LOT 37 (14) DENMAN GARDENS LANDSDALE WA 6065
JOHN JK POTTS & LUCY POTTS |
Residential
SCU1 |
Supported |
18/09/2006 |
|
14 |
SU132136 21/08/2006 |
LOT 16 (18) EAST ROAD PEARSALL WA 6065
CINDY KOTSIS & WILLIAM KOTSIS |
Urban Development
SCU1 |
Supported |
22/09/2006 |
|
15 |
SU132200 22/08/2006 |
LOT 20 (176) NICHOLAS ROAD HOCKING WA 6065
FRANK GHALILI |
Urban Development
SCU1 |
Supported |
28/09/2006 |
|
16 |
SU132210 31/08/2006 |
LOT 68 (449) KINGSWAY LANDSDALE WA 6065
STOCKLAND WA DEVELOPMENT PTY LTD |
General Rural
SCU1 |
Supported |
22/09/2006 |
|
17 |
SU132222 05/09/2006 |
LOT 118 (1700) MARMION AVENUE TAMALA PARK WA 6030
TOWN OF CAMBRIDGE, CITY OF PERTH, CITY OF STIRLING, CITY OF WANNEROO, CITY OF JOONDALUP, TOWN OF VICTORIA PARK, TOWN OF |
Urban Development
SCU5 |
Supported |
12/09/2006 |
|
18 |
SU132300 30/08/2006 |
LOT 71 (140) ST ANDREWS DRIVE YANCHEP WA 6035
SUN CITY LTD |
Residential
SCU5 |
Supported |
11/09/2006 |
|
19 |
SU132356 01/09/2006 |
LOT 287 (12) AMERY DRIVE HOCKING WA 6065
LAURA FELL MANAGEMENT PTY LTD |
Urban Development
SCU5 |
Supported |
06/09/2006 |
|
20 |
SU132383 05/09/2006 |
LOT 215 (40) APPLEBY DRIVE DARCH WA 6065
KEITH L WELLS |
Urban Development
SCU5 |
Supported |
07/09/2006 |
|
21 |
SU132410 01/09/2006 |
LOT 204 (2) DELTA RISE LANDSDALE WA 6065
LOC V NGUYEN & HONG TB BIEN |
Urban Development
SCU5 |
Supported |
06/09/2006 |
|
22 |
SU1338-06 01/09/2006 |
LOT 189 (119) CAROSA ROAD ASHBY WA 6065
DAVLY DEVELOPMENTS PTY LTD |
Urban Development
SCU5 |
Supported |
06/09/2006 |
|
23 |
SU1424-06 01/09/2006 |
LOT 200 (132) OCEAN DRIVE QUINNS ROCKS WA 6030
STEPHEN T LONERGAN & SUSANNE V HEALES |
Residential
SCU5 |
Supported |
06/09/2006 |
|
24 |
SU1433-06 04/09/2006 |
LOT 117 (61) GOSFORD MEANDER ASHBY WA 6065
MARIE MARTIN |
Urban Development
SCU5 |
Supported |
07/09/2006 |
EndOfRecommendation - This line will not be printed Please do NOT delete
StartOfAttachment - Do not delete this line will not be printed

EndOfAttachment - Do not delete this line will not be printed
StartOfAttachment - Do not delete this line will not be printed

EndOfAttachment - Do not delete this line will not be printed
StartOfAttachment - Do not delete this line will not be printed

EndOfAttachment - Do not delete this line will not be printed
StartOfAttachment - Do not delete this line will not be printed

EndOfAttachment - Do not delete this line will not be printed
ATTACHMENT 5
StartOfAttachment - Do not delete this line will not be printed

EndOfAttachment - Do not delete this line will not be printed
ATTACHMENT 6
StartOfAttachment - Do not delete this line will not be printed

EndOfAttachment - Do not delete this line will not be printed
ATTACHMENT 7
StartOfAttachment - Do not delete this line will not be printed

EndOfAttachment - Do not delete this line will not be printed
ATTACHMENT 8
StartOfAttachment - Do not delete this line will not be printed

EndOfAttachment - Do not delete this line will not be printed
ATTACHMENT 9
StartOfAttachment - Do not delete this line will not be printed

EndOfAttachment - Do not delete this line will not be printed
ATTACHMENT 10
StartOfAttachment - Do not delete this line will not be printed

EndOfAttachment - Do not delete this line will not be printed
ATTACHMENT 11
StartOfAttachment - Do not delete this line will not be printed

EndOfAttachment - Do not delete this line will not be printed
ATTACHMENT 12
StartOfAttachment - Do not delete this line will not be printed

EndOfAttachment - Do not delete this line will not be printed
StartOfAttachment - Do not delete this line will not be printed

EndOfAttachment - Do not delete this line will not be printed
ATTACHMENT 14
StartOfAttachment - Do not delete this line will not be printed

EndOfAttachment - Do not delete this line will not be printed
ATTACHMENT 15
StartOfAttachment - Do not delete this line will not be printed

EndOfAttachment - Do not delete this line will not be printed
ATTACHMENT 16
StartOfAttachment - Do not delete this line will not be printed

EndOfAttachment - Do not delete this line will not be printed
ATTACHMENT 17
StartOfAttachment - Do not delete this line will not be printed

EndOfAttachment - Do not delete this line will not be printed
ATTACHMENT 18
StartOfAttachment - Do not delete this line will not be printed

EndOfAttachment - Do not delete this line will not be printed
ATTACHMENT 19
StartOfAttachment - Do not delete this line will not be printed

EndOfAttachment - Do not delete this line will not be printed
ATTACHMENT 20
StartOfAttachment - Do not delete this line will not be printed

EndOfAttachment - Do not delete this line will not be printed
ATTACHMENT 21
StartOfAttachment - Do not delete this line will not be printed

EndOfAttachment - Do not delete this line will not be printed
ATTACHMENT 22
StartOfAttachment - Do not delete this line will not be printed

EndOfAttachment - Do not delete this line will not be printed
ATTACHMENT 23
StartOfAttachment - Do not delete this line will not be printed

EndOfAttachment - Do not delete this line will not be printed
StartOfAttachment - Do not delete this line will not be printed

EndOfAttachment - Do not delete this line will not be printed
File Ref: S32/0001VO1
Responsible Officer: Director, Planning and Development
Disclosure of Interest: Nil
Author: William Barry
Meeting Date: 31 October 2006
Attachment(s): Nil
File Name: GA Nomination to Wanneroo Tourism Committee.doc This line will not be printed dont delete
StartStrip - This line will not be printed Please do NOT delete
Issue
To consider the nomination of Alison Pritchard to fill the Community Representative vacancy on the Wanneroo Tourism Committee (WTC)
Background
A vacancy has arisen for a Community Representative on the WTC, due to the resignation of Kim Cream, Marketing Coordinator for Yanchep National Park, from CALM. There are 7 Community Representatives on the committee. Each of these provides input for specific areas of tourism which are significant in Wanneroo. They are: Jennifer Harrison, Marketing Manager, Barbagallo Raceway; Paul Woodcock, Proprietor, Wanneroo Botanical Golf; Martin Smith, General Manager, Mindarie Marina; Bob Fawcett, Executive Officer, Wanneroo Business Association; Gordon Lamb, Proprietor, Yanchep Stables; Chris Waddell, Resident, Carabooda & General Manager, Corporate Affairs, Yanchep Sun City.
Detail
Yanchep National Park has nominated a new candidate for this vacancy. The new candidate is Alison Pritchard, Marketing-Coordinator for YNP.
Comment
Yanchep National Park is the most iconic Tourism Attraction in the City of Wanneroo. The City of Wanneroo has maintained a very close relationship with YNP ever since its creation in the 1930s.
Today CALM has significant plans for YNP to re-establish its unique status across metropolitan Perth. It is currently going through a significant re-branding exercise, extra promotion is being given to its separate facilities including the Caves, the Kiosk and Koala enclosure. It aims to claw back the high visitation numbers which have diminished over recent years, impacted in part by the bush fire in 2004. Accommodation at the Yanchep Inn is currently being extended making it the largest hotel style accommodation provider in the City.
CALM is committed to tourism and to the Tourism Strategy of the City of Wanneroo. It wishes to retain its position on the committee to ensure its contribution is effective. Its nominee has already shown to be an enthusiastic contributor at the SCTA meetings and has familiarised herself with key players across the City.
Statutory Compliance
Nil
Strategic Implications
This report aligns to the City's Strategic Plan and Tourism Strategy. In particular, one of the six outcome objectives under the Economic area of the City's strategic focus is to increase tourism within the region. In addition, the City's strategic plan includes an outcome objective under the Social area to improve the City's identity and community well-being through arts, culture, leisure and recreation. As the most iconic tourism attraction in the City of Wanneroo, it is appropriate that Yanchep National Park is represented on the board of the Tourism Committee.
Policy Implications
Nil
Financial Implications
Nil
Voting Requirements
Absolute Majority
EndStrip - This line will not be printed Please do NOT delete
Recommendation
That Council ENDORSES BY ABSOLUTE MAJORITY the nomination of Alison Pritchard to the position of Community Representative on the Wanneroo Tourism Committee.
EndOfRecommendation - This line will not be printed Please do NOT delete
File Ref: SD130626V01
File Name: HA Requested Closure of Portion of Road Reserve 1878 Wangara.doc This line will not be printed dont delete
Responsible Officer: Director Planning and Development
Disclosure of Interest: Nil
Author: T Neale
Meeting Date: 31 October 2006
Attachment(s): 1
StartStrip - This line will not be printed Please do NOT delete
Issue
To consider the permanent closure of part of a road reserve and the amalgamation of the land therein into an adjoining property.
Background
Dedicated road reserve number 1878 connects Callaway Street and Gnangara Road, Wangara. It was created several years ago but has never been named and is not constructed. The surrounding land is currently being subdivided for industrial purposes and part of the road reserve is to be incorporated into some of the new lots.
Detail
The subject road reserve is shown at Attachment 1. It is proposed to close a length of 112 metres at the eastern end, except for a 25 square metre section that is to be used for a Western Power transformer unit. The remainder of the road reserve to the west will be constructed and incorporated into the proposed industrial subdivision.
A triangular section comprising about 185 square metres at the eastern end abutting Lot 8 will remain pending an application by the owner of that land for its closure.
Consultation
Notification of the requested closure was given in the “Wanneroo Times” newspaper on 30 May 2006. No submissions were received in the 35 day submission period.
The public utilities were consulted and it has been ascertained that no services will be affected.
Comment
Closure of the road reserve will not diminish public amenity in the locality.
Statutory Compliance
The closure of road reserves is effected under Section 58 of the Land Administration Act 1997, which provides that a local government may resolve to request the Minister for Lands to close a road after it has given 35 days public notification of the proposal in a newspaper circulating in the district and has considered any objections received.
When closed the land within the road reserve becomes unallocated Crown land. Section 74 of the Land Administration Act 1997, empowers the Minister for Lands to sell Crown land by public auction, public tender or private treaty under such terms and conditions as the Minister sees fit.
Strategic Implications
The closure of the road reserve is consistent with the Economic Outcome Objective of the City’s Strategic Plan by increasing the availability of serviced industrial land.
Policy Implications
Nil
Financial Implications
The road closure and land division will not involve any expenditure by Council.
Voting Requirements
Simple Majority
EndStrip - This line will not be printed Please do NOT delete
Recommendation
That Council:-
1. SUPPORTS the closure of part of dedicated road reserve number 1878 Wangara as shown on Attachment 1 to this report.
2. SUPPORTS the amalgamation of the closed road reserve into the adjoining landholding, subject to the owner meeting all costs involved.
3. REQUESTS the Minister for Lands to close and dispose of the road reserve in accordance with the Land Administration Act 1997.
EndOfRecommendation - This line will not be printed Please do NOT delete
StartOfAttachment - Do not delete this line will not be printed

EndOfAttachment - Do not delete this line will not be printed
File Ref: C06059v01
File Name: AA TENDER NUMBER 06059 FOR THE SUPPLY OF ONE 1 FULL FORWARD CONTROL COMMERCIAL REFUSE COLLECTION TRUCK.doc This line will not be printed dont delete
Responsible Officer: Director Infrastructure
Disclosure of Interest: Nil
Author: Chris Hunt
Meeting Date: 31/10/2006
Attachment: Nil
StartStrip - This line will not be printed Please do NOT delete
Issue
To consider Tender No 06059 - The Supply of One [1] Full
Forward Control Commercial Refuse Collection Truck.
Background
The City’s current front-loading refuse truck 97004 was
purchased in November 2001 and has been approved for replacement as part of the
The
City’s Plant Replacement Programme was developed by taking into consideration
benchmarked replacement periods used in the civil construction and maintenance
industry for specified items of plant. The programme is reviewed on an annual
basis and the items of plant due for replacement are assessed to ascertain
their current condition, operational performance and recent maintenance
history. The outcome of this assessment may result in the requirement to
replace the items of plant earlier or later in the programme. As a result of a
recent assessment it was recommended that plant number 97004 be replaced.
On this basis provision was made2006/2007
Plant Replacement Programme to replace plant number 97004..
Detail
Tender Number 06059 – the Supply of One Full Forward Control Commercial Refuse Collection Truck was advertised on 16 September 2006 and closed on 3 October 2006.
The Tender Evaluation Team comprising the Fleet Coordinator, Fleet Officer and Waste Coordinator, evaluated the tenders in accordance with the following assessment criteria as detailed in the tender document:
· Price for the vehicle offered, trade in prices;
· Whole of life costings;
· Operational assessment; and
· Mechanical assessment.
1. Price for the Vehicle Offered
The following table summarises the tenders received for the supply and delivery of One Full Forward Control Commercial Refuse Collection Truck
|
Tenderer |
Machine /Options Offered |
Purchase Price |
|
Skipper Trucks |
Mitsubishi Fuso FS52JS2RFAA |
$ 328,520 |
|
|
Manuals & CD |
$ 350 |
|
|
Load Sensing Equipment |
$14,900 |
|
|
TOTAL COST |
$343,770 |
|
Skipper Trucks |
Iveco K2350G/285 |
$315,580 |
|
|
Manuals & CD |
$180 |
|
|
Load Sensing Equipment |
$14,900 |
|
|
TOTAL COST |
$330,660 |
2. Whole of Life Costing
Whole of life costs Of the Trucks offered have been assessed as follows
|
Item Description |
Skipper Trucks |
Skipper Trucks |
|
|
Mitsubishi FS52JS2RFAA |
Iveco K2350G/285 |
|
Purchase Price |
$343,770.00 |
$330,660 |
|
Trade Offered |
$ |
$ |
|
Nett Purchase Price |
$343,770.00 |
$330,660 |
|
Estimated Resale |
$141,833 |
$127,058 |
|
Service Cost |
$26,010 |
$23,646 |
|
Total Whole of Life Cost |
$227,947 |
$227,248 |
The following table details the rank achieved by each tender
|
Tender |
Rank |
|
Skipper Trucks - Iveco K2350G/285 |
1 |
|
Skipper Trucks – Mitsubishi FS52JS2RFAA |
2 |
3. Operational Assessment
Operational Assessment of the Mitsubishi FS52JS2RFAA was
conducted on the 11 November October 2006 in
relation to tender 06059. As an Iveco K2350G/285 is already operated within the
City’s fleet, it was considered unnecessary to demonstrate this truck again and
the previous evaluation has been used.
A demonstration of the Mitsubishi FS52JS2RFAA was conducted with the operator rating the vehicle on the same criteria as the previous evaluated Iveco K2350G/285.
The following table details the rank achieved by each tender
|
Tender |
Rank |
|
Skipper Trucks - Iveco K2350G/285 |
1 |
|
Skipper Trucks – Mitsubishi FS52JS2RFAA |
2 |
4. Mechanical Assessment
Fleet Maintenance attended the demonstration of the Mitsubishi FS52JS2RFAA and assessed the vehicle on the same criteria as the previous evaluation of the Skipper Trucks Iveco K2350G/285. The following table lists the rank achieved by each vehicle.
|
Tender |
Rank |
|
Skipper Trucks - Iveco K2350G/285 |
1 |
|
Skipper Trucks – Mitsubishi FS52JS2RFAA |
2 |
Overall Weighted Score
The overall ranking of the tenders, based on the whole of life costs, operational and mechanical assessment using the weighted score is:
|
Tender |
Rank |
|
Skipper Trucks - Iveco K2350G/285 |
1 |
|
Skipper Trucks – Mitsubishi FS52JS2RFAA |
2 |
Consultation
The City’s Fleet Management Steering Committee has reviewed this report and supports the recommendation.
Comment
The Tender for one Skipper Trucks Iveco K2350G/285 including the listed options of Technical Manuals and CD’s to aid servicing and maintenance and load sensing equipment to assist safe operation, is recommended as it scored highest in the assessment and provides the best overall value to the City.
Statutory Compliance
Tenders have been invited and evaluated against the selection criteria in accordance with section 3.57 of the Local Government Act and associated regulations.
The Manager Contracts & Property has reviewed the tender selection process for fairness and compliance and is satisfied with the evaluation process and result.
Strategic Implications
The provision of suitable trucks for Waste Management is consistent with the City of Wanneroo’s Strategic Plan (2006-2021) goals and strategies.
“Governance
4.3 Improve asset management”
Policy Implications
Nil
Financial Implications
Costs associated with accepting the tender from Skipper Trucks compared to budget are contained in the following table.
|
Tender |
Tender Price |
Budget Price |
Variance Under/(Over) |
|
Iveco K2350G/285 |
$330,660 |
$340,000 |
$9,340 |
Voting Requirements
Simple Majority
EndStrip - This line will not be printed Please do NOT delete
Recommendation
That Council ACCEPTS Tender No 06059 from Skipper
Trucks for the supply and delivery of one Iveco K2350G/285, CD and manuals and
with MacDonald Johnson Engineering MNL-27LW11 compactor body fitted with Load
Sensing Equipment for the amount of $330,660-00 in
accordance with the conditions of tendering.
EndOfRecommendation - This line will not be printed Please do NOT delete
File Ref: CO06065V01
File Name: AA THE SUPPLY AND DELIVERY OF PVC PIPE FITTINGS AND IRRIGATION SPRINKLERS FOR A PERIOD OF ONE 1 YEAR .doc This line will not be printed dont delete
Responsible Officer: Director, Infrastructure.
Disclosure of Interest: Nil
Author: David Green
Meeting Date: 31 October 2006
Attachment: Nil
StartStrip - This line will not be printed Please do NOT delete
Issue
To consider Tender No 06065 – the Supply and Delivery of PVC Pipe, Fittings and Irrigation Sprinklers for a period of one year.
Background
The City is responsible for the maintenance and installation of irrigation systems for public open spaces. Previously, the supply and delivery of PVC pipes and fittings, and the supply and delivery of irrigation sprinklers was supplied via two separate contracts as follows:
Contract No 03322 - the Supply and Delivery of PVC Pipes and Fittings for a period of Two Years was awarded to Total Eden Watering Systems. The contract commenced 1 December 2003 and prior to the contract expiry date on 30 November 2005, was extended for an additional twelve months to 30 November 2006.
Contract No 04414 - the Supply and Delivery of Irrigation Sprinklers for a period of Twelve Months was awarded to Total Eden Watering Systems. The contract commenced 1 December 2004 and prior to the contract expiry date on 30 November 2005, was extended for an additional Twelve Months to 30 November 2006.
It was determined after market testing that a number of suppliers are capable and interested in supplying both pvc pipes/fittings and irrigation sprinklers. It was decided to combine Contract No 03322 and Contract No 04414 to form one tender.
Due to the volatile petroleum market, which is used in the manufacture of fittings, the proposed contract is for a period of one year.
As both Contract Nos 03322 and 04414 expire on 30 November 2006, it was timely to merge the two contracts and advertise as a tender on 4 October 2006.
Detail
Tender No 06065 for the Supply and Delivery of PVC Pipes, Fittings and Irrigation Sprinklers for a period of One Year was advertised on 4 October 2006 and closed on 18 October 2006.
Essential details of the new contract are shown in the following table:
|
Contract Type: |
Schedule of Rates |
|
Contract Duration: |
One Year |
|
Commencement Date: |
1 November 2006 |
|
Expiry Date: |
31 October 2007 |
|
Extension Permitted: |
Yes (Up to 12 months or part thereof). |
|
Rise And Fall Included: |
No |
Tenders were received from the companies listed as follows:
· Custom Irrigation
· Total Eden Watering Systems Pty Ltd
· Elliotts Irrigation Pty Ltd
· Hugalls Merchandising Pty Ltd
Tender Evaluation
The Tender Evaluation Team, consisting of the Coordinator Contracts and Purchasing, the Contracts Officer and the Parks Maintenance Officer has evaluated the Tender submissions in accordance with the following selection criteria and weightings:
|
Item No |
Description |
Score |
|
1. |
Price for the services offered |
75% |
|
2. |
Tenderer’s previous experience in carrying out work similar to the service |
10% |
|
3. |
Tenderer’s resources |
10% |
|
4. |
Safety management |
5% |
Price for service offered
The contract will provide for the materials necessary for the maintenance and installation of irrigation systems. Based on each tenderers schedule of rates and the historical quantity of materials supplied, a calculation was effected to determine the total estimated value of materials for the contract period.
The materials contained in the tender are comprised of the following supplies:
· PVC pipes;
· Fittings;
· Solenoids;
· Hydrometers; and
· Sprinklers.
The pricing criterion represents 75% of the total score. The ranking and estimated value of works over the one year period of the contract is as follows:
|
Tenderer |
Estimated Value of works |
Ranking |
|
Elliotts Irrigation Pty Ltd |
$219,347 |
1 |
|
Total Eden Watering Systems Pty Ltd |
$219,410 |
2 |
|
Hugalls Merchandising Pty Ltd |
$220,027 |
3 |
|
Custom Irrigation |
$231,918 |
4 |
Tenderer’s previous experience in carrying out work similar to the service
All four Tenderers have experience in the supply and delivery of pvc pipes fittings and irrigation sprinklers for the City of Wanneroo and other Local Government Authorities and have therefore been ranked equal.
This criterion represents 10% of the total score and resulted in the following ranking:
|
Tenderer |
Ranking |
|
Custom Irrigation |
1 |
|
Total Eden Watering Systems Pty Ltd |
1 |
|
Elliotts Irrigation Pty Ltd |
1 |
|
Hugalls Merchandising Pty Ltd |
1 |
Reference checks were undertaken for Custom Irrigation, Total Eden Watering Systems Pty Ltd, Elliotts Irrigation Pty Ltd and Hugalls Merchandising Pty Ltd. The referees for these companies indicated that they had provided an acceptable service and therefore would recommend them to provide a similar service to other Local Authorities.
Tenderer’s Resources
Assessment of this criterion considered resources currently available to the tenderer to fulfil the contract.
Based on the tenderer’s submissions and the weighted criteria from the tender evaluation process, Elliotts Irrigation Pty Ltd received the highest rating due to the high level of resources available to service this contract.
This criterion represents 10% of the total score and resulted in the following ranking:
|
Tenderer |
Ranking |
|
Elliotts Irrigation Pty Ltd |
1 |
|
Total Eden Watering Systems Pty Ltd |
2 |
|
Hugalls Merchandising Pty Ltd |
3 |
|
Custom Irrigation |
4 |
Safety Management
The Safety Management Programmes submitted by Elliotts Irrigation Pty Ltd, Total Eden Watering Systems Pty Ltd and Custom Irrigation were considered acceptable and fully compliant with the conditions of the tender. Hugalls Merchandising Pty Ltd did not submit any safety management information in their tender submission. Elliotts Irrigation Pty Ltd and Total Eden Watering Systems Pty Ltd submitted an Occupational Health and Safety Management System and indicated that they have active accident/incident reporting procedure in place.
This criterion represents 5% of the total score and resulted in the following ranking:
|
Tenderer |
Ranking |
|
Elliotts Irrigation Pty Ltd |
1 |
|
Total Eden Watering Systems Pty Ltd |
1 |
|
Custom Irrigation |
2 |
|
Hugalls Merchandising Pty Ltd |
0 |
Overall weighted Scoring
The ranking of the tenders received, based on overall weighted score is shown below:
|
Tenderer |
Ranking |
|
Elliotts Irrigation Pty Ltd |
1 |
|
Total Eden Watering Systems Pty Ltd |
2 |
|
Custom Irrigation |
3 |
|
Hugalls Merchandising Pty Ltd |
4 |
Comment
The tender submission by Elliotts Irrigation Pty Ltd has been evaluated as the number one ranked tenderer in accordance with the selection criteria and weightings as detailed in the tender document, and is therefore recommended as the successful tenderer.
Statutory Compliance
Tenders have been invited and properly evaluated against the selection criteria in accordance with Section 3.57 of the Local Government Act and associated regulations. The tendering procedures and evaluation complies with the requirements of Part 4 of the Local Government (Function and General) regulations 1996.
The Manager Contracts and Property has reviewed the tender selection process for fairness and compliance and is satisfied with the evaluation process and result.
Strategic Implications
The Supply and Delivery of PVC Pipe, Fittings and Irrigation Sprinklers for a period of One Year is consistent with the following City of Wanneroo Strategic Plan (2006-2021) goals and strategies:-
“2.1 Increase choice and quality of neighbourhood and lifestyle options
2.1.2 Provide timely and functional public facilities and open spaces to meet changing community needs
4.3 Improve asset management
4.3.1 Develop and apply asset management principles to support the maintenance and management of public infrastructure and other assets”
Policy Implications
Nil.
Financial Implications
The estimated price for the one year duration of the contract, calculated on predicted volumes of maintenance and capital work is $240,000 per annum.
A budgeted figure of $220,000 is allocated in the 2006/2007 Infrastructure Maintenance Parks Budget for the supply and delivery of PVC pipe, fittings and irrigation sprinklers, an estimated additional $20,000 to be sourced from the City Capital Works Program.
Voting Requirements
Simple Majority
EndStrip - This line will not be printed Please do NOT delete
Recommendation
That Council ACCEPTS Tender No 06057 from Elliotts Irrigation Pty Ltd for the Supply and Delivery of PVC Pipe, Fittings and Irrigation Sprinklers for a period of one year, from 1 November 2006 to 31 October 2007, as per the schedule of rates and general conditions of tendering, with an option to extend the contract for a further 12 months to 31 October 2008 at the Council’s discretion.
EndOfRecommendation - This line will not be printed Please do NOT delete
File Ref: CO06063V01
File Name: AA THE PROVISION OF HERBICIDE SERVICES FOR A PERIOD OF ONE 1 YEAR .doc This line will not be printed dont delete
Responsible Officer: Director, Infrastructure.
Disclosure of Interest: Nil
Author: David Green
Meeting Date: 31 October 2006
Attachment(s): 1
StartStrip - This line will not be printed Please do NOT delete
Issue
To consider Tender No 06063 – the Provision of Weed Control Services for a Period of One year.
Background
The provision of weed control services has been contracted out successfully in the past. As part of the process the City awarded Contract No 03305 - The Provision of General Weed Control for a Period of Three Years to Turfmaster Facility Management from 1 October 2003 to 30 September 2006.
The one year period of the proposed new contract will give administration the opportunity to review how the City provides weed control services in the future.
As Contract No 03305 expired on 30 September 2006, the provision of general weed control services was therefore required to be advertised for tender.
Detail
Tender No 06063 – the Provision of Weed Control Services for a Period of One year
was advertised on 30 September 2006 and closed on 17 October 2006.
Essential details of the new contract are shown in the following table:
|
Contract Type: |
Schedule of Rates |
|
Contract Duration: |
One Year |
|
Commencement Date: |
1 November 2006 |
|
Expiry Date: |
31 October 2007 |
|
Extension Permitted: |
Yes (12 months or part thereof) |
|
Rise And Fall Included: |
No |
Tenders were received from the companies listed as follows:
· Turfmaster Facility Management
· Ausmic Environmental Industries
Tender Evaluation
The Tender Evaluation Team, consisting of the Coordinator Contracts and Purchasing, Senior Parks Maintenance Officer and Parks Supervisor evaluated the Tender submissions in accordance with the following selection criteria and weightings:
|
Item No |
Description |
Score |
|
1. |
Price for the services offered |
40% |
|
2. |
Tenderer’s previous experience in carrying out work similar to the service |
25% |
|
3. |
Tenderer’s resources |
20% |
|
4. |
Safety management |
15% |
Price for service offered
Based on each tenderers schedule of rates and the historical quantity and type of work carried out, a calculation was effected to determine the total estimated value of works for the contract period.
The services contained in the Tender (Attachment 1) are comprised of weed control activities to the following areas:
· Pathways;
· Kerb lines;
· Traffic calming devices (hard surface);
· Drainage sumps;
· Public access ways;
· Parks and Reserves;
· Garden areas; and
· Verges and medians.
The pricing criterion represents 40% of the total score. The ranking and estimated value of works over the one year life of the contract is as follows:
|
Tenderer |
Estimated Value of Works |
Ranking |
|
Ausmic Environmental Industries |
$326,391 |
1 |
|
Turfmaster Facility Management |
$337,680 |
2 |
Previous Experience
Based on the tenderer’s submissions and the weighted criteria from the tender evaluation process, both tenderers provided comprehensive tender submissions and have demonstrated experience in providing weed control services.
Turfmaster Facility Management has serviced contract No 03305 the Provision of General Weed Control for a period of three years. Turfmaster Facility Management have undertaken work to a satisfactory standard for the City of Wanneroo and other local governments over many years. During this period when servicing contracts for the City there has only been one incident of damage to non target weeds. On the occasions that re – work was required it was completed promptly and effectively.
The City contacted three of the referees provided by Turfmaster Facility Management, all provided very positive feedback.
Ausmic Environmental Industries have worked for the City on one occasion. On the occasion that re – work was required it was completed promptly and effectively.
The City in regard to this contract contacted three of the referees provided by Ausmic Environmental Industries, and two provided negative feedback.
This criterion represents 25% of the total score and resulted in the following ranking:
|
Tenderer |
Ranking |
|
Turfmaster Facility Management |
1 |
|
Ausmic Environmental Industries (WA) |
2 |
Tenderer’s Resources
Both tenderers provided comprehensive tender submissions. Turfmaster Facility Management having demonstrated they have, over a long period, serviced significantly larger contracts than Ausmic Environmental Industries (WA) and are considered to have the available resources to be able to more effectively service the contract.
This criterion represents 20% of the total score and resulted in the following ranking:
|
Tenderer |
Ranking |
|
Turfmaster Facility Management |
1 |
|
Ausmic Environmental Industries (WA). |
2 |
Safety Management
The two tenderers provided comprehensive and active safety management systems at their Operation Centres.
A recent site inspection was undertaken by the City of the premises of both tenderers. The inspection confirmed that both contractors had active safety management systems in place. Turfmaster Facility Management demonstrated an advanced chemical recycling system at its Operations Centre that contributed to the achievement of a higher score.
The Safety Management Programmes submitted by the two companies were considered acceptable and fully compliant with the conditions of the tender.
This criterion represents 15% of the total score and resulted in the following ranking:
|
Tenderer |
Ranking |
|
Turfmaster Facility Management |
1 |
|
Ausmic Environmental Industries (WA) |
2 |
Overall Ranking Assessment
The weighted score analysis process determined that:
· The tendered prices were assessed as reasonable and comparable to current industry rates.
· Both tenderers addressed the selection criteria and were assessed as having the necessary resources, safety management procedures and previous experience in carrying out services similar to those defined within the tender requirements.
Turfmaster Facility Managements demonstrated an overall capacity to better service the contract than Ausmic Environmental Industries, scoring significantly higher in the resources criteria.
This resulted in the following overall ranking:
|
Tenderer |
Ranking |
|
Turfmaster Facility Management |
1 |
|
Ausmic Environmental Industries (WA) |
2 |
Comment
The tender submission by Turfmaster Facility Managements has been evaluated as the number one ranked tenderer in accordance with the selection criteria and weightings as detailed in the tender document, and is therefore recommended as the successful tenderer.
Statutory Compliance
Tenders have been invited and properly evaluated against the selection criteria in accordance with Section 3.57 of the Local Government Act and associated regulations. The tendering procedures and evaluation complies with the requirements of Part 4 of the Local Government (Function and General) regulations 1996.
The Manager Contracts and Property has reviewed the tender selection process for fairness and compliance and is satisfied with the evaluation process and result.
Strategic Implications
The Provision of Weed Control Services for a period of One (1) Year is consistent with the following City of Wanneroo Strategic Plan (2006-2021) goals and strategies:-
“2.1 Increase choice and quality of neighbourhood and lifestyle options
2.1.2 Provide timely and functional public facilities and open spaces to meet changing community needs
4.3 Improve asset management
4.3.1 Develop and apply asset management principles to support the maintenance and management of public infrastructure and other assets”
Policy Implications
Nil
Financial Implications
The estimated price for the one year duration of the contract, calculated on predicted volumes of weed control work is $337,680 per annum. A budgeted figure of $360,000 is allocated in the 2006/2007 Infrastructure Maintenance Parks Budget for the provision of weed control.
Voting Requirements
Simple Majority
EndStrip - This line will not be printed Please do NOT delete
Recommendation
That Council ACCEPTS Tender No 06063 from Turfmaster Facility Managements for the Provision of Weed Control Services, as per the schedule of rates and general conditions of tendering, for a period of one year from 1 November 2006 to 31 October 2007, with an option to extend the contract for a further 12 months to 31 October 2008 at the Council’s discretion.
EndOfRecommendation - This line will not be printed Please do NOT delete
ATTACHMENT 1
StartOfAttachment - Do not delete this line will not be printed
|
THE PROVISION OF WEED CONTROL SERVICES FOR A PERIOD OF ONE YEAR |
|
|
ITEM |
DESCRIPTION |
|
LOCATION SPECIFIC |
|
|
PATHWAYS |
|
|
1 |
Supply and application of a mix of Roundup at 9 litres per hectare and Simazine at 6 kilograms per hectare |
|
KERB LINES |
|
|
2 |
Supply and application of a mix of Roundup at 9 litres per hectare and Simazine at 6 kilograms per hectare |
|
TRAFFIC CALMING DEVICES (HARD SURFACE) |
|
|
3 |
Supply and application of a mix of Roundup at 9 litres per hectare and Simazine at 6 kilograms per hectare |
|
DRAINAGE SUMPS |
|
|
4 |
Supply and application of a mix of Razor at 6 litres per hectare |
|
PUBLIC ACCESSWAYS |
|
|
5 |
Supply and application of a mix of Roundup at 9 litres per hectare and Simazine at 6 kilograms per hectare |
|
6 |
Supply and apply Razor at 6 litres per hectare |
|
7 |
Supply and apply Roundup at 9 litres per hectare |
|
8 |
Supply and apply of a mix of Roundup at 9 litres per hectare and Simazine at 6 kilograms per hectare |
|
9 |
Supply and apply Simazine at 6 kilograms per hectare |
|
10 |
Supply and apply Fusilade Forte at 4 litres per hectare |
|
11 |
Supply and apply Spearhead at 5 litres per hectare |
|
12 |
Supply and apply Pantera at 0.25 litres per hectare |
|
13 |
Supply and apply a mix of Pantera at 0.25 litres per hectare and Simazine at 6 kilograms per hectare |
|
14 |
Supply and apply Targa at 0.25 litres per hectare |
|
15 |
Supply and apply Ronstar at 200 kilograms per hectare |
|
16 |
Supply and apply Casoron (granular) at 60 kilograms per hectare |
|
17 |
Supply and apply a mix of Spearhead at 5 litres per hectare and Simazine at 6 kilograms per hectare |
|
18 |
Supply and apply spray pattern indicator (Rodenone free) |
|
19 |
Supply only Kwikin |
|
20 |
Supply only Pulse Penetrant |
EndOfAttachment - Do not delete this line will not be printed
File Ref: R27/0069V01
File Name: BA Parking Prohibitions James Cook Avenue Santa Barbara Parade and Sirus Ramble Quinns Rocks.doc This line will not be printed dont delete
Responsible Officer: Director Infrastructure
Disclosure of Interest: Nil
Author: Glenn Shaw
Meeting Date: 31 October 2006
Attachment(s): 1
StartStrip - This line will not be printed Please do NOT delete
Issue
To consider the provision of parking prohibitions on James Cook Avenue, Santa Barbara Parade, Palm Corner, Sirius Ramble and Yorlor Way, Quinns Rocks.
Background
The Quinns Beach Primary School’s Road Safety Committee and local residents have raised this issue. Currently parents are parking on any available area of the carriageway or nature strip on James Cook Avenue, Santa Barbara Parade, Palm Corner Sirius Ramble and Yorlor Way and thereby restricting access and sight distance for child pedestrians and causing severe congestion.
Detail
The extent of the parking problems has been verified by Administration through the discussions with the school’s Road Safety Committee, feedback from local residents and field investigations.
Illegal and inappropriate parking within the school precinct restricts traffic movement for residents and parents, obstructs footpath access and compromises sight distance for child pedestrians and cyclists.
Due to the minimum carriageway width of Sirius Ramble, Palm Corner and Yorlor Way, vehicle movement and vehicle circulation are severely restricted when parked vehicles occupy one side of the carriageway outside of the parking embayments. The proposed Parking Prohibitions will formalise the parking arrangements on these roads and allow for improved vehicle access and egress for residents and parents.
The existing school Kiss and Drive facility (facility) on Santa Barbara Parade has been in place since 2004. However, the appropriate function of the facility and level of support by parents and staff has varied over this period. In order to limit the impact of long-term parent parking from occurring, 3 minute time limited parking is proposed.
The proposed parking prohibitions on James Cook Avenue, Santa Barbara Parade, Palm Corner Sirius Ramble and Yorlor Way are detailed on Drawing 2162-1-1 – Attachment 1 refers.
Consultation
A mailout to affected residents was actioned on 28 September 2006. Administration received one response as part of the consultation process with the resident requesting the extension of the parking prohibitions on the southern side of Yorlor Way carriageway. In supporting the resident’s request, modifications to the parking prohibition proposal are shown on the revised Drawing 2162-1-1.
Ranger and Safety Services have been consulted regarding the proposed parking prohibitions and the impact to Rangers staff resources to enforce compliance.
Comment
The installation of the proposed 5 minute time limited parking prohibitions on Sirius Ramble will encourage a higher turnover of vehicles and improve the parking opportunities for parents with younger children who are required to be escorted to the class rooms on the eastern side of the school. The proposed 3 minute time limited parking prohibitions and the extension of the Kiss n Drive facility on Santa Barbara Parade will restrict long term parking from occurring and encourage a higher turn-over of vehicles.
It should be noted that with the recent introduction of time limited parking at the Clarkson Train Station, the Kingsbridge Shopping Centre, Clarkson District Centre and as proposed for Quinns Beach Primary School the resultant parking prohibition enforcement will add a significant additional work commitment for the City’s Rangers and Safety Services to ensure compliance. Due to these commitments, the proposed parking prohibition provisions for Quinns Beach Primary School will be enforced on an infrequent basis.
To maximize the impact of the parking prohibition proposal and limit inappropriate parking from occurring, the school’s road safety committee will be encouraged to develop and promote parking strategies in support of City Rangers.
Statutory Compliance
The installation of parking prohibition signage and yellow edge lines will allow the enforcement of Part 4 Clause 38 of the City’s Parking and Facilities Local Law 2003(as amended). Regulation 143(3) of the Traffic Code 2000 indicates that vehicles are not allowed to stop within 10 metres of an intersection or carriageway. The yellow edge line will allow the enforcement of this particular section of the Traffic Code and enhance sight distance at intersections.
Strategic Implications
The proposal to install parking prohibitions signs on James Cook Avenue, Santa Barbara Parade, Palm Corner Sirius Ramble, and Yorlor Way is consistent with the following City of Wanneroo Strategic Plan 2006-2021 outcome objectives:
“Social
2.4 Improve community safety
2.4.1 Implement a range of road safety initiatives to improve the standard of the road network and user behaviour.”
Policy Implications
Nil
Financial Implications
The provision of parking prohibitions incurs not only the initial cost of materials and installation of the signs but also the ongoing cost of maintenance due to vandalism and graffiti. Current estimates for materials and installation are $100/sign and $5/metre for edge lines, equating to an appropriate cost of $5,000 and is proposed to be funded from Project No PR – 1099, ie Implement Traffic Management Works Unspecified, for which a total of $50,000 has been approved by Council in the 2006/2007 Capital Works budget.
The enforcement of parking prohibitions over an increasing number of sites also impacts on the manpower needs of Ranger Services resulting in increased staff requirements.
Voting Requirements
Simple Majority
EndStrip - This line will not be printed Please do NOT delete
Recommendation
That Council:-
1. APPROVES the installation of “NO STOPPING ROAD OR NATURE STRIP” signs and yellow edge lines on James Cook Avenue, Santa Barbara Parade, and Sirius Ramble as shown on Drawing 2162-1-1.
2. APPROVES the installation of “NO STOPPING 7.30-9AM 1.30-4PM SCHOOL DAYS” on Palm Corner, Sirius Ramble, Yorlor Corner as shown on Drawing 2162-1-1.
3. APPROVES the installation of “5 MINUTE PARKING 7.30-9AM 1.30-4PM SCHOOL DAYS” on Sirius Ramble as shown on Drawing 2162-1-1.
4. APPROVES the installation of “3 MINUTE PARKING 7.30-9AM 1.30-4PM SCHOOL DAYS” on Santa Barbara Parade as shown on Drawing 2162-1-1.
6. ADVISES residents of Palm Corner, Sirius Ramble and Yorlor Way, Quinns Rocks of Council’s decision.
7. ADVISES the Principal of Quinns Beach Primary School of Council’s decision.
EndOfRecommendation - This line will not be printed Please do NOT delete
ATTACHMENT 1
StartOfAttachment - Do not delete this line will not be printed

EndOfAttachment - Do not delete this line will not be printed
File Ref: S02/0006V01
File Name: BA CITY OF WANNEROO ROADWISE ADVISORY COMMITTEE.doc This line will not be printed dont delete
Responsible Officer: Director Infrastructure
Disclosure of Interest: Nil
Author: Karen Delves
Meeting Date: 31 October 2006
Attachments: Nil
StartStrip - This line will not be printed Please do NOT delete
Issue
To consider the endorsement of two Community Members to the City of Wanneroo RoadWise Advisory Committee.
Background
Council, at its meeting on 14 August 2001, endorsed the establishment of the City of Wanneroo RoadWise Advisory Committee (Report W331–08/01 refers) to continue promoting the safe use of the road network by motorists, pedestrians and cyclists. It was also established to raise awareness of existing and potential road safety problems and implement strategies to solve them.
The City of Wanneroo RoadWise Advisory Committee Terms of Reference adopted by Council at its meeting on 1 February 2005 (TS05-01/05 refers) endorsed the following representatives:
· City of Wanneroo Councillor representatives (2);
· Up to four Community Members (4);
· Police Service Representative (1);
· Fire and Emergency Services Authority of WA (FESA) representative (1);
· Main Roads Western Australia (MRWA) Traffic Section representative (1);
· Western Australian Local Government Association RoadWise representative (1);
· City of Wanneroo’s Director Technical Services (now Director Infrastructure) or nominated representative (Traffic Engineer) (1);
· City of Wanneroo’s Traffic and Road Safety Officer, (now Coordinator Transport and Traffic) (1).
The first official meeting of the City of Wanneroo RoadWise Advisory Committee was held on 22 August 2001 when a Chairman of the Committee was appointed along with representatives from the various organisations noted above. Subsequent to the meeting an advertisement was placed in the ‘Wanneroo Times’ in September 2001 calling for the nomination of community members. Four applications were received for nomination to the Committee and all four were accepted at that time.
In 2004, as a consequence of two community members resigning and two members not formally appointed by Council for the two year endorsement period, a further advertisement was placed in the ‘Wanneroo Link’ on 20 January 2004 calling for nominations of community members by 3 February 2004. With no nominations received in response, the two remaining community representatives, Mr Andrews and Mr Street were re-appointed by Council at its meeting on 16 March 2004 (TS06-03/04 refers).
Detail
As the current membership for community members exceeds the two-year nomination period, an advertisement calling for nominations was put in the “Wanneroo Link” dated Tuesday 28 February 2006 with the closing date being 13 March 2006. Again there were no nominations. The two existing community representatives Mr Andrews and Mr Street were sent correspondence and nomination forms requesting re-nomination. Mr Andrews declined the nomination and resigned from the Committee.
A recent internal audit of Council committees undertaken to ensure best practice and compliance to legislation resulted in a standard terms of reference template being compiled to ensure that the development of documents achieved compliance.
The inclusion of the clause has not changed the purpose or aim of the Committee, it is an administrative amendment to comply fully with legislation and serves to bring the terms of reference into line with the City’s standard.
“2.3 Membership shall be for a period of two years terminating on the day of the Ordinary Council elections, with retiring members eligible to apply.”
Comment
At its meeting on 20 September 2006, the Wanneroo RoadWise Advisory Committee was presented with two community nominations for endorsement, from Mr Street, renominated and Mr Hewer, a new nomination.
Mr Street is the business proprietor of Wanneroo Towing Services, and although residing in the suburb of Beldon (City of Joondalup), he has business premises situated on Gnangara Road, Landsdale.
Mr Street has been on the Wanneroo RoadWise Advisory Committee as a contributing member since 21 November 2001 and has proved to be a worthwhile member. He has committed considerable time to the caravan/trailer events, particularly towing the driver/reviver caravan to its official launch site at the Ocean Keys Shopping Centre, Clarkson, and the driver/reviver project. Mr Street’s experiences, skills, attributes and qualifications are listed below:
· Past unofficial member of the Wanneroo RoadWise Advisory Committee;
· Completed Road Transport Training Council WA (inc) Defence Drivers’ Course 1992;
· Completed Road Transport Training Council WA Tow Truck Operations Course 1992;
· Volunteer warden at Blue Light Drags – organised by the WA Police Service.
Mr Hewer is a new nominee and his experience, skills, attributes and qualifications are listed below:
· resided in the City of Wanneroo for the last eight years;
· represented the residents of Carramar and Tapping in relation to a number of accidents at Joondalup Drive and Wanneroo Road junction;
· presently the Chairperson of the Carramar and Tapping Residents Association;
· represents all age groups in all aspects, of road safety;
· involved in the Carramar Primary School RoadWise Committee and parking problems;
· has a positive attitude to all matters of road safety issues;
· chairperson of the CTRA, until recently a member of the CEAG and the RRF to be built at Neerabup;
· was instrumental in getting a green turn right light at the intersection of Joondalup Drive and Wanneroo Road which helped, but did not stop the accidents, so he continued to lobby Main Roads WA to upgrade this intersection;
· is interested in this position as the City of Wanneroo is continually growing and he would be happy to have input on road safety issues and hopefully make our roads a lot safer.
The Committee’s recommendation, at its meeting held on Wednesday 20 September 2006, was unanimous for both Mr Street and Mr Hewer to be endorsed as a Community Members.
At its meeting on 9 May 2005, Council appointed, BY ABSOLUTE MAJORITY, Councillors Newton, Monks and Steffens to the City of Wanneroo RoadWise Advisory Committee. The Terms of Reference adopted by Council on 1 February 2005 endorsed two City of Wanneroo Councillor representatives and a modification is required to reflect the later resolution to appoint three Councillors
Statutory Compliance
Section 5.10 of the Local Government Act 1995 provides the ability to appoint persons to Committees by an absolute majority decision.
Statutory Compliance
Nil
Strategic Implications
The establishment of the City of Wanneroo RoadWise Committee is consistent with the City of Wanneroo Strategic Plan (2006-2021) goals and strategies:
“2. SOCIAL
2.4: Improve community safety;
2.4.1. Implement a range of road safety initiatives to improve the standard of the road network and user behaviour;
2.4.2. Develop and implement community safety education initiatives”
Policy Implications
Nil
Financial Implications
Nil
Voting Requirements
Absolute Majority
EndStrip - This line will not be printed Please do NOT delete
Recommendation
That Council:-
1. APPOINTS by an ABSOLUTE MAJORITY, Mr Street and Mr Hewer as Community Members to the City of Wanneroo RoadWise Advisory Committee with their membership being in accordance with the City of Wanneroo RoadWise Advisory Committee Terms of Reference.
2. ADOPTS the amended Terms of Reference of the City of Wanneroo RoadWise Advisory Committee to reflect the City of Wanneroo’s standard requirements as detailed below:
TERMS OF REFERENCE
City of Wanneroo Roadwise Advisory Committee
October 2006
|
Name:
|
City of Wanneroo Roadwise Advisory Committee
|
|
Role/Purpose:
|
To provide a forum for community liaison, implement community road safety projects and to provide advice to the City of Wanneroo on traffic and road safety issues that affects the residents and transport users within the City.
|
|
Aims & Function:
|
1.1 Encourage safe use of the City's road network by motorists, pedestrians and cyclists.
1.2 Become aware of existing and potential road safety problems, and recommend strategies to solve them.
1.3 Lead and encourage interested community members to implement strategies to address road safety issues.
1.4 Provide a means of two way communication and participation between the community and the City of Wanneroo on matters pertaining to road safety.
1.5 Improve inter-agency collaboration and co-ordination. 1.6 Enhance public education and increase promotion and advocacy on the issues of: · Reducing speeding · Reducing trip travel speeds · Improving the safety of roads · Countering Drink Driving · Increasing the awareness of factors affecting driver ability, for example driving tired · Improving the Police Service’s WA effectiveness in enforcement · Proper use of restraints for the safety of vehicle occupants · Planning a safer local travel network · Safer modes of transport
1.7 Provide feedback to the Office of Road Safety on planned legislation and new changes to road rules.
1.8 Identify and recommend funding sources to Council to implement road safety projects. |
|
Membership: |
2.1 The Committee shall consist of the following representation: · Councillor representatives from the City of Wanneroo (3); · Up to four Community representatives (4); · Police Service representative (1); · Fire and Emergency Services Authority of WA (FESA) representative (1); · Main Roads Western Australia (MRWA) Traffic Section representative (1); · Western Australian Local Government Association RoadWise representative (1); · City of Wanneroo’s Director Infrastructure or nominated representative (Traffic Engineer) (1)
2.2 A nominated proxy member may attend in place of the endorsed representative member.
2.3 Membership shall be for a period of two years terminating on the day of the Ordinary Council elections, with retiring members eligible to apply in accordance with the selection criteria described in the Terms of Reference (ToR) Appendix 1.
2.4 Committee membership shall be appointed or removed by the Council.
2.5 Members must comply with the City’s Code of Conduct.
2.6 The Committee has authority to second individuals from outside of the committee, on a voluntary basis, for their expert advice.
2.7 The Committee may recruit members according to the terms of reference.
2.8 Maximum Total on Committee is 14.
|
|
Operating Procedures:
|
3.1 Presiding member:
a) The members of a committee are to elect a presiding member and deputy presiding member from amongst themselves at the first meeting of the committee and in accordance with the Local Government Act 1995, Schedule 2.3, Division 1.
b) The CEO or delegated nominee will attend the first meeting to conduct the election of the Presiding Member or at a subsequent meeting if a new Presiding Member is to be elected.
c) The Presiding Member will preside at all meetings.
d) In the absence of the Presiding Member, the Deputy Presiding member will assume the chair, and in his absence, a person is to be elected by the committee members present to assume the Chair.
e) The Presiding Member is responsible for the proper conduct of the committee.
3.2 Meetings:
a) The Committee shall meet on a regular basis as determined by the nominated Committee members.
b) All meeting dates are to be provided in Councillors Clipboard and in the City of Wanneroo diary.
c) A Notice of Meetings including an agenda will be circulated to the Committee members at least 72 hours prior to each meeting where possible. The format of the agenda will be as shown in ToR Appendix 2.
d) The Presiding Member shall ensure that detailed minutes of all meetings are kept and shall, not later than 5 business days after each meeting, provide the members (plus all elected members) with a copy of such minutes. The minutes are to be available for public inspection.
e) Copies of all minutes are to be forwarded electronically, through PowerDocs, to Governance for filing in the elected members reading room.
f) All agenda and minute documentation to be generated through Council’s Romark Reporting System.
g) A Committee decision does not have effect unless it has been made by a simple majority. A simple majority is the agreement of not less than half of the votes present at the meeting.
h) All endorsed members (or the proxy attending in lieu of the elected member) of the committee will have one vote. The Presiding Member will have the casting vote and simple majority will prevail.
3.3 Quorum:
The quorum for a meeting shall be at least 50% of the number of endorsed members.
3.4 Administration:
Administration support for the Committee will be provided by the City of Wanneroo. That support person will be a Technical Services Administration Officer.
|
|
Appointing Legislation |
4.1 The Committee is appointed as an advisory committee to the City of Wanneroo Council under Part 5-Administration, Section 5.9 (c) of the Local Government Act 1995.
4.2 The Council in accordance with the Local Government Act 1995, will assign the powers pertaining to these Terms of Reference to the Roadwise Advisory Committee as an appointed advisory committee of Council.
|
|
Delegated Authority: |
5.1 The Committee has no delegated power and has no authority to implement its recommendations without approval of Council.
5.2 The Committee has no delegated authority to commit Council to the expenditure of monies.
5.3 Matters requiring Council consideration will be subject to separate specific reports to Council.
5.4 The Committee has the authority to establish sub-working committees as required to address specific purposes of the committee.
|
|
Action Plan |
6.1 The Committee will develop an Action Plan on an annual basis. The form of the Action Plan will typically be a table as shown in Appendix 3.
6.2 The Action Plan will for the basis for applications for Council Budget funding.
6.3 The Action Plan must be reported to Council before the end of February each year.
6.4 Expenditure required to implement an Action Plan adopted by Council must obtain authorisation within the normal budget administrative processes.
6.5 Donations and other funds collected through the RoadWise operations must be recorded as Council income in accordance with financial procedures for petty cash.
6.6 Advertising and other support for non-government organisations or private companies arising from implementing the Action Plan require the specific approval of the Chief Executive Officer/Council.
|
3. The Office of the Mayor EXPRESSES its appreciation to Mr Andrews for his participation in the RoadWise Committee.
EndOfRecommendation - This line will not be printed Please do NOT delete
File Ref: R/00015V01
Responsible Officer: Director Infrastructure
Disclosure of Interest: Nil
Author: Harminder Singh
Meeting Date: 31 October 2006
Attachment: Nil
File Name: FA Amendment to Supplementary AusLink Roads to Recovery Program.doc This line will not be printed dont delete
StartStrip - This line will not be printed Please do NOT delete
Issue
To consider an amendment to the “Works Schedule” of projects to be undertaken using funding allocated under the Supplementary AusLink Roads to Recovery Program (SAR2RP).
Background
In May 2006, as part of the 2006/07 Federal budget announcements, a one-off grant payment was offered to local governments under the SAR2RP. Council at its meeting on 19 September 2006 endorsed a “Works Schedule” listing of the projects to be undertaken as part of this Program. The endorsed “Works Schedule” was submitted to the Australian Government Department of Transport and Regional Services (DOTARS). DOTARS has rejected one of the projects listed in the “Works Schedule” and directed the City to replace the rejected project with alternate project(s). This report considers an amendment to the endorsed “Works Schedule” for the SAR2RP.
Detail
Council considered a report at its meeting on 19 September 2006 (Item IN 06-09/06 refers) and adopted a number of resolutions including the following:
“That Council:-
1. ENDORSES the following program of roadworks to be funded under the Supplementary AusLink Roads To Recovery Program:
|
Proposed Year of construction |
Road Name |
Suburb |
Road Segment (km) |
Segment Length (m) |
Estimated Cost ($) |
Accumulated Total ($) |
|
Road Resurfacing Projects |
||||||
|
2006/2007 |
Moorpark Ave |
Yanchep |
0.01-0.87 |
860 |
$141,000 |
$141,000 |
|
2006/2007 |
Moorpark Ave |
Yanchep |
0.87-1.42 |
550 |
$106,000 |
$247,000 |
|
2006/2007 |
Russley Grove |
Yanchep |
0.00-0.34 |
340 |
$56,000 |
$303,000 |
|
2007/2008 |
Burbridge Ave |
Koondoola |
0.00-0.98 |
980 |
$189,000 |
$492,000 |
|
2007/2008 |
Clover Square |
Girrawheen |
0.00-0.60 |
600 |
$111,000 |
$603,000 |
|
2007/2008 |
Shelvock Cres |
Koondoola |
0.00-0.39 |
390 |
$79,226 |
$682,226 |
|
Shared Pathway |
|||||
|
2006/2007 |
Drovers Place |
Wanneroo |
600 metres Shared Pathway |
$38,000 |
$720,226 |
|
Total Cost proposed against the Supplementary AusLink R2R Grant Program |
$720,226 |
||||
2. ADVISES the Department of Transport and Regional Services (DOTARS) of the proposed schedule of additional road projects that will be funded under the Supplementary AusLink Roads to Recovery Program.
3. Pursuant to Section 6.8.1 (b) of the Local Government Act 1995, APPROVE BY ABSOLUTE MAJORITY, the expenditure of $341,000 on the following projects:
· Moorpark Road, Yanchep – Road Resurfacing $247,000
· Russley Grove, Yanchep – Road Resurfacing $56,000
· Drovers Place, Wanneroo – Shared Pathway $38,000
4. NOTES the following budget variation to the 2006/2007 Capital Works Budget to transfer the Supplementary AusLink Roads To Recovery payment of $341,000 as indicated below.
|
Project No |
From |
To |
Description |
|
Restricted Federal Grants |
$341,000 |
|
Supplementary AusLink Roads to Recovery Grant |
|
Project No PR–1062 Work Order - W4812 |
|
$38,000 |
Construct New Pathways – Drovers Place |
|
Project No PR–1254 |
|
$247,000 |
Moorpark Road, Yanchep Road Resurfacing |
|
Project No PR–1255 |
|
$56,000 |
Russley Grove, Yanchep Road resurfacing |
The “Works Schedule” incorporating projects endorsed in the first resolution were submitted to the DOTARS website to comply with the program guidelines. SAR2RP Coordinator from DOTARS has advised that the project involving the provision of a new pathway in Drovers Place, Wanneroo, does not comply with the Program guidelines and suggested that the City replaces this project with alternate project(s) complying with the Program guidelines. Subsequent clarification with the Coordinator has indicated that the SAR2RP funds can only be used for pathways constructed as part of a roadworks project or for bike paths if strong justification is provided in this regard. Since the proposed pathway in Drovers Place is predominantly for use by pedestrians and is not part of a roadworks project, this project does not comply with the SAR2RP guidelines. It is therefore necessary to delete this project ($38,000) from the “Works Schedule” and include other project(s) to the value of $38,000 to meet the program guidelines.
At its meeting on 19 September 2006, Council endorsed the following Road Resealing Program:
|
2006/07 Priority Listing |
Road Name |
Suburb |
Road Segment (km) |
Road Length (m) |
Estimated Cost ($) |
Accumulated Total ($) |
|
2 |
Westgate Way |
Marangaroo |
0.04-0.43 |
390 |
$72,000 |
$72,000 |
|
3 |
Northumberland Ave |
Alexander Heights |
0.20-0.73 |
530 |
$116,000 |
$188,000 |
|
17 |
Northumberland Ave |
Alexander Heights |
0.00-0.20 |
200 |
$42,000 |
$230,000 |
|
6 |
Mosey Street |
Landsdale |
0.26-0.31 |
50 |
$14,000 |
$244,000 |
|
7 |
Wanjina Crescent |
Wanneroo |
0.17-0.65 |
480 |
$90,000 |
$334,000 |
|
9 |
Uringa Way |
Wanneroo |
0.00-0.30 |
300 |
$60,000 |
$394,000 |
|
13 |
Birnam Court |
Yanchep |
0.00-0.10 |
100 |
$18,000 |
$412,000 |
|
14 |
Mauna Court |
Yanchep |
0.00-0.05 |
50 |
$12,000 |
$424,000 |
|
15 |
Fullwell Court |
Yanchep |
0.00-0.03 |
30 |
$8,000 |
$432,000 |
|
Total 2006/2007 Road Reseal Program |
2,130 |
Total Cost |
$432,000 |
|||
It is proposed that road resealing works for roads listed at numbers 13, 14 and 15 be included in the “Works Schedule” to be undertaken using $38,000 SAR2RP funding that will become available from the deletion of the Construction of Pathway in Drovers Place from the ‘Works Schedule”. The $38,000 is currently allocated to the Road Resurfacing Program can then be reallocated to fund the construction of pathway in Drovers Place.
The amended “Works Schedule” will therefore now be as detailed below:
|
2006/07 Priority Listing |
Road Name |
Suburb |
Road Segment (km) |
Segment Length (m) |
Estimated Cost ($) |
Accumulated Total ($) |
Proposed Year of construction |
|
1 |
Moorpark Avenue |
Yanchep |
0.01-0.87 |
860 |
$141,000 |
$141,000 |
2006/2007 |
|
5 |
Moorpark Avenue |
Yanchep |
0.87-1.42 |
550 |
$106,000 |
$247,000 |
2006/2007 |
|
16 |
Russley Grove |
Yanchep |
0.00-0.34 |
340 |
$56,000 |
$303,000 |
2006/2007 |
|
4 |
Birnam Court |
Yanchep |
0.00-0.10 |
100 |
$18,000 |
$700,226 |
2006/2007 |
|
11 |
Mauna Court |
Yanchep |
0.00-0.05 |
50 |
$12,000 |
$712,226 |
2006/2007 |
|
22 |
Fullwell Court |
Yanchep |
0.00-0.03 |
30 |
$8,000 |
$720,226 |
2006/2007 |
|
13 |
Burbridge Avenue |
Koondoola |
0.00-0.98 |
980 |
$189,000 |
$492,000 |
2007/2008 |
|
14 |
Clover Square |
Girrawheen |
0.00-0.60 |
600 |
$111,000 |
$603,000 |
2007/2008 |
|
15 |
Shelvock Crescent |
Koondoola |
0.00-0.39 |
390 |
$79,226 |
$682,226 |
2007/2008 |
|
Total Cost proposed against the SAR2RP |
$720,226 |
2006/2007 & 2007/2008 |
|||||
A budget variation, as explained later in this report, is required to reflect this change in funding of these projects.
Consultation
Nil
Comment
Administration was only made aware after it had submitted the ‘works schedule’ that path construction proposals can only be considered for SAR2RP funding if such work forms part of a road project for which SAR2RP funding is sought and cannot be submitted as stand alone projects. In order to comply with the SAR2RP guidelines, it is therefore necessary to amend the “Works Schedule”.
Statutory Compliance
The “Works Schedule” for projects to be undertaken using SAR2RP funding has been prepared in accordance with the requirements of the Federal Government’s AusLink (National Land Transport) Act 2005.
Strategic Implications
The provision of infrastructure using SAR2RP funding is consistent with the following objectives and strategies from the City of Wanneroo’s Strategic Plan 2006-2021:
“Social
2.5 Improve Transport options and connections”
Policy Implications
Nil
Financial Implications
The amendment to the “Works Schedule” for the SAR2RP does not impose any additional financial implications on the City. Projects which were previously funded using municipal funding will now be funded under SAR2RP and the construction of the pathway in Drovers Place will now be funded using municipal funds. This will require a budget variation to amend the Infrastructure Works Budget to reflect the true funding sources for the affected projects. It is also noted that there may be income ($6,720) received for the Drovers Place pathway construction project from the developers of the Regents Garden Residential Care Resort at 33 Drovers Place, Wanneroo in accordance with the conditions of the Development Approval (DA06/0461) issued by the City on 9 October 2006.
Voting Requirements
Simple Majority
EndStrip - This line will not be printed Please do NOT delete
Recommendation
That Council:-
1. APPROVES the following amended “Works Schedule” for projects to be undertaken as part of the Federal Government’s Supplementary AusLink Roads to Recovery Program.
|
2006/07 Priority Listing |
Road Name |
Suburb |
Road Segment (km) |
Segment Length (m) |
Estimated Cost ($) |
Accumulated Total ($) |
Proposed Year of construction |
|
1 |
Moorpark Avenue |
Yanchep |
0.01-0.87 |
860 |
$141,000 |
$141,000 |
2006/2007 |
|
5 |
Moorpark Avenue |
Yanchep |
0.87-1.42 |
550 |
$106,000 |
$247,000 |
2006/2007 |
|
16 |
Russley Grove |
Yanchep |
0.00-0.34 |
340 |
$56,000 |
$303,000 |
2006/2007 |
|
4 |
Birnam Court |
Yanchep |
0.00-0.10 |
100 |
$18,000 |
$700,226 |
2006/2007 |
|
11 |
Mauna Court |
Yanchep |
0.00-0.05 |
50 |
$12,000 |
$712,226 |
2006/2007 |
|
22 |
Fullwell Court |
Yanchep |
0.00-0.03 |
30 |
$8,000 |
$720,226 |
2006/2007 |
|
13 |
Burbridge Avenue |
Koondoola |
0.00-0.98 |
980 |
$189,000 |
$492,000 |
2007/2008 |
|
14 |
Clover Square |
Girrawheen |
0.00-0.60 |
600 |
$111,000 |
$603,000 |
2007/2008 |
|
15 |
Shelvock Crescent |
Koondoola |
0.00-0.39 |
390 |
$79,226 |
$682,226 |
2007/2008 |
|
Total Cost proposed against the Supplementary AusLink R2R Grant Program |
$720,226 |
2006/2007 & 2007/2008 |
|||||
2. NOTES the following amendments to the funding sources to reflect the revised “Works Schedule” of projects to be undertaken as part of the Federal Government’s Supplementary AusLink Roads to Recovery Program:
|
Project ID |
Project Description |
Existing Funding Source |
Revised Funding Source |
||
|
Municipal/Other |
Supplementary Roads to Recovery |
Municipal/Other |
Supplementary Roads to Recovery |
||
|
Project No PR-1062 Work Order-W4812 |
Construct New Pathways - Drovers Place, Wanneroo |
$0 |
$38,000 |
$38,000 |
$0 |
|
Project No PR–1087 Work Orders – 5561 to 5568 |
Road Resurfacing Birnam Court |
$18,000 |
$0 |
$0 |
$18,000 |
|
Project No PR–1087 Work Orders – 5553 to 5560 |
Road Resurfacing Mauna Court |
$12,000 |
$0 |
$0 |
$12,000 |
|
Project No PR–1087 Work Orders – 5545to 5552 |
Road Resurfacing Fulwell Court |
$8,000 |
$0 |
$0 |
$8,000 |
|
TOTALS |
$38,000 |
$38,000 |
$38,000 |
$38,000 |
|
EndOfRecommendation - This line will not be printed Please do NOT delete
File Ref: S02/0008V02
File Name: GA Proposed Friends of Yellagonga Green Frogs Stencilling Project.doc This line will not be printed dont delete
Responsible Officer: Director Infrastructure
Disclosure of Interest: Nil
Author: Director Infrastructure
Meeting Date: 31 October 2006
Attachment(s): 1
StartStrip - This line will not be printed Please do NOT delete
Issue
To consider supporting the ‘Green Frog’ Drain Stencilling Project as proposed by the Friends of Yellagonga.
Background
The wetlands of the Yellagonga Regional Park are classified as having high conservation value and support a vast biodiversity of life, including 122 bird species, 133 invertebrate species and numerous frogs and reptiles. This wetland system is listed on the Wetlands of National Significance Database and is of regional importance due to its natural, cultural and recreational resources in a rapidly expanding urban area.
The City of Wanneroo actively manages the eastern fringe of the Yellagonga Regional Park with ongoing weed management activities and the rehabilitation of several sites, with two sites that are currently under restoration or have proposed works for 2006/2007. These sites include Ottawa Way Stormwater Drain and Church Street Drain. The Wangara Sump is continually monitored for water and sediment quality and the sampling of Church St Drain Rehabilitation Site began in August 2006. The Friends of Yellagonga Regional Park have been involved in on-ground works within the Regional Park for several years and their work is paramount to its preservation.
To reduce potentially threatening pollution from entering the wetlands, the City of Wanneroo has been proactive by installing numerous gross pollutant traps, filtration basins and constructed wetlands. Whilst these engineering solutions are generally very effective, they are not the only method to reduce pollution entering this system. Environmental education programs play a large role in minimising environmental impacts by allowing the local community to take ownership of conservation areas and making them aware of the consequences of their actions.
Detail
The Friends of Yellagonga have applied for a Department of Environment and Conservation Regional Parks Community Grant to fund the purchase of ‘Green Frog’ stencils, paint and printing of cards. It is proposed that the iconic ‘Green Frogs’ will be stencilled on all roadside stormwater drains within the Yellagonga Wetlands Catchment and at the same time frog-shaped information cards will be delivered to residents living near the drains.
The idea is to begin the project by liaising with the many schools in the catchment and to organise staff and students to stencil drains in the immediate area of their schools and then deliver the information cards at the same time.
A copy of the double-sided frog shaped information card that will be distributed through the program is shown on Attachment 1.
Comment
The proposed program would contribute to the community taking ownership of environmental education initiatives. It is a community-based project that will be coordinated and implemented within the community, by community members; therefore the Friends of Yellagonga should be encouraged and offered support and advice in implementing this project
Apart from the Wangara Industrial Estate, most pollution entering the wetlands is delivered via roadside drains in residential areas from rainfall events. Stormwater collecting from driveways and roadways has the potential to rapidly carry a variety of polluting materials (such as oil, petroleum, diesel, detergent, fertiliser and pesticides) directly to the wetlands. Through raising awareness and educating residents, it is hoped that these undesirable materials will be kept out of the drainage system. As the future preservation of the area should be a holistic and strategic catchment approach, stormwater pollution cannot be looked at in isolation, but as a cumulative effect on water quality and the surrounding ecosystem.
This project has the potential to have an impact on the quality of stormwater entering the wetlands and provide the local community with a better understanding of the impacts urban society has on wetlands and what can be done to limit their deterioration. Human impacts on wetlands are not isolated to stormwater pollution but also through activities such as bird feeding.
Council has approved funding for the development of the Yellagonga Integrated Catchment Management Plan which will incorporate components associated with community engagement. This ‘Green Frogs’ project has the potential to serve as an initial step in raising the community’s awareness of stormwater management and the associated issues.
The following considerations need to be addressed as part of the implementation of the project:
1. The City of Wanneroo does not currently have the resources to coordinate the project. It is proposed that Friends of Yellagonga will coordinate and implement this project, with the City of Wanneroo providing advice on matters associated with the project.
2. A Project Action Plan does not currently exist. A plan illustrating priority areas of implementation needs to be drafted, with stakeholder agreement to ensure objectives of the project will be successfully met;
3. Integration of this project into the Yellagonga Integrated Catchment Management Plan (YICM), which will involve a community education and capacity building component, of which will include stormwater pollution awareness;
4. Safety and insurance requirements of all stakeholders to involve students and the local community with work on roads and verges, and also with chemicals (environmentally safe and health conscious spray paint);
Consultation
The Environmental Advisory Committee considered a report on this project at its meeting on 4 October and resolved as follows:
“1. NOTES that the Friends of Yellagonga have applied for a Regional Parks Grant in order to carry out ‘Green Frog’ Drain Stencilling Project within the Yellagonga Catchment Area, which includes the City of Wanneroo;
2. NOTES that the Friends of Yellagonga have applied for a Regional Parks Grant in order to carry out ‘Green Frog’ Drain Stencilling Project within the Yellagonga Catchment Area, which includes the City of Wanneroo;
3. RECOMMENDS to Council that it provides support in principle to the Friends of Yellagonga being responsible for the coordination and implementation of the ‘Green Frog’ Drain Stencilling Project within the Yellagonga Catchment Area.”
Statutory Compliance
Nil
Strategic Implications
The Green Frog Stencilling Program is consistent with the City of Wanneroo Strategic Plan (2006 – 2021) outcomes and objectives
“Environmental
1 A sustainable natural, built and healthy environment in harmony with the growth of our municipality
1.6 Minimise the incidence and impact of pollution”
Policy Implications
Nil
Financial Implications
The Friends of Yellagonga have applied for a Department of Environment and Conservation Regional Parks Community Grant for $4000, which (if successful) will fund the initial purchase of 10 stencils, paint and printing of cards. At the time of the grant application, the City of Wanneroo did not act as a signatory to support the grant application.
In the absence of a Project Action Plan potential financial implications for the City of Wanneroo to consider for the duration of the project can only be estimated to include:
1. Total amount of paint required estimated at $800-1000;
2. Total number of flyers to be printed with graphics approval is estimated at $800 (estimating 2000 flyers distributed);
3. Other community promotional material is estimated at $500;
4. Staff salary and time if stakeholders become involved in project coordination is estimated at 5 hours per week.
Voting Requirements
Simple Majority
EndStrip - This line will not be printed Please do NOT delete
Recommendation
That Council:-
1. NOTES that the Friends of Yellagonga have applied for a Regional Parks Grant in order to carry out ‘Green Frog’ Drain Stencilling Project within the Yellagonga Catchment Area, which includes the City of Wanneroo.
2. PROVIDES support in principle to the Friends of Yellagonga being responsible from the coordination and implementation of the ‘Green Frog’ Drain Stencilling Project within the Yellagonga Catchment Area.
3. APPROVES the stencilling of the City’s drainage infrastructure in the Yellagonga Catchment Area with ‘Green Frogs’, subject to the Friends of Yellgonga being successful with their application for a Regional Parks Community Grant.
EndOfRecommendation - This line will not be printed Please do NOT delete
ATTACHMENT 1
StartOfAttachment - Do not delete this line will not be printed


EndOfAttachment - Do not delete this line will not be printed
File Ref: S13/0002V011
File Name: BB Financial Activity Statements for the periods ended 31 July 2006 and 31 August 2006.doc This line will not be printed dont delete
Responsible Officer: Director, Corporate Services
Disclosure of Interest: Nil
Author: Manager Finance
Meeting Date: 31 October 2006
Attachment(s): 4
StartStrip - This line will not be printed Please do NOT delete
Issue
To consider Statements of Financial Activity for the periods ended 31 July 2006 and 31 August 2006.
Background
Regulation 34(1) of the Local Government (Financial Management) Regulations 1996 requires a local government to present the financial activity statement according to nature and type, by program, or by business unit. Administration has opted to present the statement of financial activity by nature and type and in a similar format to that presented in the Rate Setting Statement for the 2006/2007 Annual Budget. This format separates operating revenue and expenditure from other revenue and expenditure and provides improved disclosure of Council’s underlying operating result.
The Financial Activity Statement is in the form of an Income Statement and Balance Sheet. The Income Statement compares year to date actual income and expenditure with the year to date budget, shows variances, forecast changes and end of year forecasts. The Balance Sheet shows the current status of the City’s assets and liabilities.
In addition to the above, Regulation 34(1) of the Local Government (Financial Management) Regulations 1996 requires a local government to adopt a percentage or value, calculated in accordance with Australian Accounting Standards, to be used in statements of financial activity for reporting material variances. For 2005/2006 the Council Adopted 10% for the reporting of variances and the same variation is proposed for 2006/2007.
Detail
The attached Statements of Financial Activity for the period ended 31 July 2006 and 31 August 2006 represents the first two (2) months results of the financial year past.
From 1 July 2006, Administration has implemented a new Chart of Accounts environment and this has resulted in a delay in the preparation of reports in this new format. The conversion of the Adopted Budget for 2006/2007 has now been completed and reports for the first two (2) months of the financial year are ready for presentation to Council.
Similar to last year, Administration proposes to conduct reviews with each Service Unit with regard to their progress to date against budget and revised forecasts will be included in future Statement of Financial Activity reports presented to Council. These reviews will form the basis of the City’s review of the Annual Budget and also form the basis of the preliminary discussions for the Budget for 2007/2008.
Comments on the financial performance compared to the annual budget for the periods ended 31 July 2006 and 31 August 2006 are set out below.
With regard to the reporting of variances, Administration proposes the same percentage variance of ten percent (10%) for the reporting material variances as adopted last year by Council.
Consultation
Nil.
Comment
The following comments are provided on the Income Statement and Balance Sheet for the periods ended 31 July 2006 and 31 August 2006. For the purposes of this report, comments will focus on the year to date results ended 31 August 2006.
Income Statement
July 2006 - Attachment 1 refers
August 2006 - Attachment 2 refers.
The operating result for the City to the end of August is a favourable variance of $3.787 million. The following information is provided on key aspects of the year to date financial performance:-
Operating Revenue
Result to end of August Favourable Variance of $1.339 million
Full Year Budget $76.138 million
Overall at the end of August, operating revenue was ahead of budget in all areas with the exception of Reimbursement Income, Other and Miscellaneous Income. These unfavourable variances are due in part to timing differences in the actual receipt of revenues compared to budget spreads loaded by Administration. Administration will be monitor the progress of actuals against the overall budget over the coming months and will amend the budget spreads as appropriate.
The City receives significant revenues in the first two (2) months of the financial year from Rates Income and Domestic Refuse Charges following the issue of the Annual Rate Notices. Rates Income is already $208,000 ahead of the progressive budget with the balance to be raised through Interim Rates issued following the completion of new homes or commercial premises or the completion of other additions to these properties over the remaining months.
The budget spreads for Operating Grants has been loaded for this income to be recognised at the end of each quarter. As at the end of August, Operating Grants of $1.367 million was the most significant factor contributing to the $1.399 million favourable year to date variance in Operating Revenue.
-
Operating Expenses
Result to end of August Favourable Variance of $2.019 million
Full Year Budget $82.804 million
Overall at the end of August, Operating Expenses are below budget in all areas with the exception of Employee Related Expenses, Miscellaneous Expenses and Internal Cost Allocations. These unfavourable variances are due in part to timing differences between actual results and budget spreads loaded by Administration. These budget spreads will be monitored closely over the coming months and reviewed as necessary.
Significant favourable variances in Salary and Wage Expenses as well as Contract Expenses and Material Expenses reflect savings from delays in the filling of staff vacancies as well as the timing of maintenance and other operational projects by the City.
Insurance Expenses show an unfavourable variance of $0.262 million which reflects the timing of payment of insurance premiums.
Finally, it is also worth noting that for 2006/2007 Administration has changed the timing of recognition of Depreciation Expenses to four (4) monthly, resulting in minimal expenses to date. Depreciation for the first four (4) months quarter will appear in the October monthly report to Council.
Other Revenue and Expenses
Result to end of August Favourable Variance of $4.473 million
Full Year Budget $38.515 million
Other Revenue and Expenses includes Capital Grants, Contributions, Town Planning Scheme activities and Assets Received Free of Charge from developers. The timing of the receipt of these revenues and payment of expenses is related to the City’s Capital Works Programme and also land development activity. Administration will monitor progress against budget over the coming months to ensure all budgeted Grant and Contribution Income is received.
With regard to Town Planning Schemes, as at the end of August TPS Scheme Income was already $2.073 million ahead of budget, whereas, TPS Expenses was $2.885 million below budget.
Capital Expenditure
Expenditure to end of July $0.971 million
Expenditure to end of August $1.539 million
Full Year Budget $47.237 million
The year to date results reflects the timing of projects undertaken by the City. More detailed reports on the progress of the Capital Works Programme will be provided in coming months.
Balance Sheet
July 2006 - Attachment 3 refers
August 2006 - Attachment 4 refers.
The Balance Sheet as at 31 August 2006 shows there are significant increases in the amount of Investments, due to the receipt of rate revenues and the balance of funds carried forward from 2005/2006.
For 2006/2007 the projected change in net assets from operations will result in a decrease in Equity to $657.318 million. With only two (2) months lapsed, no forecast changes have been made and therefore no changes have been factored into this expected result.
Statutory Compliance
The monthly financial report for the period ended 30 June 2006 complies with Section 6.4 of the Local Government Act 1995 and Regulations 34 of the Local Government (Financial Management) Regulations 1996.
Strategic Implications
“Outcome 4 – Governance – Leadership and Community engagement to ensure the best use of our physical, financial and human resources”
Policy Implications
Nil.
Financial Implications
As outlined above and detailed in Attachments 1 to 2.
Voting Requirements
Simple Majority
EndStrip - This line will not be printed Please do NOT delete
Recommendation
That Council:-
1. RECEIVES the Financial Activity Statement report for the months of July and August 2006; and
2. ADOPTS in accordance with Regulation 34(1) of the Local Government (Financial Management) Regulations 1996 a percentage variance of ten percent (10%) for the reporting material variances.
EndOfRecommendation - This line will not be printed Please do NOT delete
StartOfAttachment - Do not delete this line will not be printed
ATTACHMENT 1 Page 1 of 2

ATTACHMENT 1 Page 2 of 2

EndOfAttachment - Do not delete this line will not be printed
StartOfAttachment - Do not delete this line will not be printed
ATTACHMENT 2 Page 1 of 2

ATTACHMENT 2 Page 2 of 2

EndOfAttachment - Do not delete this line will not be printed
StartOfAttachment - Do not delete this line will not be printed
ATTACHMENT 3 Page 1 of 2

ATTACHMENT 3 Page 2 of 2

EndOfAttachment - Do not delete this line will not be printed
StartOfAttachment - Do not delete this line will not be printed
ATTACHMENT 4 Page 1 of 2

ATTACHMENT 4 Page 2 of 2

EndOfAttachment - Do not delete this line will not be printed
To be circulated under separate cover.
File Ref: S07/0012V02
File Name: AA Signing of Funding Agreement For City Of Wanneroo Family Day Care Scheme .doc This line will not be printed dont delete
Responsible Officer: Director Community Development
Disclosure of Interest: Nil
Author: Delyse Sterpini
Meeting Date: 31 October 2006
Attachment(s): 1
StartStrip - This line will not be printed Please do NOT delete
Issue
To consider the signing and acceptance of a new Funding Agreement for the City of Wanneroo Family Day Care Scheme from 1 October 2006 to 30 June 2007.
Background
The City of Wanneroo Family Day Care Scheme was the first Scheme to be established in Western Australia and has been operational for the past twenty nine years.
The City’s Family Day Care Scheme currently operates a high rating accredited childcare service with the National Childcare Accreditation Council with 357 children (230 families) in the homes of 27 independently licensed Carers. Two other Schemes also provide services in the City’s Alexander and South Wards.
The City entered into an interim contract for the period 1 July 2006 to 30 September 2006
while the Commonwealth Government prepared the framework of new Funding Agreements. A new contract offer has been received for the period 1 October 2006 to 30 June 2007.
Detail
Following the redevelopment of the Commonwealth Government’s Broadband Child Care Support Funding, the new Funding Agreement reflects the implementation of a performance management system, changes to reporting requirements and a change in the way Family Day Care funding is now calculated.
The level of funding being offered has been based on the number of ‘occupied’ Equivalent Full Time ( EFT ) places provided by the City’s Scheme over a six-month period, between October 2005 and 31 March 2006. Previously funding was based on an average of the Schemes best daily figures over a twelve - month period.
In addition to these changes, the Scheme has also experienced a real decline in the childcare places being occupied as a consequence of an over supply of childcare places in the City of Wanneroo and the national trend of declining numbers of Carers operating a Family Day Care service.
This trend is reflective of low unemployment levels, the retirement of long term carers, the additional work associated with meeting the accreditation requirements of the Family Day Care Quality Assurance System and significant changes to the Family Day Care licensing requirements for Family Day Care.
As an outcome of the way funding is now calculated, and to a lessor degree to the decline in the number of Carers operating within the Scheme, the City has been offered a significantly reduced level of funding representing a shortfall in the current approved budget of $98,840 for 2006/2007
Comment
The details and content of the terms and conditions for funding in the new Agreement will necessitate a reduction to the children’s services staff structure and a reduction in its program activities expenditure to address approximately half of the reduction in funding. The current status of staff contracts and past consolidation of the Scheme services will support these changes during the period of the Funding Agreement.
The changes to the way Family Day Care funding is now calculated is part of a wide range of changes to the childcare industry following the redevelopment of the Australian Governments Broadband Child Care Support funding and that are now impacting on the way services are being delivered.
The impact on the way Family Day Care funding is now calculated will undermine the viability of all small Family Day Care Schemes. These include the two similar sized Schemes that currently operate in the City’s southern suburbs and to a lessor extent the Scheme operating in the City of Joondalup.
To regain previous levels of Australian Government Network Support funding, the City of Wanneroo Family Day Care Scheme will need to recruit an additional ten (10) Carers.
Opportunities: The need to expand the City’s network of carers over the life of the new Agreement will be supported by the following opportunities.
· The Australian Government’s decision to uncap Family Day Care places and to remove regional boundaries that had previously precluded the City’s Schemes from operating in seven of its southern suburbs or outside its Local Government Area.
· The recruitment of new and existing Carers in Madeley, Darch, Landsdale, Koondoola, Girrawheen, Marangaroo, Alexander Heights and neighbouring suburbs outside the City’s LGA will provide an immediate financial income for the City. Based on the average number of families who use the childcare services of each Carer, approximately $5,000 per year ( pro rata) in weekly administration levies is received for each Carer.
· The inclusion of existing carers from other Schemes will enable the City’s Scheme to lift its EFT’s and subsequent funding without the costs associated with the recruitment and support of new carers.
· The City’s Family Day Care Scheme has the infrastructure, experience and a high quality accreditation rating to ensure that it is well positioned to attract new and existing carers in the suburbs that neighbouring Schemes currently cover. Initial enquiries have been received from prospective Carers residing in the City’s southern suburbs and Carers who are currently working in the Community Vision Scheme.
· The City’s Family Day Care Scheme’s marketing strategies places a greater emphasis on face to face communication within the community, improved distribution of promotional material and the celebration of 30 years of Family Day Care in Wanneroo. In addition the City’s southern suburbs will be targeted with Children’s Week activities, interactive participation at the Kingsway Shopping centre and the launching of the City’s updated Children’s Services Directory. The Scheme’s comprehensive marketing plan has been developed to promote the City’s Family Day Care program as a ‘home away from home ’ childcare option and as a viable small business option.
Should Council change its focus in this area of service provision, the new Agreement may be terminated at any time with reasonable written notice to the Australian Government’s Department of Families, Community Services and Indigenous Affairs. However, if the City was to discontinue its Family Day Care Scheme, considerable disruption would occur for families and their children using the Scheme’s child care service and the Carers who operate their Family Day Care service as a member of the City’s Scheme,
While the possibility that funding may be adjusted by FACSIA in response to industry pressure during the period of the Agreement is unclear at this stage, ongoing discussions with the funding body will be actively maintained to ensure that the Scheme can maximise opportunities to increase its level of network support funding as early as possible as it expands its service.
Administration has identified options to reduce the operational deficit and review the operational budget for an interim period for the 2006/2007 financial year. During the next six months it is imperative that the City employs an independent consultant to formally review opportunities and constraints within the Family Day Care industry. Following this review, a report will be presented to Council in order that a decision can be made about the City’s future involvement in the provision of these services prior to adoption of the 2007/08 budget.
Should the Council decide not to continue with the provision of Family Day Care services, a staged withdrawal is recommended so that parents and carers are able to make alternative arrangements which might mean simply transferring carers to another Family Day Care scheme.
Statutory Compliance
A resolution of Council is required to authorise the Mayor and CEO to execute and affix the common seal of the City of Wanneroo to the Funding Agreement.
Strategic Implications
Acceptance to signing the Funding Agreement with the Australian Government is consistent with the City’s strategic plan in the following areas:
“2.3 Improve the capacity of local communities to support each other.
2.4 Improve community safety
3.5 Increase the capacity of eduction and training services
3.6 Increase support for new and existing businesses.
4.1 Improve strategic partnerships
4.4 Improve the quality of services delivery.”
Policy Implications
Nil
Financial Implications
As the new Funding Agreement offer reflects a reduction in anticipated Australian Government operational funding in the current budget of $98,840, the signing of the new Agreement will necessitate adjustments in the anticipated income and expenditure.
The City has already received $64, 046.14 ( GST exclusive) for the 1 July to 30 September. This was based on the old method of how funding was allocated.
The new Funding Agreement offer of $96,651.75 (GST exclusive) for the remainder of the financial year reflects a rate of $21.55 per place per week for 116.47 Equivalent Full Time places (EFT’s). It is unclear if the grant allocation will be adjusted to reflect the Scheme’s anticipated growth during the period of the new Agreement that has an end date of 30 June 2007. The Schemes most recent six month report to be submitted shows early indications of growth of 3 EFT’s and the next report to be submitted on 14 April 2007 will reflect the Schemes anticipated growth following the expansion of the Scheme from October 06 to April 2007.
The table below shows the worst case scenario that will necessitate adjustments to the current budget grant allocation.
|
Period of funding |
GST exclusive |
Comment |
|
Approved budget grant funding allocation |
$259,538 |
Based on previous years allocation |
|
Grant funding received July/Sept 06 |
$ 64,046 |
Based on previous years allocation |
|
New funding agreements offer for Oct 06 to June 07 |
$ 96,652 |
Reflects changes to way FDC funding is calculated i.e. ‘occupied’ EFT’s between Oct 05 to 31 March 06. |
|
Total grant for current financial year |
$160,698 |
|
|
Shortfall in budget grant allocation |
$ 98,887 |
|
Adjustments in expenditure have already been anticipated through a reduction in salaries and other operational expenses to the value of $48,334. This leaves a $50,553 shortfall over and above the approved deficit (see Attachment 1).
The successful recruitment of new and existing Carers (from other Schemes) has the potential to provide significant additional income of $10,000 p.a. for each Carer. Each Carer generates approximately $5,000 through the payments of an administration levy by parents and approximately $5.000 when adjustments are made to Australian Government funding to reflect an increase in ‘occupied’ EFT places of childcare.
Voting Requirements
Simple Majority
EndStrip - This line will not be printed Please do NOT delete
Recommendation
That Council: -
1. AGREES to accept the Funding Agreement between the Australian Government as represented by, and acting through, the Department of Families, Community Services and Indigenous Affairs and the City of Wanneroo in relation to the continued provision of funding for the City of Wanneroo Family Day Care Scheme until 30 June 2007
2. AUTHORISES the Mayor and CEO to execute and affix the common seal of the City of Wanneroo to the Funding Agreement.
3. NOTES the proposed adjustments to the budget income and expenditure that are proposed to be made through the mid year budget review, to reflect the new Funding Agreement offer for the October 2006 to June 2007 period.
|
|
Current – approved Budget 2006/07 |
Proposed |
|
Income |
$339,511 |
$242,859 |
|
Expenditure including corporate overheads |
$414,394 |
$366, 060 |
|
Anticipated deficit |
$74,883 |
$123,201 |
4. AGREES to a trial and review of the Scheme by an independent consultant to explore the City’s role in the future provision of child care services.
5. ADVISES the funding body that the City is to undertake a review of its Family Day Care Scheme with the potential that the City of Wanneroo may no longer provide this service.
EndOfRecommendation - This line will not be printed Please do NOT delete
ATTACHMENT 1 Page 1 of 5
StartOfAttachment - Do not delete this line will not be printed
IMPLICATIONS OF NEW FaCSIA FUNDING AGREEMENT
FOR FAMILY DAY CARE 06/07
CURRENT POSITION
Commonwealth Govt Network Support Funding ( formerly known as Operational Funding)
now based on 117 EFT’s – previously 228 EFT’s
Active Carers: 27 including 1 in the south zone
Applications Schemes membership: 1 including one in a City of Joondalup area .
Current expression of interest: 54 includes 5 in Sth Zone and 5 outside COW LGA area-(2 of which are currently working in the CV Scheme)
Families with children enrolled: 230 Families
Children enrolled: 357 plus 25 children of carers who are included in licenced numbers
Staff – All contracts are subject to funding
|
Position |
Status |
Hrs per week |
|
|
Team Leader |
Contract |
38 |
Subject to funding |
|
Administration Officer |
Permanent |
30 hrs pw |
|
|
Children’s Services Officer 1. |
Permanent |
38 |
|
|
Children’s Services Officer 2 |
Contract |
30 |
Subject to funding |
|
Children’s Services Officer 3 |
Contract ends 24 Oct06 |
30 |
Subject to funding |
|
Children’s Services Officer 4 |
Contract extended to 24 Nov 07 |
22.5 ( reduced from 30 hrs pw as of 1 Oct 06 ) |
Subject to funding |
Budget
Approved budget Network Support Grant allocation $259,538
Grant funding received for July/ Sept 64, 046.14 ( GST exclusive)
Grant funding offer Oct 06 to June 07 96.651 75 ( GST exclusive) $ 35,438.98 per quarter
TOTAL $160,697.64 representing a $ 98,887 shortfall
Approved budget deficit before any adjustments is $74,883 representing 17 % of the FDC budget without the corporate overhead charge. It does include $33,166 internal IT charge and $15,000 for the development of the Family and Children’s Policy. Income from the administration levy is on track and will only need to be adjusted to show an increase as the Scheme expands.
Recommended budget adjustment
· Leave 4th CSO position vacant pending until the schemes regains past levels of Commonwealth Government funding. The previous occupant is currently working in an eight week relief position as a 3rd CSO for 22.5 hpw until 24 Nov 2006 while other staff are either on leave or acting in the TL position.
ATTACHMENT 1 Page 2 of 5
· Reduce 3rd CSO position from 30 hours per week to 22.5hpw with new contract from 24 Oct 06
· Provision of relief CSO positions to be limited to purchased leave
· Reduce operational expenses of $1,000 each in printing, public relations and program activities.
Total savings $ 48, 334 = remaining shortfall $50,553
REASONS FOR SHORTFALL
Changes to Australian Government Funding Agreement: The new Funding Agreement reflects changes to the reporting requirements and the way Family Day Care funding is now calculated. The current funding offer has been based on the reporting of ‘occupied’ Equivalent Full Time (EFT’s) places over a six month period between Oct 05 to end of Mar 06 i.e. 117 EFT’s. Previously funding was based on an average of the Schemes best daily figures over a twelve - month period. As an outcome funding was based on 228 places over the past year.
Decline in use of FDC and Carers
The provision of childcare in the LGA of Wanneroo has become very competitive with an over supply of childcare places. Over the past 3 years the number of childcare centres has doubled from 13 to 26. The majority of the new centres are corporate owned, large and are licenced to provide 99 childcare places.
The decline in numbers of Carers operating a Family Day Care service is a national trend reflective of:
· A competitive employment market
· Protracted and extensive requirements associated with obtaining a State Government Licence to provide FDC.
· Continuously improving standards and increased reporting requirements associated with the National Childcare Accreditation Council’s Quality Assurance System.
Annual Indexation of funding: Traditionally the rate paid for each childcare place by the Australian Government has been indexed at a rate significantly lower that the CPI. This financial year the rate of $21.55 per place per week represents a 1.5% indexation on the funding level received over the previous year i.e. approximately half the CPI resulting in a real decline in funding per place again this year.
CARER STATUS – RECRUITMENT PROGRAM
· We are currently operating with 27 carers.
· This calendar year we have gained 7 new Carers and lost 4.
· One prospective carers has lodged an application for membership with the Scheme but may not start till the new year.
· Quarterly information sessions are held and supported by advertising in the Wanneroo Link. The next session is being held on 17 October.
ATTACHMENT 1 Page 3 of 5
· Four carers operating in the Community Vision Scheme are considering membership with Wanneroo, two of whom have been interviewed. The only issue relates to the way in which we apply our Administration levy. We anticipate that this can be addressed by applying a reduced levy for care that is limited to less than 5 hours per week.
· On average each Carer represents the provision of 4.5 Equivalent Full time Places which represents $5042 00 p.a. in Network Support Funding for the City of Wanneroo Scheme. In addition, each Carer contributes an annual membership fee of $180.00 ( $200.00 if paid by instalment) and an Administration Levy of $7.00 per week applies for each child they have in care. Based on the most recent figures this equates to a further $5,000 p.a. Estimated total income per carer is $10.242
Target: It is estimated that we need 36 Carers to be actively working to regain past levels of Commonwealth Government funding. Therefore a target of 40 Carer is required to cover Carers leave.
OPPORTUNITIES
Reporting requirements: The April to Oct six monthly report to be submitted on 14 Oct will show a small increase of 3 EFT’s. The following report to be submitted in April 07 will be more reflective of the Schemes capacity to expand since the withdrawal of boundaries in July 06. While the new Funding Agreement states that funding adjustments may be adjusted when there have been increase or decrease in EFT’s, contact with the policy officer with Family Day Care Australia who meets regularly with the Commonwealth, indicates that adjustments to our network funding will be made on a quarterly basis retrospectively.
Expansion of our Scheme : The recent abolition of Scheme boundaries by the Commonwealth government offers the City’s Scheme several new opportunities for expansion.
With competition between Schemes the future viability of the City’s neighbouring Schemes remains uncertain. While the Community Vision Family Day Care Scheme is operating with 42 Carers it has previously operated with more than 60. Other smaller Schemes include the Salvation Army Scheme and the Lyla Elliot Scheme. If either of these two smaller Schemes fold it will leave a gap for the city to cover including seven Wanneroo suburbs.
Recent contact with the Salvation Army’s Director of Community Services confirmed that their Scheme is just one of 63 programs and as part of a broader organisation needs to be viable. It is currently being heavily scrutinised and with only 23 Carers and the difficulties associated with recruiting, its future is uncertain and will be discussed at their Cabinet meeting on the 20 October 06. They have not replaced staff as they have left, staff morale is low and savings from past good years has been used to support the continuation of the service. The Wanneroo suburbs that have been exclusively covered by this Scheme include Girrawheen, Koondoola, Marangaroo and Alexandra Heights.
ATTACHMENT 1 Page 4 of 5
The Lyla Elliot Family Day Care Scheme is a not for profit community based organisation that has FDC as it’s sole function and source of income. It is currently operating with 28 Carers and has recently appointed a Manager for 3 days a week and will “ see how they go”. The Wanneroo suburbs that have been exclusively covered by this Scheme include Landsdale, Darch and Madeley.
Carers who are currently working in other schemes can now apply for membership with the City’s Scheme. Experienced carers have already approached the City of Wanneroo Family Day Care Scheme’s Coordination Unit expressing an interest in joining this Scheme. To date two of these Carers have been successfully interviewed. This includes a Carer who has 26 years experience operating a FDC service and was an inaugural Board member of Community Vision Inc. Each of these carers is working to their full capacity and would therefore have an immediate impact on the City’s Schemes ability to attract additional Commonwealth funding.
Marketing of the City’s Scheme: A comprehensive marketing plan has been developed to promote the City’s Family Day Care program as a ‘home away from home’ childcare option and as a viable small business option. Planned activities include:
· A shift in the Schemes recruitment program to include a greater emphasis on personal face to face communications with contact with community playgroups, child health nurses, schools, ECU, West Coast College and places of work. To achieve this, staff will share responsibility for the facilitation of play sessions with the carers thereby releasing staff to allocate additional time towards the recruitment program.
· The targeting of the southern suburbs of the City through Children’s Week activities, increased participation in the activities of Communities 4 Children programs and interactive participation at the Kingsway Shopping centre from 23 October to 4th November and public launch of the updated Children’s Services Directory in this November in the Warrendale Centre.
· The Celebration of the City’s FDC Schemes 30 years anniversary ( and as the 1st Scheme in WA ) with the City providing support for a Christmas Extravaganza in December 06 and a Cocktail Part in March 2007 that is being organised by a ‘Rekindling the Past Committee’ of past and present carers. .
· The production of new promotional material including posters, pamphlet and banners.
New National Branding and National Marketing of Family Day Care: As the peak organisation representing FDC, Family Day Care Australia has embarked on a comprehensive marketing campaign to promote FDC as a child care choice and exciting career option. The City’s Schemes is actively working with the State organisation to compliment this campaign.
The Status of the City’s FDC Scheme: In addition to its proud history, the City’s Scheme has a good reputation in the industry as a result of :
· The extensive experience of the City’s coordination staff
· Active participation in community events
· Strong working relations ships with governments and non governments family support agencies
ATTACHMENT 1 Page 5 of 5
· It’s well established consistent operational practices including a high level of customer service and working in partnership with carers to provide a quality childcare service.
· Accreditation as a high quality childcare service with the National Childcare Accreditation Council again this year in an environment in which not all Schemes have been achieved accreditation without having to go through the appeal process. Furthermore the childcare centres operating in the City that have only open over the past two years have yet to achieve accreditation status.
· Active marketing of the Scheme through Wanneroo Link, What’s Happening in Wanneroo, com unity newspaper coverage and adverting
IMPLICATIONS OF EXPANSION
· The additional costs associated with supporting each carer who resides out of the Wanneroo region can be limited to the mileage involved in monthly support visits. It is proposed that these visits will be planned together with visits to Carers who reside in the City’s southern suburbs to minimise staff time and distance travelled.
· The flexibility of the City’s Scheme operational policies and practices does not limit its Carers to only attend Scheme provided play sessions or the Schemes Professional Development training. It is anticipated that Carers may elect to arrange home play sessions or attend community playgroups and the current practice of providing training in partnership with a comprehensive marketing plan has been developed to promote the City’s Family Day Care program as a ‘home away from home’ childcare option and as a viable small business option.
· Neighbouring Schemes will increase to reflect the need to work within reduced budgets.
EndOfAttachment - Do not delete this line will not be printed
File Ref: PR11/0004
File Name: AA Developers compensation for usage of public open space for drainage swale Ferrara Reserve .doc This line will not be printed dont delete
Responsible Officer: Fiona Bentley
Disclosure of Interest: Nil
Author: Helen Sarcich
Meeting Date: 31 October 2006
Attachments: 1
StartStrip - This line will not be printed Please do NOT delete
Issue
To consider a proposal by developers for the use of Public Open Space as a drainage swale in Ferrara Reserve in Girrawheen.
Background
Council endorsed the concept of the Ferrara Reserve Upgrade Project in September 2003 (CD02-09/03 refers) of which the Community Garden initiative was a component. Council further endorsed the concept design for the Community Garden initiative in August 2004 (CD 01-08/04 refers) and a concept design for the Ferrara Reserve Community Garden in June 2005 (CD01-06/05 refers)
The Ferrara Reserve Upgrade project has included improved pathways, a new gazebo and barbeque, new lighting, a Community Art project and the relocation of playground equipment and installation of the ‘Spaceball’ climbing equipment. The construction of the Community Garden is the last phase of the upgrade to be completed. The community, including the nearby school, residents and service providers, is now using Ferrara Reserve on a regular basis.
In the 2006/07 Council budget, $90,000 was allocated for the completion of the Community Garden, to be made up entirely of developers’ contribution and sponsorship. The local business community has been approached to assist with sponsorship of materials for the Community Garden and to date there has been some positive interest received for the smaller landscaping items such as plants. A tentative date for the official opening of the Community Garden has been proposed to coincide with the City’s Community Event (Santas, Sleighs and Snowmen) in Ferrara Reserve on 10 December 2006.
In 2004 the Satterley Property Group approached the City with a proposal to utilise a portion of Ferrara Reserve for drainage, to avoid having to use prime residential blocks in the New North housing redevelopment for this purpose. The section of land adjacent to the proposed Community Garden would be employed as a landscaped and visually attractive drainage swale, with a compensation arrangement to be negotiated between developers and the City. A plan showing the location of the Community Garden and proposed drainage swale is attached (see Attachment 1).
Ferrara Reserve is vested in the Crown as a 20A ‘Reserve for Recreation’ and the City has the Management Order for this reserve. The proposal does not intend to alter, amend, dispose or cancel the reserve or utilise funds for the purposes of general revenue. The City is committed to the expenditure of the total funds as capital expenditure for the purposes of improving and enhancing the Ferrara Reserve for public use.
In this regard, the proposal is generally in accordance with the Crown Land Administration and Registration Practice Manual Part 4.7.3.1, which specifies that ‘landscaped drainage ponds can form part of the landscaping of a “public recreation” reserve, and drainage can therefore co-exist with recreation in such cases’.
Clarification was subsequently received from the Department for Planning and Infrastructure (DPI), where it was advised that a drainage swale is fundamentally consistent with the recreational use of the land. The City contends that the use of this portion of this reserve in the manner proposed is consistent with the objectives of a 20A Reserve for Recreation and the parameters of the City of Wanneroo’s Management Order to ensure use and usability to the general public for recreational purposes.
Detail
To date commitments of sponsorship and construction of the Community Garden cannot be undertaken until such time as the Satterley Property Group submits a formal technical proposal for the drainage swale for the City’s review/approval. It is noted that a preliminary design has previously been submitted and assessed: the comment by the City is that the proposal is sound.
Further to this, it is necessary to develop a technical design for the Community Garden and secure the funding required for the construction of the Community Garden to meet costs such as irrigation, earthmoving and construction of limestone garden bed walls that cannot be met through sponsorship.
The Satterley Property Group and the City have now held discussions regarding the provision of monetary compensation for the partial use of Ferrara Reserve for the drainage incorporating a swale solution. The sum of $155,000 has been offered as monetary compensation as well as the cost of constructing and landscaping the drainage swale.
Consultation
Community Garden: The community has been involved throughout the development of the Community Garden project over the past 2 years. Several methods have been used to consult with the community and other stakeholders regarding the Community Garden, including:
· Meeting with individual groups in the area
· Informal discussions with local residents utilising the park
· A public meeting
· Workshops at Montrose Primary and Girrawheen Senior High Schools
· Several informal community barbeques in Ferrara Reserve inviting residents to state their preferences in park furniture and design
The drainage swale: Planning Services advised that consultation was not necessary, as the landscaped drainage swale would have little to no impact on surrounding residents.
Comment
As the area to be provided for use as a drainage swale is to be partitioned from Ferrara Reserve, it is considered that the compensation received from this exchange may be best used for design and construction of the Community Garden and in completing the upgrade and improved conditions of the reserve. It is also clearly evident that the community will welcome the opportunity to be involved in the completion of this project as there has been very strong local interest in the park due to the comprehensive consultation and involvement of local people at every stage of the project.
There is also strong interest from Montrose Primary School for students to continue their involvement and enjoyment of the reserve as part of a future Adopt-a-Park scheme and to possibly undertake some classroom activities in the park area. The Community Garden will enhance the profile and attractive aspect of the reserve as desired by the local residents who first proposed the Community Garden be built and the park be upgraded.
Administration will continue to pursue opportunities for donations of materials and sponsorship for the Community Garden and will involve the local residents in a planting day once it is built. An excellent opportunity to launch this long-awaited project exists with the timing of a Community Event in December 2006.
Statutory Compliance
The City contends that the use of this portion of this reserve in the manner proposed is consistent with the objectives of a 20A Reserve for Recreation and the parameters of the City of Wanneroo’s Management Order to ensure use and usability to the general public for recreational purposes.
Strategic Implications
The Ferrara Reserve Community Garden is consistent with the following City of Wanneroo Strategic Plan 2006-2021 outcome objectives:
“ Social
2.1 Increase choice and quality of neighbourhood and lifestyle options
2.2 Improve the City’s identity and community wellbeing through art’s, culture, leisure and recreation
2.3 Improve capacity of local communities to support each other”
Policy Implications
Nil
Financial Implications
In the 2006-2007 Budget Council has assigned $90,000 for the completion of the Ferrara Reserve Community Garden, with the total amount to be sourced through sponsorship and developer contribution.
If the proposed drainage swale concept and proposed compensatory sum of $155,000.00 is approved, the monetary compensation arising as a result of the partial change in land use at Ferrara Reserve, will provide the remaining funding required for the completion of the project, after costs of construction associated with the drainage swale. The Satterley Property Group will complete the construction works for the drainage swale.
The compensation payment sum has been calculated as follows:
|
|
|
Adjusted Balance |
|
BASE SCENARIO FOR DRAINAGE IN THE PARK |
Neutral position |
$ - |
|
ALTERNATIVE SCENARIO FOR SUMP |
|
Adjusted Balance |
|
Adjustments |
Savings |
|
|
Remove need to construct swale |
$70,000.00 |
$ 70,000.00 |
|
Remove need to landscape swale |
$30,000.00 |
$100,000.00 |
|
Savings on development costs for Dx lot (headworks etc) |
$18,000.00 |
$118,000.00 |
|
|
Deductions |
|
|
Loss in Net revenue (after fees & charges) |
$242,000.00 |
$124,000.00 |
|
Sump construction cost |
$20,000.00 |
$144,000.00 |
|
Sump fencing & landscap cost |
$10,000.00 |
$154,000.00 |
|
|
Final Adjusted Position |
$154,000.00 |
|
Therefore a loss of $154,000.00 is incurred if the sump is constructed |
||
The account code and project number are as follows:
|
|
|
Budget 06/07 |
Amended 06/07 |
|
Income |
917253-8999-519 Capital Income Community Links |
$90,000 |
$155,000 |
|
Expenditure |
Project Number 1171 |
$90,000 |
$155,000 |
Voting Requirements
Simple Majority
EndStrip - This line will not be printed Please do NOT delete
Recommendation
That Council:
1. APPROVES the partial use of Ferrara Reserve, Girrawheen, for the purpose of a drainage swale, subject to the Satterley Property Group submitting a formal technical proposal for the City’s review/approval and undertaking construction of the swale.
2. ENDORSES the use of monetary compensation of $155,000.00 from the Satterley Property Group for design and construction of the Ferrara Reserve Community Garden
3. NOTES the following budget variation to reflect the income and associated expenditure for this project.
INCOME
|
Cost Code |
Present Budget |
Additional Amount |
Revised Budget |
|
917253-8999-519 Capital Income Community Links |
$90,000 |
$65,000 |
$155,000 |
EXPENDITURE
|
Cost Code |
Adopted Budget 06/07 |
Revised Budget 06/07 |
Description |
|
Project No. 1171 |
$90,000 |
$155,000 |
Ferrara Reserve Community Garden |
EndOfRecommendation - This line will not be printed Please do NOT delete
ATTACHMENT 1
StartOfAttachment - Do not delete this line will not be printed

EndOfAttachment - Do not delete this line will not be printed
File Ref: PA6/0012V01
File Name: BA Bulter Public Open Space Reference Group Recommendations.doc This line will not be printed dont delete
Responsible Officer: Director Community Development
Disclosure of Interest: Nil
Author: Recreation Officer Facility Development
Meeting Date: 31 October 2006
Attachment(s): 2
StartStrip - This line will not be printed Please do NOT delete
Issue
To consider the recommendations of the Butler Public Open Space Reference Group in relation to the development of the Butler Community Centre and Sports Amenities Building , Kingsbridge Park, Butler.
Background
Kingsbridge Park is defined as the parcel of land bounded by Connolly Drive, Kingsbridge Boulevard, Camborne Parkway and Tollesbury Avenue (Attachment 1). The site contains a primary school, playing fields, passive park areas, sewer pumping station reserve, drainage reserve, mobile library stop and car parking.
At its meeting of 23 September 2003 (CD04-09/03), Council approved the formation of the Butler Public Open Space Reference Group (the group). The aim of the group was to:
· Oversee the development of the Butler Public open Space Master Plan.
The areas of responsibility of the group were to:
· To consider issues associated with the Butler Public Open Space including the development of the community centre.
· To provide input and oversee the community consultation process associated with the project
· To provide comment on and advise on research conducted by administration specific to Kingsbridge Park and to,
· Provide recommendations to Council on any development resulting from the Butler Public Open Space Master Plan.
Membership of the group was as follows:
· Mayor of the City of Wanneroo
· Hester Ward Councillors
· Director Community Development
· Director Infrastructure Maintenance
· Rev David Lord – Community Representative
· Mr Dennis Munckton - Community Representative
· Mrs Lorraine Davies - Community Representative
· Mr Sandy Biagioni – Satterley Property Group
The concept plans for the Butler Community Centre and Sports Amenities Building have been developed by the Project Architect, Woodhead International, which was appointed by Council at its meeting on 27 June 2006 (Report IN07-06/06).
Detail
The Butler Public Open Space Reference Group held a total of seven meetings between January 2004 and October 2006, giving consideration to the development of Kingsbridge Park, Butler Community Centre and Sports Amenities Building. In doing so, the group was responsible for the development of the functional requirements of the Community Centre and Sports Amenities Building. These functional requirements then formed the basis of the Functional Brief for the buildings.
This process was heavily informed by the background work undertaken by Creating Communities and the City of Wanneroo to identify community needs as they related to community infrastructure.
The resultant concept design developed by Woodhead International for the Community Centre and the Sports Amenities Building is included within Attachment 2 (Drawing No 2170-12-A).
As per the agreed functional requirements, the Community Centre provides the following elements:
· Function hall of some 182 square meters, suitable for functions, low impact recreational activities, dances and other large group activities. Includes break out areas to both the east and west.
· Multi Purpose Room of some 81 square meters, suitable for playgroups and childrens activities, craft groups, medium sized community meetings etc. Includes breakout area to the west and a enclosed break out area into a playground to the east.
· Meeting Room of some 24 square metres, suitable for community meetings and provision of services by either the City of Wanneroo, community based or state government based agencies.
· Two office spaces of between 10 to 11 square metres, suitable for community meeting requirements and service provision by City of Wanneroo, community and State Government agencies.
· Kitchen facilities servicing both the function hall and multi purpose meeting room.
· Toilet facilities, including disabled and baby change facilities.
· Storage areas servicing function room and multi purpose room.
The Sports Amenities Building includes the following elements:
· Two changerooms with toilet and shower facilities, suitable for a group of up to 25 people.
· Kiosk facility facing onto the sports oval to the west to accommodate sporting group requirements.
· Three storage facilities to accommodate sporting requirements.
· Public access toilets on the eastern side, including disabled and baby change facilities.
All facilities will be made available to the community as per Administration’s existing Facility Hire and Use Policy and Guidelines. It is anticipated that an Expression of Interest process will be set in place prior to the completion of construction to facilitate initial community access.
The provision of the Sports Amenities Building in the 2007/08 financial year was recommended by the Butler Public Open Space Reference Group at it’s meeting of 9 August 2006 and subsequently endorsed by Council at its meeting of 29 August 2006 (CD10-08/06).
Consultation
At the meeting on 30 August 2006, the Butler Public Open Space Reference Group:
“NOTED the consultation strategy for the period of 27 October 2006 to 30 November 2006 as endorsed by the City of Wanneroo Consultation Review Panel on 18 August 2006 as follows.
· Mail out to all residents of Butler
· Advertisement in the Wanneroo Link
· Advertisement on the City of Wanneroo Web Site
· Display of large scale plans at Clarkson Library
· Display of large-scale plans at Satterley Sales Office, Butler.”
The community consultation process was endorsed by Administration’s Community Consultation Review Panel on the 18 August 2006 and public comment was sought on the concept design for Butler Community Centre and Sports Amenities Building between 7 September 2006 and 6 October 2006.
Summary of the response received:
· Total number of letters distributed 2,087
· Total returned 85 (4.07%)
· Total supportive of project 80 (94%)
· Total not supportive of project 5 (6%)
Comment
Eighty five percent of the written submissions were in favour of the concept design plan for Butler Community Centre
As a result of the Public Comment responses a number of comments on the detail of the design were given consideration by the Butler Public Open Space Reference Group at the meeting on 11 October 2006 and recommended to be listed for consideration subject to containment within project funds, as follows:
· Larger Function Hall of 200msq (concept provides for 182msq)
· Provision for future installation of closed circuit television cameras.
· Provision of secure computer facility within meeting room.
· Consideration to be given to water saving appliances in toilets.
· Rubber softfall for all playground areas.
In addition a number of management and programming issues were commented upon and will be considered by Administration through the normal operation and monitoring of the facility. These include:
· Youth activities and equipment within Activity Room 1
· Access to facility to be controlled.
· Control on consumption of alcohol within the facility
The facility design as provided within Attachment 2 provides for a functional facility which will be able to meet the broad range of community needs both now and into the future.
Statutory Compliance
Section 5.8 of the Local Government Act 1995 provides Council the ability to introduce Committees and appoint community representatives to serve on these Committees.
At the meeting of the Butler Public Open Space Reference Group on 11 October 2006 it was agreed the group had achieved the objectives as determined within the Terms of Reference.
· To consider issues associated with Butler Public Open Space including the development of a community centre.
· To provide input and oversee the community consultation process associated with the project
· To provide comment and advise on research conducted on specific community uses to be included in the Butler Public Open Space
· To provide recommendations to Council on any development resulting from the Butler Open Space Masterplan
As such it was agreed by the Reference Group that on adoption by Council of the Butler Community Centre Concept Plan, a recommendation be made that under the group’s Terms of Reference, for Council to terminate the Butler Public Open Space Reference Group.
Strategic Implications
The Butler Community Centre development is consistent with the City of Wanneroo 2006-2021 Strategic Plan objectives
“Environmental 1.5 Improve the physical quality of the built environment.
Social 2.1 Increase choice and quality of neighbourhood and lifestyle
options
2.2 Improve the City’s identity and community well-being
through arts, culture, leisure and recreation.
Governance 4.2 Improve community engagement.
4.3 Improve asset management.”
Policy Implications
Nil
Financial Implications
The development of the Butler Community Centre has been allowed for through Project Number PR 1016, listed within the 2006/07 Infrastructure Works Programme to the value of $2,051,000. This sum is inclusive of building construction, fit out, landscaping and the provision of 3 on 3 basketball area and playgrounds.
At its meeting of 29 August 2006 (CD10-08/06), Council resolved to list the sum of $515,000 in the 2007/08 Infrastructure Works Programme for the provision of the Sports Amenities Building.
Advice from the project Quantity Surveyor has indicated that the Concept Plans for both the Butler Community Centre and Sports Amenities Building are within the allocated budgets.
Voting Requirements
Simple Majority
EndStrip - This line will not be printed Please do NOT delete
Recommendation
That Council:-
1. ADOPTS the Bulter Community Centre and Sports Amenities Building Concept Plan (Drawing No 2170-12-A) with the following additional items listed for consideration within the detailed design stage, subject to containment within project funds.
a) Larger Function Hall of 200msq (concept provides for 182msq)
b) Provision for future installation of closed circuit television cameras.
c) Provision of secure computer facility within meeting room.
d) Consideration to be given to water saving appliances in toilets.
e) Increased rubber softfall.
2. AGREE to terminate the Butler Public Open Space Reference Group on Adoption of the Butler Community Centre and Sports Amenities Building Concept Plan (Drawing No 2170-12-A), accepting that the objectives identified in the Terms of Reference have been achieved.
3. ACKNOWLEDGES the contributions of the members of the Butler Public Open Space Reference Group and expression of thanks be sent to each member.
EndOfRecommendation - This line will not be printed Please do NOT delete
StartOfAttachment - Do not delete this line will not be printed
![]()

EndOfAttachment - Do not delete this line will not be printed
ATTACHMENT 2 Page 1 of 2
StartOfAttachment - Do not delete this line will not be printed

ATTACHMENT 2 Page 2 of 2

EndOfAttachment - Do not delete this line will not be printed
File Ref: S08/0015V01
File Name: BA Shared Use Facilities With The Department of Education and Training Policy.doc This line will not be printed dont delete
Responsible Officer: Director Community Development
Disclosure of Interest: Nil
Author: Special Projects Officer – Leisure and Cultural Services
Meeting Date: 31 October 2006
Attachment(s): 2
StartStrip - This line will not be printed Please do NOT delete
Issue
To consider a draft policy for Shared Use of Facilities With The Department of Education and Training (the policy) and the Draft Memorandum of Understanding (MOU) between the Department of Education and Training (Minister for Education) and the City of Wanneroo.
Background
The development of the draft policy and MOU has resulted from the presentation of a report to Council at its meeting held on 14 March 2006 (CS04-03/06), regarding the provision of joint use hard courts. As a result of this report, Council resolved to (amongst other things):
“ENDORSES the development of a policy to promote and implement the Principles of Shared Use Facilities with the Department of Education and Training.”
Council has endorsed the City entering into Licence Agreements with the Minister for Education for seven school sites to date. They include those listed in the following table.
|
School |
Reserve/Park |
|
Clarkson Primary School 8 Aldersea Circle, CLARKSON |
Richard Aldersea Park Reserve 42042 Lot 11670 P 17995 Vol 3096 Fol 150 |
|
Koondoola Primary School Burbridge Avenue, KOONDOOLA |
Koondoola Park Reserve 33504, SWAN LOC 9335 |
|
Landsdale Primary School, 19 Warradale Terrace, LANDSDALE |
Warradale Park Reserve 45966 Lot 12938 P 21787 Vol 3111 Fol 100 |
|
Merriwa Primary School Baltimore Parade, MERRIWA |
Addison Park Reserve 41483 Swan Loc 12265 and 11346 |
|
Mindarie Primary School 90 Rothesay Heights, MINDARIE |
Abbeville Park Reserve 43899 Lot 12424 P 20320 Vol 3106 Fol 25 |
|
Quinns Rocks Primary School 6 Rees Drive, QUINNS ROCKS |
Gumblossom Park Reserve 28376 Lot 8163 DP 28734 Vol 3046 Fol 22 |
|
Yanchep District School Lagoon Drive, YANCHEP |
Oldham Park Reserve 32938 SWAN LOC 9136 & SWAN LOC 9690 |
Detail
Policy
The draft policy seeks to clearly articulate the framework, protocols and principles and responsibilities of each party. The protocols and principles, which accompany the draft policy, are included within Attachment 1. In addition to this the draft policy includes the development of a Memorandum of Understanding between the City of Wanneroo and the Department of Education and Training.
The draft policy has been presented to Council Forum for information on 26 September 2006.
Memorandum of Understanding
Fundamental to the development and management of Joint Use Facilities, is the development of a sustainable partnership between the City of Wanneroo and the Department of Education and Training. To formalise this process, a draft MOU (Attachment 2) has been prepared to clearly articulate the joint objectives, outcomes, roles and responsibilities of both the City of Wanneroo and the Department of Education and Training and principles. Importantly, the MOU identifies the requirement for shared costs in relation to ongoing operations of these facilities.
The MOU is based on the notion that Administration and DET will work collaboratively to ensure the most efficient and effective use of resources.
The Department of Education and Training have been inherently involved in all stages of the development of the draft MOU.
Comment
The implementation of the policy and MOU will ensure continuity in the ongoing implementation of joint use facilities within the City of Wanneroo. These documents will also assist the City of Wanneroo in working with various government agencies, including the Western Australian Planning Commission, Department of Infrastructure and Planning and Department of Sport and Recreation, when it comes to planning for community facilities.
Statutory Compliance
DPI has a number of policies and guidelines it requires local governments to adhere to, to ensure Section 152 reserves (Crown Reserves) are intended for the recreational purposes of the general public. DPI is formally progressing the implementation of a Government Land Bulletin regarding “Licensing of S.152 Public Recreation” reserves to the Department of Education and Training for school sporting activities.
The arrangement of giving schools licences to use S.152 reserves during school hours is consistent with the WAPC Policy No. DC.2.4 and will be revised as a matter of course should any changes be made to the WAPC Policy. Organised sport promotes the objectives of public recreation and requires a degree of control and exclusion of the public’s rights of access at particular times.
Strategic Implications
The development of a policy to promote and implement the principles of shared use facilities with the Department of Education and Training, and adopting and implementing a Memorandum of Understanding with DET is consistent with the following City of Wanneroo Strategic Plan (2006-2021) objectives:-
“2 SOCIAL – healthy, safe, vibrant and connected communities.
2.1 Increase choice and quality of neighbourhood and lifestyle options.
2.2 Improve the City’s identity and community well-being through arts, culture, leisure and recreation.”
Policy Implications
This report recommends the implementation of the draft Shared Use of Facilities With The Department of Education and Training Policy, noting the development of a draft Memorandum of Understanding (Attachment 2) to support the policy’s implementation
Financial Implications
The financial implications resulting from the development of Joint Use Facilities with the Department of Education and Training will be listed for consideration within the Five Year Infrastructure Works Budget and Five Year Financial Plan as and when required.
Voting Requirements
Simple Majority
EndStrip - This line will not be printed Please do NOT delete
Recommendation
That Council:-
1. ENDORSES the Memorandum of Understanding between the City of Wanneroo and the Department of Education and Training in relation to the planning, development and management of shared use facilities
2. AUTHORISES the Chief Executive Officer and Director Community Development to affix the Common Seal of the City of Wanneroo and execute the Memorandum of Understanding between the City and the Department of Education and Training.
3. ENDORSES the draft policy Shared Use Facilities with the Department of Education and Training as included below:
Shared Use Facilities with the Department of Education and Training
Policy Owner: Leisure and Cultural Services, Community Development
Distribution: All Directors, Managers, All Elected Members
Implementation: 1 May 2006
Scheduled Review: 1 May 2008
Objective
To provide a framework for the promotion and implementation of the Principles and Protocols for Shared Use Facilities between the Department of Education and Training and the City of Wanneroo.
Statement
The intent of the policy is to ensure both parties work collaboratively and that the most efficient and effective use of physical, and financial resources as well as social planning issues are considered to promote the use and opportunities for students and the community in the use of joint facilities.
Background
The City of Wanneroo (the City) and the Department of Education and Training (DET) have developed a set of protocols and principles to be considered when recommending the co-location of school sites with Public Open Space (POS) and/or the sharing of recreation and community facilities. The protocols and principles highlight the need for prior consensus regarding the planned use, development and ongoing management of the facilities before either party enters into a shared use arrangement and formal agreement.
A report was presented to Council at its meeting held on 14 March 2006 (CS04-03/06) regarding the provision of joint use hardcourts resulting in the following resolution being adopted:
“ENDORSES the development of a policy to promote and implement the Principles of Shared Use Facilities with the Department of Education and Training.”
The policy has been developed to provide clarity to the process of promoting and implementing the principles of shared use of facilities.
Definitions
Shared use can be defined as more than one party using another party’s facilities.
Public Open Space (in the context of this policy) is defined as an active playing field for structured sporting activities accessible to all members of the community and maintained by the City.
Recreational and community facilities include playfields, hardcourts, and indoor and outdoor recreational amenities, community health and multipurpose spaces for general community use.
1. Framework
The framework governing the development of shared use agreements between DET and COW consists at the elements of Policy, Protocols, Principles, Memorandum of Understanding (MOU) and Licence Agreements, as depicted below.
Policy
The policy document formalises the overarching framework to guide the development, implementation and ongoing management of shared use agreements between the City and DET.
Protocols and Principles
The Protocols and Principles have been developed as a set of rules and processes to be used which will allow shared use to be progressed in the most appropriate and collaborative manner for all stakeholders involved. The Protocols and Principles are outlined in more detail in Attachment A.
Memorandum Of Understanding
The Memorandum of Understanding is an agreement between the Minister for Education and the Mayor and CEO of the City of Wanneroo. The MOU defines the roles and responsibilities of both organisations in relation to the sharing of facilities. The MOU is applicable to all shared use agreements.
Licence Agreement
The Licence Agreement is a written agreement between the City of Wanneroo and the Minister for Education outlining the day to day operating requirements of a shared use facility including the terms and conditions for sharing facilities. Each Licence Agreement is specific to the individual school site.
2. Responsibility for Implementation
Manager Leisure and Cultural Services. The Manager Leisure and Cultural Services will work with all appropriate DET representatives and City staff to ensure all processes are conducted in a professional and efficient manner.
EndOfRecommendation - This line will not be printed Please do NOT delete
ATTACHMENT 1 Page 1 of 4
StartOfAttachment - Do not delete this line will not be printed
CITY OF WANNEROO
And
DEPARTMENT OF EDUCATION AND TRAINING
PROTOCOL FOR CONSIDERING CO-LOCATION OF SCHOOL SITES WITH PUBLIC OPEN SPACE
January 2006
ATTACHMENT 1 Page 2 of 4
PROTOCOL FOR CONSIDERING CO-LOCATION OF SCHOOL SITES WITH PUBLIC OPEN SPACE
Purpose
To establish a protocol for the City of Wanneroo (City) and the Department of Education and Training (DET) to follow when considering proposals to co-locate schools and public open space.
Background
The Western Australian Planning Commission Policy sets out the general criteria and design standards for the provision of school sites in residential areas.
The policy generally allows for primary school sites of 4 hectares in area and high school sites of 10 hectares in area.
There is provision in the policy for the area of school sites to be reduced, where the school site is co-located with public open space, the open space is fully utilised by the school and where arrangements are in place to provide for long term management contributions from the education provider to the Local Government.
As primary school sites are provided by the development industry free of cost to the Government, there appears to be an increased trend toward co-location. In principle, this should be of benefit to both the State and Local Government, given that it provides for a more efficient use of land and resources.
In recent times however, co-location has been assumed appropriate, rather than the merits of each case being subject to individual assessment. There are generally no development principles established for each party to be guided by and consequently development outcomes are often not maximised. In addition, maintenance agreements are not prepared which has resulted in inequitable cost sharing and conflicts in respect to the development and use of the open space.
Detail
To address these issues and ensure that maximum benefit is derived from co-locating schools and open space, it is critical that prior agreement exists regarding the planned use, development and ongoing management of the open space. The desirability of co-location needs to be specifically determined in each case. To maximise flexibility, the decision to proceed with co-location is most appropriately made at the structure planning stage.
To assist in making such a decision, and in order to properly plan for co-location, the following issues need to be determined at the respective stage of the planning and development process.
ATTACHMENT 1 Page 3 of 4
Structure Plan Stage
Agreement on the following items is to be negotiated between the City, the DET and where appropriate, the developer:
· School and open space location (spacing, catchments etc);
· Area of the school and open space sites;
· Configuration of the individual and overall site;
· Topography of the individual and overall site;
· Form and extent of any public utility infrastructure, such as drainage, easements etc within the overall site;
· Transport integration (road capacity, paths, street parking, set down areas, traffic management etc);
· Determination of joint facilities eg active/passive recreation, car parks, access points, hall, library, other partnering opportunities etc;
· Key development principles, such as car park locations, school entry location, active playing field location, vegetation protection, utility service connection points etc. This should take the form of a concept plan with appropriate notations, in sufficient detail to demonstrate that the key development principles and major land use components can be accommodated;
· Key principles for sharing of development, use and maintenance of joint facilities, including cost sharing and likely timing of development of the school and open space, as well as design and construction responsibilities.
It is envisaged that the agreed principles would be contained within an exchange of letters and also within the structure planning documentation.
Subdivision Stage
· The developer is to cede or otherwise set aside serviced land for school and open space;
· A traffic impact study/safety audit is to be undertaken and recommended traffic management works implemented;
· Frontage roads are to be designed and constructed with appropriate traffic management, parking, set down areas, paths etc;
· Development timeframes for the school and open space is to be estimated.
Design and Development Stage
· The City is to become involved in the DET School Project Consultation Group as necessary;
· The school and open space design and construction is to be undertaken in accordance with the previously agreed principles and normal development requirements (an information package/guidelines should be developed to assist with this process);
· Onsite car parking is to be designed and constructed;
· An appropriate formal written agreement relating to the development, use, and maintenance of shared infrastructure is to be entered into between the City and the Minister for Education. Where appropriate this should also include the developer. This should be based on a standard template, with variations as necessary.
ATTACHMENT 1 Page 4 of 4
The detailed terms of the agreement would need to be negotiated between the City and the DET, however key principles should be as set out on Attachment 1;
· Ongoing maintenance commences in accordance with the agreement.
KEY PRINCIPLES FOR JOINT USE AGREEMENT
Development
· The City constructs the open space, including turf, bores, pumps, reticulation, landscaping and other infrastructure such as practice wickets, football goal posts etc;
· The DET provides a 50% contribution (or such other sum as agreed based on the area that the DET would normally provide on the school site) toward the cost of the open space development at the time of the school opening;
· Contributions towards other infrastructure, such as car parks, toilet blocks and change rooms etc are negotiated on an individual basis; and
· The City and DET agree to enter into negotiations to contribute toward future capital works, based on an evaluation of school and community needs where appropriate.
Use
The City maintains overall booking responsibility for the open space;
· The DET has exclusive use of the shared open space during school hours (say 9am to 3.30pm or such other hours as agreed) excluding school holiday periods; and
· A process is outlined for each party to follow in the event that it wishes to use shared facilities outside agreed times.
Maintenance
o The City maintains entire shared open space area;
o The DET provides a 50% contribution (or such other sum as agreed based on the area and facilities the DET would normally provide on the school site) to the City, based on the City’s costs to maintain the facility. Maintenance includes the following:
o turf mowing, fertilising, renovations, top dressing;
o bore and pump maintenance;
o watering costs;
o maintenance of other shared infrastructure such as cricket practice wickets;
o landscaping;
o active playing field marking;
o insurance; and\
o other as determined by the City and DET
EndOfAttachment - Do not delete this line will not be printed
StartOfAttachment - Do not delete this line will not be printed
ATTACHMENT 1 PAGE 1 OF 5
![]()
MEMORANDUM OF
UNDERSTANDING
BETWEEN
|
|
|
|
|
|
|
City of Wanneroo |
Minister for Education and Training |
|
|
|
|
Civic Centre 23 Dundebar Road Wanneroo WA 6065
|
Department of Education and Training 151 Royal Street East Perth WA 6004 |
|
1. Introduction
The City of Wanneroo (the City) and the Department of Education and Training (DET) have developed Protocols for considering co-location of school sites with Public Open Space to facilitate the shared use of recreational facilities. The Protocols have been fully supported by the Executive Management Team at the City. A copy of the Protocols is at Attachment 1.
The City and DET have developed the Memorandum of Understanding (MOU). Each party recognises the expertise each provide and the value of an MOU to express the objectives of each party.
This MOU has been compiled based on the understanding that the City and DET need to work collaboratively to ensure the most efficient and effective use of resources including, physical, financial, and economical and will incorporate proper social planning considerations.
· It is the responsibility of the City, to plan, develop, construct, operate and maintain park and recreational land and facilities in the City of Wanneroo, for recreational purposes and to organise and administer public recreational programs.
· It is the responsibility of DET to develop and deliver educational and recreational/sporting programs that support its curriculum and provide the necessary facilities and sites for these programs.
· The parties support, the extension of their services to the total community and encourage co-operation and co-ordination among the community to better meet the educational and recreational needs of the community of the City of Wanneroo.
· The parties wish to use their resources and facilities for the maximum benefit of the citizens of the City of Wanneroo and to accomplish this goal the parties desire to enter into this Agreement.
2. Purpose
The Memorandum of Understanding is designed to:
· Promote the spirit of co-operation and mutual support.
· Establish and promote recognition and pathways between the organisations.
· Promote the sharing of resources and opportunities regarding shared facilities and related services.
3. Joint Objectives
ATTACHMENT 1 PAGE 3 OF 5
Both parties agree to:
· Act in good spirit of co-operation in their dealing with each other and give due consideration to the needs of the other at all times.
· Work to promote the use and opportunities for the students and community. This will be developed between the two organisations.
4. Joint Outcomes
· Ensures schools, sports fields and other infrastructure available to community groups after school hours and City recreational facilities (including playing fields, hard courts) available to children during school hours.
· Prevents fragmentation of school and public open space in suburban areas.
· Ensures school and public open space are large enough to meet needs.
· Maximises the efficient use of the school site and public open space through improved and coordinated planning.
· Ensure services and facilities are not duplicated resulting in a cost effective solution in the delivery of services.
5. Roles and Responsibilities of City of Wanneroo
· The City constructs the open space, including turf, bores, pumps, reticulation, landscaping and other infrastructure such as practice wickets, football goal posts, hardcourts etc.
· The City maintains overall booking responsibility for the open space.
· The City maintains entire shared open space area.
6. Roles and Responsibilities of Department of Education and Training
· The DET provides a contribution (a sum as agreed, based on the area that the DET would normally provide on the school site) toward the cost of the development at the time of the school opening.
· The DET provides a contribution (or such sum as agreed, based on the area and facilities the DET would normally provide on the school site) to the City, based on the City’s costs to maintain the facility.
Maintenance includes the following:
-
ATTACHMENT 1 PAGE 4 OF 5
turf mowing,
fertilising, renovations, top dressing;
- bore and pump maintenance;
- watering costs;
- maintenance of other shared infrastructure such as cricket practice wickets;
- landscaping;
- active playing field marking;
- insurance;
- other as determined by City and DET.
· The DET has priority use of the shared facility/facilities during school hours (9am to 3.30pm or such other hours as agreed) excluding school holiday periods.
7. Joint Roles and Responsibilities
· Contributions towards other infrastructure, such as car parks, toilet blocks and change rooms etc are negotiated on an individual basis.
· The City and DET agree to enter into negotiations to contribute toward future capital works, based on an evaluation of school and community needs where appropriate.
· A process is outlined for each party to follow in the event that it wishes to use shared facilities outside agreed times.
8. Founding Principles
Shared Use
That the nominated areas within each of the school sites and recreation sites, facilities and resources be shared, thus reducing duplication of resources.
Co-operative Planning
That school sites, parks and recreation sites, and facilities be co-operatively planned.
Consultation
That the parties to the Agreement undertake ongoing consultation with User Groups during the lifetime of the Agreement.
Efficiency and Effectiveness
That the resources of the parties and User Groups be efficiently used and extended for the maximum benefit of the community.
Shared Cost
That costs associated with the Agreement be fairly shared among the parties to the Agreement. User groups may participate in basic operating costs of facilities, and may be offered the opportunity to purchase or supply enhanced levels of service and to participate in capital improvements.
City Control
The City will take total control of the facility and hold the title of the Management Order, whilst ensuring the organising security of the facility, maintain its POS status and size for the benefit of the community.
ATTACHMENT 1 PAGE 5 OF 5
9. Confidentiality
Both parties agree to, at all times maintain the confidentiality of all pertinent data, information and reports provide by the other party, except to the extent that disclosure is necessary to carry out the required services.
10. Duration and Termination
This MOU will run for the period of 21 years from 1 January 2006 to 31 December 2027. This MOU may be modified or extended via negotiation and agreement by both parties. Either party may terminate the MOU with six months written notice.
11. Dispute Resolution
The parties will attempt to settle all disputes arising from the execution or in connection with this Agreement, through friendly consultation between the parties. Failing agreement, two arbitrators, one to be appointed by the City and one to be appointed by the Minister, in accordance with the provisions of the Commercial Arbitration Act 1985 will prevail. Either party may if it so desires be represented by a qualified legal practitioner or other representative.
12. Signatories
Date this ___________________ day of _________________ 2006
|
City of Wanneroo |
Minister for Education and Training |
|
|
|
|
Signed |
Signed |
|
|
|
|
Charles Johnson
Chief Executive Officer |
Paul Stephen Albert
Director General |
EndOfAttachment - Do not delete this line will not be printed
File Ref: S25/0183V01
File Name: BA Future Management Options for the Kingsway International Sports Stadium .doc This line will not be printed dont delete
Responsible Officer: Director Community Development
Disclosure of Interest: Nil
Author: Manager Leisure and Cultural Services
Meeting Date: 31 October 2006
Attachments: 1
StartStrip - This line will not be printed Please do NOT delete
Issue
To consider the outcome of lease termination discussions held with the Badminton Association of WA (BAWA), for the Kingsway International Sports Stadium (the Stadium).
Background
At its meeting of 29 August 2006, Council considered report CD13-08/06 outlining the Future Management Options for the Kingsway Regional Sports Stadium.
The report advised that Council had received a proposal from BAWA outlining two scenarios for the future management of the centre. These were as follows:
Scenario 1 – City of Wanneroo Management of the Centre
This scenario would see the City of Wanneroo undertaking to manage the centre independently of BAWA. This would be based on Administration and BAWA negotiating the termination of the current lease, and proposes the following outcomes:
· BAWA to receive a lump sum payment from the City in recognition of the remaining proportion of its 35 year lease, that is the balance of the combined $1,000,000 BAWA/DSR contribution which is identified within the proposal as being in effect rent in advance.
· BAWA be given a lease or licence to use an area of the centre as a State Administration Office.
· BAWA be given the first right to use the various facilities at concessional rates to be negotiated.
Scenario 2 – Management of the Centre by a Commercial Entity
This scenario is based on the appointment of an external private management group by BAWA to undertake the day-to-day management of the facility.
The proposal indicated that Scenario 1 was the preferred option of the BAWA Board.
As a result Council resolved to:
“1. NOTES the receipt of the Badminton Association of WA’s proposal regarding the future management options for the Kingsway International Sports Stadium as included within Attachment 1.
2. AUTHORISES the Chief Executive Officer to write to the Badminton Association of WA, advising that:
a) The City of Wanneroo is agreeable to the termination of the lease.
b) The City is not in support of Scenario 1 as outlined within the Badminton Association of WA’s proposal, and based on current information considers Scenario 2 to contravene the existing lease.
3. ENDORSES IN PRINCIPLE City of Wanneroo management of the Kingsway International Sports Stadium.
4. NOTES that a further report will be provided to Council at its meeting on 31 October 2006 to advise of the outcome of lease termination negotiations and the implications for the management of the Kingsway International Sports Stadium by the City of Wanneroo until June 2008.”
As a result, Administration has written to BAWA advising of Council’s resolution on the matter and the Chief Executive Officer has undertaken negotiations with BAWA Board relating to the termination of the existing lease agreement.
Detail
Administration has met with the BAWA Board and Officers on a number of occasions in the course of negotiating the termination of the existing BAWA lease over the Stadium.
The offer put to BAWA by Administration as per these negotiations is summarised as follows:
· Subject to the terms summarised below and subsequently endorsed by Council, the City of Wanneroo would support the surrender of the BAWA lease over the Stadium on a ‘as is’ basis and waive any future obligations on the part of BAWA under the provisions of the Lease.
· Provision of Office Space within the Centre on an ongoing basis, for use as a BAWA State Administration Office. Initial term and options to be negotiated as per the City’s Tenancy Policy, with agreed lease to be reported to Council separately for consideration.
· Accommodation of existing badminton court bookings for training purposes at a rate of $5 per court per hour. Court usage to be booked on an annual basis and the hire fee being subject to Council’s annual review of its Schedule of Fees and Charges.
· Accommodation of existing multi purpose court and room hire bookings at an hourly hire rate to be determined, based on existing hourly hire rates and market rates for similar community recreation facilities. Court usage to be booked on an annual basis, with the hire fee being subject to Council’s annual review of its Schedule of Fees and Charges
· Allocation of up to ten (10) badminton courts for up to ten (10) weekend major events. Event bookings to be made on an annual basis and the hire fee to be confirmed, however based on the $5 per court per hour hire rate and market rates for similar community recreation facilities The hire fee being subject to Council’s annual review of its Schedule of Fees and Charges.
· Payment of a one-off ex gratia payment to support the re-establishment of the Association, being a maximum figure of $200,000 minus outstanding debts and maintenance liabilities. Payment to occur in September 2007.
· Handover of the facility to the City of Wanneroo to occur on 1 January 2007.
In correspondence the BAWA Board have advised of its in principle acceptance of the offer, subject to final endorsement by its Membership at a Special General Meeting to be held in November 2006 (Attachment 1). The Association has flagged its intention to seek the following concessions:
· Payment of a portion of the ex gratia payment in January 2007.
· The City to write off any outstanding maintenance liability.
Consultation
Nil.
Comment
It is the intention of Administration to manage the Stadium as a Community Recreation facility, providing a wide range of community based sporting and leisure activities to meet the needs of the community. In doing so it is acknowledged that the Stadium will be deficit funded, with Administration seeking to ensure the effective management of the funding deficit within approved budget parameters.
In terms of staffing, the initial 18 month period (1 January 2007 to 30 June 2008) will see the appointment of key management and programme staff. This includes a full time Centre Manager, Programme Officer, part time Administration Officer, Customer Service Officers and Cleaning/Maintenance Officer and casual sport coaches, umpires and instructors.
During this period, programme development will focus on the development of existing programmes, augmented by additional programme activities, utilising existing facilities. Maintenance to ensure regulatory compliance and to bring the facility up to the standards expected of a City of Wanneroo facility will also be undertaken. Upgrades of the function room and re-branding of the facility ahs also been allowed for during this period.
Capital expenditure has been limited to the provision of sports equipment, equipment for administration and reception, cleaning equipment, tables and chairs, and upgrades to the function room.
The focus will be on developing positive relationships with existing users (including BAWA) and the surrounding community to principally develop a greater awareness of the facility and the programmes and activities on offer.
Multi marking of the sport courts, provision of a creche, kiosk group fitness room and gymnasium has not been planned until after the 30 June 2008 milestone.
Administration recommends proceeding with the negotiations as detailed in the letter from the Badminton Association dated 13 October 2006. This outcome provides the opportunity to defer or delete the future development of the proposed Darch Community Centre (estimated budget of $2 million).
Statutory Compliance
Clause 3.21 of the Lease provides an entitlement for BAWA to sublet or transfer the Lease subject to certain conditions being met, with the prior written approval of the Lessor (City). This clause includes the following condition:
“The covenants and agreements on the part of any such sublessee, assignee or transferee shall be deemed to be supplementary to the Lesee's covenants set out herein and shall not in any way relieve or be deemed to relieve the Lessee from its liability hereunder.”
Therefore, whilst BAWA could seek to assign the Lease, the Association would ultimately remain responsible for the performance of the Lease conditions.
The arrangement proposed by BAWA under Scenario 2 for the appointment of a private management group, is not technically an assignment, but is likely to constitute an arrangement that would actually result in BAWA being in default of the Lease. Clause 5.3 lists as a default condition "if any person shall be in occupation or possession of the premises or in receipt of the rent other than the lessee or an approved sublessee". As the private management option proposes for a company to take day to day control over most of the building, including the collection of revenues, this is considered to be a default under clause 5.3.
Should the City wish to consider a direct Lease with a private management company, then negotiations would need to comply with the requirements of section 3.58 of the Local Government Act 1995. In that instance, unless the Lease resulted from a tender or auction process, the public notice provisions of section 3.58(3) would apply.
Due consideration will be required to be given to Section 6.8 (1) (b) of the Local Government Act (1995) as it relates to unbudgeted expenditure.
Strategic Implications
The proposed direction supports the following City of Wanneroo Strategic Plan outcomes and objectives.
Outcome 2 Social
“2.1. Increase choices and quality of neighbourhood and lifestyle options.
2.2. Improve the City’s identity and community well being through arts, culture, leisure and recreation.”
Policy Implications
Nil
Financial Implications
The financial implications for the management of the centre by the City of Wanneroo for the period from January 2007 to June 2008 are as follows:
Actual Cash Flows associated with the Management of the Kingsway International Sports Stadium
|
|
2006/07 (6 months) |
2007/08 (12 months) |
|
Income |
$114,410 |
$228,920 |
|
Expenditure |
$340,650 |
$547,605 |
|
Net Operating Costs/ Managed Deficit |
$226,240 |
$318,685 |
|
|
|
|
|
Capital Cost |
$87,690 |
$0 |
|
|
|
|
|
One-Off Ex gratia Payment |
$66,700 |
$133,300 |
|
|
|
|
|
Total Funding Required |
$380,630 |
$451,985 |
Figures are estimates based on expected revenue generation and staffing, maintenance and fit out requirements based on current known extent.
It is important to note that during the proposed management of the Stadium by the City of Wanneroo up until 30 June 2008, the Stadium will be required to run on an operational basis. This will require the following:
· Continuation of existing, and development of new, programmes and services where appropriate.
· Payment of salaries and wages for key facility management and programme staff.
· Centre promotion and re-branding.
· Furniture fit out requirements (including sporting equipment).
· Building maintenance, cleaning and compliance costs.
The ex gratia payment to a maximum of $200,000 has been offered to BAWA to offset the losses incurred by BAWA for the period of its operation of the facility and to assist in the re-establishment of the Association. The ex gratia payment is subject to the deduction of outstanding debts owed to the current value of $39,781, subject to finalisation of negotiations. The ex gratia payment has been listed in 2006/07 to cover the outcomes of the final negotiated position between Administration and BAWA. Should a portion of the ex gratia payment be made in 2006/07, the balance will be carried forward to the 2007/08 financial tear.
The current Five Year Financial Plan has not made an allowance for the costs associated with management of the facility up until June 2008. Whilst the sum of $313,685 can be accommodated within the 2007/2008 budget, the sum of $513,930 for 2006/07 remains as unbudgeted expenditure.
This is on the basis that the management of the Stadium and the contribution of a one off ex gratia payment to a maximum of $200,000 were not anticipated during the preparation of the 2006/07 operating budget.
As a result, this report will seek Council’s authorisation in advance to expend funds to the value of $513,930 during the period 1 January 2007 to 30 June 2007, as per Section 6.8 (1) (b) of the Local Government Act (1995).
A further report will be presented to Council at its meeting on 12 December 2006 to consider the Schedule of Fees and Charges for the Stadium under City of Wanneroo management.
It should also be noted that there is a potential long term benefit for Council, in that the management of the Stadium by the City of Wanneroo may relieve Council of the need to provide a community facility within Darch, conservatively estimated at $2M.
Voting Requirements
Simple Majority
EndStrip - This line will not be printed Please do NOT delete
Recommendation
That Council:-
1. SUBJECT to endorsement by the membership of the Badminton Association of WA, ACCEPTS termination of the Badminton Association of WA’s lease over the Kingsway International Sports Stadium.
2. AUTHORISES by an ABSOLUTE MAJORITY the expenditure of $513,930 in accordance with Section 6.8 (1) (b) of the Local Government Act (1995) for the operation of the Kingsway International Sports Stadium for the period 1 January 2007 to 30 June 2007, including a one off ex gratia payment to the Badminton Association of WA to a maximum $200,000 less current debts.
3. NOTES that detailed estimates (based on actual operating outcomes) will be provided for inclusion in the 2007/2008 budget and Five Year Financial Plan.
4. NOTES a further report to Council at the Ordinary Council Meeting on 12 December 2006 to consider the Schedule of Fees and Charges for the management of the Kingsway International Sports Stadium by the City of Wanneroo.
5. NOTES a further report will be made to Council to consider the provision of a leased area within the Kingsway International Sports Stadium for use as an office space for the Badminton Association of WA.
6. NOTES a further report will be made to Council outlining options for the future management of the Kingsway International Sports Stadium beyond 30 June 2008.
EndOfRecommendation - This line will not be printed Please do NOT delete
ATTACHMENT 1 Page 1 of 2
StartOfAttachment - Do not delete this line will not be printed

ATTACHMENT 1 PAGE 2 OF 2

EndOfAttachment - Do not delete this line will not be printed
File Ref: S17/0115V01
File Name: CA UNAUTHORISED EXPENDITURE OF GRANT INCOME FOR THREE EMERGENCY MANAGEMENT GRANTS .doc This line will not be printed dont delete
Responsible Officer: Director Community Development
Disclosure of Interest: Nil
Author: LC
Meeting Date: 31 October 2006
Attachments: Nil
StartStrip - This line will not be printed Please do NOT delete
Issue
To note the offer of three emergency management grants received by the City of Wanneroo in the 2006 Local Grants Scheme and Volunteer Support Fund and approve their expenditure in the 2006/2007 budget.
Background
The City of Wanneroo applied for three emergency management grants under the 2006 ‘Working Together to manage emergencies” grant scheme. There were three grants in total applied for by the City of Wanneroo, two applications were made under the Local Grants scheme, and one application was made under the Emergency Volunteer Support Fund on behalf of the Quinns Rocks Volunteer Bush Fire Brigade.
The Local Grants Scheme is an annual grant scheme which has been operating over the past three years which provides grants to fund projects that enhance the capability of communities to prepare for, respond to and recover from emergencies and disasters arising from any hazard where those projects may not be covered by other existing Australian Government programs. A notional cap of $50,000 (plus GST) is available for each individual grant. However, in some circumstances, this cap may be exceeded if the project is considered to be cost effective with measurable high value returns to the community.
Local councils, non-incorporated local government areas, remote communities and indigenous communities are eligible to apply for funding under the Local Grants Scheme. The scheme gives priority to projects that develop and promote effective community preparedness, response and recovery initiatives, enhance protective measures for critical infrastructure, in order to reduce vulnerability to identified risks within a community.
In addition to the Local Grants Scheme, The National Emergency Volunteer Support Fund provides grants to fund projects that boost recruitment, retention and training strategies of volunteer organisations at the frontline of emergency management. Priority under this scheme is given to projects submitted which seek funding for particular strategies that enhance recruitment, retention and training of volunteers in emergency management agencies.
Detail
The City of Wanneroo has been successful in attracting a total of $146,334 in three separate grants for emergency management related activities.
The City was successful in attracting $46,234 for the provision of an emergency generator for the Emergency and Recovery Co-ordination Centre housed at the Ashby Depot, and $89,100 to construct a shared training room and recovery centre within the new Quinns Rocks Volunteer Fire Brigade Station under the annual Local Grants Scheme. Under the Volunteer Grants Scheme, a grant of $11,000 was awarded to the Quinns Rocks Volunteer Bush Fire Brigade for audio visual equipment for training.
The emergency generator application was made to provide a generator to the City of Wanneroo/City of Joondalup shared Emergency Coordination Centre (ECC)/ Emergency Recovery Coordination Centre (ERCC) facility (used by multiple agencies) of a capacity to allow telephones, lights and power points and critical communication links to operate in the ECC/ERCC in the case of loss of power in an emergency. A current small capacity generator set provides limited emergency power to the ECC/ERCC however, it is not sufficient to run the required power points, any telephones, base radios for continued communications with the field, or sufficient lighting for the centre to remain operational in an emergency.
The facility has been used on a number of occasions to conduct multi agency training to enhance preparation and preparedness for major emergencies including state wide responses. The agencies that may use the facility to assist with emergency co-ordination / recovery coordination could be any agency that provides a service to the community during an emergency, and some examples of past agencies that have used the facility both in live response situations, and in training, include; Fire and Emergency Services Authority, Police, Volunteer Bush Fire Brigades, Cities of Wanneroo and Joondalup, St John Ambulance, Department of Conservation and Land Management, Department of Community Development, State Emergency Services, the Salvation Army and the Red Cross.
The City of Wanneroo has activated the centre both as an ECC and ERCC in the past, and it has also been used as an Emergency Operations Centre for Bushfire response co-ordination between Fire and Emergency Services, Police, Volunteer Bush Fire Brigades and the City of Wanneroo in the Neerabup peat fire that started in November 2005. The centre has radio base sets that allow operational radio communication with services from FESA, City of Wanneroo services (such as Rangers, Waste and Heavy Moving Equipment) and the Volunteer Bush Fire Brigades. A back up generator set will ensure that the facility will have a continued link from the building to communication towers for continued communications during an emergency.
The second grant has been awarded to build a shared Training Room and Emergency Operations / Recovery Co-ordination Centre, Clarkson co-located with the new Quinns Rocks Volunteer Fire Brigade Station, and it exceeds the notional cap for the grant due to the regional nature of the project. The grant will allow an additional room to be built on the new Quinns Rocks Volunteer Fire Brigade Station for which construction will begin late 2006. The room (approximately 7m by 10m) will be used for the dual purposes of a Training Room for the Quinns Rocks Volunteer Bush Fire Brigade and for multi agency emergency management exercises for the region, and as an Emergency Operations / Recovery Co-ordination Centre (ECC/ERCC) when required by the City of Wanneroo and other agencies in a multi response emergency situation.
The building of this facility is an element of a larger project to build the Quinns Rocks Volunteer Fire Station in the suburb of Clarkson. Funding of $200,000 has been committed to the Fire Station component of this facility under the Emergency Services Levy funding, however, this funding does not accommodate the building of a dedicated training room and ECC/ERCC as part of the project.
Comment
As these three grants were not budgeted for in the 2006/2007 annual budget, it is requested that Council authorise the expenditure of the three grants, totalling $146,334 in the current financial year, and authorises the Chief Executive Officer to sign the associated funding agreement with the Australian Government Attorney-General's Department.
Statutory Compliance
Nil
Strategic Implications
This is supported under Outcome Objective 2.4 of the City’s strategic plan ‘Improve Community Safety’.
Policy Implications
Nil
Financial Implications
As discussed in the report the grants have not been budgeted for in the current financial year and therefore require Council to authorise the capital expenditure of the grant funds of $146,334 from the Australian Government Attorney-General's Department.
Voting Requirements
Absolute Majority
EndStrip - This line will not be printed Please do NOT delete
Recommendation
That Council:-
1. NOTES that the City of Wanneroo has been successful in attracting $146,334 in grant funding from the Australian Government Attorney General’s Department for the projects detailed.
2. AUTHORISES BY ABSOLUTE MAJORITY the following budget variation to reflect the income and associated expenditure for these projects.
INCOME
|
Cost Code |
Present Budget |
Additional Amount |
Revised Budget |
|
917299-8999-502 Emergency Management Capital Income |
$0 |
$146,334 |
$146,334 |
EXPENDITURE
|
Cost Code |
Adopted Budget 06/07 |
Revised Budget 06/07 |
Description |
|
Project No. PR-1270 Project No. PR-1271 Project No. PR-1272 |
$0 $0 $0 |
$46,234 $89,100 $11,000 |
Acquire & Install Emergency Generator Training Room & Recovery Centre Acquire Audio Visual Equipment |
3. AUTHORISES the Chief Executive Officer to sign an appropriate funding agreement with the Australian Government Attorney General’s Department for the projects detailed.
EndOfRecommendation - This line will not be printed Please do NOT delete
File Ref: S09/0066V01
File Name: AA Approval of Council Meeting Dates for 2007.doc This line will not be printed dont delete
Responsible Officer: Director Governance and Strategy
Disclosure of Interest: Nil
Author: Nicky Barker
Meeting Date: 31 October 2006
Attachment(s): Nil
StartStrip - This line will not be printed Please do NOT delete
Issue
To consider the schedule of meeting dates for 2007.
Background
In accordance with the Local Government Act 1995, a local government is to give local public notice of its ordinary meeting dates for the next 12 months.
In February 2000 the City resolved to trial a combination of a Committee and portfolio system of council with two full council meetings per month. This system after extensive public consultation was reviewed and in January 2001, a three weekly meeting cycle comprising a briefing session (week one) full council meeting (week two) and Councillor/Staff Policy Forum (week three) was established.
In addition to the three weekly meeting cycle, Council resolved on 01 July 2003 to adopt a Policy and Local Laws Committee to develop and review Council’s strategic policies and local laws and to rename the Policy Forum to Council Forum.
On 26 April 2006 Council resolved to disband the Policy and Local Laws Committee due to a fall in the number of items presented to this committee, and incorporate items that would normally have been considered by this committee, into the Council Forum agenda. At the same time Council resolved to formulate an Audit Committee as per Section 7.1 of the Local Government Act 1995.
The Council Forum committee alternates with the Audit Committee and meets every six weeks or as otherwise required.
Comment
The current three weekly cycle of meetings is working well and it is suggested that this system be maintained.
Week 1: Briefing Session commencing at 6.00 pm.
Week 2: Council meeting commencing at 7pm. A deputation session is held prior to Council meetings.
Week 3: Council Forum or Audit Committee meeting as required.
Council is in recess during January each year, and meetings are set from February to December to be held on a Tuesday evening.
Statutory Compliance
Legislation – Statutory Provisions: Section 5.3 of the Local Government Act 1995 states:
“Ordinary and Special Council meetings:
(1) A Council is to hold ordinary meetings and may hold special meetings;
(2) Ordinary meetings are to be held not more than three months apart;
(3) If a Council fails to meet as required by subsection (2) the CEO is to notify the Minister of that failure.”
Regulation 12 of the Local Government (Administration) Regulations 1996 states:
“Public Notice of Council or Committee meetings:-
12 (1) At least once each year a local government is to give local public notice of the dates on which and the time and place at which –
(a) the ordinary Council meetings; and
(b) the Committee meetings that are required under the Act to be open to members of the public or that are proposed to be open to members of the public;
are to be held in the next 12 months;
(2) A local government is to give local public notice of any change to the date, time or place of a meeting referred to in sub regulation (1);
Strategic Implications
This is consistent with the City of Wanneroo’s strategic objective to “maintain a high standard of governance and accountability.”
Policy Implications
Nil
Financial Implications
Nil
Voting Requirements
Simple Majority
EndStrip - This line will not be printed Please do NOT delete
Recommendation
That Council:-
1. MAINTAIN its current ‘rolling’ three weekly meeting cycle, being a Briefing Session (week one), Council Meeting (week two) and a Council Forum alternating with an Audit Committee meeting (week three).
2. ADOPT the following meeting schedule for 2007:-
ORDINARY COUNCIL MEETING SCHEDULE
JANUARY TO DECEMBER 2007
|
Council Briefing Session |
Council Meeting |
|
23 January |
30 January |
|
13 February |
20 February |
|
06 March |
13 March |
|
27 March |
03 April |
|
17 April |
24 April |
|
08 May |
15 May |
|
29 May |
05 June |
|
19 June |
26 June |
|
10 July |
17 July |
|
31 July |
07 August |
|
21 August |
28 August |
|
11 September |
18 September |
|
02 October |
09 October |
|
23 October |
30 October |
|
13 November |
20 November |
|
04 December |
11 December |
EndOfRecommendation - This line will not be printed Please do NOT delete
File Ref: S41/0061V01
Responsible Officer: Director Governance and Strategy
Disclosure of Interest: Nil
Author: Alan McGregor
Meeting Date: 31 October 2006
File Name: A Wanneroo Town Centre Revitalisation Project Update.doc This line will not be printed dont delete
Attachment(s): 1
StartStrip - This line will not be printed Please do NOT delete
Issue
To update Council on the progress of the Community Engagement phase of the Wanneroo Town Centre revitalisation project.
Background
The purpose of this report is to update Council on the progress of the community engagement phase, in particular the Community Vision and Key Themes to be used in the next stage. The Community Vision and Key Themes draft report October 2006 (Attachment 1) has also been passed to the Technical Advisory Group (TAG) membership for information and comment.
Council approved the consultancy for the Community Engagement and Wanneroo Town Centre Structure Plan Review on 31 January 2006 and The Planning Group consulting team were appointed in February 2006. Over the past six months a range of community engagement strategies have taken place and culminated in a document outlining a range of key themes and a vision.
TAG will use this document over the next six months to develop strategies, actions and resource needs and develop a Broad Based Action Plan. This plan will be presented to Council and State Government for consideration of resources over the next one to ten years.
The draft report was presented to the Wanneroo Town Centre Advisory Committee (WTCAC) on the 17 October 2006. The WTCAC acknowledged the report and recommends it be noted by Council.
Detail
Council also approved the establishment of a Community Visioning Taskforce on the 31 January 2006. This Taskforce has worked with State Government and City representatives from the TAG and the consultant over the past months as the consultation phases progressed. The first phase of consultation was a series of focus groups and residents and local government representatives attended these. The meetings identified opportunities to encourage greater service delivery and activation in the Town Centre, whilst ensuring it remained accessible to all Wanneroo citizens.
At the same time, a parallel process of consultation was undertaken by the City of Wanneroo with students from the Wanneroo High School as part of a youth visioning workshop.
A second phase of consultation was conducted through the a series of Dialogue Café’s held at the City of Wanneroo Civic Centre in September and was attended by over 180 representatives from community groups, businesses, local government, state government agencies and private enterprise.
Comment
A draft report was presented to the Visioning Taskforce on 4 October 2006. The TaskForce workshopped the draft and provided feedback. The TaskForce also confirmed a draft Vision for Wanneroo Town Centre.
Financial Implications
The financials related to this project are included in this year’s capital budget. State Government and the City jointly fund the project.
Voting Requirements
Simple Majority
EndStrip - This line will not be printed Please do NOT delete
Recommendation
That the Wanneroo Town Centre Advisory Committee recommend that Council:
1. NOTES the draft Community Vision and Key Themes report (Attachment 1) for the Wanneroo Town Centre; and
2. NOTES the draft Community Vision and Key Themes report will be used in the development of the Revised Structure Plan and Broad Based Action Plan.
EndOfRecommendation - This line will not be printed Please do NOT delete
ATTACHMENT 1 Page 1 of 14
StartOfAttachment - Do not delete this line will not be printed

ATTACHMENT 1 Page 2 of 14

ATTACHMENT 1 Page 3 of 14

ATTACHMENT 1 Page 4 of 14

ATTACHMENT 1 Page 5 of 14

ATTACHMENT 1 Page 6 of 14

ATTACHMENT 1 Page 7 of 14

ATTACHMENT 1 Page 8 of 14

ATTACHMENT 1 Page 9 of 14

ATTACHMENT 1 Page 10 of 14

ATTACHMENT 1 Page 11 of 14

ATTACHMENT 1 Page 12 of 14

ATTACHMENT 1 Page 13 of 14

ATTACHMENT 1 Page 14 of 14

EndOfAttachment - Do not delete this line will not be printed
File Ref: S09/0066V01
File Name: A Christmas Closure of City of Wanneroo.doc This line will not be printed dont delete
Responsible Officer: Chief Executive Officer
Disclosure of Interest: Nil
Author: Coordinator Customer Relations
Meeting Date: 31 October 2006
Attachments: Nil
StartStrip - This line will not be printed Please do NOT delete
Issue
To consider the closure of the City of Wanneroo Civic Centre, Libraries, Ashby Operation Centre and Aquamotion from 1pm Friday, 22 December 2006 and reopening Wednesday, 3 January 2007.
Background
Council at its meeting of 1 November 2005 resolved the following -
“That Council: -
1. AGREE
to the closure of the City of Wanneroo from 1.00 pm on Friday
23 December 2005.
2. AGREE to the closure of the City of Wanneroo Civic Centre, Libraries and Depot facility from Monday, 26 December 2005 to Tuesday, 3 January 2006 (inclusive).
3. ADVERTISE the opening hours of the Administration Building & Recreation Facilities over the Christmas and New Year break clearly to the general public.”
Council at its meeting of 10 October 2006 resolved the following –
“That Council: -
ENDORSES the closure of the libraries from 18 December 2006 to 1st January 2007 inclusive.”
Comment
Council notes the administrative closure of the Civic Centre, Libraries and Operation Centre to be closed at 1.00pm on Friday, 22 December 2006, so that all employees can attend an informal gathering at the Civic Centre.
This year, public holidays fall on Monday, 25 December, Tuesday, 26 December 2006 and Monday, 1 January 2007. It is envisaged that minimal requests for services by our customers will be received on the 27, 28 & 29 December 2006 and accordingly it is recommended that non-essential employees, by mutual agreement, be given an opportunity to take leave during this period.
Administration staff will be requested to take Tuesday, 2 January 2007 as their day-in-lieu of public service holiday after New Years’ Day. Council’s outside staff will be requested to either take the day as an annual leave or a rostered day off. The Chief Executive Officer, Directors and Managers will have the option available to take either an executive day or annual leave on Tuesday, 2 January 2007.
During this period the City will require mutual agreement between employees and employer as outlined in the Certified Agreements and Awards. Staff who wish to work throughout the proposed Christmas closure will be permitted to do so but it is proposed the Civic Centre, Libraries and Operation Centre remain closed to the public.
Specific Service Unit staff will be required to work throughout the proposed closure period. These are as follows: -
· Ranger Services - will be available throughout the entire Christmas and New Year period. They will be operating using their standard roster system and making themselves available to the community via the City’s switchboard services or Insight Contact Centre.
·
Animal Care Centre - will be open every day, except
Christmas Day, between
4pm – 6pm.
· Community Centres - will be available on a booking basis from Monday, 25 December 2006 to Wednesday, 3 January 2007. Key holders for these facilities will be arranged prior to the organisations closure.
· Aquamotion – will be open every day except Christmas Day, Boxing Day and New Years Day.
· Parks Team - 50% of the team will be rostered between Wednesday, 27 December and Friday, 29 December and on Tuesday, 2 January 2007. An emergency after hours number will also be used to contact supervisors regarding urgent requests such as park sprinklers and fallen or dangerous trees.
· Engineering Maintenance Team - 30-50% of the team will be rostered between Wednesday, 27 December and Friday, 29 December 2006 and on Tuesday, 2 January 2007. An emergency after hours number will also be used to contact supervisors regarding urgent requests such as oil spills and storm damage.
· Waste Services Customer Call Centre - will be operating between 6am – 1pm between Tuesday, 26 December and Saturday, 30 December and on Tuesday, 2 January 2007. On Saturday 6 January 2007 the Waste Services Customer Call Centre will also be open between 6am – 1pm due to scheduled waste collections.
· IT Services - will be rostering staff cover between Wednesday, 27 December and Friday, 29 December 2006 and on Tuesday, 2 January 2007. This is to ensure that any computer or other IT issues are addressed immediately for staff throughout the organisation that are either rostered or choose to work during the closure. The IT Helpdesk will be manned between 8.30am – 5pm.
In an effort to reduce costs to Council, staff that would prefer to continue working during the Christmas closure will answer the City’s telephone calls as an alternative to using Insight Contact Centre Services. Insight would still be required to answer calls after the usual business hours, during the weekend and public holidays. By opening the City’s Switchboard, costs saved to Council are estimated at $10,000.
This proposal will assist the organisation to reduce annual leave liabilities, support the Fitness for Work procedure in ensuring employees are supported to take recreational leave and provide an opportunity for all employees within different Directorates to get together socially and for the Chief Executive Officer to provide an update on the progress of the Strategic Plan and other important issues.
Statutory Compliance
Nil
Strategic Implications
Nil
Policy Implications
Nil
Financial Implications
Additional funds of $673.50 will be required to ensure appropriate marketing of the closure to the general public. These funds will be sourced from savings in operational budgets.
Voting Requirements
Simple Majority
EndStrip - This line will not be printed Please do NOT delete
Recommendation
That Council: -
1. NOTES the administrative closure of the City of Wanneroo Civic Centre, Libraries, Aquamotion and Ashby Operational Centre from 1:00pm on Friday, 22 December 2006.
2. NOTES the administrative closure of the City of Wanneroo Civic Centre, Libraries and Ashby Operational Centre from Monday, 25 December 2006 to Tuesday, 2 January 2007 (inclusive).
3. ENDORSES the advertising of opening hours of the Administration Centre, Libraries & Recreation Facilities over the Christmas and New Year break to the general public.
EndOfRecommendation - This line will not be printed Please do NOT delete
File Ref: S24/0088V01
File Name: A Appt of Acting Director Corporate Services.doc This line will not be printed dont delete
Responsible Officer: Chief Executive Officer
Disclosure of Interest: Nil
Author: Director, Corporate Services
Meeting Date: 31 October 2006
Attachment(s): Nil
StartStrip - This line will not be printed Please do NOT delete
Issue
To consider the appointment of an Acting Director Corporate Services from 20 November to 26 November 2006 inclusive.
Background
The Director Corporate Services intends to take one (1) weeks’ annual leave between 20 and 26 November 2006 inclusive. An Acting Director Corporate Services will need to be appointed during this period.
Detail
Under the Local Government Act 1995, Council is required to endorse the recommendation of the Chief Executive Officer to appoint senior management and any person acting in the position.
The Chief Executive Officer requests Council to appoint the Manager Finance, Mike Cole to the position of Acting Director Corporate Services during the period 20 to 26 November 2006.
Comment
Nil
Statutory Compliance
The Local Government Act (1995) S5.3.6 requires that Council appoint the Chief Executive Officer, and this extends to the appointment of an Acting Director Corporate Services. The Department of Local Government has confirmed that the Local Government Act further requires Council to endorse the recommendation of the Chief Executive officer to appoint senior employees.
Strategic Implications
Nil
Policy Implications
Nil
Financial Implications
Nil.
Voting Requirements
Simple Majority
EndStrip - This will not be printed so do not delete
Recommendation
That Council ENDORSES the recommendation of the Chief Executive Officer to appoint the Manager Finance, Mike Cole, to the position of Acting Director Corporate Services for the period 20 to 26 November 2006.
EndOfRecommendation - This line will not be printed Please do NOT delete
File Ref: S07/0057V03
File Name: A Donation Requests Considered Under the Delegated Authority of the Chief Executive Officer.doc This line will not be printed dont delete
Responsible Officer: Chief Executive Officer
Disclosure of Interest: Nil
Author: Rhonda Bowman
Attachment(s): Nil
StartStrip - This line will not be printed Please do NOT delete
Issue
To note donations applications considered and determined by the Chief Executive Officer during October 2006, in accordance with the provisions of the Donations, Sponsorships and Waiver of Fees and Charges Policy.
Background
The Donations, Sponsorships and Waiver of Fees and Charges Policy delegates the consideration and determinations of requests for donations, sponsorships and the waiver of fees and charges under the value of $500.00 to the Chief Executive Officer.
Detail
During October 2006, the City received the following requests to be considered under the delegated authority of the Chief Executive Officer:-
· Five (5) requests for sponsorship,
· One (1) request for a donation, and
· Two (2) requests for a waiver of fees.
Comment
In accordance with the provisions and criteria nominated in the Donations, Sponsorships and Waiver of Fees and Charges Policy, determinations were made as listed in the recommendations to this report.
A complete list of original applications and assessments of each against the policy is available in the Elected Members Reading Room for further information.
Statutory Compliance
Nil
Strategic Implications
Nil
Policy Implications
This report complies with the provisions and delegations of the Donations, Sponsorships and Waiver of Fees and Charges Policy.
Financial Implications
The financial implications of this round of requests has resulted in expenditure in the Governance Donations Account (717143-9399-316) of:-
· $2,000.00 from the 2006/2007 budget.
Remaining funds for the current financial year are $25,598.55.
Voting Requirements
Simple Majority
EndStrip - This line will not be printed Please do NOT delete
Recommendation
That Council NOTES the delegated determination of requests received by the City in October 2006 for donations, sponsorships and waiver of fees and charges, which are as follows:-
|
|
Organisation |
Activity |
Action |
Reason |
|
1. |
Western Australian Lacrosse Association |
Lacrosse Australia Under 15’s Boys National Tournament held in Melbourne from 1 to 7 October 2006. |
APPROVE a donation of $400.00 to the Western Australian Lacrosse Association for sponsorship of Aaron Vogels and Lachlan Walker held in Melbourne from 1 to 7 October 2006. |
This request satisfies the criteria of the policy. |
|
2. |
AIS Australia |
‘Jenny Kirk’ Junior Trans Tasman Cup Series in Volleyball held in New Zealand from 20 to 26 September 2006. |
APPROVE a donation of $500.00 to Holly Cowell for sponsorship to support her participation in the ‘Jenny Kirk’ Junior Trans Tasman Cup Series in Volleyball held in New Zealand from 20 to 26 September 2006. |
This request satisfies the criteria of the policy. |
|
3. |
Football West |
Qantas National Soccer Championship held in New South Wales from 29 September to 7 October 2006 |
NOT APPROVE a donation to Football West for sponsorship of Adam Bowers for his participation in the Qantas National Soccer Championship held in New South Wales from 29 September to 7 October 2006. |
This request does not satisfy the criteria of the policy as this individual selected himself to attend the competition. |
|
4. |
WA Academy of Irish Dancing |
National Championships of Irish Dancing held in Canberra from 27 September to 1 October 2006 |
APPROVE a donation of $400.00 to Mrs Deborah Purser for sponsorship of Elleanor and Genevieve Purser to support their participation in the National Championships of Irish Dancing held in Canberra from 27 September to 1 October 2006 |
This request satisfies the criteria of the policy. |
|
5. |
Seniors Golf Competition |
Request to support the Senior’s Golf Competition held on 25 October 2006 (Seniors Week) at the Marangaroo Golf Course. |
APPROVE a donation of $100.00 for the Seniors Golf Competition held at the Marangaroo Golf Course on 25 October 2006. |
To be consistent with previous support provided and due to the nature of the event, this request has been supported. |
|
6. |
Department for Community Development |
Request for a waiver of fees for the hire of the Addison Park Hall on the 19 and 20 September for workshops held during Child Protection Week. |
NOT APPROVE a donation of $102.00 to the Department for Community Development for a waiver of fees for the hire of the Addison Park Hall on the 19 and 20 September for workshops held during Child Protection Week. |
The policy states that requests from Government agencies will not be funded unless substantial benefit is established. Although there will be community benefit through these workshops, it is not considered that this request meets the criteria of the policy. |
|
7. |
Skate WA |
National Championships in Skating held in Sydney from 2 to 6 October 2006 |
APPROVE a donation of $400.00 to Skate WA |
This request satisfies the criteria of the policy. |
|
8. |
Wanneroo Agricultural Society |
Request a waiver of fees for the hire of the Banksia Room to hold a ‘Getting to Know You’ Dinner for members, sponsors and friends held on 14 October 2006. |
APPROVE a donation of $200.00 for a waiver of fees to the Wanneroo Agricultural Society for their hire of the Banksia Room for a ‘Getting to Know You’ Dinner on 14 October 2006. |
Due to the involvement of the City of Wanneroo in this event, it is considered appropriate to provide a waiver of fees for the hire of the Banksia Room for the event. |
EndOfRecommendation - This line will not be printed Please do NOT delete
To be circulated under separate cover.
File Ref: 8832737
Responsible Officer: Nil
Disclosure of Interest: Nil
Attachment(s): Nil
Issue
To consider the sponsorship of one student from each high school within the City of Wanneroo and the Youth Advisory Council to participate in the National Young Leaders Day.
Background
Each year thousands of secondary students from across Australia attend the National Young Leaders’ Day. These annual leadership-training days are held in November each year. They target top leaders, such as school captains, prefects, sporting captains and young community leaders.
Detail
This year’s event is being held in Perth on 10 November 2006 at the Perth Convention Centre. The objectives of the day are to:
· Inspire students to make a positive contribution to their school
· Motivate students to be great leaders in their area of influence
· Empower students with the practical skills of balancing study, school commitments and social life, as well as managing the stress in these areas
· Promote the value of inspirational and positive role models as examples to others, by exposing students to a diverse range of leaders and their views of leadership.
Comment
As elected members we are leaders in our community and I feel strongly that as a community leader we have the responsibility to invest the capacity of our future community leaders. Opportunities such as this Young Leaders Day assist local government in establishing links with our future leaders and as a result I believe that the City of Wanneroo should provide sponsorship to a student from each of our high schools to attend this event as well as the City of Wanneroo Youth Advisory Committee..
It is suggested that Council request each School Principal to nominate one student from Year 12 to attend this event.
Statutory Compliance
Nil
Strategic Implications
Council is committed to providing support to the community to encourage its citizens and stakeholders participation in the governance of its community.
Policy Implications
Nil
Financial Implications
The cost of attending the National Young Leaders’ Day is $55. Based on all 14 High Schools within the City of Wanneroo nominating a student plus two members of the Youth Advisory Committee, the maximum cost to Council is $880, which can be accommodated through allocated funds for Elected Member training.
Voting Requirements
Simple Majority
Recommendation
That Council APPROVE the sponsorship of one Year 12 student from all High Schools within the City of Wanneroo and two members of the Youth Advisory Committee to attend the National Young Leaders Day in Perth on Friday 10 November 2006.
Comment by Administration
Administration is supportive of the recommendation.
File Name: ACr Terry Loxxxxxxxxxxxxxxxx.doc This line will not be printed dont delete
File Ref: S17/0132V01
Responsible Officer: Nil
Disclosure of Interest: Nil
Attachment(s): 1
StartStrip - This line will not be printed Please do NOT delete
Issue
To consider a Community Funding application received from
the Yanchep Two Rocks Recreation Association requesting support for the 2006
Blessing of the Fleet event to be held on
19 November 2006.
Background
The City of Wanneroo Community Funding Program has two rounds per year, one in March and one in October. The March round of funding is appropriate for projects or events to be held from July to December and applications for the October round are for projects or events to be held from January to June the following year.
Applications for the October 2006 round close on 3 November 2006 with final assessment of the applications to be made at Council’s meeting on the 12 December 2006.
The Yanchep Two Rocks Recreation Association have submitted an application requesting support towards the 2006 Blessing of the Fleet event to be considered under the October 2006 round of Community Funding. The event is going to be held on the 19 November 2006, which is prior to Council’s assessment of applications. It is unfortunate that this organisation had not finalised their intention to run the 2006 Blessing of the Fleet until after the March Community Funding round was closed therefore they were not able to apply for support from that round.
Detail
The application requests an amount of $2,027.26 from the City of Wanneroo Community Funding Program with the total cost of the event amount to $9,027.26. This amount does not include the value of in kind contributions, which amounts to $2,560.00 providing an indication of the large amount of volunteer time that goes into running this community event.
This application meets the necessary criteria of the Community Funding Policy including incorporation, public liability insurance and the provision of appropriate quotes. The Blessing of the Fleet event aims to provide an opportunity for the community to participate in the traditional blessing of the fleet, gain awareness of the cray fishing industry, a free day out for all the family to enjoy and an opportunity for local groups to raise valuable funds for their operations.
The Yanchep Two Rocks Recreation Association successfully ran the 2005 Blessing of the Fleet, having taken over from the previous organisers for the first time. The event was not only well attended, it was very well run, bringing it back to its traditional roots.
Comment
The Yanchep Two Rocks Recreation Association provide a variety of events that they fund themselves with very little money coming through from donations from the community. The association is pivotal within the community in ensuring that events and programs go ahead including the Blessing of the Fleet and youth school holiday activities. The association ask for very little assistance from the City of Wanneroo and have not requested a donation or a waiver of fees for the entire year towards any of its activities.
Voting Requirements
Simple Majority
EndStrip - This line will not be printed Please do NOT delete
Recommendation
That Council:-
1. APPROVE a grant amount of $2,027.26 to the Yanchep Two Rocks Recreation to support the Community Funding application submitted for the October 2006 round of funding to be allocated from the Elected Members Donation Account (717143-9399-316).
2. TRANSFER the sum of $2,027.26 from Community Funding Account (717633-1205-316) to Elected Members Donations Account (717143-9399-316).
Comment by Administration
Administration is supportive of this recommendation.
EndOfRecommendation - This line will not be printed Please do NOT delete
StartOfAttachment - Do not delete this line will not be printed






EndOfAttachment - Do not delete this line will not be printed
File Ref: R17/0022V01
File Name: SHA Claim for compensation for land taken for extension of Mirrabooka Avenue Darch Lands1xxxxxxxx.doc This line will not be printed dont delete
Responsible Officer: Director Planning & Development
Disclosure of Interest: Nil
Author: T Neale
Meeting Date: 31 October 2006
Recommendation
THAT Council move into a Confidential Session to discuss this item under the terms of the Local Government Act 1995 Section 5.23(2), as follows:
· (e)(iii) a matter that if disclosed, would reveal – information about the business, professional, commercial or financial affairs of a person,
EndOfRecommendation - This line will not be printed Please do NOT delete
