7.00pm, 09 October, 2007
Civic Centre,
Dundebar Road, Wanneroo
Public Question & Statement Time
Council allows a minimum of 15 minutes for public questions and statements at each Council meeting. If there are not sufficient questions to fill the allocated time, the person presiding will move on to the next item. If there are more questions than can be dealt with in the 15 minutes allotted, the person presiding will determine whether to extend question time.
Protocols
During the meeting, no member of the public may interrupt the meeting’s proceedings or enter into conversation. Each person seeking to ask questions during public question time may address the council for a maximum of 3 minutes each.
Members of the public wishing to submit written questions are requested to lodge them with the Chief Executive Officer at least 30 hours prior to the start of the meeting.
The person presiding will control public question time and ensure that each person wishing to ask a question is given a fair and equal opportunity to do so. A person wishing to ask a question should state his or her name and address before asking the question. If the question relates to an item on the agenda, the item number should also be stated.
The following general rules apply to question and statement time:
· Questions should only relate to the business of the council and should not be a statement or personal opinion.
· Only questions relating to matters affecting Council will be considered at an ordinary meeting, and at a special meeting only questions that relate to the purpose of the meeting will be considered. Questions may be taken on notice and responded to after the meeting.
· Questions may not be directed at specific members of council or employees.
· Questions & statements are not to be framed in such a way as to reflect adversely on a particular Elected Member or Officer.
· The second priority will be given to public statements. Only statements regarding items on the agenda under consideration will be heard.
Deputations
The Mayor and Councillors
will conduct an informal session on the same day as the meeting of the Council
at the Civic Centre, Wanneroo, commencing at 6.00pm where members of the public
may, by appointment, present deputations. If you wish to present a deputation
please submit your request for a deputation in writing addressed to the Chief
Executive Officer or fax through to Governance on
9405 5097.
· A time period of 10 minutes is set aside for each deputation.
· Deputations shall not exceed five (5) persons in number and only three (3) of those persons shall be at liberty to address the Council and to respond to questions the Mayor and Councillors may have.
Please ensure that mobile phones are switched off before entering the Council Chamber. Any queries on this agenda, please contact Governance on 9405 5027 or 9405 5018.
Recording of Council Meetings Policy
Objective
· To ensure that there is a process in place to outline access to the recorded proceedings of Council.
· To emphasise that the reason for tape recording of Council Meetings is to ensure the accuracy of Council Meetings.
Statement
Recording of Proceedings
(1) Proceedings for meetings of the Council, of electors and of the Audit Committee shall be recorded, by the City, on sound recording equipment except, in the case of meetings of the Council or the Audit Committee, where the Council or the Committee, as the case may be, closes the meeting to the public.
(2) Notwithstanding sub clause (1), proceedings of a meeting of the Council or of the Audit Committee which is closed to the public shall be recorded where the Council or the Audit Committee, as the case requires, resolves to do so.
(3) No member of the public is to use any electronic, visual or vocal recording device or instrument to record the proceedings of the Council or a committee without the written permission of the Council.
Access to Recorded Tapes
(4) Members of the public may purchase a copy of the taped proceedings or alternatively listen to recorded proceedings with the supervision of a City Officer.
(5) Elected Members may listen to a recording of the Council proceedings upon request, free of charge. However, no transcript will be produced without the approval of the Chief Executive Officer.
(6) Costs of providing taped proceedings to members of the public will be the cost of the tape plus staff time to make the copy of the proceedings. The cost of supervised listening to recordings will be the cost of the staff time. The cost of staff time will be set in the City’s schedule of fees and charges each year.
Retention of Tapes
(7) Recordings pertaining to the proceedings of Council Meetings shall be retained in accordance with the Library Board of Western Australia Act (1951-83), General Disposal Authority for Local Government Records. The current requirement for the retention of recorded proceedings is thirty (30) years.
Disclosure of Policy
(8) This policy shall be printed within the agenda of all Council, Special Council, Electors and Special Electors and the Audit Committee meetings to advise the public that the proceedings of the meeting are recorded.

Notice is given that the next Ordinary Council Meeting will be held at the Civic Centre,
Dundebar Road, Wanneroo on Tuesday 09 October, 2007 commencing at 7.00pm.
F BENTLEY
A/Chief Executive Officer
04 October 2007
CONTENTS
Item 2 Apologies and Leave of Absence
Item 4 Confirmation of Minutes
OC01-10/07 Minutes of Ordinary Council Meeting held on 18 September 2007
Item 5 Announcements by the Mayor without Discussion
Item 6 Questions from Elected Members
PT01-09/07 Proposed Soil Mixing and Transportable Buildings, Nowergup
PD02-10/07 Subdivision Applications Determined under Delegated Authority during August 2007
PD03-10/07 City of Wanneroo/Cedar Woods Demonstration Project - Stage 2
IN01-10/07 Tender No 07026 - Parks and Landscape Maintenance in the Locality of Butler
IN02-10/07 Tender No 07027 - Supply and Application of Fertiliser on Specified Parks for 12 Months
IN03-10/07 PT02-07/07: Parking Prohibitions - Paltara Way, Wanneroo
IN04-10/07 Parking Prohibitions - Wangara
IN05-10/07 Traffic Management Treatments, Walyunga Boulevard, Clarkson
IN06-10/07 Upgrade of the Material Recovery Facility, Wangara - Budget Variation
CS01-10/07 Warrant of Payments - For the Period to 31 August 2007
CS02-10/07 Financial Activity Statement for the Period Ending 31 August 2007
CS03-10/07 Proposed Sale of Part Lot 600 Wattle Avenue, Neerabup
CD01-10/07 Variation to the City of Wanneroo Family Day Care Funding Agreement
CD02-10/07 Tender 07024 Construction of the Wanneroo Cultural & Learning Centre
CD03-10/07 Community Sporting & Recreation Facilities Fund - 2007 Funding Round
CD05-10/07 Application to Keep More Than Two Dogs
GS01-10/07 City of Wanneroo 8 Year Local Law Review
CE01-10/07 Extension of Appointment of Acting Director Governance and Strategy
MN01-10/07 Cr T Roberts - Request for Support – Quinns Mindarie Surf Lifesaving Club
MN02-10/07 Cr Treby - City of Wanneroo Facility Access for Jaguars Softball Club
MN03-10/07 Mayor Jon Kelly - Key Bonds for Senior Citizen Groups
CR02-10/07 Proposed Australian Technical College
AGENDA
SAM SALPIETRO (Deputy Mayor), JP 13.03.07 to 19.10.07
That the minutes of the Ordinary Council Meeting held on 18 September 2007 be confirmed.
Cr Gray presented a petition with 107 signatures from concerned residents against the proposed soil mixing and transportable buildings at McLennan Drive, Nowergup.
UPDATE
This was a photocopy of a petition presented to the 13 March 2007 council meeting and a report was presented to 24 April 2007 council meeting. The item was withdrawn from the 18 September council agenda and a further report will be presented to council following a public meeting on the matter.
Cr Monks to declare an impartial interest in Item CD03-10/07 due to being a patron of the Wanneroo Tennis Club.
Cr Roberts to declare an impartial interest in Item MN01-10/07 due to being a vice patron of the Quinns Mindarie Surf Lifesaving Club.
Cr Goodenough to declare an impartial interest in Item MN01-10/07 due to being a vice patron of the Quinns Mindarie Surf Lifesaving Club.
Cr Blencowe to declare a financial interest in Item CR02-10/07 due to being a Director of consortium led partner.
File Ref: P06/0039V01
File Name: EA Proposed Group Dwelling and care Takers Residences for Lots 6 7 and 32 Safari Place Carabooda.doc This line will not be printed Please do NOT delete
Responsible Officer: Director, Planning and Development
Disclosure of Interest: Nil
Author: Mike Hudson
Meeting Date: 9 October 2007
Attachments: 3
StartStrip - This line will not be printed Please do NOT delete
Issue
To consider an application for group dwellings, caretaker residences and minor boundary adjustment on Lots 6, 7 and 32 Safari Place, Carabooda
|
Applicant |
Drescher and Associates Pty Ltd |
|
Owner |
Van T Le & Nga Thi Huynh |
|
Location |
Lots 6,7 and 32 Safari Place, Carabooda |
|
Site Area |
43 Ha (approx) |
|
DPS 2 Zoning |
Background
The subject lots have been cleared of all native vegetation and are currently being operated as an intensive market garden activity (primarily the growing of tomatoes, brussel sprouts, snow peas, capsicums, egg plants etc). Lot 7 (19.77 ha) contains two dwellings, a number of sheds, packing facilities and an incidental office use. Lot 6 (20.75 ha) contains two dwellings (recently approved by the City) and Lot 32 (3 ha) contains one dwelling. All lots are adjacent to each other and operate as a singular market garden, utilising communal facilities and machinery.
The owner has previously applied to the Western Australian Planning Commission (WAPC) to subdivide the property into four lots of 8.0641ha, 8.0426ha and 8.7789ha and 15.6476ha. The subdivision application was considered at the meeting of Council on 20 September 2005 (refer report PD08/09/05), where it was recommended that the application be refused, as the proposal was inconsistent with Council’s Subdivision of Rural Zoned Land Policy. Council subsequently resolved to refer the application back to administration pending the submission of further information by the applicant. The application for subdivision was subsequently withdrawn.
Detail
The application relates to additional dwellings and caretakers’ residences on Lots 6, 7 and 32 Safari Place, Carabooda (refer Attachment 1). No details of the location and design of the proposed residences has been provided as the applicant is seeking Councils ‘in principle’ support, prior to submitting detailed plans. The applicant’s justification for the proposal is based on the need for family and related members to be in close proximity to their place of employment. The applicant has advised the City that the family has other landholdings in the Wanneroo area, which are also being utilised for market gardening purposes (approximately 122 hectares total, this site 43 hectares) and employs some 290 people over the extent of their operation, of which 40 persons (including family members) occurs within the packaging and processing sheds on this subject site and a further 250 employees associated with the cultivation and harvesting of produce on this site and other landholdings in the area (refer Attachment 2).
The application requires Councils consideration to
· Support an application to amend an existing boundary between lots 6 and 7 to retain two (2) grouped dwellings and one (1) caretaker’s residence within Lot 7 (existing dwellings) - (refer Attachment 3).
· Approve two (2) group dwellings and one (1) caretaker’s residence on Lot 6. Subject to the boundary adjustment mentioned above (Lot 6 will contain one (1) existing dwelling and proposes one (1) additional group dwelling and a caretaker’s residence).
· Approve a caretaker’s residence on Lot 32, which currently contains one (1) existing dwelling.
In summary, subject to the Western Australian Planning Commission issuing subdivision approval for the boundary adjustment, the proposal will result in Lot 6 containing two (2) grouped dwellings and a caretaker’s residence, Lot 7 containing two (2) grouped dwellings and a caretaker’s residence and Lot 32 containing one (1) dwelling and caretaker’s residence.
Consultation
Consultation was carried out by means of letters sent to landowners directly opposite or adjacent to the proposed development. Landowners were given the opportunity to comment of the proposal with the closing date for submissions being received by the City on 28 September 2007. At the close of the public advertising period no submissions were received.
Smart Growth Strategy
In August 2007, the Western Australian Planning Commission finalised the ‘Future of East Wanneroo’ document, which identifies this landholding as being located within a possible future horticultural and agricultural precinct, which recognises the value of food production in close proximity to the Perth Metropolitan area and the economic and market issues of the agricultural/horticultural sector. Further investigation in this regard will be required to fully explore the creation of this area as a designated horticultural zone through a coordinated whole of government approach to the management of the land and water resources of the Gnangara Mound. Whilst this area is already predominately operating for horticultural uses and it is likely that these uses will continue and be protected from incompatible uses, further analysis is needed to deliver a sustainable solution to the competing demands on ground water to all sectors of the community and a final feasibility will be considered in due course.
Comment
The proposal can be disseminated into three primary components. The core considerations and issues have been outlined as per the following.
Grouped Dwellings
Part 3.17.4 of District Planning Scheme No. 2 provides for a second dwelling where lots in this area are a minimum of 8 hectares, where the development complies with all other provision of the scheme (i.e. setbacks), the accommodation on the lot is for a person or persons who will assist with the lawful management or exploitation of a rural resource and where there is no current proposal or intention of any person to propose subdivision of the lot. To ensure that the establishment of additional dwellings on the property does not give legal argument to the potential to subdivide the land, a legal agreement is required to be imposed as a condition of any approval preventing the owner from applying to subdivide and that only a member of the landowners family can occupy the dwelling.
Caretaker’s Residence
Under Schedule 1 of District Planning Scheme No. 2 a Caretaker’s Dwelling means “a building used as a dwelling by a person having the care of building, plant, equipment or grounds associated with an industry, business, office, recreation area carried out on or existing on the same site”.
The City’s District Planning Scheme Number 2 classifies a ‘Caretaker’s Dwelling’ as an ‘A’ use, being a use class that is not permitted unless the Council has exercised its discretion and has granted planning approval after giving notice in accordance with Clause 6.7 of the scheme. This part of the scheme provides that Council shall give notice to ratepayers and/or occupiers likely to be affected by the granting of the approval and requires a period of time not being less than three weeks for notice. The details of any submissions have been included into the consultation and comment section of this report.
Proposed Boundary Adjustment
The applicant proposed to amend the existing cadastral boundary between lots 6 and 7 as depicted in Attachment 3 of this report. The boundary adjustment would require the City’s support and determination by the WAPC and whilst not creating additional lots would be considered through a formal subdivision process. The resultant lot sizes of 20.074 hectares and 20.4477 hectares would be consistent with the City’s Policy – LP6 ‘Subdivision of Rural Zoned land’ and only reduces Lot 6 by 3000m2 and increases Lot 7 by 3000m2. In this regard, the existing dwellings will need to comply with the setback requirements of the scheme, which specifies a 4 metre side setback. Aerial photography indicates that the location of the proposed boundary cannot comply with the necessary side setbacks because of the location of the garages. Should the application proceed, one of the existing garages may need to be demolished to achieve the necessary setbacks and an alternative garage be provided. In this regard, consideration of the proposed subdivision requirements can be made at the time of application for the boundary adjustment through the WAPC.
Summary Comment
It is clear that the applicant is proposing an intensification of the residential component of the Rural Resource property. Consideration needs to be given to the justification for additional dwellings on the premises, with regard for the scale and nature of the rural operations on the land and the possible future ‘horticultural and agricultural precinct identified in the ‘Future of East Wanneroo’ strategy. The applicant has demonstrated a strong link between the need for additional dwellings and the use of the property as a ‘high turn over’ market garden supplying major supermarkets within the Perth metropolitan region and providing employment to family members and residents of the City.
There is justification in allowing the proposed development of additional dwellings on the property, which subject to the landowner entering into an agreement with the City preventing the further subdivision of the land, is not considered to undermine the objectives of the Rural Resource zone. In their own right, the creation of two (2) group dwellings or one (1) dwelling and a caretaker’s dwelling is considered acceptable, however, Council needs to consider the compounded impact of approving both two group dwellings and a caretaker’s residence (three dwellings) on a single lot. The City’s scheme does not clearly define whether a caretaker’s dwelling constitutes a ‘grouped dwelling’, which would otherwise restrict the total number of ‘group dwellings’ on a lot to a maximum of two, as prescribed in Part 3.17.4(a) of the scheme. In this regard, it should be noted that this part of the Scheme also suggests that two (2) grouped dwellings can exist on lots of 8 hectares or more in this zone and that lots 6 and 7 are both approximately 20 hectares each. Lot 32 is only 3 hectares in area and therefore cannot comply with this part of the scheme for ‘group dwellings’, however, there is no prescribed minimum lot size for a caretaker’s dwelling.
Administration sought legal advice on whether a ‘caretaker’s dwelling’ constitutes a ‘group dwelling’ for the purposes of assessing compliance with part 3.17.3 (a) of the scheme or whether it can be considered in addition to the proposed group dwellings. It was advised that the proposed uses were separately defined uses and are treated differently in the zoning table and as such a ‘care takers’ dwelling should not be considered as a third dwelling on the property. However, it was indicated that it may not be ‘appropriate’ given both forms of additional dwelling are an ‘exception’ to the general rule of only one dwelling on a rural resource lot and consideration for a second dwelling or caretaker’s dwelling could only be approved under appropriate circumstances. It was also advised that, where a second dwelling was approved the need for a caretaker’s dwelling would not normally occur as it could fulfil this role. However, it was advised that the scheme does facilitate consideration of this proposal and is a matter for Council’s discretion.
Statutory Compliance
The application has been considered in accordance with the procedures and requirements of District Planning Scheme No. 2 and is seen to generally comply with part 3.17.4 of the scheme in relation to Grouped Dwellings for land within the Rural Resource Zone and consideration of an ‘A’ use classification in accordance with Part 3.2.2 and 6.7 of the scheme for a Caretaker’s Dwelling.
Strategic Implications
Nil
Policy Implications
Nil
Financial Implications
Nil
Voting Requirements
Simple Majority
EndStrip - This line will not be printed Please do NOT delete
Recommendation
That Council, APPROVES ‘IN PRINCIPLE’ an application for two (2) grouped Dwellings and one (1) Caretaker’s Dwelling for Lots 6 and 7 Safari Place and one (1) Dwelling and a Caretaker’s Dwellings for Lot 32 Safari Place, Carabooda subject to the following:
1. The preparation of Restrictive Covenant in Gross in favour of the City of Wanneroo against the lot prepared at the owners expense by solicitors for the Council to
a) Preclude the owner or future owners of the lot from seeking strata subdivision or subdivision approval in any form for the lot.
b) Restrict the occupants of the second grouped dwelling and caretaker’s residence to only members of the landowner’s family engaged in the care, of the buildings, plant equipment or grounds associated with an industry, business, office or recreation area carried on or existing on the same lot.
2. The applicant obtaining approval from the Western Australian Planning Commission for the boundary adjustment between Lots 6 and 7 to facilitate the proposed development.
EndOfRecommendation - This line will not be printed Please do NOT delete
StartOfAttachment - Do not delete this line will not be printed

EndOfAttachment - Do not delete this line will not be printed
StartOfAttachment - Do not delete this line will not be printed



EndOfAttachment - Do not delete this line will not be printed
StartOfAttachment - Do not delete this line will not be printed

EndOfAttachment - Do not delete this line will not be printed
File Ref: S09/0008
File Name: FC Subdivision Applications determined under delegated Authority durin August 2007.doc This line will not be printed Please do NOT delete
Responsible Officer: Director, Planning Development
Disclosure of Interest: Nil
Author: Kirsty Robbins
Meeting Date: 9 October 2007
Attachments: 15
StartStrip - This line will not be printed Please do NOT delete
Issue
Determination of subdivision applications processed in the period for the month of August under delegated authority.
Detail
The West Australian Planning Commission (WAPC) is responsible for determining all subdivision applications within the State. Applications for approval are lodged with the WAPC and are referred to local governments and affected public bodies for comment. Comments are made within 42 days of receiving the application after which the Commission determines the applications. There is a right of appeal by the applicant if aggrieved with the Commission’s decision.
Council has delegated to the Chief Executive Officer its functions relating to the provision of comments to the Commission on subdivision applications. The Chief Executive Officer has in turn delegated to the Planning and Development Directorate this responsibility. A Land Development Unit has been established to assist with the assessment of all applications.
Those applications considered to be either controversial in nature or contrary to Council policy, are referred to Council for consideration. All other applications are dealt with in respect to the following categories.
SCU 1 Subdivision applications received which are generally consistent with an approved or Agreed Structure Plan (including Outline Development Plan and Development Guide Plan).
SCU 2 Subdivision applications previously supported, or not supported by Council and subsequently determined by the Western Australian Planning Commission (WAPC) consistent with the Council’s recommendation.
SCU 3 Applications for extension of subdivisional approval issued by the WAPC which were previously supported by Council.
SCU 4 Applications for subdivision or amalgamation which result from conditions of development approval given by or on behalf of Council.
SCU 5 Applications for subdivision or amalgamation of lots which would allow the development of the land for uses permitted in the zone within which that land is situated including applications involving the excision of land for road widening, sump sites, school sites, etc.
SCU 6 Applications for subdivision or amalgamation of lots contrary to Council or WAPC Policy or are not generally consistent with an approved or Agreed Structure Plan.
The following table provides the details of the subdivision applications dealt with under delegated authority in the period for the month of August.
EndStrip - This line will not be printed Please do NOT delete
Recommendation
That Council NOTES the actions taken in relation to providing comments to the Western Australian Planning Commission on subdivision applications processed under delegated authority in the period for the month of August as listed below:
Subdivision Application Delegations
|
Att |
WAPC No/ Received Date |
Location / Owner |
DPS2 Zoning LDU Category |
Advice |
WAPC Advised |
|
1 |
SU135421 10/07/2007 |
LOT 25 (8) RANGEVIEW ROAD, LANDSDALE WA 6065. STONERIDGE NOMINEES PTY LTD
|
URBAN DEVELOPMENT SCU1 |
SUPPORTED |
08/08/2007 |
|
2 |
SU135399 09/07/2007 |
LOT 127 (5) LE GRANDE GARDENS, MARANGAROO WA 6064 DAVID W LUCAS & CHRISTY S LUCAS |
RESIDENTIAL SCU5 |
SUPPORTED |
01/08/2007 |
|
3 |
SU135512 20/08/2007 |
LOT 1 (239) FLYNN DRIVE, CARRAMAR WA 6031 HOMESWEST VACANCY |
SPECIAL RESIDENTIAL, REGIONAL RESERVATION OTHER REGIONAL ROAD & URBAN DEVELOPMENT SCU1 |
SUPPORTED |
13/08/2007 |
|
4 |
SU1300-07 12/07/2007 |
LOT 616 (27) MINDARIE DRIVE, QUINNS ROCKS WA 6030 RODNEY J SINCLAIR & COLLEEN SINCLAIR |
RESIDENTIAL SCU1 |
SUPPORTED |
1/08/2007 |
|
5 |
SU135482 13/07/2007 |
LOT 11 (62) KEMP STREET, PEARSALL WA 6065 JUSTIN SONIA PTY LTD |
URBAN DEVELOPMENT SCU1 |
SUPPORTED |
10/08/2007 |
|
6 |
SU1357-07 23/07/2007 |
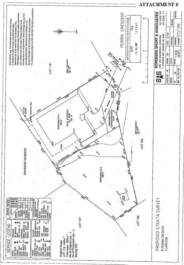
LOT 119 (8) PERRIN CREST, CLARKSON GRADA PETROVIC |
RESIDENTIAL SCU1 |
SUPPORTED |
02/08/2007 |
|
7 |
SU135376 12/07/2007 |
LOT 131 (8) SYROS COURT, MINDARIE WA 6030 JANE FOSTER & STEPHEN J FOSTER
|
MARINA SCU5 |
SUPPORTED |
07/08/2007 |
|
8 |
SU1432-07 15/08/2007 |
LOT 264 (43) WHITSUNDAY AVENUE, RIDGEWOOD WA 6030 ANGELO MASIELLO & MARGARET E MASIELLO |
RESIDENTIAL SCU5 |
SUPPORTED |
17/08/2007 |
|
9 |
SU135484 13/07/2007 |
LOT 101 (145) KINGSWAY, DARCH PARENT CONTROLLED CHRISIANT EDUCATION |
URBAN DEVELOPMENT SCU1 |
SUPPORTED |
01/08/2007 |
|
10 |
SU860-07 01/06/2007 |
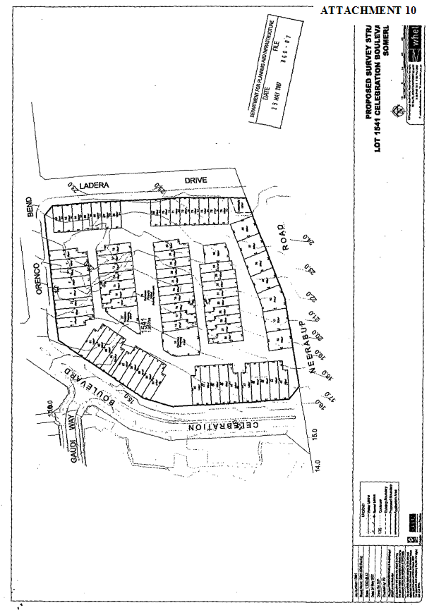
LOT 1541 (6) ORENCO BEND, CLARKSON WA 6030 AUSTRALAND HOLDINGS LTD |
URBAN DEVELOPMENT SCU |
SUPPORTED |
01/08/2007 |
|
11 |
SU135651 21/08/2007 |
LOT 864 (10) BEACHWOODCRESCENT, BUTLER WA 6036 RUSSELL DRIVER & LAURA ARMSTRONG |
URNAN DEVELOPMENT SCU5 |
SUPPORTED |
29/08/2007 |
|
12 |
SU997-07 25/06/2007 |
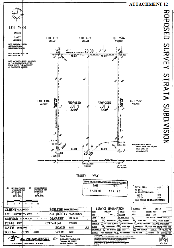
LOT 1583 (8) TRINITY WAY, CLARKSON WA 6030 TERENCE P GOODDARD & JANE GODDARD |
URBAN DEVELOPMENT SCU1 |
SUPPORTED
|
02/08/2007 |
|
13 |
SU134765 07/06/2007 |
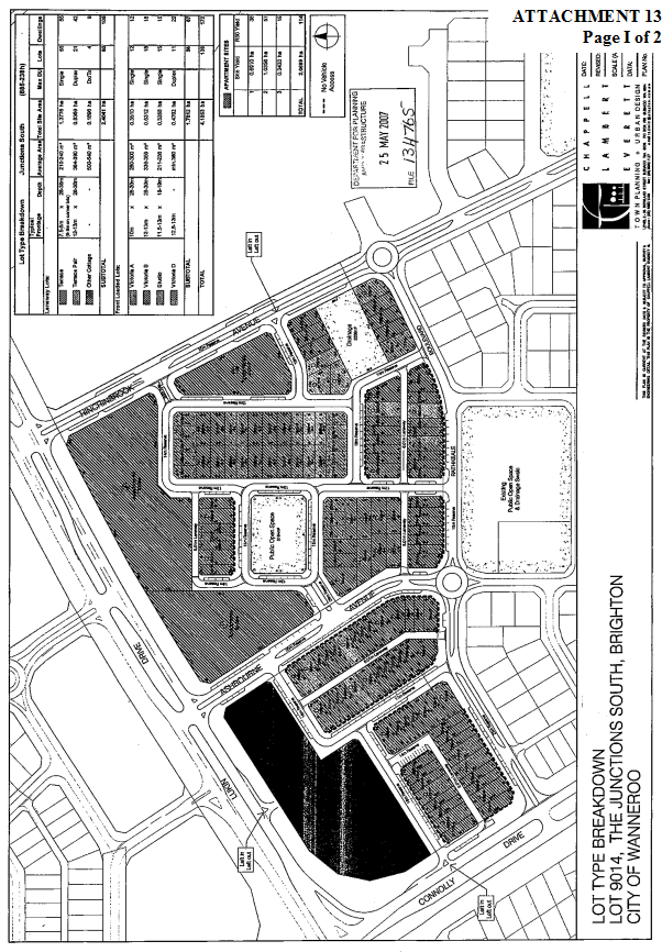
LOT 9014 (960) CONNOLLY DRIVE, RIDGEWOOD WA 6030 QUINNS DEVELOPMENT PTY LTD & BUTLER LAND COMPANY PTY LTD |
URBAN DEVELOPMENT
|
SUPPORTED |
12/08/2007 |
|
14 |
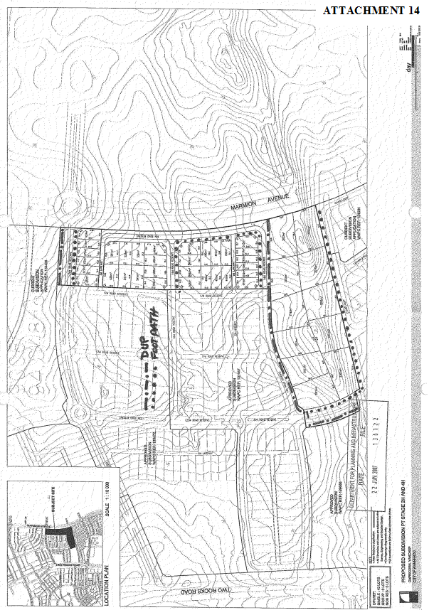
SU135122 09/07/2007 |
LOT 9006 (599) TWO ROCKS ROAD, YANCHEP WA 6035 YANCHEP SUN CITY PTY LTD & CAPRICORN INVESTMENT GROUP PTS LTD |
URBAN DEVELOPMENT
|
SUPPORTED |
13/08/2007 |
|
15 |
SU135715 30/08/2007 |
LOT 2 (10) MOONLIGHTER WAY, YANCHEP WA 6035 GOWER HOLDINGS PTY LTD |
RESIDENTIAL SCU5 |
SUPPORTED |
31/08/2007 |
EndOfRecommendation - This line will not be printed Please do NOT delete
StartOfAttachment - Do not delete this line will not be printed

EndOfAttachment - Do not delete this line will not be printed
StartOfAttachment - Do not delete this line will not be printed

EndOfAttachment - Do not delete this line will not be printed
StartOfAttachment - Do not delete this line will not be printed


EndOfAttachment - Do not delete this line will not be printed
StartOfAttachment - Do not delete this line will not be printed

EndOfAttachment - Do not delete this line will not be printed
StartOfAttachment - Do not delete this line will not be printed

EndOfAttachment - Do not delete this line will not be printed
StartOfAttachment - Do not delete this line will not be printed

EndOfAttachment - Do not delete this line will not be printed
StartOfAttachment - Do not delete this line will not be printed

EndOfAttachment - Do not delete this line will not be printed
StartOfAttachment - Do not delete this line will not be printed

EndOfAttachment - Do not delete this line will not be printed
StartOfAttachment - Do not delete this line will not be printed


EndOfAttachment - Do not delete this line will not be printed
StartOfAttachment - Do not delete this line will not be printed

EndOfAttachment - Do not delete this line will not be printed
StartOfAttachment - Do not delete this line will not be printed

EndOfAttachment - Do not delete this line will not be printed
StartOfAttachment - Do not delete this line will not be printed

EndOfAttachment - Do not delete this line will not be printed
StartOfAttachment - Do not delete this line will not be printed


EndOfAttachment - Do not delete this line will not be printed
StartOfAttachment - Do not delete this line will not be printed

EndOfAttachment - Do not delete this line will not be printed
StartOfAttachment - Do not delete this line will not be printed

EndOfAttachment - Do not delete this line will not be printed
File Name: HACity of Wanneroo/Cedar Woods Demonstration .doc This line will not be printed Please do NOT delete
File Ref: SS/0008V01
Responsible Officer: Director, Planning and Development
Disclosure of Interest: Nil
Author: Suha Ali
Meeting Date: 9 October 2007
Attachments: 2
StartStrip - This line will not be printed Please do NOT delete
Issue
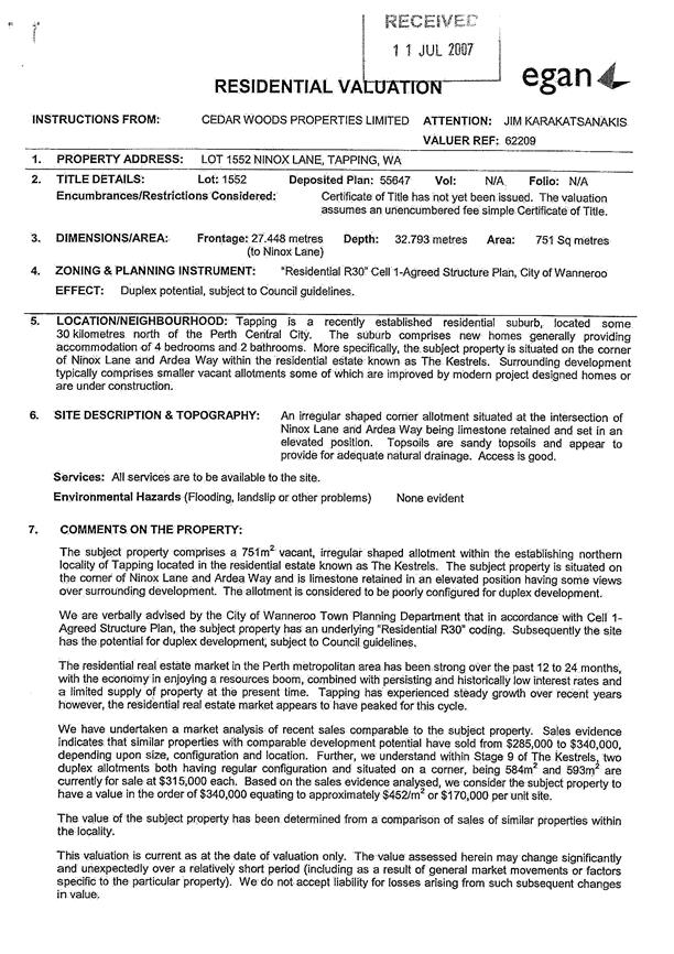
To consider the Business Plan for the City of Wanneroo and Cedar Woods Properties demonstration project, to be located at Lot 1552 Ninox Lane, The Kestrels Estate, Tapping.
Background
At its meeting held on 24 April 2007, it was resolved that Council:
“1. AUTHORISES the Acting Chief Executive Officer to enter into a Partnership agreement with Cedar Woods Pty Ltd for the construction of an environmentally sustainable demonstration project, which demonstrates affordability and environmental sustainability best practice in the local housing market.
2. LISTS for consideration, funding of $393,000 for the construction of an Environmental Sustainable Demonstration project in the 2007/2008 capital budget.
3. REQUIRES that the City actively pursue sponsorship and marketing opportunities for the project.
4. PROMOTES the project broadly to the wider community.”
A business plan has now been developed in accordance with the requirements of the Local Government Act 1995.
Detail
The concept of the sustainable housing demonstration project is to apply sustainable design and construction principles in line with industry best practice. It is likely the project will comprise of two Grouped Dwellings, addressing the affordability issues that affect many potential homebuyers today, by maximising land potential and utilising innovative ideas and materials. The primary objective of the project is to increase public education through practical demonstration. The project will demonstrate environmental sustainability through:
· Passive solar design
· Water conservation and reuse
· Water minimisation
· Minimising energy use
· Utilising environmentally friendly materials
· Applying low allergen design considerations
· Multifunctional Design
A further objective of the project is to address housing affordability by delivering affordable, sustainable housing choices to the market. This will form part of the Demonstration Project through the examination of use of low cost materials, construction techniques and economies of scale through density development.
The project will aim to raise awareness of the practical, affordable and innovative sustainability solutions to community issues such as reducing energy and water consumption for the typical Western Australian home.
The demonstration project will invite Wanneroo businesses to submit innovative ideas, technology and products to with the possibility of being incorporated into the project.
A further objective is to enhance the home’s market appeal by producing an aesthetically pleasing development to meet market expectations of potential buyers to assist with sale at the conclusion of the project. It is anticipated that the project will provide inspiration for other homebuilders end encourage them to assimilate sustainability in their future projects and lifestyle choices.
After considerable discussion, the project’s Steering Committee agreed that the most suitable lot for the project is a 751m2 parcel of land located at Lot 1552 Ninox Lane in The Kestrels estate, Tapping (refer to Attachment 2). The proposed lot allows for two grouped dwellings to be developed, thereby allowing for more affordable housing. Cedar Woods will make parking arrangements available at either an adjacent or nearby lot for the duration of the project.
A formal partnership agreement/memorandum of understanding will be established between the City of Wanneroo and Cedar Woods Properties once the Business Plan is adopted. The agreement will detail the relationship between the two parties, principles to be endorsed and all proposed financial arrangements. Broadly, the partnership agreement will include:
· Full project management to be undertaken by Cedar Woods and the City
· Land ownership to be equally tenanted between the two parties
· Construction and maintenance costs to be equally shared
· Additional staffing requirements for the administration of the educational opportunities associated with the home.
In accordance with the provisions of the Local Government Act 1995, a business plan (refer to Attachment 1) has been developed providing an assessment of the major land transaction. The plan addresses the following:
· Details of the project and the subject property;
· The expected effect on the provision of facilities and services by the City;
· The expected effect on other persons providing facilities and services in the district;
· The expected financial effect on the City;
· The expected effect on matters referred to in the City’s Strategic Plan;
· The ability of the City to manage the transaction; and
· Other matters associated with the project
The next phase of the project will involve the formal land transaction, where the City of Wanneroo and Cedar Woods will each acquire a fifty percent share of the property.
All property transactions and contractual matters implemented will conform to the requirements of the Local Government Act 1995.
Under the provisions of s3.59 of the Local Government Act 1995, a business plan is to be prepared by a local government before it commences a major land transaction.
The subject land of the demonstration project has been valued at $340,000 (refer to copy of valuation report and site plans in Attachment 2). The City of Wanneroo and Cedar Woods Properties will be joint owners of the property, sharing costs equally. It is anticipated that at completion of the project and after subdivision of the lot, the cost of the construction and land to the City, will be approximately $393,000.
Consultation
In accordance with the provisions of the Local Government Act 1995, statewide notice of the business plan is to be given, allowing for a period of at least 6 weeks for submissions to be received from the public. After this date, all submissions are to be considered by Council to proceed with the undertaking or transaction.
Comment
There is a recognised need for the development and promotion of best practice models of sustainable and affordable housing. The general population is increasingly aware of the effects of global issues such as climate change and are eager make a difference. One example is through building homes that demonstrate best practice sustainability and affordability principles.
It is expected that the project will have a positive impact both locally and beyond. Local community involvement will be encouraged where possible. It is anticipated that City staff and locally recruited volunteers will be trained to assist with the running of the project. In addition, there may be opportunities to involve educational institutions in the project for the benefit of students and those with an interest in sustainability. Once the demonstration period, anticipated at being two years, has ended, the development will be sold and the proceeds from the project divided equally between the two primary stakeholders.
Statutory Compliance
The City is required to meet its obligations under the provisions of section 3.59 of the Local Government Act 1995.
Strategic Implications
The City’s commitment to sustainable development is embedded within its strategic plan to Minimise the impact of development on natural landform and Improve the physical quality of the building environment.
The City’s strategic plan promotes the principles of sustainable development through the Local Environmental Strategy, Local Housing Strategy and the Smart Growth Strategy.
Policy Implications
The City’s Local Environmental Strategy outlines key focus areas which represent broad environmental issues affecting Wanneroo.
Financial Implications
Anticipated project costs, as outlined at Council meeting 24 April 2007, is an estimated $786,000, of which the City will fund 50%. These costs may vary according to a number of factors including the real estate market and building industry demand. Sponsorship will be a priority for the project, with the intention of reducing the projects associated costs.
Voting Requirements
Simple Majority
EndStrip - This line will not be printed Please do NOT delete
Recommendation
That Council:-
1. ACCEPTS the proposed business plan and authorises the Chief Executive Officer, or a person acting in that position, to advertise a notice in accordance with the provisions of the Local Government Act 1995.
2. AUTHORISES the Chief Executive Officer, or a person acting in that position, to act on the City’s behalf with respect to the land transaction associated with purchasing Lot 1552 Ninox Lane, Tapping in partnership with Cedar Woods.
EndOfRecommendation - This line will not be printed Please do NOT delete
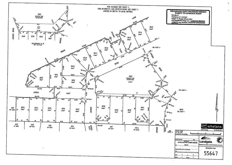
ATTACHMENT 1 Page 1 of 6
StartOfAttachment - Do not delete this line will not be printed
BUSINESS PLAN
PREPARED PURSUANT TO SECTION 3.59(2) OF
THE LOCAL GOVERNMENT ACT 1995
CITY OF WANNEROO/CEDAR WOODS DEMONSTRATION PROJECT
LOT 1552 NINOX LANE, TAPPING
ember 2007
ATTACHMENT 1 Page 2 of 6
BACKGROUND
Research by world scientists suggests that the effects of climate change, which includes warmer temperatures, rising sea levels, and changes in weather patterns will have significant impact on human health, the economy and the environment in the future. Whilst the issue of climate change is complex, leading thoughts are that our community needs to be adequately educated on how to positively contribute to protecting our environment.
It is proposed that Cedar Woods Properties and Council enter into a partnership to construct a development which will demonstrate solutions for affordable and more sustainable living. The proposed demonstration project will place the City of Wanneroo in a leading position as a local authority that actively promotes and encourages sustainability, diversity and affordability in the housing industry. The proposed development is complimentary to the City’s Local Environmental Strategy, Local Housing Strategy and Smart Growth Strategy and will enable residents and visitors of the City to gain a better understanding of sustainable housing that is also affordable. It will provide them with ideas and hands-on tours of the project, which will provide encouragement for them to embrace these principles when constructing or renovating their own homes.
Cedar Woods is the property developer behind ‘The Kestrels’ estate, Tapping and was awarded the City’s 2006 Business and Industry Environmental Excellence Award. The Kestrels is a Housing Industry of Australia accredited ‘Greensmart’ estate and was acknowledged by the City for its promotion of energy efficiency, water minimisation, waste minimisation and a range of other environmental enhancement initiatives on an estate wide basis. The Demonstration Project site will be within The Kestrels.
At its meeting held on 24 April 2007, it was resolved that Council:
1. AUTHORISES the Acting Chief Executive Officer to enter into a Partnership agreement with Cedar Woods Pty Ltd for the construction of an environmentally sustainable demonstration project, which demonstrates affordability and environmental sustainability best practice in the local housing market.
2. LISTS for consideration, funding of $393,000 for the construction of an Environmental Sustainable Demonstration project in the 2007/2008 capital budget.
3. REQUIRES that the City actively pursue sponsorship and marketing opportunities for the project.
4. PROMOTES the project broadly to the wider community.
PROPOSAL
The concept of the project is to apply sustainable design and construction principles in line with industry best practice. The project will comprise of more than one dwelling and will address the affordability issues that affect many potential home buyers today. The primary purpose of the project is public education through practical demonstration. The project will demonstrate environmental sustainability through:
· Passive solar design;
· Water conservation and reuse;
·
ATTACHMENT 1 Page 3 of 6
Water minimisation;
· Minimising energy use;
· Utilising environmentally friendly materials;
· Applying low allergen design considerations; and
· Multifunctional Design.
Underlining these objectives is the need to address housing affordability by delivering affordable, sustainable housing choices to the market. This will form part of the Demonstration Project through the examination of use of low cost materials, construction techniques and economies of scale through density development.
A key objective of the project will be to raise awareness of the practical, affordable and innovative solutions to issues such as energy and water use in the context of the typical Western Australian home.
The demonstration project will call on Wanneroo businesses to submit ideas, technology, innovation and products to potentially be incorporated into the project.
A further objective is to enhance the home’s market appeal by designing the development to meet the aesthetic and market expectations of potential buyers in order to assist with resale at the conclusion of the project. It is anticipated that the project will provide inspiration for other home builders to make a commitment to sustainability in their future projects and lifestyle choices.
The concept of sustainability is a multi-dimensional one, with many meanings, yet one that has immersed itself in our everyday lives. One of the critical issues associated with sustainability, including urban sustainability, is how to reduce our use of energy and therefore greenhouse gases. The Australian Building Codes Board (ABCB) estimates that energy used in buildings accounts for almost 27 per cent of all energy related greenhouse gas emissions.
Action is required at all levels of the Australian Government, but local authorities in particular have a crucial role to play in influencing changes within the community sector. Some of the most successful greenhouse gas emission reduction initiatives, undertaken world wide and within Australia have been implemented at the local level.
The City’s participation in raising the awareness of environmental issues such as reducing greenhouse gas emissions and protecting water resources is vital. In the residential sector, the City can have a substantial influence on housing design and major appliance selection, along with waste management and recycling activities.
The City is already showing its commitment to reducing environmental impacts through its participation in the Cities for Climate Protection program and the Water Campaign. The establishment of a sustainable demonstration home would further enhance and compliment the work that the City is currently undertaken and help to achieve the Environmental Outcomes that are set out within the City’s Strategic Plan.
ATTACHMENT 1 Page 4 of 6
There is a recognised need for the development and promotion of best practice models of sustainable and affordable housing. The general population is increasingly aware of the effects of global issues such as climate change, and are eager to contribute. One such way is through building homes that demonstrate best practice sustainability and affordability principles.
It is expected that the project will have a positive impact both locally and beyond. Local Community involvement will be sought where relevant and applicable. It is anticipated that along with City staff, locally recruited volunteers will be trained to assist with the running of the project. In addition, there may be opportunities to involve educational institutions in the project for the benefit of students and those with an interest in sustainability. Once the demonstration period anticipated at being two years has ended, the development will be sold and the profits from the project divided equally between the two primary stakeholders.
The proposed lot allows for two grouped dwellings to be developed, thereby allowing for more affordable housing. Cedar Woods will make parking arrangements available at either an adjacent or nearby lot for the duration of the project.
A formal partnership agreement will be established between the City of Wanneroo and Cedar Woods. The agreement will detail the relationship between the two parties, principles to be endorsed and all financial arrangements proposed. Broadly, the partnership agreement will provide for:
· Full project management to be undertaken by Cedar Woods, with the City responsible for various payments;
· Land ownership to be equally tenanted between the two parties;
· Construction costs to be equally shared;
· All property transactions and contractual matters being implemented in conformance with the requirements of the Local Government Act 1995.
THE PROPERTY
The property is located within ‘The Kestrels’ estate in Tapping. Tapping is a recently established residential suburb, located some 30 kilometres north of the Perth City Centre. The suburb comprises new homes generally providing accommodation of 4 bedrooms and 2 bathrooms. More specifically, the subject property is situated on the corner of Ninox Lane and Ardea Way within the residential estate known as The Kestrels. Surrounding development typically comprises smaller vacant allotments some of which are project designed homes or are under construction.
Address: Lot 1552 Ninox Lane, Tapping, Western Australia
Title Details: Deposited Plan 55647
Certificate of Title: Yet to be issued. An unencumbered fee simple Certificate of Title is assumed.
DPS2 Zoning: Residential R30, Cell 1 Agreed Structure Plan
ATTACHMENT 1 Page 5 of 6
EXPECTED EFFECT ON THE PROVISION OF FACILITIES AND SERVICES BY THE CITY (SECTION 3.59(3)(a))
A key objective of the project is to raise community awareness of practical, affordable and innovative solutions to issues such as energy and water use in the context of the typical Western Australian home. It is anticipated that the project will enhance and compliment the City’s current facilities and services.
EXPECTED EFFECT ON OTHER PERSONS PROVIDING FACILITIES AND SERVICES IN THE DISTRICT (SECTION 3.59(3)(b))
This will be a unique project within the City of Wanneroo. It is also intended that local businesses will be encouraged to have a significant role in the project through the provision of services and materials. As such, the expected effect will be favourable to both the City and the local economy.
THE EXPECTED FINANCIAL EFFECT ON THE CITY OF WANNEROO (SECTION 3.59(3)(c))
An estimate of the overall cost of the project is expected to be approximately $786,000. Cedar Woods Properties will contribute 50% to the project ($393,000) and the City will also contribute 50%. It is anticipated that the educational aspect of the project will run for a period of two years, after which time the development will be offered for sale.
Depending on market forces at the time of sale, it is reasonable to assume that the sale price will return a 10% profit not including contributions from sponsors.
It should be noted that costs may vary according to factors such as the competitive local real estate market and building industry demand, and contributions from other stakeholders.
EXPECTED EFFECT ON MATTERS CONTAINED IN THE CITY’S PRINCIPAL ACTIVITIES PLAN (SECTION 3.59(3)(d))
The City’s commitment to sustainable development is embedded within its Strategic Plan, including:
1.4 Minimise impact of development on national landform
1.5 Improve the physical quality of the building environment
ATTACHMENT 1 Page 6 of 6
The City’s Strategic Plan promotes the principles of sustainable development through the Local Environmental Strategy, Local Housing Strategy and the City’s Smart Growth Strategy.
THE ABILITY OF THE CITY TO MANAGE THE TRANSACTION (SECTION 3.59(3)(e))
The formal partnership agreement with Cedar Woods Properties will allow the City to manage the necessary transactions and project management of the proposal.
OTHER MATTERS (SECTION 3.59(3)(f))
Upon the sale of the demonstration project, it is possible that the transaction may constitute a Major Land Transaction under the requirements of the Local Government Act 1995. Accordingly, the following details are addressed below, as required by regulation 10 of the Local Government (Functions and General) Regulations 1996:
IDENTITY OF THE JOINT VENTURER
The City of Wanneroo may be joint venturing with Cedar Woods Properties Limited, being a public company listed on the Australian stock exchange of Level 4, 66 Kings Park Road, West Perth.
OWNERSHIP OR OTHER INTERESTS IN PROPERTY INVOLVED IN THE JOINT VENTURE
The joint venture will involve the sale and possible subdivision of Lot 1552 Ninox Lane, Tapping.
BENEFITS THE JOINT VENTURER WILL BE ENTITLED TO UNDER THE JOINT VENTURE
The City of Wanneroo and Cedar Woods Properties will equally share ownership of the property, along with all associated costs of acquiring and purchasing the property. Upon completion of the demonstration project, any profits from the sale of the property or properties will be divided equally.
LIABILITIES OF THE LOCAL GOVERNMENT UNDER THE JOINT VENTURE
The equity arrangement to be detailed in the proposed Joint Venture Agreement will prescribe any liabilities to be met by the City.
EndOfAttachment - Do not delete this line will not be printed
StartOfAttachment - Do not delete this line will not be printed

ATTACHMENT 2 Page 3 of 6

ATTACHMENT 2 Page 4 of 6 ATTACHMENT 2 Page 5 of 6


EndOfAttachment - Do not delete this line will not be printed
File Ref: C07026V01
File Name: AA Tender No 07026 Parks and Landscape Maintenance in the Locality of Butler.doc This line will not be printed dont delete
Responsible Officer: Director, Infrastructure
Disclosure of Interest: Nil
Author: Warren Stephens
Meeting Date: 9 October 2007
Attachment: Nil
StartStrip - This line will not be printed Please do NOT delete
Issue
To consider Tender No 07026 for the Provision of Parks and Landscape Maintenance for Butler for a period of two years.
Background
The City is responsible for the maintenance of parks and landscape maintenance services within the locality of Butler. The maintenance of parks and landscaped areas has been contracted out successfully for the past three years, enabling in-house staff to more appropriately manage other areas of parks maintenance and new developments that are handed over to the City.
Previously, the provision of parks and landscape services within the locality of Butler was supplied via the following contract:
Contract No 05527 - the Provision of Parks and Landscape Maintenance Services within the Locality of Butler for a period of 21 Months was awarded to Estate Landscape Maintenance (ELM) Pty Ltd.
Contract No 05527 was extended for three months and now expires on 30 September 2007. A new tender was prepared and advertised for the Provision of Parks and Landscape Maintenance for Butler for a period of two years. The service level standards included within the tender documentation are in accordance with the Collaborative Infrastructure Agreement between the City of Wanneroo and Ocean Springs Pty Ltd.
Detail
Tender No. 07026 was advertised on 28 July 2007 and closed on 21 August 2007.
Essential details of the new contract are shown in the following table:
|
Contract Type: |
Lump Sum and Schedule of Rates |
|
Contract Duration: |
2 Year Contract |
|
Commencement Date: |
15 October 2007 |
|
Expiry Date: |
30 September 2009 |
|
Extension Permitted: |
Yes (up to 12 months or part thereof) |
|
Rise And Fall Included: |
No |
Tenders were received from:
· Landscape Development
· Newscape Contractors
· ELM (WA) Pty Ltd
Tender Evaluation
The Tender Evaluation Team, comprising the Parks Operations Manager, Coordinator Conservation Maintenance, Coordinator Contracts and Purchasing and the Contracts Officer has evaluated the tender submission in accordance with the following selection criteria and weightings:
|
Item No |
Description |
Score |
|
1 |
Price for the services offered |
40% |
|
2 |
Tenderer’s resources |
20% |
|
3 |
Tenderer’s experience and ability to do the work |
20% |
|
4 |
Safety Management |
20% |
Invalid Tender
Landscape Development was excluded from the tender assessment as its licences to carry out pesticide and herbicide work were out of date and not complying with Section 21 of General Conditions of Tender or Section 19.1 of General Conditions of Contract. Therefore, the tender evaluation was conducted for Newscape Contractors and ELM (WA) only.
Price for services offered
The services contained within the tender documentation are as follows:
· General maintenance
· Irrigation
· Turf mowing
· Streetscapes
· Parks trees
· Public access ways
· Sumps
· Playground maintenance
· Mulching
· Rural road verge maintenance
· Conservation areas maintenance
Based on the tenderer’s lump sum price and schedule of rates, the historical quantity and type of work carried out, (including additional areas of service) a calculation was made to determine the total estimated value of works for the contract period as summarised below:
|
Tenderer |
Total Estimated value of work for two years |
|
Newscape Contractors |
$1,226,233 |
|
ELM (WA) Pty Ltd |
$ 713,520 |
The criterion represents 40% of the total score, with the following results:
|
Tenderer |
Rank |
|
ELM (WA) Pty Ltd |
1 |
|
Newscape Contractors |
2 |
By comparing the estimated value of works with recent quotes that were obtained for similar services, it was established that the prices submitted by Newscape Contractors and ELM (WA) represent value for money.
Tenderer's Resources
Assessment of this criterion considered resources currently available to the tenderer to fulfil the contract. This includes the number and experience of personnel that the tenderer has allocated to the works. Newscape Contractors and ELM (WA) both demonstrated that they have the necessary resources to service this Contract.
The criterion represents 20% of the total score, with the following results:
|
Tenderer |
Rank |
|
ELM (WA) Pty Ltd |
1 |
|
Newscape Contractors |
1 |
Tenderer's experience and ability to do the work
The tenderer’s experience was assessed by way of the successful completion of previous contracts of a similar size and nature.
Newscape Contractors is an established company and has extensive experience in maintaining parks and landscape for other local authorities and the development industry. Recent reference checks indicated that it has provided a satisfactory standard of workmanship to other clients. Newscape Contractors has managed larger contracts than ELM (WA) Pty Ltd and therefore received a marginally higher score.
ELM (WA) Pty Ltd is the City’s current contractor for the provision of parks and landscape maintenance services within Butler and has provided a satisfactory level of service to the City in accordance with the specifications during the contract period.
The criterion represents 20% of the total score, with the following results:
|
Tenderer |
Rank |
|
Newscape Contractors |
1 |
|
ELM (WA) Pty Ltd |
2 |
Safety Management
Evidence of safety management policies and practices were assessed from the tender documents. The assessment for safety management was based on the tenderer’s response to an occupational Health and Safety Management System Questionnaire included within the tender documentation. The Safety Management Programmes submitted by Newscape Contractors and ELM (WA) were considered acceptable and fully compliant with the conditions of the tender.
The criterion represents 20% of the total score, with the following results:
|
Tenderer |
Rank |
|
ELM (WA) Pty Ltd |
1 |
|
Newscape Contractors |
1 |
Tenderer Summary
During the weighted score analysis process, both tenderer’s submissions were reviewed with the following observations:
· A key aspect of the tender evaluation is price.
· Newscape Contractors is an established landscape maintenance company, having carried out landscape maintenance for developers in Mindarie Keys and other subdivisions in the Wanneroo area.
· ELM (WA) Pty Ltd has successfully carried out this contract over the past two years and has been professional in its daily working relationship with the City.
· Both companies addressed all selection criteria and were assessed as having the necessary resources, previous experience, ability and safety management systems to undertake the tender.
The overall scoring of the tenders is shown below:
|
Tenderer |
Rank |
|
ELM (WA) Pty Ltd |
1 |
|
Newscape Contractors |
2 |
Comment
The tender submission by ELM (WA) Pty Ltd has been evaluated and achieved the highest ranking in accordance with the assessment criteria and weighting as detailed in the tender document.
By assessing the Price Schedules submitted by ELM (WA) Pty Ltd it was established that these rates were comparable to recent quotes obtained by the City for similar services. The Tender Evaluation Team is confident that ELM (WA) Pty Ltd will be able to successfully service the contract.
Therefore, ELM(WA) Pty Ltd is recommended as the successful Tenderer to provide parks and landscape services within Butler as per the Scope of Works and the specifications set out in the tender documentation.
It is confirmed that the tender specification has been upgraded to reflect the new parks and streetscapes provided by developers over the previous two years and the increased service levels to the maintenance of playgrounds, maintenance of specified streetscapes and additional mowing in accordance with the Collaborative Infrastructure Agreement between the City of Wanneroo and Ocean Springs Pty Ltd.
Statutory Compliance.
Tenders were invited in accordance with the requirements of Section 3.57 of the Local Government Act 1995. The tendering procedures and evaluation complied with the requirements of Part 4 of the Local Government (Functions and General) Regulations 1996.
The Coordinator Contracts and Purchasing has reviewed the tender evaluation for compliance and fairness and is satisfied with the process.
Strategic Implications
The Provision of Streetscape Maintenance is consistent with the following City of Wanneroo Strategic Plan (2006-2021) goals and strategies:
“Social
2.1 Increase choice and quality of neighbourhood and lifestyle options
2.1.2 Provide timely and functional public facilities and open spaces to meet changing community needs
Governance
4.3 Improve asset management
4.3.1 Develop and apply asset management principles to support the maintenance and management of public infrastructure and other assets”
Policy Implications
Nil
Financial Implications
The estimated expenditure for a one year duration of the contract, calculated on predicted volumes of maintenance is $356,760 and is accommodated in the existing 2007/2008 parks maintenance budget.
Voting Requirements
Simple Majority
EndStrip - This line will not be printed Please do NOT delete
Recommendation
That Council ACCEPTS the tender submitted by ELM (WA) Pty Ltd for Tender No 07026 to provide Parks and Landscape Maintenance Services within Butler as per the Lump Sum Price and Schedule of Rates and the General Conditions of Tendering for a Period of two years from 15 October 2007 to 30 September 2009, with the option of extending to 30 September 2010 or part thereof.
EndOfRecommendation - This line will not be printed Please do NOT delete
File Ref: C07027V01
File Name: AA Tender No 07027 Supply and Application of Fertiliser on Specified Parks for 12 Months.doc This line will not be printed dont delete
Responsible Officer: Director, Infrastructure
Disclosure of Interest: Nil
Author: Coordinator Parks
Meeting Date: 9 October 2007
Attachment: Nil
StartStrip - This line will not be printed Please do NOT delete
Issue
To consider Tender No 07027 for the Supply and Application of Fertiliser on Specified Parks within the City of Wanneroo for a period of 12 months.
Background
The supply and application of fertiliser on specified park areas has been contracted out successfully over previous years, with the current services being supplied via the following contract:
Contract No 06051 - the Supply and Application of Fertiliser on Specified Parks within the City of Wanneroo for a period of 12 months was awarded to the Lawn Doctor.
To achieve “Industry Best Practice” in fertiliser application, qualitative tests were undertaken with regards to soil nutrient availability, leaf tissue analysis, pH and soil moisture levels on all of the irrigated parks within the City of Wanneroo. The results were collated and a comprehensive fertiliser programme was formulated which is specific to each site. Special consideration was given to turf sites where nutrient run- off and leaching may occur. A specification for the supply and application of fertiliser was developed to reflect these specific requirements.
Detail
Tender No 07027 for the Supply and Application of Fertiliser to Specified Parks within the City of Wanneroo was advertised on 28th July 2007 and closed on 14th August 2007.
Tender submissions were received from the following:
· Lovegrove Turf Services Pty Ltd
· Turfmaster Facility Management
Essential details of the contract are outlined below:
|
Contract Type |
Schedule of Rates |
|
Contract Duration |
12 Months |
|
Commencement Date |
15 October 2007 |
|
Expiry Date |
30 September 2008 |
|
Extension Permitted |
Yes - 12 months to 30 September 2009 |
|
Rise And Fall Included |
No |
The Tender Evaluation Team consisting of the Parks Operations Manager, Coordinator Conservation Maintenance and the Contracts Officer has evaluated the tender submissions in accordance with the following selection criteria:
|
Item No |
Description |
Score |
|
1 |
Price for the services offered |
40% |
|
2 |
Tenderer’s resources |
20% |
|
3 |
Tenderer’s experience and ability to do the work |
20% |
|
4 |
Safety Management |
20% |
Price for the services offered
Based on the tenderer’s schedule of rates, the historical quantity, type of fertiliser works carried out and fertiliser program, a calculation was made to determine the total estimated value of works for the contract period which is summarised below:
|
Tenderer |
Estimated Annual Expenditure |
|
Lovegrove Turf Services |
$224,692 |
|
Turfmaster Facility Management |
$143,677 |
The criterion represents 40% of the total score, with the following results:
|
Tenderer |
Rank |
|
Turfmaster Facility Management |
1 |
|
Lovegrove Turf Services |
2 |
Tenderer’s resources
The tenderer’s resources contained in the tender documentation were examined in order to evaluate their ability to meet the requirements of the contract. Assessment of this criterion considered the tenderer’s staff resources and vehicles, plant/equipment and workshop support to manage the contract. This assessment included the number of personnel, direct labour, trade disciplines, qualifications/training and experience of key members of the company.
Lovegrove Turf Services scored higher in this category due to greater staff and vehicle resource base to service this type of contract. Both companies provided comprehensive tender submissions and demonstrated that they had the resources to fulfil the requirements of the contract.
This criterion represents 20% of the total score, with the following results:
|
Tenderer |
Rank |
|
Lovegrove Turf Services |
1 |
|
Turfmaster Facility Management |
2 |
Tenderer’s experience and ability to do the work
The two tenderers provided comprehensive tender submissions and have demonstrated equal experience in providing services of a similar size and nature. Lovegrove Turf Services previously held the City’s contracts for broadleaf weed control and for fertiliser supply and application. Turfmaster holds the current contract for general weed control. Both companies have provided a satisfactory level of service to the City of Wanneroo for over twelve years.
This criterion represents 20% of the total score, with the following results:
|
Tenderer |
Rank |
|
Lovegrove Turf Services |
1 |
|
Turfmaster Facility Management |
1 |
Safety Management
Evidence of safety management policies and practices was assessed from the tender documents. The assessment for safety management was based on the tenderers’ responses to an Occupational Health and Safety Management System Questionnaire included within the tender documentation.
The two tenderers provided safety management systems. Lovegrove Turf Services achieved a higher score in this area than Turfmaster as they had a Safety Committee in place and designated Safety Representatives from all levels of the organisation.
This criterion represents 20% of the total score, with the following results:
|
Tenderer |
Rank |
|
Lovegrove Turf Services |
1 |
|
Turfmaster Facility Management |
2 |
Tenderer Summary
During the weighted score analysis process, the two tenderer’s submissions were reviewed with the following observations:
· the key aspect of the tender evaluation is price.
· both companies have worked for the City of Wanneroo previously and have provided a satisfactory level of service
· both companies addressed all selection criteria and were assessed as having the necessary resources, previous experience, ability and safety management systems to undertake the tender.
The overall scoring of the tenders is shown below:
|
Tenderer |
Rank |
|
Turfmaster Facility Management |
1 |
|
Lovegrove Turf Services |
2 |
Comment
The tender submission by Turfmaster Facility Management has achieved the highest score in accordance with the assessment criteria and weighting as detailed in the tender document, and is therefore recommended as the successful tenderer.
Lovegrove Turf Services has provided a satisfactory and consistent standard of service on previous occasions for the City, with all works conducted in a professional, customer focussed manner.
Statutory Compliance
Tenders were invited in accordance with the requirements of Section 3.57 of the Local Government Act 1995. The tendering procedures and evaluation complied with the requirements of Part 4 of the Local Government (Functions and General) Regulations 1996.
The Coordinator Contracts and Purchasing has reviewed the tender selection process for fairness and compliance and is satisfied with the evaluation process and result.
Strategic Implications
The supply and application of fertiliser on specified parks within the City of Wanneroo for a period of 12 months is congruent with the City of Wanneroo Strategic Plan (2006-2021) outcomes and objectives:
“Environmental
1.5 Improve the physical quality of the built environment
Social
2.1 Increase choice and quality of neighbourhood and lifestyle options
2.1.2 Provide timely and functional public facilities and open spaces to meet changing community needs
Governance
4.3 Improve asset management
4.3.1 Develop and apply asset management principles to support the maintenance and management of public infrastructure and other assets”
Policy Implications
Nil
Financial Implications
The estimated expenditure for a one year duration of the contract, calculated on predicted volumes of maintenance is $143,677 and is accommodated in the existing 2007/2008 parks maintenance budget.
Voting Requirements
Simple Majority
EndStrip - This line will not be printed Please do NOT delete
Recommendation
That Council ACCEPTS the Tender submitted by Turfmaster Facility Management for Tender No 07027 for the Supply and Application of Fertiliser on Specified Parks within The City of Wanneroo for a Period of Twelve (12) Months from 15th October 2007 to 30th September 2008, with an option to extend an additional twelve months to 30th September 2009 or part thereof.
EndOfRecommendation - This line will not be printed Please do NOT delete
File Ref: R34/0095V01
File Name: GA PT02 07 07 Parking Prohibitions Paltara Way Wanneroo.doc This line will not be printed dont delete
Responsible Officer: Director, Infrastructure
Disclosure of Interest: Nil
Author: Russell Hewitt
Meeting Date: 9 October 2007
Attachment(s): 5
StartStrip - This line will not be printed Please do NOT delete
Issue
To consider unsafe parking practises in Paltara Way, Wanneroo, associated with the East Wanneroo Primary School.
Background
On 29 May 2007 Administration officers met with a resident of Paltara Way to discuss what were considered to be unsafe parking practises by parents of students of the East Wanneroo Primary School (EWPS).
Parents driving over the kerb and footpath on the northern side of Paltara Way to park on the nature strip between the footpath and the embankment of the school grounds was one of the risk behaviours observed, which in some cases, has resulted in the rear of the vehicle blocking the footpath. The resident also reported altercations between drivers and property owners on the south side of Paltara Way regarding parking on the nature strip adjacent to properties.
The main concern of the resident is the safety of the children, and therefore requested the City provide organised parking facilities rather than parking prohibitions, which would only be policed by Rangers on a rotational basis.
After analysing the options, with the installation of parking prohibitions the only option available to Administration that could be acted on in a short time, design work commenced on a parking prohibition proposal for consultation with residents.
Council, at its meeting on 17 July 2007, received a nine signature petition requesting Council to:
“Take immediate measures to address the current parking and safety issues occurring in Paltara Way, Wanneroo, in particular before and after school.”
All but one of the petition signatories resides east of Uringa Way, the other on the western corner of Uringa Way.
A location plan identifying the area of interest is attached – refer Attachment 1.
Detail
The population growth of Hocking and Pearsall has resulted in an increase in students at the EWPS. The parents of the children from these areas are using Paltara Way as the setdown/pickup point for their children, rather than the High Road entrance.
Parents have been observed driving over the kerb and across the footpath on the northern side of Paltara Way and parking on the nature strip between the footpath and the embankment of the school grounds, which has resulted in the rear of the vehicle blocking the footpath in some cases.
The result of this behaviour is an unsafe mix of vehicle and child pedestrian movements occurring on the footpath on the north side of Paltara Way adjacent to the EWPS sports grounds.
Other parents have parked on the nature strip on the south side of Paltara Way without the permission of the residents, causing damage not only to lawns but also to reticulation systems.
Residents of Paltara Way confirm that this problem has arisen over the last 18 months.
It is estimated that there are some 30 vehicles using Paltara Way for student setdown/pickup.
Consultation
Discussions regarding the parking problems in Paltara Way have been conducted with the East Wanneroo School Principal, the City’s Ranger Services and a resident representative.
In order to obtain a measure of acceptance for the proposed parking prohibitions, 19 copies of Drawing No 2297-1-0, along with a covering letter and a survey form were mailed to residents, and property owners, of Paltara Way. Recipients were asked to return completed survey forms by way of a ‘Reply Paid’ envelope no later than close of business, Monday 17 September 2007.
Refer to Attachment 2 for a copy of the covering letter and survey form as mailed and refer to Attachment 3 for a map showing the extent of the surveyed properties.
Refer to Attachment 4 for a copy of the originally proposed parking prohibition plan offered for public consultation.
The survey returns identified the acceptance of the parking prohibitions proposed as follows:
|
Not Required |
Required |
Amended |
Total |
|
4 (21%) |
4 (21%) |
0 (0%) |
8 (42%) |
Two of the ‘not required’ responses were for the same address, one from the absent owner and the other from the occupant who is a family member.
The following comments were made by respondents:
1. Need proper school parking
Administration response:
Administration has written to the Minister for Education in the past requesting that the Education Department take greater effort to accommodate parent parking needs and to recognise the imposition they place on the community.
2. To prevent traffic congestion it will be necessary to ban parking on both sides of Paltara Way.
Administration response:
Allowing parking on the north side of Paltara Way will reduce the remaining carriageway width down to 5m, which is not sufficient for two-way flow. It can be anticipated that this will cause traffic congestion unless the drivers can be educated to follow a one-way clockwise circuit. Nonetheless, the removal of all parking, on both sides of the road is not supported by Administration, as it is likely to result in a high level of non-compliance.
3. We would like to draw your attention to the fact that not all residents of Paltara Way were aware of the Petition concerning unsafe parking practices.
Having been residents of this street for 27 years we have never experienced any problems in relation to parking at school times.
We have five vehicles in this family and quite often have to use the verge when moving cars in the morning.
Parking prohibitions would be very inconvenient and so we strongly object to any parking restrictions at our end of the street.
Administration response:
This is the only response to the survey from the residents between Uringa Way and Quarkum Street.
Administration accepts that there was no observed parking problems in this area during the onsite investigation but it was considered that the implementation of parking prohibitions to the east of Uringa Way may cause the parking problems to migrate to other areas if they are treated in isolation.
In view of the opposition to the proposal, and the lack of active support, Administration has withdrawn the proposal to extend the parking prohibitions west of the bus embayment.
Administration has also reconsidered the signing of the bus embayment as a “BUS ZONE” which would have unnecessarily banned the use of the embayment by other vehicles outside school hours.
Comment
Discussions with the EWPS Principal have indicated that when Hocking Primary School begins it will only accommodate pre-primary and Year 1 students in the first year, with additional academic years transferred as accommodation and student numbers become available.
Whilst the construction of the Hocking and Pearsall Primary Schools will ultimately provide some relief, new subdivisions that are within the EWPS catchment area are currently in the process of development to the north of Elliot Road and east of Paltara Way.
The distance between the property boundary of the school and the northern kerb of Paltara Way is approximately 6m, which is insufficient to provide head-in or angled parking bays and a 1.5m footpath.
The alternative of providing parking embayments on the northern side of Paltara Way will not provide any increase in parking over that provided by kerbside parking and would require the removal and relocation of the existing footpath.
It is Administrations belief that although future primary schools in Hocking and Pearsall will reduce the demand for parking on Paltara Way there will still be sufficient demand to justify construction of a parking embayment for use as a ‘Kiss and Ride’.
Administration also proposes to revise the existing parking prohibitions on Quarkum Street to prevent parking on the nature strip between the parking embayments.
Refer to Attachment 5 for a copy of the proposed parking prohibition plan for Paltara Way and revision of the existing parking prohibitions in Quarkum Street, Wanneroo.
Statutory Compliance
It is an offence under the Road Traffic Code 2000 to stop a vehicle so that any portion of a vehicle is on a path or to drive on a path unless crossing from a road to a driveway or lane by the shortest possible route.
It is an offence under the City’s Parking and Parking Facilities Local Law to stop a vehicle so that any portion of a vehicle is on a path or to park on a nature strip without the consent of the owner/occupier of the land abutting the nature strip.
Strategic Implications
The proposal to install parking prohibitions on Paltara Way is consistent with the following City of Wanneroo Strategic Plan 2006-2021 outcome objectives:
“Social
2.4 Improve community safety
2.4.1 Implement a range of road safety initiatives to improve the standard of the road network and user behaviour.”
Policy Implications
Nil
Financial Implications
The provision of parking prohibitions incurs not only the initial cost of materials and installation of the signs but also the ongoing cost of maintenance due to vandalism and graffiti. Current estimates for materials and installation is $100/sign, equating to a cost of $2,000, with this cost to be funded from Project No PR – 2529, Parking Scheme Signage and Line Marking, for which a total of $50,000 has been approved by Council in the 2007/2008 Capital Works budget.
The enforcement of parking prohibitions over an increasing number of sites across the City also impacts on the availability of the City’s Rangers across their various duties.
The estimated cost to provide a seven bay parking embayment for a ‘Kiss & Drive’ facility is $25,000.
Voting Requirements
Simple Majority
EndStrip - This line will not be printed Please do NOT delete
Recommendation
That Council:-
1. APPROVES the installation of parking prohibition signs on Paltara Way and Quarkum Street, Wanneroo as shown on Drawing No 2297-1-1 (Attachment 5 refers).
2. LISTS for consideration in the draft 2008/2009 Capital Works Program the construction of a parking embayment in Paltara Way for use as a ‘Kiss & Drive’ facility by the East Wanneroo Primary School.
3. ADVISES the residents of Paltara Way, Wanneroo of Council’s decision.
4. ADVISES the Principal of East Wanneroo Primary School of Council’s decision and encourage the school, through its ‘RoadWise Committee’, to develop and promote parking strategies in support of the City’s Rangers.
5. ADVISES the petitioner organisers of the Council’s decision.
EndOfRecommendation - This line will not be printed Please do NOT delete
StartOfAttachment - Do not delete this line will not be printed
ATTACHMENT 1
Area of Interest
![]()

LOCATION PLAN – Paltara Way, Wanneroo
EndOfAttachment - Do not delete this line will not be printed
StartOfAttachment - Do not delete this line will not be printed
ATTACHMENT 2
Page 1 of 2
Paltara Way
WANNEROO WA 6065
PROPOSED PARKING PROHIBITIONS – PALTARA WAY, WANNEROO
The City seeks your comment on a proposal to install parking prohibitions on Paltara Way, Wanneroo.
This proposal is the result of a Petition (PT02-07/07), from the residents of Paltara Way and received by Council on 17 July 2007, concerning unsafe parking practices by drivers while dropping-off and picking-up children from the East Wanneroo Primary School.
Please note that the parking prohibitions will also apply to you and your visitors, it will be an offence to park on the nature strip (verge) in front of your property during the prescribed time periods of 7.30am-9.00am and 2.30pm-4.00pm.
The City now
seeks your comments on the proposed parking prohibitions. Please complete the
attached survey form and return in the enclosed pre-paid envelope provided by
Monday,
17 September 2007.
A copy of the proposed parking prohibition Drawing 2297-1-0 is enclosed for your information.
If you require any additional information, then please contact the City’s Transport and Traffic Team on telephone 9405 5000.
Yours sincerely
Ian Barker
MANAGER INFRASTRUCTURE PLANNING
Enc.
ATTACHMENT 2
Page 2 of 2
COMMUNITY SURVEY
PARKING PROHIBITIONS – PALTARA WAY, WANNEROO
(Return by close of business Monday, 10 September 2007)
Name: __________________________________________________________________
Address: __________________________________________________________________
__________________________________________________________________
I consider the proposed parking prohibitions for Paltara Way, Wanneroo, as shown in City of Wanneroo Drawing 2297-1-0:
(Please mark one box)
˙ ARE NOT REQUIRED
˙ ARE REQUIRED
˙ REQUIRE MODIFICATION AS SHOWN ON THE RETURNED DRAWING
Comments:
__________________________________________________________________________
__________________________________________________________________________
__________________________________________________________________________
__________________________________________________________________________
__________________________________________________________________________
Signature
Date: ____________
EndOfAttachment - Do not delete this line will not be printed
StartOfAttachment - Do not delete this line will not be printed
ATTACHMENT 3

COMMUNITY CONSULTATION SURVEY AREA – Paltara Way, Wanneroo
EndOfAttachment - Do not delete this line will not be printed
StartOfAttachment - Do not delete this line will not be printed
ATTACHMENT 4
ORIGINAL PROPOSED PARKING PROHIBITIONS – Paltara Way, Wanneroo
EndOfAttachment - Do not delete this line will not be printed
StartOfAttachment - Do not delete this line will not be printed
ATTACHMENT 5

PROPOSED PARKING PROHIBITIONS – Paltara Way
EndOfAttachment - Do not delete this line will not be printed
File Ref: R33/0013V01
File Name: GA Parking Prohibitions Wangara.doc This line will not be printed dont delete
Responsible Officer: Director, Infrastructure
Disclosure of Interest: Nil
Author: Russell Hewitt
Meeting Date: 9 October 2007
Attachment(s): 6
StartStrip - This line will not be printed Please do NOT delete
Issue
To consider the installation of parking prohibitions on Berriman Drive, Baretta Road, Automotive Drive, Motor Parade, Lancaster Road and Pembroke Road, Wangara.
Background
Commercial business owners in the Wangara Industrial Area have raised safety concerns.
Currently, business staff and customers are parking on any available area of carriageway or nature strip on Berriman Drive, Baretta Road, Automotive Drive, Motor Parade, Lancaster Road and Pembroke Road thereby restricting access, obstructing sight lines and causing traffic congestion, as well as vehicle transports unloading on the carriageway on both Automotive Drive and Lancaster Road.
The uncontrolled nature of the parking throughout Wangara is leading drivers to take unnecessary risks and is increasing the likelihood of accidents.
Detail
Staff and customers of businesses along Berriman Drive, Baretta Road, Automotive Drive, Motor Parade, Lancaster Road and Pembroke Road have been observed parking illegally and inappropriately in the roads surrounding their workplaces, resulting in restricted access, obstructed sight lines and general traffic congestion.
These roads have been constructed with road pavement widths of 10m, providing 5m traffic lanes and allowing heavy haulage vehicles access to the industrial area. Allowing parking on both sides of the road reduces the trafficable lane width between parked vehicles to 5m which is insufficient for 2-way traffic flow by commercial vehicles. This results in traffic congestion and risk taking by impatient drivers.
The five-year crash statistics provided by Main Roads WA for the years 2002-2006 contain the following crash statistics for the subject area:
Berriman Drive – total 10 crashes
· Colliding with the rear of parked car – 3 crashes
· Head on collision – 2 crashes
· Rear end collision – 2 crashes
· Overtaking a vehicle turning right – 2 crashes
· Motor Cycle loss of control – 1 crash
Baretta Road – total 3 crashes
· Rear end collision with vehicle turning into a driveway – 1 crash
· Reversed into traffic from driveway – 1 crash
· Colliding with the rear of parked car – 1 crash
Motor Parade – total 3 crashes
· Right angle crash – 2 crashes
· Lost control turning right into Berriman Drive – 1 crash
Pembroke Road – total 2 crashes
· Colliding with the rear of parked car – 1 crash
· Collision with a vehicle exiting a driveway – 1 crash
Refer Attachment 1 for a location plan identifying the subject area.
Refer Attachment 5 for a crash location plan.
Consultation
A survey of affected owners and occupiers was commenced on 26 June 2007 with the specified date of Monday, 16 July 2007 for final returns. The area surveyed is shown on the attached survey area map (Attachment 2 refers). A copy of the survey form is attached (Attachment 3 refers) and a copy of the proposed parking prohibition plan offered for comment is detailed on Drawing No 2259-1-0 (Attachment 4 refers).
Administration received 13 responses to the survey, out of the 41 sent to owners and occupiers, with four being in favour of the proposed parking prohibitions, three opposed and six seeking amendments.
|
No. |
Survey Comment |
|
1 |
The proposed installation of no standing signs appears excessive and whilst we agree with the need for safety awareness, commercial trade must also be of a concern. It is our belief that the proposed parking prohibitions would severely impact negatively on our tenants businesses. Administration response: Wangara is an industrial estate that has been designed to allow for heavy haulage vehicle access. The road pavements in this area are 10 metres wide. Allowing parking on both sides of the road reduces the remaining traffic lane to 5 metres which is insufficient for 2-way traffic flow. The result is traffic congestion and risk taking by impatient drivers. |
|
Baretta Road |
|
|
2 |
Bureaucracy! Revenue raising. Administration response: The Administration does not seek to raise revenue through parking infringements. The Administration’s only purpose in proposing the parking prohibitions is to improve safety. |
|
3 |
It’s about time this was looked at! |
|
4 |
This will be a lot safer, however it may encourage illegal parking in front of our office units. I will check on laws to protect our parking bays. Administration response: Parking on private property without the owners consent is a civil matter. |
|
5 |
Having ‘No Standing’ at all times will affect our business. We understand something should be done. What about the parking only? Directing all parking to the other side of Baretta Road will mean there will be no parking for our clients as this parking will be taken up by Wanneroo Chrysler Jeep and Phoenix Holden staff. Alternatively how about creating parking bays within the verge area! With one hour parking. Administration response: Many car sales yards provide only minimal customer parking on site to maximise the space for stock display. The result is a dependence on kerbside parking for customers. The provision of embayed parking to remove parked vehicles from the traffic lanes is a long term solution. |
|
Barretta Road/Berriman Drive |
|
|
6 |
In response to your circular regarding proposed parking prohibitions on roads near my businesses, I attach a returned copy of the survey form seeking a change. Because of my concerns about the affect of the proposal on my businesses I engaged a consultant with extensive experience in traffic management and safety to provide advice on the issues and suggestions for resolving council’s concerns while maintaining necessary parking for my business. A copy of the consultant’s advice that I endorse is attached (including a plan showing the prohibitions that I regard as required for my businesses to operate). I believe it is important that Council also take into account the time that I have been operating and the background to the issue of traffic and parking in the Wangara area. It all supports that the proposal I now submit is an appropriate one. Our Phoenix Holden Dealership has been operating in Wangara since 1979 and we feel we are entitled to street frontage parking for our business. When it was first established, the advice received at the time was that Wanneroo Road was never intended to have motor dealership frontage. This has now changed and the City has allowed the opening up of Motor Parade/Pembroke Road which has resulted in increased traffic on Berriman Drive. Consequently Berriman Drive has become a drag strip. It could be noted that we have provided a substantial parking area for staff in Mackie Road and the major concern is for others. We believe that 2 hour parking, loading zone and enhancement suggested by the Consultant are appropriate and will lead to a much safer environment for all users of the area. Attachment As requested I have reviewed the City of Wanneroo parking proposal in the vicinity of your business as shown on its Drawing 2259-1-0.
The letter from council seeking your consideration advises that the proposal is to reduce hazards on the roads caused by inappropriate parking. I have therefore reviewed the proposal from safety and amenity viewpoints that includes an on-site assessment. Unfortunately I have no information relating to reported crashes to assist in an assessment of either Council’s proposal or other improvements that could be implemented to improve safety. Rather I have reviewed the issues using safety audit principles that are part of accepted traffic engineering standards. My advice in relation to Council’s parking proposal is restricted to the roads adjacent to your business including Berriman Drive and Baretta Road. I recommend that you return Councils survey form recommending that the plan be amended according to the attached returned copy of an amended Council drawing. You may care to also enclose this letter. Parking The primary objectives of parking schemes should be to minimise hazards while maintaining appropriate service to businesses and this appears the intent of council’s scheme. The amended parking proposal shown on the returned copy of Councils drawing does this. It has the advantage over Council’s scheme of reducing the need for pedestrians to cross Berriman Drive and Baretta Road to access your businesses. It is noted that your businesses appear to be the largest generators of clients on these road sections. Accordingly, the revision allows 2 hour parking on the eastern side of Berriman drive rather than ‘No Stopping’ that Council’s drawing shows. The ‘No Stopping’ prohibition is transferred to the west side of Berriman Drive. If necessary Council could provide ‘nibs’ at the intersections (Baretta/Berriman and Berriman/Motor Parade) so that the 2-hour parking bays becomes indented and drivers on side roads are able to easily see past parked vehicles. Loading Zone is also proposed on the north side of Berriman Drive east of Berriman Drive/Motor Parade intersection to cater for your needs. Further Safety Treatments On-site investigations suggest that reducing vehicle speeds along Berriman Drive would enhance safety. The 10m+ with of Berriman Drive allows traffic to travel reasonably fast and observations suggest speeds are faster than reasonable for the circumstances. While changing the parking proposal to that suggested will lessen pedestrian safety problems, neither council’s scheme nor the one now recommended will resolve all problems due to traffic speeds. Devices such as roundabouts would alleviate this problem and Council could consider installing roundabouts at Baretta Road/Berriman Drive and Berriman Drive/Motor Parade. Administration response: The proposal to limit parking to the western side of Berriman Drive is to provide the parking adjacent to the only footpath on Berriman Drive and to ensure that the sight lines at the intersections with Baretta Road and Motor Parade were kept clear. Administration supports the recommendation to set a 2 hours parking limit to discourage parking by staff and maximise parking for customers.
The provision of a loading zone in Berriman Drive adjacent to Phoenix Holden is supported by Administration. Wangara is an industrial estate that has been designed to allow for heavy haulage vehicle access. The road pavements in this area are 10 metres wide. The construction of nibs to create parking embayments would be at odds with the purpose of the subdivision. |
|
Berriman Drive |
|
|
7 |
I have marked the map indicating the requirement for no parking beside our access driveway. It is dangerous for vehicles leaving our premises as you cannot see oncoming traffic as you exit if it is parked either side. We have our drive on the crest of Berriman Drive. Administration response: Administration supports the need to improve sightlines at this access driveway onto Berriman Drive. |
|
Lancaster Road |
|
|
8 |
Parking has got out of control. |
|
Pembroke Road |
|
|
9 |
I understand the need to limit inappropriate parking in this area but to erect “no standing” signage will severely disadvantage our business. The nature of our customer is that they require the convenience of street parking whilst browsing thru our yard and neighboring yards, it allows them the freedom to walk thru each yard without having to move their vehicle or feel committed to any one dealership. I would strongly suggest 1 or 2 hour parking be made available for “customer” use only. This would eliminate the congestion caused by employees of surrounding businesses parking on Pembroke Road. Administration response: Staff and customers are currently inappropriately parking within the Pembroke Road cul-de-sac head causing drivers who enter the road to perform 3-point turns or use crossovers to turn around at the end of the road. Many car sales yards provide only minimal customer parking on site to maximise the space for stock display. The result is a dependence on kerbside parking for customers. Administration supports the recommendation to set a 2 hours parking limit to discourage parking by staff and maximise parking for customers. |
|
10 |
Totally unnecessary. Have not seen a reason why this needs to be implemented. |
|
Automotive Drive |
|
|
11 |
Please put No Standing signs out the front of Wild West and loading zone further down as visibility is limited when exiting dealership and has caused accidents and near misses in the past. Administration response: Administration supports the recommendation to limit parking on Automotive Drive and relocate the Loading Bay. |
A further onsite meeting was held on Tuesday, 28 August 2007 between Administration and representatives of businesses fronting Lancaster and Pembroke Roads.
The requests of that meeting were:
· That the proposed Loading Zone is relocated from Lancaster Road to Motor Parade due to sight line problems when exiting the dealership on the south side of Lancaster Road.
· That 2-hour parking be allowed on both sides of Pembroke Road which would cause staff to seek parking elsewhere and leave the available kerb parking to customers.
In response to the comments made, Administration has amended the parking prohibition proposal and the revised proposal is shown in Drawings 2259-2-1 and 2259-3-1 (Attachment 6 refers).
Comment
The proposed parking prohibitions have been designed primarily to maximising parking for customers while preventing parking in locations that could restrict general traffic movements, compromise sight distances, or obstruct footpath access.
When selecting the preferred side of the road to allow parking, Administration has been guided by:
· Co-locating the parking adjacent to any footpath if provided.
· Choosing the longest continuous lengths of kerb without intersections or crossovers to maximise the number of potential parking bays.
While businesses were reminded that development applications required that customer parking be provided on site, representatives commented that customers were very reluctant to park on site as they felt it represented a commitment to a particular dealership.
It should be noted that with the continued introduction of time limited parking at a number of locations within the City and the continuing call for enforcement by affected business is adding significantly to the work commitment of the City’s Rangers and Safety Services. Due to these commitments, the proposed parking prohibition provisions for Wangara will be enforced on an infrequent basis and will mainly rely on compliance by business staff and customers themselves.
Statutory Compliance
The installation of parking prohibition signage will allow the enforcement of Part 4 Clause 38 of the City’s Parking and Facilities Local Law 2003(as amended).
Strategic Implications
The proposal to install parking prohibitions signs on Berriman Drive, Baretta Road, Automotive Drive, Motor Parade, Lancaster Road and Pembroke Road, is consistent with the following City of Wanneroo Strategic Plan 2006-2021 outcome objectives:
“Social
2.4 Improve community safety
2.4.1 Implement a range of road safety initiatives to improve the standard of the road network and user behaviour.”
Policy Implications
Nil
Financial Implications
The provision of parking prohibitions incurs not only the initial cost of materials and installation of the signs but also the ongoing cost of maintenance due to vandalism and graffiti. Current estimates for materials and installation are $100/sign, equating to an appropriate cost of $6,000 and is proposed to be funded from Project No PR – 2529, Parking Scheme Signage and Line Marking, Various, for which a total of $50,000 has been approved by Council in the 2007/2008 Capital Works budget.
The enforcement of parking prohibitions over an increasing number of sites also impacts on the manpower needs of Ranger Services resulting in increased staff requirements.
Voting Requirements
Simple Majority
EndStrip - This line will not be printed Please do NOT delete
Recommendation
That Council:-
1. APPROVES the installation of the Wangara parking scheme signage for Berriman Drive, Baretta Road, Automotive Drive, Motor Parade, Lancaster Road and Pembroke Road, Wangara as shown on Drawings 2259-2-1 and 2259-3-1 (Attachment 6 refers).
2. ADVISES business owners and operators of Council’s decision.
EndOfRecommendation - This line will not be printed Please do NOT delete
StartOfAttachment - Do not delete this line will not be printed
ATTACHMENT 1
Area of Interest
![]()


LOCATION MAP – Parking Prohibitions, Wangara
EndOfAttachment - Do not delete this line will not be printed
StartOfAttachment - Do not delete this line will not be printed
ATTACHMENT 2

SURVEY AREA – Parking Prohibitions, Wangara
EndOfAttachment - Do not delete this line will not be printed
StartOfAttachment - Do not delete this line will not be printed
ATTACHMENT 3
Page 1 of 2
26 June 2007
To Owner/Occupier
Berriman Drive, Motor Parade, Automotive Drive
Lancaster Road & Pembroke Road
WANGARA WA 6065
PROPOSED PARKING PROHIBITIONS – WANGARA
As a result of concerns over inappropriate parking referred to the City by local businesses, the City is considering a proposal to install parking prohibitions on Berriman Drive, Motor Parade, Automotive Drive, Lancaster Road and Pembroke Road, Wangara. The proposed parking prohibition signage is shown on the enclosed City of Wanneroo Drawing No. 2259-1-0.
The intent of the parking prohibitions is not to raise revenue or disadvantage businesses but to limit inappropriate parking that creates an unsafe road environment.
Adequate loading zones for deliveries have been located on Motor Parade, Automotive Drive and Lancaster Road.
Please complete the enclosed survey form and return in the reply-paid envelope by close of business Monday 16 July 2007. The proposal will then be amended to reflect the majority view of the businesses and a report presented to Council for endorsement. It is currently proposed that the report will be presented at the Council meeting scheduled for 8 August 2007.
Should you wish to discuss this matter further or require additional information please contact the City’s Traffic Engineer, Russell Hewitt on telephone 9405 5000.
Ian Barker
MANAGER INFRASTRUCTURE PLANNING
Enc.
ATTACHMENT 3
Page 2 of 2
COMMUNITY SURVEY: WANGARA – PARKING PROHIBITIONS
(Return by close of business Friday, 13 July 2007)
The Chief Executive Officer
City of Wanneroo
Locked Bag 1
WANNEROO WA 6946
PARKING PROHIBITIONS – WANGARA
As owner/occupier of the property at:
__________________________________________________________________
__________________________________________________________________
I consider that the parking prohibitions as proposed in Drawing 2259-1-0 for Berriman Drive, Motor Parade, Automotive Drive, Lancaster Road and Pembroke Road, Wangara:
(Please mark one box)
˙ ARE UNNECESSARY
˙ ARE NECESSARY
˙ SHOULD BE AMENDED AS SHOWN ON THE RETURNED DRAWING
Optional:
Other comments:
_____________________________________________________________________
_____________________________________________________________________
_____________________________________________________________________
_____________________________________________________________________
(Please print name below in block letters)
____________________________ Date:______________________
EndOfAttachment - Do not delete this line will not be printed
StartOfAttachment - Do not delete this line will not be printed
ATTACHMENT 4

ORIGINAL PROPOSAL FOR CONSULTATION – Parking Prohibitions, Wangara
EndOfAttachment - Do not delete this line will not be printed
StartOfAttachment - Do not delete this line will not be printed
ATTACHMENT 5

CRASH LOCATIONS – Parking Prohibitions, Wangara
EndOfAttachment - Do not delete this line will not be printed
StartOfAttachment - Do not delete this line will not be printed
ATTACHMENT 6
Page 1 of 2

PROPOSED PARKING PROHIBITIONS _ Wangara
ATTACHMENT 6
Page 2 of 2

PROPOSED PARKING PROHIBITIONS _ Wangara
EndOfAttachment - Do not delete this line will not be printed
File Ref: R08/0015V01
File Name: BA Traffic Management Treatments Walyunga Boulevard Clarkson.doc This line will not be printed dont delete
Responsible Officer: Director, Infrastructure
Disclosure of Interest: Nil
Author: Glenn Shaw
Meeting Date: 9 October 2007
Attachment: 1
StartStrip - This line will not be printed Please do NOT delete
Issue
To consider traffic management and pedestrian access treatments for Walyunga Boulevard, Clarkson, adjacent to the Clarkson Community High School.
Background
Clarkson Community High School (the School) engaged Kirton Durack consultants in 2006 to review traffic management and parking arrangements within the school precinct. In May 2007, the School Principal requested the City’s assistance in developing strategies to address road safety concerns identified in the review. Key review findings relating to external traffic management and school parking included:
“The highest priority is student safety, however, this is compromised in several areas:
· School buses pick-up students on the southwest portion of Walyunga Boulevard. This operation is supervised by the School’s staff. However, parents are parking on the opposite side of the road with the generous nature strip, this is inviting for four-wheel drives. Some students are walking or running to these vehicles from behind or between the buses and as can be seen from the enclosed photos, with the buses extending well into the roadway. This facilitates the potential for an accident.
· Parents are also parking on the edge of Porongurup Drive. Students then have to negotiate Walyunga Boulevard with passing through traffic and parent-school based traffic, as there is no crossing available in this area, again there is potential for an accident. The traffic island does assist to moderate vehicle speeds in this area.
From the point of view of vehicle through traffic (non school related vehicles) travelling west or east on Walyunga Boulevard when buses are parked for student pick-up, there is a substantial portion of the bus on the roadway-which causes westbound traffic to encroach into the eastbound lane. This is mainly due to insufficient off-road parking. The bus bays are restricted somewhat as the students have to congregate either on the limited footpath area or in the sloping bushland between the School boundary and the footpath, blocking pedestrian access. This again is an undesirable situation.”
In support of the Kirton Durack report findings, site investigations by Administration in June 2007 confirmed that inappropriate parking is occurring on the northern nature strip of Walyunga Boulevard between Connolly Drive and Porongurup Drive. Student pedestrians were observed crossing at random between parked buses to access the vehicles parked on the northern nature strip area. Further to the pedestrian issue, bus parking is compromised by the substandard layout of the bus embayments on the south side of Walyunga Boulevard.
The length of the bus embayments plus the narrow width restricts bus movement resulting in the rear of the buses remaining on the carriageway, which obstructs through traffic and creates congestion.
Detail
Proposed parking embayment improvements
The School is situated on Walyunga Boulevard, Clarkson and has approximately 930 students. Transperth provides an extensive bus service; school based and public bus service operations. The bus embayments consist of two separate parking areas designed to accommodate three buses at any one time. Both bus embayments require modification to improve vehicle and pedestrian access. The proposed changes, including the widening of the existing bus embayments and removal of the kerbed nib between them, are shown as “Stage 1 Works” on City of Wanneroo plan 2305-1-0 (Attachment 1 refers).
To address parking issues and formalise the parking area on the north side of Walyunga Boulevard, a parking embayment, shown as “Stage 2 Works” on City of Wanneroo plan 2305-1-0 (Attachment 1 refers) is also proposed.
Consultation
Administration has met with Public Transport Authority, Clarkson Community High School and Department of Education and Training in relation to the Kirton Durack’s review findings including the bus embayment modifications on Walyunga Boulevard.
Comment
Students currently queue at the eastern most bus embayment on Walyunga Boulevard to access Tranperth bus operations. On site observations confirmed that the movement of students during the pickup time is congested and restricted to the sloping verge area. The removal of the kerbed nib between the embayments will enable the pickup of students to occur at the western end of the embayment area. Pickup at the western end of the embayments will allow the use of an extensive grassed verge area suitable for large numbers of students to access the buses in an orderly manner.
Inappropriate and random parking occurs on the northern nature strip of Walyunga Boulevard between Porongurup Drive and Connolly Drive. The proposal to provide parking embayments in this area will formalise vehicle parking and provide an area for buses to set down. As part of the proposal, pedestrian access will be provided by the provision of a shared pathway behind the embayment kerb line linking to the existing footpaths near Connolly Drive and Porongurup Drive.
Statutory Compliance
Nil
Strategic Implications
Traffic management treatments on Walyunga Boulevard, Clarkson are consistent with the City of Wanneroo’s Strategic Plan 2006-2021 outcomes and objectives:
“Social
2.4 Improve community safety
2.5 Improve transport options and connections”
Policy Implications
Nil
Financial Implications
In review of the recommendations arising from the Kirton Durack 2006 report, the cost of the works generated include:
1. The widening and modification of the existing bus embayments on the southern nature strip of Walyunga Boulevard as shown as “Stage 1 Works” at an estimated cost of $30,000. Department of Education and Training has agreed to joint fund the project to a cost of $15,000 being 50% in this instance. This funding can be sourced from account PR1436 –Implement Traffic Management Works – Unspecified, which has a budget of $35,000.
2. The cost estimate for the construction of the new parking embayment on the northern nature strip of Walyunga Boulevard including the shared pathway as shown as “Stage 2 Works” is $50,000. It is proposed that funding for the project be considered as part of the Draft 2008/2009 Budget. Negotiations for joint funding of the project with the Department of Education and Training are still to occur and will be undertaken once Stage 1 Works are complete.
Voting Requirements
Simple Majority
EndStrip - This line will not be printed Please do NOT delete
Recommendation
That Council:-
1. NOTES the key findings of the Kirton Durack’s Clarkson Community High School Traffic Management and Parking Report (2006).
2. APPROVES the modifications to the existing bus embayments on Walyunga Boulevard being Stage 1 Works as shown on Drawing 2305-1-0 (Attachment 1) at an estimated cost of $30,000, with 50% funding from Project No PR – 1436 – Implement Traffic Management Works – Unspecified and 50% contribution from the Department of Education and Training.
3. NOTES the following budget variation to reflect the contribution from the Department of Education and Training and reallocation of funds from Project No 1436 – Implement Traffic Management Works – Unspecified.
INCOME
|
Cost Code |
Present Budget |
Additional Amount |
Revised Budget |
|
913510-8946-501 Capital Grant Income – Deptartment of Education and Training |
|
$15,000 |
|
EXPENDITURE
|
Account No/Project No |
From |
To |
Description |
|
913510-8946-501 |
$15,000 |
|
Contribution from the Department of Education and Training |
|
Project No PR-1436 |
$15,000 |
|
Implement Traffic Management Works - Unspecified |
|
Project No PR-1305 |
|
$30,000 |
Walyunga Boulevard Bus Embayments, Clarkson |
4. LISTS $50,000 for consideration in the draft 2008/2009 Budget for Stage 2 Works being proposed parking embayment on the northern nature strip of Walyunga Boulevard as shown on Drawing 2305-1-0 (Attachment 1).
5. ADVISES Clarkson Community High School and Department of Education and Training of Council’s decision.
EndOfRecommendation - This line will not be printed Please do NOT delete
StartOfAttachment - Do not delete this line will not be printed
ATTACHMENT 1

EndOfAttachment - Do not delete this line will not be printed
File Ref: C06070V0
File Name: DA Budget Variation PR1218 Upgrade of the Material Recovery Facilty Wangara.doc This line will not be printed dont delete
Responsible Officer: Director, Infrastructure
Disclosure of Interest: Nil
Author: Robert Elliott
Meeting Date: 9 October 2007
Attachment: Nil
StartStrip - This line will not be printed Please do NOT delete
Issue
To consider a variation to the budget for Project PR 1218 – Upgrade of the Materials Recovery Facility, Wangara.
Background
The City of Wanneroo has entered into a joint agreement with the Cities of Swan and Joondalup to upgrade the Materials Recovery Facility, Wangara (MRF) and operate it for the next five years. This work is currently underway with costs charged to Project PR-1218. A contract for the main part of the work was awarded at the 13 December 2006 meeting of Council as Contract 06070 – Upgrade of Materials Recovery Facility, Wangara to Recycling and Design Technology Pty Ltd (Item IN01-12/06 refers).
The joint agreement provides that the funds held on behalf of the three Cities should be in an
interest bearing account and that the interest earned is available to help in funding the project.
At its needing on 13 March 2007 Council considered report IN03-03/07 which addressed the inclusion in the project budget of $80,000 from the sale of redundant equipment and $30,000 from interest on joint funds being held in the interest bearing account. These estimates have proved to be low and additional funds need to be recognised in the budget for Project No PR 1218.
Detail
Additional funds have become available for this project and Council approval is required to allocate these funds to PR 1218 to enable their use for improving the efficiency of the MRF.
The industry estimate for the sale of the redundant equipment from the MRF that was sold in May 2007 was $80,000. The highest tender received was $142,000 and the additional amount of $62,000 achieved from the sale needs to be allocated to the project.
The money contributed by the three councils for the upgrade of the MRF is held in a separate interest bearing account. A preliminary interest estimate of $30,000 has already been included in the budget for PR 1218. The actual interest achieved to 30 June 2007 was $90,000 and additional interest this year of at least $34,000 will be achieved. This gives a total of $94,000 that needs to be added to the funds available under PR 1218.
The remainder of the old equipment from the MRF has now been removed and is in the process of being sold. The estimated total income from the sale of this equipment is between $20,000 and $30,000. The use of the lower estimate of $20,000 is recommended. If this disposal is not successful, appropriate adjustments will be made to the budget.
Comment
The upgrade of the MRF under contract C06070 is behind schedule due to the difficulties that the contractor had in securing building services. The modifications to the building are now complete and it is expected that the facility will be commissioned and fully operational during November 2007. This has not affected the contract price for the work. There are additional capital items in relation to the MRF, which are desirable for its long-term efficiency for which these additional funds are needed. Items to be considered include the purchase of a forklift and loader, rather than the hire of this equipment. Final determination will be made in consultation with the Operational Management Team
Any unspent funds in the reserve at the end of the project are split three ways and returned to the three member councils.
Statutory Compliance
Council approval is required to increase the budget for a project.
Strategic Implications
The upgrading of the Wangara MRF and its joint operation with the Cities of Swan and
Joondalup is consistent with the City of Wanneroo Strategic plan (2006-2021) outcomes and objectives
“Environmental
1.3 Improve management, recycling and re-use of waste”
Policy Implications
Nil
Financial Implications
The current budget for PR-1218 is $4,150,000 and it is proposed to increase this by the following amounts:
|
Estimated interest on funds being held for the joint upgrade |
$94,000 |
|
Balance of income from sale of redundant equipment at the MRF during 2006/07 |
$62,000 |
|
Estimated income from sale of redundant equipment at the MRF during 2007/08 |
$20,000 |
|
Total |
$176,000 |
Voting Requirements
Simple Majority
EndStrip - This line will not be printed Please do NOT delete
Recommendation
That Council APPROVES the reallocation of the following funds to budget item PR-1218 - Upgrade Material Recovery Facility to allow for additional capital purchases to improve the long-term efficiency of this facility:
|
Estimated interest on funds being held for the joint upgrade |
$94,000 |
|
Balance of income from sale of redundant equipment at the MRF during 2006/07 |
$62,000 |
|
Estimated income from sale of redundant equipment at the MRF during 2007/08 |
$20,000 |
|
Total |
$176,000 |
EndOfRecommendation - This line will not be printed Please do NOT delete
File Ref: R15/0001V01
File Name: GA Request to Waive Supervision fee for the Construction of Marmion Avenue Jindalee to Yanchep.doc This line will not be printed dont delete
Responsible Officer: Director, Infrastructure
Disclosure of Interest: Nil
Author: Ian Barker
Meeting Date: 9 October 2007
Attachment: Nil
StartStrip - This line will not be printed Please do NOT delete
Issue
To consider a request from the Capricorn Village Joint Venture to waive the supervision fee payable to the City of Wanneroo for the construction of Marmion Avenue from Jindalee to Yanchep.
Background
Marmion Avenue is designated an Important Regional Road (IRR) in the Metropolitan Regional Scheme and is currently constructed up to Benenden Avenue in Butler. The current West Australian Planning Commission policy requires developers of land adjoining an IRR to undertake the clearing and earthworks for a dual carriageway, construct a single carriageway for that section of the road adjoining their development and cede the road to the Crown free of cost.
To ensure the earliest construction of the entire section of Marmion Avenue from Jindalee to Yanchep, the Capricorn Village Joint Venture (CVJV) has arranged a prefunding agreement with all adjoining landowners. A contract for the construction of the road has been awarded, and a completion date of October 2008.
In recognition of the saving to the City by undertaking the task of project management for the construction of the road, CVJV has requested that the City waive the standard subdivision supervision fee for the road.
Detail
The construction of the first carriageway of Marmion Avenue is funded by the developers of the adjoining land and can be carried out by the developer as part of the subdivisional roadworks which would normally occur as the development progresses, and may not follow in a logical and progressive manner. To prevent the construction of unconnected sections of the road, the City may accept the funding from the developer equal to the calculated cost of the works, which is then held in trust and used when it is an appropriate time to construct the road.
The prefunding of the construction of one carriageway of the entire section of Marmion Avenue from Jindalee to Yanchep removes the requirement for the City to undertake this level of project management and removes the risk of the collected funds not matching the final construction costs if CPI increases at a greater rate than the amount of interest earned by the trust account. In such an event, the City would be required to make up the shortfall in costs from its general revenue.
The City currently has $1,102,530 in the Marmion Avenue Tokyu Corporation Reserve for the construction of the Yanchep section of the road.
The CVJV has estimated that the entire project will cost approximately $15.5M, of this the CVJV has identified a shortfall in excess of $500,000 in the funds held by the City for the construction of the Yanchep section of the road. This shortfall will be met by the CVJV, who will pay all costs associated with the project.
In addition, the CVJV has advised that its cost in prefunding the construction of Marmion Avenue due to the payment agreements negotiated with the landowners and the shortfall in contributions is approximately $5 million.
The supervision fee to the developers for the construction of Marmion Avenue is calculated to be $187,528 based on 1.5%of the construction cost, and the CVJV has requested that this be waived to part compensate for the cost of delivering the project.
Consultation
Nil
Comment
It is recognised that the early construction of Marmion Avenue from Jindalee to Yanchep provides a high level of benefit to the developers in the Yanchep/Two Rocks area by greatly improving access to the area. By the same token, this project provides a similar level of benefit to the existing community in Yanchep and Two Rocks and the City has sought to promote the construction of the road.
As the standard level of supervision of the construction will still be required and that the City’s Infrastructure staff has spent a considerable amount of time ensuring the design meets the appropriate standards, it is not considered appropriate to completely waive the fees payable. The saving in staff time will be made from the reduced level of project management and coordination that would be required if the road was to be constructed in multiple stages by separate developers.
It is therefore considered that a reduction in the Engineering Subdivision fees to 0.5% may be more appropriate.
Statutory Compliance
Section 158(3b) of the Planning and Development Act 2005 states the requirement for a person subdividing land to cover the reasonable cost to local government of supervising the construction of roads and drainage and sets this figure at 1.5% of the cost of construction if the person has engaged a consulting engineer and clerk of works to design and supervise the works.
Strategic Implications
The waiving of part of the supervision fee for the construction of Marmion Avenue from Jindalee to Yanchep is consistent with the City of Wanneroo strategic Plan (2006-2021) outcome objective:
“Social
2.5 Improve transport options and connections”
Policy Implications
Nil
Financial Implications
The supervisor fee due to the City is $187,528 for the construction of the road. The budgeted Engineering Subdivision Income for 2007/08 is $320,250, based on the previous years level of subdivision activity and did not include such a large “one off” project as Marmion Avenue. Removing the requirement to pay the stipulated level of engineering subdivision fees will not reduce the likelihood of achieving the budgeted level of income.
Should Council agree to reduce the supervision fee to 0.5%, then an amount of $62,510 is still payable by the CVJV.
Voting Requirements
Simple Majority
EndStrip - This line will not be printed Please do NOT delete
Recommendation
That Council:-
1. AGREES to reduce the supervision fee payable to the City of Wanneroo for the construction of Marmion Avenue between Jindalee and Yanchep from 1.5% to 0.5% of the cost of construction.
2. Advises the Capricorn Village Joint Venture of this reduction in the supervision fee.
EndOfRecommendation - This line will not be printed Please do NOT delete
File Ref: S13/0002V11
File Name: BA Warrant of Payments For the Period to 31 August 2007.doc This line will not be printed Please do NOT delete
Responsible Officer: Acting Director, Corporate Services
Disclosure of Interest: Nil
Author: Juanita Lee
Meeting Date: 9 October 2007
Attachments: Nil
StartStrip - This line will not be printed Please do NOT delete
Issue
Presentation to the Council of a list of accounts paid for the month of August, including a statement as to the total amounts outstanding at the end of the month.
Background
Local Governments are required each month to prepare a list of accounts paid for that month and submit the list to the next Ordinary Meeting of the Council.
In addition, it must record all other outstanding accounts and include that amount with the list to be presented. The list of accounts paid and the total of outstanding accounts must be recorded in the minutes of the Council meeting.
Detail
The following is the Summary of Accounts paid in August -
|
Funds |
Vouchers |
Amount |
|
Director Corporate Services Advance A/C Accounts Paid – AUGUST 2007 Cheque Numbers EFT Document Numbers TOTAL ACCOUNTS PAID Less Cancelled Cheques Less Amount Over Recouped TPS Bank Fees Debited RECOUP FROM MUNICIPAL FUND |
65455 - 65972 624 - 636
|
$1,723,485.94 $4,047,735.98 $5,77,221.92 ($375.81) ($3.00) $3.00 $5,770,846.11 |
|
Municipal Fund – Bank A/C Accounts Paid – August 2007 Direct Payments Payroll – Direct Debits TOTAL ACCOUNTS PAID |
|
$5,778,427.88 $1,710,842.33 $7,489,270.21 |
At the close of August outstanding creditors amounted to $529,981.67.
Comment
The list of accounts paid by cheque and electronic transfer in August 2007 and the end of month total of outstanding creditors for the month of August 2007 is presented to the Council for information and recording in the minutes of the meeting, as required by the Local Government (Financial Management) Regulations 1996.
Statutory Compliance
Regulation 13(1) of the Local Government (Financial Management) Regulations 1996 requires a local government to list the accounts paid each month and total all outstanding creditors at the month end and present such information to the Council at its next Ordinary Meeting after each preparation. A further requirement of this Section is that the prepared list must be recorded in the minutes of the Council meeting.
Strategic Implications
Nil.
Policy Implications
Nil.
Financial Implications
Nil.
Voting Requirements
Simple Majority
EndStrip - This line will not be printed Please do NOT delete
Recommendation
That Council RECEIVES the list of cheques drawn for the month of August, as summarised below:-.
|
Funds |
Vouchers |
Amount |
|
Director Corporate Services Advance A/C Accounts Paid – AUGUST 2007 Cheque Numbers EFT Document Numbers TOTAL ACCOUNTS PAID Less Cancelled Cheques Less Amount Over Recouped TPS Bank Fees Debited RECOUP FROM MUNICIPAL FUND |
65455 - 65972 624 - 636
|
$1,723,485.94 $4,047,735.98 $5,77,221.92 ($375.81) ($3.00) $3.00 $5,770,846.11 |
|
Municipal Fund – Bank A/C Accounts Paid – AUGUST 2007 Direct Payments Payroll – Direct Debits TOTAL ACCOUNTS PAID |
|
$5,778,427.88 $1,710,842.33 $7,489,270.21 |
|
WARRANT OF PAYMENTS AUGUST 2007 |
|
PAYMENT |
DATE |
DESCRIPTION |
AMOUNT |
|
00065455 |
01/08/2007 |
Deepak Halai |
$340.00 |
|
|
|
Bond Refund |
|
|
00065456 |
01/08/2007 |
Yie Fong Chong |
$300.00 |
|
|
|
Vehicle Crossing Subsidy |
|
|
00065457 |
01/08/2007 |
A & M Condo |
$300.00 |
|
|
|
Vehicle Crossing Subsidy |
|
|
00065458 |
01/08/2007 |
Nosratollah Rasekhfard |
$340.00 |
|
|
|
Bond Refund |
|
|
00065459 |
01/08/2007 |
DK Pink |
$300.00 |
|
|
|
Vehicle Crossing Subsidy |
|
|
00065460 |
01/08/2007 |
Robert Bruce Calder Smith |
$300.00 |
|
|
|
Vehicle Crossing Subsidy |
|
|
00065461 |
01/08/2007 |
LA Tilbury |
$300.00 |
|
|
|
Vehicle Crossing Subsidy |
|
|
00065462 |
01/08/2007 |
MF & SM Grant |
$300.00 |
|
|
|
Vehicle Crossing Subsidy |
|
|
00065463 |
01/08/2007 |
Ballajura Junior Football Club |
$428.00 |
|
|
|
Facility Hire Refund |
|
|
00065464 |
01/08/2007 |
Office Of Crime Prevention |
$5,500.00 |
|
|
|
Refund Of Unexpended Grant |
|
|
00065465 |
01/08/2007 |
Mr Steven Gascoigne |
$250.00 |
|
|
|
Reticulation Repairs To 10 Fawley Ret Mindarie - Waste |
|
|
00065466 |
01/08/2007 |
Ahidan Barr |
$300.00 |
|
|
|
Vehicle Crossing Subsidy |
|
|
00065467 |
01/08/2007 |
R & LJ Morris |
$300.00 |
|
|
|
Vehicle Crossing Subsidy |
|
|
00065468 |
01/08/2007 |
TD Fox & F Fox |
$300.00 |
|
|
|
Vehicle Crossing Subsidy |
|
|
00065469 |
01/08/2007 |
PJ Huisman |
$300.00 |
|
|
|
Vehicle Crossing Subsidy |
|
|
00065470 |
01/08/2007 |
A Magid |
$300.00 |
|
|
|
Vehicle Crossing Subsidy |
|
|
00065471 |
01/08/2007 |
Susie Sojkoski |
$532.50 |
|
|
|
Bond Refund |
|
|
00065472 |
01/08/2007 |
Wanneroo Primary School P & C |
$319.50 |
|
|
|
Bond Refund |
|
|
00065473 |
01/08/2007 |
Christina Miraudo |
$532.50 |
|
|
|
Bond Refund |
|
|
00065474 |
01/08/2007 |
Trevor Hayes |
$199.00 |
|
|
|
Reimbursement Of Small Business Smart Business Voucher |
|
|
00065475 |
01/08/2007 |
Jeff Xavier |
$532.50 |
|
|
|
Bond Refund |
|
|
00065476 |
01/08/2007 |
Alexia Howell |
$532.50 |
|
|
|
Bond Refund |
|
|
00065477 |
01/08/2007 |
Yvonne Lowe |
$532.50 |
|
|
|
Bond Refund |
|
|
00065478 |
01/08/2007 |
Aboriginal Seniors Group Petty Cash |
$50.00 |
|
|
|
Petty Cash |
|
|
00065479 |
01/08/2007 |
Alexander Heights Adult Day Care Petty Cash |
$56.60 |
|
|
|
Petty Cash |
|
|
00065480 |
01/08/2007 |
Alinta Gas |
$4,011.13 |
|
|
|
Gas Supplies For The City |
|
|
00065481 |
01/08/2007 |
Buckingham House Petty Cash |
$104.55 |
|
|
|
Petty Cash |
|
|
00065482 |
01/08/2007 |
Cockman House Petty Cash |
$46.60 |
|
|
|
Petty Cash |
|
|
00065483 |
01/08/2007 |
Corporate Services Petty Cash |
$168.70 |
|
|
|
Petty Cash |
|
|
00065484 |
01/08/2007 |
Customer Service Council Inc |
$88.00 |
|
|
|
Workshop - Customer Service Council Breakfast 14/08/07 - D |
|
|
|
|
Browne And K Williams |
|
|
00065485 |
01/08/2007 |
Hainsworth Community Centre Petty C |
$238.05 |
|
|
|
Petty Cash |
|
|
00065486 |
01/08/2007 |
Honeywell Secondhand Shop |
$155.00 |
|
|
|
1 x Rate Payer Financial Assistance |
|
|
00065487 |
01/08/2007 |
Mobile Library Petty Cash |
$84.10 |
|
|
|
Petty Cash |
|
|
00065488 |
01/08/2007 |
Royal Western Australian Historical |
$75.00 |
|
|
|
Subscription For 2007/2008 - Heritage Services |
|
|
00065489 |
01/08/2007 |
Alexander Heights Community House P |
$46.80 |
|
|
|
Petty Cash |
|
|
00065490 |
01/08/2007 |
Water Corporation |
$507.35 |
|
|
|
Road/Footpath Reinstatement Costs Due To Hydrant Works |
|
|
00065491 |
01/08/2007 |
Zurich Client Service |
$235.38 |
|
|
|
Payroll Deductions F/Ending 27/07/07 |
|
|
00065492 |
01/08/2007 |
City of Wanneroo - Payroll Rates |
$1,785.00 |
|
|
|
Payroll Deductions F/Ending 27/07/07 |
|
|
00065493 |
01/08/2007 |
Cancelled |
|
|
00065494 |
01/08/2007 |
Synergy |
$18,625.95 |
|
|
|
2 x Ratepayer Financial Assistance ($229.60) |
|
|
|
|
Power Supplies For City |
|
|
00065495 |
01/08/2007 |
Telstra |
$4,252.07 |
|
|
|
Internet Charges For July07 |
|
|
00065496 |
01/08/2007 |
UPL(WA)Pty Ltd |
$61,537.69 |
|
|
|
Construction & Maintenance Of The Sport Oval In The Somerly Estate Clarkson For Infrastructure Projects |
|
|
00065497 |
01/08/2007 |
Western Power |
$1,243.00 |
|
|
|
Works At Mindarie Drive - Infrastructure Projects |
|
|
00065498 |
01/08/2007 |
Dog Registration Officers Cash Float |
$50.00 |
|
|
|
Cash Float - Carmen Boyd |
|
|
00065499 |
01/08/2007 |
Wanneroo Adult Day Centre Petty Cash |
$36.00 |
|
|
|
Petty Cash |
|
|
00065500 |
01/08/2007 |
3D Networks (Australia) Pty Ltd |
$6,299.92 |
|
|
|
Various Works For IT Services |
|
|
00065501 |
01/08/2007 |
Academy Clothing |
$97.90 |
|
|
|
Uniforms - Ranger Services |
|
|
00065502 |
01/08/2007 |
ALC Training Pty Ltd |
$6,292.00 |
|
|
|
ITIL Essentials Course & Exam For M Grigsby, A Angus G Duran & N Friedli - IT Services |
|
|
00065503 |
01/08/2007 |
Alison Barrett |
$6,187.50 |
|
|
|
3rd Instalment For The Management Of The Wanneroo Library & Regional Museum Public Art Program |
|
|
00065504 |
01/08/2007 |
Asphaltech Pty Ltd |
$53.63 |
|
|
|
Granite Asphalt For Mirrabooka Avenue/Marangaroo Drive - Operations |
|
|
00065505 |
01/08/2007 |
Beaumaris Family Practice |
$247.50 |
|
|
|
Volunteer Fire Fighters Medical |
|
|
00065506 |
01/08/2007 |
Big W |
$129.60 |
|
|
|
Book Purchases - Girrawheen Library |
|
|
00065507 |
01/08/2007 |
City of Joondalup |
$7,125.00 |
|
|
|
LGIS Workcare Adjustment 01/07/1998 - 01/07/1999 |
|
|
00065508 |
01/08/2007 |
City of Swan |
$26.40 |
|
|
|
Lost Book Charges - Libraries |
|
|
00065509 |
01/08/2007 |
Dept Of Culture And The Arts |
$156.20 |
|
|
|
Lost/Damaged Book Charges - Yanchep Library |
|
|
00065510 |
01/08/2007 |
Dimension Data Learning Solutions |
$2,145.00 |
|
|
|
Training Course ITILFundamentals Foundation Cert -Attendee B Horwitz |
|
|
00065511 |
01/08/2007 |
Downer EDI Engineering Electrical P |
$352.00 |
|
|
|
Cable Testing Girrawheen Library - IT Services |
|
|
00065512 |
01/08/2007 |
Drive Train |
$62.45 |
|
|
|
Parts - Fleet Maintenance |
|
|
00065513 |
01/08/2007 |
Fernando Civitella |
$100.00 |
|
|
|
Entertainment For The Alexander Heights Adult Day Centre |
|
|
00065514 |
01/08/2007 |
FOO HUA Chinese Restaurant |
$49.80 |
|
|
|
Catering - Training Officers Meeting |
|
|
00065515 |
01/08/2007 |
Integrated Records and Information |
$297.00 |
|
|
|
Introduction To Archives Management Training Course -Attendee A Szot-Talikowska |
|
|
00065516 |
01/08/2007 |
IPWEA WA |
$726.00 |
|
|
|
Diploma Of Public Works Module 4 Project Management - Attendee M Oh |
|
|
00065517 |
01/08/2007 |
Jane Coffey & Associates |
$396.00 |
|
|
|
Workshop Recruitment & Selection 12/06/07 |
|
|
00065518 |
01/08/2007 |
Jaymak Perth |
$976.80 |
|
|
|
Cleaning Of Kitchen Fridges |
|
|
00065519 |
01/08/2007 |
JB Precise Engineering |
$1,226.50 |
|
|
|
Vehicle Spare Parts - Fleet Maintenance |
|
|
00065520 |
01/08/2007 |
KFC - Head Office |
$84.00 |
|
|
|
Catering For 1.4 Training Course - Emergency Services |
|
|
00065521 |
01/08/2007 |
L Millar & Associates |
$3,388.00 |
|
|
|
Review Of Transport & Access Report Prepared For The Alkimos Eglinton District Structure Plan - Infrastructure Planning |
|
|
00065522 |
01/08/2007 |
McDonalds Wanneroo |
$47.20 |
|
|
|
Catering For Two Rocks 1.4 Training Breakfast -Emergency Services |
|
|
00065523 |
01/08/2007 |
Perth YMCA Youth Services |
$13,310.00 |
|
|
|
YMCA Youth Bus Services - Youth Services |
|
|
00065524 |
01/08/2007 |
Red Dot Stores |
$149.10 |
|
|
|
Equipment For Adult Day Centres |
|
|
00065525 |
01/08/2007 |
Ross McLoughlin Consulting Surveyor |
$7,975.00 |
|
|
|
Survey Wanneroo Showgrounds - Infrastructure Projects |
|
|
00065526 |
01/08/2007 |
Safedrive International Pty Ltd |
$990.00 |
|
|
|
Defensive Driver Training - Attendees T Rollinston & S Steele |
|
|
00065527 |
01/08/2007 |
Select Diesel Services |
$63.77 |
|
|
|
Fuel Tank Cap - Fleet Maintenance |
|
|
00065528 |
01/08/2007 |
Spectrum Sportswear |
$137.50 |
|
|
|
Screen Printing For The Dolphin Swim School |
|
|
00065529 |
01/08/2007 |
Susanne Parker |
$344.30 |
|
|
|
School Holiday Art Classes |
|
|
00065530 |
01/08/2007 |
Swan Tafe |
$4.17 |
|
|
|
Purchase Of Books For S Taylor |
|
|
00065531 |
01/08/2007 |
The Swan Brewery Company Pty Ltd |
$935.00 |
|
|
|
Tour For Gold Program - Leisure Services |
|
|
00065532 |
01/08/2007 |
The University Of Western Australia |
$110.00 |
|
|
|
Turf Seminar - Attendee M Brand |
|
|
00065533 |
01/08/2007 |
Wanneroo Villa Tavern |
$55.98 |
|
|
|
Beverages For Elected Members Bar Stock |
|
|
00065534 |
01/08/2007 |
City of Wanneroo - Payroll Rates |
$582.60 |
|
|
|
Payroll Deductions F/Ending 27/07/07 |
|
|
00065535 |
03/08/2007 |
Western Power |
$4,854.00 |
|
|
|
Requested Works At Civic Drive Wanneroo -Projects |
|
|
00065536 |
07/08/2007 |
D & S Ridgwell |
$300.00 |
|
|
|
Vehicle Crossing Subsidy |
|
|
00065537 |
07/08/2007 |
SP De Ruyscher & MC Alexander |
$300.00 |
|
|
|
Vehicle Crossing Subsidy |
|
|
00065538 |
07/08/2007 |
GT Cairns & A Fox |
$295.50 |
|
|
|
Vehicle Crossing Subsidy |
|
|
00065539 |
07/08/2007 |
AC Walker & AD Walker |
$300.00 |
|
|
|
Vehicle Crossing Subsidy |
|
|
00065540 |
07/08/2007 |
Yanchep Sun City Pty Ltd & |
$3,139.47 |
|
|
|
Rates Refund P/N219497 602 Two Rocks Road - Subdivision |
|
|
00065541 |
07/08/2007 |
Peet & Co Ltd ATF Yatala Unit Trust |
$1,654.53 |
|
|
|
Rates Refund P/N219592 50 Mornington Drive - Subdivision |
|
|
00065542 |
07/08/2007 |
Australind Holdings Ltd |
$247.46 |
|
|
|
Rates Refund P/N211034 300 Ocean Keys Bvd - Strata Title |
|
|
00065543 |
07/08/2007 |
Westcapital Group Pty Ltd |
$73.63 |
|
|
|
Rates Refund P/N179714 4 Allum Green - Strata Title |
|
|
00065544 |
07/08/2007 |
Saggio Properties Pty Ltd |
$87.91 |
|
|
|
Rates Refund P/N213363 33 Watkins Loop - Strata Title |
|
|
00065545 |
07/08/2007 |
Homer Holdings Pty Ltd & |
$158.27 |
|
|
|
Rates Refund P/N212156 53 Inspiration Drive - Strata Title |
|
|
00065546 |
07/08/2007 |
Cancelled |
|
|
00065547 |
07/08/2007 |
Butler Land Company Pty Ltd & |
$5,813.84 |
|
|
|
Rates Refund P/N220157 2 Exmouth Drive - Subdivision |
|
|
00065548 |
07/08/2007 |
CJ Agostino |
$87.08 |
|
|
|
Rates Refund P/N209042 6 Bologna Vista - Subdivision |
|
|
00065549 |
07/08/2007 |
DV D'Souza |
$149.60 |
|
|
|
Rates Refund P/N214194 14 Pando Cres - Strata Title |
|
|
00065550 |
07/08/2007 |
DB Prominent Homes Pty Ltd |
$87.91 |
|
|
|
Rates Refund P/N212890 56 Martindale Avenue - Strata Title |
|
|
00065551 |
07/08/2007 |
DA Salomone & S Salomone & L |
$289.04 |
|
|
|
Rates Refund P/N143234 36 Dellamarta Road - Subdivision |
|
|
00065552 |
07/08/2007 |
Butler Land Company Pty Ltd & |
$860.28 |
|
|
|
Rates Refund P/N220158 63 Kahana Pkwy - Subdivision |
|
|
00065553 |
07/08/2007 |
Satterley Wanneroo Pty Ltd |
$116.66 |
|
|
|
Rates Refund P/N213291 1180 Wanneroo Rd - Subdivision |
|
|
00065554 |
07/08/2007 |
Acru Pty Ltd |
$43.23 |
|
|
|
Rates Refund P/N207905 48 Seurat Loop - Strata Title |
|
|
00065555 |
07/08/2007 |
Marie Martin |
$43.23 |
|
|
|
Rates Refund Pn213985 61 Gosford Mdr - Strata Title |
|
|
00065556 |
07/08/2007 |
KL Wells |
$43.17 |
|
|
|
Rates Refund P/N203322 40 Appleby Drive - Strata Title |
|
|
00065557 |
07/08/2007 |
Mindarie Keys Joint Venture |
$365.10 |
|
|
|
Rates Refund P/N216502 90 Alexandria View - Subdivision |
|
|
00065558 |
07/08/2007 |
FF Prime Developments |
$129.31 |
|
|
|
Rates Refund P/N171004 2 Penola Ct - Subdivision |
|
|
00065559 |
07/08/2007 |
KA & SA Brincat |
$43.23 |
|
|
|
Rates Refund P/N216377 43 Celebration Bvd - Subdivision |
|
|
00065560 |
07/08/2007 |
Mindarie Keys Joint Venture |
$243.40 |
|
|
|
Rates Refund P/N216501 70 Alexandria View - Subdivision |
|
|
00065561 |
07/08/2007 |
Sylvia Gerritsen |
$243.00 |
|
|
|
Hire Fees Refund |
|
|
00065562 |
07/08/2007 |
Nancy Holl |
$27.85 |
|
|
|
Replacement Of Pot Planter/Saucer & Plant - Damaged While Collecting Household Rubbish Cart |
|
|
00065563 |
07/08/2007 |
Lake Joondalup Lifestyle Village |
$300.00 |
|
|
|
Donation - Costs Towards Fuel To Run Lake Joondalup Lifestyle Village Choir Bus Covering A 12 Month Period |
|
|
00065564 |
07/08/2007 |
Beacon Homes Pty Ltd |
$300.00 |
|
|
|
Vehicle Crossing Subsidy |
|
|
00065565 |
07/08/2007 |
TJ & AM Pridham |
$300.00 |
|
|
|
Vehicle Crossing Subsidy |
|
|
00065566 |
07/08/2007 |
KT & SE Harris |
$300.00 |
|
|
|
Vehicle Crossing Subsidy |
|
|
00065567 |
07/08/2007 |
G & S McCrea |
$300.00 |
|
|
|
Vehicle Crossing Subsidy |
|
|
00065568 |
07/08/2007 |
Van Thanh Phan& Dieu Thi Xuan Trinh |
$300.00 |
|
|
|
Vehicle Crossing Subsidy |
|
|
00065569 |
07/08/2007 |
VG Nguyen |
$300.00 |
|
|
|
Vehicle Crossing Subsidy |
|
|
00065570 |
07/08/2007 |
HM Mulder |
$300.00 |
|
|
|
Vehicle Crossing Subsidy |
|
|
00065571 |
07/08/2007 |
Timpass Pty Ltd |
$300.00 |
|
|
|
Vehicle Crossing Subsidy |
|
|
00065572 |
07/08/2007 |
N & J Ergic |
$300.00 |
|
|
|
Vehicle Crossing Subsidy |
|
|
00065573 |
07/08/2007 |
K Lien |
$300.00 |
|
|
|
Vehicle Crossing Subsidy |
|
|
00065574 |
07/08/2007 |
Centuryside Corporate |
$240.00 |
|
|
|
1 x Ratepayer Financial Assistance |
|
|
00065575 |
07/08/2007 |
Wanneroo Civic Choir |
$2,500.00 |
|
|
|
Community Development Funding - Wanneroo Civic Choir 25Th Anniversary |
|
|
00065576 |
07/08/2007 |
Century 21 Gold Key Realty |
$260.00 |
|
|
|
1 x Ratepayer Financial Assistance |
|
|
00065577 |
07/08/2007 |
Backyard Blitz |
$570.00 |
|
|
|
Donation - 130 Plants For Backyard Blitz Program |
|
|
00065578 |
07/08/2007 |
Jessica Blackwell |
$200.00 |
|
|
|
Reimbursement Of Small Business Smart Business Voucher |
|
|
00065579 |
07/08/2007 |
Ice Hockey WA |
$400.00 |
|
|
|
Sponsorship Request For Kieran Rybicki & Chris Long To Attend National Ice Hockey Championships In Canberra 6-9 August 2007 |
|
|
00065580 |
07/08/2007 |
School Sport WA |
$200.00 |
|
|
|
Sponsorship Request For Lauren Wenman To Attend National Volleyball Championships In Queensland 25/08-01/09/07 |
|
|
00065581 |
07/08/2007 |
Pearlin Bracewell |
$220.00 |
|
|
|
Reimbursement Of Small Business Smart Business Voucher |
|
|
00065582 |
07/08/2007 |
Cancelled |
|
|
00065583 |
07/08/2007 |
MM Byrne |
$87.90 |
|
|
|
Rates Refund P/N213395 1 Watkins Loop - Due To Strata Title |
|
|
00065584 |
07/08/2007 |
Aboriginal Seniors Group Petty Cash |
$50.00 |
|
|
|
Petty Cash |
|
|
00065585 |
07/08/2007 |
Alexander Heights Adult Day Care Petty Cash |
$90.60 |
|
|
|
Petty Cash |
|
|
00065586 |
07/08/2007 |
Alinta Gas |
$1,541.40 |
|
|
|
1 x Ratepayer Financial Assistance ($134.15) |
|
|
|
|
Gas Supplies For City |
|
|
00065587 |
07/08/2007 |
Amp Flexible Lifetime Super Fund |
$408.97 |
|
|
|
Payroll Deductions F/Ending 27/07/07 |
|
|
00065588 |
07/08/2007 |
Corporate Services Petty Cash |
$226.70 |
|
|
|
Petty Cash |
|
|
00065589 |
07/08/2007 |
Girrawheen Library Petty Cash |
$135.80 |
|
|
|
Petty Cash |
|
|
00065590 |
07/08/2007 |
Alan Green |
$40.00 |
|
|
|
Volunteer Payment - Community Buses |
|
|
00065591 |
07/08/2007 |
Mr E Martin |
$166.64 |
|
|
|
Key Holder - Hainsworth Centre, John Maloney Clubrooms & Park, Koondoola Hall, Parks - Hainsworth, Ferrara, Shelvock, Kingsway, Butterworth, Koondoola |
|
|
00065592 |
07/08/2007 |
Museums Aust National Office - |
$191.40 |
|
|
|
Membership Fees - Heritage Services |
|
|
00065593 |
07/08/2007 |
Quinns Rocks Adult Day Care Petty Cash |
$279.10 |
|
|
|
Petty Cash |
|
|
00065594 |
07/08/2007 |
Alexander Heights Community House Petty Cash |
$45.35 |
|
|
|
Petty Cash |
|
|
00065595 |
07/08/2007 |
Landgate |
$18,353.91 |
|
|
|
Valuation Charges – Rates Services |
|
|
00065596 |
07/08/2007 |
WA Local Govt Superannuation |
$350,278.27 |
|
|
|
Employee Super Contributions |
|
|
00065597 |
07/08/2007 |
Synergy |
$181,845.25 |
|
|
|
1 x Ratepayer Financial Assistance ($145.75) |
|
|
|
|
Power Supplies For City |
|
|
00065598 |
07/08/2007 |
Telstra |
$39.95 |
|
|
|
BigPond ADSL 26/07-25/08/07 |
|
|
00065599 |
07/08/2007 |
Van Thai Nguyen |
$15.00 |
|
|
|
Volunteer Payment - Day Care Centres |
|
|
00065600 |
07/08/2007 |
Pat Dumaresq |
$110.00 |
|
|
|
Volunteer Payment - Podiatry Clinics |
|
|
00065601 |
07/08/2007 |
Mrs J Martin |
$183.32 |
|
|
|
Tennis Booking Officer/Key Holder - Koondoola & Montrose Park Tennis Courts, Alexander Heights Hall Parks – Alexander Heights, Paloma & Highview |
|
|
00065602 |
07/08/2007 |
Planning Institute of Aust |
$180.00 |
|
|
|
Subscription 2007 - R Peake |
|
|
00065603 |
07/08/2007 |
Ms D Hetherington |
$174.98 |
|
|
|
Key Holder/Tennis Booking Officer - Hudson Clubrooms; Courts, Hudson Park, Cabrini Park, Blackmore Park, Liddell Parks, Girrawheen Koondoola Senior Citezens Centre |
|
|
00065604 |
07/08/2007 |
Bernice Duncan |
$60.00 |
|
|
|
Volunteer Payment - Day Care Centre |
|
|
00065605 |
07/08/2007 |
Ruth Butler |
$80.00 |
|
|
|
Volunteer Payment - Day Care Centres |
|
|
00065606 |
07/08/2007 |
Mary Adamson |
$120.00 |
|
|
|
Volunteer Payment - Day Care Centres |
|
|
00065607 |
07/08/2007 |
City of Wanneroo - Rates |
$300.84 |
|
|
|
Rates For Cr Steffens Taken From Travel Allowance Claim |
|
|
|
|
Pn126238 |
|
|
00065608 |
07/08/2007 |
Mr J A Baker |
$62.49 |
|
|
|
Key Holder - Peridot Park & Banksia Grove Community Centre |
|
|
00065609 |
07/08/2007 |
HOSTPLUS Superannuation Fund |
$172.08 |
|
|
|
Employee Super Contributions |
|
|
00065610 |
07/08/2007 |
WESTSCHEME |
$490.86 |
|
|
|
Employee Super Contributions |
|
|
00065611 |
07/08/2007 |
MLC Nominees Pty Limited |
$233.05 |
|
|
|
Employee Super Contributions |
|
|
00065612 |
07/08/2007 |
The Industry Superannuation Fund |
$272.02 |
|
|
|
Employee Super Contributions |
|
|
00065613 |
07/08/2007 |
1OOF Portfolio Service Superannuation |
$140.55 |
|
|
|
Employee Super Contributions |
|
|
00065614 |
07/08/2007 |
Integra Super |
$410.10 |
|
|
|
Employee Super Contributions |
|
|
00065615 |
07/08/2007 |
Catholic Superannuation and Retirement |
$136.00 |
|
|
|
Employee Super Contributions |
|
|
00065616 |
07/08/2007 |
First State Super |
$325.62 |
|
|
|
Employee Super Contributions |
|
|
00065617 |
07/08/2007 |
Omniware Sponsorship Petty Cash |
$285.95 |
|
|
|
Petty Cash |
|
|
00065618 |
07/08/2007 |
MTAA Superannuation Fund |
$331.04 |
|
|
|
Employee Super Contributions |
|
|
00065619 |
07/08/2007 |
Mrs J M Rafferty |
$133.32 |
|
|
|
Keyholder/Tennis Booking Officer - Wanneroo Rec Centre, Wanneroo Show Grounds, Margaret Cockman Pavilion |
|
|
00065620 |
07/08/2007 |
AustralianSuper |
$141.80 |
|
|
|
Employee Super Contributions |
|
|
00065621 |
07/08/2007 |
Mr B A Waddell |
$41.66 |
|
|
|
Key Holder - Carramar Community Centre |
|
|
00065622 |
07/08/2007 |
Alzheimers Australia WA |
$224.00 |
|
|
|
Living With Dementia Conference For Quinns Adult Day Care |
|
|
00065623 |
07/08/2007 |
Bev Manning |
$320.00 |
|
|
|
Exercise Program For Yanchep Community Centre 05/07/07 - 30/07/07 |
|
|
00065624 |
07/08/2007 |
Boston Maintenance Services |
$163.24 |
|
|
|
Hydraulic Filter - Depot Stores |
|
|
00065625 |
07/08/2007 |
Chung Wah Welfare & Community Service |
$550.00 |
|
|
|
Support Services Hacc/Cacp Clients |
|
|
00065626 |
07/08/2007 |
City of Joondalup |
$391.94 |
|
|
|
Cherry Picker Hire - Parks |
|
|
00065627 |
07/08/2007 |
Fines Enforcement Registry |
$2,150.00 |
|
|
|
Lodgement Of 86 Infringement Records With Fines - Ranger Services |
|
|
00065628 |
07/08/2007 |
FOO HUA Chinese Restaurant |
$31.80 |
|
|
|
Catering - Fire Management Meeting |
|
|
00065629 |
07/08/2007 |
KFC - Head Office |
$86.40 |
|
|
|
Catering For 4X4 Training - Emergency Services |
|
|
00065630 |
07/08/2007 |
Kott Gunning Lawyers |
$436.70 |
|
|
|
Professional Fees: Accessible & Inclusive Playground - Governance |
|
|
00065631 |
07/08/2007 |
Mindarie Regional Council |
$88,067.42 |
|
|
|
Refuse Disposal For City |
|
|
00065632 |
07/08/2007 |
Non Organic Disposals |
$5,636.40 |
|
|
|
Tipping Fees - Infrastructure |
|
|
00065633 |
07/08/2007 |
Northern Suburbs Bailiff |
$351.80 |
|
|
|
Legal Fees - Rating Services |
|
|
00065634 |
07/08/2007 |
Oxford Uniforms |
$290.40 |
|
|
|
Mag Light Torches - Ranger Services |
|
|
00065635 |
07/08/2007 |
Peter's Bus Charters |
$660.00 |
|
|
|
Bus Hire For Community Services |
|
|
00065636 |
07/08/2007 |
Ron Mack Machinery Sales |
$247.50 |
|
|
|
Repair Dimension Saw - Building Maintenance |
|
|
00065637 |
07/08/2007 |
Whiteman Park |
$40.00 |
|
|
|
School Holiday Program - Community Services |
|
|
00065638 |
07/08/2007 |
Youth Affairs Council of WA |
$275.00 |
|
|
|
Yacwa Organisational Membership Renewal - Youth Services |
|
|
00065639 |
14/08/2007 |
Hot Cotton |
$396.00 |
|
|
|
Uniforms - Hospitality Services |
|
|
00065640 |
14/08/2007 |
R Dower |
$300.00 |
|
|
|
Vehicle Crossing Subsidy |
|
|
00065641 |
14/08/2007 |
Collier Homes Pty Ltd |
$300.00 |
|
|
|
Vehicle Crossing Subsidy |
|
|
00065642 |
14/08/2007 |
D & SR Fitz-Gerald |
$300.00 |
|
|
|
Vehicle Crossing Subsidy |
|
|
00065643 |
14/08/2007 |
SD Nicholson & CL Nicholson-Green |
$300.00 |
|
|
|
Vehicle Crossing Subsidy |
|
|
00065644 |
14/08/2007 |
Martin Dickhart & Associates |
$300.00 |
|
|
|
1 x Ratepayer Financial Assistance |
|
|
00065645 |
14/08/2007 |
MMG Australia |
$340.00 |
|
|
|
Bond Refund |
|
|
00065646 |
14/08/2007 |
Brigitte Thaheh |
$340.00 |
|
|
|
Bond Refund |
|
|
00065647 |
14/08/2007 |
Vlade Miladinoski |
$1,060.00 |
|
|
|
Bond Refund |
|
|
00065648 |
14/08/2007 |
Nulook Homes Pty Ltd |
$678.50 |
|
|
|
Refund Of Development Application - Cancelled |
|
|
00065649 |
14/08/2007 |
Yanchep Two Rocks RSL Sub Branch |
$2,000.00 |
|
|
|
Community Event Sponsorship For Vietnam Veterans’ Day & Remembrance Day 07 |
|
|
00065650 |
14/08/2007 |
Sandra Vinciguerra |
$565.00 |
|
|
|
Bond Refund |
|
|
00065651 |
14/08/2007 |
NG Ray & LM Highett |
$300.00 |
|
|
|
Vehicle Crossing Subsidy |
|
|
00065652 |
14/08/2007 |
JH & PM Groenewald |
$300.00 |
|
|
|
Vehicle Crossing Subsidy |
|
|
00065653 |
14/08/2007 |
John Bloomfield Real Estate |
$300.00 |
|
|
|
Vehicle Crossing Subsidy |
|
|
00065654 |
14/08/2007 |
Toni Ann Kerr |
$300.00 |
|
|
|
Vehicle Crossing Subsidy |
|
|
00065655 |
14/08/2007 |
M & KA Douglas |
$300.00 |
|
|
|
Vehicle Crossing Subsidy |
|
|
00065656 |
14/08/2007 |
Tracy Henderson |
$225.00 |
|
|
|
Vehicle Crossing Subsidy |
|
|
00065657 |
14/08/2007 |
Mammoth Investments Pty Ltd |
$37,774.69 |
|
|
|
Subdivision Bond Refund Ashby Rise Stage 2A & 2B |
|
|
00065658 |
14/08/2007 |
Maya Azdajic |
$340.00 |
|
|
|
Bond Refund |
|
|
00065659 |
14/08/2007 |
BC Ward |
$300.00 |
|
|
|
Vehicle Crossing Subsidy |
|
|
00065660 |
14/08/2007 |
PM & RB New |
$300.00 |
|
|
|
Vehicle Crossing Subsidy |
|
|
00065661 |
14/08/2007 |
AH Teav |
$300.00 |
|
|
|
Vehicle Crossing Subsidy |
|
|
00065662 |
14/08/2007 |
J Douglas |
$300.00 |
|
|
|
Vehicle Crossing Subsidy |
|
|
00065663 |
14/08/2007 |
J & S Digby |
$300.00 |
|
|
|
Vehicle Crossing Subsidy |
|
|
00065664 |
14/08/2007 |
S Beswick & C Mitchell |
$30.00 |
|
|
|
Refund For Invalid Freedom Of Information Application |
|
|
00065665 |
14/08/2007 |
DA King & CR Taran |
$16.54 |
|
|
|
Rates Refund P/N201540 29 Kilborne Avenue - Overpayment |
|
|
00065666 |
14/08/2007 |
B Prier |
$40.00 |
|
|
|
Reimbursement Of Building Plans - Incorrect Plans Sent |
|
|
00065667 |
14/08/2007 |
KL Bryne |
$87.91 |
|
|
|
Rates Refund P/N213395 Watkins Loop - Strata Title |
|
|
00065668 |
14/08/2007 |
Aboriginal Seniors Group Petty Cash |
$50.00 |
|
|
|
Petty Cash |
|
|
00065669 |
14/08/2007 |
Alexander Heights Adult Day Care Petty Cash |
$78.60 |
|
|
|
Petty Cash |
|
|
00065670 |
14/08/2007 |
Alinta Gas |
$1,849.96 |
|
|
|
1 x Ratepayer Financial Assistance ($150.00) |
|
|
|
|
Gas Supplies For City |
|
|
00065671 |
14/08/2007 |
Building & Construction Industry |
$65,395.96 |
|
|
|
Building & Construction Levy 16/07/07-31/07/07 |
|
|
00065672 |
14/08/2007 |
Clarkson Youth Centre Petty Cash |
$159.10 |
|
|
|
Petty Cash |
|
|
00065673 |
14/08/2007 |
Corporate Services Petty Cash |
$306.70 |
|
|
|
Petty Cash |
|
|
00065674 |
14/08/2007 |
Girrawheen Library Petty Cash |
$123.10 |
|
|
|
Petty Cash |
|
|
00065675 |
14/08/2007 |
Heritage Officer Petty Cash |
$67.35 |
|
|
|
Petty Cash |
|
|
00065676 |
14/08/2007 |
Michael Hayes |
$40.00 |
|
|
|
Key Holder - Cockman House |
|
|
00065677 |
14/08/2007 |
Quinns Rocks Adult Day Care Petty Cash |
$260.40 |
|
|
|
Petty Cash |
|
|
00065678 |
14/08/2007 |
Alexander Heights Community House P |
$73.40 |
|
|
|
Petty Cash |
|
|
00065679 |
14/08/2007 |
Landgate |
$7,132.78 |
|
|
|
Valuations - Rating Services |
|
|
00065680 |
14/08/2007 |
Wanneroo Youth Centre Petty Cash |
$119.70 |
|
|
|
Petty Cash |
|
|
00065681 |
14/08/2007 |
Water Corporation |
$2,825.60 |
|
|
|
Water Supplies & Hydrant Standpipe Hire For City |
|
|
00065682 |
14/08/2007 |
Yanchep Community House Petty Cash |
$57.80 |
|
|
|
Petty Cash |
|
|
00065683 |
14/08/2007 |
Yanchep Two Rocks Library Petty Cash |
$29.20 |
|
|
|
Petty Cash |
|
|
00065684 |
14/08/2007 |
Zurich Client Service |
$235.38 |
|
|
|
Payroll Ded: F/Ending 10/08/07 |
|
|
00065685 |
14/08/2007 |
City of Wanneroo - Payroll Rates |
$1,905.00 |
|
|
|
Payroll Ded: F/Ending 10/08/07 |
|
|
00065686 |
14/08/2007 |
Cancelled |
|
|
00065687 |
14/08/2007 |
Synergy |
$6,108.85 |
|
|
|
Power Supplies For City |
|
|
|
|
2 x Ratepayer Financial Assistance ($300.00) |
|
|
00065688 |
14/08/2007 |
Telstra |
$152.92 |
|
|
|
1 x Ratepayer Financial Assistance ($82.97) |
|
|
|
|
BigPond ADSL 05/08/07-04/09/07 |
|
|
00065689 |
14/08/2007 |
Farley Campbell |
$60.00 |
|
|
|
Bus Driving Services-6/10/07 - Cultural Development |
|
|
00065690 |
14/08/2007 |
Clarkson Library Petty Cash |
$231.70 |
|
|
|
Petty Cash |
|
|
00065691 |
14/08/2007 |
Western Power |
$189,941.95 |
|
|
|
Power To Taywood Drive Wanneroo ($250.00) |
|
|
|
|
Relocate WP Services - Ocean Drive ($185,799.95) |
|
|
|
|
Relocate Strainer Pole - Neaves Road ($3,892.00) |
|
|
00065692 |
14/08/2007 |
Dept For Planning And Infrastructure |
$631.30 |
|
|
|
Vehicle Owner Searches For Apr-June07 - Ranger Services |
|
|
00065693 |
14/08/2007 |
Print Error |
|
|
00065694 |
14/08/2007 |
Print Error |
|
|
00065695 |
14/08/2007 |
Print Error |
|
|
00065696 |
14/08/2007 |
Print Error |
|
|
00065697 |
14/08/2007 |
Print Error |
|
|
00065698 |
14/08/2007 |
Print Error |
|
|
00065699 |
14/08/2007 |
Print Error |
|
|
00065700 |
14/08/2007 |
Print Error |
|
|
00065701 |
14/08/2007 |
Print Error |
|
|
00065702 |
14/08/2007 |
Print Error |
|
|
00065703 |
14/08/2007 |
Print Error |
|
|
00065704 |
14/08/2007 |
Print Error |
|
|
00065705 |
14/08/2007 |
Print Error |
|
|
00065706 |
14/08/2007 |
Print Error |
|
|
00065707 |
14/08/2007 |
Print Error |
|
|
00065708 |
14/08/2007 |
Print Error |
|
|
00065709 |
14/08/2007 |
Print Error |
|
|
00065710 |
14/08/2007 |
Print Error |
|
|
00065711 |
14/08/2007 |
Print Error |
|
|
00065712 |
14/08/2007 |
Print Error |
|
|
00065713 |
14/08/2007 |
Print Error |
|
|
00065714 |
14/08/2007 |
Print Error |
|
|
00065715 |
14/08/2007 |
Print Error |
|
|
00065716 |
14/08/2007 |
Print Error |
|
|
00065717 |
14/08/2007 |
Adelphi Tailoring Company |
$202.40 |
|
|
|
Staff Uniforms For C Boyd - Ranger Services |
|
|
00065718 |
14/08/2007 |
Aisat Instruments Pty Ltd |
$26.42 |
|
|
|
Parts - Fleet Maintenance |
|
|
00065719 |
14/08/2007 |
Allstar Recruitment Solutions |
$3,432.00 |
|
|
|
Purchasing Officer - Y James |
|
|
00065720 |
14/08/2007 |
Balcatta Veterinary Hospital |
$455.48 |
|
|
|
Euthanasia - 1 Dog And Medical Costs - Ranger Services |
|
|
00065721 |
14/08/2007 |
Bosnar Engineering Pty Ltd |
$495.00 |
|
|
|
Spare Parts - Fleet Maintenance |
|
|
00065722 |
14/08/2007 |
C & EM Harmer |
$330.00 |
|
|
|
Newspapers/Periodicals – Mayor’s Office |
|
|
00065723 |
14/08/2007 |
Chris O'Neill & Assoc |
$6,534.00 |
|
|
|
Consultation - St Andrews District Structure Plan |
|
|
00065724 |
14/08/2007 |
City of Joondalup |
$113.00 |
|
|
|
Fines Enforcement Register Payments - Ranger Services |
|
|
00065725 |
14/08/2007 |
Clinipath Pathology |
$60.00 |
|
|
|
Medical Fees – Human Resources |
|
|
00065726 |
14/08/2007 |
Concrete Institute of Australia |
$220.00 |
|
|
|
Registration For B Sadowski |
|
|
00065727 |
14/08/2007 |
Consult Occupational Health |
$737.00 |
|
|
|
Medical Assessment - Human Resources |
|
|
00065728 |
14/08/2007 |
DVG Wanneroo Mitsubishi |
$60.98 |
|
|
|
Vehicle Spare Parts - Fleet Maintenance |
|
|
00065729 |
14/08/2007 |
Edgewater Veterinary Hospital |
$314.15 |
|
|
|
Euthanasia X 12 Dogs – Rangers Services |
|
|
00065730 |
14/08/2007 |
Family Day Care Schemes Of WA |
$1,125.00 |
|
|
|
Child Care Conference - 24-26/08/07 – Attendees D Stepini, Karen-Dales Anderson & C Davies |
|
|
00065731 |
14/08/2007 |
Instant Products |
$6,393.64 |
|
|
|
Communications Shelter At Yanchep – IT Services |
|
|
00065732 |
14/08/2007 |
JB Precise Engineering |
$3,821.40 |
|
|
|
Vehicle Spare Parts - Fleet Maintenance |
|
|
00065733 |
14/08/2007 |
Joondalup Music Centre |
$169.00 |
|
|
|
Music Equipment - Youth Services |
|
|
00065734 |
14/08/2007 |
Justin D'Ath |
$1,290.80 |
|
|
|
Guest Author For Children’s Book Week - Library Services |
|
|
00065735 |
14/08/2007 |
Lamson Concept Ltd |
$154.00 |
|
|
|
Service Library Mailer Machine |
|
|
00065736 |
14/08/2007 |
Learning Centre Link |
$75.00 |
|
|
|
Annual Membership 01/09-31/08/08 - Yanchep Community Centre |
|
|
00065737 |
14/08/2007 |
Liliana Stafford |
$1,500.00 |
|
|
|
Author Talks For Library Services |
|
|
00065738 |
14/08/2007 |
McNaughtans Pty Ltd |
$128.15 |
|
|
|
Parts - Fleet Maintenance |
|
|
00065739 |
14/08/2007 |
Patch Theatre |
$1,155.00 |
|
|
|
Children’s Book Week 2007 |
|
|
00065740 |
14/08/2007 |
Water & Rivers Commission |
$200.00 |
|
|
|
Licence To Drill New Well - Parks |
|
|
00065741 |
14/08/2007 |
Wildflower Society of WA |
$41.00 |
|
|
|
Subscriptions - Infrastructure Maintenance |
|
|
00065742 |
15/08/2007 |
Councillor F Cvitan |
$583.33 |
|
|
|
Monthly Allowance |
|
|
00065743 |
15/08/2007 |
Cr Dorothy Newton |
$500.00 |
|
|
|
Monthly Allowance |
|
|
00065744 |
15/08/2007 |
Councillor J Stewart |
$583.33 |
|
|
|
Monthly Allowance |
|
|
00065745 |
15/08/2007 |
City of Wanneroo - Payroll Rates |
$83.33 |
|
|
|
Rates For Cr Newton |
|
|
00065746 |
15/08/2007 |
Councillor Colin Hughes |
$583.33 |
|
|
|
Monthly Allowance |
|
|
00065747 |
21/08/2007 |
Marta Mitias |
$565.00 |
|
|
|
Bond Refund |
|
|
00065748 |
21/08/2007 |
Judith Sims |
$319.50 |
|
|
|
Bond Refund |
|
|
00065749 |
21/08/2007 |
Anita O'Brien |
$340.00 |
|
|
|
Bond Refund |
|
|
00065750 |
21/08/2007 |
Tracy Webley |
$340.00 |
|
|
|
Bond Refund |
|
|
00065751 |
21/08/2007 |
Yanchep Districts Junior Football Club |
$340.00 |
|
|
|
Bond Refund |
|
|
00065752 |
21/08/2007 |
Kazim Ismailzai |
$340.00 |
|
|
|
Bond Refund |
|
|
00065753 |
21/08/2007 |
Shuhari Karate |
$340.00 |
|
|
|
Bond Refund |
|
|
00065754 |
21/08/2007 |
Gary Hempsall |
$532.50 |
|
|
|
Bond Refund |
|
|
00065755 |
21/08/2007 |
Sandra Markovic |
$340.00 |
|
|
|
Bond Refund |
|
|
00065756 |
21/08/2007 |
J Corp T/As Perceptions |
$659.45 |
|
|
|
Refund Of Development Application Fee 25 Tullamore Drv Darch - Withdrawn |
|
|
00065757 |
21/08/2007 |
Country Women's Association |
$92.00 |
|
|
|
Hire Fee Refund - Phil Renkin Function Room |
|
|
00065758 |
21/08/2007 |
School Sport WA |
$200.00 |
|
|
|
Sponsorship For D Holmes National Football Championships In Darwin 11-18 August 07 |
|
|
00065759 |
21/08/2007 |
Wanneroo Wolves Basketball Assoc. |
$600.00 |
|
|
|
Sponsorship To Canberra 1-7 Oct 07 For S Budd,J Cuperus, C Raftery & L Hodgson |
|
|
00065760 |
21/08/2007 |
Roller Sports Association of WA |
$600.00 |
|
|
|
Sponsorship To Qld 23-28 September 07 For A Skelton, D Stojanoviv, D Donnelly & Z Cuncliffe |
|
|
00065761 |
21/08/2007 |
Perth Modern School |
$500.00 |
|
|
|
Sponsorship For Italian Language & Cultural Tour In Italy 21 Sept To 14 Oct 07 |
|
|
00065762 |
21/08/2007 |
Skate Australia WA |
$500.00 |
|
|
|
Sponsorship To World Championships In Qld 27/10/07 - 10/11/07 |
|
|
00065763 |
21/08/2007 |
Roller Sports Association of WA |
$200.00 |
|
|
|
Sponsorship For Nathan Cunliffe In Qld - 23-28 Sept 07 |
|
|
00065764 |
21/08/2007 |
School Sports WA |
$600.00 |
|
|
|
Sponsorship For Perry Lakes 31 Aug 07 - 03 Sept 07 |
|
|
00065765 |
21/08/2007 |
Merriwa Primary School |
$1,320.00 |
|
|
|
Community Funding Oct 06 - Community Quilt Project |
|
|
00065766 |
21/08/2007 |
D J Leeming |
$300.00 |
|
|
|
Vehicle Crossing Subsidy |
|
|
00065767 |
21/08/2007 |
JLJ & RAL Nash |
$300.00 |
|
|
|
Vehicle Crossing Subsidy |
|
|
00065768 |
21/08/2007 |
D Watts |
$300.00 |
|
|
|
Vehicle Crossing Subsidy |
|
|
00065769 |
21/08/2007 |
LP Crichton |
$300.00 |
|
|
|
Vehicle Crossing Subsidy |
|
|
00065770 |
21/08/2007 |
KAK McMenemy |
$300.00 |
|
|
|
Vehicle Crossing Subsidy |
|
|
00065771 |
21/08/2007 |
R Abrams |
$10.00 |
|
|
|
Swim School Refund Term 2 For K Abrahams |
|
|
00065772 |
21/08/2007 |
R Tassone |
$10.00 |
|
|
|
Swim School Refund Term 2 For S Tassone |
|
|
00065773 |
21/08/2007 |
S Garnaut |
$10.00 |
|
|
|
Swim School Refund Term 2 For K Garnaut |
|
|
00065774 |
21/08/2007 |
S Northorpe |
$20.00 |
|
|
|
Swim School Refund Term 2 For C&H Northorpe |
|
|
00065775 |
21/08/2007 |
G Gauntlett |
$8.50 |
|
|
|
Swim School Refund Term 2 For B Gauntlett |
|
|
00065776 |
21/08/2007 |
K Todd |
$30.00 |
|
|
|
Swim School Refund Term 2 For K,K&G Todd |
|
|
00065777 |
21/08/2007 |
S Hunter |
$20.00 |
|
|
|
Swim School Refund Term 2 For G Hunter |
|
|
00065778 |
21/08/2007 |
Phuong Phung |
$18.50 |
|
|
|
Swim School Refund Term 2 For P Phung & K Dang |
|
|
00065779 |
21/08/2007 |
M Bailey |
$58.50 |
|
|
|
Swim School Refund Term 2 For C&L Bailey |
|
|
00065780 |
21/08/2007 |
L Palmer |
$10.00 |
|
|
|
Swim School Refund Term 2 For J Palmer |
|
|
00065781 |
21/08/2007 |
C Ince |
$20.00 |
|
|
|
Swim School Refund Term 2 For T&T Ince |
|
|
00065782 |
21/08/2007 |
L Tassone |
$80.00 |
|
|
|
Swim School Refund Term 2 For E&E Tassone |
|
|
00065783 |
21/08/2007 |
S Truong |
$40.00 |
|
|
|
Swim School Refund Term 2 For H,T&J Ta |
|
|
00065784 |
21/08/2007 |
M Checkfield |
$10.00 |
|
|
|
Swim School Refund Term 2 For C Papadopoulos |
|
|
00065785 |
21/08/2007 |
K Willis |
$20.00 |
|
|
|
Swim School Refund Term 2 For G Willis |
|
|
00065786 |
21/08/2007 |
H Donoghue |
$10.00 |
|
|
|
Swim School Refund Term 2 For L Donoghue |
|
|
00065787 |
21/08/2007 |
B Van Elven |
$10.00 |
|
|
|
Swim School Refund Term 2 For B Van Elven |
|
|
00065788 |
21/08/2007 |
K Reeves |
$10.00 |
|
|
|
Swim School Refund Term 2 For B Reeves |
|
|
00065789 |
21/08/2007 |
C Lynch |
$10.00 |
|
|
|
Swim School Refund Term 2 For C Lynch |
|
|
00065790 |
21/08/2007 |
B Batarseh |
$8.50 |
|
|
|
Swim School Refund Term 2 For T Batarseh |
|
|
00065791 |
21/08/2007 |
R Plumb |
$10.00 |
|
|
|
Swim School Refund Term 2 For E Plumb |
|
|
00065792 |
21/08/2007 |
F Reader |
$8.50 |
|
|
|
Swim School Refund Term 2 For Lm Smith |
|
|
00065793 |
21/08/2007 |
S Kendal |
$25.50 |
|
|
|
Swim School Refund Term 2 For C Kendal |
|
|
00065794 |
21/08/2007 |
T Tassone |
$10.00 |
|
|
|
Swim School Refund Term 2 For K Tassone |
|
|
00065795 |
21/08/2007 |
B Bryant |
$17.00 |
|
|
|
Swim School Refund Term 2 For H Bryant |
|
|
00065796 |
21/08/2007 |
R Snook |
$55.50 |
|
|
|
Swim School Refund Term 2 For K Snook |
|
|
00065797 |
21/08/2007 |
D Creusot |
$10.00 |
|
|
|
Swim School Refund Term 2 For C Creusot |
|
|
00065798 |
21/08/2007 |
B Eckl |
$30.00 |
|
|
|
Swim School Refund Term 2 For T,D&S Eckl |
|
|
00065799 |
21/08/2007 |
J Orge |
$10.00 |
|
|
|
Swim School Refund Term 2 For O Orge |
|
|
00065800 |
21/08/2007 |
S McMullen |
$10.00 |
|
|
|
Swim School Refund Term 2 For S Mcmullen |
|
|
00065801 |
21/08/2007 |
D Njirich |
$20.00 |
|
|
|
Swim School Refund Term 2 For A&K Njirich |
|
|
00065802 |
21/08/2007 |
J Barnett |
$10.00 |
|
|
|
Swim School Refund Term 2 For M Barnett |
|
|
00065803 |
21/08/2007 |
R Stevens |
$30.00 |
|
|
|
Swim School Refund Term 2 For D Stevens |
|
|
00065804 |
21/08/2007 |
C Drew |
$28.00 |
|
|
|
Swim School Refund Term 2 For H Drew |
|
|
00065805 |
21/08/2007 |
L Grimshaw |
$10.00 |
|
|
|
Swim School Refund Term 2 For T Grimshaw |
|
|
00065806 |
21/08/2007 |
A Wyer |
$51.00 |
|
|
|
Swim School Refund Term 2 For K Wyer |
|
|
00065807 |
21/08/2007 |
J Baxter |
$10.00 |
|
|
|
Swim School Refund Term 2 For J Warner |
|
|
00065808 |
21/08/2007 |
K Laurendi |
$18.50 |
|
|
|
Swim School Refund Term 2 For M Laurendi |
|
|
00065809 |
21/08/2007 |
T Wynne |
$17.00 |
|
|
|
Swim School Refund Term 2 For C&P Wynne |
|
|
00065810 |
21/08/2007 |
T Gaulard |
$8.50 |
|
|
|
Swim School Refund Term 2 For J Gaulard |
|
|
00065811 |
21/08/2007 |
R Dell |
$10.00 |
|
|
|
Swim School Refund Term 2 For S Dell |
|
|
00065812 |
21/08/2007 |
G Lewis |
$20.00 |
|
|
|
Swim School Refund Term 2 For B&J Lewis |
|
|
00065813 |
21/08/2007 |
M O'Connor |
$17.00 |
|
|
|
Swim School Refund Term 2 For J O'Connor |
|
|
00065814 |
21/08/2007 |
R Christie |
$8.50 |
|
|
|
Swim School Refund Term 2 For J Christie |
|
|
00065815 |
21/08/2007 |
S Guy |
$10.00 |
|
|
|
Swim School Refund Term 2 For M Barker |
|
|
00065816 |
21/08/2007 |
G Vrbasso |
$10.00 |
|
|
|
Swim School Refund Term 2 For G Vrbasso |
|
|
00065817 |
21/08/2007 |
A Diaze |
$10.00 |
|
|
|
Swim School Refund Term 2 For A Diaze |
|
|
00065818 |
21/08/2007 |
A Ryan |
$20.00 |
|
|
|
Swim School Refund Term 2 For A&A Ryan |
|
|
00065819 |
21/08/2007 |
C McPhee |
$10.00 |
|
|
|
Swim School Refund Term 2 For L Mcphee |
|
|
00065820 |
21/08/2007 |
A Vale |
$20.00 |
|
|
|
Swim School Refund Term 2 For C Vale |
|
|
00065821 |
21/08/2007 |
J Moscardini |
$10.00 |
|
|
|
Swim School Refund Term 2 For L Moscardini |
|
|
00065822 |
21/08/2007 |
R Bilchuris |
$55.50 |
|
|
|
Swim School Refund Term 2 For J Bilchuris |
|
|
00065823 |
21/08/2007 |
J Forde |
$20.00 |
|
|
|
Swim School Refund Term 2 For J&C Forde |
|
|
00065824 |
21/08/2007 |
R Sealey |
$18.50 |
|
|
|
Swim School Refund Term 2 For T Pesce |
|
|
00065825 |
21/08/2007 |
S Jenn |
$10.00 |
|
|
|
Swim School Refund Term 2 For R Turn |
|
|
00065826 |
21/08/2007 |
L Miles |
$20.00 |
|
|
|
Swim School Refund Term 2 For E&J Miles |
|
|
00065827 |
21/08/2007 |
S Ecclestone |
$10.00 |
|
|
|
Swim School Refund Term 2 For L Ecclestone |
|
|
00065828 |
21/08/2007 |
G Antonucci |
$10.00 |
|
|
|
Swim School Refund Term 2 For N Antonucci |
|
|
00065829 |
21/08/2007 |
S Rowe |
$20.00 |
|
|
|
Swim School Refund Term 2 For J&J Rowe |
|
|
00065830 |
21/08/2007 |
J Bowyer |
$10.00 |
|
|
|
Swim School Refund Term 2 For J Eliot |
|
|
00065831 |
21/08/2007 |
D Matthews |
$20.00 |
|
|
|
Swim School Refund Term 2 For A&S Matthews |
|
|
00065832 |
21/08/2007 |
P Muirden |
$20.00 |
|
|
|
Swim School Refund Term 2 For K&A Muirden |
|
|
00065833 |
21/08/2007 |
F Shreeve |
$40.00 |
|
|
|
Swim School Refund Term 2 For C Shreeve & T Taylor-Shreeve |
|
|
00065834 |
21/08/2007 |
S Alaga |
$10.00 |
|
|
|
Swim School Refund Term 2 For C Alaga |
|
|
00065835 |
21/08/2007 |
D Gee |
$20.00 |
|
|
|
Swim School Refund Term 2 For N&C Gee |
|
|
00065836 |
21/08/2007 |
L Zoccoli |
$30.00 |
|
|
|
Swim School Refund Term 2 For B Zoccoli |
|
|
00065837 |
21/08/2007 |
O Bolt |
$20.00 |
|
|
|
Swim School Refund Term 2 For C Bolt |
|
|
00065838 |
21/08/2007 |
P Stein |
$40.00 |
|
|
|
Swim School Refund Term 2 For N&M Stein |
|
|
00065839 |
21/08/2007 |
G Piggott |
$10.00 |
|
|
|
Swim School Refund Term 2 For R Piggott |
|
|
00065840 |
21/08/2007 |
M Kuzilni |
$20.00 |
|
|
|
Swim School Refund Term 2 For J Kuzilni |
|
|
00065841 |
21/08/2007 |
G Murphy |
$30.00 |
|
|
|
Swim School Refund Term 2 For M Murphy |
|
|
00065842 |
21/08/2007 |
L Carter |
$10.00 |
|
|
|
Swim School Refund Term 2 For D Carter |
|
|
00065843 |
21/08/2007 |
R Andrews |
$20.00 |
|
|
|
Swim School Refund Term 2 For B&B Andrews |
|
|
00065844 |
21/08/2007 |
Natalie Martucci |
$20.00 |
|
|
|
Swim School Refund Term 2 For B&S Martucci |
|
|
00065845 |
21/08/2007 |
I Carlisle |
$20.00 |
|
|
|
Swim School Refund Term 2 For S&K Martucci |
|
|
00065846 |
21/08/2007 |
M Miller |
$20.00 |
|
|
|
Swim School Refund Term 2 For N&J Miller |
|
|
00065847 |
21/08/2007 |
M McGrath |
$30.00 |
|
|
|
Swim School Refund Term 2 For M,T&S McGrath |
|
|
00065848 |
21/08/2007 |
G Phillips |
$10.00 |
|
|
|
Swim School Refund Term 2 For C Phillips |
|
|
00065849 |
21/08/2007 |
L Tegjeu |
$30.00 |
|
|
|
Swim School Refund Term 2 For C,B&J Tegjeu |
|
|
00065850 |
21/08/2007 |
J Lovely |
$10.00 |
|
|
|
Swim School Refund Term 2 For A Lovely |
|
|
00065851 |
21/08/2007 |
K Henson |
$74.00 |
|
|
|
Swim School Refund Term 2 For B Henson |
|
|
00065852 |
21/08/2007 |
M Crooks |
$10.00 |
|
|
|
Swim School Refund Term 2 For C Crooks |
|
|
00065853 |
21/08/2007 |
A D'Alfonso |
$10.00 |
|
|
|
Swim School Refund Term 2 For C D'Alfonso |
|
|
00065854 |
21/08/2007 |
L Mulrennan |
$20.00 |
|
|
|
Swim School Refund Term 2 For B Mulrennan |
|
|
00065855 |
21/08/2007 |
A Ferguson |
$28.50 |
|
|
|
Swim School Refund Term 2 For H&E Ferguson |
|
|
00065856 |
21/08/2007 |
S Jennings |
$30.00 |
|
|
|
Swim School Refund Term 2 For A,H&E Jennings |
|
|
00065857 |
21/08/2007 |
L Filippou |
$18.50 |
|
|
|
Swim School Refund Term 2 For M Filippou |
|
|
00065858 |
21/08/2007 |
N Torrens |
$10.00 |
|
|
|
Swim School Refund Term 2 For B Torrens |
|
|
00065859 |
21/08/2007 |
J Goodwin |
$10.00 |
|
|
|
Swim School Refund Term 2 For A Goodwin |
|
|
00065860 |
21/08/2007 |
Joanne Dowen |
$220.00 |
|
|
|
Reimbursement Of Small Business Smart Business Voucher |
|
|
00065861 |
21/08/2007 |
J Shore |
$200.00 |
|
|
|
Reimbursement Of Small Business Smart Business Voucher |
|
|
00065862 |
21/08/2007 |
Wayne D Harris |
$2,060.88 |
|
|
|
Rates Refund P/N183015 4 Nador Lane - Overpaid In Error |
|
|
00065863 |
21/08/2007 |
Travis Brian Marriott |
$300.00 |
|
|
|
Vehicle Crossing Subsidy |
|
|
00065864 |
21/08/2007 |
Lilyana & Trajce Trajanoski |
$300.00 |
|
|
|
Vehicle Crossing Subsidy |
|
|
00065865 |
21/08/2007 |
Silvia Maria Foti |
$300.00 |
|
|
|
Vehicle Crossing Subsidy |
|
|
00065866 |
21/08/2007 |
Brett Anthony O'Dea |
$300.00 |
|
|
|
Vehicle Crossing Subsidy |
|
|
00065867 |
21/08/2007 |
Aboriginal Seniors Group Petty Cash |
$50.00 |
|
|
|
Petty Cash |
|
|
00065868 |
21/08/2007 |
Alexander Heights Adult Day Care Petty Cash |
$62.30 |
|
|
|
Petty Cash |
|
|
00065869 |
21/08/2007 |
Alinta Gas |
$247.25 |
|
|
|
2 x Ratepayer Financial Assistance |
|
|
00065870 |
21/08/2007 |
Corporate Services Petty Cash |
$241.45 |
|
|
|
Petty Cash |
|
|
00065871 |
21/08/2007 |
Hainsworth Community Centre Petty Cash |
$157.10 |
|
|
|
Petty Cash |
|
|
00065872 |
21/08/2007 |
Mr E Martin |
$166.64 |
|
|
|
Key Holder - Kingsway, Butterworth, Koondoola, Hainsworth, Ferrara, Shelvock& John Moloney Parks. Koondoola Hall, John Moloney Clubrooms & Hainsworth Centre |
|
|
00065873 |
21/08/2007 |
Quinns Rocks Adult Day Care Petty Cash |
$258.80 |
|
|
|
Petty Cash |
|
|
00065874 |
21/08/2007 |
Alexander Heights Community House Petty Cash |
$31.75 |
|
|
|
Petty Cash |
|
|
00065875 |
21/08/2007 |
Wanneroo Library Petty Cash |
$141.90 |
|
|
|
Petty Cash |
|
|
00065876 |
21/08/2007 |
Water Corporation |
$6,834.50 |
|
|
|
Water Supply For City |
|
|
00065877 |
21/08/2007 |
Yanchep Community House Petty Cash |
$105.15 |
|
|
|
Petty Cash |
|
|
00065878 |
21/08/2007 |
Synergy |
$10,514.95 |
|
|
|
Power Supplies For City |
|
|
|
|
1 x Ratepayer Financial Assistance ($172.85) |
|
|
00065879 |
21/08/2007 |
Mrs J Martin |
$183.32 |
|
|
|
Tennis Booking/Key Holder - Koondoola & Montrose Park, Tennis Courts Alexander Heights Hall Paloma, Highview & Alexander Heights Parks |
|
|
00065880 |
21/08/2007 |
Ms D Hetherington |
$174.98 |
|
|
|
Tennis Booking/Key Holder - Hudson Clubrooms, Park & Courts & Cabrini, Blackmore & Liddell Parks Girrawheen Koondoola Senior Citizens Centre |
|
|
00065881 |
21/08/2007 |
Zurich Aust Insurance Ltd |
$500.00 |
|
|
|
Excess Insurance For WN31876 |
|
|
00065882 |
21/08/2007 |
Mr J A Baker |
$62.49 |
|
|
|
Key Holder - Peridot Park, Banksia Grove Community Centre |
|
|
00065883 |
21/08/2007 |
Mrs J M Rafferty |
$133.32 |
|
|
|
Tennis Booking/Key Holder - Wanneroo Recreation Centre Showgrounds & Tennis Courts Margaret Cockman Pavilion |
|
|
00065884 |
21/08/2007 |
Wanneroo Adult Day Centre Petty Cash |
$50.70 |
|
|
|
Petty Cash |
|
|
00065885 |
21/08/2007 |
Mr B A Waddell |
$41.66 |
|
|
|
Key Holder - Carramar Community Centre |
|
|
00065886 |
21/08/2007 |
Access Unlimited International Pty |
$1,161.60 |
|
|
|
Climbing Equipment - Building Maintenance |
|
|
00065887 |
21/08/2007 |
AMF Bowling Centres |
$854.00 |
|
|
|
Gold Bowling Program - Leisure Services |
|
|
00065888 |
21/08/2007 |
Applied Instrument Company Pty Ltd |
$165.00 |
|
|
|
Install Tripmeter To Ford Ranger - Infrastructure Planning |
|
|
00065889 |
21/08/2007 |
Australbricks |
$1,252.33 |
|
|
|
Pavers Delivered - Engineering Construction |
|
|
00065890 |
21/08/2007 |
Big Rock Toyota |
$53,773.05 |
|
|
|
New Vehicle Purchase WN32526 Toyota Prado Wagon |
|
|
00065891 |
21/08/2007 |
C & EM Harmer |
$26.40 |
|
|
|
Newspapers/Periodicals - Office Of CEO |
|
|
00065892 |
21/08/2007 |
Chung Wahl Welfare & Community Services |
$600.00 |
|
|
|
Support Services Hacc/Cacp Clients |
|
|
00065893 |
21/08/2007 |
City of Joondalup |
$101.00 |
|
|
|
Fines Enforcement For July07 - Ranger Services |
|
|
00065894 |
21/08/2007 |
Clinipath Pathology |
$342.45 |
|
|
|
Blood Tests X 3 - Human Resources |
|
|
00065895 |
21/08/2007 |
FOO HUA Chinese Restaurant |
$89.80 |
|
|
|
Catering - Volunteer Funeral |
|
|
00065896 |
21/08/2007 |
Kmart Joondalup |
$400.60 |
|
|
|
Assorted Games & Console - Youth Services |
|
|
00065897 |
21/08/2007 |
Landmark |
$147.15 |
|
|
|
Turbo Tape 200M Rolls X 3 - Community Development |
|
|
00065898 |
21/08/2007 |
Love Grid Badminton Academy |
$526.50 |
|
|
|
School Holiday Program - Badminton Coaching & Demonstration 13 & 18/07/07 – Leisure Services |
|
|
00065899 |
21/08/2007 |
M & K Bailey Accredited Newsagents |
$28.00 |
|
|
|
Newspapers/Periodicals - Economic Development |
|
|
00065900 |
21/08/2007 |
McDonalds Wanneroo |
$44.25 |
|
|
|
Catering - Volunteer Funeral - Fire Services |
|
|
00065901 |
21/08/2007 |
Midland Disposal Stores |
$215.82 |
|
|
|
Ranger Kit Bags X 4 – Rangers Services |
|
|
00065902 |
21/08/2007 |
Mindarie Regional Council |
$205,708.70 |
|
|
|
Refuse Disposal For City |
|
|
00065903 |
21/08/2007 |
Non Organic Disposals |
$5,494.50 |
|
|
|
Non Organic Disposals - Engineering Construction |
|
|
00065904 |
21/08/2007 |
Office of The Public Advocate |
$90.00 |
|
|
|
Training Protecting Vulnerable Adults 19/07/07 – Attendee H Gordon |
|
|
00065905 |
21/08/2007 |
PBA Safety Pty Ltd |
$1,599.40 |
|
|
|
Flammable Liquid Storage Cabinet - Building Maintenance |
|
|
00065906 |
21/08/2007 |
Pelusey Photography |
$1,650.00 |
|
|
|
Presentations For Children’s Bookweek - Libraries |
|
|
00065907 |
21/08/2007 |
Peter's Bus Charters |
$660.00 |
|
|
|
Bus Hire - Community Services |
|
|
00065908 |
21/08/2007 |
Premium Pipe Services Pty Ltd |
$231.00 |
|
|
|
Hire Of CCTV Pole Camera 31/08/07 At Marangaroo Road - Engineering Maintenance r |
|
|
00065909 |
21/08/2007 |
Retravision - Joondalup |
$378.09 |
|
|
|
51cm TV & DVD/VCR Player – IT Services |
|
|
00065910 |
21/08/2007 |
Swan Tafe |
$8.71 |
|
|
|
Book Purchases For S Taylor |
|
|
00065911 |
21/08/2007 |
The University Of Western Australia |
$220.00 |
|
|
|
Training Turf Seminar Day – Attendees S O'Brien & B Whalley – Parks Maintenance |
|
|
00065912 |
21/08/2007 |
Wanneroo IGA |
$75.45 |
|
|
|
Grocery Items - Youth Services |
|
|
00065913 |
28/08/2007 |
Helen Williams |
$79.99 |
|
|
|
Replacement Of Verge Tree - Damaged While Collecting Bulk Greens |
|
|
00065914 |
28/08/2007 |
Eileen Mirtsis |
$148.00 |
|
|
|
Swim School Refund |
|
|
00065915 |
28/08/2007 |
G Valentine |
$100.00 |
|
|
|
Swim School Refund |
|
|
00065916 |
28/08/2007 |
O Mucibabic |
$300.00 |
|
|
|
Vehicle Crossing Subsidy |
|
|
00065917 |
28/08/2007 |
PM Bell & AS Bell |
$300.00 |
|
|
|
Vehicle Crossing Subsidy |
|
|
00065918 |
28/08/2007 |
Anne Mason |
$220.00 |
|
|
|
Reimbursement Small Business Smart Business Voucher |
|
|
00065919 |
28/08/2007 |
Santo Mohamed Abducmajid |
$300.00 |
|
|
|
Vehicle Crossing Subsidy |
|
|
00065920 |
28/08/2007 |
Banksia Grove Development Nominees |
$318.00 |
|
|
|
Refund Subdivision Clearance Fee - Overpayment |
|
|
00065921 |
28/08/2007 |
Quinns Rocks RSL Sub Branch |
$1,500.00 |
|
|
|
Community Development Funding For Remembrance Day 2007 |
|
|
00065922 |
28/08/2007 |
J Nicholson |
$57.00 |
|
|
|
Dog Registration Refund - Sterilised |
|
|
00065923 |
28/08/2007 |
W Shelton |
$50.00 |
|
|
|
Dog Registration Refund - Deceased |
|
|
00065924 |
28/08/2007 |
J Woodham |
$19.00 |
|
|
|
Dog Registration Refund - Sterilised |
|
|
00065925 |
28/08/2007 |
S Buckley |
$57.00 |
|
|
|
Dog Registration Refund - Sterilised |
|
|
00065926 |
28/08/2007 |
V Chapman |
$33.00 |
|
|
|
Dog Registration Refund - Already Registered Tags 07/4885 & 09/3893 |
|
|
00065927 |
28/08/2007 |
M Balogh |
$25.00 |
|
|
|
Dog Registration Refund - Deceased |
|
|
00065928 |
28/08/2007 |
A Parker |
$57.00 |
|
|
|
Dog Registration Refund - Sterilised |
|
|
00065929 |
28/08/2007 |
Christina Johnson |
$340.00 |
|
|
|
Hire Fee Refund |
|
|
00065930 |
28/08/2007 |
Ace Stoleski |
$159.00 |
|
|
|
Hire Fee Refund |
|
|
00065931 |
28/08/2007 |
Rudolph Zomer |
$2,052.81 |
|
|
|
Rates Refund P/N202572 28 Wishart Loop - Overpayment |
|
|
00065932 |
28/08/2007 |
Raincity Pty Ltd |
$725.10 |
|
|
|
Rates Refund P/N189459 14 Uphill Pl - Property Not Strata |
|
|
00065933 |
28/08/2007 |
M Colavecchio & M Tickle |
$3,894.01 |
|
|
|
Rates Refund P/N180670 72 Berkley Road - Overpayment |
|
|
00065934 |
28/08/2007 |
Aboriginal Seniors Group Petty Cash |
$50.00 |
|
|
|
Petty Cash |
|
|
00065935 |
28/08/2007 |
Alexander Heights Adult Day Care Petty Cash |
$79.30 |
|
|
|
Petty Cash |
|
|
00065936 |
28/08/2007 |
Alinta Gas |
$280.50 |
|
|
|
2 x Ratpayer Financial Assistance |
|
|
00065937 |
28/08/2007 |
Corporate Services Petty Cash |
$406.70 |
|
|
|
Petty Cash |
|
|
00065938 |
28/08/2007 |
Landgate |
$1,790.25 |
|
|
|
Land Searches For Various Departments |
|
|
00065939 |
28/08/2007 |
Quinns Rocks Adult Day Care Petty Cash |
$137.10 |
|
|
|
Petty Cash |
|
|
00065940 |
28/08/2007 |
Skillpath Seminars |
$299.00 |
|
|
|
Administrative Assistants Conference - Attendee C Mostert |
|
|
00065941 |
28/08/2007 |
Alexander Heights Community House P |
$65.85 |
|
|
|
Petty Cash |
|
|
00065942 |
28/08/2007 |
Water Corporation |
$870.45 |
|
|
|
Water Charges For City |
|
|
00065943 |
28/08/2007 |
Yanchep Community House Petty Cash |
$100.85 |
|
|
|
Petty Cash |
|
|
00065944 |
28/08/2007 |
Synergy |
$6,531.30 |
|
|
|
Electricity Charges For City |
|
|
|
|
1 x Ratepayer Financial Assistance ($97.40) |
|
|
00065945 |
28/08/2007 |
Cancelled |
|
|
00065946 |
28/08/2007 |
Western Power |
$885.00 |
|
|
|
New Street Lighting Badgerup Road Wangara – Infrastructure Planning |
|
|
00065947 |
28/08/2007 |
Omniware Sponsorship Petty Cash |
$12.70 |
|
|
|
Petty Cash |
|
|
00065948 |
28/08/2007 |
Western Power |
$1,426.00 |
|
|
|
Quotation Fee For Power Supply To Accessible & Inclusive P/Ground |
|
|
00065949 |
28/08/2007 |
Mr D B Cole |
$60.00 |
|
|
|
Reimburse 50% Of 3 Year Membership For The WA Rangers Assoc (No. 278) |
|
|
00065950 |
28/08/2007 |
Mr M G White |
$60.00 |
|
|
|
Reimburse 50% Of 3 Year Membership For The WA Rangers Assoc (No 279) |
|
|
00065951 |
28/08/2007 |
Mr G Smith |
$61.88 |
|
|
|
Fuel Reimbursement - Ranger Services |
|
|
00065952 |
28/08/2007 |
AITPM Inc |
$577.50 |
|
|
|
Corporate Membership 1/04/07-31/03/08 - Infrastructure Planning |
|
|
00065953 |
28/08/2007 |
Big W |
$705.94 |
|
|
|
Books & DVDs - Wanneroo Library |
|
|
00065954 |
28/08/2007 |
Classic Contractors |
$89,080.09 |
|
|
|
Business Grow Centre Refurbishment - Infrastructure Projects |
|
|
00065955 |
28/08/2007 |
Fines Enforcement Registry |
$1,548.00 |
|
|
|
Lodgement Of 86 Infringement Records – Rangers Services |
|
|
00065956 |
28/08/2007 |
Fiorentina Caffee Pasticceria |
$260.00 |
|
|
|
Townsite Cake For Pioneers Lunch 30/08/07 - Hospitality |
|
|
00065957 |
28/08/2007 |
Grand Cinemas Currambine |
$230.00 |
|
|
|
2 X Books Of 10 Movie Tickets 'Movie Money' For Staff Appreciation - Corporate Services |
|
|
00065958 |
28/08/2007 |
Linda Perry |
$60.00 |
|
|
|
Entertainer At Alexander Heights Adult Day Care Centre |
|
|
00065959 |
28/08/2007 |
Mindarie Regional Council |
$264.00 |
|
|
|
Refuse Disposal For City |
|
|
00065960 |
28/08/2007 |
Orbit Drilling |
$5,280.00 |
|
|
|
Drilling Samples Lot 4 Neerabup – Contracts & Property |
|
|
00065961 |
28/08/2007 |
Pinnacles Visitor Centre |
$49.50 |
|
|
|
Outside Membership Fee - Economic Development |
|
|
00065962 |
28/08/2007 |
Retravision - Joondalup |
$99.00 |
|
|
|
Microwave - Yanchep Library |
|
|
00065963 |
28/08/2007 |
Sanderson Engineering Company |
$990.00 |
|
|
|
Combi Engine & Combi Pole Pruner - Engineering Maintenance |
|
|
00065964 |
28/08/2007 |
Scribbly Faces |
$163.00 |
|
|
|
Face Painting Artist - Yanchep Library |
|
|
00065965 |
28/08/2007 |
Swan Tafe |
$2.49 |
|
|
|
Book Purchase For Trainee - S Taylor |
|
|
00065966 |
28/08/2007 |
WA Limestone Company |
$63,557.93 |
|
|
|
Road Materials Delivered For City |
|
|
00065967 |
28/08/2007 |
Wanneroo Agricultural Society (Inc) |
$350.00 |
|
|
|
7 X Tickets "Getting To Know You Dinner" 1/09/07 At Bridgeleigh Centre - The Mayor & Elected Members |
|
|
00065968 |
24/08/2007 |
City of Wanneroo - Payroll Rates |
$1,935.00 |
|
|
|
Payroll Ded: F/Ending 24/08/07 |
|
|
00065969 |
24/08/2007 |
Sanala Super Fund 72499AG01 |
$6,472.04 |
|
|
|
Payroll Deductions F/Ending 24/08/07 |
|
|
00065970 |
24/08/2007 |
Catholic Superannuation and Retirement |
$4,498.75 |
|
|
|
Payroll Deductions F/Ending 24/08/07 |
|
|
00065971 |
24/08/2007 |
Zurich Client Service |
$235.38 |
|
|
|
Payroll Deductions F/Ending 24/08/07 |
|
|
00065972 |
31/08/2007 |
Betty Fisher |
$352.00 |
|
|
|
Refund Of Duplicate Payment |
|
|
|
|
|
|
|
|
|
Total Director Corporate Services Advance - Cheques |
$1,723,485.94 |
|
|
|
|
|
|
ELECTRONIC TRANSFER LISTING |
|||
|
00000624 |
02/08/2007 |
|
|
|
|
|
Australian Manufacturing Workers Union |
$173.00 |
|
|
|
Payroll Ded: F/Ending 27/07/07 |
|
|
|
|
Australian Services Union |
$968.60 |
|
|
|
Payroll Ded: F/Ending 27/07/07 |
|
|
|
|
Australian Taxation Office PAYG Payments |
$224,130.00 |
|
|
|
Payroll Ded: F/Ending 27/07/07 |
|
|
|
|
CFMEU WA Branch |
$48.00 |
|
|
|
Payroll Ded: F/Ending 27/07/07 |
|
|
|
|
Child Support Agency |
$1,507.60 |
|
|
|
Payroll Ded: F/Ending 27/07/07 |
|
|
|
|
City of Wanneroo - Social Club |
$430.00 |
|
|
|
Payroll Ded: F/Ending 27/07/07 |
|
|
|
|
Daniel Simms |
$54.94 |
|
|
|
Reimbursement Of Telephone, Line Rental & Broadband Fees |
|
|
|
|
HBF Insurance |
$2,558.35 |
|
|
|
Payroll Ded: F/Ending 27/07/07 |
|
|
|
|
LGIS Workcare |
$432,185.50 |
|
|
|
Insurance: Workers Compensation 1/07/07 - 30/6/08 |
|
|
|
|
LGRCEU |
$1,322.44 |
|
|
|
Payroll Ded: F/Ending 27/07/07 |
|
|
|
|
Mr George Paterson |
$89.83 |
|
|
|
Telephone Subsidy 27/07-01/10/07 |
|
|
|
|
Sanala Super Fund 72499AG01 |
$2,482.04 |
|
|
|
Payroll Deductions F/Ending 27/07/07 |
|
|
|
|
Selectus Salary Packaging |
$11,257.23 |
|
|
|
Payroll Ded: F/Ending 27/07/07 |
|
|
|
|
|
|
|
00000625 |
02/08/2007 |
|
|
|
|
|
Adshel Street Furniture Pty Ltd |
$2,200.00 |
|
|
|
Advertising Of Bus Shelters - Cultural Development |
|
|
|
|
AHG Paper & Magazine Delivery |
$16.40 |
|
|
|
Papers - Girrawheen Library |
|
|
|
|
Air Communications |
$11,605.00 |
|
|
|
Tow Rocks Radio Replacement - IT Services |
|
|
|
|
Air Liquide WA Pty Ltd |
$57.45 |
|
|
|
Gas Cylinder Hire - Depot Stores |
|
|
|
|
Alinta Asset Management(2) Pty Ltd |
$55.00 |
|
|
|
Maps Supplied To Infrastructure Projects For Ocean Reef Road From Wanneroo To Harman Drive |
|
|
|
|
Ambit Industries Pty Ltd |
$693.00 |
|
|
|
Repairs To Existing Perimeter Fence At Wanneroo Showgrounds - Parks Maintenance |
|
|
|
|
Amcap Distribution Centre |
$4,066.21 |
|
|
|
Vehicle Spare Parts - Fleet Maintenance & Depot Stores |
|
|
|
|
Anitech |
$191.18 |
|
|
|
Bond Care For Infrastructure Projects |
|
|
|
|
Armaguard |
$541.27 |
|
|
|
Cash Collection For Clarkson Library |
|
|
|
|
Australasian Seal Co. |
$259.16 |
|
|
|
Seals - Depot Stores |
|
|
|
|
Metal Case Wipers - Depot Stores |
|
|
|
|
Australian Airconditioning Services Pty Ltd |
$2,111.67 |
|
|
|
Airconditioning Services For City |
|
|
|
|
Australian Plant Wholesalers |
$321.75 |
|
|
|
Plants - Parks Maintenance |
|
|
|
|
Barnetts Architectural Hardware |
$250.76 |
|
|
|
Door Closer & Drop Plate - Building Maintenance |
|
|
|
|
Beaurepaires For Tyres |
$21,418.67 |
|
|
|
Tyre Fitting Services - Fleet Maintenance |
|
|
|
|
Belair Smash Repairs Pty Ltd |
$500.00 |
|
|
|
Insurance Excess For WN32341 |
|
|
|
|
BGC Concrete |
$240.90 |
|
|
|
Limestone Concrete - Engineering Maintenance |
|
|
|
|
Bill EXPRESS |
$137.50 |
|
|
|
IVR Telephone Rental For Jan-June07 – Finance Services |
|
|
|
|
BOC Limited |
$96.50 |
|
|
|
1 x Ratepayer Financial Assistance |
|
|
|
|
Boral Construction Materials Group Ltd |
$2,875.29 |
|
|
|
Drainage Materials Delivered - Engineering |
|
|
|
|
Boya Equipment |
$479.59 |
|
|
|
Vehicle Spare Parts - Fleet Maintenance |
|
|
|
|
BP Australia Ltd |
$4,802.46 |
|
|
|
Vanellus C7 Global Oil - Depot Stores |
|
|
|
|
Chainsaw Oil - Depot Stores |
|
|
|
|
Bridgeleigh Reception Centre |
$500.00 |
|
|
|
Deposit For Function For Yellagonga Catchment |
|
|
|
|
Briskleen Supplies |
$323.40 |
|
|
|
Lemon Pumice - Depot Stores |
|
|
|
|
BT Equipment Pty Ltd |
$276.99 |
|
|
|
Parts - Fleet Maintenance |
|
|
|
|
Bunnings Pty Ltd |
$903.01 |
|
|
|
Various Items - Building Maintenance |
|
|
|
|
Various Items - Quinns Adult Care |
|
|
|
|
Cameleon Paints |
$176.01 |
|
|
|
Paint - Fleet Maintenance |
|
|
|
|
Carramar Resources Industries |
$1,447.20 |
|
|
|
Soils - Infrastructure Maintenance/Projects |
|
|
|
|
Carringtons Traffic Services |
$283.80 |
|
|
|
Traffic Control At Gnangara Road |
|
|
|
|
CBC Bearings WA Pty Ltd |
$105.14 |
|
|
|
Parts - Fleet Maintenance |
|
|
|
|
Challenge Batteries WA |
$330.00 |
|
|
|
Vehicle Batteries - Depot Stores |
|
|
|
|
Chef Excel Pty Ltd |
$794.25 |
|
|
|
Catering - Council Buffet 10/07/07 |
|
|
|
|
Catering - AIBS Meeting 12/07/07 |
|
|
|
|
Chicken Treat |
$5.95 |
|
|
|
Catering Fire At Kiln Road |
|
|
|
|
City Business Machines |
$48.50 |
|
|
|
Mobile Charger - IT Services |
|
|
|
|
Civica Pty Ltd |
$15,031.50 |
|
|
|
Upgrade For Spydus Software - Leisure Services |
|
|
|
|
Clark Rubber |
$274.75 |
|
|
|
Non Slip Rubber - Ranger Services |
|
|
|
|
Coates Hire Operations Pty Ltd |
$2,630.84 |
|
|
|
Light Tower - Building Maintenance |
|
|
|
|
Test Diesel Generators - Building Maintenance |
|
|
|
|
Light Tower - Building Maintenance |
|
|
|
|
Community Newspapers |
$26,908.76 |
|
|
|
Advertising For June07 |
|
|
|
|
Courier Australia |
$56.18 |
|
|
|
Courier Services - Various Departments |
|
|
|
|
Coventrys |
$1,060.15 |
|
|
|
Various Items - Fleet Maintenance & Depot Stores |
|
|
|
|
Cranetech |
$105.13 |
|
|
|
Parts - Fleet Maintenance |
|
|
|
|
CSBP Limited |
$297.00 |
|
|
|
Water Analysis At Various Sites - Parks Maintenance |
|
|
|
|
Cummins South Pacific Pty Ltd |
$20.82 |
|
|
|
Various Parts - Fleet Maintenance |
|
|
|
|
Cutting Edges Pty Ltd |
$292.10 |
|
|
|
Spare Parts - Depot Stores |
|
|
|
|
DA Information Services Pty Ltd |
$63.55 |
|
|
|
Magazines - Girrawheen Library |
|
|
|
|
Dark Light Pty Ltd |
$317.00 |
|
|
|
July07 School Holiday Excursion |
|
|
|
|
Diamond Lock & Key |
$2,577.76 |
|
|
|
Locking Services - Building Maintenance |
|
|
|
|
Direct Communications |
$1,276.00 |
|
|
|
Install Two-Way Radio - Fleet Maintenance |
|
|
|
|
Communication Repairs - Emergency Services |
|
|
|
|
Drive In Electrics |
$1,492.80 |
|
|
|
Vehicle Electrical Maintenance - Fleet Services |
|
|
|
|
Ecosystem Management Services |
$472.12 |
|
|
|
Tube Stock - Infrastructure Maintenance |
|
|
|
|
EIW Wangara Pty Ltd |
$223.30 |
|
|
|
PVC Rigid Conduit - Infrastructure Maintenance |
|
|
|
|
Elliotts Irrigation Pty Ltd |
$570.51 |
|
|
|
Reticulation Items - Parks Maintenance |
|
|
|
|
Express Towing Services |
|
|
|
|
Towing Of Vehicle - Fleet Maintenance |
$198.00 |
|
|
|
Fast Finishing Services WA |
$335.50 |
|
|
|
Council Minutes Hard Covered - Governance |
|
|
|
|
Find Wise |
$921.80 |
|
|
|
Location Of Services - Infrastructure Maintenance |
|
|
|
|
Flea Circus Productions |
$580.00 |
|
|
|
Art Workshop - Wanneroo Recreation Centre |
|
|
|
|
Fone Biz |
$145.00 |
|
|
|
Fire Pager Repairs - Emergency Services |
|
|
|
|
Foodlink Food Service |
$849.98 |
|
|
|
Food/Beverages - Depot Stores |
|
|
|
|
Frediani Milk Wholesalers |
$371.82 |
|
|
|
Milk Deliveries For City |
|
|
|
|
Friction Control |
$67.03 |
|
|
|
Vehicle Spare Parts - Fleet Maintenance |
|
|
|
|
Fuji Xerox Australia Pty Ltd |
$211.75 |
|
|
|
Paper & Toner - Reprographic Services |
|
|
|
|
Gecko Contracting Turf & Landscape Maintenance |
$10,321.80 |
|
|
|
Landscape Maintenance For City |
|
|
|
|
Geoffs Tree Service |
$10,282.26 |
|
|
|
Various Tree Services For City |
|
|
|
|
Graffiti Systems Australia |
$4,404.40 |
|
|
|
Graffiti Removal Various Locations |
|
|
|
|
Grand Toyota Daihatsu |
$538.50 |
|
|
|
Repairs/Services - Fleet Services |
|
|
|
|
Hays Personnel Services |
$3,593.30 |
|
|
|
Casual Labour - Health Services |
|
|
|
|
Hitachi Construction Machinery Pty Ltd |
$909.37 |
|
|
|
Vehicle Filters - Depot Store |
|
|
|
|
Home Chef |
$1,022.02 |
|
|
|
Meals For Hacc Clients |
|
|
|
|
Husqvarna Construction Products Aust Pty Ltd |
$72.60 |
|
|
|
Drive Belts - Fleet Maintenance |
|
|
|
|
Information Enterprises |
$176.00 |
|
|
|
Marketing Record Management Services Training – Attendee M Keady Mccallum |
|
|
|
|
Integrated Group Ltd - Accounts Receivable |
$36,400.75 |
|
|
|
Casual Labour For Various Departments |
|
|
|
|
Jag Demolition |
$4,180.00 |
|
|
|
Demolition Of Wanneroo Rd Museum - Building Maintenance |
|
|
|
|
JCA Dealer Services |
$1,250.00 |
|
|
|
Replace Monitor/Camera On Front End Loader |
|
|
|
|
Joondalup Drive Medical Centre |
$184.80 |
|
|
|
Medical Fees - Emergency Services |
|
|
|
|
Kyocera Mita Aust P/L |
$251.26 |
|
|
|
Photocopier Meter Reading For Various Departments |
|
|
|
|
L & T Venables |
$771.83 |
|
|
|
Wlders Helmet - Parks Maintenance |
|
|
|
|
Tool Boxes - Parks Maintenance |
|
|
|
|
Loose Moose Removals |
$1,991.00 |
|
|
|
Remove Office Equipment From The Civic Centre & Relocated Back Once Refurbishment Is Complete -Infrastructure Projects |
|
|
|
|
MacDonald Johnston Engineering Company Pty Ltd |
$10,714.48 |
|
|
|
Vehicle Spare Parts - Fleet Maintenance & Depot Stores |
|
|
|
|
Major Motors |
$1,159.09 |
|
|
|
Parts - Fleet Maintenance |
|
|
|
|
Mayday Earthmoving |
$17,109.13 |
|
|
|
Heavy Equipment Hire For City |
|
|
|
|
McGraw-Hill Australia Pty Ltd |
$17.50 |
|
|
|
Book Stock - Clarkson Library |
|
|
|
|
McLeods Barristers & Solicitors |
$677.28 |
|
|
|
Legal Fees: Dog Ownership - Ranger Services |
|
|
|
|
Legal Fees: Planning Services |
|
|
|
|
Metrocount |
$166.00 |
|
|
|
Repairs To Traffic Counter - Infrastructure Planning |
|
|
|
|
Mey Equipment |
$88.30 |
|
|
|
Blade Guard - Fleet Maintenance |
|
|
|
|
Midalia Steel Pty Ltd |
$107.06 |
|
|
|
Tubing - Fleet Maintenance |
|
|
|
|
Mirco Bros Pty Ltd |
$74.50 |
|
|
|
Various Items - Parks Maintenance |
|
|
|
|
Mobile Glass |
$999.05 |
|
|
|
Glazing Services For City |
|
|
|
|
Morley Mower Centre |
$181.00 |
|
|
|
Vehicle Spare Parts - Fleet Maintenance |
|
|
|
|
MP Rogers & Associates Pty Ltd |
$5,177.70 |
|
|
|
Professional Services: Quinns Mindarie Coastal Management - Infrastructure Projects |
|
|
|
|
Museums Australia (WA) |
$75.00 |
|
|
|
State Registration Fee For K Gough |
|
|
|
|
Nadia Rasheed |
$480.00 |
|
|
|
Holiday Kids Art Classes For July07 |
|
|
|
|
National Hire Trading Pty Limited |
$222.20 |
|
|
|
Repairs For 60Kva Generator - Building Maintenance |
|
|
|
|
Northern Districts Pest Control |
$132.00 |
|
|
|
Pest Control At 79 Moorpark Avenue Yanchep |
|
|
|
|
Ocean Keys Newsagency |
$664.67 |
|
|
|
Newspapers/Periodicals - Girrawheen Library |
|
|
|
|
Onesteel Distribution |
$628.21 |
|
|
|
Steel Suppliers - Fleet Maintenance |
|
|
|
|
Palace Homes & Construction Pty Ltd |
$38,000.00 |
|
|
|
Construction Of The Alexander Heights Centre Staff Toilet Addition - Infrastructure Projects |
|
|
|
|
Palmteq |
$668.80 |
|
|
|
Barcode Scanner - Library Services |
|
|
|
|
Performance Packaging |
$2,441.45 |
|
|
|
Garbage Bags, Hand Towels & Toilets Rolls - Depot Stores |
|
|
|
|
Pirtek Malaga Pty Ltd |
$3,488.32 |
|
|
|
Vehicle Hoses - Fleet Maintenance |
|
|
|
|
Prestige Alarms |
$1,685.20 |
|
|
|
Alarm Services For City |
|
|
|
|
Project Industries |
$14,344.00 |
|
|
|
1 Cat Hydraulic Loader & Pin Set - Insurance Claim - Fleet Services |
|
|
|
|
Proquip Machinery |
$66.00 |
|
|
|
Blade Changes For Woodchipper - Parks Maintenance |
|
|
|
|
Protector Alsafe |
$830.77 |
|
|
|
Various Items - Depot Stores |
|
|
|
|
Qualcon Laboratories |
$176.55 |
|
|
|
NDM Testing Connolly Dr - Engineering Construction |
|
|
|
|
Raeco International Pty Ltd |
$1,830.01 |
|
|
|
Book Cases - Clarkson Library |
|
|
|
|
Road & Traffic Services |
$2,640.00 |
|
|
|
Install Lanemaker To Tyne Crescent - Engineering |
|
|
|
|
Roads 2000 Pty Ltd |
$1,737.56 |
|
|
|
Road Works - Engineering |
|
|
|
|
RPG Auto Electrics |
$914.76 |
|
|
|
Vehicle Electrical Maintenance - Fleet Services |
|
|
|
|
Schindler Lifts Aust Pty Ltd |
$979.29 |
|
|
|
Services/Repairs To Lift - Wanneroo Civic Centre |
|
|
|
|
Scitech Discovery Centre |
$352.50 |
|
|
|
School Holiday Activities - Wanneroo Library |
|
|
|
|
School Holiday Program -Yanchep/Two Rocks Library |
|
|
|
|
Solver Paints |
$323.52 |
|
|
|
Paint Supplies - Building Maintenance |
|
|
|
|
Spineless Wonders |
$440.00 |
|
|
|
Holiday Program - Girrawheen Library |
|
|
|
|
Library Presentation - Clarkson Library |
|
|
|
|
Sports Turf Technology Pty Ltd |
$1,831.50 |
|
|
|
Turf Consultancy Services - Parks Maintenance |
|
|
|
|
Spotlight Stores Pty Ltd |
$139.62 |
|
|
|
Various Items - Leisure Services |
|
|
|
|
Stampalia Contractors |
$3,465.00 |
|
|
|
Dry Water Truck For Gnangara Road |
|
|
|
|
Stanhope Healthcare Services Pty Lt |
$5,803.06 |
|
|
|
Support Services Hacc Clients |
|
|
|
|
State Library of Western Australia |
$287.80 |
|
|
|
Lost/Damaged Book Charges - Library Services |
|
|
|
|
Stewart & Heaton Clothing Company Pty Ltd |
$552.11 |
|
|
|
Fire Uniforms - Emergency Services |
|
|
|
|
Sunny Sign Company |
$220.22 |
|
|
|
Directional Signs - Infrastructure Planning |
|
|
|
|
The Carers |
$100.90 |
|
|
|
Support Services Hacc Clients |
|
|
|
|
The Furniture Spot |
$999.00 |
|
|
|
Furniture For Hainsworth Community Centre |
|
|
|
|
The Pool Table Man |
$670.00 |
|
|
|
Refurbish Pool Table For Hainsworth Youth Centre |
|
|
|
|
The WA Deaf Society Inc. |
$275.00 |
|
|
|
First Signs Workshop At Clarkson Library 4/07/07 |
|
|
|
|
Toll Transport Pty Ltd |
$494.15 |
|
|
|
Courier Services For Various Departments |
|
|
|
|
Total Road Services |
$459.36 |
|
|
|
Traffic Control For Alexander Road - Engineering |
|
|
|
|
Toyota Material Handling (WA) Pty L |
$2,447.17 |
|
|
|
Spare Parts - Fleet Maintenance |
|
|
|
|
Repair Hydraulic Ram - Fleet Maintenance |
|
|
|
|
T-Quip |
$416.00 |
|
|
|
Vehicle Spare Parts - Fleet Maintenance |
|
|
|
|
Turbotech Turbochargers |
$1,438.80 |
|
|
|
Oil Accumulator - Depot Stores |
|
|
|
|
WA Kerbing Pty Ltd |
$12,793.00 |
|
|
|
Lay Kerbing/Footpath At Alexander Drive Gnangara |
|
|
|
|
WA Local Government Assoc |
$633.10 |
|
|
|
Advertising For June07 - Planning Services |
|
|
|
|
Wanneroo Agricultural Machinery |
$64.82 |
|
|
|
Various Parts - Fleet Maintenance |
|
|
|
|
Wanneroo Caravan Centre & Steel Fabricators |
$6,195.75 |
|
|
|
Steel Fabrication Works - Fleet Maintenance |
|
|
|
|
Wanneroo Electric |
$17,668.39 |
|
|
|
Electrical Maintenance For City |
|
|
|
|
Wanneroo Hardware |
$2,156.64 |
|
|
|
Hardware Purchases For Various Departments |
|
|
|
|
Wanneroo Plumbing |
$10,953.53 |
|
|
|
Plumbing Maintenance For City |
|
|
|
|
Wanneroo Trophy Shop |
$36.50 |
|
|
|
Lanyards - Office Of CEO |
|
|
|
|
Name Badges For Staff - Community Services Staff |
|
|
|
|
Waste Master |
$590.70 |
|
|
|
Parts - Waste Services |
|
|
|
|
Westcare Industries |
$1,227.60 |
|
|
|
Safety Clothing - Depot Stores |
|
|
|
|
Western Irrigation |
$20,634.96 |
|
|
|
Service Pump & Develop Bore At Coverwood Park & James Cook Park |
|
|
|
|
Wool Design Studio |
$7,500.00 |
|
|
|
A Collection Of Textile Items Consolidated For The Wanneroo Museum |
|
|
|
|
Worldwide Online Printing |
$540.10 |
|
|
|
Printing - Business Cards - Governance |
|
|
|
|
Yakka Pty Ltd |
$334.40 |
|
|
|
Uniforms – K Williams - Customer Services |
|
|
|
|
|
|
|
00000626 |
08/07/2007 |
|
|
|
|
|
Austral Mercantile Collections Pty |
$4,833.14 |
|
|
|
Debt Collection Charges & Commission For June 07 - Finance |
|
|
|
|
Australia Post |
$608.06 |
|
|
|
Bill Pay Transaction FeeFor July07 |
|
|
|
|
Australian Taxation Office PAYG Payments |
$3,129.00 |
|
|
|
Payroll Ded: Non Cycle Pay |
|
|
|
|
Beatrix Rausch |
$83.32 |
|
|
|
Key Holder - Phil Renkin Recreation Centre, Oldham Park Kiosk & Clubrooms, St Andrews Clubrooms, Oldham Reserve & Other Parks |
|
|
|
|
Councillor Terry Loftus |
$280.36 |
|
|
|
Travel Allowance For July 07 |
|
|
|
|
Dept of Housing & Works - Head Office |
$122.50 |
|
|
|
Fremantle Prison Tour - Youth Services |
|
|
|
|
Farley Campbell |
$334.80 |
|
|
|
Volunteer Payment - Community Buses |
|
|
|
|
Generations Personal Super |
$348.44 |
|
|
|
Super Ded For Employees |
|
|
|
|
International Council for Local Environmental Initiatives |
$30.00 |
|
|
|
Local Governments Delivering On Sustainability Conference - Attendee Rebecca MacCario |
|
|
|
|
Joe Arrigo |
$91.66 |
|
|
|
Tennis Booking Officer/Key Holder - Elliott Road Courts & Wanneroo Community Centre |
|
|
|
|
LGIS Insurance Broking |
$213,915.43 |
|
|
|
Motor Vehicle Insurance 30/06/07 - 30/06/08 |
|
|
|
|
LGRCEU |
$7.65 |
|
|
|
Payroll Ded: Non Cycle Pay |
|
|
|
|
Mr John Paton |
$39.99 |
|
|
|
Reimbursement - Monthly Internet Usage For July 2007 |
|
|
|
|
Mr Neil Prophett |
$50.00 |
|
|
|
Reimbursement -Working With Children - Library Services |
|
|
|
|
Mr Rudolf Schiller |
$83.32 |
|
|
|
Key Holder - Clarkson Youth, Anthony Waring Clubrooms & Parks |
|
|
|
|
Ms Hazel Owen |
$41.66 |
|
|
|
Key Holder - Warradale Community Centre |
|
|
|
|
Navigator Applications Account |
$102.92 |
|
|
|
Super Ded For Employees |
|
|
|
|
Nick Del Borrello |
$2,103.75 |
|
|
|
Contract Labour - Fleet Maintenance |
|
|
|
|
Peggy Brown |
$83.32 |
|
|
|
Key Holder - Jenolan Way Community Centre, Addison Park Clubrooms And Parks |
|
|
|
|
Snowbird Gardens Superannuation Fun |
$173.56 |
|
|
|
Super Ded For Employees |
|
|
|
|
Telstra Business Systems Pty Ltd |
$726.32 |
|
|
|
Head Sets – IT Services |
|
|
|
|
Trailer Parts Pty Ltd |
$33.66 |
|
|
|
Vehicle Spare Parts -Parks Maintenance |
|
|
|
|
Trust Company Superannuation Service Limited |
$146.62 |
|
|
|
Super Ded For Employees |
|
|
|
|
Volunteering WA |
$110.00 |
|
|
|
Renewal Agency Dues 2007/08 - Community Services |
|
|
|
|
|
|
|
00000627 |
08/08/2007 |
|
|
|
|
|
Aarons Florist |
$83.50 |
|
|
|
Flowers - Deepest Condolences – Mayor’s Office |
|
|
|
|
Accidental First Aid Supplies |
$448.35 |
|
|
|
First Aid Supplies - Waste Services |
|
|
|
|
Aged & Community Services WA Inc |
$90.00 |
|
|
|
Respite Care Training – Attendee D Skroza |
|
|
|
|
Air Communications |
$308.00 |
|
|
|
Technical Labour Aquamotion - Governance |
|
|
|
|
Algar Burns Pty Ltd |
$340.29 |
|
|
|
Acrobat Pro 8 Win Lic Gov Software - IT Services |
|
|
|
|
Altus Traffic |
$1,306.25 |
|
|
|
Traffic Control - Parks Maintenance |
|
|
|
|
Amcap Distribution Centre |
$1,704.75 |
|
|
|
Vehicle Spare Parts - Fleet Maintenance & Depot Stores |
|
|
|
|
Angus & Robertson Pty Ltd |
$1,098.71 |
|
|
|
Book Purchases - Clarkson Library |
|
|
|
|
Armaguard |
$646.12 |
|
|
|
Cash Collection For Clarkson Library & Aquamotion |
|
|
|
|
Aust Inst Of Building Surveyors |
$375.00 |
|
|
|
Aibs Annual Membership 2007/08 - Surveyors |
|
|
|
|
Austral Waste Recycling (WA) Pty Lt |
$8,921.19 |
|
|
|
Recycling Sorting Costs – Waste Services |
|
|
|
|
Australasian College of Road Safety |
$165.00 |
|
|
|
Older Road Users Seminar - Attendees R Hewitt, K Delves & G Shaw |
|
|
|
|
Australian Business Telephone Company |
$87.56 |
|
|
|
Phone Cable Nortel Booster - Waste Services |
|
|
|
|
Australian Government National Measurement Institute |
$396.66 |
|
|
|
Analysis Fees - Wangara Sump Water |
|
|
|
|
Australian Institute of Management |
$2,436.50 |
|
|
|
Training - Excel Introduction 25/07/07 – Human Resources |
|
|
|
|
Managers Business Improvement Model Meeting 5/07/07 |
|
|
|
|
Australian Paper Recovery Pty Ltd |
$5,019.42 |
|
|
|
Paper Recycling 2/07/07 - 15/07/07 |
|
|
|
|
Auto Control Doors |
$909.70 |
|
|
|
Repairs To Automatic Doors Clarkson Library & Wanneroo Community Centre |
|
|
|
|
Autosmart WA North Metro |
$726.00 |
|
|
|
Truckstream 240Lts - Fleet Maintenance |
|
|
|
|
Barloworld Coatings (Aust) Pty Ltd |
$510.59 |
|
|
|
Paint Supplies - Ranger Services |
|
|
|
|
Belair Smash Repairs Pty Ltd |
$500.00 |
|
|
|
Insurance Excess WN32412 |
|
|
|
|
Beryl Weston |
$60.00 |
|
|
|
Cleaning Of Girrawheen Hall - Community Services |
|
|
|
|
Boral Construction Materials Group Ltd |
$3,363.91 |
|
|
|
Drainage Materials Delivered - Engineering |
|
|
|
|
BP Australia Ltd |
$4,045.79 |
|
|
|
Vehicle Oil - Depot Store Stock |
|
|
|
|
BT Equipment Pty Ltd |
$146.66 |
|
|
|
Spare Parts - Fleet Maintenance |
|
|
|
|
Bunnings Pty Ltd |
$235.23 |
|
|
|
Various Items - Building Maintenance |
|
|
|
|
Cable Logic Pty Ltd |
$18,887.00 |
|
|
|
Provide Labour Services – IT Services |
|
|
|
|
Cabling Services – IT Services |
|
|
|
|
Cabling Services - Civic Centre – IT Services |
|
|
|
|
Cabling Services - Banksia Grove Community Centre |
|
|
|
|
CBC Bearings WA Pty Ltd |
$285.45 |
|
|
|
Parts - Depot Stores |
|
|
|
|
City of Stirling |
$88.24 |
|
|
|
Lot 118 Mindarie Town Engineering Inputs - Contracts & Property (Invoiced In Error) |
|
|
|
|
Clean Sweep |
$426.25 |
|
|
|
Sweeping Services For City |
|
|
|
|
Comfort Keepers |
$455.03 |
|
|
|
Support Services Hacc/Cacp Clients |
|
|
|
|
Connell Wagner Pty Ltd |
$1,941.50 |
|
|
|
Professional Services: Neerabup Industrial Roads - Planning |
|
|
|
|
Courier Australia |
$19.56 |
|
|
|
Courier Services – Fleet Services |
|
|
|
|
Coventrys |
$1,084.41 |
|
|
|
Various Items - Depot Store Stock |
|
|
|
|
Cummins South Pacific Pty Ltd |
$1,091.20 |
|
|
|
Various Parts - Waste Services |
|
|
|
|
Cutting Edges Pty Ltd |
$636.01 |
|
|
|
Spare Parts - Depot Stores |
|
|
|
|
DBS Fencing |
$308.00 |
|
|
|
Repair Hole In Fence - Kingsway Netball |
|
|
|
|
Dexion Balcatta |
$681.45 |
|
|
|
Stationery Items - Records |
|
|
|
|
Dick Smith Electronics |
$99.00 |
|
|
|
Bluetooth Headset - Economic Development |
|
|
|
|
Drive In Electrics |
$711.30 |
|
|
|
Check Sluggish Start To WN31953 - Fleet Maintenance |
|
|
|
|
E & MJ Rosher |
$452.25 |
|
|
|
Vehicle Spare Parts - Fleet Maintenance |
|
|
|
|
Edith Cowan University |
$180.00 |
|
|
|
Museum Studies Workshop - Attendee B Phillips |
|
|
|
|
Electek |
$67,085.03 |
|
|
|
Payment Certificate 1 For Gumblossom Reserve Oval Lighting |
|
|
|
|
Elliotts Irrigation Pty Ltd |
$918.97 |
|
|
|
Reticulation Items - Parks Maintenance |
|
|
|
|
Essential Fire Services Pty Ltd |
$239.80 |
|
|
|
Extinguisher & Signs - Kingsway Complex |
|
|
|
|
Signs To Fire Equipment - Clarkson Library |
|
|
|
|
Foodlink Food Service |
$719.67 |
|
|
|
Food/Beverages - Stores |
|
|
|
|
Frediani Milk Wholesalers |
$1,182.08 |
|
|
|
Milk Deliveries For City |
|
|
|
|
Fuel Distributors of WA Pty Ltd |
$2,302.63 |
|
|
|
Bio Diesel - Waste Services |
|
|
|
|
Fuji Xerox Australia Pty Ltd |
$1,515.25 |
|
|
|
Equipment Lease - Reprographic Services |
|
|
|
|
Toner - Reprographic Services |
|
|
|
|
GHD Pty Ltd |
$550.00 |
|
|
|
Headworks Specifications For July 2007 - Building Maintenance |
|
|
|
|
Grand Toyota Daihatsu |
$1,315.75 |
|
|
|
Vehicle Services For City |
|
|
|
|
Greenway Enterprises |
$1,378.63 |
|
|
|
Equipment - Depot Stores & Parks |
|
|
|
|
Hays Personnel Services |
$1,754.14 |
|
|
|
Casual Labour - Health Services |
|
|
|
|
Home Chef |
$408.26 |
|
|
|
Meals For Hacc/Cacp Clients |
|
|
|
|
Humes |
$1,714.76 |
|
|
|
Drainage Materials Delivered - Engineering |
|
|
|
|
IBM Australia Ltd |
$594.00 |
|
|
|
Storage Partitioning – IT Services |
|
|
|
|
Integrated Group Ltd - Accounts Receivable |
$31,815.27 |
|
|
|
Casual Labour For Various Departments |
|
|
|
|
J Blackwood & Son Ltd |
$486.26 |
|
|
|
Parts - Fleet Maintenance |
|
|
|
|
Jim's Fencing (Perth) |
$330.00 |
|
|
|
Repairs To Fencing Damaged During Bulk Refuse |
|
|
|
|
John Stevens Carpentry |
$429.00 |
|
|
|
Fencing Works At Hainsworth Leisure Centre |
|
|
|
|
Joondalup Photo Design |
$548.25 |
|
|
|
Photography Of Elected Members On Location - Marketing |
|
|
|
|
Jupiter Images |
$2,111.89 |
|
|
|
Liquid Library Online Subscription - Marketing |
|
|
|
|
Knights |
$159.75 |
|
|
|
Animal Food Products - Animal Care Centre |
|
|
|
|
Kyocera Mita Aust P/L |
$340.56 |
|
|
|
Photocopier Meter Reading For City |
|
|
|
|
Toner - Reprographic Services |
|
|
|
|
L & T Venables |
$61.33 |
|
|
|
Bolts - Fleet Maintenance |
|
|
|
|
Len French Fencing Contractor |
$275.00 |
|
|
|
Repairs To Cricket Wicket At Dalvik Park |
|
|
|
|
MacDonald Johnston Engineering Company Pty Ltd |
$2,120.59 |
|
|
|
Vehicle Spare Parts - Fleet Maintenance & Depot Stores |
|
|
|
|
Mayday Earthmoving |
$7,591.10 |
|
|
|
Heavy Equipment Hire For The City |
|
|
|
|
McLeods Barristers & Solicitors |
$3,751.35 |
|
|
|
Legal Fees: Planning Services |
|
|
|
|
Legal Fees: Rating Services |
|
|
|
|
Legal Fees: Public Access - Ranger Services |
|
|
|
|
Legal Fees: Bush Fires Art Fire & Emergency Services |
|
|
|
|
Medical Hand |
$411.13 |
|
|
|
Immunisation Services -Health |
|
|
|
|
Memo Communications |
$68.20 |
|
|
|
CB Battery - Parks |
|
|
|
|
Mey Equipment |
$88.30 |
|
|
|
Parts - Fleet Maintenance |
|
|
|
|
Mindarie Bus Charter Pty Ltd |
$572.00 |
|
|
|
Gold Program Transport – Leisure Services |
|
|
|
|
Mirco Bros Pty Ltd |
$1,039.00 |
|
|
|
Various Items - Parks |
|
|
|
|
Mobile Glass |
$402.50 |
|
|
|
Glazing Services For City |
|
|
|
|
Newscape Contractors |
$36,151.25 |
|
|
|
Landscaping Services For July 2007 |
|
|
|
|
Novus Autoglass |
$869.00 |
|
|
|
Repair Windscreen WN32384 - Contracts & Property |
|
|
|
|
Repair Windscreen WN31920 - Insurance Services |
|
|
|
|
Ocean Keys Newsagency |
$1,283.83 |
|
|
|
Newspapers/Periodicals - Girrawheen Library |
|
|
|
|
OH & JM Edwards |
$132.00 |
|
|
|
Repairs To Mobile Phone - Ranger Services |
|
|
|
|
Onesteel Distribution |
$505.16 |
|
|
|
Steel Suppliers - Fleet Maintenance |
|
|
|
|
Parins |
$1,540.00 |
|
|
|
Repairs To WN31868 - Fleet Maintenance |
|
|
|
|
Performance Packaging |
$110.00 |
|
|
|
Bin Liners – Depot Stores |
|
|
|
|
Peter Wood Pty Ltd |
$1,628.00 |
|
|
|
Replace Hardie Fence At Lake Joondalup Pre-School |
|
|
|
|
PK Print Pty Ltd |
$5,862.70 |
|
|
|
Printing Of Safety Booklets - Ranger Services |
|
|
|
|
Printing A4 Fire Break Notices X 70,000 - Fire Services |
|
|
|
|
Planning Institute Australia WA Division |
$198.00 |
|
|
|
Registration - Lunch With A McTiernan 23/08/07 – Attendees R Peake & M Dickson |
|
|
|
|
Pocket Phone |
$410.00 |
|
|
|
Car Kit Nokia6233 – IT Services |
|
|
|
|
Prestige Alarms |
$720.50 |
|
|
|
Alarm Services For City |
|
|
|
|
Protector Alsafe |
$4,864.31 |
|
|
|
Safety Items For City |
|
|
|
|
Red Hot Parcel Taxi |
$85.12 |
|
|
|
Courier Services - Fleet Services & Depot Stores |
|
|
|
|
Royal Life Saving Society Australia |
$11,529.60 |
|
|
|
Swimming Pool Inspections - Approvals |
|
|
|
|
Senior First Aid Requal 19/07/07 |
|
|
|
|
Safety World |
$297.00 |
|
|
|
Rain Jackets For Alexander Heights Bus |
|
|
|
|
Sanax St Andrews Pharmacy |
$151.86 |
|
|
|
First Aid Supplies – Depot Stores |
|
|
|
|
Schindler Lifts Aust Pty Ltd |
$1,036.71 |
|
|
|
Lift Services For City |
|
|
|
|
Scitech Discovery Centre |
$215.00 |
|
|
|
School Holiday Activities - Libraries |
|
|
|
|
Solver Paints |
$166.06 |
|
|
|
Paint Supplies - Building Maintenance & Rangers Services |
|
|
|
|
Spotlight Stores Pty Ltd |
$13.50 |
|
|
|
Various Items - Youth Services |
|
|
|
|
Stampalia Contractors |
$4,365.35 |
|
|
|
Heavy Equipment Hire For City |
|
|
|
|
Stanhope Healthcare Services Pty Lt |
$6,952.29 |
|
|
|
Support Services HACC Clients |
|
|
|
|
Statewide Cleaning Supplies Pty Ltd |
$1,241.68 |
|
|
|
Cleaning Supplies - Depot Store |
|
|
|
|
Stewart & Heaton Clothing Company Pty Ltd |
$306.72 |
|
|
|
Fire Services Clothing |
|
|
|
|
Stopmaster Brakes |
$294.80 |
|
|
|
Front/Rear Brake Relining - Fleet Maintenance |
|
|
|
|
Sun City News |
$550.00 |
|
|
|
Advertising - Yanchep Community Centre |
|
|
|
|
Sunny Sign Company |
$1,035.10 |
|
|
|
Various Name Plates - Engineering |
|
|
|
|
Technical Irrigation Imports |
$7,509.19 |
|
|
|
Irrigation Equipment - Parks Maintenance |
|
|
|
|
Technology One Ltd |
$102,986.95 |
|
|
|
Annual Support & Maintenance Fee 1/09/07-31/08/08 For It |
|
|
|
|
The Carers |
$50.45 |
|
|
|
Support Services Hacc/Cacp Clients |
|
|
|
|
The Hire Guys Wangara |
$985.60 |
|
|
|
Dingo Mini Loader - Parks |
|
|
|
|
The Printing Factory |
$218.89 |
|
|
|
Printing Of Agenda Certificates - Governance |
|
|
|
|
The Pursuits Group |
$1,475.91 |
|
|
|
Support Services HACC/CACP Clients |
|
|
|
|
Total Eden Watering Systems |
$625.30 |
|
|
|
Reticulation Items - Parks |
|
|
|
|
Total Road Services |
$5,980.86 |
|
|
|
Traffic Control - Alexander Drive |
|
|
|
|
T-Quip |
$1,652.90 |
|
|
|
Vehicle Spare Parts - Fleet Maintenance & Depot Stores |
|
|
|
|
WA Kerbing Pty Ltd |
$9,548.00 |
|
|
|
Lay Kerbing/Footpath - Various Locations |
|
|
|
|
WA Local Government Assoc |
$57,478.30 |
|
|
|
2007/08 Membership Subscriptions, Walga Subscription, Tax Service Annual Subscription, Local Government Act Services, Local Laws WA Services Biodiversity Project Contributions, Roman Subscription |
|
|
|
|
Wanneroo Agricultural Machinery |
$1,112.40 |
|
|
|
Various Parts – Fleet Maintenance & Depot Stores |
|
|
|
|
Wanneroo Caravan Centre & Steel Fabricators |
$744.15 |
|
|
|
Steel Fabrication Works - Aquamotion |
|
|
|
|
Steel Fabrication Works - Hudson Park Tennis |
|
|
|
|
Steel Fabrication Works - Kingsway British Soccer |
|
|
|
|
Steel Fabrication Works - Building Maintenance |
|
|
|
|
Wanneroo Electric |
$4,208.23 |
|
|
|
Electrical Maintenance For City |
|
|
|
|
Wanneroo Hardware |
$2,170.59 |
|
|
|
Hardware Purchases For Various Departments |
|
|
|
|
Wanneroo Plumbing |
$6,777.64 |
|
|
|
Plumbing Maintenance For City |
|
|
|
|
Wanneroo Trophy Shop |
$50.00 |
|
|
|
Name Badges For Various Employees |
|
|
|
|
Water Bore Redevelopers Pty Ltd |
$3,564.00 |
|
|
|
Develop Bore At Carramar Golf Course |
|
|
|
|
West Tip Waste Control Pty Ltd |
$139.70 |
|
|
|
Services - Waste Services |
|
|
|
|
Westbooks |
$128.20 |
|
|
|
Book Purchases - Libraries |
|
|
|
|
Westcare Industries |
$11.00 |
|
|
|
Freight Charges – Fleet Services |
|
|
|
|
Western Resource Recovery Pty Ltd |
$1,479.95 |
|
|
|
Transport Charges - Building Maintenance |
|
|
|
|
Weston Remarking Services |
$1,628.00 |
|
|
|
Roadmarking Services For City |
|
|
|
|
Work Clobber |
$87.30 |
|
|
|
Staff Uniforms - Parks |
|
|
|
|
|
|
|
00000628 |
15/08/2007 |
|
|
|
|
|
Australia Post |
$2,102.46 |
|
|
|
Postage Charges For July07 Lodged |
|
|
|
|
Australian Manufacturing Workers Union |
$173.00 |
|
|
|
Payroll Ded: F/Ending 10/8/2007 |
|
|
|
|
Australian Services Union |
$968.60 |
|
|
|
Payroll Ded: F/Ending 10/8/2007 |
|
|
|
|
Australian Taxation Office PAYG Payments |
$220,374.00 |
|
|
|
Payroll Ded: F/Ending 10/8/2007 |
|
|
|
|
Builders Registration Board |
$16,896.50 |
|
|
|
Collection Agency Fee For July07 - Builders Dispute Levy Payments |
|
|
|
|
CFMEU WA Branch |
$48.00 |
|
|
|
Payroll Ded: F/Ending 10/8/2007 |
|
|
|
|
Child Support Agency |
$1,755.09 |
|
|
|
Payroll Ded: F/Ending 10/8/2007 |
|
|
|
|
City of Wanneroo - Social Club |
$431.00 |
|
|
|
Payroll Ded: F/Ending 10/8/2007 |
|
|
|
|
Crosbie & Duncan Golf |
$24,108.98 |
|
|
|
Carramar Golf Course Commission Fees For July07 |
|
|
|
|
Duncan & Crosbie Pro Golf WA Pty Ltd |
$20,249.55 |
|
|
|
Marangaroo Golf Course Commission Fees For July07 |
|
|
|
|
FESA |
$4,020.33 |
|
|
|
Cost Of Sharing The Community Fire Manager |
|
|
|
|
HBF Insurance |
$2,558.35 |
|
|
|
Payroll Ded: F/Ending 10/8/2007 |
|
|
|
|
ICLEI - A/NZ |
$30.00 |
|
|
|
Iclei Breakfast To Receive Award For City From Water Corp 6/08/07 – Attendee D Simms |
|
|
|
|
KW Inns & KF Penno |
$6,858.24 |
|
|
|
Reimbursement - Eftpos Fees For July07 |
|
|
|
|
Reimbursement - Expenditure For July07 |
|
|
|
|
Reimbursement - Management Fees For July07 |
|
|
|
|
LGIS Workcare |
$53,687.70 |
|
|
|
Insurance - 30/06/04-30/06/05 |
|
|
|
|
LGRCEU |
$1,307.14 |
|
|
|
Payroll Ded: F/Ending 10/8/2007 |
|
|
|
|
Mr Martin Koerfgen |
$30.00 |
|
|
|
Reimbursement - Drug Screening – Human Resources |
|
|
|
|
Mrs Elizabeth Smith |
$22.75 |
|
|
|
Reimbursement - Poster Lamination - Waste Services |
|
|
|
|
Mrs Fung Kuen Lucia Lam |
$109.00 |
|
|
|
Reimbursement - Broadband Usage 23/04-04/08/08 |
|
|
|
|
Nick Del Borrello |
$3,861.00 |
|
|
|
Contract Labour - Fleet Maintenance |
|
|
|
|
Sanala Super Fund 72499AG01 |
$1,684.24 |
|
|
|
Payroll Ded: Ncp 20/7/2007 |
|
|
|
|
Payroll Ded: Ncp2 18/7/2007 |
|
|
|
|
Payroll Ded: Ncp2 18/7/2007 |
|
|
|
|
Payroll Ded: F/Ending 10/8/2007 |
|
|
|
|
Selectus Salary Packaging |
$11,564.72 |
|
|
|
Payroll Ded: F/Ending 10/8/2007 |
|
|
|
|
Trailer Parts Pty Ltd |
$142.13 |
|
|
|
Vehicle Spare Parts – Fleet Services |
|
|
|
|
|
|
|
00000629 |
15/08/2007 |
|
|
|
|
|
A Team Printing Pty Ltd |
$946.00 |
|
|
|
City Of Wanneroo Statements - Finance |
|
|
|
|
Accidental First Aid Supplies |
$403.70 |
|
|
|
First Aid Supplies - Aquamotion |
|
|
|
|
First Aid Supplies - Waste Services |
|
|
|
|
Air Liquide WA Pty Ltd |
$592.16 |
|
|
|
Gas Cylinder Hire - Depot Stores |
|
|
|
|
Allstamps |
$64.39 |
|
|
|
Building Approval Stamps |
|
|
|
|
Amcap Distribution Centre |
$1,482.48 |
|
|
|
Vehicle Spare Parts - Fleet Maintenance & Depot Stores |
|
|
|
|
Angus & Robertson Pty Ltd |
$1,099.92 |
|
|
|
Book Purchases - Clarkson Library |
|
|
|
|
Anitech |
$517.00 |
|
|
|
Cartography Supplies - Contracts & Property |
|
|
|
|
Armaguard |
$753.62 |
|
|
|
Cash Collection - Customer Relations |
|
|
|
|
Armstrong Energy |
$220.22 |
|
|
|
Spare Parts - Depot Stores |
|
|
|
|
Artbeat Publishers |
$1,160.00 |
|
|
|
CBC Children’s Bookweek 07 - Libraries |
|
|
|
|
Australian Institute of Management |
$2,597.10 |
|
|
|
Training - MBTI Program 24/07/07 - Records Management Team x 9 |
|
|
|
|
Australian Laboratory Services Pty |
$2,656.50 |
|
|
|
Oil Analysis Kits - Depot Stores |
|
|
|
|
Australian Paper Recovery Pty Ltd |
$4,591.76 |
|
|
|
Paper Recovery Services - Waste Services |
|
|
|
|
Australian Plant Wholesalers |
$108.90 |
|
|
|
Plants - Marketing |
|
|
|
|
Avanti Events |
$1,518.00 |
|
|
|
Community Visioning Conference 7-8/06/07- Attendee R Peake & P Thompson |
|
|
|
|
Barloworld Coatings (Aust) Pty Ltd |
$57.91 |
|
|
|
Paint Supplies - Ranger Services |
|
|
|
|
BCA Consultants Pty Ltd |
$550.00 |
|
|
|
Electrical Consultancy For Gumblossom Sports Lighting |
|
|
|
|
Beaurepaires For Tyres |
$15,326.89 |
|
|
|
Tyre Fitting Services - Fleet Maintenance |
|
|
|
|
BGC Blokpave |
$5,635.81 |
|
|
|
Pavers - Engineering Maintenance |
|
|
|
|
Bill EXPRESS |
$213.29 |
|
|
|
Bill Express Fees – Rates Services |
|
|
|
|
Boral Construction Materials Group Ltd |
$5,731.22 |
|
|
|
Drainage Materials - Engineering |
|
|
|
|
Bowra Panel & Paint |
$330.66 |
|
|
|
Insurance Excess On 1CMZ222 |
|
|
|
|
BP Australia Ltd |
$171,220.55 |
|
|
|
Fuel Issues For July 2007 |
|
|
|
|
Bring Couriers |
$259.18 |
|
|
|
Courier Services - Health Services |
|
|
|
|
Briskleen Supplies |
$313.50 |
|
|
|
Lemon Pumice - Depot Stores |
|
|
|
|
BT Equipment Pty Ltd |
$675.34 |
|
|
|
Spare Parts - Fleet Maintenance |
|
|
|
|
Bunnings Pty Ltd |
$1,426.29 |
|
|
|
Various Items - Parks Maintenance, Building Maintenance & Waste Services |
|
|
|
|
Burgtec Australasia Pty Ltd |
$323.40 |
|
|
|
Office Chair - Infrastructure Maintenance |
|
|
|
|
Cabcharge |
$14.36 |
|
|
|
Cabcharges For Cacp Clients |
|
|
|
|
Cameleon Paints |
$193.60 |
|
|
|
Paint Supplies - Waste Services |
|
|
|
|
Carramar Resources Industries |
$88.00 |
|
|
|
Plasterers Sand - Engineering Construction |
|
|
|
|
CCI Legal Service Pty Ltd |
$59.40 |
|
|
|
Professional Services - Human Resources |
|
|
|
|
Children's Book Council of Aust |
$227.10 |
|
|
|
Promotional Items - Library Services |
|
|
|
|
City Business Machines |
$3,749.00 |
|
|
|
Various Items - IT Services |
|
|
|
|
Clean Sweep |
$132.00 |
|
|
|
Road Sweeping Services At Kinross 23/07/07 |
|
|
|
|
Coates Hire Operations Pty Ltd |
$2,897.28 |
|
|
|
Equipment Hire - Engineering Services |
|
|
|
|
Comfort Keepers |
$315.02 |
|
|
|
Support Services Cacp Clients |
|
|
|
|
Convic Design Pty Ltd |
$4,180.00 |
|
|
|
Professional Fees: Kingsbridge Park Multi Wheeled - Projects |
|
|
|
|
Covenant Carpet Cleaning |
$352.00 |
|
|
|
Carpet Cleaning At Warradale Community Hall |
|
|
|
|
Coventrys |
$1,645.49 |
|
|
|
Various Items - Depot Stores |
|
|
|
|
Cummins South Pacific Pty Ltd |
$260.67 |
|
|
|
Various Parts - Fleet Maintenance & Depot Stores |
|
|
|
|
Dexion Balcatta |
$1,901.90 |
|
|
|
File Cabinet Shelves - Records |
|
|
|
|
Diamond Lock & Key |
$1,961.00 |
|
|
|
Locking Services / Padlocks – Building Maintenance & Depot Stores |
|
|
|
|
Different By Design |
$510.00 |
|
|
|
Graphic Design Services - Marketing |
|
|
|
|
Dowsing Concrete |
$3,141.27 |
|
|
|
Concrete Footpath-Connolly Drive Kinross - Infrastructure Maintenance |
|
|
|
|
Eclipse Resources Pty Ltd |
$7,705.50 |
|
|
|
Disposal Of Rubble - Operations |
|
|
|
|
Electek |
$33,120.28 |
|
|
|
Payment No. 2 Gumblossom Reserve Oval Lighting |
|
|
|
|
Electro Acoustic Company Pty Ltd |
$255.75 |
|
|
|
Service Call Out-Floor Sockets - ITServices |
|
|
|
|
Elliotts Irrigation Pty Ltd |
$8,624.43 |
|
|
|
Reticulation Items - Parks Maintenance |
|
|
|
|
Ergomates Australasia Pty Ltd |
$192.90 |
|
|
|
Anti Fatigue Shoe Covers – Waste Services |
|
|
|
|
Estate Landscape Maintenance (E.L.M |
$6,671.50 |
|
|
|
Horticultural Bench Marking For Butler Estate - Parks |
|
|
|
|
Landscape Maintenance For Bulter Estate - Parks |
|
|
|
|
Express Towing Services |
$858.00 |
|
|
|
Towing Services - Fleet Maintenance |
|
|
|
|
Forpark Australia |
$1,540.00 |
|
|
|
Picnic Table For Quinns Rocks Caravan Park |
|
|
|
|
Fortron Automotive Treatments Pty Ltd |
$792.00 |
|
|
|
Brake & Parts Cleaner – Depot Stores |
|
|
|
|
Framecor Picture Framers |
$267.60 |
|
|
|
Picture Tracks – Human Resources |
|
|
|
|
Frediani Milk Wholesalers |
$399.92 |
|
|
|
Milk Deliveries For City |
|
|
|
|
Fugro Spatial Solutions Pty Ltd |
$1,320.00 |
|
|
|
Site Survey For Butler Community Centre |
|
|
|
|
Galvins Plumbing Plus |
$68.18 |
|
|
|
Plumbing Supplies - Parks Maintenance |
|
|
|
|
GC Sales (WA) |
$49,918.18 |
|
|
|
1008 X 240Ltr Bins – Waste Services |
|
|
|
|
Geoffs Tree Service |
$5,879.50 |
|
|
|
Tree Maintenance At Kingsway Sports |
|
|
|
|
Graffiti Systems Australia |
$11,936.10 |
|
|
|
Graffiti Removal At Various Locations |
|
|
|
|
Grand Toyota Daihatsu |
$208.60 |
|
|
|
30Km Service To WN32368 |
|
|
|
|
Grass Growers |
$51,062.55 |
|
|
|
Supply Plant & Operators To Mulch Greenwaste Stockpile At Motivation Drive Wangara - Parks Maintenance |
|
|
|
|
Supply Plant & Operators To Mulch Greenwaste ForJuly07 - Waste Services |
|
|
|
|
Heavy Automatics |
$555.28 |
|
|
|
Electrical Repairs To WN32313 – Fleet Services |
|
|
|
|
HIA Ltd |
$264.00 |
|
|
|
Urban Initiatives Breakfast # 2 - Planning Services Staff |
|
|
|
|
Hitachi Construction Machinery Pty Ltd |
$421.13 |
|
|
|
Vehicle Filters - Depot Store |
|
|
|
|
Home Chef |
$667.19 |
|
|
|
Meals For Hacc/Cacp Clients |
|
|
|
|
Homecare Options |
$4,493.75 |
|
|
|
Support Services Hacc/Cacp Clients |
|
|
|
|
Icon Office Technology |
$1,090.14 |
|
|
|
Photocopier Meter Reading For Various Departments |
|
|
|
|
Insight Call Centre Services |
$2,513.31 |
|
|
|
Call Centre Services For Jun07 |
|
|
|
|
Integrated Group Ltd - Accounts Receivable |
$22,531.36 |
|
|
|
Casual Labour For Various Departments |
|
|
|
|
Integrated Records and Information Solutions |
$770.00 |
|
|
|
Information & Records Management Training-22-23/08/07 – Attendees S Steele & V Fidock |
|
|
|
|
IPWEA |
$418.00 |
|
|
|
1 X Copy Iimm2006 Edition For A Millard |
|
|
|
|
Joondalup Drive Medical Centre |
$332.20 |
|
|
|
Medical Fees - Infrastructure Maintenance / Projects |
|
|
|
|
Medical Fees - Waste Services |
|
|
|
|
Kyocera Mita Aust P/L |
$32.51 |
|
|
|
Photocopier Meter Reading - Customer Services |
|
|
|
|
Ladybirds Plant Hire |
$314.60 |
|
|
|
Rental Of Indoor Plants For June/July 2007 |
|
|
|
|
Lawrence & Hanson |
$477.29 |
|
|
|
Various Items - Parks Maintenance & Depot Stores |
|
|
|
|
Local Government Managers Australia |
$44.00 |
|
|
|
Discount Incorrectly Taken Up Against J Loves Membership |
|
|
|
|
MacDonald Johnston Engineering Company Pty Ltd |
$328.73 |
|
|
|
Vehicle Spare Parts - Depot Stores |
|
|
|
|
Major Motors |
$685.05 |
|
|
|
Vehicle Filters - Depot Stores |
|
|
|
|
Mayday Earthmoving |
$32,216.31 |
|
|
|
Heavy Equipment Hire For City |
|
|
|
|
Memo Communications |
$426.69 |
|
|
|
Install Two-Way Radio - Fleet Maintenance |
|
|
|
|
Merriwa Supa IGA |
$94.28 |
|
|
|
Groceries For Youth Services Programs |
|
|
|
|
Miracle Recreation Equipment Pty Ltd |
$246.40 |
|
|
|
Clatterbridge Centre Boards - Parks Maintenance |
|
|
|
|
Miracle Ali End Caps - Parks Maintenance |
|
|
|
|
Mirco Bros Pty Ltd |
$883.63 |
|
|
|
Various Items - Parks Maintenance |
|
|
|
|
Mobile Glass |
$275.00 |
|
|
|
Glazing Services At Carramar Community Centre |
|
|
|
|
Morley Mower Centre |
$1,059.95 |
|
|
|
Vehicle Spare Parts - Fleet Maintenance & Depot Stores |
|
|
|
|
Mossys Mini Excavations |
$1,342.00 |
|
|
|
Underground Boring On Renshaw Avenue |
|
|
|
|
National Hire Trading Pty Limited |
$1,735.02 |
|
|
|
3 Monthly Backup Generator Services |
|
|
|
|
Netplus Computers |
$418.00 |
|
|
|
Creative Sound Blaster – IT Services |
|
|
|
|
Newscape Contractors |
$263.34 |
|
|
|
Carpark Cleaning At Leemans Landing |
|
|
|
|
Reticulation Repairs - Parks |
|
|
|
|
Novus Autoglass |
$242.00 |
|
|
|
Replace Windscreen To WN32451 - Fleet Maintenance |
|
|
|
|
Nuford |
$40,549.20 |
|
|
|
New Vehicle Purchase WN32490 PJ Ranger |
|
|
|
|
Ocean Keys Newsagency |
$454.90 |
|
|
|
Newspapers/Periodicals - Library Services |
|
|
|
|
Optima Press |
$4,401.10 |
|
|
|
Printing - Rates Information Flyers Rating Services |
|
|
|
|
Pacific Brands |
$115.43 |
|
|
|
Staff Uniforms - Waste Services & Fleet Services |
|
|
|
|
Peter Hunt Architect |
$62,518.50 |
|
|
|
Professional Fee: Claim No. 4 - Aquamotion |
|
|
|
|
Peter Wood Pty Ltd |
$731.50 |
|
|
|
Repair Conservation Fencing At Koondoola Regional Bushland - Parks Maintenance |
|
|
|
|
PJ & CA Contracting |
$594.15 |
|
|
|
Variation To Tender 05500 - Extra Parks For July 2007 |
|
|
|
|
PLE Computers |
$45.60 |
|
|
|
Flash Disk - Infrastructure Maintenance |
|
|
|
|
Pocket Phone |
$410.00 |
|
|
|
Nokia Car Kit - Health & Safety Services |
|
|
|
|
Podiatry Services |
$5,834.40 |
|
|
|
Podiatry Clinics - Community Services |
|
|
|
|
Prestige Alarms |
$1,350.49 |
|
|
|
Alarm Monitoring & Call Outs For July 07 |
|
|
|
|
Protector Alsafe |
$273.91 |
|
|
|
Various Items - Infrastructure Projects & Depot Stores |
|
|
|
|
Reclaim Industries Ltd |
$550.00 |
|
|
|
Repairs To Existing Surfacing At Dalvik Park |
|
|
|
|
Records Management Assoc of Aust |
$775.50 |
|
|
|
Membership Renewal For A Boyce M Keady-McCallum & V Fidock - Record Services |
|
|
|
|
Reekie Property Services |
$2,428.06 |
|
|
|
Cleaning Services - July 2007 |
|
|
|
|
Richgro |
$423.02 |
|
|
|
Mushroom Compost – Leisure Services |
|
|
|
|
Roads 2000 Pty Ltd |
$2,993.76 |
|
|
|
Roadworks - Engineering Services |
|
|
|
|
Rotowash Australia Pty Ltd |
$27.39 |
|
|
|
Quick Coulpling Nipples - Ranger Services |
|
|
|
|
Safety World |
$141.90 |
|
|
|
Rubber Nosing Strips - Building Maintenance |
|
|
|
|
Safetyquip |
$109.93 |
|
|
|
Fire Extinguisher & Blanket - Parks |
|
|
|
|
Schiavello WA Pty Ltd |
$58,463.90 |
|
|
|
Office Furniture - Infrastructure Projects |
|
|
|
|
Schindler Lifts Aust Pty Ltd |
$2,673.94 |
|
|
|
Lift Services At Civic Centre |
|
|
|
|
Scotts Trimming Service |
$264.00 |
|
|
|
Modify Seat Foams - Parks |
|
|
|
|
Site Architecture Studio |
$8,800.00 |
|
|
|
Architechtural Consultancy For The Animal Care Centre - Infrastructure Projects |
|
|
|
|
Solver Paints |
$235.38 |
|
|
|
Paint Supplies - Building Maintenance |
|
|
|
|
Sprayline |
$365.92 |
|
|
|
Carpark Cleaning At Leemans Landing |
|
|
|
|
Stanhope Healthcare Services Pty Lt |
$6,755.66 |
|
|
|
Support Services Hacc/Cacp Clients |
|
|
|
|
Sun City News |
$132.00 |
|
|
|
Advertising For August07 - Candidate Sessions |
|
|
|
|
Sun City Newsagency |
$36.80 |
|
|
|
Newspapers For Yanchep/Two Rocks Library |
|
|
|
|
Sunny Brushware Supplies |
$404.25 |
|
|
|
Brushware Supplies - Depot Stores |
|
|
|
|
Talkin' Dirty |
$1,482.03 |
|
|
|
Vehicle Cleaning - Waste Services |
|
|
|
|
Technical Irrigation Imports |
$3,025.69 |
|
|
|
Works At Marangaroo Golf Course - Parks |
|
|
|
|
Irrigation Supplies - Parks |
|
|
|
|
Technology One Ltd |
$6,380.00 |
|
|
|
General Consulting Services – IT Services |
|
|
|
|
The Pursuits Group |
$1,565.45 |
|
|
|
Support Services Hacc/Cacp Clients |
|
|
|
|
Toll Transport Pty Ltd |
$439.13 |
|
|
|
Courier Services - Various Departments |
|
|
|
|
Total Eden Watering Systems |
$105.72 |
|
|
|
Reticulation Items - Parks Maintenance |
|
|
|
|
Total Road Services |
$1,149.85 |
|
|
|
Traffic Control - Alexander Drive |
|
|
|
|
Viking Books |
$26.95 |
|
|
|
Book Purchases - Wanneroo Library |
|
|
|
|
WA Hino Sales & Service |
$178.48 |
|
|
|
Vehicle Spare Parts - Depot Stores |
|
|
|
|
Wangara Stationers |
$958.00 |
|
|
|
Outdoor Cabinet - Leisure Services |
|
|
|
|
Wanneroo Agricultural Machinery |
$385.00 |
|
|
|
Post Hole Digger - Parks |
|
|
|
|
Wanneroo Auto One |
$1,688.50 |
|
|
|
Compressors, Jumper Leads & Spotlights For Ranger Vehicles |
|
|
|
|
Wanneroo Caravan Centre & Steel Fabricators |
$1,360.70 |
|
|
|
Steel Fabrication Works - Engineering Maintenance |
|
|
|
|
Wanneroo Central Newsagency |
$161.20 |
|
|
|
Newspapers For Wanneroo Library |
|
|
|
|
Wanneroo Electric |
$1,867.72 |
|
|
|
Electrical Maintenance For City |
|
|
|
|
Wanneroo Hardware |
$171.07 |
|
|
|
Various Items - Parks Maintenance & Waste Services |
|
|
|
|
Wanneroo Plumbing |
$4,223.99 |
|
|
|
Plumbing Services For City |
|
|
|
|
Wanneroo Trophy Shop |
$80.00 |
|
|
|
Staff Name Badges For Various Staff |
|
|
|
|
Westbooks |
$509.94 |
|
|
|
Book Purchases – Children’s Book Week |
|
|
|
|
Book Purchases - Library Services |
|
|
|
|
Westfuel |
$770.35 |
|
|
|
Oil - Depot Stores |
|
|
|
|
Westrac |
$239.76 |
|
|
|
Parts - Fleet Maintenance |
|
|
|
|
Woodhouse Legal |
$4,294.40 |
|
|
|
Legal Fees: Public Transport Authority - Funding Agreement Dispute |
|
|
|
|
Legal Fees: Tah Land Pty Ltd - SAT Review - Structure Plan |
|
|
|
|
Legal Fees: General |
|
|
|
|
Legal Fees: Governance |
|
|
|
|
Legal Services: Infrastructure Projects |
|
|
|
|
Work Clobber |
$131.40 |
|
|
|
Staff Uniforms - Parks |
|
|
|
|
Worlds Best Products Pty Ltd |
$1,584.00 |
|
|
|
Graffiti Remover - Building Maintenance |
|
|
|
|
Worldwide Online Printing |
$594.00 |
|
|
|
Printing – Various Business Cards |
|
|
|
|
|
|
|
00000630 |
16/08/2007 |
|
|
|
|
|
Pacific Brands |
$2,703.73 |
|
|
|
Staff Uniforms - Outside Employee Issue |
|
|
|
|
|
|
|
00000631 |
15/08/2007 |
|
|
|
|
|
Councillor Alan Blencowe |
$583.33 |
|
|
|
Councillors Allowance |
|
|
|
|
Councillor Brett Treby |
$583.33 |
|
|
|
Councillors Allowance |
|
|
|
|
Councillor Glynis Monks |
$583.33 |
|
|
|
Councillors Allowance |
|
|
|
|
Councillor Ian Goodenough |
$583.33 |
|
|
|
Councillors Allowance |
|
|
|
|
Councillor Laura Gray |
$583.33 |
|
|
|
Councillors Allowance |
|
|
|
|
Councillor Mark Pearson |
$583.33 |
|
|
|
Councillors Allowance |
|
|
|
|
Councillor Rudi Steffens |
$583.33 |
|
|
|
Councillors Allowance |
|
|
|
|
Councillor Terry Loftus |
$583.33 |
|
|
|
Councillors Allowance |
|
|
|
|
Councillor Tracey Roberts |
$583.33 |
|
|
|
Councillors Allowance |
|
|
|
|
Mayor J Kelly |
$6,166.67 |
|
|
|
Mayoral Allowance |
|
|
00000632 |
22/08/2007 |
|
|
|
|
|
3 Australia |
$590.67 |
|
|
|
Fire Service Pager A/C For August 07 |
|
|
|
|
Australia Post |
$10,348.30 |
|
|
|
Mail Preparation ForJuly07 |
|
|
|
|
Australian Taxation Office PAYG Payments |
$6,383.00 |
|
|
|
Payroll Ded: Non Cycle Pay |
|
|
|
|
Beatrix Rausch |
$83.32 |
|
|
|
Key Holder - Phil Renkin Recreation Centre, Oldham Park Kiosk & Changerooms, St Andrews Clubrooms, Oldham Reserve & Other Parks |
|
|
|
|
Joe Arrigo |
$91.66 |
|
|
|
Tennis Booking/Key Holder - Elliott Road Tennis Courts & Wanneroo Community Centre |
|
|
|
|
Mr Pasqualino Bracone |
$274.90 |
|
|
|
Reimbursement Of Vehicle Expenses |
|
|
|
|
Mr Robert Cramp |
$80.85 |
|
|
|
Telephone Subsidy 22/07-21/10/07 |
|
|
|
|
Mr Rudolf Schiller |
$83.32 |
|
|
|
Key Holder - Clarkson Youth Centre, Anthony Waring Clubrooms & Park |
|
|
|
|
Ms Hazel Owen |
$41.66 |
|
|
|
Key Holder - Warradale Community Hall |
|
|
|
|
Nick Del Borrello |
$495.00 |
|
|
|
Contract Labour - Fleet Maintenance |
|
|
|
|
Peggy Brown |
$83.32 |
|
|
|
Key Holder - Jenolan Way Community Centre, Addison Park Clubrooms & Parks |
|
|
|
|
Trailer Parts Pty Ltd |
$224.77 |
|
|
|
Vehicle Spare Parts – Fleet Services |
|
|
|
|
|
|
|
00000633 |
22/08/2007 |
|
|
|
|
|
Aarons Florist |
$153.50 |
|
|
|
Flowers (Boxed Arrangement) – Mayor’s Office |
|
|
|
|
AHG Paper & Magazine Delivery |
$16.40 |
|
|
|
Newspapers For Girrawheen Library |
|
|
|
|
Air Liquide WA Pty Ltd |
$368.52 |
|
|
|
Gas Cylinder Hire - Depot Stores |
|
|
|
|
Allmark & Associates Pty Ltd |
$98.89 |
|
|
|
Stamps - Infrastructure Planning |
|
|
|
|
Amcap Distribution Centre |
$3,977.28 |
|
|
|
Vehicle Spare Parts - Fleet Maintenance & Depot Stores |
|
|
|
|
Arena Joondalup |
$271.66 |
|
|
|
Room Hire For Winners Club 20/07/07 - Leisure Services |
|
|
|
|
Dolphin Swim Program 23/07/07-31/07/07 - Leisure Services |
|
|
|
|
Australasian Seal Co. |
$259.16 |
|
|
|
Metal Case Wipers For Stores |
|
|
|
|
Australian Institute of Management |
$10,344.00 |
|
|
|
Training - Module 9: Industrial Relations Legislation 19/07/07 Middle Management Training - Human Resources |
|
|
|
|
Training - Module 6: Innovation & Change 12/07/07 Middle Management Training - Human Resources |
|
|
|
|
Training - Module 6: Innovation & Change 11/07/07 Middle Management Training - Human Resources |
|
|
|
|
Training - Executive Group Development Program 27/07/07 – Human Resources |
|
|
|
|
Training - Innovation & Change - Making It Happen 27/08/07 – Human Resources |
|
|
|
|
Australian Interaction Consultants |
$2,398.00 |
|
|
|
Aboriginal Heritage Monitoring & Reporting - Infrastructure Projects |
|
|
|
|
Australian Paper Recovery Pty Ltd |
$2,461.58 |
|
|
|
Recycling 30/07/07 - 05/08/07 - Waste Services |
|
|
|
|
Battery World |
$550.00 |
|
|
|
Marine Grade Batteries - Fire Services |
|
|
|
|
Beaurepaires For Tyres |
$3,756.04 |
|
|
|
Tyre Fitting Services |
|
|
|
|
Belair Smash Repairs Pty Ltd |
$500.00 |
|
|
|
Insurance Excess For WN31872 |
|
|
|
|
BGC Blokpave |
$7,253.79 |
|
|
|
Antique Blend Pavers - Engineering Construction |
|
|
|
|
Easipave - Engineering Construction |
|
|
|
|
BGC Concrete |
$461.34 |
|
|
|
Materials For Las Ramblas Cir - Engineering Maintenance |
|
|
|
|
Boral Construction Materials Group Ltd |
$3,301.65 |
|
|
|
Drainage Materials Delivered - Engineering |
|
|
|
|
Bunnings Pty Ltd |
$492.73 |
|
|
|
Various Items - Fire & Heritage Services |
|
|
|
|
Cable Logic Pty Ltd |
$858.00 |
|
|
|
Install 3 X Data Outlets – IT Services |
|
|
|
|
Carringtons Traffic Services |
$501.60 |
|
|
|
Traffic Control At Gnangara Road |
|
|
|
|
Challenge Batteries WA |
$468.60 |
|
|
|
Vehicle Batteries - Fleet Maintenance & Depot Stores |
|
|
|
|
Chef Excel Pty Ltd |
$1,907.55 |
|
|
|
Catering - Council Buffet 20/07/07 & 07/08/07 |
|
|
|
|
Catering - Leadership WA 25/07/07 |
|
|
|
|
Clean Sweep |
$181.50 |
|
|
|
Sweeping Services For City |
|
|
|
|
Coates Hire Operations Pty Ltd |
$681.99 |
|
|
|
7 X Sewer Connect Toilets - Infrastructure Projects |
|
|
|
|
Coffee Advisory Service |
$175.00 |
|
|
|
Coffee For Elected Members - Hospitality |
|
|
|
|
Comfort Keepers |
$175.01 |
|
|
|
Support Services Hacc/Cacp Clients |
|
|
|
|
Communique Wangara |
$215.00 |
|
|
|
Mobile Phone Chargers & Pouches - Fire Services |
|
|
|
|
Cottman Australia |
$257.69 |
|
|
|
First Aid Supplies - Community Services |
|
|
|
|
Courier Australia |
$26.08 |
|
|
|
Courier Services – Fleet Services |
|
|
|
|
Coventrys |
$2,721.68 |
|
|
|
Various Items - Fleet Maintenance &Depot Stores |
|
|
|
|
Cummins South Pacific Pty Ltd |
$3.80 |
|
|
|
Various Parts – Fleet Services |
|
|
|
|
Daniels Sharpsmart Australia Pty Ltd |
$159.34 |
|
|
|
S22 Yellow Disposal Bins - Environmental Health |
|
|
|
|
Dowsing Concrete |
$15,278.29 |
|
|
|
Install Footpath At Connolly Drive - Engineering Construction |
|
|
|
|
Drive In Electrics |
$1,546.55 |
|
|
|
Vehicle Electrical Maintenance - Fleet Services |
|
|
|
|
Driveshaft Balancing Services |
$580.00 |
|
|
|
Repair Driveshaft To Plant 98150 – Fleet Services |
|
|
|
|
E'Co Australia Ltd |
$266.20 |
|
|
|
Bags Of Rags - Depot Stores |
|
|
|
|
Ecosystem Management Services |
$208.78 |
|
|
|
Endemic Tube Stock For Coastal Rehabilitation Project Sites - Infrastructure Maintenance Wetlands |
|
|
|
|
Elliotts Irrigation Pty Ltd |
$2,276.29 |
|
|
|
Reticulation Items - Parks Maintenance |
|
|
|
|
Equal Opportunity Commission |
$396.00 |
|
|
|
Equal Opportunity Law & Workplace Culture Courses - Attendee W Crawford |
|
|
|
|
European Foods Wholesalers Pty Ltd |
$136.02 |
|
|
|
Chocolates For Elected Members |
|
|
|
|
Find Wise |
$1,477.85 |
|
|
|
Location Of Services - Engineering Construction |
|
|
|
|
Finns Removals |
$192.50 |
|
|
|
Transportation Of Piano From Regents Gardens Resort To Gumblossom Community Centre - Community Services |
|
|
|
|
Fire & Safety WA |
$46.20 |
|
|
|
First Aid Stickers - Fire Services |
|
|
|
|
Foodlink Food Service |
$216.39 |
|
|
|
Food/Beverages - Hospitality |
|
|
|
|
Forcorp Pty Ltd |
$1,600.50 |
|
|
|
Amber Quad Strobe Light - Depot Stores |
|
|
|
|
Framecor Picture Framers |
$267.60 |
|
|
|
Picture Tracks - Human Resources |
|
|
|
|
Frediani Milk Wholesalers |
$336.88 |
|
|
|
Milk Delivery For City |
|
|
|
|
Fuji Xerox Australia Pty Ltd |
$5,160.19 |
|
|
|
Equipment Lease - Reprographic Services |
|
|
|
|
Gecko Contracting Turf & Landscape Maintenance |
$15,337.30 |
|
|
|
Streetscape Maintenance For Various Suburbs - Parks |
|
|
|
|
GHD Pty Ltd |
$1,320.00 |
|
|
|
Ottawa Way Stormwater Drain Tree Planting Asbestos Management Plan - Infrastructure Maintenance Conservation |
|
|
|
|
Grand Toyota Daihatsu |
$648.15 |
|
|
|
Servicing Of 3 Vehicles - Fleet Maintenance |
|
|
|
|
Hart Sport |
$1,486.14 |
|
|
|
Sports Equipment – Leisure Services |
|
|
|
|
Hitachi Construction Machinery Pty Ltd |
$2,122.26 |
|
|
|
Vehicle Filters - Depot Store |
|
|
|
|
Home Chef |
$354.83 |
|
|
|
Meals For Hacc/Cacp Clients |
|
|
|
|
Homecare Options |
$18,822.83 |
|
|
|
Support Services Hacc/Cacp Clients |
|
|
|
|
Humes |
$275.00 |
|
|
|
Drainage Materials Delivered - Engineering |
|
|
|
|
Instant Marquee System |
$440.00 |
|
|
|
Hire Of Marquee For National Tree Day - Conservation |
|
|
|
|
Integrated Group Ltd - Accounts Receivable |
$17,226.32 |
|
|
|
Casual Labour - Various Departments |
|
|
|
|
J Blackwood & Son Ltd |
$1,102.99 |
|
|
|
Pedestal Drill Press –Fleet Services |
|
|
|
|
Jtagz Pty Ltd |
$211.20 |
|
|
|
Red 95MM Wrapstrap Dog Tags – Rangers Services |
|
|
|
|
Kyocera Mita Aust P/L |
$83.25 |
|
|
|
Photocopier Meter Reading - Infrastructure Maintenance |
|
|
|
|
Landscape Development |
$9,292.05 |
|
|
|
Maintenance - Additional Works At Kingsbridge For December 2006 & January, February & March 2007 - Infrastructure Projects |
|
|
|
|
Leisure Institute of WA Aquatics |
$575.00 |
|
|
|
Conference 2007- Attendees D Wright & B Depiazz – Leisure Services |
|
|
|
|
Litestrong |
$13,287.00 |
|
|
|
Integrated Canopy To Suit Extra Cab Triton 2006 – Fleet Services |
|
|
|
|
MacDonald Johnston Engineering Company Pty Ltd |
$2,584.63 |
|
|
|
Vehicle Spare Parts - Depot Stores & Fleet Maintenance |
|
|
|
|
Major Motors |
$283.44 |
|
|
|
Air & Fuel Filters - Depot Stores |
|
|
|
|
Mayday Earthmoving |
$561.00 |
|
|
|
Mini Excavator - Gumblossom Reserve |
|
|
|
|
Memo Communications |
$571.23 |
|
|
|
Supply & Fit Antenna To WN32313 |
|
|
|
|
Install Two-Way Radio To WN32491 |
|
|
|
|
Merriwa Supa IGA |
$64.47 |
|
|
|
Food For Youth Services Programs |
|
|
|
|
Midalia Steel Pty Ltd |
$263.79 |
|
|
|
Steel - Waste Services |
|
|
|
|
Mobile Glass |
$2,048.20 |
|
|
|
Glazing Services For City |
|
|
|
|
Morley Mower Centre |
$87.00 |
|
|
|
Vehicle Spare Parts – Depot Stores |
|
|
|
|
MP Rogers & Associates Pty Ltd |
$3,451.80 |
|
|
|
Professional Services: Quinns Mindarie Coastal Management - Infrastructure Projects |
|
|
|
|
Newscape Contractors |
$21,559.36 |
|
|
|
Landscaping - Yanchep/Two Rocks For July 2007 |
|
|
|
|
Northern 4WD Centre |
$74.30 |
|
|
|
Fit H/D Tow Points & Replace Globes To Prado - Fire Services |
|
|
|
|
Northern Districts Pest Control |
$451.00 |
|
|
|
Pest Control For City |
|
|
|
|
Novus Autoglass |
$489.50 |
|
|
|
Supply & Fit Flat Lam Side Window To WN32179 |
|
|
|
|
Nuford |
$20,466.25 |
|
|
|
New Vehicle Purchase PJ Ranger XL Cab Shassis WN32489 |
|
|
|
|
Ocean Keys Newsagency |
$559.65 |
|
|
|
Newspapers/Periodicals - Girrawheen Library |
|
|
|
|
Onesteel Distribution |
$180.40 |
|
|
|
Steel Suppliers – Fleet Services |
|
|
|
|
Optima Press |
$3,369.30 |
|
|
|
Printing Of Tip Passes - Waste Services |
|
|
|
|
Orchid Cove Pty Ltd |
$76.70 |
|
|
|
Dry Cleaning For May & June 07 - Fire Services |
|
|
|
|
P Rond & Co |
$18,752.80 |
|
|
|
Test Bore Hole At Houghton Park - Parks |
|
|
|
|
Pacific Brands |
$251.96 |
|
|
|
Staff Uniforms For City Employees |
|
|
|
|
Perth Bin Hire |
$6,050.00 |
|
|
|
Bin Hire - Waste Services |
|
|
|
|
Pirtek Malaga Pty Ltd |
$446.72 |
|
|
|
Vehicle Hoses - Fleet Maintenance |
|
|
|
|
Pocket Phone |
$2,460.00 |
|
|
|
Nokia CK-7W Complete Hands Free Car Kit Fitted To 6 Vehicles - IT Services |
|
|
|
|
Protector Alsafe |
$772.13 |
|
|
|
Safety Items For Various Departments |
|
|
|
|
Qualcon Laboratories |
$313.50 |
|
|
|
Asphalt Test At Connolly Drive - Engineering Construction |
|
|
|
|
Grading - Connolly Drive/McNaughton Cr - Engineering |
|
|
|
|
Quantum Multimedia Communications |
$82.90 |
|
|
|
SMS Account For July 2007 - Fire Services |
|
|
|
|
Recall Total Information Management |
$424.44 |
|
|
|
Item Retrievals/Collections - Record Services |
|
|
|
|
Recycling Design & Technologies (Au Pty Ltd |
$511,978.50 |
|
|
|
Upgrade Of Sorting Plant At Badgerup Tip - Waste Services |
|
|
|
|
Red Hot Parcel Taxi |
$57.17 |
|
|
|
Courier Services – Fleet Services |
|
|
|
|
Repco - Bayswater |
$4,002.02 |
|
|
|
Various Parts - Fleet Maintenance |
|
|
|
|
Royal Life Saving Society Australia |
$150.00 |
|
|
|
Heart Beat Club Group 24/07/07 - Community Services |
|
|
|
|
Safety World |
$170.50 |
|
|
|
Beacon Amber Magnetic Base - Parks |
|
|
|
|
Schindler Lifts Aust Pty Ltd |
$89.28 |
|
|
|
Alexander Heights Community Centre For August 2007 |
|
|
|
|
Scotts Trimming Service |
$1,075.00 |
|
|
|
Shade Cloth Tarps - Parks |
|
|
|
|
Sealanes |
$2,640.16 |
|
|
|
Food/Beverages - Hospitality/Marketing |
|
|
|
|
Spotlight Stores Pty Ltd |
$160.39 |
|
|
|
Various Items - Youth Services |
|
|
|
|
Stampalia Contractors |
$13,464.00 |
|
|
|
Heavy Equipment Hire For City |
|
|
|
|
State Library of Western Australia |
$511.50 |
|
|
|
Lost/Damaged Book Charges |
|
|
|
|
Stewarts Laundry Service |
$340.44 |
|
|
|
Laundry Services - Hospitality |
|
|
|
|
Sunny Sign Company |
$7,064.20 |
|
|
|
Directional Signs & Name Plates - Engineering |
|
|
|
|
Taktics4 |
$4,620.00 |
|
|
|
Retail Review For Ashby/Tapping Structure Plann – Planning Services |
|
|
|
|
The Carers |
$50.45 |
|
|
|
Support Services Hacc/Cacp Clients |
|
|
|
|
The Donington Group Pty Ltd |
$4,125.00 |
|
|
|
Career Search Program For H Smallwood |
|
|
|
|
The Printing Factory |
$612.30 |
|
|
|
Building Infringement Notice Book - Building & Health |
|
|
|
|
Tiger Tek Pty Ltd |
$497.32 |
|
|
|
Survey Tape & Road Paint - Depot Stores |
|
|
|
|
Titan Recruitment and Consulting |
$5,843.75 |
|
|
|
Consulting Services For Projects Management Of Trunked Mobile Radio System - IT Services |
|
|
|
|
Toll Transport Pty Ltd |
$1,352.13 |
|
|
|
Courier Services For Various Departments |
|
|
|
|
Total Eden Watering Systems |
$29.80 |
|
|
|
Reticulation Items - Parks |
|
|
|
|
Toyota Material Handling (WA) Pty L |
$100.98 |
|
|
|
Spare Parts - Fleet |
|
|
|
|
T-Quip |
$265.05 |
|
|
|
Vehicle Spare Parts – Fleet &Depot Stores |
|
|
|
|
Turfmaster Pty Ltd |
$4,365.90 |
|
|
|
Weed Control At Various Locations |
|
|
|
|
Vetwest Animal Hospital |
$66.20 |
|
|
|
Small Animal Consultation |
|
|
|
|
Vibra Industrial Filtration Australia |
$149.60 |
|
|
|
Air Filters - Depot Stores |
|
|
|
|
WA Flying Disc Association Inc |
$405.00 |
|
|
|
Junior Multi-Sport Ultimate Disc Sessions - Leisure Services |
|
|
|
|
WA Hino Sales & Service |
$38.64 |
|
|
|
Vehicle Spare Parts – Fleet Services |
|
|
|
|
WA Local Government Assoc |
$12,885.38 |
|
|
|
Advertising For City - July07 |
|
|
|
|
Wanneroo Agricultural Machinery |
$403.99 |
|
|
|
Various Parts – Parks & Fleet Maintenance |
|
|
|
|
Wanneroo Electric |
$6,604.19 |
|
|
|
Electrical Maintenance For City |
|
|
|
|
Wanneroo Hardware |
$1,381.83 |
|
|
|
Hardware Purchases For Various Departments |
|
|
|
|
Wanneroo Plumbing |
$3,588.57 |
|
|
|
Plumbing Maintenance For City |
|
|
|
|
Wanneroo Towing Service |
$1,727.00 |
|
|
|
Towing Abandoned Vehicles |
|
|
|
|
West Australian Nursing Agency |
$1,120.13 |
|
|
|
Immunisation Program - Health Services |
|
|
|
|
Westfuel |
$789.23 |
|
|
|
Unleaded Petrol - Depot Stores |
|
|
|
|
Woodhead International |
$2,475.00 |
|
|
|
Architectural Consultancy For Butler Community Centre - Infrastructure Projects |
|
|
|
|
Work Clobber |
$259.20 |
|
|
|
Staff Uniforms For D & H Kendrick – Waste Services |
|
|
|
|
Worklink |
$792.00 |
|
|
|
Training Manual Handling 10 & 31/07/07 -Parks Staff |
|
|
|
|
Yakka Pty Ltd |
$3,262.16 |
|
|
|
Uniforms For City Employees |
|
|
|
|
|
|
|
00000634 |
24/08/2007 |
|
|
|
|
|
Civica Pty Ltd |
$2,040.00 |
|
|
|
Registration - 2007 Civic National User Group Conference 28-30/10/07 – Attendees Lucia Lam & John Paton |
|
|
|
|
|
|
|
00000636 |
29/08/2007 |
|
|
|
|
|
Austral Mercantile Collections Pty |
$793.33 |
|
|
|
Debt Collection Costs & Commission For July07 - Accounts Receivable |
|
|
|
|
Australia Post |
$1,688.72 |
|
|
|
Postage Charges - Mail Prep For July07 |
|
|
|
|
Australian Manufacturing Workers Union |
$173.00 |
|
|
|
Employee Super Contributions |
|
|
|
|
Australian Services Union |
$936.90 |
|
|
|
Employee Super Contributions |
|
|
|
|
Australian Taxation Office PAYG Payments |
$239,819.00 |
|
|
|
Employee Super Contributions |
|
|
|
|
CFMEU WA Branch |
$48.00 |
|
|
|
Employee Super Contributions |
|
|
|
|
Child Support Agency |
$1,806.99 |
|
|
|
Employee Super Contributions |
|
|
|
|
City of Wanneroo - Social Club |
$426.00 |
|
|
|
Employee Super Contributions |
|
|
|
|
HBF Insurance |
$2,558.35 |
|
|
|
Employee Super Contributions |
|
|
|
|
LGRCEU |
$1,291.84 |
|
|
|
Employee Super Contributions |
|
|
|
|
Mr Daniel Simms |
$54.88 |
|
|
|
Reimbursement - Home Telephone Line Rental & Broadband |
|
|
|
|
Mr John Love |
$96.30 |
|
|
|
Reimbursement -Conference Expenses |
|
|
|
|
Mr Robert Cramp |
$30.00 |
|
|
|
Reimbursement - Mobile Phone |
|
|
|
|
Mrs Louise Marie Stoner |
$123.19 |
|
|
|
Reimbursement - Ribbon For Opening Of Connolly Drive 24/08/07 |
|
|
|
|
Ms Cherie Forbes |
$17.98 |
|
|
|
Reimbursement - 50% Internet & Data Usage From Home |
|
|
|
|
Nick Del Borrello |
$1,683.00 |
|
|
|
Contract Labour - Fleet Maintenance |
|
|
|
|
Selectus Salary Packaging |
$12,079.09 |
|
|
|
Employee Super Contributions |
|
|
|
|
Trailer Parts Pty Ltd |
$102.70 |
|
|
|
Vehicle Spare Parts - Fleet Maintenance |
|
|
|
|
UDIA(WA) |
$2,000.00 |
|
|
|
Tickets - Awards For Excellence 2007 Table Of Ten - Office Of CEO |
|
|
|
|
|
|
|
|
|
Total Director Corporate Services Advance - EFT'S |
$4,047,735.98 |
|
|
|
|
|
|
BANK FEES |
|||
|
|
|
Bank Fees Debited - Returned Item Fees |
$3.00 |
|
|
|
|
|
|
|
|
Total |
$3.00 |
|
|
|
|
|
|
General Fund Bank Account |
|||
|
|
|
Payroll Payments: |
|
|
00000000 |
|
Payment of Wages: Non Cycle Pay |
$7,999.18 |
|
|
|
Payment of Wages: Fortnightly Pay Period |
$814,536.26 |
|
|
|
Payment of Wages: Non Cycle Pay |
$1,698.50 |
|
|
|
Payment of Wages: Non Cycle Pay |
$18,596.01 |
|
|
|
Payment of Wages: Non Cycle Pay |
$1,426.47 |
|
|
|
Payment of Wages: Fortnightly Pay Period |
$843,032.51 |
|
|
|
Payment of Wages: Non Cycle Pay |
$15,808.97 |
|
|
|
Payment of Wages: Non Cycle Pay |
$7,744.43 |
|
|
|
|
|
|
|
|
Total |
$1,710,842.33 |
|
|
|
|
|
|
|
|
Bank Fees August 2007: |
|
|
|
|
CBA Merchant Fees |
$456.76 |
|
|
|
CBA Pos Fee Waste Services Eftpos |
$59.00 |
|
|
|
CBA Pos Fee |
$143.89 |
|
|
|
BPayFee |
$666.67 |
|
|
|
GLF Trans Fee |
$300.00 |
|
|
|
Line Fee |
$208.30 |
|
|
|
Trans Negotiation Auth Limit Fee |
$58.33 |
|
|
|
Account Service Fee |
$613.62 |
|
|
|
Diamond Cash Trans Fee |
$62.66 |
|
|
|
COMMBIZ Fee |
$383.79 |
|
|
|
|
|
|
|
|
Credit Card Payments: |
|
|
|
|
A/DCS - Hospitality (Budget Team and Contacts & Property) |
$309.55 |
|
|
|
A/DCS - Airfares For J Royle |
$518.40 |
|
|
|
DI - Asset Management Forum |
$80.00 |
|
|
|
DI - Hospitality |
$32.90 |
|
|
|
DI - IPWEA Info Forum (D Blair, I Baker, A Millard) |
$66.00 |
|
|
|
DCD - PowerPoint Seminar (F Bentley& J Greene) |
$598.00 |
|
|
|
DCD – Accommodation & Booking Fee For M Brennard |
$875.73 |
|
|
|
DCD - Transaction Fee |
$12.86 |
|
|
|
DCD - Hospitality |
$92.50 |
|
|
|
A/CEO – Hospitality (Oakvale Ltd) |
$148.00 |
|
|
|
A/CEO - Hospitality (A Gillespie & G Blades) |
$17.00 |
|
|
|
A/CEO - Hospitality (Executive Team) |
$205.50 |
|
|
|
A/CEO - Airfares For J Love |
$970.00 |
|
|
|
A/CEO - Airfares For V Barry |
$589.41 |
|
|
|
A/CEO - Hospitality (J Paton & F Allen) |
$45.50 |
|
|
|
A/CEO - Hospitality (J Paton) |
$28.90 |
|
|
|
A/CEO - Airfares |
$38.50 |
|
|
|
|
|
|
|
|
Advance Recoup August 2007 |
$5,770,846.11 |
|
|
|
|
|
|
|
|
Total |
$5,778,427.88 |
|
|
|
|
|
|
CANCELLED PAYMENTS |
|||
|
00064826 |
20/06/2007 |
MM & KL Byrne |
-$175.81 |
|
00064775 |
20/06/2007 |
Jessica Blackwell |
-$200.00 |
|
|
|
|
|
|
|
|
Total |
-$375.81 |
|
|
|
|
|
|
|
|
TOTAL AUGUST MUNICIPAL RECOUP |
$5,770,846.11 |
EndOfRecommendation - This line will not be printed Please do NOT delete
File Ref: S13/0002V11
File Name: BB Financial Activity Statement for the Period Ending 31 August 2007.doc This line will not be printed dont delete
Responsible Officer: Acting Director, Corporate Services
Disclosure of Interest: Nil
Author: Senior Budget Officer
Meeting Date: 9 October 2007
Attachment(s): 2
StartStrip - This line will not be printed Please do NOT delete
Issue
To consider Financial Activity Statements for the period ended 31 August 2007.
Background
Regulation 34(1) of the Local Government (Financial Management) Regulations 1996 requires a local government to prepare each month a statement of financial activity, presented according to nature and type, by program, or by business unit. Administration has opted to present the statement of financial activity by nature and type and in a similar format to that presented in the Rate Setting Statement for the 2007/2008 Annual Budget. This format separates operating revenue and expenditure from other revenue and expenditure and provides improved disclosure of Council’s underlying operating result.
The Financial Activity Statement is in the form of an Income Statement and Balance Sheet. The Income Statement compares year to date actual income and expenditure with the year to date budget, shows variances, the adopted budget and the revised budget (if any). The Balance Sheet shows the current status of the City’s assets and liabilities.
In addition to the above, Regulation 34(1) of the Local Government (Financial Management) Regulations 1996 requires a local government to adopt a percentage or value, calculated in accordance with Australian Accounting Standards, to be used in statements of financial activity for reporting material variances. At its meeting of 31 October 2006, Council adopted 10% for the reporting of variances for financial activities.
Detail
The attached Statement of Financial Activity for the period ended 31 August 2007 represents the two (2) months results of the financial year.
As an ongoing process, each Service Unit is required to review and monitor its actual and budget financials monthly. Between 1 January and 31 March, the City will carry out a comprehensive review of its annual budget. This comprehensive review forms the basis of the City’s review of the annual budget as required under Regulation 33A of the Local Government (Financial Management) Regulations 1996.
Comments on the financial performance compared to year to date budget are set out below.
Consultation
Nil
Comments
The following comments are provided on the Income Statement and Balance Sheet for the period ended 31 August 2007:-
Income Statement (Attachment 1 refers)
Operating Result (Operating Revenue – Operating Expenses)
YTD Actual $47.269 million
YTD Budget $44.760 million
YTD Variance -$2.510 million (-35%)
Full Year Budget -$26.295 million
The following information is provided on key aspects of the year to date operating result: -
Operating Revenue
YTD Actual $60.374 million
YTD Budget $63.499 million
YTD Variance -$3.125 million (-5%)
Full Year Budget $89.843 million
The year to date operating revenue budget is equivalent to 70% of the full year budget, which predominantly captured all rates and rubbish collection fee income (excluding interim accounts) for the new financial year and was 100% booked as accrued income in the month of August.
The largest component of the operating revenue is Rates, equalling $46 million year to date. In terms of the year to date actual versus budget, we are showing that we are on track, however this is primarily in relation to the raising of the rates in the system, not necessarily the cash flow. With regards to the cash flow, of the amount raised, the city had received only a very small percentage being the first payment is not due until the 17 September. A further $15 million has been receipted by 20 September.
Grants and Subsidies – operating was below budget by $584K/35% mainly due to a lower than expected receipt of State government and Commonwealth Government Grant Income year to date. Administration will monitor progress against budget over the coming months to ensure all budgeted Grant and Contribution –operating income is received.
Contributions, Reimbursements and Donations Income were receipted in various areas with anticipation that the full year budget be achieved. The favourable variance of $72K/+29% year to date when comparing actual against budget was primarily a timing factor that various income under this category were receipted earlier than expected.
$9.8 million of the fees and charges represented rubbish collection fee, which was raised along with our rates notices and accrued as income fully in August.
Interest earning was below budget by $240K/5% primarily due to the recent financial market turbulence initiated by the sub-prime mortgages crises in the USA.
However, given all the City’s investments are placed in low risk cash enhanced funds, the City’s investment portfolio, which amounts to $104 million as at the end of August, 2007, remains prudently stable and secured when comparing to a $103.3 million portfolio as at the end of 30 June 2007.
Operating Expenses
YTD Actual -$13.105 million
YTD Budget -$18.740 million
YTD Variance +$5.635 million (+30%)
Full Year Budget -$116.139 million
Overall, operating expenses year to date is below budget, mainly due to the timing differences in the actual materials and contracts works and insurance expenses, compared to budget spreads which was loaded on a pro-rata basis.
Employee costs was on target as budgeted, which represented about 40% of the year to date expenses in actual. The $130K interest expenses represented the quarterly repayment due to Western Australia Treasury Corporation in relation to the City’s $8.5 loan.
It is worth noting that the year to date budget for insurance captured 90% of the full year expenses, as insurance premiums are normally due at the beginning of the financial year. However, the City selected to pay the Municipal Liability Scheme Contribution by two instalments this year leading to a below budget expenses of $197K/29%.
Other Revenue and Expenses
YTD Actual $2.348 million
YTD Budget -$.017 million
YTD Variance $2.366 million (13,830%)
Full Year Budget $65.173 million
Overall, the anticipated revenue has not arrived and the variance is plainly due to the timing differences in the actual receipt of revenues compared to budget, which was spread on a pro-rata basis.
Balance Sheet (Attachment 2 refers)
The Balance Sheet as at 31 August 2007 has shown a considerable increase in receivables over the brought forward balance, which is primarily due to the raising of our annual rates. The full year capital works budget was adopted at $97.66 million. This is inclusive of $24.58 million carried forward works from 2006/07 and $73.08 million in new works as detailed below -
YTD Actual
Works carried forward from 06/07 $24.58 million
New works for 07/08:
Investment $13.08 million $0.000 million
Corporate $4.37 million $0.459 million
Community $12.66 million $0.407 million
Recreation & Sport $14.92 million $0.336 million
Transport $20.26 million $0.764 million
Drainage $0.09 million $0.000 million
Coast & Waterway $0.47 million $0.000 million
Waste Management $7.23 million $1.190 million
Total New Works $73.08 million
Total Capital Works $97.66 million $3.286 million
As noted above, only a minimal amount has been costed against city’s capital works program year to date. Considerable expenditures are yet to occur for a number of major projects such as the new Cultural and Learning Centre ($11.500 million), Aquamotion Upgrade ($8.373 million), Materials Recovery Facility Upgrade ($4.075 million) and the Pinjar Road Realignment ($3.650 million).
Statutory Compliance
The monthly financial report for the period ended 31 August 2007 complies with Section 6.4 of the Local Government Act 1995 and Regulations 34 of the Local Government (Financial Management) Regulations 1996.
Strategic Implications
Outcome 4 – Governance – “Leadership and Community engagement to ensure the best use of our physical, financial and human resources”
Policy Implications
Nil.
Financial Implications
As outlined above and detailed in Attachments 1 and 2.
Voting Requirements
Simple Majority
EndStrip - This line will not be printed Please do NOT delete
Recommendation
That Council RECEIVES the Financial Activity Statement report for the month of August 2007.
EndOfRecommendation - This line will not be printed Please do NOT delete
StartOfAttachment - Do not delete this line will not be printed

EndOfAttachment - Do not delete this line will not be printed
StartOfAttachment - Do not delete this line will not be printed


EndOfAttachment - Do not delete this line will not be printed
File Ref: P23/0097V01
File Name: CA Proposed Sale of Part Lot 600 Wattle Avenue Neerabup.doc This line will not be printed dont delete
Responsible Officer: Acting Director, Corporate Services
Disclosure of Interest: Nil
Author: Acting Director, Corporate Services
Meeting Date: 9 October 2007
Attachments: 1
StartStrip - This line will not be printed Please do NOT delete
Issue
To consider the sale of a 10 hectare portion of Lot 600 (formerly Pt Lot 2692) Wattle Avenue, Neerabup to Griffin Generation Pty Ltd.
Background
The City has the freehold ownership of the following property:-
Address: 570 Wattle Avenue, Neerabup WA 6031
Legal Description: Estate in fee simple and being Lot 600 on Deposited Plan 302260
Certificate of Title: Vol 87 Folio 163A
Land Area: 47.3281 ha
The majority of Lot 600 (formerly Pt Lot 2692) is zoned Regional Reservation – Parks and Recreation, with the north-western portion (10.78 hectares) under lease to the Tiger Kart Club Inc. The south-western corner (approx. 10 hectares) is zoned Industrial Development and is covered by the Neerabup Industrial Area Structure Plan (Attachment 1 refers).
Council at it’s meeting held on Tuesday 28 August 2007 considered report CR02-08/07 dealing with an offer to purchase a 10 hectare portion of Lot 600 by Griffin Generation Pty Ltd for the sum of $10m for the purpose of establishing a gas turbine power station. As a result, the following resolution was adopted:
“That Council:-
1. NOTES the offer submitted by Griffin Generation Pty Ltd for the purchase of a 10 hectare site on the City’s Lot 600 (formerly Pt Lot 2692) Wattle Avenue, Neerabup;
2. AUTHORISES the publication of a Local Public Notice in the Wanneroo Times outlining the proposed disposition in 1) above in accordance with Section 3.58 (3) of the Local Government Act 1995;
3. NOTES that a further report will be presented at the conclusion of the public submission period to formally consider the proposed disposition in 1) above; and
4. AUTHORISES the Acting Chief Executive Officer to investigate strategic land investment opportunities and report back on recommendations.”
In accordance with the requirements of Section 3.58(3) of the Local Government Act 1995 (the Act), a Local Public Notice was advertised in the Wanneroo Times on 4 September 2007. The Notice included an invitation for public comment on the proposal to be submitted prior to 18 September 2007. No submissions were received.
Detail
The initial offer submitted by Griffin Energy Developments Pty Ltd on behalf of Griffin Generation Pty Ltd (Griffin) was for $10,000,000 inclusive of GST, however, in a letter dated 22 August 2007 this was increased to $10,000,000 plus GST and included the following statement:-
“Griffin understands that the Land:
(a) is located within the boundaries of the Neerabup Industrial Area and is currently zoned for general industrial use (as identified on Attachment 1); and
(b) is not serviced and acknowledges its obligations under Structure Plan No.17 with regard to cell works.
Griffin intends to use the Land as a gas turbine power station development site.
This indicative offer is not binding on Griffin and legally binding relations will only arise once Griffin and the City of Wanneroo agree and execute a formal contract of sale. Griffin Energy Developments Pty Ltd is acting as agent for Griffin on this matter. The contract will incorporate usual terms and conditions for the sale and purchase of the land of this nature including, without limitation, that the sale is subject to subdivision of the land from the balance of Lot 2692 and new titles issued in respect thereof.”
In order to assess the offer against the current market value of the Land, CB Richard Ellis was requested to prepare formal valuation advice. The valuation received on 20 August 2007 included the following relevant comments:-
“The landholding is located to the north eastern sector of the Neerabup Industrial area adjacent the Barbagallo car racing track and other motocross and go kart tracks.
The site presents as an uncleared bush lot with sandy soils and is generally level though falls slightly from west to east.
The site is unserviced and there is no direct road access available at present although the site has frontages to unmade roads along its western boundary (Orchid Road) and along its southern boundary extending from the old Pinjar Road [Old Yanchep Road].
The site forms part of a larger landholding and will need to be subdivided off the parent lot.
The subject property is provided as an unserviced site. Therefore the provision of road access, power water and waste water treatment becomes a cost to the owner of the landholding.”
“The proposed 10 hectare site will be provided on an ‘As Is’ uncleared and unserviced basis and therefore the purchaser will make their own arrangements in the provision of essential services such as water, power and waste water disposal.
Having regard to the constraints associated with servicing, lack of road frontage and site works necessary to provide a developable site which would defer development of the site, the adopted land value rate will sit below $100 sqm but above $60 sqm.
By adopting a rate of say $70 sqm against the land area would indicate a potential value of $7,000,000.”
Consultation
In accordance with the requirements of Section 3.58 of the Act (see Statutory Compliance section of this report), before the Council is in a position to make a decision on the offer to purchase the Land, it must consider any public submissions received in response to the publication of a Local Public Notice in a newspaper circulating generally throughout the district.
Comment
The Neerabup Industrial Area Structure Plan No.17 identified the Structure Plan area, defines zonings, considers proposed transportation corridors and interlinking between properties within the Structure Plan area and feeder roads; considers infrastructure cost sharing arrangements, design guideline requirements and retention of natural vegetation.
Discussions with Griffin regarding the potential for the disposal of the Land has therefore been on the basis of:-
1. the Land being provided ‘as is’, subject to subdivision and issue of a separate Certificate of Title;
2. Griffin being responsible for the ongoing infrastructure requirements under the Structure Plan;
3. the Land being used for the development of a gas turbine power plant; and
4. support for the land disposition not being construed as an endorsement for the form of development, with Griffin being required to obtain all environmental and statutory approvals associated with the development.
Whilst in the longer term, land values in the NIA will increase, it is unlikely that services will be brought through to this area for some years. Accordingly, given the valuation provided by CB Richard Ellis at $70 sqm (excluding GST), the offer by Griffin at $10,000,000 equates to a rate of $100 sqm and therefore represents good value for the City.
In addition to the proposal being financially attractive, as it is understood that there is a proposal for another gas turbine power station on adjacent land to the immediate south of the proposed site, co-location benefits can accrue. These benefits include:-
· restrict this activity to the outskirts of the NIA;
· opportunities for sharing infrastructure provision such as road construction, and easements for gas pipelines;
· cooperating in the provision of a single switching yard, which could reduce the overall footprint of these activities and provide for single feeder transmission lines into Western Power’s proposed Neerabup Terminal Substation.
Given that Griffin are keen to locate into Neerabup, the provision of the proposed 10 hectare site on Lot 600 at the offered rate is considered prudent and will provide the City with a valuable injection of capital funding. However, the sale would be subject to the subdivision of the site, which will require the approval of the Western Australian Planning Commission.
The City, as part of the joint venture subdivision activities with LandCorp has submitted a vegetation clearing application for the adjacent Lot 4 and the subject site on Lot 600. Whilst the application has not been approved to date due to issues with the presence of Carnaby’s Black Cockatoo in the area, a request has been made for this area to be considered separately. If this is successful, then subdivision should not be significantly delayed. However, given that this is a risk, it may be prudent to condition the sale on the subdivision approval being received within a reasonable timeframe to ensure that the proceeds can be received expediently.
Statutory Compliance
3.58. Disposing of property (of the Act)
(1) In this section —
“dispose” includes to sell, lease, or otherwise dispose of, whether absolutely or not;
“property” includes the whole or any part of the interest of a local government in property, but does not include money.
(2) Except as stated in this section, a local government can only dispose of property to —
(a) the highest bidder at public auction; or
(b) the person who at public tender called by the local government makes what is, in the opinion of the local government, the most acceptable tender, whether or not it is the highest tender.
(3) A local government can dispose of property other than under subsection (2) if, before agreeing to dispose of the property —
(a) it gives Statewide public notice of the proposed disposition —
(i) describing the property concerned;
(ii) giving details of the proposed disposition; and
(iii) inviting submissions to be made to the local government before a date to be specified in the notice, being a date not less than 2 weeks after the notice is first given;
and
(b) it considers any submissions made to it before the date specified in the notice and, if its decision is made by the council or a committee, the decision and the reasons for it are recorded in the minutes of the meeting at which the decision was made.
Strategic Implications
This proposal is consistent with the City’s 2006-2021 Strategic Plan and meets the following Outcome Objectives –
“3.1 Increase availability of serviced commercial and industrial land; and
3.2 Improve regional infrastructure
4.5 Improve long-term financial viability”
Policy Implications
Nil
Financial Implications
The disposal of this Land would result in proceeds in the order of $10,000,000 (excluding GST) for the 10 hectare site. These proceeds would be achieved with virtually no expenditure by the City, other than surveying costs and other expenses associated with a subdivision application.
This transaction was not provided for in the 2007/08 Budget, therefore it should be treated as extraordinary income and utilised in a way to maximise long term benefits. The following options are available:
1. deposit into the Asset Replacement Reserve;
2. create a new Reserve for the repayment of the interest and ultimate principal repayment of the loan borrowing program; or
3. identify and secure strategic land investment opportunities.
Part 4) of Council’s resolution dated 28 August 2007 (Report CR02-08/07) provided for:-
“AUTHORISES the Acting Chief Executive Officer to investigate strategic land investment opportunities and report back on recommendations.”
Application of the proceeds of this sale towards the strategic purchase of alternative investment land is strongly supported.
Voting Requirements
Simple Majority
EndStrip - This line will not be printed Please do NOT delete
Recommendation
That Council:-
1. APPROVES the sale of the 10 Hectare industrial zoned portion of Lot 600 Wattle Avenue, Neerabup to Griffin Generation Pty Ltd for the sum of $10,000,000 plus GST, subject to:-
a) the sale being on an ‘as is’ basis;
b) Griffin Generation Pty Ltd being responsible for the provision of services to the subject site and acknowledging its ongoing obligations for infrastructure provision and associated cell works under the Neerabup Industrial Area Structure Plan No 17; and
c) Western Australian Planning Commission approval of the Subdivision of the 10 hectare site from the balance of Lot 600 and issue of new Certificate of Title within a six (6) month period of this approval.
2. AUTHORISES the Chief Executive Officer and Mayor to execute a Contract of Sale with Griffin Generation Pty Ltd in accordance with the conditions in 1. above.
3. AUTHORISES the Chief Executive Officer to investigate strategic land investment opportunities and report back on recommendations.
EndOfRecommendation - This line will not be printed Please do NOT delete
StartOfAttachment - Do not delete this line will not be printed

EndOfAttachment - Do not delete this line will not be printed
File Ref: S07/0012V02
File Name: AA Variation To The City Of Wanneroo Family Day Care Funding Agreement .doc This line will not be printed dont delete
Responsible Officer: Director, Community Development
Disclosure of Interest: Nil
Author: Delyse Sterpini
Meeting Date: 9 October 2007
Attachment(s): Nil
StartStrip - This line will not be printed Please do NOT delete
Issue
To consider a variation to the Terms and Conditions for the Australian Government’s FaCSIA Long Form Funding Agreement which forms part of the Family Day Care Network Support Funding Agreement signed by the City for the period 1 July 2007 to 31 October 2008.
Background
The City of Wanneroo Family Day Care Scheme (commenced in 1977) currently provides this home based childcare option for 428 children of 302 families. The City’s Children’s Services Coordination Unit monitors and supports the twenty eight (28) small home based business owners who are licensed by the State Government’s Child Care Licensing and Standards Unit to provide a Family Day Care service.
Council, at its meeting of 17 July 2007, gave approval for the CEO and Mayor to sign the current Funding Agreement with the Australian Government to continue the provision of funding for the City of Wanneroo Family Day Care Scheme until 31 October 2008 (report CD03-07/07 refers).
Detail
The Terms and Conditions which formed part of the Funding Agreement previously referred to, contained an incomplete clause at 7.3(a). This clause was intended to read:
“You agree that We, or persons authorised by Us, or the Auditor General, may on terms provided by this clause 7.3 and item R of the Schedule, enter Your Premises and inspect and copy the records kept by You for the purposes of this Agreement, or to observe your performance of the Activity”.
Item R of the Schedule states that entry on the City’s premises may be announced or unannounced and a breach of this item cannot be remedied, thereby giving cause for the termination of the Agreement.
Comment
The above clause reflects the City’s agreement to participate in and cooperate with compliance activities carried out by the Department of Families, Community Services and Indigenous Affairs.
Such activities. These activities include:
§ Administration of Child Care Benefit (CCB)
§ Participation in the Family Day Care Quality Assurance System
§ The completion of Activity Reports
The variation to the Agreement does not change the current compliance activities of the City’s Family Day Care Scheme.
Statutory Compliance
A resolution of Council is required to authorise the Mayor and CEO to execute and affix the common seal of the City of Wanneroo to the Funding Agreement.
Strategic Implications
Acceptance to sign the variation to the Agreement is consistent with the City’s Strategic Plan in the following areas;
“Social - Healthy, safe, vibrant and connected communities
Economic - A prosperous region achieved through economic growth and employment
Governance - Leadership and community engagement ensures the best use of our
physical, financial and humane resources”
Policy Implications
Nil
Financial Implications
The Variation to the Terms and Conditions of the Funding Agreement does not change the initial Agreement’s funding offer of $ 131, 261.00 for the 2007/2008 financial year.
Voting Requirements
Simple Majority
EndStrip - This line will not be printed Please do NOT delete
Recommendation
That Council:-
1. ACCEPT the Variation to the Terms And Conditions for the Australian Government’s FaCSIA Long Form Funding Agreement for Family Day Care Network Support for the period 1 July 2007 to 31 October 2008.
2. AUTHORISES the Mayor and CEO to execute and affix the common seal of the City of Wanneroo to the Funding Agreement.
EndOfRecommendation - This line will not be printed Please do NOT delete
File Ref: C07024V01
File Name: BA WANNEROO CULTURAL LEARNING CENTRE TENDER 07024.doc This line will not be printed dont delete
Responsible Officer: Director, Community Development
Disclosure of Interest: Nil
Author: Strategic Projects Officer Project Management
Meeting Date: 9 October 2007
Attachment(s): Nil
StartStrip - This line will not be printed Please do NOT delete
Issue
To consider Tender No 07024 for the construction of the Wanneroo Cultural & Learning Centre.
Background
At its meeting held on 15 May 2007, Council resolved (Ref Item CD02-05/07) to:
“1. NOTES the current project estimates for the construction of the Wanneroo Cultural & Learning Centre of $18,452,000, which will be subject to further review at the time of consideration of tenders;
2. ENDORSES the calling of tenders for the construction of the Wanneroo Cultural & Learning Centre with the understanding that the pre-tender estimate will be contained within the revised 5-year Capital Works Program as outlined below;
3. NOTES application has been made for an additional grant toward the construction of the Wanneroo Cultural & Learning Centre of $2,000,000 from the State Government with the outcome to be known in late May 2007 and CONFIRMS that any shortfall in funding will be accommodated through an increase in borrowing;
4. APPROVES the following amendment to the current 5-year Capital Works Program to reflect funding for the construction of the Wanneroo Cultural & Learning Centre as detailed below:
|
|
2006/2007 |
2007/2008 |
2008/2009 |
2009/2010 |
Total |
|
Grants – State Government |
$0 |
$4,000,000 |
$0 |
$0 |
$4,000,000 |
|
Loan Borrowing |
$1,000,000 |
$7,500,000 |
$6,000,000 |
$500,000 |
$15,000,000 |
|
Total |
$1,000,000 |
$11,500,000 |
$6,000,000 |
$500,000 |
$19,000,000 |
5. RECORDS its thanks to the local member, Ms. Dianne Guise, MLA, for obtaining State Government funding of $4,000,000 to date.
6. ENDORSE Administration to write to the Member of Wanneroo requesting that the unallocated $1.9 million partnership funds be provided to the Cultural and Learning Centre project.”
Detail
Public Tender No. 07024 for the construction of the Wanneroo Cultural & Learning Centre was advertised on Saturday 18 September 2007 and closed at the City’s Offices at 3:00pm on Tuesday 18 October 2007 with the receipt of the following submissions:
|
Tenderers |
Tendered Price Exc GST |
|
PS Structures |
$13,353,132.19 |
|
Gavin Constructions |
$13,547,254.00 |
|
Badge Constructions |
$14,487,000.00 |
|
Perkins Builders |
$14,977,000.00 |
|
Keywest Construction Group |
$16,441,600.00 |
Each tenderer has allowed for Provisional and Prime Cost Items amounting to $1,412,000
The City’s Quantity Surveyor priced the pre tender cost estimate (adjusted to include escalation provisions) for the proposed works at $15,493,000. This sum also included an amount of $300,000 for the construction of the Right of Way from Dundebar Road to Rocca Way, part costs of which are to be recovered from the Wanneroo Central Shopping Centre.
The cost of the Right of Way construction from Dundebar Road to Rocca Way is included in the tender submissions received.
Tender Assessment
The tender Assessment Panel, comprising the Project Manager/Superintendent, Manager Library & Heritage Services and Coordinator Contracts & Purchasing evaluated the tenders in accordance with the following selection criteria along with reference checking and risk assessment:
The Principal will form a “Value for Money” decision based on the following criteria:
|
1 |
Tendered Price |
A comparison of the tendered price being compared with the Principal’s Pre tender estimate and other tenders received |
|
2 |
Tenderer’s Resources |
Will be assessed by evaluating the tenderer’s Project Construction Management Team (qualifications, experience on similar types of projects, length of employment with the tenderer), overall technical and administrative support |
|
3 |
Tenderer’s Previous Experience |
Listed projects of a similar nature and value completed in the past 5 years supported by positive advice from referees as to completion on time, on budget and in compliance with contractual obligations. |
|
4 |
Tenderer’s Safety Management |
An assessment of the tenderer’s safety record and outline safety management plan. |
The weighting applied to the criteria was as follows:
|
1 |
Tendered Price |
45% |
|
2 |
Tenderers resources |
20% |
|
3 |
Tenderers Previous Experience |
20% |
|
4 |
Safety Management & Methodology |
15% |
A technical tender review panel comprising the Project Architect, Peter Hunt Architect, the Cost Planner/Quantity Surveyor, Page Kirkland Group and the Project Manager/Superintendent undertook a detailed technical and cost assessment and arrived at a consensus recommendation on the tender’s received. Peter Hunt Architect and the Page Kirkland Group submitted detailed evaluation and assessment reports, which were taken into consideration as an integral part of the evaluation process.
Tendered Price
Of the 5 tenders received, PS Structures submitted the lowest tender. The rankings of tenders based on price is:
|
Tenderer |
Ranking |
|
PS Structures |
1 |
|
Gavin Constructions |
2 |
|
Badge Constructions |
3 |
|
Perkins Builders |
4 |
|
Keywest Construction Group |
5 |
The Page Kirkland Group, Councils appointed Cost Planners and Quantity Surveyors, report as follows:
“The lowest tender from PS Structures is considered to be extremely competitive. The tender does not include any qualifications and all information required by the tender documents has now been provided. Proposed services sub-contractors have been reviewed by services consultants and are considered to be acceptable.
All tenders received have been compared on criteria including price, resources, experience and safety management. PS Structures are considered to have submitted the most competitive tender when all these criteria are taken into account.
It is recommended that the tender from P.S Structures in the sum of $13,353,132.20 (excluding GST) is accepted.”
The Project Architect, Peter Hunt Architect report as follows:
“The lowest tender submitted by P.S Structures had no qualifications and the services sub-contractors they have proposed are considered acceptable by the services consultants.
Three of P.S Structures five current projects will be completed by Christmas (of this year).
While we have not worked directly with P.S Structures we are aware that they are a very reputable builder and have the capacity to undertake this project.
We therefore have no hesitation in recommending that P.S Structures tender of $13,352,132.18 excluding GST be accepted by the City of Wanneroo.”
Tenderers Resources
An assessment was made of the tenderer’s current contractual commitments with the ranking outcome being:
|
Tenderer |
Ranking |
|
Badge Constructions |
1 |
|
Perkins Builders |
|
|
Keywest Constructions |
|
|
PS Structures |
2 |
|
Gavin Constructions |
3 |
The equal first ranking is a reflection of the fact that these companies have been successfully operating for a considerable period of time. The assessment and evaluation process determined that PS Structures is well resourced to undertake the project in a successful manner.
Tenderers Previous Experience
A review of comparable projects completed over the past 5 years indicated the following ratings:
|
Tenderer |
Ranking |
|
Badge Constructions |
1 |
|
Perkins Builders |
|
|
Keywest Constructions |
|
|
PS Structures |
2 |
|
Gavin Constructions |
3 |
Further inquiry indicated that PS Structures has the technical and staffing ability to undertake the project in a competent and satisfactory manner.
Safety Management
Based on the details supplied in the tender schedules and additional information on safety management plans, the tenderers were ranked as follows:
|
Tenderer |
Ranking |
|
PS Structures |
1 |
|
Badge Constructions |
|
|
Perkins Builders |
|
|
Keywest Constructions |
|
|
Gavin Constructions |
2 |
Overall Ranking Assessment
On the basis of the overall scoring based on the tender criteria, the weighted score is shown below:
|
Tenderer |
Ranking |
|
PS Structures |
1 |
|
Badge Constructions |
2 |
|
Gavin Constructions |
3 |
|
Perkins Builders |
4 |
|
Key West Constructions |
5 |
PS Structures is recommended as the preferred tenderer for Contract 07024. This firm offers the best value for money with its tender achieving the highest ranking.
Key Characteristics of the recommended tenderer:
· Registered Building acting under Reg. No. 11866
· The firm has previously undertaken the upgrade of the Wanneroo Community Centre for the City.
· Examples of projects undertaken by the firm include the Wanneroo Police Station, Bertram Primary School, Subiaco Arts Centre, Midland Fire Station and WA Museum Main Collection building.
· The firm’s tender breakdown information has been assessed by the City’s Cost Planner/Quantity Surveyor and is consistent with the similarly priced tender.
· Reference checks undertaken to determine timeliness of completion of projects, quality of work, adherence to tender price, industrial relations and safety record were very positive.
Additional Works
During the course of the tender assessments it became apparent that additional allowances would have to be made which have not previously been provided for as follows:
|
Additional provision for Construction Contingency |
$100,000 |
|
Allowance for enhancement of Rocca Way to complement new building |
$200,000 |
|
Additional allowance for Information Technology to enhance wireless capacity and other contemporary technology |
$100,000 |
|
Provision for additional fees |
$25,000 |
|
Additional allowance for risk associated with Provisional Sums particularly cabinetwork and joinery. |
$100,000 |
|
TOTAL ADDITIONAL WORKS |
$525,000.00 |
Consultation
The Project Working Group and the Administration Technical Group have met on a regular basis during the development and preparation of the tender documentation phase to ensure that what has been presented for tender is in keeping with the scope of work and requirements of the stakeholders and the City.
Comment
Works Programme
The works programme for this project is outlined as follows:
Award Contract Tuesday 9 October 2007.
Letter of Award of Contract Monday, 15 October 2007.
Possession of Site Monday, 29 October, 2007.
Practical Completion (70 weeks) Friday, 3 April 2009.
Facility Commissioning (8 weeks) Friday 29 May 2009.
A 70-week construction period has been provided for in view of the fact the there will be two Christmas holiday shut down periods within the term of the contract. This is considered to be an adequate construction time in the prevailing building climate.
A Facility Commissioning period of 8-weeks has been allowed in order to complete the fitting out and stocking after practical completion.
Statutory Compliance
Tenders have been invited and evaluated against the selection criteria in accordance with Section 3.57 of the Local Government Act and associated regulations.
Strategic Implications
The proposed Wanneroo Cultural & Learning Centre demonstrates the City’s desire to create a facility that is iconic in nature and a focal point for the Wanneroo Town Centre. However, in addition to the aesthetic appeal that the facility represents, the Design Team has remained focused on the need for the Wanneroo Cultural & Learning Centre to impact on each of the four pillars within the strategic plan. As an outcome of this approach, the design of this multi-use facility currently represents a project outcome that is linked to a number of the City’s outcome objectives:
“Environmental:
A sustainable natural, built and healthy environment in harmony with the growth of our municipality.
1.2 Minimise use of water;
Social:
Healthy, safe, vibrant and connected communities.
2.1 Increase choice and quality of neighbourhood and lifestyle options;
2.2 Improve the City’s identity and community well-being through the arts, culture, leisure and recreation;
Economic:
A prosperous region achieved through economic growth and employment.
3.1 Improve regional infrastructure;
3.3 Increase tourism within the region;
3.5 Increase the capacity of education and training services;
Governance:
Leadership and community engagement ensures the best use of our physical, financial and human resources.
4.1 Improve strategic partnerships.”
Policy Implications
Not applicable
Financial Implications
Funding the project has been provided in PR-1013 as per Council resolution CD02-05/07 of the meeting of 15 May 2007 and summarised below:
|
|
2007/2008 |
2008/2009 |
2009/2010 |
Total |
|
Grants – State Government |
$5,900,000 |
$0 |
$0 |
$5,900,000 |
|
Loan Borrowing |
$5,600,000 |
$6,000,000 |
$500,000 |
$12,100,000 |
|
Carry Forward PR-1013 |
$120,000 |
|
|
$120,000 |
|
Reserve Account |
$218,000 |
|
|
$218,000 |
|
Contribution - WCSC |
$150,000 |
|
|
$150,000 |
|
Total |
$11,988,000.00 |
$6,000,000 |
$500,000 |
$18,488,000.00 |
Additionally the sum of $218,000 was allocated in Project - 1383 for the construction of the right of way from Dundebar Road to Rocca Way. The Wanneroo Central Shopping Centre will be required to make a contribution of at least 50% of the total design and construction costs of this element.
Consequently the total budget funds allocated to the project amount to $18,706,000.
The project costs, based on accepting the tender of PS Structures and including the additional amounts outlined is as follows.
|
ELEMENT |
27/9/07 |
|
Construction |
|
|
PS Structures |
$13,353,132.19 |
|
Other Costs |
|
|
Professional Fees |
1,300,000 |
|
Construction Contingency |
700,000 |
|
City Controlled expenditure |
|
|
Museum Fit Out |
723,000 |
|
Public Artwork |
234,000 |
|
General Fit Out including Library |
369,000 |
|
Marketing & Communications |
190,423 |
|
Information Technology Fit Out |
189,000 |
|
Tender Expenses |
7,500 |
|
Exhibition and Relocation Costs |
35,000 |
|
Additional Works |
|
|
As detailed in the report |
525,000 |
|
TOTAL |
$17,626,055.19
|
|
TOTAL ROUNDED |
$17,750,000.00 |
It is also to be noted that application has been made to Lottery West for additional funding for the fit out of the museum component. Should this application be successful then the funding will be added to the project budget.
Voting Requirements
Simple Majority
EndStrip - This line will not be printed Please do NOT delete
Recommendation
That Council:-
1. ACCEPTS Tender N0 07024 from PS Structures for the tender sum of $13,353,132.19 excluding GST for the construction of the Wanneroo Cultural and Learning centre in Dundebar Road Wanneroo.
2. NOTES the items of additional expenditure for the Wanneroo Cultural and Learning Centre as follows:
|
Additional provision for Construction Contingency |
$100,000 |
|
Allowance for enhancement of Rocca Way to complement new building |
$200,000 |
|
Additional allowance for Information Technology to enhance wireless capacity and other contemporary technology |
$100,000 |
|
Provision for additional fees |
$25,000 |
|
Additional allowance for risk associated with Provisional Sums particularly cabinetwork and joinery. |
$100,000 |
|
TOTAL ADDITIONAL WORKS |
$525,000.00 |
3. NOTES that application has been made to Lottery West for additional funds to assist with the fitting out of the Museum and that these funds will be applied to Wanneroo Cultural and Learning Centre project if the application is successful.
EndOfRecommendation - This line will not be printed Please do NOT delete
File Ref: S17/0154
File Name: BA Community Sporting Recreation Facilities Fund 2007 Funding Round.doc This line will not be printed dont delete
Responsible Officer: Director, Community Development
Disclosure of Interest: Nil
Author: A/Manager Leisure & Cultural Services
Meeting Date: 9 October 2007
Attachment(s): 2
StartStrip - This line will not be printed Please do NOT delete
Issue
To consider submissions to the Department of Sport and Recreation for the 2007 round of the Community Sport and Recreation Facility Fund.
Background
The Community Sport and Recreation Facility Fund (CSRFF) is administered by the Department of Sport and Recreation on behalf of the State Government. Each year the Department makes funding available to community/sporting groups and Local Government Authorities to assist in the development of basic sport and recreation infrastructure, with the aim of the programme being to increase participation in sport and recreation through an emphasis on well-planned facilities.
Each year the State Government makes approximately $9 million available through the CSRFF programme. Grants are made available through two categories, based on the size and complexity of the proposed projects and include Annual Grants and Forward Planning Grants:
· Annual Grants are for amounts of $2,500 to $90,000 for projects requiring less complex planning processes. Grants that are given within this category must be claimed in the next financial year.
· Forward Planning Grants are for amounts of $90,001 to $1.8 million for more complex projects that require a planning period between one to three years. Grants within this category are usually allocated over the funding triennium.
The maximum CSRFF grant approved is no greater than one-third of the total estimated cost of the project. In addition, contributions made through the CSRFF must be matched by the applicants own cash contribution with the balance of the funds being provided by an alternative funding source. This may be provided by the Applicant, alternative grants or by the Local Government Authority. It should be noted that Local Government is not required to contribute to any CSRFF grant application.
As a part of the administration of the CSRFF all applications from community and sporting groups within the City of Wanneroo are required to be submitted to the City for assessment and prioritisation. All applications, including those being submitted by the City of Wanneroo, are also required to be endorsed by Council prior to their submission to the Department of Sport and Recreation.
The 2007 CSRFF funding round was opened in July of this year for applications seeking funds for the funding triennium 2008/09 to 2010/11.
Administration advised all community sport and recreation on the City’s Smart Clubs register that CSRFF grants applications were being accepted for the 2007 round. In addition, Administration hosted a CSRFF Seminar on 18 July 2007 in collaboration with the Department of Sport & Recreation to provide an overview of the application process and funding eligibility.
Detail
A total of three CSRFF applications have been listed for consideration for the current funding round. There were no external applications received and therefore all applications are City of Wanneroo projects, as follows:
· Warradale Park Sporting Amenities Building
· Warradale Park Upgrades
· Elliot Road Tennis Courts Floodlight Extensions
It should be noted that the Warradale Park Sporting Amenities Building & Warradale Park Upgrades will be submitted as a single CSRFF application as the justification and project planning are closely aligned. All projects have been reviewed and assessed by the City of Wanneroo CSRFF Review Panel that was initially established as a part of the City’s CSRFF Review Process, as adopted by Council on 1 July 2003 (refer to Report CD02 - 07/03). The Panel comprises the following representatives:
· Director Community Development
· Director Infrastructure
· Manager Leisure & Cultural Services
· Manager Finance
· Coordinator Building Projects
· Coordinator Leisure Planning & Projects
· Leisure Planning & Projects Officer
All projects were assessed by the Review Panel utilising the following philosophy and exclusion criteria established as a part of the CSRFF Review Process, as follows:
Philosophy
· Meets a clearly demonstrated need within the community.
· Support the City of Wanneroo’s Strategic Plan and Leisure Strategy
· Provide maximum benefit and value for money for the community by providing multi purpose facilities and allow for general community uses (i.e. other community-based activities).
· Financially viable, with the applicant able to demonstrate the ability to meet the financial commitment.
· Increases participation
· Include a clear management plan.
· Facility provision to meet all relevant Australian Standards.
Exclusions
· Deficit funding
· Recurrent salaries or operational costs
· Non-fixed equipment
· Projects that have already commenced or been completed
· The purchase of land
· Provision of bar facilities
· Development of privately owned facilities
· Facility maintenance
· Clubs/organisations who have outstanding debts with the City, or are failing to meet financial obligations with the City.
In addition to these criteria, each application was assessed on the basis of the CSRFF assessment principles and project rating as outlined below:
Assessment Principles
Each application is to be assessed on the following principles using a scale of satisfactory, unsatisfactory and not relevant.
· Project Justification
· Planned approach
· Community input
· Management Planning
· Access and Opportunity
· Design
· Financial Viability
· Co-ordination
· Potential to increase physical activity
Project Rating
· Well planned and needed by the municipality
· Well planned and needed by the applicant
· Needed by the municipality, more planning required
· Needed by applicant, more planning required
· Idea has merit, more preliminary work needed
· Not recommended
Consultation
Administration consulted directly with representatives from Lansdale Senior & Junior Cricket Clubs, Landsdale Junior Football Club, and Landsdale Little Athletics Club in relation to the planning and design of the Warradale Park Sporting Amenities Building. In addition, these clubs were consulted in relation to the key elements of the Warradale Park Extensions.
Administration also collaborated with the Wanneroo Tennis Club in consulting with local residents located within a 400 metre radius of the Elliot Road Tennis Courts in relation to the proposed extension of the floodlighting.
Comment
Project: Warradale Park Upgrades & Sporting Amenities Building
Applicant: City of Wanneroo
Warradale Park is an 11 hectare reserve located on Warradale Terrace in Landsdale comprising both active and passive reserves, and a community hall. Specific park infrastructure includes a large passive area comprising a lake, path network, 3 on 3 basketball court, bench seating, and BMX track. The park also encompasses active sporting infrastructure including a junior size playing field, 2 x floodlighting towers, and cricket nets. The Warradale Community Hall and an associated carparking area completes the infrastructure within Warradale Park.
Current user groups of the active reserve include the Landsdale Junior & Senior Cricket Clubs, Landsdale Junior Football Club and Landsdale Little Athletics Club. These clubs have a combined membership base of 596 people and it is anticipated that the continued growth of these clubs in combination with the impending development of East Landsdale will result in increased demand for an active reserve that is fully floodlit and able accommodate a wide range of rectangular and oval sports, both junior and senior. The upgrade of Warradale Park will also enable the reserve to sufficiently act as an overflow for the Kingsway Regional Sporting Complex that is located just 2.5 kilometres away. This is particularly important as there are currently no other active reserves within Landsdale or the surrounding suburbs of Madeley and Darch (other than Kingsway Regional Sporting Complex).
The proposed upgrades to Warradale Park includes an extension of the playing surface to accommodate senior AFL football, the installation of 2 x floodlight towers, relocation of the existing cricket nets, and relocation of a section of the existing path network (Attachment 1). It should be noted that expansion of the playing surface to a size capable of accommodating senior AFL football would then provide appropriate dimensions to allow all fields sports to use the reserve if and when required.
The extension of Warradale Community Hall to include a Sporting Amenities Building will complement the upgrades to Warradale Park and provide user groups with adequate supporting infrastructure. The high usage of Warradale Community Hall currently restricts the availability of social, kiosk, and storage amenities by sporting groups. It is envisaged that upgrades to Warradale Park to enable more sporting activities to be accommodated will further magnify these issues and therefore an extension to the community hall to incorporate a sporting amenities building is a necessity. The construction of a Sporting Amenities Building will provide a kiosk, 4 x storage areas, 1 x furniture store, small social area, and direct access to the existing toilet/changeroom amenities (Attachment 2).
In combination, these two projects will establish Warradale Park as a key location for structured sport within East Wanneroo and make a significant contribution to increasing physical activity amongst residents. These infrastructure improvements will be complemented by the existing passive features at Warradale Park and result in an all encompassing venue for local residents to participate in sport, recreation and leisure pursuits.
Given the complementary nature of the Warradale Park Upgrades and the Sporting Amenities Building it is proposed that the projects be included within a single CSRFF application. This will ensure a well-justified and thorough funding application is presented to the Department of Sport & Recreation for consideration.
The cost to upgrade Warradale Park is estimated at $495,374 inclusive of cost escalations and contingencies, and the cost to construct the Warradale Park Sporting Amenities Building is estimated at $485,000 inclusive of cost escalations and contingencies. As a result the total project cost is estimated at $980,374 with a funding breakdown as follows:
|
|
|
|
|
|
Claim Year |
Claim Year |
||
|
Item |
Total Cost |
Total Municipal |
CSRFF |
Clubs |
2008/09 |
2009/10 |
|
|
|
Park Upgrades |
|
|
|
|
|
|
|
|
|
Turf extension |
$94,500 |
$63,000 |
$31,500 |
- |
- |
$31,500 |
|
|
|
Irrigation extension |
$61,500 |
$41,000 |
$20,500 |
- |
- |
$20,500 |
|
|
|
Infrastructure relocation |
$73,900 |
$49,267 |
$24,633 |
- |
- |
$24,633 |
|
|
|
Earthworks |
$131,000 |
$87,334 |
$43,666 |
- |
- |
$43,666 |
|
|
|
Preliminaries |
$10,000 |
$ 6,667 |
$ 3,333 |
- |
- |
$ 3,333 |
|
|
|
Contingencies/Escalations |
$124,474 |
$82,983 |
$41,491 |
- |
- |
$41,491 |
|
|
|
Sub Total |
$495,374 |
$330,251 |
$165,123 |
- |
- |
$165,123 |
|
|
|
Sporting Amenities Building |
|
|
|
|
|
|
|
|
|
Building Cost |
$312,115 |
$208,075 |
$104,040 |
- |
$104,040 |
- |
|
|
|
External Works & Services |
$52,885 |
$35,257 |
$17,628 |
- |
$17,628 |
- |
|
|
|
Design & Project Contingencies |
$58,000 |
$38,667 |
$19,333 |
- |
$19,333 |
- |
|
|
|
Escalations |
$62,000 |
$41,334 |
$20,666 |
- |
$20,666 |
- |
|
|
|
Sub Total |
$485,000 |
$323,333 |
$161,667 |
- |
$161,667 |
- |
|
|
|
Total |
$980,374 |
$653,584 |
$326,790 |
- |
$161,667 |
$165,123 |
|
|
The CSRFF Review Panel has reviewed the project and it is considered to be in keeping with the City’s philosophy and does not contravene the City’s exclusion criteria. The project has been designated the assessment level of “satisfactory” in relation to the CSRFF Assessment Principles and has been rated as “well planned and needed by the municipality”. The CSRFF Review Panel has prioritised the project as priority one (1) and recommends that the application be forwarded to the Department of Sport and Recreation. This is on the basis that upgrades to Warradale Park and the construction of a Sporting Amenities Building will increase the reserve’s capacity to meet the demand generated through current growth in the area.
On this basis the report will recommend that a CSRFF grant of $161,667 be sought in the year 2008/09 and $165,123 be sought in 2009/10, being one-third of the total cost of the Warradale Park Upgrades and Sporting Amenities Building. In addition, it is recommended that the following amounts be amended and listed for consideration within the City’s Forward Infrastructure Work Program:
· $485,000 to be listed for consideration in the Forward Capital Works Budget within 2008/09 for the total construction costs of the Warradale Park Sporting Amenities Building (PR-1122), comprising $323,33 of municipal funds.
· $495,374 to be listed for consideration in the Forward Capital Works Budget within 2009/10 for the total construction costs of the Warradale Park Upgrades (PR-1187), comprising $330,251 of municipal funds.
· $50,000 that is currently listed in the Forward Capital Works Program for Warradale Upgrades Detailed Design (PR-1187) be listed for consideration in 2008/09 rather than 2007/08 to match the proposed development schedule.
· $50,000 that is currently listed in the Forward Capital Works Program for Warradale Park Sporting Amenities Building (PR-1122) in 2008/09 be reallocated to 2007/08 to match the proposed development schedule.
Project: Elliot Road Tennis Courts Floodlight Extensions
Applicant: City of Wanneroo
Elliot Road Tennis Courts are located on Elliot Road in Wanneroo and accommodate both casual and club organised usage. The facilities are the focal point for tennis related physical activity for residents located in Wanneroo and the growth suburbs of Pearsall and Hocking. The existing facilities at Elliot Road include 10 tennis courts (4 x sand filled synthetic & 6 x hard courts), clubrooms incorporating social area/kitchen/toilets/playgroup, 40 carparking bays, 2 x playgrounds, and passive surrounds. Wanneroo Tennis Club is well established at the site and currently has 120 members. In addition, the increasing number of residents in the suburbs, of Wanneroo, Pearsall and Hocking from 17,533 in 2007 to 22,366 in 2015 as well as growth within the wider East Wanneroo area will result in increased demand for venues that promote physical activity, including tennis courts.
Currently, only 8 of the 10 courts are floodlit thus limiting full use of the facilities. Given peak usage times for tennis courts is generally on weekends and on weeknights it is considered that the provision of 10 x floodlit courts will enable the facility to meet anticipated future demands. The closest community use tennis courts are currently located at the Wanneroo Showgrounds, however it should be noted these courts will be decommissioned in the near future to facilitate the formalisation of a youth precinct as part of the Wanneroo Showgrounds Infrastructure Upgrades. As a result the nearest community use tennis courts will be located at Tapping Primary School (5 kilometres north), Delamere Park in Tapping (6.5 kilometres northeast), and Hudson Park in Girrawheen (8 kilometres south).
Upon investigation by Administration and an approved Electrical Contractor the cost for the installation of 4 x floodlight poles and luminaries to the existing 4 x floodlight poles is estimated at $90,500, including escalations. The funding breakdown for the installation of the floodlights is as follows:
|
|
|
|
|
|
Claim Year |
|
|
Item |
Total Cost |
Total Municipal |
CSRFF |
Clubs |
2009/10 |
|
|
|
Floodlight Installation |
$90,500 |
$60,335 |
$30,165 |
Nil |
$30,165 |
|
|
|
Total |
$90,500 |
$60,335 |
$30,165 |
Nil |
$30,165 |
|
|
Note: Total cost includes site switchboard work, floodlight poles purchase and installation, underground conduits, sub circuit cabling, light controllers, light testing and commissioning.
The CSRFF Review Panel has reviewed the project and it is considered to be in keeping with the City’s philosophy and does not contravene the City’s exclusion criteria. The project has been designated the assessment level of “satisfactory” in relation to the CSRFF Assessment Principles and has been rated as “needed by the municipality, more planning required”. Subsequently, the CSRFF Review Panel has recommended that this project be deferred to the 2008 CSRFF Funding Round to allow Administration additional time to undertake detailed planning and consult with the local community. This is based on the understanding that the provision of the floodlighting for the remaining two tennis courts will increase the facility’s capacity to meet future demand generated through residential growth in the area, whilst also recognising the need to undertake more comprehensive community consultation.
On this basis the report will recommend that an allocation of $90,500 be listed for consideration in 2009/10 within the City’s Forward Infrastructure Works Program. It is anticipated that a CSRFF grant of $30,165 will be sought within the 2008 Funding Round, being one-third of the total cost of the Elliot Road Tennis Courts Floodlighting Installation, and therefore a total of $60,335 municipal funds needs to be allocated, as follows:
$90,500 to be listed within the 2009/10 Financial Year for the total construction costs of the floodlighting installation at Elliot Road Tennis Courts, comprising $60,335 of municipal funds.
Statutory Compliance
Nil
Strategic Implications
These projects are aligned with the Social Outcomes identified within the City’s Strategic Plan 2006-2021 objective as follows
“2.1 Increase choice and quality of neighbourhood and lifestyle options
2.2 Improve the City’s identity and community well-being through arts, culture, leisure and recreation
2.3 Improve the capacity of local communities to support each other
2.4 Improve community safety"
The identified projects also support the Smart Growth Local Policy, in particular Principle 4 - Identity, Equity and Inclusiveness and strategy 4h “Promote provision of community facilities and services that meet the needs of the community”.
Policy Implications
Nil
Financial Implications
The table below identifies the financial implications for the City’s Forward Infrastructure Works Program over the duration of the funding triennium as a result of the identified projects.
The total cost of each project listed within the CSRFF program is funded on a recoup basis, where a majority of the project is required to be completed before CSRFF funds can be accessed. As a result, it is necessary to budget for the full project cost within the Forward Infrastructure Works Program, as follows:
|
Project |
Total Cost |
Municipal |
CSRFF |
Budget Year 2007/08 |
Budget Year 2008/09 |
Budget Year 2009/10 |
|
Warradale Park Upgrades |
$545,374 |
$380,251 |
$165,123 |
- |
$50,000 |
$495,374 |
|
Warradale Park Sporting Amenities Building |
$535,000 |
$373,333 |
$161,667 |
$50,000 |
$485,000 |
- |
|
Elliot Road Tennis Courts Floodlighting |
$90,500 |
$60,335 |
$30,165 |
- |
- |
$90,500 |
It should be noted that the Five Year Infrastructure Works Budget currently includes the following allocations for the Warradale Park projects:
|
Project |
Project Number |
Total Cost |
Municipal |
Grants |
|
Warradale Park Upgrades |
PR – 1187 |
$490,000 |
$443,000 |
$47,000 |
|
Warradale Park Sporting Amenities Building |
PR - 1122 |
$450,000 |
$316,000 |
$134,000 |
The current budget allocation equates to a total project cost for these projects of $940,000 of which the municipal funding requirement is $759,000 and the grant component is $181,000. The revised total project cost for these projects is $1,080,374 of which the municipal funding requirement is $753,584 and the grant component is $326,790.
It should also be noted that the implications of not being successful in obtaining CSRFF grants for the identified projects will be addressed through a further report to be provided to Council in April 2008 advising of the outcomes of the CSRFF applications and the resulting implications to the City of Wanneroo.
Voting Requirements
Simple Majority
EndStrip - This line will not be printed Please do NOT delete
Recommendation
That Council:-
1. FORWARDS the following Community Sport and Recreation Facilities Fund applications to the Department of Sport and Recreation for the 2007 funding round with the following assessment, project rating and prioritisation:
|
Project |
Assessment |
Project Rating |
Prioritisation |
|
Warradale Park Upgrades & Sporting Amenities Building |
Satisfactory |
Well planned and needed by the municipality |
1 |
2. LISTS for consideration the following amounts in the City Wanneroo Five Year Infrastructure Works Program:
|
Project |
Total Cost |
Municipal |
CSRFF |
Budget Year 2007/08 |
Budget Year 2008/09 |
Budget Year 2009/10 |
|
Warradale Park Upgrades & Sporting Amenities Building |
$1,080,374 |
$753,584 |
$326,790 |
$50,000 |
$535,000 |
$495,374 |
|
Elliot Road Tennis Courts Floodlighting |
$90,500 |
$60,335 |
$30,165 |
- |
- |
$90,500 |
3. NOTES that Administration will undertake further planning and community consultation in preparation for the submission of an application within the 2008 CSRFF Funding Round for the Elliot Road Tennis Courts Floodlight Extension.
EndOfRecommendation - This line will not be printed Please do NOT delete
ATTACHMENT 1
StartOfAttachment - Do not delete this line will not be printed

EndOfAttachment - Do not delete this line will not be printed
File Ref: S/0064V01
File Name: CA Results of the Community Consultation for consideration on Quinns Beach Carpark Closure.doc This line will not be printed dont delete
Responsible Officer: Director, Community Development
Disclosure of Interest: Nil
Author: Team Leader Safety Services
Meeting Date: 9 October 2007
Attachment(s): Nil
StartStrip - This line will not be printed Please do NOT delete
Issue
To consider permanently closing the Quinns Beach car park during night time hours following a two year temporary closure and the results of the community consultation process.
Background
Antisocial driver behaviour in the Quinns Rocks car park has been a considerable concern for residents since 2003, with young people frequenting the car park particularly on Thursday, Friday and Saturday nights using the location to participate in reckless and dangerous driving behaviour.
On 29 April 2003, Council considered a ‘Motion on Notice’ regarding concerns from residents about antisocial behaviour in the beachside car park at Quinns Rocks and resolved that Council:-
1. “REQUEST Administration to immediately investigate the best option to reduce the antisocial behaviour in Ocean Drive and the car park leading from Ocean Drive and report their findings to Council;”
Following this decision an assessment of the area was conducted and it was identified that closing the car park to vehicles during night time hours was potentially the best solution.
Council considered this proposal at its meeting of 1 July 2003, and resolved that Council:
1. “SUBJECT to the City implementing a public consultation process with local residents and receiving broad support as deemed satisfactory by the Chief Executive Officer, approves the closure of Quinns Beach car park during night time hours for a trial period of twelve months; and
2. APPROVES BY ABSOLUTE MAJORITY the expenditure of $7,000.00 carried forward into the 2003/04 budget against 51-80-82-827-5151-0001 ‘Urban Design Projects’ to implement the necessary work to secure Quinns Beach car park.”
Consultation was conducted by signage at the car park, a series of public meetings, letters to the residents immediately surrounding the car park and advertisements in the Wanneroo Link.
The results of the process were considered at the meeting of Council 10 August 2004, with the outcome that Council would undertake further, more detailed community consultation. The Council resolved that the second consultation would consist of:
1. A series of notifications in the Wanneroo Link.
2. Three public workshops to be held at various time intervals, including a minimum of one on a weekend.
3. A letter drop to all residents within the Quinns Rocks area.
As a result of the second consultation, Council resolved at its meeting of 12 November 2004 that Council:
“1. APPROVES the closure of the Quinns Beach car park during night time hours for a trial period of twelve months.
4. NOTES that a further report will be submitted to Council prior to the completion of the trial.”
Subsequently, two further temporary closure measures have been put in place, and at the meeting of Council in December 2006, it was resolved that Council:
“1. APPROVES the continued closure of the Quinns Beach car park on a temporary basis during night time hours until 30 July 2007.
2. APPROVES that vehicles will not be permitted into the car park from 10pm to 6am from November to April, and 8pm to 6am for the period May to October commencing from 24 November 2006 and concluding on 24 November 2007.
3. NOTES that an opening fee of $50.00 as specified in the Schedule of Fees and Charges for the City of Wanneroo applies to vehicles released from the car park after hours.
4. NOTES that a community consultation will be conducted during this period on the permanent closure of the car park during night time hours, and a further report submitted to Council on the results of the consultation.”
At the Council meeting of 24 April 2007, Council resolved:
“That Council:-
CONSIDERS and ADOPTS the guidelines for approving car park closures during night time hours.” (Refer CD07-04/07)
These guidelines are to be considered in response to resident requests to close car parks during night time hours as a result of ongoing and regular antisocial behaviour which may be reduced by closing the car park during night time hours, such as antisocial driver behaviour.
Detail
Over the last 18 months, the Quinns Rocks car park has been closed to vehicles only at night for a trial period that has been extended twice. Bollards were placed restricting vehicular access, however pedestrians have continued to have access 24 hours per day.
Vehicles have not been permitted into the car park from:
· 10pm to 6am for the period from November to April; and
· 8pm to 6am for the period May to October.
The temporary closure of the car park has previously been linked to the re-development of Ocean Drive, Quinns Rocks, and it was anticipated that improvements to infrastructure in this area would reduce antisocial behaviour and therefore the need to close the car park during night time hours. At the time of the last report to Council, it was not anticipated that this would be scheduled for some years to come, and it was considered that the best option was to close the car park during night time hours on an ongoing basis in the interim. Once this work is eventually scheduled the requirement to close the car park at night could then be reconsidered.
The proposed community consultation strategy for permanent closure of the Quinns Rocks car park was discussed by the Community Consultation Review Panel at its meeting on 20 June 2007.
The Community Consultation Review Panel approved of the Community Consultation Strategy for the proposed permanent closure of Quinns Rocks car park during the previously specified night time hours.
Consultation
The following community consultation strategy was implemented:-
1 A series of notices in the Wanneroo Link calling for public comment on the proposal to close the Quinns Rocks car park including dates and times.
2 A letter was sent to the residents that made comment or attended a public meeting in the last consultation.
3 A sign was placed in the car park advising that Council is calling for public comment.
The City advertised the process in the Wanneroo Link and Community Newspaper three weeks in a row advising the community on how they can be involved in the Council decision.
In addition, copies of the information were placed at community centres, recreation centres, libraries and on the City’s website advertising the proposed closure.
The community consultation period was open for six weeks from 9 July to 17 August 2007. During the comment period, there was 22 responses received of which 20 were in favour of the closure, 1 response expressed concern that the problem would move elsewhere and another was wanting to know the reasons behind the closure.
A total of 4,290 letters were sent to property owners that are either residing or not residing in the Quinns Rocks area, inviting them to make comment on the proposed closure.
They were advised that once the comment period was completed, all responses will be submitted to Council for consideration and they will then be notified in writing of its decision.
Comment
Anecdotal comments from Police, Rangers and some residents within the vicinity of the car park have indicated that although some anti social behaviours activity is still occurring, the closure of the car park at night has been successful in reducing driver antisocial behaviour.
Given the apparent success of the closure of the Quinns Rocks car park and having the results of the community consultation and the decrease in antisocial driver behaviour, the closure of the car park appears to be successful. In line with community support it is recommended that the car park remains closed during the nominated times until the Ocean Drive development is completed.
Appropriate signage indicating the permanent closure of the car park during night time hours will be installed to accurately reflect the current situation.
Statutory Compliance
Council is able to close local public car parks within its boundaries by resolution, and approve a change to the City of Wanneroo Parking and Parking Facilities Local Law 2003 specifying that vehicles will not be permitted into a car park for specific times.
Strategic Implications
The consideration of car park closures as a result of anti social behaviour is linked to strategy 2.4 of the Strategic Plan ‘Improve Community Safety’.
Policy Implications
Nil
Financial Implications
Nil
Voting Requirements
Simple Majority
EndStrip - This line will not be printed Please do NOT delete
Recommendation
That Council APPROVES the permanent closure of
the Quinns Beach car park Quinns Rocks during night time hours, specifically
10pm to 6am from the 1 November to
30 April and 8pm to 6am from 1 May to 30 October each calendar year.
EndOfRecommendation - This line will not be printed Please do NOT delete
File Ref: P08/2714V01
File Name: CA Application To Keep More Than Two Dogs.doc This line will not be printed dont delete
Responsible Officer: Director, Community Development
Disclosure of Interest: Nil
Author: Jay Stanley
Meeting Date: 9 October 2007
Attachment(s): Nil
StartStrip - This line will not be printed Please do NOT delete
Issue
To consider this application for an exemption to Council’s Local Laws made under Section 26(3) of the Dog Act 1976 to keep more than two dogs.
Background
Clause 14 of the City of Wanneroo Animal Local Laws 1999 stipulates:
“A person shall not keep or permit to be kept on any premises more than:
a) 2 dogs over the age of 3 months and the young of those dogs under that age; or
b) 6 dogs over the age of 3 months and the young of those dogs under that age if the premises are situated within a rural area or comprise a lot in a special rural area having an area of 4 hectares or more;
unless the premises is licensed as an approved kennel establishment or has been granted an exemption pursuant to section 26(3) of the Dog Act 1976 and have planning approval under the Town Planning Scheme.”
Detail
The following application has been made under the Dog Act 1976 and is submitted for consideration:
|
Address of Applicant |
Description of Dogs |
|
54 Renshaw Boulevard, Clarkson
|
Female Black & Tan German Shepherd Female Black Labrador cross Kelpie Male White West Highland Terrior |
A Ranger has inspected the above property to ensure that means exist on the premises at which dogs will ordinarily be kept for effectively confining the dogs within the premises.
|
Address of Applicant |
Property Zoning |
Size of Property |
|
54 Renshaw Boulevard, Clarkson |
0.0813 ha |
Residential |
Consultation
It has been the practice where applications have been received by the City to keep more than two dogs, that residents immediately adjoining the applicant’s property in question have been consulted by letter to ascertain if they have any objections.
On this occasion the following objections have been received:
54 Renshaw Boulevard, Clarkson
Number of residents consulted: 3
Number of objections received: 0
Comment
In considering this application for exemption, the following two options are available:
a) Council may grant an exemption pursuant to Section 26(3) of the Dog Act 1976 subject to conditions;
b) Council may refuse permission to keep more than two dogs.
54 Renshaw Boulevard, Clarkson
The applicant is seeking permission from the City to keep more than two dogs on their premises. The third dog “Freddy’ is a West Highland Terrier. The applicant has recently immigrated to Australia and has her daughter and her dog living with her whilst they settle. In the future her daughter will be moving into her own property which will then only leave two dogs at this property.
All boundary fences stand 1.8 metres high. The backyard is of a large size with plenty of area for the dogs to exercise.
The inspecting Ranger advises that the property is more than adequate for the confinement and exercise of the dogs. Fences and gates are in compliance with regulations. The Ranger has recommended that an exemption to the City of Wanneroo Local Laws 1999 made under Section 26(3) of the Dog Act 1976 be granted.
Statutory Compliance
This application for exemption to Council’s Local laws made under Section 26(3) of the Dog Act 1976 has been detailed in this report.
Strategic Implications
“2.4 Improve Community Safety
2.4.4 Develop and implement a range of activities that promote community safety and well being.”
Policy Implications
Nil
Financial Implications
Nil
Voting Requirements
Simple Majority
EndStrip - This line will not be printed Please do NOT delete
Recommendation
That Council:-
1. GRANTS an exemption to the City of Wanneroo Animal Local Laws 1999 made under Section 26(3) of the Dog Act 1976 to keep three dogs at number 54 Renshaw Boulevard, Clarkson subject to the specified conditions:
i) If any one of the dogs die or is no longer kept on the property, no replacement is to be obtained;
ii) Any barking by the subject dogs is to be kept to a minimum;
iii) This exemption may be varied or revoked if any complaints are received which are considered reasonable.
2. RESERVES THE RIGHT to vary or revoke, at any future date, the exemption given to the applicant should any relevant conditions be contravened.
3. ADVISES the adjoining neighbours of this decision.
EndOfRecommendation - This line will not be printed Please do NOT delete
File Ref: S09/0249V01
Responsible Officer: A/Director Governance and Strategy
Disclosure of Interest: Nil
Author: BHW Consulting/Nicky Barker
Meeting Date: 09 October 2007
Attachment(s): 1
StartStrip - This line will not be printed Please do NOT delete
Issue
To seek approval for the commencement of the process of reviewing the Council’s Local Laws as per Section 3.16 of the Local Government Act 1995.
Background
The Local Government Act 1995 (the Act), requires that Council must, every eight years after adoption or review of any Local Law, conduct a review of the Local Law to ensure that is still retains currency.
The City of Wanneroo (the City) has appointed BHW Consulting (BHW) to undertake the review of all Council’s Local Laws, with the exception of the Standing Orders Local Law 2000, which has been reviewed by Woodhouse Legal but will be included as part of the review process.
Detail
The City currently operates ten (10) Local Laws. The first part of the review is to establish whether any of the City’s Local Laws may be obsolete and consequently require repealing without being replaced or require amending.
The review has identified that there were no Local Laws on the Department of Local Government and Regional Development Local Laws Register that had not previously been repealed in accordance with S3.12 of the Act.
A review of the Local Laws has identified that most if not every current Local Law is likely to be amended. The review, however with one exception, did not identify any Local Law that should be repealed and replaced. This exception is the Standing Orders Local Law 2000, which will be repealed and replaced as part of the review process, but will still be included in the state-wide advertising for community input to ensure that the process is fully compliant.
S3.16 of the Act provides the process to be followed for a review of Local Laws. It is appropriate to point out that any outcomes from a review that result in amendments to a Local Law outlined in this report must then be processed as though it was a change to the Local Law and the amendments formally adopted using S3.12 of the Act.
This in effect means there are two distinct processes to follow - the first being a review and the second the implementation of the outcome of the review.
To commence the review process the Council is required to advertise state-wide its intention to review the Local Laws.
It is proposed that the City conduct a review in accordance with S3.16 of the Act of the following Local Laws:
After the Council has approved the review process, the Act requires that the details of the Local Laws to be reviewed must be advertised state-wide for a period of not less than 6 weeks inviting public comment from the community.
Following the state-wide advertising the Council will consider all comment/submissions received, after which it will determine the outcome of the review. This may include amendments to the Local Laws as suggested in the Discussion Paper. Any amendments approved will then be processed in accordance with S3.12 of the Act.
Comment
To assist in understanding any possible amendments to the existing Local Laws BHW has prepared a Discussion Paper (Attachment 1) on the 8 Year Review of the City’s Local Laws. The Discussion Paper outlines the approach to the review including the consultation that is being undertaken to ensure that the City staff and other stakeholders have the opportunity to provide comment at various stages of the review process.
The purpose of the Discussion Paper is to allow the Council and then in turn the community to obtain a view as to what changes may be contemplated by the City.
The Discussion Paper includes details of the changes proposed by City staff and other changes that may be required for administrative or legal reasons (i.e. Joint Standing Committee on Delegated Legislation) and suggested amendments to the level of penalties that may be applied in the event of a breach of the Local Law.
One matter that should be noted is that during the review there has been considerable discussion by BHW with City staff in regard to the management of the Extractive Industries Local Law 1998. This Local Law is subject to ongoing discussions and no proposals for any amendments have been developed at this stage.
It is, however, appropriate to state that this review has identified that the Extractive Industries Local Law 1998 does not appear to be currently managed effectively by the City and further discussion and review is required to determine Councils commitment to the Local Law.
Notwithstanding the above comment, the current Local Laws appear to be well managed with amendments be carried out on a routine basis to ensure they provide for a good operational standard. It is suggested that consideration should be given in the longer term following the amendments having been ratified to undertake an education program to provide the relevant City staff with a better understanding of the requirements of the Local Laws and improve the effective management within the community.
Consultation
In order to determine the scope of the review, BHW conducted a workshop to which all relevant City staff were invited. During this workshop staff provided feedback to BHW on possible changes that could be considered as part of the review. Whilst the matters identified have been included in the Discussion Paper they have not yet been legally considered as to whether they have an appropriate head of power. Two further meetings have been held with City staff since the workshop to clarify a number of issues. It is also proposed that once the statewide advertising of the review is undertaken that other stakeholders will be invited to comment on the proposed changes, using the Discussion Paper as a basis for stakeholder consultation.
Statutory Compliance
S3.16 of the Act requires the Council to carry out a formal review of its Local Laws every 8 years.
Following the review of the Local Laws any amendments will be processed in accordance with S3.12 of the Act.
Strategic Implications
“Governance;
Maintain a high standard of governance and accountability.”
Policy Implications
Amendments to the local laws may require that a number of the City’s Statutory policies be reviewed to ensure that they remain complaint with the local law.
Financial Implications
BHW Consultants have been appointed to undertake the local law review at a cost of $12, 500 for Section 3.16 and a further cost of $16,500 associated with any amendments that will required as a result of the review. It is envisaged that further legal and advertising costs will be incurred. The City has allocated a budget of $44,538 to this project.
Voting Requirements
Simple Majority
EndStrip - This line will not be printed Please do NOT delete
Recommendation
That Council:-
1. PROCEED with the review of the following Local Laws:
· Animals Local Law 1999;
· Bushfire Brigades Local Law 2001;
· Extractive Industries Local Law 1998;
· Health Local Law 1999;
· Local Government and Public Property Local Law 1999;
· Parking and Parking Facilities Local Law 2003;
· Private Property Local Law 2001;
· Signs Local Law 1999;
· Standing Orders Local Law 2000; and
· Trading in Public Places Local Law 1999.
2. ADVERTISE the review of the following Local Laws in accordance with s3.16 (2) of the Local Government Act 1995:
· Animals Local Law 1999;
· Bushfire Brigades Local Law 2001;
· Extractive Industries Local Law 1998;
· Health Local Law 1999;
· Local Government and Public Property Local Law 1999;
· Parking and Parking Facilities Local Law 2003;
· Private Property Local Law 2001;
· Signs Local Law 1999;
· Standing Orders Local Law 2000; and
· Trading in Public Places Local Law 1999.
EndOfRecommendation - This line will not be printed Please do NOT delete
StartOfAttachment - Do not delete this line will not be printed
CITY OF WANNEROO
8-YEAR REVIEW OF CITY OF WANNEROO LOCAL LAWS
Introduction
The Local Government Act 1995 (the Act) S3.16 requires that a local government must within a period of eight years after adoption of any Local Law conduct a review to ensure it still retains currency.
The City of Wanneroo (the City) has determined to review in accordance with the Act the following Local Laws:
· Animals Local Law 1999;
· Bushfire Brigades Local Law;
· Extractive Industries Local Law 1998;
· Health Local Law 1999;
· Local Government and Public Property Local Law 1999;
· Parking and Parking Facilities Local Law 2003;
· Private Property Local Law 2001;
· Signs Local Law 1999;
· Standing Orders Local Law 2000; and
· Trading in Public Places Local Law 1999.
The City has engaged BHW Consulting (BHW) to assist with the review of the Local Laws.
Approach to Review
It is appropriate to outline the approach that has and will be taken to complete this project.
1.a) Establish
through reference to the information in the City’s Local Law Register, the
Department’s Local Laws Register and other enquiries the details of all current
Local Laws operational in the City.
2.b) Conduct
a workshop(s) with relevant employees to obtain input into the review process.
The workshop(s) will take the form of inviting comments from employees on
potential changes that will enhance the implementation of the Local Laws under
review.
3.c) After
the formal Council decision to review the Local Laws and the public
consultation process commences meet with relevant stakeholder
individuals/groups to discuss the current Local Laws to seek input into issues
that may be impacting upon the effectiveness of the Local Law. Advice on
suitable stakeholders will be sought from the City.
3.
ATTACHMENT 1 Page 2 of 11
d) Meet with the Elected Members to discuss the current
Local Laws in broad terms, with particular reference to the Standing Orders
Local Law and also to obtain input on any new Local Laws that the City is
interested in introducing. Due to the fact that it was not possible to
establish a mutually suitable date within the Council calendar this part of the
project has been undertaken by the City’s solicitor John Woodhouse, but is
incorporated into this discussion paper.
5.Noting the
requirements of S3.16 of the Act conduct a review of all existing City Local
Laws identified in part 2 above and having regard to the outcomes of the
stakeholder consultation process and the following provisions outlined in the
City’s quotation document:-
a)·
Consolidating, if necessary, existing Local Laws
relating to similar subjects and deleting duplication of similar clauses, if
any.
b)·
Ensuring that Local Laws are simple, clear, and are
relevant to current needs.
c)·
Local Laws to be read alone without the need to
refer to other documents.
d)·
Include infringement issues as an enforcement
process where required.
e)·
National Competition Policy.
f)·
Matters raised previously by the Joint Standing
Committee on Delegated Legislation.
g)·
State Government Policy issues.
6.·
Prepare a draft discussion paper which will outline
a proposed course of action with respect to each of the City’s Local Laws. The
draft discussion paper will identify which Local Laws should be repealed,
amended or replaced in its entirety. Where the proposal is to amend the Local
Law the broad details of the likely amendments will be outlined in the
discussion paper.
· Prepare a report for the Council submitting the discussion paper and seeking formal approval from the Council for the review to be undertaken.
7.·
Prepare the advertisement, as a statewide public
notice, for the review of the Local Laws.
8.·
Following the close of the advertising period (ie
not less than 6 weeks) review all submissions received and prepare a formal
report to the Council for adoption of the review as to whether a Local Law
should be repealed or amended.
Proposed Changes
The following proposals in respect to each Local Law are to be considered by the City of Wanneroo at the conclusion of the public submission period:
Animals Local Law 1999
Adopted: 13 July 1999
Amended: 13 August 2002
25 November 2003
23 November 2004
21 November 2006
Clause 6 - Definitions
Include a definition of cage or enclosure or loft.
ATTACHMENT 1 Page 3 of 11
Clause 13 – Fencing Requirements
Fencing requirements for the keeping of a dog do not currently apply to rural areas. It is considered that clause 13(3) should be repealed so as to have the fencing requirements standardised across the whole City.
Clause 34.2(b)
It was considered that the distance that a cage or enclosure or loft is required to be located away from a dwelling house be reviewed. It was felt that having a requirement that the cage or loft for pigeons must be a distance of not less than 9 metres from a dwelling house was too restrictive and it should be changed to require it to be a distance of 9 metres from any dwelling house other than the property on which the loft/cage/enclosure was situated.
Clause 45 – Keeping of Cats
Throughout the consultation process comments were made to the effect that the City may require additional Local Laws to undertake the management of cats. The current Local Law already has certain controls in respect to the keeping of more than three cats and up to six cats over the age of three months on any property. Where the property is in the rural area and there are more than three cats providing that an application is made to the City to establish a cattery.
The need for any additional controls depends on the adequacy of the current controls and whether different restrictions or licensing is required within the City.
Clause 53 - Limit on Liability
Some concern has been expressed by the Joint Standing Committee on Delegated Legislation (the Committee) that clauses such as the one in this Local Law are ousting the jurisdiction of the courts to hear such claims. It is likely the clause will be required to be repealed.
Section 9.56 of the Local Government Act 1995 provides protection from personal liability in tort to councillors, council employees and agents who perform acts or omissions in good faith. However, the protection does not extend to ‘the local government’. The Committee has concluded that such a clause is inconsistent with section 9.56(4) of the Act and is not authorised by the Local Law making power in section 3.5. A local government might be able to exclude liability by contract, but local governments seeking to do this should obtain independent legal advice on this matter.
In the Committee’s opinion, the general legislative making power in section 3.5(1) of the Local Government Act 1995 is insufficient to make a Local Law abrogating the fundamental right to sue a local government for a cause of action recognised by the common law or statute.
The Committee will continue to require local governments to provide written undertakings to repeal ouster clauses.
First Schedule – Offences and Modified Penalties
The current penalties are generally satisfactory however some changes will be required to impose an increased penalty in Part 2 – Dogs in respect to dangerous dogs.
Bushfire Brigades Local Law
Adopted: 6 February 2001
Amended: None
ATTACHMENT 1 Page 4 of 11
Clause 1.2 - Definitions
There is currently a definition of “rules” within the Local Law, which is appropriate, however the reference to the First Schedule in this definition is invalid as no First Schedule exists within the Local Law. The definition also refers to clause 2.5 of the Bushfire Brigades Local Law which allows the rules that do no exist to be varied.
Clause 2.5 – Variation of Rules
As the Local Law does not incorporate details of any rules of operation for brigades clause 2.5 is invalid. Further the Joint Standing Committee on Delegated Legislation requires that a set of rules is incorporated as a Schedule to the Local Law and there is a requirement that to alter or vary the rules it must be undertaken as an amendment to the Local Law.
The Local Law should be amended to include the appropriate rules and remove the clause that allows it to be varied by the Council.
Extractive Industries Local Law 1998
Adopted: 9 February 1999
Amended: None
Considerable discussion has been undertaken by BHW with City staff in regard to the management of the Extractive Industries Local Law. This Local Law is subject to ongoing discussions and no proposals for any amendments have been developed.
It is, however, fair to observe that this review has identified that the Extractive Industries Local Law 1998 is not being managed effectively by the City at this time and unless there is a commitment to the Local Law consideration should be given to its repeal.
Health Local Law 1999
Adopted: 13 July 1999
Amended: 11 June 2002
7 September 2007 (by notice under S343B(3) of the Health Act 1911)
Clause 1.5 Interpretation
Include a new definition of “waste water”.
Throughout the Local Law there will need to be changes to a number of definitions particularly relating to Australian Standards, local government and Building Code.
Clause 2.6 – Outdoor Festivals
Requirements for the holding of outdoor festivals are now governed by a Health Department Guidelines for Concerts, Events and Organised Gatherings. This clause should be amended to reflect the change.
Part 4 Eating Houses
Clause 4.7 Eating Areas
There is a need for a review of the appropriateness of the current clauses relating to “eating houses”. There is a suggestion that the current outdoor dining restrictions require clarification.
ATTACHMENT 1 Page 5 of 11
Clause 5.1 Interpretation
A change to the current definition of “refuse disposal site” is required as currently this refers exclusively to Tamala Park Refuse Disposal Site. There is concern that this may restrict other sites being used for the disposal of refuse from within the City.
Clause 5.8 Removal of Rubbish or Refuse
The current wording only allows residents to deliver occasional accumulated refuse from their home to Tamala Park Refuse Disposal Site. It is considered that this wording is too restrictive and impractical. As such, there is a view that residents should be able to deliver their accumulated refuse to other sites of their choosing. The wording should allow to an authorised or approved site not necessarily within the City of Wanneroo.
Clause 5.10(2) Deposit of Refuse (Pick-up of Rubbish – Verge Collection)
This clause provides that the owner or occupier can only place rubbish on the verge when “expressly invited by an authorised person”. The clause is unclear as to at what point or when is a person invited, as there are currently a number of notices or advice to owners and occupiers. Some clarification on when a person is invited to place refuse on the verge for collection via the regular “verge” collection scheme is required.
Clause 6.7 Waste Food etc. to be kept in Rodent Proof Receptacles
This clause has been identified by the Joint Standing Committee on Delegated Legislation when reviewing the Health Local Laws of another Local Government as being unreasonable and should be changed so as to regulate storage of food, refuse and other waste the subject of the clause.
As a consequence the Minister for Health through the Health Department has processed under S343B(3) of the Health Act 1911 certain amendments to Health Local Laws including clause 6.7 of the City of Wanneroo Health Local Law 1999.
This amendment is now operational and there is no need for the matter to be subject to review but is recorded for administrative ease.
General
Recycling
There are several matters with regard to recycling.
There appears to be a need for a clear definition and process for recycling.
It is also not clear who owns the recycled material. This applies particularly with regard to material that may be placed on a verge for collection as part of the verge collection process.
The Waste Avoidance and Resource Recovery Bill 2006 currently under consideration may impact on the issue of recycling. It is understood that this Bill was subject to a Green Paper in 2006 and is still under consideration by the State Government. Given the potential for legislative change, it may be prudent to defer the inclusion of any matters in a Local Law until the relevance of the legislation can be established after being passed by Parliament.
Competition Policy
It is proposed that the Health Local Law 1999 be reviewed against competition policy. This would seem appropriate and in keeping with current practice when reviewing Local Laws.
ATTACHMENT 1 Page 6 of 11
Local Government and Public Property Local Law 1999
Adopted: 18 January 2000
Amended: None
Clause 6 Definitions
There is currently no definition of “beach” or “sand dune” within the Local Law. Given the number of activities that may be undertaken within a beach environment, consideration to the inclusion of suitable definitions may be appropriate.
Part 4 Use of Local Government and Public Property
Clause 25 – Prohibited activities
Prohibited activities listed in this clause should also include model powered boats and model aircraft.
Part 7 Reserves, Beaches and Bathing
It was considered that throughout Part 7 of the Local Law there was no specific definition as to what might constitute organised activities on the beach. It was considered that clarification on this matter was necessary for the future management of beach activities.
Part 8 Activities in Thoroughfares
Clause 48 Verge Treatment
It was considered that this clause could be amended to the provide details of what type of finishes are not permitted such as gravel, crushed brick or loose stone. There should be a level of consistency between the information included in the Local Law and the City’s Nature Strip Guidelines.
Clause 50 Owners or Occupiers Responsibility for Verge Treatments
Clause 50(d)
The restriction or prohibition of clothing bins within the City’s boundaries was considered necessary because they are considered an obstruction. Ensuring such bins are specifically identified could be helpful in the administration of the Local Law. It is proposed to amend clause 50(d) to clarify the matter.
A further matter that has been identified within Clause 50(d) relates to whether the reference to “no obstructions on or around any verge treatment” includes the placement of sporting equipment on the verge such as a basketball ring, cricket wickets etc. The City’s current verge treatment guidelines state that "no sporting equipment (ie. basketball hoop/stand, cricket wickets, etc) may be positioned temporarily or permanently within the nature strip area. When basketball hoops are located on private property please be mindful of the direction the hoop faces so as to prevent balls entering the road and neighbouring properties".
This matter can be considered in relation to the review however it is thought that the current wording of the Local Law provides sufficient power to manage the issue.
Clause 53 Verge Crossing Treatment
It was considered that this clause needs to be altered to change the wording from "may only install or have installed a vehicle crossing" to "must install or have installed a vehicle crossing".
ATTACHMENT 1 Page 7 of 11
Furthermore, there is currently no penalty listed against non-compliance in the schedule of offences and modified penalties for a breach of this clause. It would appear appropriate to include a modified penalty in the schedule of penalties.
Clause 54 Permissible Treatments for Standard Vehicle Crossing
There is currently no penalty listed against non-compliance in the schedule of offences and modified penalties for a breach of this clause. It would appear appropriate to include a modified penalty in the schedule of penalties.
Clause 65 Limit on Liability
Some concern has been expressed by the Joint Standing Committee on Delegated Legislation (the Committee) that clauses such as the one in this Local Law are ousting the jurisdiction of the courts to hear such claims. It is likely the clause will be required to be repealed.
Section 9.56 of the Local Government Act 1995 provides protection from personal liability in tort to councillors, council employees and agents who perform acts or omissions in good faith. However, the protection does not extend to ‘the local government’. The Committee has concluded that such a clause is inconsistent with section 9.56(4) of the Act and is not authorised by the Local Law making power in section 3.5. A local government might be able to exclude liability by contract, but local governments seeking to do this should obtain independent legal advice on this matter.
In the Committee’s opinion, the general legislative making power in section 3.5(1) of the Local Government Act 1995 is insufficient to make a Local Law abrogating the fundamental right to sue a local government for a cause of action recognised by the common law or statute.
The Committee will continue to require local governments to provide written undertakings to repeal ouster clauses.
First Schedule – Offences and Modified Penalties
It is proposed to impose the same penalty for all offences and to increase the penalty from the current $50 and $100 to an amount of $125 for each offence.
Parking and Parking Facilities Local Law 2003
Adopted: 16 December 2003
Amended: 1 February 2005
First Schedule – Parking Region
A minor change will be required to sub-clause (c) to reflect the current arrangements with the Commissioner of Main Roads.
Second Schedule - Prescribed Offences
The Second Schedule details the various modified penalties for contravention of the Local Law. The penalties are either $50 or $100 depending upon the offence. It is proposed to standardise all penalties at $100.
Parking in Laneways
During the consultation with the City’s staff, comment was made that there appeared to be no control on parking in laneways unless a sign placing parking restrictions was installed.
ATTACHMENT 1 Page 8 of 11
It was considered that to install signs throughout the City area was not a realistic approach. It was proposed that a method of introducing broad or general controls in the City should be contemplated.
Private Property Local Law 2001
Adopted: 30 April 2002
Amended: 9 August 2002
Clause 1.6 Definitions
Dangerous Trees
Currently there is no definition for “dangerous trees” within this Local Law. It is felt that the Local Law should incorporate such a definition.
State of disrepair
It is proposed to redefine the definition “state of disrepair” by deleting the last sentence in the definition and adding the following:
“….The term includes vehicles which are not road registered or cannot be legally used on the roads by virtue of their condition.”
Clause 7.1.1(a) Security and Floodlights
This clause permits a person to erect a luminare providing it does not cause “a level of illumination greater than a 1 lux to spill into adjacent land by more than 1m or onto any vertical or horizontal surface of a building thereon”. It is thought that the 1 lux illumination spilling into an adjacent land should be reviewed to assess whether this level of illumination should be increased. It is likely that it should read 10 lux.
It should be noted that this clause does not apply to commercial or industrial land.
Clause 7.1.1(b) Security and Floodlights
A question arose as to what is meant by the clause and its relationship to maximum angle from the vertical plane. It is proposed that Clause 7.1 (1) (b) be changed to wording along the following lines:
"The installation height of each floodlight or security light must not exceed 3 metres above natural ground level and it must be positioned so that each light points vertically down. The installation angle must not exceed twenty degrees from vertically down."
Part 10 Vehicle Storage, Wrecking, Fibreglassing and Spray Painting
It is proposed that a new clause 10.1 be inserted which reads as follows:
10.1 Parking and storage of NON-COMMERCIAL vehicles generally:
10.1.1 Only vehicles which are operational and registered for on-road use may be parked or stored in the front set-back of residential properties.
10.1.2Any vehicle which is not operational and road registered may only be stored within a garage, or in the rear
set-back, screened so as not to be visible from beyond the property
boundaries.
ATTACHMENT 1 Page 9 of 11
The use of vehicle covers within the front set-back does not qualify as screening under this clause.
10.1.3Any vehicle, whether road registered or not, which is longer than 10
metres, wider then 2.5 metres or higher than 3 metres, may not be stored at a
residential lot.
The current clause 10.1 is renumbered 10.2 with consequential changes for the balance of the Part.
Redefine “state of disrepair” in within the definition section by adding the following final sentence:
“….The term includes vehicles which are not road registered or cannot be legally used on the roads by virtue of their condition.”
Clause 14.2 Limit on Liability
Some concern has been expressed by the Joint Standing Committee on Delegated Legislation (the Committee) that clauses such as the one in this Local Law are ousting the jurisdiction of the courts to hear such claims. It is likely the clause will be required to be repealed.
Section 9.56 of the Local Government Act 1995 provides protection from personal liability in tort to councillors, council employees and agents who perform acts or omissions in good faith. However, the protection does not extend to ‘the local government’. The Committee has concluded that such a clause is inconsistent with section 9.56(4) of the Act and is not authorised by the Local Law making power in section 3.5. A local government might be able to exclude liability by contract, but local governments seeking to do this should obtain independent legal advice on this matter.
In the Committee’s opinion, the general legislative making power in section 3.5(1) of the Local Government Act 1995 is insufficient to make a Local Law abrogating the fundamental right to sue a local government for a cause of action recognised by the common law or statute.
The Committee will continue to require local governments to provide written undertakings to repeal ouster clauses.
Fifth Schedule – Offences and Modified Penalties
It is proposed to increase the penalties generally by $50 for all offences which would make them $150 and $250 respectively.
Schedule of Fees and Charges
It is proposed to examine whether the fees included in this schedule can be adopted by the City under S6.16 of the Local Government Act 1995. If this is not possible the fees will be altered to reflect current costs of providing the service.
General
Dumping of oil by a private person (as opposed to dumping by commercial interests)
Currently there is no clause relating to the disposal of oil by a private person. Clause 13.2 - Property drainage - controls the discharge of storm water or waste water from a property but there is no reference to the disposal (dumping) of oil.
ATTACHMENT 1 Page 10 of 11
The City’s staff considers there is a need to control this activity. This can be done by incorporating into the Private Property Local Law 2001 a clause which will prohibit the disposal of oil.
Signs Local Law 1999
Adopted: 13 July 1999
Amended: None
Clause 15 – Licence Exemptions
Clause 15(1)(b)
Amend the Local Law to increase the size restriction for property disposal signs to 2m2 (currently 1.2m2).
Clause 15(1)(f)
Amend the Local Law to limit the area of window signage permitted to 50% (currently no restriction) of the glazed areas of any one window or 10m2 in aggregate per tenancy.
Clause 15(1)(l)
Amend the Local Law to exempt from obtaining a licence rural producer’s signs not exceeding 3 metres in height and 3m2 in area.
Clause 36 Limit on Liability
Some concern has been expressed by the Joint Standing Committee on Delegated Legislation (the Committee) that clauses such as the one in this Local Law are ousting the jurisdiction of the courts to hear such claims. It is likely the clause will be required to be repealed.
Section 9.56 of the Local Government Act 1995 provides protection from personal liability in tort to councillors, council employees and agents who perform acts or omissions in good faith. However, the protection does not extend to ‘the local government’. The Committee has concluded that such a clause is inconsistent with section 9.56(4) of the Act and is not authorised by the Local Law making power in section 3.5. A local government might be able to exclude liability by contract, but local governments seeking to do this should obtain independent legal advice on this matter.
In the Committee’s opinion, the general legislative making power in section 3.5(1) of the Local Government Act 1995 is insufficient to make a Local Law abrogating the fundamental right to sue a local government for a cause of action recognised by the common law or statute.
The Committee will continue to require local governments to provide written undertakings to repeal ouster clauses.
General
The Local Law should be reviewed to ensure that the requirements of the Local Law are consistent with the Signage Strategy developed by the City and where appropriate initiate an amendment to the Local Law.
Standing Orders Local Law 2000
Adopted: 26 September 2000
Amended: 12 June 2001
ATTACHMENT 1 Page 11 of 11
The Standing Orders Local Law 2000 has been subject to an
independent review by the City’s solicitor and it is understood that the
current Local Law will be repealed and replaced by the new Local
Law.
The City has as a consequence identified that the proposed outcome of the review of the Standing Orders Local Law 2000 will be repeal and replacement.
As such the review is not considered necessary.
Trading in Public Places Local Law 1999
Adopted: 13 July 1999
Amended: None
Part 6 Street Entertainment
Clause (34) (a) - Prohibition
This clause relates to the issuing of permits for people to engage in any form of street entertainment. A comment was made that the last time Cultural Development wished to issue a license, there was not an existing license document that could be used.
It is felt that as the Town Centre develops the City will need to address requests for street performance type of activities.
Clause 39 Responsibilities of Licensee
It was considered by City staff that the issue of entertainment in public places needs to be reviewed. The current clauses, particularly Clauses 39 1(a), 39 1(d), 39 1(f), 39 4 (a), and 39 4 (b) appear restrictive and impractical.
Clause 46- Limit on Liability
Some concern has been expressed by the Joint Standing Committee on Delegated Legislation (the Committee) that clauses such as the one in this Local Law are ousting the jurisdiction of the courts to hear such claims. It is likely the clause will be required to be repealed.
Section 9.56 of the Local Government Act 1995 provides protection from personal liability in tort to councillors, council employees and agents who perform acts or omissions in good faith. However, the protection does not extend to ‘the local government’. The Committee has concluded that such a clause is inconsistent with section 9.56(4) of the Act and is not authorised by the Local Law making power in section 3.5. A local government might be able to exclude liability by contract, but local governments seeking to do this should obtain independent legal advice on this matter.
In the Committee’s opinion, the general legislative making power in section 3.5(1) of the Local Government Act 1995 is insufficient to make a Local Law abrogating the fundamental right to sue a local government for a cause of action recognised by the common law or statute.
The Committee will continue to require local governments to provide written undertakings to repeal ouster clauses.
First Schedule – Offences and Modified Penalties
It is proposed to increase the penalties generally by $50 for all offences which would make them $100, $150 and $250 respectively.
EndOfAttachment - Do not delete this line will not be printed
File Ref: S09/0129Vo1
File Name: AA Local Government Official Conduct Amendment Act 2007 Appointment of a Complaints Officer.doc This line will not be
Responsible Officer: A/Director Governance and Strategy
Disclosure of Interest: Nil
Author: Nicky Barker
Meeting Date: 09 October 2007
Attachment(s): Nil
StartStrip - This line will not be printed Please do NOT delete
Issue
To appoint a Complaints Officer as per Section 5.120 of the Local Government (Official Conduct) Amendment Act 2007.
Background
The purpose of the Local Government (Official Conduct) Amendment Act 2007 is to amend the Local Government Act 1995 to provide a disciplinary framework to deal with individual misconduct by local government council members. The legislation will operate from 21 October 2007 and will provide for uniform “rules” for all Council members.
The amendments provide for:
“(i) the establishment of a statewide standards panel to deal with complaints about minor breaches which are to be contraventions of a new code (rules) of conduct with penalties including public censure, public apology or an order to undertake training, and;
(ii) for complaints about serious breaches to be made to the Department of Local Government and Regional Development for possible referral to the State Administrative Tribunal (SAT) for determination including similar penalties as above and stronger penalties of up to six month suspension or up to five years disqualification.”
(Local Government (Official Conduct) Amendment Act 2007 (Explanatory Notes)
The Local Government (Rules of Conduct) Regulations 2007 cover the following key areas:
· “Principles of general behaviour
· Local law as to conduct at meetings
· Use of information
· Securing unauthorised advantages or disadvantages
· Misuse of Council resources
· Prohibition against involvement in administration
· Relations with local government employees
· Disclosure of interest adversely affecting impartiality; and
· Restriction on receiving, and disclosure of, certain gifts.”
(Local Government (Official Conduct) Amendment Act 2007 (Explanatory Notes)
Detail
Complaints regarding minor or serious breaches are in the first instance to be received by the Local Government Authority through a Complaints Officer and must be in writing. Although a statutory declaration is not necessary, it is to be an offence attracting a maximum penalty of $5,000 to give false or misleading information to a complaints officer. The complaint is then assessed by the Standards Panel who deals with minor breaches. Complaints referred to the standards panel are to be kept confidential if received during the period prior to an election.
Procedure for minor breaches:
1. Complaints to be in writing in an approved Complaint Form and sent to the City’s designated Complaints Officer.
2. On initial receipt of a complaint relating to a minor breach, the Complaints Officer is to check to ensure that all details have been entered and that the form is dated and signed.
3. The Complaints Officer is to acknowledge receipt of the complaint form.
4. A copy of the complaint is to be sent to the council member being complained about.
5. Complaints of a minor breach to be referred to the Standards Panel, along with any relevant information the complaints officer has in relation to the complaint.
6. The council member complained about may respond in writing to the Standards Panel to any adverse allegations in the complaint.
Procedure for serious breaches:
Allegations of repeated minor breaches, or serious contraventions of the legislation, such as financial interest contraventions or the misuse of information for personal gain, are to be referred to the Director General of the Department of Local Government and Regional Development. The Director General will then determine whether to refer the matter to the SAT, refer the matter to another enforcement agency or take direct prosecution action.
SAT will be able to impose the same penalties as a standards panel on individual elected members as well as being able to suspend the council member for a period of not more than six months, or disqualify the council member for a period of not more than five years, from holding office as a member of a council.
Comment
Appointment of Complaints Officer
Complaints are to initially be received by the relevant local government's Complaints Officer and the Act requires that the appointment be a senior employee or in the absence of an appointment, the Chief Executive Officer.
The Department of Local Government and Regional Development has suggested that a form of mediation take place prior to the complaint being formalised. Where the local government becomes aware that a person may be considered making a formal complaint of a minor breach it is suggested that an offer be made for the complainant and elected members to participate in a process for resolution of the matter. However, if a formal complaint of a minor breach is received then the Complaints Officer must forward the complaint to the standards panel.
The Department has provided a “handout” on the process to be followed for mediation and has suggested that the Complaints Officer be encouraged to give the handout to people before they lodge their complaint.
Details of any decision made against a person by the Standards will need to be included in a public register and is to be entered into the local government’s annual report.
While it is unclear at this stage as to the level of workload and involvement the Complaints Officer will have, there is a strong view that given the direct hands on involvement by the Complaints Officer in relation to these matters, this person should remain outside of the Council’s and elected members day to day functions.
On this basis it is proposed that the City’s Complaints Officer should be an external appointment that has intimate knowledge of Local Government procedures and protocols.
As stated previously, the Local Government (Official Conduct) Amendment Act 2007 requires that the Complaints Officer has to be a ‘senior employee’.
Section 5.37(2) of the Local Government Act required that the Chief Executive Officer is to inform Council of each proposal to employ or dismiss a senior employee. In this case it is proposed to employ a senior employee on contract to carry out the duties of the Complaints Officer.
The terms of the contract will include the requirements for the employee to:
1. Receipt, acknowledge and manager all minor and serious breaches;
2. Undertake mediation where necessary;
3. Report to the Chief Executive Officer as required; and
4. Represent the City at appropriate hearings and meetings as required.
The hours of employment will be dependent on the number of matters forwarded and managed by the Complaints Officer. Regulation 18A of the Local Government (Administration) Regulations 1996 prescribes that in advertising a senior employee position, the Council is required to disclose in addition to general details the remuneration and benefits to be offered.
For this position it is proposed to pay an hourly rate of $35.99 plus 20% which is the standard casual loading. This level equates to other senior officers within the Local Government Officers Award.
Review of the City’s current Code of Conduct
Subsequent to the proclamation of the Local Government (Official Conduct) Amendment Act 2007 and the formulation of the Rules of Conduct, as well as amendments to the Local Government (Administration) Regulations 1996 and the Local Government (Constitution) Regulations 1998), each Local Government is required to amend it Code of Conduct to be consistent with the new and amended legislation. The new Rules of Conduct cover many areas that are commonly dealt with in a local government’s Code of Conduct and it is recommended that the City review and amend it current Code of Conduct to remove any inconsistencies.
Advice received from the City’s solicitors suggest that it would be advantageous for the City to adopt three separate codes, one for elected members which is succinct and does not repeat any of the provisions already incorporated in the Local Government (Rules of Conduct) Regulations 2007, one for staff incorporating new provisions controlling the acceptance of gifts and a separate code for committee representatives who are not Council members which will, amongst other things, emphasis the need to declare impartiality interest etc.
A draft of both the Elected Members Code and the Committees Code will be presented to Council for consideration in the near future.
Statutory Compliance
Appointment of a Complaints Officer as per Section 5.120 of the Local Government (Official Conduct) Amendment Act 2007 and the review of the City’s current Code of Conduct as per Section 5.103 (1) and (3).
Strategic Implications
“Governance
4.7 Maintain a high standard of governance and accountability.”
Policy Implications
A review of the City’s Code of Conduct with a view to developing three separate codes for elected members, staff and committees.
Financial Implications
Funding this position will be through a variation in the Governance and Strategy salaries budget.
Voting Requirements
Simple Majority
EndStrip - This line will not be printed Please do NOT delete
Recommendation
That Council:-
1. APPROVE the Chief Executive Officer to negotiate the appointment of a senior employee on contract to undertake the duties of Complaints Officer as per Section 5.120 of the Local Government (Official Conduct) Amendment Action 2007; and
2. NOTE the City’s intention to draft three new Codes of Conduct to comply with Sections 5.103 (1) and (3) of the Local Government Act 1995.
EndOfRecommendation - This line will not be printed Please do NOT delete
File Ref: S07/0057V03
File Name: AA Revoke a Decision of Council on 18 September 2007 Waiver of Fees Application for Shire of Northam.doc This line will
Responsible Officer: A/Director Governance and Strategy
Disclosure of Interest: Nil
Author: Tammy Cumbers
Meeting Date: 9 October 2007
Attachment(s): Nil
StartStrip - This line will not be printed Please do NOT delete
Issue
To consider a recision motion to correct a reference to a beneficiary of a waiver of fees request.
Background
Council resolved at its ordinary meeting on 18 September 2007 as follows:-
“That Council APPROVE a 100% waiver of fees in the sum of $529.50 for the Shire of Northam to hire Kingsway Sporting Complex for a World Record Attempt Telethon Fundraising event to be held on 13 and 14 October 2007.”
Detail
The City contacted the Shire of Northam to advise of their successful waiver of fees and were advised that due to lack of support from the Northam community and ill timing for the Perth Redbacks Floorball Club, the event would be postponed until next year.
Statutory Compliance
Nil
Strategic Implications
Nil
Policy Implications
Nil
Financial Implications
The sum of $529.50 will remain for use in the Governance Award Donations Account. Therefore the remaining balance for the 2007/2008 financial year will be $27,223.15.
Voting Requirements
Absolute Majority
EndStrip - This line will not be printed Please do NOT delete
Recommendation
That Council:-
1. NOTES that Councillors _______, _______, ____________, _____________ and ___________ support a motion to revoke a decision of Council.
2. REVOKES BY ABSOLUTE MAJORITY, the following decision of Council made at the Ordinary Council meeting on 18 September 2007 detailed below:-
“That Council APPROVE a 100% waiver of fees in the sum of $529.50 for the Shire of Northam to hire Kingsway Sporting Complex for a World Record Attempt Telethon Fundraising Event held on 13 and 14 October 2007.”
EndOfRecommendation - This line will not be printed Please do NOT delete
File Ref: S24/0097v01
File Name: A Extension of Appointment of Acting Director Governance and Strategy.doc This line will not be printed dont delete
Responsible Officer: Chief Executive Officer
Disclosure of Interest: Nil
Attachment(s): Nil
Author: Fiona Bentley
Meeting Date: 9 October 2007
StartStrip - This line will not be printed Please do NOT delete
Issue
To consider the extension of the appointment of Mr John Love as Acting Director Governance and Strategy from 15 October 2007 to a maximum of 31 December 2007.
Background
Council at its Ordinary Meeting of 19 September 2006 (CE01-09/06) endorsed the recommendation of the Chief Executive Officer to:
“2. ENDORSE the recommendation of the Chief Executive Officer to appoint the Manager Human Resources – John Love to the position of Acting Director Governance and Strategy for the period 18 June 2007 to 15 October 2007 inclusive.”
Detail
Under the Local Government Act (1995) Council is required to endorse the recommendation of the Chief Executive Officer to appoint senior management and any person acting in the position.
The Acting Chief Executive Officer requests Council to extend the appointment of Mr John Love as Acting Director Governance & Strategy to a maximum period up to 31 December 2007.
Mr Love was originally appointed as Acting Director Governance and Strategy between 18 June 2007 – 15 October 2007 inclusive because the incumbent Mr Daniel Simms was appointed as Acting Chief Executive Officer until 15 October 2007, during the Chief Executive Officer’s long service and study leave from 3 March 2007 to 15 October 2007.
During his period as Acting Chief Executive Officer Mr
Simms was selected for appointment as Chief Executive Officer of the City of
Gosnells and will be leaving the City of Wanneroo on 21 October 2007, leaving
his incumbent position of Director Governance and Strategy vacant.
Mr Simms is currently on leave and Mrs Fiona Bentley has been appointed by Council as Acting Chief Executive Officer until 14 October 2007.
Consultation
There has been ongoing consultation about the recruitment and selection process between the City’s appointed consultant Mr Geoff Blades of Lester Blades, Mr Daniel Simms, Mr Charles Johnson and Mrs Fiona Bentley.
Comment
Recruitment and selection for the vacant position of Director Governance and Strategy is currently underway but it is not envisaged that a recommendation to Council is made before the Chief Executive Officer, Mr Charles Johnson, returns from leave on 16 October 2007.
It is recommended that Council extend Mr John Love’s appointment as Acting Director Governance and Strategy to ensure good management of the directorate and continuity within the executive management team.
Statutory Compliance
The Local Government Act (1995) S5.3.6 requires that Council appoint the Chief Executive Officer, and this extends to the appointment of an Acting Director Governance and Strategy. The Department of Local Government has confirmed that the Local Government Act further requires Council to endorse the recommendation of the Chief Executive Officer to appoint senior employees.
Strategic Implications
Nil
Policy Implications
Nil
Financial Implications
Nil
Voting Requirements
Simple Majority
EndStrip - This line will not be printed Please do NOT delete
Recommendation
That Council ENDORSES the recommendation of the Acting Chief Executive Officer to extend the appointment of the Manager Human Resources, Mr John Love, to the position of Acting Director Governance and Strategy for the period 15 October 2007 up to a maximum period to 31 December 2007.
EndOfRecommendation - This line will not be printed Please do NOT delete
File Name: ACr T Roberts .doc This line will not be printed dont delete
File Ref: S07/0057V03
Responsible Officer: Nil
Disclosure of Interest: Nil
Attachments: Nil
StartStrip - This line will not be printed Please do NOT delete
Issue
To consider a request for support received from the Quinns Mindarie Surf Lifesaving Club.
Background
The Quinns Mindarie Surf Life Saving Club plays an important role in the local community donating their time to assist with regular beach patrols and also with special/emergency cases and has requested further support from the City.
Detail
At its Ordinary Meeting of 12 October 2004, Council agreed to the following:-
“1. AGREES to enter into a 5-year Lease with an option for a further 5 years with the Quinns Mindarie Surf Lifesaving Club over the new clubrooms on Lot 211 Quinns Road, Mindarie in accordance with the Council’s Tenancy Policy.”
Further to this, Council also agreed to:-
“3. DONATE the sum equivalent to the cost associated with Council rates (excluding Emergency Services Levy and rubbish charges) and the contribution to the Asset Preservation Fund for the leased premises above estimated in total to be $2,300 per annum for the 2004/05 and 2005/06 financial years and these be applied against Governance Donations 05201.0001.4401.”
At its Council Meeting of 10 October 2006, Council agreed to the following:-
“1. RECEIVES a copy of the Quinns Mindarie Surf Lifesaving Club Annual Report for 2005/06.
2. NOTES that a total of 1,235.75 Patrol Hours were recorded in the logbook on a voluntary basis by members.
3. RESOLVES to donate an amount of $3,300.00 to the Quinns Mindarie Surf Lifesaving Club in recognition of its provision of surf lifesaving patrols of the local coastline subject to:
a) payment by the club of its Emergency Services Levy within 14 days of notification by the City;
b) presentation to the City within six months of a five (5) year business plan showing the ongoing viability of the Club;
4. RESOLVES
to provide no further funding support if the Club enters into a Restricted Club
License enabling it to derive an income from the sale of alcohol.”
The Quinns Mindarie Surf Lifesaving Club has recently received its 2007/08 Rates Notice amounting to $3,585.07, which is comprised of GRV Rates of $3,007.47 and the Emergency Services Levy of $577.60.
In addition, the lease from the City provides that the Club contribute to the Asset Preservation Fund and the charge for January – December 2007, based on the replacement value of the building, amounts to $990 (GST inclusive). Being a Non Commercial (ie sporting, recreational or community group) the annual lease fee is $1.00 per annum in accordance with the Tenancy Policy.
Comment
It is recommended that a further payment be made, in recognition of the voluntary contribution by members of the Quinns Mindarie Surf Lifesaving Club in providing essential surf lifesaving patrols to the local coastline.
A donation of $3,007.47, which represents the amount due for 2007/08 rates (excluding the emergency services levy), to assist the Club with operating expenses will enable it to better focus its efforts and attention on valuable beach and community services rather than fundraising initiatives.
Statutory Compliance
Nil
Strategic Implications
Nil
Policy Implications
Nil
Financial Implications
The sum of $3007.47 could be funded from the Award Governance Donations Account -
717633-1207-316.
Voting Requirements
Simple Majority
EndStrip - This line will not be printed Please do NOT delete
Recommendation
That Council:-
1. RESOLVES to donate an amount of $3007.47 to the Quinns Mindarie Surf Life Saving Club in recognition of its provision of surf life saving patrols of the local coastline, subject to –
a) RECEIVES a copy of the 2006/07 Annual Report, if available, or an audited set of books as at that date;
b) the presentation of the five year business plan, as requested in October 2006 (CS03-10/06 refers), prior to any donation being made; and
c) all amounts due to the City for rates, asset preservation fund contribution, and any other relevant charges, being paid in full by the Club prior to any donation being made.
Administration Comment
Administration is concerned at the regularity of the claims for assistance by the Quinns Mindarie Surf Lifesaving Club and considers that any further payments to the club would set a precedent for other community and sporting groups, including other surf lifesaving clubs, which has the potential to undermine the existing Tenancy Policy. The claim in this instance does not appear to be made on the basis of affordability as financial statements have not been submitted in support of the claim.
Financial assistance has been provided by Council to the club on two (2) separate occasions in the past. In October 2004 Council agreed to donate $2,300 to the Club to cover rates (excluding ESL) and contributions to the Asset Preservation Fund.
In October 2006, Council further agreed to donate $3,300 to the Club in recognition of the provision of surf lifesaving patrols. The resolution however, in part, stated that the donation was subject to “3. b) presentation to the City within six months of a five (5) year business plan showing the ongoing viability of the Club”. This business plan has not been received to date.
All charges levied against the Club have been made in accordance with the lease agreement and the Tenancy Policy adopted by Council in 2004. It is the intention of this policy is to ensure that all users of the City’s facilities are treated in a consistent and equitable way.
In addition, the Council resolution from 2006 went on to say that –
“4. RESOLVES to provide no further funding support if the Club enters into a Restricted Club License enabling it to derive an income from the sale of alcohol.”
The President of the Club is still pressing for a Club Restricted License, previously rejected by the City (powerdocs #406864 & #512478 refer), to be supported by the City and, an email to the Health Services Unit dated 11 September 2007 requested, in part –
“I would like to set up a meeting with you and David again to meet at the club so we can have you go through and tick off all of the things you listed that required attention prior to the City giving us approval to apply for the Liquor Licence.”
Given Council’s resolutions from October 2006 it is the opinion of Administration that no further financial support be given to the Club until –
1. The presentation of the previously requested five (5) year business plan to the Director Community Development by 31 October 2007; and
2. A copy of the 2006/07 Annual Report, if available, or an audited set of books as at that date be forwarded to the Director Community Development by 31 October 2007; and
3. Further consideration be given as to whether the facility now meets the requirements of the Health Act 1911 (and associated regulations) to support an application for a Restricted Liquor Licence by the club, and a report be presented to Council at its meeting of 20 November 2007 for consideration.
EndOfRecommendation - This line will not be printed Please do NOT delete
File Ref: S07/0190V01
Responsible Officer: Director Community Development
Disclosure of Interest: Nil
File Name: ACr Treby.doc This line will not be printed dont delete
Attachment(s): 1
StartStrip - This line will not be printed Please do NOT delete
Issue
To consider an amendment to the existing ‘Key Access – Community/Leisure Buildings Policy’ to allow Jaguars Softball Club to retain keys for the City’s community facilities.
Background
Administration has in place the Key Access – Community/Leisure Buildings Policy to provide a framework for the issues of keys to users of Council owned community and recreation facilities. The policy was initially implemented in 2001 and most recently amended in June 2006 as a result of a Motion on Notice endorsed at the Ordinary Council Meeting on 26 June 2006 (Report UB02-06/07).
The subsequent resolution and amendment to the policy allows Senior Citizens Groups to retain keys for community facilities designated as “A” class buildings and hence afforded more convenience for the City’s senior residents.
An approach has now been made by the Jaguars Softball Club to receive similar privileges and retain keys for relevant community and recreation facilities on an ongoing basis.
Detail
The Key Access – Community/Leisure Buildings Policy has been put in place to enable keys to be made available to users of the City’s facilities whilst at the same time ensuring that a high level of security is provided for these buildings and the equipment held within them. The policy requires that groups or individuals using those facilities identified as “A” Class Buildings to obtain keys from a designated Key holder for each booking.
As a result of the Council resolution on 26 June 2007 the City’s ‘Key Access – Community/Leisure Buildings Policy’ was amended (Attachment 1) and sets of keys were distributed to the six Seniors Citizens Clubs that currently utilise ‘A Class’ buildings.
The Jaguars Softball Club currently books usage of both John Maloney Park in Marangaroo and Kingsway Regional Sporting Complex in Madeley during both summer and winter seasons. In addition, it books the usage of the John Maloney Clubrooms during the winter season. As the John Maloney Clubrooms are not designated as an “A” Class Building, the Club is permitted to retain the required keys for the duration of the winter season. However, the Club has equipment stored within the building during the entire year.
Comment
As a result of requests made to the Office of the Mayor, a previous amendment was made to the City’s Key Access – Community/Leisure Buildings Policy to allow Seniors Groups to retain keys for designated community facilities. Following another request from the Jaguars Softball Club this Motion on Notice seeks to amend the policy further to allow the Club to retain keys for the John Maloney Clubrooms in Marangaroo.
Statutory Compliance
Nil
Strategic Implications
Provision of community facilities and a policy framework to manage key access is consistent with the Social and Governance Outcomes within the City’s Strategic Plan 2006 – 2021, as follows:
“Social
Outcome Objective 2.1 Increase choice and quality of neighbourhood and lifestyle options
Governance
Outcome Objective 4.3 Improve asset management”
Policy Implications
The provision of keys to a facility user group outside of its seasonal booking period contravenes the current policy on the basis that groups who hire community and recreation buildings are only permitted to retain keys for the duration of their booking, being either on a seasonal or annual basis.
Financial Implications
The primary cost will be the cost of making the current number of keys available to the Club, whilst also retaining an adequate number of keys with Administration. However, the issuing of keys to Clubs that do not have a facility booking jeopardises the integrity of building security and also the equipment of other user groups that do have a facility booking.
Voting Requirements
Simple Majority
EndStrip - This line will not be printed Please do NOT delete
Recommendation
That Council AMENDS the Key Access – Community/Leisure Buildings Policy to allow the Jaguars Softball Club permission to retain keys for relevant community and recreation buildings.
Administration Comment
The purpose of the current policy is primarily to enable Administration to manage access and security of the City’s portfolio of community centres, recreation centres, sporting clubrooms and youth centres. Administration has the responsibility for the management of approximately 1,300 annual, seasonal and casual hirers. It is the position of Administration that this policy provides a fair and reasonable balance of measures to ensure appropriate levels of key and buildings access.
Unlike the recent policy amendment that allows Seniors Groups the ability to retain keys for facility access, this request seeks to amend the policy to enable a general user group to retain keys and thus grant access to a building during a period when they have no booking.
Administration has provided the Jaguars Softball Club with a key for its storage area to enable it to access equipment whilst it utilises John Maloney Park during the summer season. As it has no booking for the John Maloney Clubrooms there is no need for the Club to retain a key. It should also be noted that the West Coast Cricket Club have seasonal usage of the John Maloney Clubrooms during summer and therefore the ability for Jaguars Softball Club to enter the facility will directly impact another user group unfairly.
As per the current policy, the Club will be provided with a key for the John Maloney Clubrooms during the winter season when it has a confirmed booking for the facility. Any amendment to the policy based on the current recommendation will set an untenable precedent for other user groups and subsequently have a major impact on the integrity and security of the City’s assets.
EndOfRecommendation - This line will not be printed Please do NOT delete
File Name: AMayor Jon Kelly.doc This line will not be printed dont delete
File Ref: S07/0190V01
Responsible Officer: Nil
Disclosure of Interest: Nil
Attachment(s): 1
StartStrip - This line will not be printed Please do NOT delete
Issue
To consider an amendment to the existing ‘Key Access – Community/Leisure Buildings Policy’ to waive applicable key bond fees for Senior Citizens Clubs.
Background
At the Ordinary Council Meeting on 26 June 2007 Mayor Kelly presented a report during Urgent Business (Report UB02–06/07) requesting an amendment to the existing ‘Key Access – Community/Leisure Buildings Policy’ to allow Senior Citizen Groups to retain a set of keys for those areas within ‘A Class’ buildings in which they conduct their programs.
Subsequently, Council carried the following resolution:
“That Council:-
1. AMENDS the Key Access – Community/Leisure Buildings policy to include within the Eligibility Criteria, the ability for Seniors Clubs endorsed by the Council to retain keys for those areas of the “A” class buildings in which they conduct their programs, exclusively for their use only during periods which have been booked for their use.
2. ENDORSES the following Seniors’ clubs for keys under the above policy:
a) Wanneroo Seniors Club
b) Alexander Heights Seniors Club
c) Girrawheen/Koondoola Seniors Club
d) Quinns Rocks Sports Club
e) Carramar Seniors Club
f) Yanchep Two Rocks Seniors Group
3. REQUESTS Administration to undertake a review of the implications of this policy 12 months after implementation.”
Detail
As a result of the Council resolution on 26 June 2007 the City’s ‘Key Access – Community/Leisure Buildings Policy’ was amended (refer to Attachment 1) and sets of keys were distributed to the six Seniors Citizens Clubs that currently utilise ‘A Class’ buildings. This included the following groups and facilities:
· Quinns Rocks Seniors Club Gumblossom Community Centre
· Carramar Seniors Club Carramar Community Centre
· Alexander Heights Seniors Club Alexander Heights Community Centre
· Wanneroo Seniors Club Wanneroo Community Centre
· Yanchep/Two Rocks Seniors Club Phil Renkin Recreation Centre
· Girrawheen/Koondoola Seniors Club Girrawheen/Koondoola Senior Citizens
Centre
The provision of keys to these groups has removed the reliance on collecting keys from Facility Keyholders or relying upon Facility Caretakers to unlock rooms for regular bookings. However, in accordance with the ‘Bond’ section with the ‘Keys Access – Community/Leisure Building Policy’, whilst the Seniors Groups identified above have been provided with a set of keys they have also been charged a bond amount of $53.00.
Comment
As a result of requests made to the Office of the Mayor the previous Urgent Business Report, and subsequent amendment to the existing key access policy, identified Seniors Groups have been issued keys to avoid the inconvenience of collecting keys and/or the reliance upon facility caretakers. This Motion of Notice seeks to amend the policy further to waive the bond fees currently implemented to all facility user groups at the time of collecting keys.
Statutory Compliance
Nil
Strategic Implications
Provision of community facilities and a policy framework to manage key access is consistent with the Social and Governance Outcomes within the City’s Strategic Plan 2006 – 2021, as follows:
“Social
Outcome Objective 2.1 Increase choice and quality of neighbourhood and lifestyle options
Governance
Outcome Objective 4.3 Improve asset management”
Policy Implications
The waiving of applicable bonds for community facility keys contravenes the current policy on the basis that “all key holders of the City’s community and recreation facilities are required to place a $50.00 bond per key set”. It should be noted that the bond has risen to $53.00 per key set within the City’s 2007/08 Fees & Charges Schedule.
Financial Implications
All costs associated with the replacement of facility keys and the possible need for the re-keying of community facilities will need to be met through the City’s Annual Operating Budgets.
Voting Requirements
Simple Majority
EndStrip - This line will not be printed Please do NOT delete
Recommendation
That Council AMENDS the Key Access – Community/Leisure Buildings Policy to include within the Bond section that community facility key bonds are waived for the following Seniors’ clubs:
a) Wanneroo Seniors Club
b) Alexander Heights Seniors Club
c) Girrawheen/Koondoola Seniors Club
d) Quinns Rocks Seniors Club
e) Carramar Seniors Club
f) Yanchep Two Rocks Seniors Club
Administration Comment
The previous amendment to the policy enabling Seniors Groups to retain sets of keys for the City’s “A” Class Buildings has afforded these user groups a more convenient process of accessing facilities. However, this amendment has also created a precedent whereby a number of other facility user groups have also claimed the need to retain keys for facilities. Whilst Administration have effectively dealt with such requests thus far, a further amendment to the policy to waive key bonds will set another precedent upon which user groups will claim similar privileges.
As all bond fees are refunded if and when the keys are returned to the City’s Manager Leisure & Cultural Services there is no financial loss experienced by the Seniors Groups, unless in fact they lose the set of keys that have been allocated to them. In this regard, the bond is held not only to fund key replacement where necessary but also an incentive to ensure keys are well protected to maintain the integrity of the City’s community facilities. Therefore, the implementation of keys bonds for all facility user groups is a vital component of the City’s asset management system to avoid the need to re-key community facilities at significant cost.
EndOfRecommendation - This line will not be printed Please do NOT delete
StartOfAttachment - Do not delete this line will not be printed

Key Access – Community/Leisure Buildings
Policy Owner Leisure & Library Services
Distribution: All Employees – Leisure & Library Services, Community Services, Building & Fleet Maintenance and Business Services
Implementation: 01 October 2001 Resolution No. CD02-11/01
Reviewed: 25 November 2003 Resolution No: CD08-11/03; 22 November 2005 Resolution No. CD11-11/05. Amendment UB02-06/07 to include provision for key access to seniors.
Next Review: November 2007
Objective
To provide a framework for the issue of keys to users of Council owned facilities. .
Statement
The City of Wanneroo has a large number of community and recreation facilities, which are used by the community. As a result it is necessary to make keys available to users in order for them to access these facilities. In doing so, it is important to recognize the importance of maintaining a high level of security for the building and equipment held within each facility.
Definitions
“A” Class Buildings.
For the purposes of this policy, “A” class buildings are defined as follows:
· Alexander Heights Community Centre
· Hainsworth Community Centre
· Wanneroo Recreation Centre
· Gumblossom Community Centre (including Sports Hall)
· Phil Renkin Recreation Centre
· Jenolan Way Community Centre
· Banksia Grove Community Centre
· Clarkson Youth Centre
· Girrawheen Senior Citizens Centre
· Wanneroo Community Centre
· Carramar Community Centre
ATTACHMENT 1 PAGE 2 OF 4
The remaining buildings that are not designated as “A” Class but are used by the community on either a casual or annual basis include:
· Dennis Cooley Pavilion
· Elliot Road Clubrooms
· John Maloney Clubrooms
· Koondoola Community Hall
· Lake Joondalup Pavilion
· Margaret Cockman Pavilion
· Wanneroo Showgrounds Clubrooms
· Warradale Community Hall
· Anthony Warring Clubrooms
· Addison Park Clubrooms
· St Andrews Park Clubrooms
Key Holder
For the purpose of this policy a Key Holder is defined as an individual who lives in the immediate area of one or several of the City’s “A” Class buildings and makes keys available to user groups for the use of that facility(s) upon request.
Detail
Eligibility Criteria
All groups or individuals using “A” Class facilities must obtain the required keys from the designated Key Holder and ensure that they sign for the respective keys when they are returned. Users of “A” Class buildings are not permitted to retain keys for these facilities, (excluding those seniors clubs listed below). Keys for “A” Class facilities are to be collected 30 minutes prior to each booking and are to be returned immediately after the booking has finished.
Seniors Clubs which have been endorsed by the Council may retain keys for those areas of the “A” class buildings in which they conduct their programs, exclusively for their use only during periods which have been booked for their use:-
a) Wanneroo Seniors Club
b) Alexander Heights Seniors Club
c) Girrawheen/Koondoola Seniors Club
d) Quinns Rocks Seniors Club
e) Carramar Seniors Club
f) Yanchep Two Rocks Seniors Group
ATTACHMENT 1 PAGE 3 OF 4
Individuals or groups who hire the City’s community and recreation buildings that are not deemed to be “A” Class facilities are permitted to retain the required keys for the duration of their booking, being either on a seasonal basis or annual basis. The maximum number of sets of keys is limited to one per group or individual, should the booking not be made by a group.
Lessees of Council facilities are excluded from this policy as they are issued with keys by the City of Wanneroo at the commencement of their respective lease agreements.
Application for Keys
Those individual or groups who use the City’s facilities that are not deemed to be “A” class facilities are required to obtain key(s) from the Manager Leisure & Library Services or delegate prior to the commencement of the use of the facility or facilities.
A bond, as per the City’s schedule of Fees and Charges, will be required to be paid for those groups or individuals who retain keys for facilities that are not designated as “A” class facilities.
It is also the responsibility of the hirer to advise the City of any charges to the contact details of the designated Keyholder.
The Manager Leisure & Library Services has the right to refuse key requests if in the opinion that the building’s security may be at risk.
Bond
All hirers of the City’s community and recreation facilities that are not deemed to be “A” Class facilities are required to place a $50 bond per key set at the time of collecting the key(s) from the Manager Leisure & Library Services or Delegate.
All bond monies will be refunded once the key(s) are returned to the City’s Manager Leisure & Library Services or Delegate at the completion of the hire period.
Bond monies will not be refunded for lost or stolen keys.
Lost Keys
The person who, as a result of paying the required bond, is given key(s) for a City of Wanneroo Community or Recreation building is responsible for the safe keeping of that key(s). Should the key(s) be lost or stolen the person responsible for the key(s) will be required to meet the cost of replacing the key(s) and if necessary the cost of re-keying the building, at a minimum of $300.00 per set of keys.
ATTACHMENT 1 PAGE 4 OF 4
Key Access – City of Wanneroo Officers
City of Wanneroo Officers who require key access to either any of the City’s “A” class buildings, or any other building managed by Leisure & Library Services to conduct meetings, workshops etc must book the facility through the appropriate Administration Officer and access the required keys from the appropriate Key Holder as advised by the Administration Officer.
City of Wanneroo Officers who require key access to an “A” Class building for day to day working purposes must have their key request application approved by the Manager Leisure & Library Services prior to it being submitted to the relevant Director for final approval.
Responsibility for Implementation
Leisure & Cultural Services
EndOfAttachment - Do not delete this line will not be printed
File Ref: P21/0104V01
File Name: SBB Amendment No 80 to District Planning Scheme No 2 Lots 2 and 3 28 Baltimore Parade Merriwa.doc This line will not be printed dont delete
Responsible Officer: Director, Planning and Development
Disclosure of Interest: Nil
Author: Pas Bracone
Meeting Date: 9 October 2007
Attachment(s): Nil
Recommendation
THAT Council move into a Confidential Session to discuss this item under the terms of the Local Government Act 1995 Section 5.23(2), as follows:
· (e)(iii) a matter that if disclosed, would reveal – information about the business, professional, commercial or financial affairs of a person;
EndOfRecommendation - This line will not be printed Please do NOT delete
File Ref: P34/3143V01
File Name: SCA Proposed Australian Technical College.doc This line will not be printed dont delete
Responsible Officer: Acting Chief Executive Officer
Disclosure of Interest: Nil
Attachment(s): Nil
Author: Acting Director, Corporate Services
Meeting Date: 9 October 2007
Recommendation
THAT Council move into a Confidential Session to discuss this item under the terms of the Local Government Act 1995 Section 5.23(2), as follows:
· (e)(ii) a matter that if disclosed, would reveal – information that has a commercial value to a person;
EndOfRecommendation - This line will not be printed Please do NOT delete
